Benvenuto Ospite

Forum Entomologi Italiani

www.entomologiitaliani.net/forum
 
Oggi è 09/11/2025, 13:13

Tutti gli orari sono UTC + 1 ora [ ora legale ]


92% 
2927 taxa correttamente determinati su 3178 presenti in archivio

Cerambycidae


[ AFROTROPICALE ] [ ANTARTICO ] [ AUSTRALASIANO ] [ NEARTICO ] [ NEOTROPICALE ] [ ORIENTALE ] [ PALEARTICO ]


nuovo argomento
Vai alla pagina Precedente  1 ... 23, 24, 25, 26, 27, 28, 29 ... 93  Prossimo
Pagina 26 di 93 [ 4647 argomenti ]
 Argomenti   Ordine   Autore   Risposte   Visite    Ultimo messaggio 
Annunci
Nessun messaggio da leggere
Allegato(i)
Incontri entomologici telematici organizzati dalla Società Entomologica Italiana nel 2022 e nel 2023

[ Vai alla paginaVai alla pagina: 1, 2, 3 ]

 

Velvet Ant

44

1430962

03/03/2023, 15:55

Velvet Ant Vedi ultimo messaggio

Nessun messaggio da leggere  
Allegato(i)
Sondaggio sul declino dell'entomofauna in Italia

[ Vai alla paginaVai alla pagina: 1, 2, 3, 4 ]

 

Velvet Ant

52

1759244

22/10/2022, 19:18

Acquarius Vedi ultimo messaggio

Nessun messaggio da leggere  
Allegato(i)
Progetto: Bibliografia ragionata dei lavori entomologici nei quali sono citati reperti apparsi su FEI

[ Vai alla paginaVai alla pagina: 1, 2, 3 ]

 

Velvet Ant

33

1171751

06/07/2023, 18:31

Orotrechus Vedi ultimo messaggio

Nessun messaggio da leggere
Allegato(i)
Mimesi, il primo documentario cinematografico sull’entomologia in Italia: casting
 

mazzeip

1

457356

28/02/2019, 20:26

mazzeip Vedi ultimo messaggio

Questo argomento è bloccato, non puoi modificare o inviare ulteriori messaggi.
Allegato(i)
ISTRUZIONI PUBBLICAZIONE NUOVI ARGOMENTI E FOTO

 
Altri Ordini di Insetti

Julodis

4

913959

13/05/2015, 19:37

Julodis Vedi ultimo messaggio

Nessun messaggio da leggere
Allegato(i)
Limitatore giornaliero di messaggi, uno strumento utile e ormai indispensabile

[ Vai alla paginaVai alla pagina: 1 ... 14, 15, 16 ]

 

Velvet Ant

233

8836675

25/09/2014, 14:31

Inachis Vedi ultimo messaggio

Nessun messaggio da leggere  
NORME PER I COLLABORATORI DEL FORUM

 
 

Velvet Ant

0

478959

02/06/2011, 12:05

Velvet Ant Vedi ultimo messaggio

Nessun messaggio da leggere
Allegato(i)
NORME PER GLI UTENTI DEL FORUM

[ Vai alla paginaVai alla pagina: 1, 2, 3 ]



 
 

Velvet Ant

30

2346729

23/09/2014, 23:54

Maurizio Bollino Vedi ultimo messaggio

Questo argomento è bloccato, non puoi modificare o inviare ulteriori messaggi.  
Elenco delle specie italiane di Cerambycidae presenti sul forum
Cerambycidae


 
Coleoptera

Plagionotus

0

5999

22/11/2010, 22:28

Plagionotus Vedi ultimo messaggio

Nessun messaggio da leggere  
Lista degli utenti del "Forum entomologi italiani" per campi di interesse e specializzazione

 
Altri Ordini di Insetti

Velvet Ant

13

944745

07/09/2023, 17:14

Roberto-07 Vedi ultimo messaggio

Argomenti
Nessun messaggio da leggere
Oxypleurus nodieri Mulsant, 1839 - Cerambycidae
28.XII.2011 - ITALIA - Campania - SA
Allegato(i) Dettagli della specie
Oxypleurus nodieri Mulsant, 1839
Cerambycidae


28.XII.2011 - ITALIA - Campania - SA
Coleoptera

giuseppe55

2

1078

26/09/2015, 21:37

Entomarci Vedi ultimo messaggio

Nessun messaggio da leggere
Allegato(i)
Nustera distigma (Charpentier, 1825) - Cerambycidae Lepturinae Lepturini

29.V.2013 - MAROCCO - EE
Coleoptera

Sleepy Moose

4

1276

24/09/2015, 22:51

Sleepy Moose Vedi ultimo messaggio

Nessun messaggio da leggere
Hylotrupes bajulus (Linnaeus, 1758) - Cerambycidae
20.VI.2015 - ITALIA - Marche - AN
Allegato(i) Dettagli della specie
Hylotrupes bajulus (Linnaeus, 1758)
Cerambycidae


20.VI.2015 - ITALIA - Marche - AN
Coleoptera

StagBeetle

2

958

22/09/2015, 12:33

AleP Vedi ultimo messaggio

Nessun messaggio da leggere
Arhopalus syriacus (Reitter, 1895) - Cerambycidae
30.VI.2015 - ITALIA - Emilia-Romagna - FE
Allegato(i) Dettagli della specie
Arhopalus syriacus (Reitter, 1895)
Cerambycidae


30.VI.2015 - ITALIA - Emilia-Romagna - FE
Coleoptera

Daniele Maccapani

9

2591

22/09/2015, 2:39

Daniele Maccapani Vedi ultimo messaggio

Nessun messaggio da leggere
Allegato(i)
Monochamus sartor urussovi (Fischer von Waldheim, 1805) - Cerambycidae

22.VII.2014 - POLONIA - EE
Coleoptera

Uncle Adam

0

696

20/09/2015, 15:43

Uncle Adam Vedi ultimo messaggio

Nessun messaggio da leggere
Monochamus galloprovincialis (Olivier, 1795) - Cerambycidae
5.VII.2015 - ITALIA - Emilia-Romagna - FE
Allegato(i) Dettagli della specie
Monochamus galloprovincialis (Olivier, 1795)
Cerambycidae


5.VII.2015 - ITALIA - Emilia-Romagna - FE
Coleoptera

Daniele Maccapani

7

1529

16/09/2015, 9:21

Plagionotus Vedi ultimo messaggio

Nessun messaggio da leggere
Allegato(i) Dettagli della specie
Trichoferus griseus (Fabricius, 1792)
Cerambycidae


3.IX.2015 - TURCHIA - EE
Coleoptera

Baris99

4

1007

12/09/2015, 13:21

Baris99 Vedi ultimo messaggio

Nessun messaggio da leggere
Xylotrechus stebbingi Gahan, 1906 - Cerambycidae
29.VIII.2015 - TURCHIA - EE
Allegato(i)
Xylotrechus stebbingi Gahan, 1906 - Cerambycidae

29.VIII.2015 - TURCHIA - EE
Coleoptera

Baris99

2

771

12/09/2015, 9:07

Baris99 Vedi ultimo messaggio

Nessun messaggio da leggere
Phoracantha recurva Newman, 1840 - Cerambycidae
31.VIII.2015 - ITALIA - Lazio - RM
Allegato(i) Dettagli della specie
Phoracantha recurva Newman, 1840
Cerambycidae


31.VIII.2015 - ITALIA - Lazio - RM
Coleoptera

babunco

3

902

02/09/2015, 15:52

babunco Vedi ultimo messaggio

Nessun messaggio da leggere
Mesosa nebulosa nebulosa (Fabricius, 1781) - Cerambycidae
20.V.2015 - ITALIA - Campania - SA
Allegato(i) Dettagli della specie
Mesosa nebulosa nebulosa (Fabricius, 1781)
Cerambycidae


20.V.2015 - ITALIA - Campania - SA
Coleoptera

Valentino14

4

1058

02/09/2015, 15:40

Valentino14 Vedi ultimo messaggio

Nessun messaggio da leggere
Allegato(i) Dettagli della specie
Rosalia (Rosalia) alpina alpina (Linnaeus, 1758)
Cerambycidae

[ Vai alla paginaVai alla pagina: 1, 2 ]



20.VIII.2015 - ITALIA - Lazio - RI
Coleoptera

Julodis

18

3444

31/08/2015, 20:48

aguaplano Vedi ultimo messaggio

Nessun messaggio da leggere
Oxymirus cursor (Linnaeus, 1758) - Cerambycidae
25.VIII.2015 - ITALIA - Trentino-Alto Adige - TN
Allegato(i) Dettagli della specie
Oxymirus cursor (Linnaeus, 1758)
Cerambycidae


25.VIII.2015 - ITALIA - Trentino-Alto Adige - TN
Coleoptera

gigilmozzi

7

1769

30/08/2015, 19:47

gigilmozzi Vedi ultimo messaggio

Nessun messaggio da leggere
Allegato(i)
Stictoleptura rubra (Linnaeus, 1758) ♀ - Cerambycidae

23.VIII.2015 - GERMANIA - EE
Coleoptera

gstalker

2

857

28/08/2015, 22:00

gstalker Vedi ultimo messaggio

Nessun messaggio da leggere
Stictoleptura rubra rubra (Linnaeus, 1758) - Cerambycidae
7.VIII.2014 - ITALIA - Trentino-Alto Adige - TN
Allegato(i) Dettagli della specie
Stictoleptura rubra rubra (Linnaeus, 1758)
Cerambycidae


7.VIII.2014 - ITALIA - Trentino-Alto Adige - TN
Coleoptera

Magma

3

1073

28/08/2015, 21:30

Magma Vedi ultimo messaggio

Nessun messaggio da leggere
Monochamus galloprovincialis (Olivier, 1795) - Cerambycidae
27.VIII.2015 - ITALIA - Friuli-Venezia Giulia - PN
Allegato(i) Dettagli della specie
Monochamus galloprovincialis (Olivier, 1795)
Cerambycidae


27.VIII.2015 - ITALIA - Friuli-Venezia Giulia - PN
Coleoptera

andreah

1

674

27/08/2015, 22:12

kolibrik Vedi ultimo messaggio

Nessun messaggio da leggere
Chlorophorus sartor (Muller, 1766) - Cerambycidae
14.VIII.2015 - TURCHIA - EE
Allegato(i)
Chlorophorus sartor (Muller, 1766) - Cerambycidae

14.VIII.2015 - TURCHIA - EE
Coleoptera

Baris99

1

579

25/08/2015, 18:29

jaho Vedi ultimo messaggio

Nessun messaggio da leggere
Isotomus speciosus barbarae Sama, 1977 - Cerambycidae
30.IV.2014 - ITALIA - Umbria - PG
Allegato(i) Dettagli della specie
Isotomus speciosus barbarae Sama, 1977
Cerambycidae

[ Vai alla paginaVai alla pagina: 1, 2 ]



30.IV.2014 - ITALIA - Umbria - PG
Coleoptera

StagBeetle

19

3712

23/08/2015, 20:03

StagBeetle Vedi ultimo messaggio

Nessun messaggio da leggere
Chlorophorus glabromaculatus (Goeze, 1777) - Cerambycidae
29.VII.2015 - ITALIA - Veneto - PD
Allegato(i) Dettagli della specie
Chlorophorus glabromaculatus (Goeze, 1777)
Cerambycidae


29.VII.2015 - ITALIA - Veneto - PD
Coleoptera

Entoluca

2

867

16/08/2015, 16:25

Entoluca Vedi ultimo messaggio

Nessun messaggio da leggere
Allegato(i) Dettagli della specie
Chlorophorus varius varius (O. F. Müller, 1766)
Cerambycidae


20.VI.2015 - FRANCIA - EE
Coleoptera

Andream

4

1082

14/08/2015, 19:44

Andream Vedi ultimo messaggio

Nessun messaggio da leggere
Monochamus sutor sutor (Linnaeus, 1758) - Cerambycidae
VII.2015 - ITALIA - Trentino-Alto Adige - TN
Allegato(i) Dettagli della specie
Monochamus sutor sutor (Linnaeus, 1758)
Cerambycidae


VII.2015 - ITALIA - Trentino-Alto Adige - TN
Coleoptera

gigilmozzi

0

640

13/08/2015, 20:45

gigilmozzi Vedi ultimo messaggio

Nessun messaggio da leggere
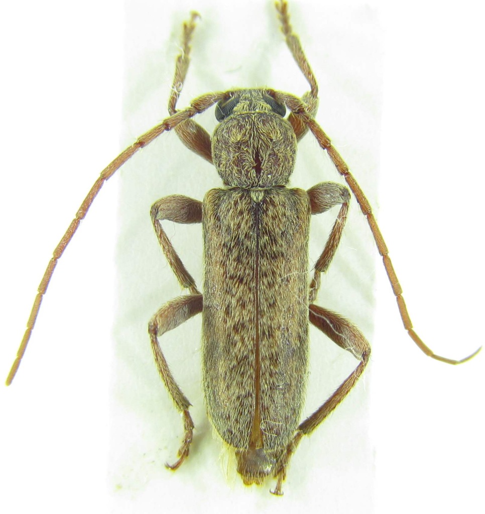
Trichoferus holosericeus (Rossi, 1790) - Cerambycidae
VIII.2015 - ITALIA - Emilia-Romagna - MO
Allegato(i) Dettagli della specie
Trichoferus holosericeus (Rossi, 1790)
Cerambycidae


VIII.2015 - ITALIA - Emilia-Romagna - MO
Coleoptera

claudio sola

6

1412

12/08/2015, 22:59

claudio sola Vedi ultimo messaggio

Nessun messaggio da leggere
Allegato(i) Dettagli della specie
Agapanthia (Epoptes) cynarae (Germar, 1817)
Cerambycidae


VI.2015 - GRECIA - EE
Coleoptera

claudio sola

8

1683

12/08/2015, 18:53

Phytoecia Vedi ultimo messaggio

Nessun messaggio da leggere
Psacothea hilaris (Pascoe, 1858) - Cerambycidae
4.VIII.2015 - ITALIA - Lombardia - CO
Allegato(i) Dettagli della specie
Psacothea hilaris (Pascoe, 1858)
Cerambycidae


4.VIII.2015 - ITALIA - Lombardia - CO
Coleoptera

Giuseppe

3

1110

12/08/2015, 18:10

Julodis Vedi ultimo messaggio

Nessun messaggio da leggere
Allegato(i)
Fallacia elegans (Faldermann, 1837) - Cerambycidae
Cerambycidae


10.VI.2015 - TURCHIA - EE
Coleoptera

gigilmozzi

2

1140

12/08/2015, 16:34

gigilmozzi Vedi ultimo messaggio

Nessun messaggio da leggere
Aegosoma scabricorne (Scopoli, 1763) - Cerambycidae
9.VIII.2015 - ITALIA - Emilia-Romagna - FC
Allegato(i) Dettagli della specie
Aegosoma scabricorne (Scopoli, 1763)
Cerambycidae


9.VIII.2015 - ITALIA - Emilia-Romagna - FC
Coleoptera

giuseppe cataldo

3

1414

11/08/2015, 16:02

giuseppe cataldo Vedi ultimo messaggio

Nessun messaggio da leggere
Allegato(i)
Agapanthia lederi Ganglbauer, 1884 - Cerambycidae

9.VI.2015 - TURCHIA - EE
Coleoptera

gigilmozzi

2

846

10/08/2015, 19:54

gigilmozzi Vedi ultimo messaggio

Nessun messaggio da leggere
Allegato(i)
Procallimus egregius (Mulsant & Rey, 1863) - Cerambycidae - Turchia

7.VII.2015 - TURCHIA - EE
Coleoptera

Baris99

3

773

09/08/2015, 19:08

Phytoecia Vedi ultimo messaggio

Nessun messaggio da leggere
Allegato(i) Dettagli della specie
Brachypteroma ottomanum Heyden, 1863
Cerambycidae


28.V.2015 - GRECIA - EE
Coleoptera

claudio sola

1

579

08/08/2015, 19:53

f.izzillo Vedi ultimo messaggio

Nessun messaggio da leggere
Allegato(i)
Musaria puncticollis (Faldermann, 1837) - Cerambycidae

3.VI.2015 - TURCHIA - EE
Coleoptera

gigilmozzi

2

681

08/08/2015, 19:28

gigilmozzi Vedi ultimo messaggio

Nessun messaggio da leggere
Rutpela maculata maculata (Poda, 1761) - Cerambycidae
7.VIII.2015 - ITALIA - Basilicata - PZ
Allegato(i) Dettagli della specie
Rutpela maculata maculata (Poda, 1761)
Cerambycidae


7.VIII.2015 - ITALIA - Basilicata - PZ
Coleoptera

aguaplano

2

670

08/08/2015, 8:44

aguaplano Vedi ultimo messaggio

Nessun messaggio da leggere
Allegato(i)
Trichoferus fasciculatus (Faldermann, 1837) - Cerambycidae

27.VI.2015 - TURCHIA - EE
Coleoptera

Baris99

2

620

06/08/2015, 12:33

Baris99 Vedi ultimo messaggio

Nessun messaggio da leggere
Allegato(i)
Saphanus piceus bartolonii Sama et Rapuzzi, 1993 - Cerambycidae

25.VI.2015 - GRECIA - EE
Coleoptera

Uncle Adam

0

639

06/08/2015, 1:14

Uncle Adam Vedi ultimo messaggio

Nessun messaggio da leggere
Paracorymbia hybrida (Rey, 1885) - Cerambycidae
10.VIII.2014 - ITALIA - Trentino-Alto Adige - TN
Allegato(i) Dettagli della specie
Paracorymbia hybrida (Rey, 1885)
Cerambycidae


10.VIII.2014 - ITALIA - Trentino-Alto Adige - TN
Coleoptera

gigilmozzi

3

1022

03/08/2015, 19:12

gigilmozzi Vedi ultimo messaggio

Nessun messaggio da leggere
Allegato(i) Dettagli della specie
Opsilia coerulescens (Scopoli, 1763)
Cerambycidae


10.VII.2015 - TURCHIA - EE
Coleoptera

Baris99

3

851

02/08/2015, 12:42

Baris99 Vedi ultimo messaggio

Nessun messaggio da leggere
Allegato(i)
Theophilea subcylindricollis Hladil, 1988 - Cerambycidae

10.VII.2015 - TURCHIA - EE
Coleoptera

Baris99

3

645

02/08/2015, 12:41

Baris99 Vedi ultimo messaggio

Nessun messaggio da leggere
Allegato(i)
Chlorophorus aegyptiacus (Fabricius, 1775) - Cerambycidae

10.VII.2015 - TURCHIA - EE
Coleoptera

Baris99

3

664

01/08/2015, 13:32

Xylosteus Vedi ultimo messaggio

Nessun messaggio da leggere
Rutpela maculata maculata (Poda, 1761) - Cerambycidae
30.VII.2015 - ITALIA - Trentino-Alto Adige - TN
Allegato(i) Dettagli della specie
Rutpela maculata maculata (Poda, 1761)
Cerambycidae


30.VII.2015 - ITALIA - Trentino-Alto Adige - TN
Coleoptera

gigilmozzi

4

941

31/07/2015, 18:31

marco villa Vedi ultimo messaggio

Nessun messaggio da leggere
Cerambyx cerdo cerdo Linnaeus, 1758 - Cerambycidae
26.VII.2015 - ITALIA - Marche - FM
Allegato(i) Dettagli della specie
Cerambyx cerdo cerdo Linnaeus, 1758
Cerambycidae


26.VII.2015 - ITALIA - Marche - FM
Coleoptera

Andream

2

724

29/07/2015, 19:52

Andream Vedi ultimo messaggio

Nessun messaggio da leggere
Allegato(i) Dettagli della specie
Agapanthia (Epoptes) villosoviridescens (De Geer, 1775)
Cerambycidae


26.VII.2015 - ITALIA - Lombardia - CO
Coleoptera

Giuseppe

2

1066

29/07/2015, 13:38

Giuseppe Vedi ultimo messaggio

Nessun messaggio da leggere
Cerambyx miles Bonelli, 1812 - Cerambycidae
25.VII.2015 - ITALIA - Toscana - PO
Allegato(i) Dettagli della specie
Cerambyx miles Bonelli, 1812
Cerambycidae


25.VII.2015 - ITALIA - Toscana - PO
Coleoptera

fabry80

4

1223

28/07/2015, 8:39

fabry80 Vedi ultimo messaggio

Nessun messaggio da leggere
Allegato(i) Dettagli della specie
Stenurella bifasciata bifasciata (O. F. Müller, 1776)
Cerambycidae


24.VII.2015 - ITALIA - Campania - SA
Coleoptera

Enzo.C

2

742

27/07/2015, 23:54

Enzo.C Vedi ultimo messaggio

Nessun messaggio da leggere
Allegato(i)
Pseudovadonia livida (Fabricius, 1776) - Cerambycidae

5.VII.2015 - TURCHIA - EE
Coleoptera

Baris99

5

900

27/07/2015, 14:25

Plagionotus Vedi ultimo messaggio

Nessun messaggio da leggere
Trichoferus griseus (Fabricius, 1792) cf. - Cerambycidae
25.VII.2015 - ITALIA - Toscana - PO
Allegato(i) Dettagli della specie
Trichoferus griseus (Fabricius, 1792) cf.
Cerambycidae


25.VII.2015 - ITALIA - Toscana - PO
Coleoptera

fabry80

0

566

27/07/2015, 9:11

fabry80 Vedi ultimo messaggio

Nessun messaggio da leggere
Allegato(i)
Iberodorcadion zarcoi (Schramm, 1910) - Cerambycidae Lamiinae

21.III.2014 - SPAGNA - EE
Coleoptera

Isidro

7

1361

26/07/2015, 22:44

Isidro Vedi ultimo messaggio

Nessun messaggio da leggere
Allegato(i) Dettagli della specie
Ropalopus (Ropalopus) insubricus insubricus (Germar, 1824)
Cerambycidae

[ Vai alla paginaVai alla pagina: 1, 2 ]



VIII.2014 - ITALIA - Veneto - TV
Coleoptera

marco villa

20

3917

26/07/2015, 20:27

marco villa Vedi ultimo messaggio

Nessun messaggio da leggere
Arhopalus rusticus (Linnaeus, 1758) - Cerambycidae
24.VII.2015 - ITALIA - Trentino-Alto Adige - TN
Allegato(i) Dettagli della specie
Arhopalus rusticus (Linnaeus, 1758)
Cerambycidae


24.VII.2015 - ITALIA - Trentino-Alto Adige - TN
Coleoptera

gigilmozzi

4

1264

26/07/2015, 19:30

gigilmozzi Vedi ultimo messaggio

Nessun messaggio da leggere
Allegato(i)
Rhagium (Megarhagium) pruinosum Pesarini et Sabbadini, 2011

26.V.2015 - GRECIA - EE
Coleoptera

Uncle Adam

2

1612

26/07/2015, 15:41

Entomarci Vedi ultimo messaggio

Nessun messaggio da leggere
Allegato(i) Dettagli della specie
Cerambyx scopolii scopolii Fuessly, 1775
Cerambycidae


V.2015 - ITALIA - Veneto - VR
Coleoptera

maudoc59

2

930

26/07/2015, 6:48

maudoc59 Vedi ultimo messaggio

Nessun messaggio da leggere
Cortodera sp. - Cerambycidae
10.VI.2014 - ARMENIA - EE
Allegato(i)
Cortodera sp. - Cerambycidae

10.VI.2014 - ARMENIA - EE
Coleoptera

Stehof

0

692

25/07/2015, 15:07

Stehof Vedi ultimo messaggio

Nessun messaggio da leggere
Allegato(i)
Lampropterus femoratus (Germar, 1824) - Cerambycidae - Turchia

6.VII.2015 - TURCHIA - EE
Coleoptera

Baris99

1

850

25/07/2015, 14:32

Xylosteus Vedi ultimo messaggio

Visualizza ultimi argomenti:  Ordina per  Ordine:  
nuovo argomento
Vai alla pagina Precedente  1 ... 23, 24, 25, 26, 27, 28, 29 ... 93  Prossimo
Pagina 26 di 93 [ 4647 argomenti ]

Tutti gli orari sono UTC + 1 ora [ ora legale ]


Chi c’è in linea

Visitano il forum: Nessuno e 1 ospite


Legenda
Messaggi da leggere Messaggi da leggere Nessun messaggio da leggere Nessun messaggio da leggere Annuncio Annuncio
 
Specie indeterminata / discussione generica
Messaggi non letti [ Popolari ] Messaggi non letti [ Popolari ] Nessun messaggio da leggere [ Popolare ] Nessun messaggio da leggere [ Popolare ] Importante Importante
 
Specie determinata fino al genere o cf.
Messaggi non letti [ Bloccati ] Messaggi non letti [ Bloccati ] No messaggi non letti [ Bloccati ] No messaggi non letti [ Bloccati ] Argomento spostato Argomento spostato
 
Specie correttamente determinata
Permessi
Non puoi aprire nuovi argomenti
Non puoi rispondere negli argomenti
Non puoi modificare i tuoi messaggi
Non puoi cancellare i tuoi messaggi
Non puoi inviare allegati

Cerca per:
Vai a: