Benvenuto Ospite

Forum Entomologi Italiani

www.entomologiitaliani.net/forum
 
Oggi è 09/10/2025, 20:26

Tutti gli orari sono UTC + 1 ora [ ora legale ]

Filtro località

Filtro località

In questo pannello è possibile effettuare delle ricerche mirate in base alle località inserite nel forum.

Statistiche

Statistiche
In totale ci sono 89481 taxa:
- 85584 taxa con dati completi
- 2722 taxa con dati parziali, riconducibili ad un paese
- 1175 taxa con dati incompleti


escludi dalla ricerca i subforum
Distribuzione in Europa
Distribuzione in Italia
Filtro applicato: GABON

Pagina 1 di 2 [ 20 messaggi ]

# A B C D E F G H I J K L M N O P Q R S T U V W X Y Z
 Argomenti   Autore   Risposte   Visite    Ultimo messaggio 
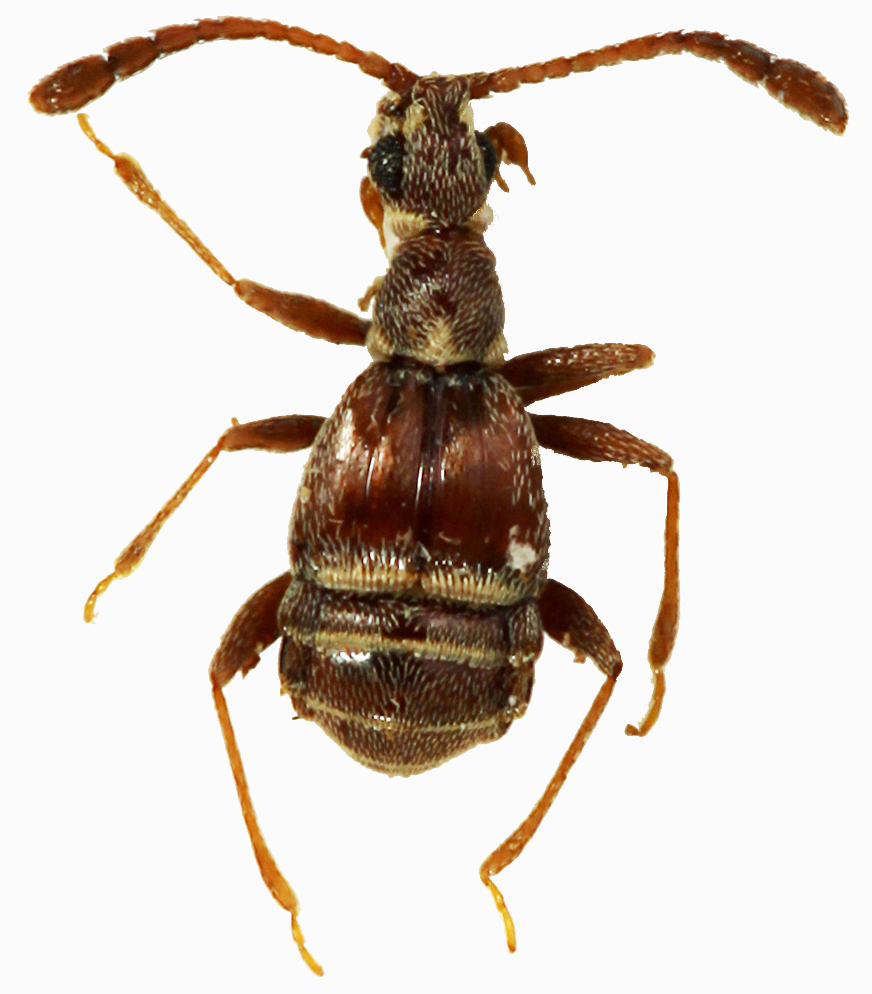
Ctenistes sp. ♀ - Staphylinidae Pselaphinae
XI.2017 - GABON - EE, N.W. Gabon, Mondah Forest, S.Biondi leg.
Allegato(i)
Ctenistes sp. ♀ - Staphylinidae Pselaphinae

in Staphylinidae Pselaphinae


Dati di raccolta: XI.2017 - GABON - EE, N.W. Gabon, Mondah Forest, S.Biondi leg.

Apoderus

11

2785

12/04/2018, 8:49

Apoderus Vedi ultimo messaggio

Diatrechus sp. - Staphylinidae Staphylinini Anisolinina - Gabon
XI.2019 - GABON - EE, Parc National des Monts de Cristal, Kinguélé, 19-30.XI.2019, legit D. Sechi
Allegato(i)
Diatrechus sp. - Staphylinidae Staphylinini Anisolinina - Gabon

in Staphylinidae


Dati di raccolta: XI.2019 - GABON - EE, Parc National des Monts de Cristal, Kinguélé, 19-30.XI.2019, legit D. Sechi

Daniele Sechi

2

409

05/10/2020, 18:26

Daniele Sechi Vedi ultimo messaggio

Drusilla gabonensis Pace, 2012 (cf) - Staphylinidae Aleocharinae Lomechusini Myrmedoniina - Gabon
XI.2019 - GABON - EE, Parc National des Monts de Cristal, Kinguélé, 19-30.XI.2019, legit D. Sechi
Allegato(i)
Drusilla gabonensis Pace, 2012 (cf) - Staphylinidae Aleocharinae Lomechusini Myrmedoniina - Gabon

in Staphylinidae


Dati di raccolta: XI.2019 - GABON - EE, Parc National des Monts de Cristal, Kinguélé, 19-30.XI.2019, legit D. Sechi

Daniele Sechi

14

1007

06/10/2020, 19:01

AetherisIgnis Vedi ultimo messaggio

Hesperus sp. - Staphylinidae
VI.2016 - GABON - EE, Ivindo Nat. Park, Ipassa, S. Biondi leg.
Allegato(i)
Hesperus sp. - Staphylinidae

in Staphylinidae indeterminati


Dati di raccolta: VI.2016 - GABON - EE, Ivindo Nat. Park, Ipassa, S. Biondi leg.

Apoderus

3

361

03/10/2020, 16:47

Apoderus Vedi ultimo messaggio

Paederus sp. - Staphylinidae Paederinae - Gabon
XI.2019 - GABON - EE, Parc National des Monts de Cristal, Kinguélé, 19-30.XI.2019, legit D. Sechi
Allegato(i)
Paederus sp. - Staphylinidae Paederinae - Gabon

in Staphylinidae


Dati di raccolta: XI.2019 - GABON - EE, Parc National des Monts de Cristal, Kinguélé, 19-30.XI.2019, legit D. Sechi

Daniele Sechi

1

404

07/10/2020, 8:27

Honza Vedi ultimo messaggio

Paederus sp. - Staphylinidae Paederinae - Gabon
18.XI.2019 - GABON - EE, Libreville, legit D. Sechi
Allegato(i)
Paederus sp. - Staphylinidae Paederinae - Gabon

in Staphylinidae


Dati di raccolta: 18.XI.2019 - GABON - EE, Libreville, legit D. Sechi

Daniele Sechi

1

481

07/10/2020, 8:28

Honza Vedi ultimo messaggio

Paramyrmoecia sp. - Staphylinidae Lomechusini Myrmedoniina - Gabon
XI.2019 - GABON - EE, Parc National des Monts de Cristal, Kinguélé, 19-30.XI.2019, legit D. Sechi
Allegato(i)
Paramyrmoecia sp. - Staphylinidae Lomechusini Myrmedoniina - Gabon

in Staphylinidae


Dati di raccolta: XI.2019 - GABON - EE, Parc National des Monts de Cristal, Kinguélé, 19-30.XI.2019, legit D. Sechi

Daniele Sechi

2

347

05/10/2020, 12:07

Daniele Sechi Vedi ultimo messaggio

Platydracus sp. - Staphylinidae
II.2012 - GABON - EE, NE Gabon, Makokou, Parc National Ivindo, Ipassa - S. Biondi leg.
Allegato(i)
Platydracus sp. - Staphylinidae

in Staphylinidae indeterminati


Dati di raccolta: II.2012 - GABON - EE, NE Gabon, Makokou, Parc National Ivindo, Ipassa - S. Biondi leg.

Apoderus

3

482

13/02/2014, 8:00

Honza Vedi ultimo messaggio

Platydracus subaeneus Roth, 1851 cf. - Staphylinidae
XI.2019 - GABON - EE, Parc National des Monts de Cristal, Kinguélé, 19-30.XI.2019, legit D. Sechi
Allegato(i)
Platydracus subaeneus Roth, 1851 cf. - Staphylinidae

in Staphylinidae


Dati di raccolta: XI.2019 - GABON - EE, Parc National des Monts de Cristal, Kinguélé, 19-30.XI.2019, legit D. Sechi

Daniele Sechi

6

559

03/10/2020, 14:33

Honza Vedi ultimo messaggio

sp. 2 - Staphylinidae Paederinae Paederini Cryptobiina - Gabon
XI.2019 - GABON - EE, Parc National des Monts de Cristal, Kinguélé, 19-30.XI.2019, legit D. Sechi
Allegato(i)
sp. 2 - Staphylinidae Paederinae Paederini Cryptobiina - Gabon

in Staphylinidae indeterminati


Dati di raccolta: XI.2019 - GABON - EE, Parc National des Monts de Cristal, Kinguélé, 19-30.XI.2019, legit D. Sechi

Daniele Sechi

2

541

04/10/2020, 14:36

Honza Vedi ultimo messaggio

sp. 4 - Staphylinidae Lomechusini Myrmedoniina - Gabon
XI.2019 - GABON - EE, Parc National des Monts de Cristal, Kinguélé, 19-30.XI.2019, legit D. Sechi
Allegato(i)
sp. 4 - Staphylinidae Lomechusini Myrmedoniina - Gabon

in Staphylinidae indeterminati


Dati di raccolta: XI.2019 - GABON - EE, Parc National des Monts de Cristal, Kinguélé, 19-30.XI.2019, legit D. Sechi

Daniele Sechi

1

399

04/10/2020, 8:29

Honza Vedi ultimo messaggio

sp. 6 - Staphylinidae Paederinae Paederini Cryptobiina - Gabon
XI.2019 - GABON - EE, Parc National des Monts de Cristal, Kinguélé, 19-30.XI.2019, legit D. Sechi
Allegato(i)
sp. 6 - Staphylinidae Paederinae Paederini Cryptobiina - Gabon

in Staphylinidae indeterminati


Dati di raccolta: XI.2019 - GABON - EE, Parc National des Monts de Cristal, Kinguélé, 19-30.XI.2019, legit D. Sechi

Daniele Sechi

1

359

03/10/2020, 14:11

Honza Vedi ultimo messaggio

sp. 7 - Staphylinidae Paederinae Paederini Cryptobiina - Gabon
XI.2019 - GABON - EE, Parc National des Monts de Cristal, Kinguélé, 19-30.XI.2019, legit D. Sechi
Allegato(i)
sp. 7 - Staphylinidae Paederinae Paederini Cryptobiina - Gabon

in Staphylinidae indeterminati


Dati di raccolta: XI.2019 - GABON - EE, Parc National des Monts de Cristal, Kinguélé, 19-30.XI.2019, legit D. Sechi

Daniele Sechi

2

478

06/10/2020, 14:55

Daniele Sechi Vedi ultimo messaggio

Staphilinidae Paederinae Pinophilini - Gabon
II.2012 - GABON - EE, Makokou, Parc National Ivindo, Ipassa, S. Biondi leg.
Allegato(i)
Staphilinidae Paederinae Pinophilini - Gabon

in Staphylinidae indeterminati


Dati di raccolta: II.2012 - GABON - EE, Makokou, Parc National Ivindo, Ipassa, S. Biondi leg.

Apoderus

7

663

22/03/2012, 14:52

Thaumatomyrmex Vedi ultimo messaggio

Staphylinidae Gabon
VI.2016 - GABON - EE, Ivindo Nat. Park, Ipassa, S. Biondi leg.
Allegato(i)
Staphylinidae Gabon

in Staphylinidae indeterminati


Dati di raccolta: VI.2016 - GABON - EE, Ivindo Nat. Park, Ipassa, S. Biondi leg.

Apoderus

2

456

04/10/2020, 18:54

Apoderus Vedi ultimo messaggio



Inserisci un link per questa ricerca

Inserisci un link per questa ricerca URL
BBCode
HTML
Vai a: