Benvenuto Ospite

Forum Entomologi Italiani

www.entomologiitaliani.net/forum
 
Oggi è 29/10/2025, 7:46

Tutti gli orari sono UTC + 1 ora [ ora legale ]

Filtro località

Filtro località

In questo pannello è possibile effettuare delle ricerche mirate in base alle località inserite nel forum.

Statistiche

Statistiche
In totale ci sono 89557 taxa:
- 85656 taxa con dati completi
- 2726 taxa con dati parziali, riconducibili ad un paese
- 1175 taxa con dati incompleti


escludi dalla ricerca i subforum
Distribuzione in Europa
Distribuzione in Italia
Filtro applicato: ITALIA - Lazio

Pagina 1 di 4 [ 56 messaggi ]

# A B C D E F G H I J K L M N O P Q R S T U V W X Y Z
 Argomenti   Autore   Risposte   Visite    Ultimo messaggio 
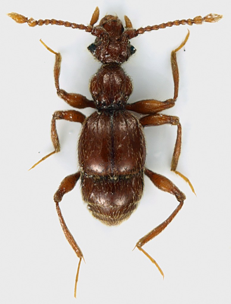
Aphilia crassipes (Raffray, 1908) - Staphylinidae Pselaphinae
5.VII.2020 - ITALIA - Lazio - RM, Anzio
Allegato(i) Dettagli della specie
Aphilia crassipes (Raffray, 1908) - Staphylinidae Pselaphinae

in Staphylinidae Pselaphinae


Dati di raccolta: 5.VII.2020 - ITALIA - Lazio - RM, Anzio

soken

11

1680

18/07/2020, 12:35

soken Vedi ultimo messaggio

Batrisodes (Batrisodes) oculatus (Aubé, 1833) - Staphylinidae Pselaphinae
14.III.2011 - ITALIA - Lazio - RM, Roma, Via di Settebagni
Allegato(i) Dettagli della specie
Batrisodes (Batrisodes) oculatus (Aubé, 1833) - Staphylinidae Pselaphinae

in Staphylinidae Pselaphinae


Dati di raccolta: 14.III.2011 - ITALIA - Lazio - RM, Roma, Via di Settebagni

Julodis

8

2457

18/03/2011, 21:00

Julodis Vedi ultimo messaggio

Batrisodes (Batrisodes) oculatus (Aubé, 1833) - Staphylinidae Pselaphinae
14.XI.2011 - ITALIA - Lazio - RM, Cervara di Roma, 1200 m
Allegato(i) Dettagli della specie
Batrisodes (Batrisodes) oculatus (Aubé, 1833) - Staphylinidae Pselaphinae

in Staphylinidae Pselaphinae


Dati di raccolta: 14.XI.2011 - ITALIA - Lazio - RM, Cervara di Roma, 1200 m

Julodis

5

1522

17/11/2011, 23:44

Julodis Vedi ultimo messaggio

Bibloplectus sp. - Staphylinidae Pselaphinae - Lazio
22.XI.2012 - ITALIA - Lazio - RM, Roma, Via di Settebagni
Allegato(i)
Bibloplectus sp. - Staphylinidae Pselaphinae - Lazio

in Staphylinidae Pselaphinae


Dati di raccolta: 22.XI.2012 - ITALIA - Lazio - RM, Roma, Via di Settebagni

Julodis

4

982

26/11/2012, 16:51

Julodis Vedi ultimo messaggio

Brachygluta (Brachygluta) perforata (Aubé, 1833) - Staphylinidae Pselaphinae
VII.2017 - ITALIA - Lazio - FR, Serrone, 650 m, sul terrazzo di casa, alla luce nera
Allegato(i) Dettagli della specie
Brachygluta (Brachygluta) perforata (Aubé, 1833) - Staphylinidae Pselaphinae

in Staphylinidae Pselaphinae


Dati di raccolta: VII.2017 - ITALIA - Lazio - FR, Serrone, 650 m, sul terrazzo di casa, alla luce nera

Julodis

2

996

10/08/2017, 20:51

Julodis Vedi ultimo messaggio

Brachygluta (Brachygluta) trigonoprocta (Ganglbauer, 1895) - Staphylinidae Pselaphinae
29.III.1998 - ITALIA - Lazio - RI, sponda lago del Turano
Allegato(i) Dettagli della specie
Brachygluta (Brachygluta) trigonoprocta (Ganglbauer, 1895) - Staphylinidae Pselaphinae

in Staphylinidae Pselaphinae


Dati di raccolta: 29.III.1998 - ITALIA - Lazio - RI, sponda lago del Turano

giuseppe55

0

678

15/03/2013, 21:06

giuseppe55 Vedi ultimo messaggio

Brachygluta (Brachygluta) tristis (Hampe, 1863) cf. - Staphylinidae Pselaphinae
25.XI.2013 - ITALIA - Lazio - RM, Via di Settebagni
Allegato(i) Dettagli della specie
Brachygluta (Brachygluta) tristis (Hampe, 1863) - Staphylinidae Pselaphinae cf.

in Staphylinidae Pselaphinae


Dati di raccolta: 25.XI.2013 - ITALIA - Lazio - RM, Via di Settebagni

Julodis

14

2983

17/12/2013, 10:42

Loriscola Vedi ultimo messaggio

Brachygluta sp. - Staphylinidae Pselaphinae
2.XI.2012 - ITALIA - Lazio - RM, Maccarese
Allegato(i)
Brachygluta sp. - Staphylinidae Pselaphinae

in Staphylinidae Pselaphinae


Dati di raccolta: 2.XI.2012 - ITALIA - Lazio - RM, Maccarese

Julodis

3

967

06/11/2012, 15:23

Loriscola Vedi ultimo messaggio

Brachygluta sp. - Staphylinidae Pselaphinae teratologico - Lazio
24.XI.2012 - ITALIA - Lazio - RM, Maccarese
Allegato(i)
Brachygluta sp. - Staphylinidae Pselaphinae teratologico - Lazio

in Staphylinidae Pselaphinae


Dati di raccolta: 24.XI.2012 - ITALIA - Lazio - RM, Maccarese

Julodis

3

906

28/11/2012, 9:10

Loriscola Vedi ultimo messaggio

Bryaxis italicus (Baudi, 1869) - Staphylinidae Pselaphinae
25.XI.2013 - ITALIA - Lazio - RM, Via di Settebagni
Allegato(i) Dettagli della specie
Bryaxis italicus (Baudi, 1869) - Staphylinidae Pselaphinae

in Staphylinidae Pselaphinae


Dati di raccolta: 25.XI.2013 - ITALIA - Lazio - RM, Via di Settebagni

Julodis

4

1362

02/12/2013, 17:14

Julodis Vedi ultimo messaggio

Bryaxis italicus (Baudi, 1869) - Staphylinidae Pselaphinae
IV.2010 - ITALIA - Lazio - RM, Roma- Castelporziano
Allegato(i) Dettagli della specie
Bryaxis italicus (Baudi, 1869) - Staphylinidae Pselaphinae

in Staphylinidae Pselaphinae


Dati di raccolta: IV.2010 - ITALIA - Lazio - RM, Roma- Castelporziano

aesalus37

2

796

22/01/2014, 7:44

aesalus37 Vedi ultimo messaggio

Bryaxis italicus (Baudi, 1869) - Staphylinidae Pselaphinae
V.2015 - ITALIA - Lazio - FR, Serrone
Allegato(i) Dettagli della specie
Bryaxis italicus (Baudi, 1869) - Staphylinidae Pselaphinae

in Staphylinidae Pselaphinae


Dati di raccolta: V.2015 - ITALIA - Lazio - FR, Serrone

Julodis

3

1400

20/05/2015, 18:57

Julodis Vedi ultimo messaggio

Bryaxis pedator (Reitter, 1881) - Staphylinidae Pselaphinae
8.II.2010 - ITALIA - Lazio - RM, Casape
Allegato(i) Dettagli della specie
Bryaxis pedator (Reitter, 1881) - Staphylinidae Pselaphinae

in Staphylinidae Pselaphinae


Dati di raccolta: 8.II.2010 - ITALIA - Lazio - RM, Casape

Julodis

7

1383

16/02/2010, 16:59

Julodis Vedi ultimo messaggio

Bryaxis pedator (Reitter, 1881) - Staphylinidae Pselaphinae
11.IX.2010 - ITALIA - Lazio - FR, Trevi nel Lazio, 800 m
Allegato(i) Dettagli della specie
Bryaxis pedator (Reitter, 1881) - Staphylinidae Pselaphinae

in Staphylinidae Pselaphinae


Dati di raccolta: 11.IX.2010 - ITALIA - Lazio - FR, Trevi nel Lazio, 800 m

Julodis

1

825

14/09/2010, 9:43

Honza Vedi ultimo messaggio

Bryaxis pedator (Reitter, 1881) - Staphylinidae Pselaphinae
20.X.2010 - ITALIA - Lazio - RM, Monte Morra
Allegato(i) Dettagli della specie
Bryaxis pedator (Reitter, 1881) - Staphylinidae Pselaphinae

in Staphylinidae Pselaphinae


Dati di raccolta: 20.X.2010 - ITALIA - Lazio - RM, Monte Morra

Julodis

1

817

13/11/2010, 1:54

Loriscola Vedi ultimo messaggio



Inserisci un link per questa ricerca

Inserisci un link per questa ricerca URL
BBCode
HTML
Vai a: