Benvenuto Ospite

Forum Entomologi Italiani

www.entomologiitaliani.net/forum
 
Oggi è 09/10/2025, 20:23

Tutti gli orari sono UTC + 1 ora [ ora legale ]

Filtro località

Filtro località

In questo pannello è possibile effettuare delle ricerche mirate in base alle località inserite nel forum.

Statistiche

Statistiche
In totale ci sono 89480 taxa:
- 85583 taxa con dati completi
- 2722 taxa con dati parziali, riconducibili ad un paese
- 1175 taxa con dati incompleti


escludi dalla ricerca i subforum
Distribuzione in Europa
Distribuzione in Italia
Filtro applicato: ITALIA - Abruzzo

Pagina 1 di 8 [ 108 messaggi ]

# A B C D E F G H I J K L M N O P Q R S T U V W X Y Z
 Argomenti   Autore   Risposte   Visite    Ultimo messaggio 
Ablattaria laevigata laevigata (Fabricius, 1775) - Silphidae
12.IV.2009 - ITALIA - Abruzzo - PE, Pianella
Allegato(i) Dettagli della specie
Ablattaria laevigata laevigata (Fabricius, 1775) - Silphidae

in Silphidae


Dati di raccolta: 12.IV.2009 - ITALIA - Abruzzo - PE, Pianella

Alessio89

1

1421

26/02/2011, 17:02

Julodis Vedi ultimo messaggio

Ablattaria laevigata laevigata (Fabricius, 1775) - Silphidae
23.VIII.2014 - ITALIA - Abruzzo - CH, Celenza sul Trigno
Allegato(i) Dettagli della specie
Ablattaria laevigata laevigata (Fabricius, 1775) - Silphidae

in Silphidae


Dati di raccolta: 23.VIII.2014 - ITALIA - Abruzzo - CH, Celenza sul Trigno

Andream

6

3023

17/11/2014, 20:47

Andream Vedi ultimo messaggio

Ablattaria laevigata laevigata (Fabricius, 1775) - Silphidae
6.IX.2015 - ITALIA - Abruzzo - AQ, valle del Morretano (M.Puzzillo, gruppo M. Velino) m 1700 circa
Allegato(i) Dettagli della specie
Ablattaria laevigata laevigata (Fabricius, 1775) - Silphidae

in Silphidae


Dati di raccolta: 6.IX.2015 - ITALIA - Abruzzo - AQ, valle del Morretano (M.Puzzillo, gruppo M. Velino) m 1700 circa

venturini

1

1554

07/09/2015, 19:19

marco villa Vedi ultimo messaggio

Aclypea undata (O. F. Muller, 1776) - Silphidae
1.V.2000 - ITALIA - Abruzzo - AQ, Campo Rotondo, 1.650 m
Allegato(i) Dettagli della specie
Aclypea undata (O. F. Muller, 1776) - Silphidae

in Silphidae


Dati di raccolta: 1.V.2000 - ITALIA - Abruzzo - AQ, Campo Rotondo, 1.650 m

Valerio

1

1385

18/10/2012, 20:47

StagBeetle Vedi ultimo messaggio

Acrotrichis sp. - Ptiliidae
5.VIII.2015 - ITALIA - Abruzzo - PE, Altopiano del Voltigno, 1300m, Carpineto Nora
Allegato(i)
Acrotrichis sp. - Ptiliidae

in Ptiliidae


Dati di raccolta: 5.VIII.2015 - ITALIA - Abruzzo - PE, Altopiano del Voltigno, 1300m, Carpineto Nora

Alessio89

3

1646

11/08/2015, 14:50

Alessio89 Vedi ultimo messaggio

Agathidium sp. - Leiodidae Agathidiini
3.IX.2021 - ITALIA - Abruzzo - CH, Contrada Baronessa, Borrello, m 450
Allegato(i)
Agathidium sp. - Leiodidae Agathidiini

in Leiodidae


Dati di raccolta: 3.IX.2021 - ITALIA - Abruzzo - CH, Contrada Baronessa, Borrello, m 450

Chalybion

6

666

16/02/2025, 2:43

AetherisIgnis Vedi ultimo messaggio

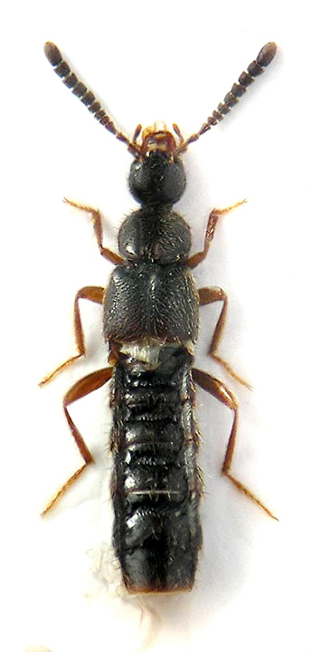
Aloconota (Aloconota) gregaria (Erichson, 1839) - Staphylinidae Aleocharinae
4.V.2015 - ITALIA - Abruzzo - PE, Micarone, Catignano, 160m, torrente Nora
Allegato(i)
Aloconota (Aloconota) gregaria (Erichson, 1839) - Staphylinidae Aleocharinae

in Staphylinidae


Dati di raccolta: 4.V.2015 - ITALIA - Abruzzo - PE, Micarone, Catignano, 160m, torrente Nora

Alessio89

3

800

15/06/2015, 10:13

Honza Vedi ultimo messaggio

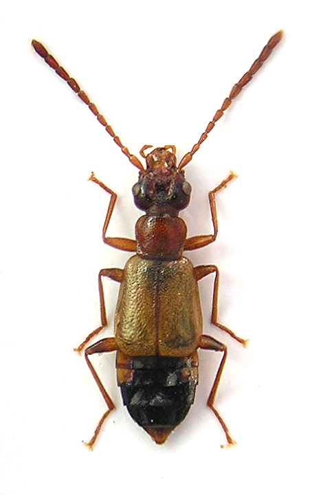
Aloconota sulcifrons (Kirby, 1832) (cf.) - Staphilinidae Aleocharinae
20.V.2015 - ITALIA - Abruzzo - AQ, Cansano, tra Valle dei Vertoli e Coppo del Diavolo, 1124m
Allegato(i)
Aloconota sulcifrons (Kirby, 1832) (cf.) - Staphilinidae Aleocharinae

in Staphylinidae


Dati di raccolta: 20.V.2015 - ITALIA - Abruzzo - AQ, Cansano, tra Valle dei Vertoli e Coppo del Diavolo, 1124m

Alessio89

2

592

15/06/2015, 17:47

Alessio89 Vedi ultimo messaggio

Amarochara sp. - Staphylinidae Aleocharinae
17.III.2015 - ITALIA - Abruzzo - PE, Micarone, Catignano, 160m
Allegato(i)
Amarochara sp. - Staphylinidae Aleocharinae

in Staphylinidae indeterminati


Dati di raccolta: 17.III.2015 - ITALIA - Abruzzo - PE, Micarone, Catignano, 160m

Alessio89

11

1712

22/04/2015, 17:52

Alessio89 Vedi ultimo messaggio

Anotylus inustus (Gravenhorst, 1806) cf. - Staphylinidae
2.IX.2013 - ITALIA - Abruzzo - PE, Pianella
Allegato(i)
Anotylus inustus (Gravenhorst, 1806) cf. - Staphylinidae

in Staphylinidae


Dati di raccolta: 2.IX.2013 - ITALIA - Abruzzo - PE, Pianella

Alessio89

3

976

29/03/2014, 16:10

Alessio89 Vedi ultimo messaggio

Anotylus sp. - Staphylinidae
10.I.2015 - ITALIA - Abruzzo - PE, Pianella, 220m
Allegato(i)
Anotylus sp. - Staphylinidae

in Staphylinidae indeterminati


Dati di raccolta: 10.I.2015 - ITALIA - Abruzzo - PE, Pianella, 220m

Alessio89

3

774

28/12/2020, 1:50

AetherisIgnis Vedi ultimo messaggio

Anotylus sp. - Staphylinidae Oxytelinae
6.XII.2015 - ITALIA - Abruzzo - PE, Pianella, 150m, Loc. Morrocino, "Fosso Coste dell'Olmo"
Allegato(i)
Anotylus sp. - Staphylinidae Oxytelinae

in Staphylinidae indeterminati


Dati di raccolta: 6.XII.2015 - ITALIA - Abruzzo - PE, Pianella, 150m, Loc. Morrocino, "Fosso Coste dell'Olmo"

Alessio89

1

640

20/03/2016, 23:14

deryastenus Vedi ultimo messaggio

Anthophagus (Dimorphoschelus) bicornis (Block, 1799) - Staphylinidae
28.V.2013 - ITALIA - Abruzzo - AQ, Campo Imperatore, Fonte Vetica
Allegato(i)
Anthophagus (Dimorphoschelus) bicornis (Block, 1799) - Staphylinidae

in Staphylinidae


Dati di raccolta: 28.V.2013 - ITALIA - Abruzzo - AQ, Campo Imperatore, Fonte Vetica

Alessio89

4

843

27/03/2014, 12:14

Alessio89 Vedi ultimo messaggio

Astenus (Astenus) lyonessius (Joy, 1908) - Staphylinidae
14.III.2015 - ITALIA - Abruzzo - PE, Popoli, Monte Castiglione, 420-440m
Allegato(i)
Astenus (Astenus) lyonessius (Joy, 1908) - Staphylinidae

in Staphylinidae


Dati di raccolta: 14.III.2015 - ITALIA - Abruzzo - PE, Popoli, Monte Castiglione, 420-440m

Alessio89

2

758

18/04/2015, 20:37

Alessio89 Vedi ultimo messaggio

Atheta (Micronota) sp. (cf.) - Staphylinidae Aleocharinae
13.I.2016 - ITALIA - Abruzzo - PE, Pianella, 220, "Fosso Icavone"
Allegato(i)
Atheta (Micronota) sp. (cf.) - Staphylinidae Aleocharinae

in Staphylinidae indeterminati


Dati di raccolta: 13.I.2016 - ITALIA - Abruzzo - PE, Pianella, 220, "Fosso Icavone"

Alessio89

0

455

10/02/2016, 16:58

Alessio89 Vedi ultimo messaggio



Inserisci un link per questa ricerca

Inserisci un link per questa ricerca URL
BBCode
HTML
Vai a: