Benvenuto Ospite

Forum Entomologi Italiani

www.entomologiitaliani.net/forum
 
Oggi è 10/11/2025, 15:04

Tutti gli orari sono UTC + 1 ora [ ora legale ]

Filtro località

Filtro località

In questo pannello è possibile effettuare delle ricerche mirate in base alle località inserite nel forum.

Statistiche

Statistiche
In totale ci sono 89611 taxa:
- 85703 taxa con dati completi
- 2729 taxa con dati parziali, riconducibili ad un paese
- 1179 taxa con dati incompleti


escludi dalla ricerca i subforum
Distribuzione in Europa
Distribuzione in Italia
Filtro applicato: ITALIA - Emilia-Romagna

Pagina 1 di 1 [ 4 messaggi ]

# A B C D E F G H I J K L M N O P Q R S T U V W X Y Z
 Argomenti   Autore   Risposte   Visite    Ultimo messaggio 
Delphacidae sp.
2.II.2013 - ITALIA - Emilia-Romagna - RA, Punta Alberete
Allegato(i)
Delphacidae sp.

in Delphacidae


Dati di raccolta: 2.II.2013 - ITALIA - Emilia-Romagna - RA, Punta Alberete

Loriscola

1

1888

08/02/2013, 0:34

halobates Vedi ultimo messaggio

Delphacidae sp. (paludi ravennati)
6.I.2014 - ITALIA - Emilia-Romagna - RA, Punta Alberete
Allegato(i)
Delphacidae sp. (paludi ravennati)

in Delphacidae


Dati di raccolta: 6.I.2014 - ITALIA - Emilia-Romagna - RA, Punta Alberete

Loriscola

5

2897

16/02/2014, 20:22

halobates Vedi ultimo messaggio

Delphax sp. - Delphacidae
5.VIII.2011 - ITALIA - Emilia-Romagna - RA, Mezzano (ZPS)
Allegato(i)
Delphax sp. - Delphacidae

in Delphacidae


Dati di raccolta: 5.VIII.2011 - ITALIA - Emilia-Romagna - RA, Mezzano (ZPS)

Chalybion

2

2052

19/02/2020, 19:34

Chalybion Vedi ultimo messaggio

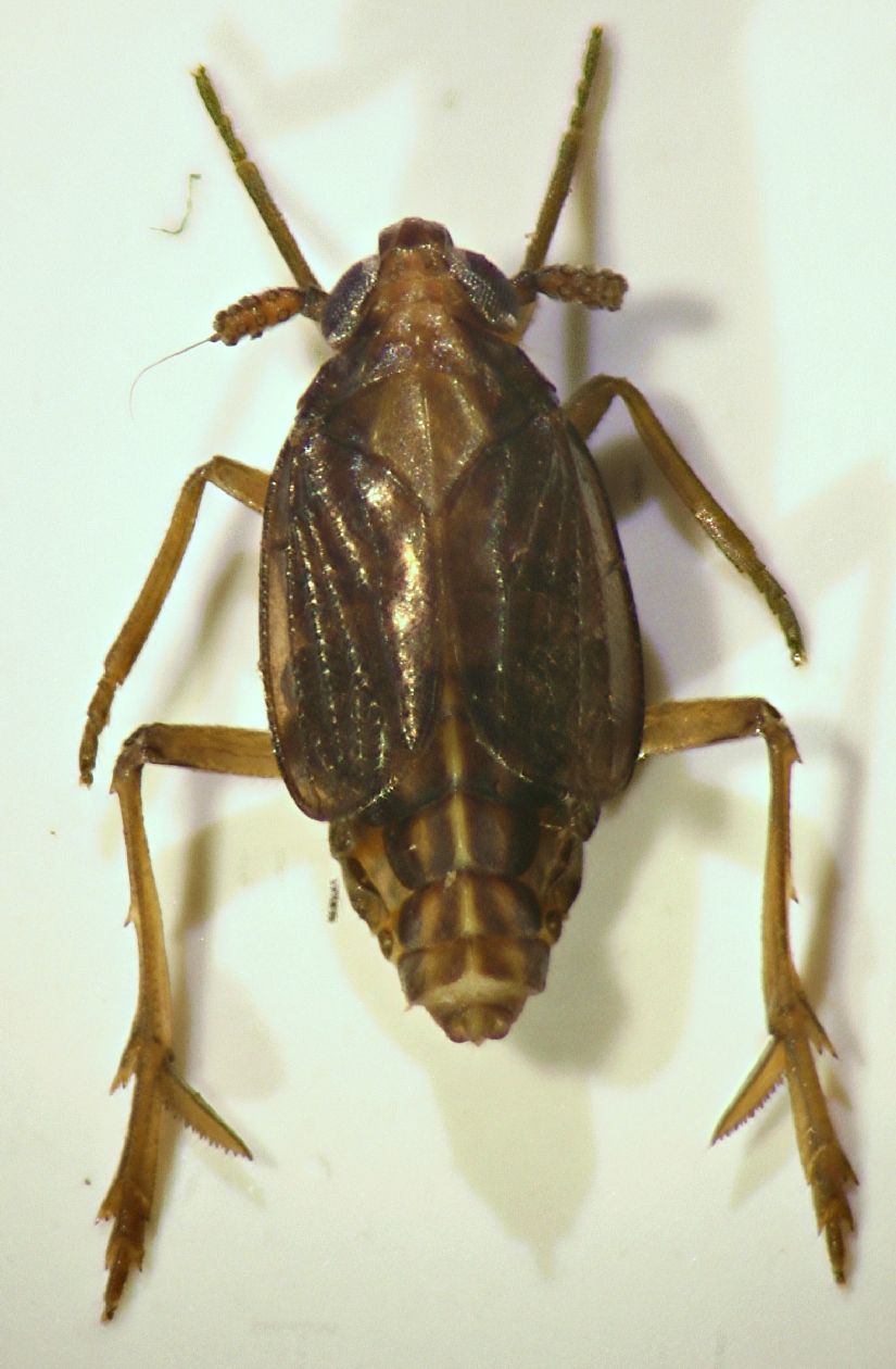
Ditropis pteridis (Spinola, 1839) - Delphacidae
4.VI.2017 - ITALIA - Emilia-Romagna - BO, Castel d'Aiano - Monte Spe mt. 800
Allegato(i)
Ditropis pteridis (Spinola, 1839) - Delphacidae

in Delphacidae


Dati di raccolta: 4.VI.2017 - ITALIA - Emilia-Romagna - BO, Castel d'Aiano - Monte Spe mt. 800

Loriscola

2

1999

13/01/2018, 14:59

Erythria Vedi ultimo messaggio


Inserisci un link per questa ricerca

Inserisci un link per questa ricerca URL
BBCode
HTML
Vai a: