Benvenuto Ospite

Forum Entomologi Italiani

www.entomologiitaliani.net/forum
 
Oggi è 10/11/2025, 15:04

Tutti gli orari sono UTC + 1 ora [ ora legale ]

Filtro località

Filtro località

In questo pannello è possibile effettuare delle ricerche mirate in base alle località inserite nel forum.

Statistiche

Statistiche
In totale ci sono 89611 taxa:
- 85703 taxa con dati completi
- 2729 taxa con dati parziali, riconducibili ad un paese
- 1179 taxa con dati incompleti


escludi dalla ricerca i subforum
Distribuzione in Europa
Distribuzione in Italia
Filtro applicato: SPAGNA

Pagina 1 di 1 [ 3 messaggi ]

# A B C D E F G H I J K L M N O P Q R S T U V W X Y Z
 Argomenti   Autore   Risposte   Visite    Ultimo messaggio 
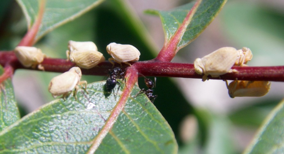
Agalmatium bilobum (Fieber, 1877) (cf.) - Issidae
30.VI.2012 - SPAGNA - EE, Rivas-Vaciamadrid, Madrid
Allegato(i)
Agalmatium bilobum (Fieber, 1877) (cf.) - Issidae

in Issidae


Dati di raccolta: 30.VI.2012 - SPAGNA - EE, Rivas-Vaciamadrid, Madrid

Isidro

3

2234

09/02/2014, 19:38

halobates Vedi ultimo messaggio

Issidae sp.
2.VIII.2018 - SPAGNA - EE, San Cristobal de La Laguna - Tenerife (Canarie)
Allegato(i)
Issidae sp.

in Issidae


Dati di raccolta: 2.VIII.2018 - SPAGNA - EE, San Cristobal de La Laguna - Tenerife (Canarie)

vladim

3

1656

30/08/2018, 19:15

vladim Vedi ultimo messaggio

Issus sp. - Issidae
9.VIII.2008 - SPAGNA - EE, La Peña, Huesca, Pre-Pyrenees
Allegato(i)
Issus sp. - Issidae

in Issidae


Dati di raccolta: 9.VIII.2008 - SPAGNA - EE, La Peña, Huesca, Pre-Pyrenees

Isidro

2

1891

29/07/2012, 22:26

FrS Vedi ultimo messaggio


Inserisci un link per questa ricerca

Inserisci un link per questa ricerca URL
BBCode
HTML
Vai a: