Benvenuto Ospite

Forum Entomologi Italiani

www.entomologiitaliani.net/forum
 
Oggi è 01/10/2025, 1:53

Tutti gli orari sono UTC + 1 ora [ ora legale ]

Filtro località

Filtro località

In questo pannello è possibile effettuare delle ricerche mirate in base alle località inserite nel forum.

Statistiche

Statistiche
In totale ci sono 89440 taxa:
- 85544 taxa con dati completi
- 2722 taxa con dati parziali, riconducibili ad un paese
- 1174 taxa con dati incompleti


escludi dalla ricerca i subforum
Distribuzione in Europa
Distribuzione in Italia
Filtro applicato: PORTOGALLO

Pagina 1 di 1 [ 5 messaggi ]

# A B C D E F G H I J K L M N O P Q R S T U V W X Y Z
 Argomenti   Autore   Risposte   Visite    Ultimo messaggio 
Aeolus melliculus Candèze, 1859 - Elateridae
30.X.2019 - PORTOGALLO - EE, Azzorre - São Miguel - Ribeira Grande
Allegato(i)
Aeolus melliculus Candèze, 1859 - Elateridae

in Elateridae


Dati di raccolta: 30.X.2019 - PORTOGALLO - EE, Azzorre - São Miguel - Ribeira Grande

ruzzpa

6

1505

18/11/2019, 21:29

Anostirus Vedi ultimo messaggio

Cardiophorus signatus (Olivier, 1790) - Elateridae
22.IV.2017 - PORTOGALLO - EE, Alvoco da Serra
Allegato(i)
Cardiophorus signatus (Olivier, 1790) - Elateridae

in Elateridae


Dati di raccolta: 22.IV.2017 - PORTOGALLO - EE, Alvoco da Serra

curci

2

452

01/03/2023, 12:30

curci Vedi ultimo messaggio

Cardiophorus signatus (Olivier, 1790) - Elateridae Cardiophorinae
28.IV.2011 - PORTOGALLO - EE, Guarda
Allegato(i)
Cardiophorus signatus (Olivier, 1790) - Elateridae Cardiophorinae

in Elateridae


Dati di raccolta: 28.IV.2011 - PORTOGALLO - EE, Guarda

sarahpogue

3

850

27/08/2011, 15:46

Anostirus Vedi ultimo messaggio

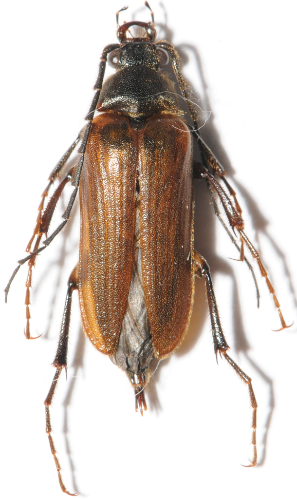
Cebrio (Cebrio) zuzartei Zapata & Sánchez-Ruiz, 2018 - Elateridae Cebrioninae
25.X.2013 - PORTOGALLO - EE, Valle de Pera near Albufeira, Algarve
Allegato(i)
Cebrio (Cebrio) zuzartei Zapata & Sánchez-Ruiz, 2018 - Elateridae Cebrioninae

in Elateridae


Dati di raccolta: 25.X.2013 - PORTOGALLO - EE, Valle de Pera near Albufeira, Algarve

oboilly

5

893

28/06/2021, 10:43

Fumea crassiorella Vedi ultimo messaggio

Melanotus dichrous (Erichson, 1841) - Elateridae
13.VIII.2013 - PORTOGALLO - EE, Isole Azzorre - Pico
Allegato(i)
Melanotus dichrous (Erichson, 1841) - Elateridae

in Elateridae


Dati di raccolta: 13.VIII.2013 - PORTOGALLO - EE, Isole Azzorre - Pico

babunco

2

388

15/11/2013, 17:41

babunco Vedi ultimo messaggio


Inserisci un link per questa ricerca

Inserisci un link per questa ricerca URL
BBCode
HTML
Vai a: