Benvenuto Ospite

Forum Entomologi Italiani

www.entomologiitaliani.net/forum
 
Oggi è 10/11/2025, 15:04

Tutti gli orari sono UTC + 1 ora [ ora legale ]

Filtro località

Filtro località

In questo pannello è possibile effettuare delle ricerche mirate in base alle località inserite nel forum.

Statistiche

Statistiche
In totale ci sono 89611 taxa:
- 85703 taxa con dati completi
- 2729 taxa con dati parziali, riconducibili ad un paese
- 1179 taxa con dati incompleti


escludi dalla ricerca i subforum
Distribuzione in Europa
Distribuzione in Italia
Filtro applicato: ITALIA - Abruzzo

Pagina 1 di 1 [ 1 messaggio ]

# A B C D E F G H I J K L M N O P Q R S T U V W X Y Z
 Argomenti   Autore   Risposte   Visite    Ultimo messaggio 
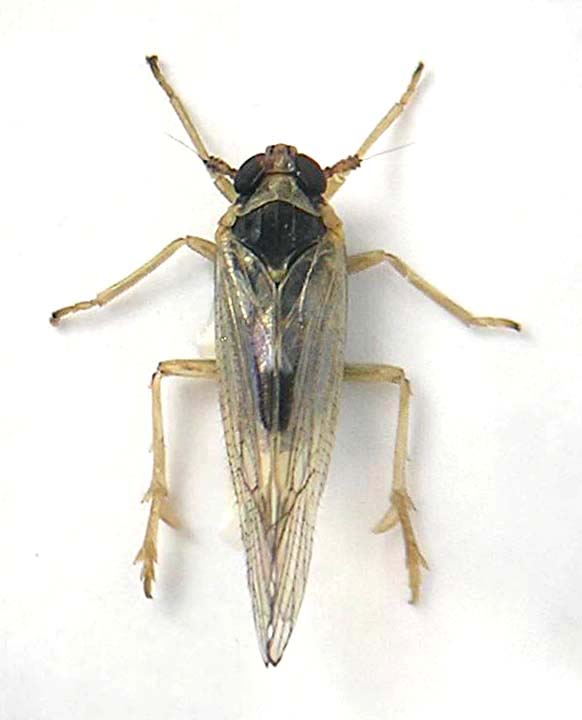
Laodelphax striatella (Fallén, 1826) ♂ - Delphacidae
19.VII.2014 - ITALIA - Abruzzo - PE, Pianella, 230m
Allegato(i)
Laodelphax striatella (Fallén, 1826) ♂ - Delphacidae

in Delphacidae


Dati di raccolta: 19.VII.2014 - ITALIA - Abruzzo - PE, Pianella, 230m

Alessio89

2

2541

15/08/2014, 16:20

Alessio89 Vedi ultimo messaggio


Inserisci un link per questa ricerca

Inserisci un link per questa ricerca URL
BBCode
HTML
Vai a: