Benvenuto Ospite

Forum Entomologi Italiani

www.entomologiitaliani.net/forum
 
Oggi è 01/10/2025, 1:52

Tutti gli orari sono UTC + 1 ora [ ora legale ]

Filtro località

Filtro località

In questo pannello è possibile effettuare delle ricerche mirate in base alle località inserite nel forum.

Statistiche

Statistiche
In totale ci sono 89440 taxa:
- 85544 taxa con dati completi
- 2722 taxa con dati parziali, riconducibili ad un paese
- 1174 taxa con dati incompleti


escludi dalla ricerca i subforum
Distribuzione in Europa
Distribuzione in Italia
Filtro applicato: ITALIA - Sicilia

Pagina 1 di 2 [ 21 messaggi ]

# A B C D E F G H I J K L M N O P Q R S T U V W X Y Z
 Argomenti   Autore   Risposte   Visite    Ultimo messaggio 
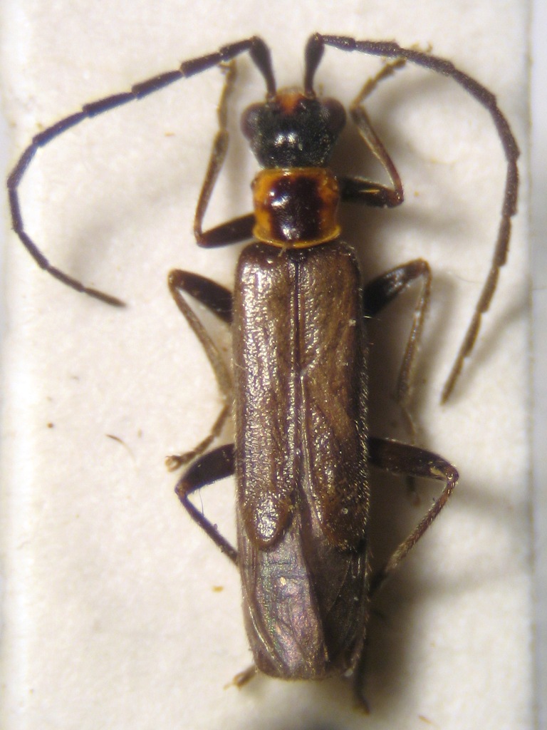
Cantaromorphus longipes Fiori, 1914 - Cantharidae
3.VI.2025 - ITALIA - Sicilia - RG, dintorni di Monterosso Almo, m 425
Allegato(i)
Cantaromorphus longipes Fiori, 1914 - Cantharidae

in Cantharidae


Dati di raccolta: 3.VI.2025 - ITALIA - Sicilia - RG, dintorni di Monterosso Almo, m 425

Chalybion

0

321

05/07/2025, 21:09

Chalybion Vedi ultimo messaggio

Cantaromorphus longipes Fiori, 1914 - Cantharidae
24.VI.2023 - ITALIA - Sicilia - PA, Madonie Piano Battaglia
Allegato(i)
Cantaromorphus longipes Fiori, 1914 - Cantharidae

in Cantharidae


Dati di raccolta: 24.VI.2023 - ITALIA - Sicilia - PA, Madonie Piano Battaglia

Caliddo

2

187

10/07/2025, 15:02

Caliddo Vedi ultimo messaggio

Cantharidae sp.
23.VI.2016 - ITALIA - Sicilia - ME, Cesaro'
Allegato(i)
Cantharidae sp.

in Cantharidae


Dati di raccolta: 23.VI.2016 - ITALIA - Sicilia - ME, Cesaro'

skapc66

5

1162

03/10/2016, 11:02

Lucanus tetraodon Vedi ultimo messaggio

Cantharidae sp.
2.VI.2017 - ITALIA - Sicilia - CT, Etna - quota 1650m
Allegato(i)
Cantharidae sp.

in Cantharidae


Dati di raccolta: 2.VI.2017 - ITALIA - Sicilia - CT, Etna - quota 1650m

skapc66

3

724

05/06/2017, 9:23

f.izzillo Vedi ultimo messaggio

Cantharidae sp.
12.IV.2021 - ITALIA - Sicilia - TP, Mazara del Vallo
Allegato(i)
Cantharidae sp.

in Cantharidae


Dati di raccolta: 12.IV.2021 - ITALIA - Sicilia - TP, Mazara del Vallo

angelo.ditta

4

612

20/04/2021, 15:16

angelo.ditta Vedi ultimo messaggio

Cantharis (Cantharis) decipiens Baudi, 1871 - Cantharidae
5.VI.2015 - ITALIA - Sicilia - PA, Madonie - Piano Battaglia
Allegato(i)
Cantharis (Cantharis) decipiens Baudi, 1871 - Cantharidae

in Cantharidae


Dati di raccolta: 5.VI.2015 - ITALIA - Sicilia - PA, Madonie - Piano Battaglia

carabus

6

657

07/06/2015, 8:34

hutia Vedi ultimo messaggio

Cantharis (Cantharis) fuscipennis (Mulsant, 1862) - Cantharidae
12.IV.2023 - ITALIA - Sicilia - TP, Mazara del Vallo
Allegato(i)
Cantharis (Cantharis) fuscipennis (Mulsant, 1862) - Cantharidae

in Cantharidae


Dati di raccolta: 12.IV.2023 - ITALIA - Sicilia - TP, Mazara del Vallo

angelo.ditta

6

508

17/04/2023, 12:49

angelo.ditta Vedi ultimo messaggio

Cantharis (Cantharis) fuscipennis (Mulsant, 1862) (cf.) - Cantharidae
25.III.2012 - ITALIA - Sicilia - CT, Maniace
Allegato(i)
Cantharis (Cantharis) fuscipennis (Mulsant, 1862) (cf.) - Cantharidae

in Cantharidae


Dati di raccolta: 25.III.2012 - ITALIA - Sicilia - CT, Maniace

Lucanus tetraodon

9

1252

24/04/2015, 21:07

hutia Vedi ultimo messaggio

Cantharis (Cantharis) livida Linnaeus, 1758 - Cantharidae
30.V.2011 - ITALIA - Sicilia - ME, Parco dei Nebrodi
Allegato(i)
Cantharis (Cantharis) livida Linnaeus, 1758 - Cantharidae

in Cantharidae


Dati di raccolta: 30.V.2011 - ITALIA - Sicilia - ME, Parco dei Nebrodi

Frantisek

2

559

26/06/2015, 22:40

Frantisek Vedi ultimo messaggio

Cantharis (Cantharis) livida Linnaeus, 1758 var. nigripes Schilsky, 1889 - Cantharidae
30.V.2011 - ITALIA - Sicilia - ME, Parco dei Nebrodi
Allegato(i)
Cantharis (Cantharis) livida Linnaeus, 1758 var. nigripes Schilsky, 1889 - Cantharidae

in Cantharidae


Dati di raccolta: 30.V.2011 - ITALIA - Sicilia - ME, Parco dei Nebrodi

Frantisek

3

702

24/06/2015, 23:07

Frantisek Vedi ultimo messaggio

Cantharis (Cantharis) monacha Moscardini, 1962 - Cantharidae
30.V.2011 - ITALIA - Sicilia - ME, Parco dei Nebrodi
Allegato(i)
Cantharis (Cantharis) monacha Moscardini, 1962 - Cantharidae

in Cantharidae


Dati di raccolta: 30.V.2011 - ITALIA - Sicilia - ME, Parco dei Nebrodi

Frantisek

4

715

26/06/2015, 21:18

Frantisek Vedi ultimo messaggio

Cratosilis sicula (Marseul, 1864) (cf.) - Cantharidae
13.V.2012 - ITALIA - Sicilia - ME, Zafferia, contrada Maddalena
Allegato(i)
Cratosilis sicula (Marseul, 1864) (cf.) - Cantharidae

in Cantharidae


Dati di raccolta: 13.V.2012 - ITALIA - Sicilia - ME, Zafferia, contrada Maddalena

Lucanus tetraodon

1

423

28/05/2012, 19:13

giuseppe55 Vedi ultimo messaggio

Malthodes (cf.) - Cantharidae.
27.IV.2012 - ITALIA - Sicilia - ME, dint. Messina, cava in loc. Pace
Allegato(i)
Malthodes (cf.) - Cantharidae.

in Cantharidae


Dati di raccolta: 27.IV.2012 - ITALIA - Sicilia - ME, dint. Messina, cava in loc. Pace

Valerio

3

510

20/11/2013, 17:16

hutia Vedi ultimo messaggio

Malthodes (Malthodes) bifurcatus Kiesenwetter, 1852 - Cantharidae
8.IV.2012 - ITALIA - Sicilia - PA, Aquino
Allegato(i)
Malthodes (Malthodes) bifurcatus Kiesenwetter, 1852 - Cantharidae

in Cantharidae


Dati di raccolta: 8.IV.2012 - ITALIA - Sicilia - PA, Aquino

Marco Ferrante

3

613

17/11/2014, 15:31

hutia Vedi ultimo messaggio

Malthodes (Malthodes) bifurcatus Kiesenwetter, 1852 - Cantharidae
30.V.2011 - ITALIA - Sicilia - ME, Parco dei Nebrodi
Allegato(i)
Malthodes (Malthodes) bifurcatus Kiesenwetter, 1852 - Cantharidae

in Cantharidae


Dati di raccolta: 30.V.2011 - ITALIA - Sicilia - ME, Parco dei Nebrodi

Frantisek

3

711

07/06/2015, 11:52

hutia Vedi ultimo messaggio



Inserisci un link per questa ricerca

Inserisci un link per questa ricerca URL
BBCode
HTML
Vai a: