Benvenuto Ospite

Forum Entomologi Italiani

www.entomologiitaliani.net/forum
 
Oggi è 27/10/2025, 8:11

Tutti gli orari sono UTC + 1 ora [ ora legale ]

Filtro località

Filtro località

In questo pannello è possibile effettuare delle ricerche mirate in base alle località inserite nel forum.

Statistiche

Statistiche
In totale ci sono 89543 taxa:
- 85644 taxa con dati completi
- 2724 taxa con dati parziali, riconducibili ad un paese
- 1175 taxa con dati incompleti


escludi dalla ricerca i subforum
Distribuzione in Europa
Distribuzione in Italia
Filtro applicato: TUNISIA

Pagina 1 di 1 [ 4 messaggi ]

# A B C D E F G H I J K L M N O P Q R S T U V W X Y Z
 Argomenti   Autore   Risposte   Visite    Ultimo messaggio 
Blepharopsis mendica (Fabricius 1775) Empusidae. Tunisia
12.IV.2006 - TUNISIA - EE, Kebili
Allegato(i)
Blepharopsis mendica (Fabricius 1775) Empusidae. Tunisia

in Mantodea


Dati di raccolta: 12.IV.2006 - TUNISIA - EE, Kebili

Julodis

2

1317

17/01/2010, 23:33

Julodis Vedi ultimo messaggio

Mantis religiosa Linnaeus, 1758 sulle dune tunisine
V.2004 - TUNISIA - EE, Zaafrane
Allegato(i)
Mantis religiosa Linnaeus, 1758 sulle dune tunisine

[ Vai alla pagina: 1, 2 ]

in Mantodea


Dati di raccolta: V.2004 - TUNISIA - EE, Zaafrane

Daniele Sechi

16

3233

17/08/2009, 9:50

gomphus Vedi ultimo messaggio

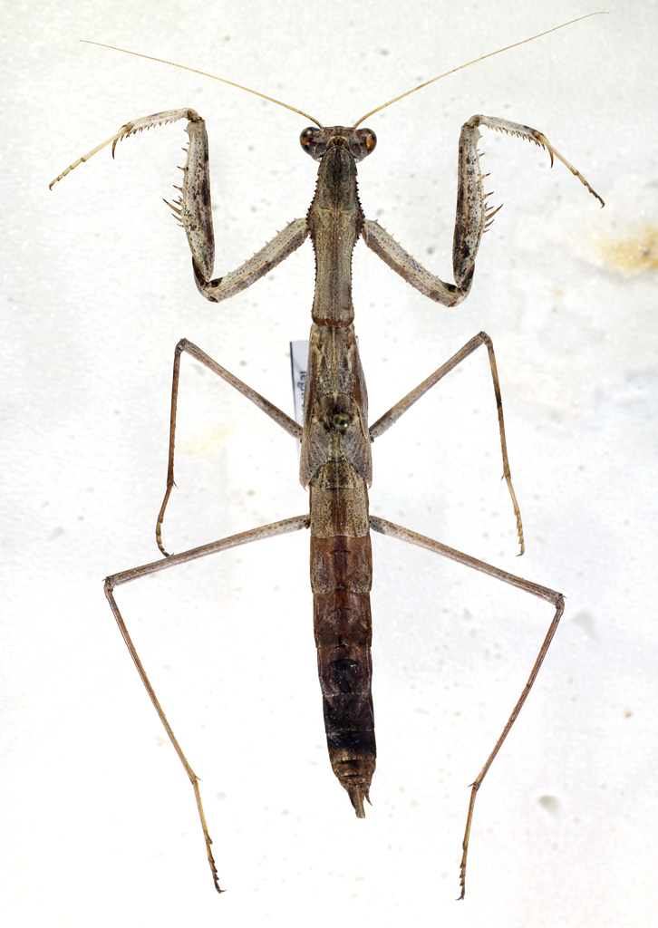
Oxyothespis dumonti Chopard, 1941 - Mantodea
21.V.2004 - TUNISIA - EE, Kef Derbi, 28 km N di Gafsa leg. D. Sechi
Allegato(i)
Oxyothespis dumonti Chopard, 1941 - Mantodea

in Mantodea


Dati di raccolta: 21.V.2004 - TUNISIA - EE, Kef Derbi, 28 km N di Gafsa leg. D. Sechi

Daniele Sechi

3

1522

30/08/2014, 23:44

Daniele Sechi Vedi ultimo messaggio

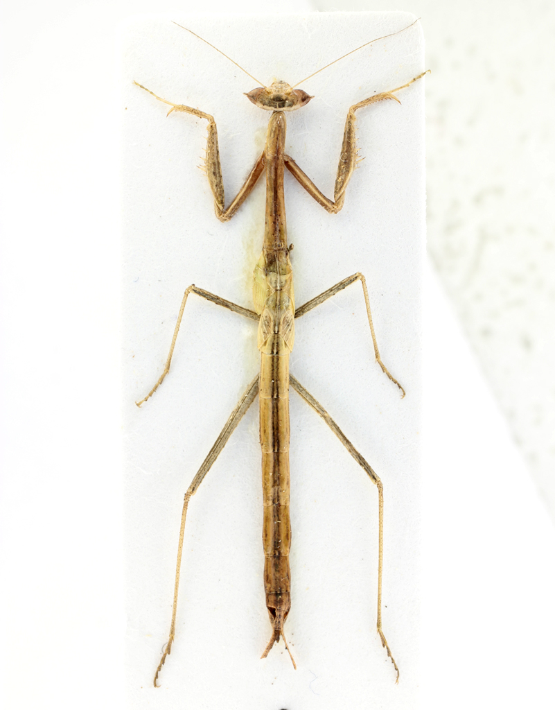
Rivetina baetica tenuidentata La Greca & Lombardo, 1982 - Mantodea
21.V.2004 - TUNISIA - EE, 15 km S di Sfax, leg. D. Sechi
Allegato(i)
Rivetina baetica tenuidentata La Greca & Lombardo, 1982 - Mantodea

in Mantodea


Dati di raccolta: 21.V.2004 - TUNISIA - EE, 15 km S di Sfax, leg. D. Sechi

Daniele Sechi

4

2052

30/08/2014, 23:34

Daniele Sechi Vedi ultimo messaggio


Inserisci un link per questa ricerca

Inserisci un link per questa ricerca URL
BBCode
HTML
Vai a: