Benvenuto Ospite

Forum Entomologi Italiani

www.entomologiitaliani.net/forum
 
Oggi è 01/10/2025, 3:40

Tutti gli orari sono UTC + 1 ora [ ora legale ]

Filtro località

Filtro località

In questo pannello è possibile effettuare delle ricerche mirate in base alle località inserite nel forum.

Statistiche

Statistiche
In totale ci sono 89440 taxa:
- 85544 taxa con dati completi
- 2722 taxa con dati parziali, riconducibili ad un paese
- 1174 taxa con dati incompleti


escludi dalla ricerca i subforum
Distribuzione in Europa
Distribuzione in Italia
Filtro applicato: SVIZZERA

Pagina 1 di 1 [ 3 messaggi ]

# A B C D E F G H I J K L M N O P Q R S T U V W X Y Z
 Argomenti   Autore   Risposte   Visite    Ultimo messaggio 
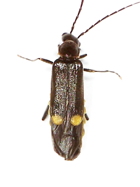
Cantharis (Cantharis) nigricans (O.F. Müller, 1776) - Cantharidae
18.V.2013 - SVIZZERA - EE, Cademario 792 m. slm. Ticino
Allegato(i)
Cantharis (Cantharis) nigricans (O.F. Müller, 1776) - Cantharidae

in Cantharidae


Dati di raccolta: 18.V.2013 - SVIZZERA - EE, Cademario 792 m. slm. Ticino

gio

3

540

19/05/2013, 12:32

hutia Vedi ultimo messaggio

Malthodes sp. - Cantharidae
21.VII.2013 - SVIZZERA - EE, Cademario 792 m. slm. Ticino
Allegato(i)
Malthodes sp. - Cantharidae

in Cantharidae


Dati di raccolta: 21.VII.2013 - SVIZZERA - EE, Cademario 792 m. slm. Ticino

gio

3

543

22/07/2013, 20:16

gio Vedi ultimo messaggio

Rhagonycha sp. - Cantharidae
24.VIII.2019 - SVIZZERA - EE, Pizzo centrale, passo del San Gottardo
Allegato(i)
Rhagonycha sp. - Cantharidae

in Cantharidae


Dati di raccolta: 24.VIII.2019 - SVIZZERA - EE, Pizzo centrale, passo del San Gottardo

Julofrancese

1

698

23/09/2019, 1:30

AetherisIgnis Vedi ultimo messaggio


Inserisci un link per questa ricerca

Inserisci un link per questa ricerca URL
BBCode
HTML
Vai a: