|
|
| Argomenti |
Ordine |
Autore |
Risposte |
Visite |
Ultimo messaggio |
| Annunci |
 |
|
Incontri entomologici telematici organizzati dalla Società Entomologica Italiana nel 2022 e nel 2023
[ Vai alla pagina: 1, 2, 3 ]
|
|
Velvet Ant |
44 |
1425546 |
03/03/2023, 15:55
Velvet Ant
|
 |
|
Sondaggio sul declino dell'entomofauna in Italia
[ Vai alla pagina: 1, 2, 3, 4 ]
|
|
Velvet Ant |
52 |
1753141 |
22/10/2022, 19:18
Acquarius
|
 |
|
Progetto: Bibliografia ragionata dei lavori entomologici nei quali sono citati reperti apparsi su FEI
[ Vai alla pagina: 1, 2, 3 ]
|
|
Velvet Ant |
33 |
1168004 |
06/07/2023, 18:31
Orotrechus
|
 |
|
Mimesi, il primo documentario cinematografico sull’entomologia in Italia: casting
|
|
mazzeip |
1 |
456313 |
28/02/2019, 20:26
mazzeip
|
 |
|
ISTRUZIONI PUBBLICAZIONE NUOVI ARGOMENTI E FOTO
|
Altri Ordini di Insetti |
Julodis |
4 |
897962 |
13/05/2015, 19:37
Julodis
|
 |
|
Limitatore giornaliero di messaggi, uno strumento utile e ormai indispensabile
[ Vai alla pagina: 1 ... 14, 15, 16 ]
|
|
Velvet Ant |
233 |
8807389 |
25/09/2014, 14:31
Inachis
|
 |
|
NORME PER I COLLABORATORI DEL FORUM
|
|
Velvet Ant |
0 |
478625 |
02/06/2011, 12:05
Velvet Ant
|
 |
|
NORME PER GLI UTENTI DEL FORUM
[ Vai alla pagina: 1, 2, 3 ]
|
|
Velvet Ant |
30 |
2343602 |
23/09/2014, 23:54
Maurizio Bollino
|
 |
|
Elenco delle specie italiane di Cerambycidae presenti sul forum
Cerambycidae
|
Coleoptera |
Plagionotus |
0 |
5994 |
22/11/2010, 22:28
Plagionotus
|
 |
|
Lista degli utenti del "Forum entomologi italiani" per campi di interesse e specializzazione
|
Altri Ordini di Insetti |
Velvet Ant |
13 |
943171 |
07/09/2023, 17:14
Roberto-07
|
| Argomenti |
 |
|
Gaurotes cyanipennis (Say, 1824) - Cerambycidae
13.VI.2023 - STATI UNITI - EE
|
Coleoptera |
Batocerino |
2 |
821 |
05/01/2024, 19:38
Batocerino
|
 |
|
Typocerus velutinus (Olivier, 1795) (cf.) - Cerambycidae
27.VII.2020 - STATI UNITI - EE
|
Coleoptera |
Batocerino |
0 |
547 |
12/08/2020, 20:07
Batocerino
|
 |
|
Judolia cordifera (Olivier, 1795) (cf.) - Cerambycidae
26.VII.2020 - STATI UNITI - EE
|
Coleoptera |
Batocerino |
0 |
596 |
12/08/2020, 20:04
Batocerino
|
 |
|
Acanthocinus pusillus Kirby in Richardson, 1837 - Cerambycidae cf.
VI.2004 - STATI UNITI - EE
|
Coleoptera |
checcapitipiti |
2 |
1256 |
07/10/2017, 18:43
checcapitipiti
|
 |
|
Neandra marginicollis (Schaeffer, 1929)
Cerambycidae
16.VIII.2016 - STATI UNITI - EE
|
Coleoptera |
vahemart |
0 |
796 |
22/08/2016, 2:18
vahemart
|
 |
|
Analeptura lineola (Say 1824) - Cerambycidae
Cerambycidae
3.VII.2015 - STATI UNITI - EE
|
Coleoptera |
StagBeetle |
3 |
1150 |
21/09/2015, 21:32
StagBeetle
|
 |
|
Acanthocinus pusillus Kirby in Richardson, 1837 - Cerambycidae cf.
3.VII.2015 - STATI UNITI - EE
|
Coleoptera |
StagBeetle |
2 |
1216 |
06/09/2015, 20:36
Plagionotus
|
 |
|
Mannophorus laetus LeConte, 1854 - Texas
IX.1996 - STATI UNITI - EE
|
Coleoptera |
marco paglialunga |
0 |
656 |
17/01/2011, 10:32
marco paglialunga
|
 |
|
Eburia quadrigeminata (Say, 1826) - Cerambycidae - USA
2.VII.2008 - STATI UNITI - EE
|
Coleoptera |
cosmln |
6 |
1223 |
17/01/2011, 9:56
marco paglialunga
|
 |
|
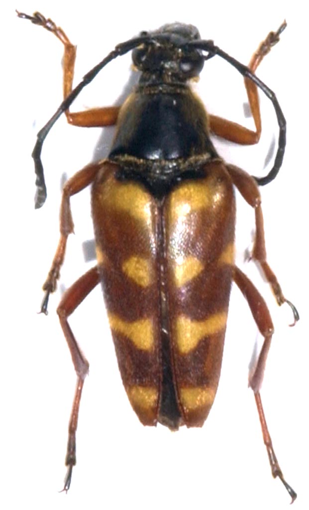
Desmocerus palliatus (Forster, 1771) - Cerambycidae - Canada
20.VII.2008 - CANADA - EE
|
Coleoptera |
cosmln |
0 |
886 |
15/01/2011, 22:44
cosmln
|
 |
|
Monochamus marmorator Kirby in Richardson, 1837 - Cerambycidae - Canada
12.VIII.1996 - CANADA - EE
|
Coleoptera |
cosmln |
1 |
1402 |
01/01/2011, 11:42
alexaandru
|
 |
|
Bellamira scalaris (Say, 1826) - Cerambycidae - Canada
16.VI.1998 - CANADA - EE
|
Coleoptera |
cosmln |
1 |
1197 |
01/01/2011, 11:23
aphodius
|
 |
|
Tragosoma pilosicorne (Casey, 1890) Cerambycidae Prioninae
29.VI.2010 - STATI UNITI - EE
|
Coleoptera |
Drymochares |
7 |
2036 |
27/12/2010, 10:29
Drymochares
|
 |
|
Megacyllene robiniae (Forster, 1771) - Cerambycidae - Canada
9.VIII.1998 - CANADA - EE
|
Coleoptera |
cosmln |
7 |
2364 |
10/11/2010, 23:04
Entomarci
|
 |
|
Tetraopes tetrophthalmus (Forster, 1771) - Cerambycidae - Canada
14.VII.1995 - CANADA - EE
|
Coleoptera |
cosmln |
2 |
1501 |
09/11/2010, 11:52
Isotomus
|
 |
|
Stictoleptura canadensis (Olivier, 1795) - Cerambycidae - Canada
20.VIII.1998 - CANADA - EE
|
Coleoptera |
cosmln |
0 |
1131 |
09/11/2010, 1:22
cosmln
|
 |
|
Trigonarthris proxima (Say, 1824) - Cerambycidae - Canada
29.VI.1998 - CANADA - EE
|
Coleoptera |
cosmln |
1 |
1138 |
08/11/2010, 9:19
Entomarci
|
 |
|
Plectrodera scalator (Fabricius, 1792) - Cerambycidae - USA, Texas
4.VI.1984 - STATI UNITI - EE
|
Coleoptera |
Julodis |
0 |
1012 |
25/10/2010, 0:17
Julodis
|
 |
|
Desmocerus palliatus (Forster, 1771) - Cerambycidae - USA
6.VI.1981 - STATI UNITI - EE
|
Coleoptera |
Julodis |
0 |
705 |
04/10/2010, 21:46
Julodis
|
 |
|
Megacyllene robiniae (Forster, 1771) - Cerambycidae
VI.1991 - BAHAMAS - EE
|
Coleoptera |
marco paglialunga |
4 |
1775 |
19/04/2010, 22:34
Julodis
|
|
|