Benvenuto Ospite

Forum Entomologi Italiani

www.entomologiitaliani.net/forum
 
Oggi è 10/11/2025, 15:03

Tutti gli orari sono UTC + 1 ora [ ora legale ]

Filtro località

Filtro località

In questo pannello è possibile effettuare delle ricerche mirate in base alle località inserite nel forum.

Statistiche

Statistiche
In totale ci sono 89611 taxa:
- 85703 taxa con dati completi
- 2729 taxa con dati parziali, riconducibili ad un paese
- 1179 taxa con dati incompleti


escludi dalla ricerca i subforum
Distribuzione in Europa
Distribuzione in Italia
Filtro applicato: ITALIA - Emilia-Romagna

Pagina 1 di 2 [ 16 messaggi ]

# A B C D E F G H I J K L M N O P Q R S T U V W X Y Z
 Argomenti   Autore   Risposte   Visite    Ultimo messaggio 
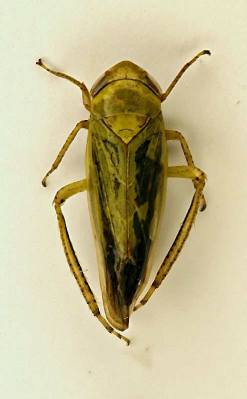
Cicadellidae - Sasso Marconi (BO)
V.2010 - ITALIA - Emilia-Romagna - BO, Sasso Marconi - Palazzo Rossi
Allegato(i)
Cicadellidae - Sasso Marconi (BO)

in Cicadellidae


Dati di raccolta: V.2010 - ITALIA - Emilia-Romagna - BO, Sasso Marconi - Palazzo Rossi

Loriscola

4

1137

14/06/2010, 10:26

Loriscola Vedi ultimo messaggio

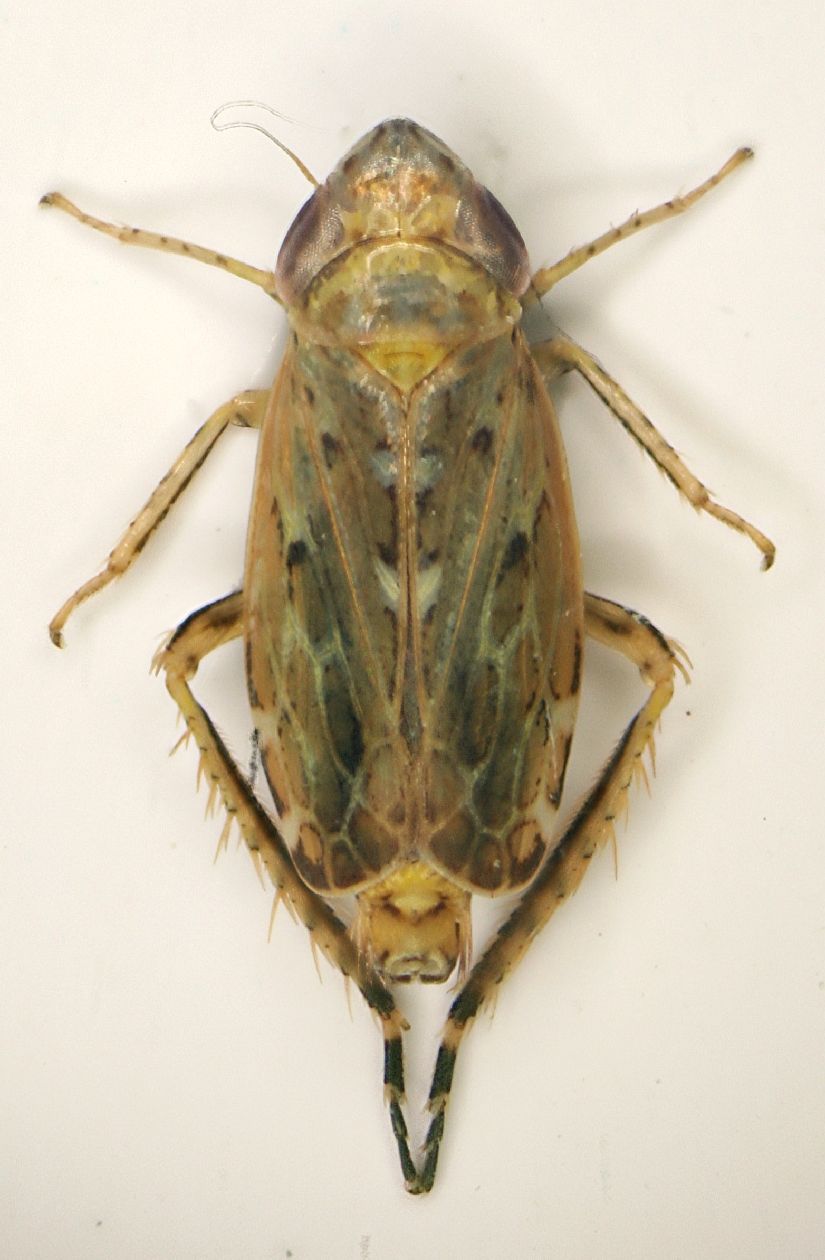
Cicadellidae Deltocephalinae
18.V.2011 - ITALIA - Emilia-Romagna - BO, Sasso Marconi - Palazzo Rossi
Allegato(i)
Cicadellidae Deltocephalinae

in Cicadellidae


Dati di raccolta: 18.V.2011 - ITALIA - Emilia-Romagna - BO, Sasso Marconi - Palazzo Rossi

Loriscola

2

1703

28/05/2011, 16:59

halobates Vedi ultimo messaggio

Cicadellidae Idiocerinae sp.
10.V.2022 - ITALIA - Emilia-Romagna - PR, Borgo Taro, Foresta del Brattello
Allegato(i)
Cicadellidae Idiocerinae sp.

in Cicadellidae


Dati di raccolta: 10.V.2022 - ITALIA - Emilia-Romagna - PR, Borgo Taro, Foresta del Brattello

marco paglialunga

0

713

31/05/2022, 8:52

marco paglialunga Vedi ultimo messaggio

Cicadellidae sp.
I.2011 - ITALIA - Emilia-Romagna - BO, Sasso Marconi - Palazzo Rossi
Allegato(i)
Cicadellidae sp.

in Cicadellidae


Dati di raccolta: I.2011 - ITALIA - Emilia-Romagna - BO, Sasso Marconi - Palazzo Rossi

Loriscola

4

1124

16/01/2011, 22:42

halobates Vedi ultimo messaggio

Cicadellidae, Agalliinae, cf. Anaceratagallia sp. ?
I.2011 - ITALIA - Emilia-Romagna - BO, Sasso Marconi - Palazzo Rossi
Allegato(i)
Cicadellidae, Agalliinae, cf. Anaceratagallia sp. ?

in Cicadellidae


Dati di raccolta: I.2011 - ITALIA - Emilia-Romagna - BO, Sasso Marconi - Palazzo Rossi

Loriscola

4

1060

13/01/2011, 22:37

halobates Vedi ultimo messaggio

Erythria cfr. alpina (Vidano, 1959) - Cicadellidae Typhlocybinae - Casalecchio di Reno (BO) - Tizzano
25.XI.2010 - ITALIA - Emilia-Romagna - BO, Casalecchio di Reno - Tizzano
Allegato(i)
Erythria cfr. alpina (Vidano, 1959) - Cicadellidae Typhlocybinae - Casalecchio di Reno (BO) - Tizzano

in Cicadellidae


Dati di raccolta: 25.XI.2010 - ITALIA - Emilia-Romagna - BO, Casalecchio di Reno - Tizzano

Loriscola

8

1471

27/01/2012, 22:26

Loriscola Vedi ultimo messaggio

Eupelix cuspidata (Fabricius, 1775) - Cicadellidae
9.VI.2017 - ITALIA - Emilia-Romagna - BO, Molinella
Allegato(i)
Eupelix cuspidata (Fabricius, 1775) - Cicadellidae

in Cicadellidae


Dati di raccolta: 9.VI.2017 - ITALIA - Emilia-Romagna - BO, Molinella

Loriscola

1

1159

16/06/2017, 9:43

halobates Vedi ultimo messaggio

Eupteryx aurata (Linnaeus, 1758) - Cicadellidae Typhlocybinae Typhlocybini - Emilia Romagna, Sasso Marconi (BO)
IX.2010 - ITALIA - Emilia-Romagna - BO, Sasso Marconi - Palazzo Rossi
Allegato(i)
Eupteryx aurata (Linnaeus, 1758) - Cicadellidae Typhlocybinae Typhlocybini - Emilia Romagna, Sasso Marconi (BO)

in Cicadellidae


Dati di raccolta: IX.2010 - ITALIA - Emilia-Romagna - BO, Sasso Marconi - Palazzo Rossi

Loriscola

5

864

15/11/2010, 0:09

Erythria Vedi ultimo messaggio

Eupteryx notata Curtis, 1837 - Cicadellidae Typhlocybinae
21.IV.2011 - ITALIA - Emilia-Romagna - BO, Sasso Marconi - Palazzo Rossi
Allegato(i)
Eupteryx notata Curtis, 1837 - Cicadellidae Typhlocybinae

in Cicadellidae


Dati di raccolta: 21.IV.2011 - ITALIA - Emilia-Romagna - BO, Sasso Marconi - Palazzo Rossi

Loriscola

2

807

23/05/2011, 10:40

Erythria Vedi ultimo messaggio

Goniagnathus brevis (Herrich-Schaffer, 1835) - Cicadellidae Deltocephalinae - Sasso Marconi (BO)
20.III.2010 - ITALIA - Emilia-Romagna - BO, Sasso Marconi - Palazzo Rossi
Allegato(i)
Goniagnathus brevis (Herrich-Schaffer, 1835) - Cicadellidae Deltocephalinae - Sasso Marconi (BO)

in Cicadellidae


Dati di raccolta: 20.III.2010 - ITALIA - Emilia-Romagna - BO, Sasso Marconi - Palazzo Rossi

Loriscola

8

1729

30/03/2010, 9:43

FrS Vedi ultimo messaggio

Hishimonus hamatus Kuoh, 1976 - Cicadellidae
14.VI.2017 - ITALIA - Emilia-Romagna - RA, Glorie
Allegato(i)
Hishimonus hamatus Kuoh, 1976 - Cicadellidae

in Cicadellidae


Dati di raccolta: 14.VI.2017 - ITALIA - Emilia-Romagna - RA, Glorie

Chalybion

2

2253

17/01/2020, 20:11

Chalybion Vedi ultimo messaggio

Megophthalmus sp. - Cicadellidae Megophthalminae - Sasso Marconi (BO)
IX.2010 - ITALIA - Emilia-Romagna - BO, Sasso Marconi - Palazzo Rossi
Allegato(i)
Megophthalmus sp. - Cicadellidae Megophthalminae - Sasso Marconi (BO)

in Cicadellidae


Dati di raccolta: IX.2010 - ITALIA - Emilia-Romagna - BO, Sasso Marconi - Palazzo Rossi

Loriscola

1

819

10/09/2010, 15:03

FrS Vedi ultimo messaggio

Metalimnus sp. - Cicadellidae Deltocephalinae
7.VII.2017 - ITALIA - Emilia-Romagna - BO, Castel d'Aiano - Monte Spe mt. 800
Allegato(i)
Metalimnus sp. - Cicadellidae Deltocephalinae

in Cicadellidae


Dati di raccolta: 7.VII.2017 - ITALIA - Emilia-Romagna - BO, Castel d'Aiano - Monte Spe mt. 800

Loriscola

3

1211

25/07/2017, 11:02

Nicarinus Vedi ultimo messaggio

ninfa - Cicadellidae Idiocerinae
19.V.2012 - ITALIA - Emilia-Romagna - BO, Rastignano
Allegato(i)
ninfa - Cicadellidae Idiocerinae

in Cicadellidae


Dati di raccolta: 19.V.2012 - ITALIA - Emilia-Romagna - BO, Rastignano

sarsar09

2

1058

18/06/2012, 15:19

sarsar09 Vedi ultimo messaggio

Utecha trivia (Germar, 1821) - Cicadellidae
11.VI.2017 - ITALIA - Emilia-Romagna - BO, Castel d'Aiano - Monte Spe mt. 800
Allegato(i)
Utecha trivia (Germar, 1821) - Cicadellidae

in Cicadellidae


Dati di raccolta: 11.VI.2017 - ITALIA - Emilia-Romagna - BO, Castel d'Aiano - Monte Spe mt. 800

Loriscola

3

1594

13/01/2018, 15:21

Erythria Vedi ultimo messaggio



Inserisci un link per questa ricerca

Inserisci un link per questa ricerca URL
BBCode
HTML
Vai a:  
cron