Benvenuto Ospite

Forum Entomologi Italiani

www.entomologiitaliani.net/forum
 
Oggi è 01/10/2025, 9:07

Tutti gli orari sono UTC + 1 ora [ ora legale ]

Filtro località

Filtro località

In questo pannello è possibile effettuare delle ricerche mirate in base alle località inserite nel forum.

Statistiche

Statistiche
In totale ci sono 89440 taxa:
- 85544 taxa con dati completi
- 2722 taxa con dati parziali, riconducibili ad un paese
- 1174 taxa con dati incompleti


escludi dalla ricerca i subforum
Distribuzione in Europa
Distribuzione in Italia
Filtro applicato: ITALIA - Liguria

Pagina 1 di 1 [ 11 messaggi ]

# A B C D E F G H I J K L M N O P Q R S T U V W X Y Z
 Argomenti   Autore   Risposte   Visite    Ultimo messaggio 
Ancystronycha violacea (Paykull, 1798) (cf.) - Cantharidae
23.V.2020 - ITALIA - Liguria - GE, Pontedecimo
Allegato(i)
Ancystronycha violacea (Paykull, 1798) (cf.) - Cantharidae

in Cantharidae


Dati di raccolta: 23.V.2020 - ITALIA - Liguria - GE, Pontedecimo

Antonio Pareto

3

1724

26/05/2020, 21:15

Chalybion Vedi ultimo messaggio

Cantharis (Cantharis) livida Linnaeus, 1758 - Cantharidae
15.V.2014 - ITALIA - Liguria - GE, Rezzoaglio, val d'Aveto, quota 1000 m circa
Allegato(i)
Cantharis (Cantharis) livida Linnaeus, 1758 - Cantharidae

in Cantharidae


Dati di raccolta: 15.V.2014 - ITALIA - Liguria - GE, Rezzoaglio, val d'Aveto, quota 1000 m circa

venturini

1

506

08/04/2015, 15:17

hutia Vedi ultimo messaggio

Cantharis (Cantharis) livida Linnaeus, 1758 - Cantharidae
15.V.2014 - ITALIA - Liguria - GE, Rezzoaglio, val d'Aveto, quota 1000 m circa
Allegato(i)
Cantharis (Cantharis) livida Linnaeus, 1758 - Cantharidae

in Cantharidae


Dati di raccolta: 15.V.2014 - ITALIA - Liguria - GE, Rezzoaglio, val d'Aveto, quota 1000 m circa

venturini

6

965

08/04/2015, 18:02

venturini Vedi ultimo messaggio

Cantharis (Cantharis) rustica Fallén, 1807 - Cantharidae
15.V.2014 - ITALIA - Liguria - GE, Rezzoaglio, val d'Aveto, quota 1000 m circa
Allegato(i)
Cantharis (Cantharis) rustica Fallén, 1807 - Cantharidae

in Cantharidae


Dati di raccolta: 15.V.2014 - ITALIA - Liguria - GE, Rezzoaglio, val d'Aveto, quota 1000 m circa

venturini

3

542

08/04/2015, 19:55

hutia Vedi ultimo messaggio

Cantharis sp. - Cantharidae
25.V.2007 - ITALIA - Liguria - GE, Val Trebbia
Allegato(i)
Cantharis sp. - Cantharidae

in Cantharidae


Dati di raccolta: 25.V.2007 - ITALIA - Liguria - GE, Val Trebbia

nikoname

9

2196

17/02/2010, 0:03

Julodis Vedi ultimo messaggio

Cantharis sp. - Cantharidae
4.VI.2010 - ITALIA - Liguria - GE, Piani di Praglia
Allegato(i)
Cantharis sp. - Cantharidae

in Cantharidae


Dati di raccolta: 4.VI.2010 - ITALIA - Liguria - GE, Piani di Praglia

hectorinus

1

437

04/03/2013, 17:21

hutia Vedi ultimo messaggio

Cantharis sp. - Cantharidae
25.IV.2019 - ITALIA - Liguria - SV, Finale ligure
Allegato(i)
Cantharis sp. - Cantharidae

in Cantharidae


Dati di raccolta: 25.IV.2019 - ITALIA - Liguria - SV, Finale ligure

carlos

0

575

07/05/2019, 10:00

carlos Vedi ultimo messaggio

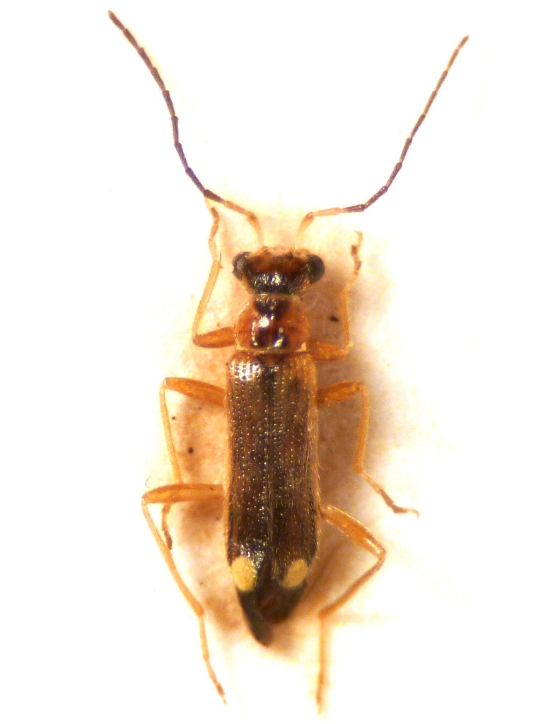
Malthinus seriepunctatus/reflexus - Cantharidae
4.VI.2010 - ITALIA - Liguria - SP, Vezzano Ligure, 150 m
Allegato(i)
Malthinus seriepunctatus/reflexus - Cantharidae

in Cantharidae


Dati di raccolta: 4.VI.2010 - ITALIA - Liguria - SP, Vezzano Ligure, 150 m

Valerio

0

859

27/05/2020, 23:58

Valerio Vedi ultimo messaggio

Metacantharis clypeata (Illiger, 1798) - Cantharidae
25.V.2015 - ITALIA - Liguria - GE, Parco Regionale dell'Antola
Allegato(i)
Metacantharis clypeata (Illiger, 1798) - Cantharidae

in Cantharidae


Dati di raccolta: 25.V.2015 - ITALIA - Liguria - GE, Parco Regionale dell'Antola

hectorinus

1

415

14/06/2015, 17:22

hutia Vedi ultimo messaggio

Rhagonycha (Rhagonycha) fulva (Scopoli 1763) - Cantharidae
17.VI.2016 - ITALIA - Liguria - GE, Langasco
Allegato(i)
Rhagonycha (Rhagonycha) fulva (Scopoli 1763) - Cantharidae

in Cantharidae


Dati di raccolta: 17.VI.2016 - ITALIA - Liguria - GE, Langasco

Antonio Pareto

2

525

19/06/2016, 14:13

Julodis Vedi ultimo messaggio

Rhagonycha fulva (Scopoli, 1763) - Cantharidae
2.VI.2020 - ITALIA - Liguria - GE, Pontedecimo - val Polcevera
Allegato(i)
Rhagonycha fulva (Scopoli, 1763) - Cantharidae

in Cantharidae


Dati di raccolta: 2.VI.2020 - ITALIA - Liguria - GE, Pontedecimo - val Polcevera

Antonio Pareto

5

1599

02/06/2020, 11:15

Chalybion Vedi ultimo messaggio


Inserisci un link per questa ricerca

Inserisci un link per questa ricerca URL
BBCode
HTML
Vai a: