Benvenuto Ospite

Forum Entomologi Italiani

www.entomologiitaliani.net/forum
 
Oggi è 09/10/2025, 20:23

Tutti gli orari sono UTC + 1 ora [ ora legale ]

Filtro località

Filtro località

In questo pannello è possibile effettuare delle ricerche mirate in base alle località inserite nel forum.

Statistiche

Statistiche
In totale ci sono 89480 taxa:
- 85583 taxa con dati completi
- 2722 taxa con dati parziali, riconducibili ad un paese
- 1175 taxa con dati incompleti


escludi dalla ricerca i subforum
Distribuzione in Europa
Distribuzione in Italia
Filtro applicato: IRAN, REPUBBLICA ISLAMICA DELL'

Pagina 1 di 2 [ 25 messaggi ]

# A B C D E F G H I J K L M N O P Q R S T U V W X Y Z
 Argomenti   Autore   Risposte   Visite    Ultimo messaggio 
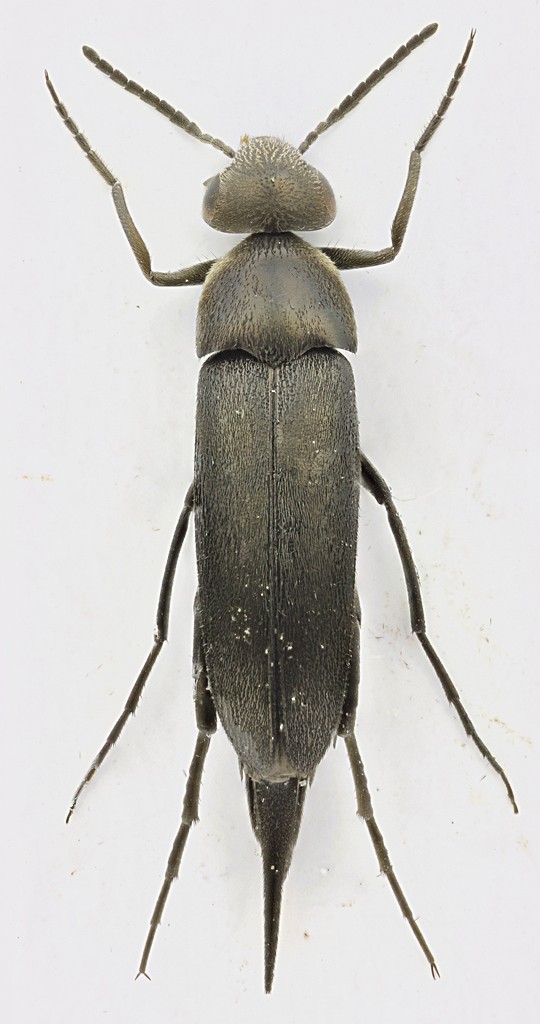
Adesmia (Macradesmia) servillei servillei Solier, 1835 - Tenebrionidae, Pimeliinae, Adesmiini
14.V.2002 - IRAN, REPUBBLICA ISLAMICA DELL' - EE, Azarbaijan-e-Garbi: 26 km W Mahabad
Allegato(i)
Adesmia (Macradesmia) servillei servillei Solier, 1835 - Tenebrionidae, Pimeliinae, Adesmiini

in Tenebrionidae


Dati di raccolta: 14.V.2002 - IRAN, REPUBBLICA ISLAMICA DELL' - EE, Azarbaijan-e-Garbi: 26 km W Mahabad

Isotomus

3

1142

14/03/2010, 16:39

Tenebrio Vedi ultimo messaggio

Alloxantha platytarsia (Švihla, 1983) - Oedemeridae
26.IV.2002 - IRAN, REPUBBLICA ISLAMICA DELL' - EE, Hormozgān, Hasān Langī, 62 km E of Bandar-e-Abbās, lgt S. Kadlec
Allegato(i)
Alloxantha platytarsia (Švihla, 1983) - Oedemeridae

in Oedemeridae


Dati di raccolta: 26.IV.2002 - IRAN, REPUBBLICA ISLAMICA DELL' - EE, Hormozgān, Hasān Langī, 62 km E of Bandar-e-Abbās, lgt S. Kadlec

Plagionotus

0

494

11/11/2022, 16:26

Plagionotus Vedi ultimo messaggio

Alosimus armeniacus (Faldermann, 1837) - Meloidae
13.V.2010 - IRAN, REPUBBLICA ISLAMICA DELL' - EE, Esfahan, 26 km NO Daran m 2445 Legit D. Gianasso
Allegato(i)
Alosimus armeniacus (Faldermann, 1837) - Meloidae

in Meloidae


Dati di raccolta: 13.V.2010 - IRAN, REPUBBLICA ISLAMICA DELL' - EE, Esfahan, 26 km NO Daran m 2445 Legit D. Gianasso

Daniele Sechi

2

1270

29/08/2012, 9:57

Marco A. Bologna Vedi ultimo messaggio

Alosimus luteus Waltl, 1838 (cf.) - Meloidae
8.V.2010 - IRAN, REPUBBLICA ISLAMICA DELL' - EE, Fārs, 8 km N Sepidan m 2480 Legit D. Gianasso
Allegato(i)
Alosimus luteus Waltl, 1838 (cf.) - Meloidae

in Meloidae


Dati di raccolta: 8.V.2010 - IRAN, REPUBBLICA ISLAMICA DELL' - EE, Fārs, 8 km N Sepidan m 2480 Legit D. Gianasso

Daniele Sechi

4

1188

04/09/2012, 15:20

Daniele Sechi Vedi ultimo messaggio

Calydus ornaticollis (Escherich, 1896) - Meloidae Lyttini
11.VI.2015 - IRAN, REPUBBLICA ISLAMICA DELL' - EE, Prov. Semnan; 5 km NE of Agareh
Allegato(i)
Calydus ornaticollis (Escherich, 1896) - Meloidae Lyttini

in Meloidae


Dati di raccolta: 11.VI.2015 - IRAN, REPUBBLICA ISLAMICA DELL' - EE, Prov. Semnan; 5 km NE of Agareh

togaspain

2

641

30/04/2017, 20:00

Marco A. Bologna Vedi ultimo messaggio

Euryostola minor (Baudi di Selve, 1875) - Tenebrionidae Pimeliinae Pimeliini
31.V.1999 - IRAN, REPUBBLICA ISLAMICA DELL' - EE, Azerbaijan occ., Choplu, 2000 m, L. Saltini leg.
Allegato(i)
Euryostola minor (Baudi di Selve, 1875) - Tenebrionidae Pimeliinae Pimeliini

in Tenebrionidae


Dati di raccolta: 31.V.1999 - IRAN, REPUBBLICA ISLAMICA DELL' - EE, Azerbaijan occ., Choplu, 2000 m, L. Saltini leg.

Tenebrio

1

437

14/07/2012, 22:46

ruzzpa Vedi ultimo messaggio

Hedyphanes ocularis Reitter, 1913 - Tenebrionidae Tenebrioninae Helopini
9.V.2002 - IRAN, REPUBBLICA ISLAMICA DELL' - EE, Lorestan: 5-15 km SW Dorud
Allegato(i)
Hedyphanes ocularis Reitter, 1913 - Tenebrionidae Tenebrioninae Helopini

in Tenebrionidae indeterminati


Dati di raccolta: 9.V.2002 - IRAN, REPUBBLICA ISLAMICA DELL' - EE, Lorestan: 5-15 km SW Dorud

Isotomus

2

512

13/02/2013, 11:15

Kit Vedi ultimo messaggio

Hycleus fuscus (Olivier, 1811) cf. - Meloidae Meloinae Mylabrini
9.V.2010 - IRAN, REPUBBLICA ISLAMICA DELL' - EE, Fars: 4 km N of Komher (35N of Sepidan), 30°28’59.5”N 51°51’35.7”E, m. 2415
Allegato(i)
Hycleus fuscus (Olivier, 1811) cf. - Meloidae Meloinae Mylabrini

in Meloidae


Dati di raccolta: 9.V.2010 - IRAN, REPUBBLICA ISLAMICA DELL' - EE, Fars: 4 km N of Komher (35N of Sepidan), 30°28’59.5”N 51°51’35.7”E, m. 2415

Isotomus

1

753

15/06/2010, 17:59

Marco A. Bologna Vedi ultimo messaggio

Hycleus schah schah (Reiche, 1866) - Meloidae Meloinae Mylabrini
23.V.2011 - IRAN, REPUBBLICA ISLAMICA DELL' - EE, (Kerman) Deh Bakri m 2200, legit D. Gianasso
Allegato(i)
Hycleus schah schah (Reiche, 1866) - Meloidae Meloinae Mylabrini

in Meloidae


Dati di raccolta: 23.V.2011 - IRAN, REPUBBLICA ISLAMICA DELL' - EE, (Kerman) Deh Bakri m 2200, legit D. Gianasso

Daniele Sechi

7

1428

01/05/2017, 18:24

Marco A. Bologna Vedi ultimo messaggio

Hycleus zebraeus (Marseul, 1870) - Meloidae Meloinae Mylabrini
18.V.2010 - IRAN, REPUBBLICA ISLAMICA DELL' - EE, (Mazandaran), Sari - Shahmirzad, 4 km SE Kiyasar m 1500 Legit D. Gianasso
Allegato(i)
Hycleus zebraeus (Marseul, 1870) - Meloidae Meloinae Mylabrini

in Meloidae


Dati di raccolta: 18.V.2010 - IRAN, REPUBBLICA ISLAMICA DELL' - EE, (Mazandaran), Sari - Shahmirzad, 4 km SE Kiyasar m 1500 Legit D. Gianasso

Daniele Sechi

2

912

09/09/2012, 9:57

Marco A. Bologna Vedi ultimo messaggio

Meloe (Lampromeloe) variegatus Donovan, 1793 - Meloidae
30.IV.2017 - IRAN, REPUBBLICA ISLAMICA DELL' - EE, Provincia di Zanjan, 2470 m
Allegato(i)
Meloe (Lampromeloe) variegatus Donovan, 1793 - Meloidae

in Meloidae


Dati di raccolta: 30.IV.2017 - IRAN, REPUBBLICA ISLAMICA DELL' - EE, Provincia di Zanjan, 2470 m

Glaphyrus

5

1589

23/10/2017, 16:04

Marco A. Bologna Vedi ultimo messaggio

Meloe (Taphromeloe) erythrocnemus Pallas, 1872 - Meloidae
19.V.2010 - IRAN, REPUBBLICA ISLAMICA DELL' - EE, NE Iran, Semnan: 5 km North of Abr, m. 1800
Allegato(i) Dettagli della specie
Meloe (Taphromeloe) erythrocnemus Pallas, 1872 - Meloidae

in Meloidae


Dati di raccolta: 19.V.2010 - IRAN, REPUBBLICA ISLAMICA DELL' - EE, NE Iran, Semnan: 5 km North of Abr, m. 1800

Isotomus

1

900

15/06/2010, 17:57

Marco A. Bologna Vedi ultimo messaggio

Metaclisa viridis (Motschulsky, 1860) - Tenebrionidae Tenebrioninae Alphitobiini
9.VI.2001 - IRAN, REPUBBLICA ISLAMICA DELL' - EE, Mazandaran: Rudbar (Curti), 23 kn SW Ramsar
Allegato(i)
Metaclisa viridis (Motschulsky, 1860) - Tenebrionidae Tenebrioninae Alphitobiini

in Tenebrionidae


Dati di raccolta: 9.VI.2001 - IRAN, REPUBBLICA ISLAMICA DELL' - EE, Mazandaran: Rudbar (Curti), 23 kn SW Ramsar

Isotomus

2

972

15/03/2010, 10:04

Isotomus Vedi ultimo messaggio

Mordellistena (Mordellistena) sp. - Mordellidae
18.V.2012 - IRAN, REPUBBLICA ISLAMICA DELL' - EE, dintorni di Sanandaj
Allegato(i)
Mordellistena (Mordellistena) sp. - Mordellidae

in Mordellidae


Dati di raccolta: 18.V.2012 - IRAN, REPUBBLICA ISLAMICA DELL' - EE, dintorni di Sanandaj

Julodis

2

688

26/05/2012, 19:11

Julodis Vedi ultimo messaggio

Mordellistena (Mordellistena) sp. - Mordellidae - Iran
18.V.2012 - IRAN, REPUBBLICA ISLAMICA DELL' - EE, dintorni di Sanandaj
Allegato(i)
Mordellistena (Mordellistena) sp. - Mordellidae - Iran

in Mordellidae


Dati di raccolta: 18.V.2012 - IRAN, REPUBBLICA ISLAMICA DELL' - EE, dintorni di Sanandaj

Julodis

1

490

20/05/2012, 15:49

Enrico Ruzzier Vedi ultimo messaggio



Inserisci un link per questa ricerca

Inserisci un link per questa ricerca URL
BBCode
HTML
Vai a: