Benvenuto Ospite

Forum Entomologi Italiani

www.entomologiitaliani.net/forum
 
Oggi è 29/10/2025, 10:38

Tutti gli orari sono UTC + 1 ora [ ora legale ]

Filtro località

Filtro località

In questo pannello è possibile effettuare delle ricerche mirate in base alle località inserite nel forum.

Statistiche

Statistiche
In totale ci sono 89557 taxa:
- 85656 taxa con dati completi
- 2726 taxa con dati parziali, riconducibili ad un paese
- 1175 taxa con dati incompleti


escludi dalla ricerca i subforum
Distribuzione in Europa
Distribuzione in Italia
Filtro applicato: ITALIA - Sardegna

Pagina 1 di 3 [ 40 messaggi ]

# A B C D E F G H I J K L M N O P Q R S T U V W X Y Z
 Argomenti   Autore   Risposte   Visite    Ultimo messaggio 
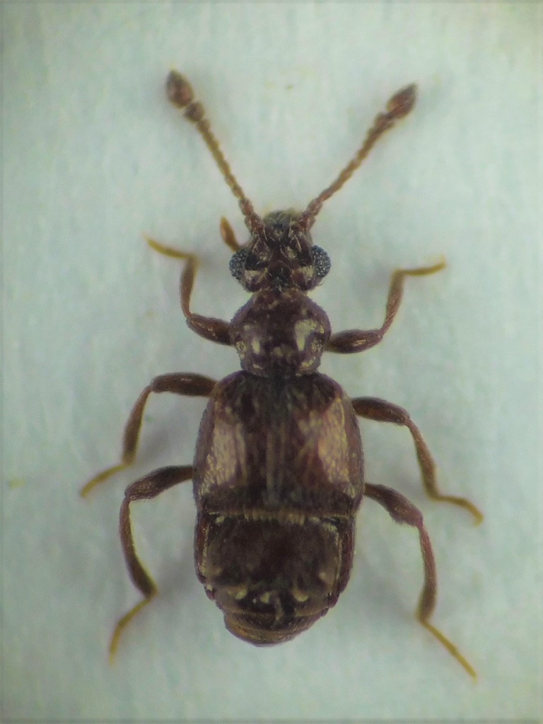
Aphiliops baccettii Poggi, 1992 - Staphylinidae Pselaphinae
10.V.2010 - ITALIA - Sardegna - CA, Sarroch Bacch'e Linna - leg. Fancello
Allegato(i) Dettagli della specie
Aphiliops baccettii Poggi, 1992 - Staphylinidae Pselaphinae

in Staphylinidae Pselaphinae


Dati di raccolta: 10.V.2010 - ITALIA - Sardegna - CA, Sarroch Bacch'e Linna - leg. Fancello

Loriscola

5

1615

23/09/2011, 18:04

Julodis Vedi ultimo messaggio

Aphiliops baccettii Poggi, 1992 cf. - Staphylinidae Pselaphinae
26.XII.2011 - ITALIA - Sardegna - CA, Capo S. Elia (CA), leg. R. Rattu
Allegato(i) Dettagli della specie
Aphiliops baccettii Poggi, 1992 - Staphylinidae Pselaphinae cf.

in Staphylinidae Pselaphinae


Dati di raccolta: 26.XII.2011 - ITALIA - Sardegna - CA, Capo S. Elia (CA), leg. R. Rattu

Fumea crassiorella

6

1473

28/12/2011, 19:15

Fumea crassiorella Vedi ultimo messaggio

Aphiliops sp. - Staphylinidae Pselaphinae
18.IV.2010 - ITALIA - Sardegna - CA, Capoterra - Macchiareddu leg. Fancello
Allegato(i)
Aphiliops sp. - Staphylinidae Pselaphinae

in Staphylinidae Pselaphinae


Dati di raccolta: 18.IV.2010 - ITALIA - Sardegna - CA, Capoterra - Macchiareddu leg. Fancello

Loriscola

0

652

23/09/2011, 22:08

Loriscola Vedi ultimo messaggio

Brachygluta (Brachygluta) aubei (Tournier, 1867) - Staphylinidae Pselaphinae
26.IV.2025 - ITALIA - Sardegna - CI, Calasetta
Allegato(i)
Brachygluta (Brachygluta) aubei (Tournier, 1867) - Staphylinidae Pselaphinae

in Staphylinidae Pselaphinae


Dati di raccolta: 26.IV.2025 - ITALIA - Sardegna - CI, Calasetta

Daniele Sechi

3

1020

29/05/2025, 10:03

Daniele Sechi Vedi ultimo messaggio

Brachygluta (Brachygluta) dentiventris (Saulcy, 1876) - Staphylinidae Pselaphinae
4.IV.2025 - ITALIA - Sardegna - CA, Villaspeciosa
Allegato(i) Dettagli della specie
Brachygluta (Brachygluta) dentiventris (Saulcy, 1876) - Staphylinidae Pselaphinae

in Staphylinidae Pselaphinae


Dati di raccolta: 4.IV.2025 - ITALIA - Sardegna - CA, Villaspeciosa

Daniele Sechi

3

617

29/05/2025, 10:00

Daniele Sechi Vedi ultimo messaggio

Brachygluta (Brachygluta) hipponensis (Saulcy, 1876) cf. - Staphylinidae Pselaphinae
9.III.2011 - ITALIA - Sardegna - CA, saline di Cagliari
Allegato(i) Dettagli della specie
Brachygluta (Brachygluta) hipponensis (Saulcy, 1876) - Staphylinidae Pselaphinae cf.

in Staphylinidae Pselaphinae


Dati di raccolta: 9.III.2011 - ITALIA - Sardegna - CA, saline di Cagliari

Fumea crassiorella

1

708

09/03/2011, 17:33

Honza Vedi ultimo messaggio

Brachygluta (Brachygluta) hipponensis (Saulcy, 1876) cf. - Staphylinidae Pselaphinae
2.I.2012 - ITALIA - Sardegna - CA, saline di Cagliari, leg. R. Rattu
Allegato(i) Dettagli della specie
Brachygluta (Brachygluta) hipponensis (Saulcy, 1876) - Staphylinidae Pselaphinae cf.

in Staphylinidae Pselaphinae


Dati di raccolta: 2.I.2012 - ITALIA - Sardegna - CA, saline di Cagliari, leg. R. Rattu

Fumea crassiorella

4

1057

02/01/2012, 22:24

Fumea crassiorella Vedi ultimo messaggio

Brachygluta (Brachygluta) sardoa (Saulcy, 1876) - Staphylinidae Pselaphinae
4.IV.2010 - ITALIA - Sardegna - OR, Cabras
Allegato(i) Dettagli della specie
Brachygluta (Brachygluta) sardoa (Saulcy, 1876) - Staphylinidae Pselaphinae

in Staphylinidae Pselaphinae


Dati di raccolta: 4.IV.2010 - ITALIA - Sardegna - OR, Cabras

Honza

0

942

22/04/2010, 21:35

Honza Vedi ultimo messaggio

Brachygluta (Brachygluta) sardoa (Saulcy, 1876) - Staphylinidae Pselaphinae
4.VII.2016 - ITALIA - Sardegna - CI, Saline di Calasetta
Allegato(i) Dettagli della specie
Brachygluta (Brachygluta) sardoa (Saulcy, 1876) - Staphylinidae Pselaphinae

in Staphylinidae Pselaphinae


Dati di raccolta: 4.VII.2016 - ITALIA - Sardegna - CI, Saline di Calasetta

Mikiphasmide

3

1181

08/05/2017, 14:28

Mikiphasmide Vedi ultimo messaggio

Brachygluta (Brachygluta) sengleti Besuchet, 1969 - Staphylinidae Pselaphinae
8.VI.2009 - ITALIA - Sardegna - NU, Tertenia, 150 m
Allegato(i) Dettagli della specie
Brachygluta (Brachygluta) sengleti Besuchet, 1969 - Staphylinidae Pselaphinae

[ Vai alla pagina: 1, 2 ]

in Staphylinidae Pselaphinae


Dati di raccolta: 8.VI.2009 - ITALIA - Sardegna - NU, Tertenia, 150 m

Andrea Pergine

15

3380

13/02/2017, 12:34

Andrea Pergine Vedi ultimo messaggio

Brachygluta (Brachygluta) sengleti Besuchet, 1969 - Staphylinidae Pselaphinae
18.VI.2009 - ITALIA - Sardegna - CA, Capoterra - Rio Gutturu Mannu - leg. Sechi
Allegato(i) Dettagli della specie
Brachygluta (Brachygluta) sengleti Besuchet, 1969 - Staphylinidae Pselaphinae

in Staphylinidae Pselaphinae


Dati di raccolta: 18.VI.2009 - ITALIA - Sardegna - CA, Capoterra - Rio Gutturu Mannu - leg. Sechi

Loriscola

2

864

02/01/2014, 15:15

Loriscola Vedi ultimo messaggio

Brachygluta (Brachygluta) sengleti Besuchet, 1969 cf. - Staphylinidae Pselaphinae
19.III.2014 - ITALIA - Sardegna - NU, Orgosolo, Pira e Onni, leg. A. Degiovanni
Allegato(i) Dettagli della specie
Brachygluta (Brachygluta) sengleti Besuchet, 1969 - Staphylinidae Pselaphinae cf.

in Staphylinidae Pselaphinae


Dati di raccolta: 19.III.2014 - ITALIA - Sardegna - NU, Orgosolo, Pira e Onni, leg. A. Degiovanni

Notoxus59

5

1174

30/04/2014, 15:23

Loriscola Vedi ultimo messaggio

Allegato(i) Dettagli della specie
Brachygluta (Brachygluta) trigonoprocta (Ganglbauer, 1895) - Staphylinidae Pselaphinae

in Staphylinidae Pselaphinae


Dati di raccolta: ITALIA - Sardegna - OR, Cabras

Honza

0

739

30/04/2010, 13:21

Honza Vedi ultimo messaggio

Bryaxis aelistae (Reitter, 1881) - Staphylinidae Pselaphinae
7.V.2011 - ITALIA - Sardegna - CA, Arbus leg. Fancello
Allegato(i) Dettagli della specie
Bryaxis aelistae (Reitter, 1881) - Staphylinidae Pselaphinae

in Staphylinidae Pselaphinae


Dati di raccolta: 7.V.2011 - ITALIA - Sardegna - CA, Arbus leg. Fancello

Loriscola

4

1060

22/01/2013, 16:04

Honza Vedi ultimo messaggio

Bryaxis difficilis (Reitter, 1884) - Staphylinidae Pselaphinae
19.III.2012 - ITALIA - Sardegna - NU, Galtelli
Allegato(i) Dettagli della specie
Bryaxis difficilis (Reitter, 1884) - Staphylinidae Pselaphinae

in Staphylinidae Pselaphinae


Dati di raccolta: 19.III.2012 - ITALIA - Sardegna - NU, Galtelli

Loriscola

4

1091

14/05/2012, 11:14

Honza Vedi ultimo messaggio



Inserisci un link per questa ricerca

Inserisci un link per questa ricerca URL
BBCode
HTML
Vai a: