Benvenuto Ospite

Forum Entomologi Italiani

www.entomologiitaliani.net/forum
 
Oggi è 01/10/2025, 5:27

Tutti gli orari sono UTC + 1 ora [ ora legale ]

Filtro località

Filtro località

In questo pannello è possibile effettuare delle ricerche mirate in base alle località inserite nel forum.

Statistiche

Statistiche
In totale ci sono 89440 taxa:
- 85544 taxa con dati completi
- 2722 taxa con dati parziali, riconducibili ad un paese
- 1174 taxa con dati incompleti


escludi dalla ricerca i subforum
Distribuzione in Europa
Distribuzione in Italia
Filtro applicato: ITALIA - Campania

Pagina 1 di 1 [ 10 messaggi ]

# A B C D E F G H I J K L M N O P Q R S T U V W X Y Z
 Argomenti   Autore   Risposte   Visite    Ultimo messaggio 
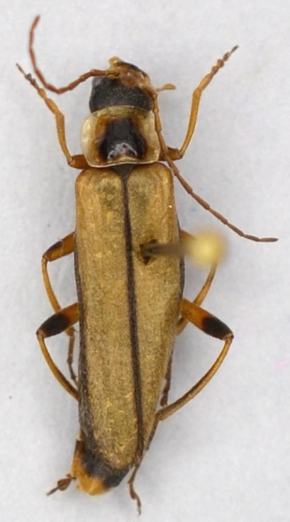
Cantharidae sp.
19.V.2021 - ITALIA - Campania - SA, Laurino
Allegato(i)
Cantharidae sp.

in Cantharidae


Dati di raccolta: 19.V.2021 - ITALIA - Campania - SA, Laurino

Enzo.C

4

542

25/05/2021, 22:31

Enzo.C Vedi ultimo messaggio

Cantharis (Cantharis) cf. obscura Linnaeus, 1758 - Cantharidae Cantharinae
27.III.2011 - ITALIA - Campania - NA, Boscotrecase (NA), in campagna sul Vesuvio
Allegato(i)
Cantharis (Cantharis) cf. obscura Linnaeus, 1758 - Cantharidae Cantharinae

in Cantharidae


Dati di raccolta: 27.III.2011 - ITALIA - Campania - NA, Boscotrecase (NA), in campagna sul Vesuvio

clido

3

818

12/04/2011, 20:38

hutia Vedi ultimo messaggio

Cantharis (Cantharis) fusca Linnaeus 1758 - Cantharidae
19.V.2021 - ITALIA - Campania - SA, Laurino
Allegato(i)
Cantharis (Cantharis) fusca Linnaeus 1758 - Cantharidae

in Cantharidae


Dati di raccolta: 19.V.2021 - ITALIA - Campania - SA, Laurino

Enzo.C

2

387

11/02/2022, 0:08

Enzo.C Vedi ultimo messaggio

Cantharis (Cantharis) fusca Linnaeus, 1758 - Cantharidae
18.IV.2015 - ITALIA - Campania - SA, Serre, Oasi WWF di Persano
Allegato(i)
Cantharis (Cantharis) fusca Linnaeus, 1758 - Cantharidae

in Cantharidae


Dati di raccolta: 18.IV.2015 - ITALIA - Campania - SA, Serre, Oasi WWF di Persano

Enzo.C

2

603

18/04/2015, 23:10

Enzo.C Vedi ultimo messaggio

Cantharis (Cantharis) rustica Fallen, 1807 - Cantharidae
19.V.2021 - ITALIA - Campania - SA, Laurino
Allegato(i)
Cantharis (Cantharis) rustica Fallen, 1807 - Cantharidae

in Cantharidae


Dati di raccolta: 19.V.2021 - ITALIA - Campania - SA, Laurino

Enzo.C

2

424

11/02/2022, 0:17

Enzo.C Vedi ultimo messaggio

Cantharis (Cantharis) rustica Fallen, 1807 - Cantharidae
19.V.2021 - ITALIA - Campania - SA, Laurino
Allegato(i)
Cantharis (Cantharis) rustica Fallen, 1807 - Cantharidae

in Cantharidae


Dati di raccolta: 19.V.2021 - ITALIA - Campania - SA, Laurino

Enzo.C

2

458

11/02/2022, 23:01

Enzo.C Vedi ultimo messaggio

Cantharis decipiens (cf.) - Cantharidae
1.VII.2013 - ITALIA - Campania - SA, Teggiano, Monte Motola 1350m
Allegato(i)
Cantharis decipiens (cf.) - Cantharidae

[ Vai alla pagina: 1, 2 ]

in Cantharidae


Dati di raccolta: 1.VII.2013 - ITALIA - Campania - SA, Teggiano, Monte Motola 1350m

francescoparisi

16

1776

13/05/2014, 17:06

hutia Vedi ultimo messaggio

Gen. sp. - Cantharidae (larve)
17.XII.2018 - ITALIA - Campania - SA, Croce, Cava de' Tirreni da terreno raccolto il 16/XII/2018
Allegato(i)
Gen. sp. - Cantharidae (larve)

in Cantharidae


Dati di raccolta: 17.XII.2018 - ITALIA - Campania - SA, Croce, Cava de' Tirreni da terreno raccolto il 16/XII/2018

Mattia D'Amato

6

1100

22/12/2018, 1:11

Alessio89 Vedi ultimo messaggio

Rhagonycha (Rhagonycha) fulva (Scopoli, 1763) - Cantharidae
6.VI.2010 - ITALIA - Campania - SA, Salerno
Allegato(i)
Rhagonycha (Rhagonycha) fulva (Scopoli, 1763) - Cantharidae

in Cantharidae


Dati di raccolta: 6.VI.2010 - ITALIA - Campania - SA, Salerno

Idontknow

11

3455

18/06/2010, 19:14

D4m13n Vedi ultimo messaggio

Rhagonycha (Rhagonycha) fulva (Scopoli, 1763) - Cantharidae
2.VI.2019 - ITALIA - Campania - CE, Castelmorrone
Allegato(i)
Rhagonycha (Rhagonycha) fulva (Scopoli, 1763) - Cantharidae

in Cantharidae


Dati di raccolta: 2.VI.2019 - ITALIA - Campania - CE, Castelmorrone

renillo

4

1116

06/06/2019, 10:15

renillo Vedi ultimo messaggio


Inserisci un link per questa ricerca

Inserisci un link per questa ricerca URL
BBCode
HTML
Vai a: