Benvenuto Ospite

Forum Entomologi Italiani

www.entomologiitaliani.net/forum
 
Oggi è 09/11/2025, 12:42

Tutti gli orari sono UTC + 1 ora [ ora legale ]


92% 
2927 taxa correttamente determinati su 3178 presenti in archivio

Cerambycidae


[ AFROTROPICALE ] [ ANTARTICO ] [ AUSTRALASIANO ] [ NEARTICO ] [ NEOTROPICALE ] [ ORIENTALE ] [ PALEARTICO ]


nuovo argomento
Vai alla pagina Precedente  1 ... 36, 37, 38, 39, 40, 41, 42 ... 93  Prossimo
Pagina 39 di 93 [ 4647 argomenti ]
 Argomenti   Ordine   Autore   Risposte   Visite    Ultimo messaggio 
Annunci
Nessun messaggio da leggere
Allegato(i)
Incontri entomologici telematici organizzati dalla Società Entomologica Italiana nel 2022 e nel 2023

[ Vai alla paginaVai alla pagina: 1, 2, 3 ]

 

Velvet Ant

44

1430928

03/03/2023, 15:55

Velvet Ant Vedi ultimo messaggio

Nessun messaggio da leggere  
Allegato(i)
Sondaggio sul declino dell'entomofauna in Italia

[ Vai alla paginaVai alla pagina: 1, 2, 3, 4 ]

 

Velvet Ant

52

1759201

22/10/2022, 19:18

Acquarius Vedi ultimo messaggio

Nessun messaggio da leggere  
Allegato(i)
Progetto: Bibliografia ragionata dei lavori entomologici nei quali sono citati reperti apparsi su FEI

[ Vai alla paginaVai alla pagina: 1, 2, 3 ]

 

Velvet Ant

33

1171714

06/07/2023, 18:31

Orotrechus Vedi ultimo messaggio

Nessun messaggio da leggere
Allegato(i)
Mimesi, il primo documentario cinematografico sull’entomologia in Italia: casting
 

mazzeip

1

457354

28/02/2019, 20:26

mazzeip Vedi ultimo messaggio

Questo argomento è bloccato, non puoi modificare o inviare ulteriori messaggi.
Allegato(i)
ISTRUZIONI PUBBLICAZIONE NUOVI ARGOMENTI E FOTO

 
Altri Ordini di Insetti

Julodis

4

913954

13/05/2015, 19:37

Julodis Vedi ultimo messaggio

Nessun messaggio da leggere
Allegato(i)
Limitatore giornaliero di messaggi, uno strumento utile e ormai indispensabile

[ Vai alla paginaVai alla pagina: 1 ... 14, 15, 16 ]

 

Velvet Ant

233

8836523

25/09/2014, 14:31

Inachis Vedi ultimo messaggio

Nessun messaggio da leggere  
NORME PER I COLLABORATORI DEL FORUM

 
 

Velvet Ant

0

478957

02/06/2011, 12:05

Velvet Ant Vedi ultimo messaggio

Nessun messaggio da leggere
Allegato(i)
NORME PER GLI UTENTI DEL FORUM

[ Vai alla paginaVai alla pagina: 1, 2, 3 ]



 
 

Velvet Ant

30

2346713

23/09/2014, 23:54

Maurizio Bollino Vedi ultimo messaggio

Questo argomento è bloccato, non puoi modificare o inviare ulteriori messaggi.  
Elenco delle specie italiane di Cerambycidae presenti sul forum
Cerambycidae


 
Coleoptera

Plagionotus

0

5999

22/11/2010, 22:28

Plagionotus Vedi ultimo messaggio

Nessun messaggio da leggere  
Lista degli utenti del "Forum entomologi italiani" per campi di interesse e specializzazione

 
Altri Ordini di Insetti

Velvet Ant

13

944733

07/09/2023, 17:14

Roberto-07 Vedi ultimo messaggio

Argomenti
Nessun messaggio da leggere
Allegato(i) Dettagli della specie
Deroplia troberti troberti (Mulsant, 1843)
Cerambycidae


XI.2007 - ITALIA - Lazio - RM
Coleoptera

aesalus37

9

1795

06/02/2014, 7:50

aesalus37 Vedi ultimo messaggio

Nessun messaggio da leggere
Allegato(i)
Pedestredorcadion lineatocolle (Kraatz, 1873) - Cerambycidae
Cerambycidae


30.V.2005 - BULGARIA - EE
Coleoptera

Uncle Adam

2

798

05/02/2014, 19:55

Uncle Adam Vedi ultimo messaggio

Nessun messaggio da leggere
Allegato(i) Dettagli della specie
Phytoecia caerulea caerulea (Scopoli, 1772)
Cerambycidae


29.IV.2012 - GEORGIA - EE
Coleoptera

Pippistrello

1

821

05/02/2014, 9:17

Entomarci Vedi ultimo messaggio

Nessun messaggio da leggere
Allegato(i)
Dorcadion (Pedestredorcadion) tauricum Waltl, 1838 - Cerambycidae

19.V.2005 - BULGARIA - EE
Coleoptera

Uncle Adam

2

849

05/02/2014, 4:22

Uncle Adam Vedi ultimo messaggio

Nessun messaggio da leggere
Allegato(i) Dettagli della specie
Cerambyx cerdo cerdo Linnaeus, 1758
Cerambycidae


VI.2013 - GRECIA - EE
Coleoptera

claudio sola

4

1070

03/02/2014, 22:17

Julodis Vedi ultimo messaggio

Nessun messaggio da leggere
Rhagium (Hagrium) bifasciatum Fabricius, 1775 - Cerambycidae
26.I.2014 - ITALIA - Toscana - AR
Allegato(i) Dettagli della specie
Rhagium (Hagrium) bifasciatum Fabricius, 1775
Cerambycidae


26.I.2014 - ITALIA - Toscana - AR
Coleoptera

Federico A.

10

1808

03/02/2014, 9:19

Entomarci Vedi ultimo messaggio

Nessun messaggio da leggere
Allegato(i)
Dorcadion (Pedestredorcadion) bravardi Pic, 1916 - Cerambycidae
Cerambycidae


26.V.2008 - GRECIA - EE
Coleoptera

Uncle Adam

13

2160

02/02/2014, 22:23

Uncle Adam Vedi ultimo messaggio

Nessun messaggio da leggere
Allegato(i)
Enoploderes sanguineus Faldermann, 1837 - Cerambycidae - Georgia
Cerambycidae


14.V.2012 - GEORGIA - EE
Coleoptera

Pippistrello

3

1692

02/02/2014, 21:19

aphodius Vedi ultimo messaggio

Nessun messaggio da leggere
Deroplia genei genei (Aragona, 1830) - Cerambycidae
12.I.2014 - ITALIA - Lombardia - BS
Allegato(i) Dettagli della specie
Deroplia genei genei (Aragona, 1830)
Cerambycidae

[ Vai alla paginaVai alla pagina: 1, 2 ]



12.I.2014 - ITALIA - Lombardia - BS
Coleoptera

·!¦[·FaRo·]¦!·

26

5927

02/02/2014, 18:41

FORBIX Vedi ultimo messaggio

Nessun messaggio da leggere
Allegato(i)
Neoplocaederus caroli (Leprieur, 1876) - Cerambycidae

19.IV.2013 - TUNISIA - EE
Coleoptera

Guido Sabatinelli

7

1172

27/01/2014, 17:27

Julodis Vedi ultimo messaggio

Nessun messaggio da leggere
Allegato(i) Dettagli della specie
Trichoferus fasciculatus fasciculatus (Faldermann, 1837)
Cerambycidae


20.VII.2013 - TUNISIA - EE
Coleoptera

Guido Sabatinelli

4

918

27/01/2014, 14:31

Guido Sabatinelli Vedi ultimo messaggio

Nessun messaggio da leggere
Allegato(i) Dettagli della specie
Musaria argus (Frölich, 1793)
Cerambycidae


VI.2013 - GRECIA - EE
Coleoptera

claudio sola

7

1797

24/01/2014, 0:28

Maurizio Bollino Vedi ultimo messaggio

Nessun messaggio da leggere
Allegato(i)
Dorcadion (Maculatodorcadion) quadrimaculatum Kuster, 1848 - Cerambycidae
Cerambycidae


GRECIA - EE
Coleoptera

Malpertuis

7

1741

23/01/2014, 13:07

Malpertuis Vedi ultimo messaggio

Nessun messaggio da leggere
Allegato(i) Dettagli della specie
Stenurella septempunctata septempunctata (Fabricius, 1792)
Cerambycidae


VI.2011 - GRECIA - EE
Coleoptera

claudio sola

1

845

23/01/2014, 11:07

Xylosteus Vedi ultimo messaggio

Nessun messaggio da leggere
Allegato(i) Dettagli della specie
Alosterna tabacicolor (De Geer, 1775)
Cerambycidae


VI.2013 - GRECIA - EE
Coleoptera

claudio sola

3

958

22/01/2014, 1:24

claudio sola Vedi ultimo messaggio

Nessun messaggio da leggere
Allegato(i)
Paracorymbia pallens (Brullè, 1832) - Cerambycidae
Cerambycidae


VI.2013 - GRECIA - EE
Coleoptera

claudio sola

1

669

21/01/2014, 9:58

Xylosteus Vedi ultimo messaggio

Nessun messaggio da leggere
Allegato(i)
Stenurella bifasciata intermedia Holzschuh, 2006 - Cerambycidae
Cerambycidae


VI.2013 - GRECIA - EE
Coleoptera

claudio sola

4

1107

20/01/2014, 17:03

Plagionotus Vedi ultimo messaggio

Nessun messaggio da leggere
Allegato(i) Dettagli della specie
Anaglyptus mysticus (Linnaeus, 1758)
Cerambycidae


VI.2013 - GRECIA - EE
Coleoptera

claudio sola

1

823

20/01/2014, 13:04

Xylosteus Vedi ultimo messaggio

Nessun messaggio da leggere
Allegato(i)
Stenurella bifasciata intermedia Holzschuh, 2006 - Cerambycidae

VI.2013 - GRECIA - EE
Coleoptera

claudio sola

1

601

20/01/2014, 13:03

Xylosteus Vedi ultimo messaggio

Nessun messaggio da leggere
Alosterna tabacicolor (De Geer, 1775) - Cerambycidae
17.V.2013 - ITALIA - Lazio - VT
Allegato(i) Dettagli della specie
Alosterna tabacicolor (De Geer, 1775)
Cerambycidae


17.V.2013 - ITALIA - Lazio - VT
Coleoptera

Daniele Maccapani

2

972

19/01/2014, 14:42

Daniele Maccapani Vedi ultimo messaggio

Nessun messaggio da leggere
Allegato(i) Dettagli della specie
Plagionotus detritus detritus (Linnaeus, 1758)
Cerambycidae


VI.2013 - GRECIA - EE
Coleoptera

claudio sola

8

1734

18/01/2014, 22:33

claudio sola Vedi ultimo messaggio

Nessun messaggio da leggere
Allegato(i)
Helladia praetextata praetextata (Steven, 1817) - Cerambycidae
Cerambycidae


19.V.1996 - TURCHIA - EE
Coleoptera

Eurythyrea

3

1081

17/01/2014, 17:02

Xylosteus Vedi ultimo messaggio

Nessun messaggio da leggere
Allegato(i)
Oxylia duponcheli (Brullé, 1832) - Cerambycidae
Cerambycidae


3.VI.2003 - GRECIA - EE
Coleoptera

ghebo

7

1041

16/01/2014, 23:46

Plagionotus Vedi ultimo messaggio

Nessun messaggio da leggere
Allegato(i)
Vadonia unipunctata makedonica Holzschuh, 1989 - Cerambycidae

16.VI.2006 - GRECIA - EE
Coleoptera

ghebo

2

664

15/01/2014, 8:39

ghebo Vedi ultimo messaggio

Nessun messaggio da leggere
Allegato(i) Dettagli della specie
Callimus angulatus angulatus (Schrank, 1789)
Cerambycidae


VI.2011 - GRECIA - EE
Coleoptera

claudio sola

3

906

15/01/2014, 0:01

claudio sola Vedi ultimo messaggio

Nessun messaggio da leggere
Allegato(i)
Dorcadion (Pedestredorcadion) sp. - Cerambycidae

6.V.1989 - BULGARIA - EE
Coleoptera

claudio sola

9

1489

14/01/2014, 0:07

claudio sola Vedi ultimo messaggio

Nessun messaggio da leggere
Allegato(i) Dettagli della specie
Anoplodera (Anoplodera) sexguttata (Fabricius, 1775)
Cerambycidae


VI.2013 - GRECIA - EE
Coleoptera

claudio sola

1

660

13/01/2014, 0:01

zdeno Vedi ultimo messaggio

Nessun messaggio da leggere
Allegato(i)
Dorcadion (Pedestredorcadion) heldreichi Kraatz,1873 - Cerambycidae

VI.2012 - GRECIA - EE
Coleoptera

claudio sola

7

1026

12/01/2014, 18:46

zdeno Vedi ultimo messaggio

Nessun messaggio da leggere
Allegato(i)
Dorcadion (Pedestredorcadion) septemlineatum abanti Braun, 1976 - Cerambycidae

27.VII.1975 - TURCHIA - EE
Coleoptera

ghebo

3

459

11/01/2014, 12:33

ghebo Vedi ultimo messaggio

Nessun messaggio da leggere
Allegato(i)
Dorcadion (Pedestredorcadion) rizeanum (Breuning & Villiers, 1967) - Cerambycidae

17.VII.1988 - TURCHIA - EE
Coleoptera

ghebo

6

607

11/01/2014, 12:31

ghebo Vedi ultimo messaggio

Nessun messaggio da leggere
Allegato(i)
Dorcadion (Pedestredorcadion) sodale sodale Hampe, 1852 - Cerambycidae
Cerambycidae


14.VI.2013 - TURCHIA - EE
Coleoptera

Maurizio Bollino

5

822

11/01/2014, 12:23

Maurizio Bollino Vedi ultimo messaggio

Nessun messaggio da leggere
Allegato(i)
Dorcadion (Pedestredorcadion) parinfernale Breuning, 1975 - Cerambycidae

VI.2013 - GRECIA - EE
Coleoptera

claudio sola

1

412

11/01/2014, 0:15

zdeno Vedi ultimo messaggio

Nessun messaggio da leggere
Allegato(i)
Dorcadion (Pedestredorcadion) parinfernale Breuning, 1975 - Cerambycidae

VI.2013 - GRECIA - EE
Coleoptera

claudio sola

1

540

11/01/2014, 0:14

zdeno Vedi ultimo messaggio

Nessun messaggio da leggere
Allegato(i)
Leiopus nebulosus caucasicus Ganglbauer, 1887 - Cerambycidae
Cerambycidae


14.VII.2006 - TURCHIA - EE
Coleoptera

ghebo

2

592

10/01/2014, 10:53

ghebo Vedi ultimo messaggio

Nessun messaggio da leggere
Allegato(i)
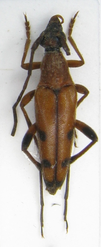
Stictoleptura dichroa (Blanchard, 1871) (cf.) - Cerambycidae

VI.2008 - CINA - EE
Coleoptera

claudio sola

1

586

10/01/2014, 4:32

Limonium calabrum Vedi ultimo messaggio

Nessun messaggio da leggere
Allegato(i) Dettagli della specie
Agapanthia (Epoptes) kirbyi (Gyllenhal, 1817)
Cerambycidae


11.VI.2007 - GRECIA - EE
Coleoptera

ghebo

2

811

09/01/2014, 16:11

ghebo Vedi ultimo messaggio

Nessun messaggio da leggere
Allegato(i) Dettagli della specie
Opsilia coerulescens (Scopoli, 1763)
Cerambycidae


20.VI.1973 - GRECIA - EE
Coleoptera

ghebo

7

1267

09/01/2014, 13:51

f.izzillo Vedi ultimo messaggio

Nessun messaggio da leggere
Allegato(i) Dettagli della specie
Stenurella septempunctata septempunctata (Fabricius, 1792)
Cerambycidae


16.VI.2007 - GRECIA - EE
Coleoptera

ghebo

3

1000

08/01/2014, 18:49

ghebo Vedi ultimo messaggio

Nessun messaggio da leggere
Certallum ebulinum (Linnaeus, 1767) - Tunisia
31.III.2013 - TUNISIA - EE
Allegato(i)
Certallum ebulinum (Linnaeus, 1767) - Tunisia

31.III.2013 - TUNISIA - EE
Coleoptera

Guido Sabatinelli

6

1109

08/01/2014, 16:54

Julodis Vedi ultimo messaggio

Nessun messaggio da leggere
Allegato(i)
Stenurella bifasciata intermedia Holzschuh, 2006 - Cerambycidae

VI.2013 - GRECIA - EE
Coleoptera

claudio sola

2

529

07/01/2014, 22:54

claudio sola Vedi ultimo messaggio

Nessun messaggio da leggere
Allegato(i)
Vadonia unipunctata subsp. makedonica Holzschuh, 1989 (cf.) - Cerambycidae Lepturinae

26.VII.2008 - GRECIA - EE
Coleoptera

ghebo

4

491

07/01/2014, 19:36

ghebo Vedi ultimo messaggio

Nessun messaggio da leggere
Allegato(i)
Agapanthia (Epoptes) markusi Rapuzzi, Sama & Kotán, 2013 - Cerambycidae

V.2012 - GRECIA - EE
Coleoptera

claudio sola

0

423

06/01/2014, 23:22

claudio sola Vedi ultimo messaggio

Nessun messaggio da leggere
Allegato(i)
Clorophorus simillimus (Kraatz, 1879) - Cerambycidae

VI.2008 - CINA - EE
Coleoptera

claudio sola

4

692

06/01/2014, 17:28

Xylosteus Vedi ultimo messaggio

Nessun messaggio da leggere
Allegato(i)
Vadonia insidiosa Holzschuh, 1984 (cf.) - Cerambycidae
Cerambycidae


26.VII.2006 - GRECIA - EE
Coleoptera

ghebo

2

484

05/01/2014, 23:19

ghebo Vedi ultimo messaggio

Nessun messaggio da leggere
Allegato(i)
Vadonia unipunctata makedonica Holzschuh, 1989 - Cerambycidae
Cerambycidae


16.VI.2007 - GRECIA - EE
Coleoptera

ghebo

2

528

05/01/2014, 23:14

ghebo Vedi ultimo messaggio

Nessun messaggio da leggere
Allegato(i)
Stictoleptura tesserula (Charpentier, 1825) - Cerambycidae
Cerambycidae


11.VII.2005 - TURCHIA - EE
Coleoptera

ghebo

2

732

05/01/2014, 23:12

ghebo Vedi ultimo messaggio

Nessun messaggio da leggere
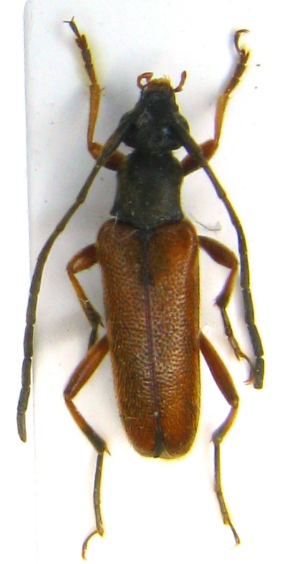
Callidium violaceum (Linnaeus, 1758) - Cerambycidae
27.VII.2011 - ITALIA - Veneto - VI
Allegato(i) Dettagli della specie
Callidium violaceum (Linnaeus, 1758)
Cerambycidae


27.VII.2011 - ITALIA - Veneto - VI
Coleoptera

ghebo

0

638

05/01/2014, 19:45

ghebo Vedi ultimo messaggio

Nessun messaggio da leggere
Allegato(i) Dettagli della specie
Grammoptera abdominalis (Stephens, 1831)
Cerambycidae


VI.2013 - GRECIA - EE
Coleoptera

claudio sola

2

962

05/01/2014, 15:14

Xylosteus Vedi ultimo messaggio

Nessun messaggio da leggere
Morimus asper asper (Sulzer, 1776) - Cerambycidae
12.IV.2011 - ITALIA - Liguria - GE
Allegato(i) Dettagli della specie
Morimus asper asper (Sulzer, 1776)
Cerambycidae


12.IV.2011 - ITALIA - Liguria - GE
Coleoptera

Francesco Cassulo

2

939

05/01/2014, 12:32

Francesco Cassulo Vedi ultimo messaggio

Nessun messaggio da leggere
Allegato(i)
Dorcadion (Pedestredorcadion) thessalicum thessalicum (Pic, 1916) - Cerambycidae

VI.2013 - GRECIA - EE
Coleoptera

claudio sola

4

885

04/01/2014, 20:49

zdeno Vedi ultimo messaggio

Visualizza ultimi argomenti:  Ordina per  Ordine:  
nuovo argomento
Vai alla pagina Precedente  1 ... 36, 37, 38, 39, 40, 41, 42 ... 93  Prossimo
Pagina 39 di 93 [ 4647 argomenti ]

Tutti gli orari sono UTC + 1 ora [ ora legale ]


Chi c’è in linea

Visitano il forum: Nessuno e 1 ospite


Legenda
Messaggi da leggere Messaggi da leggere Nessun messaggio da leggere Nessun messaggio da leggere Annuncio Annuncio
 
Specie indeterminata / discussione generica
Messaggi non letti [ Popolari ] Messaggi non letti [ Popolari ] Nessun messaggio da leggere [ Popolare ] Nessun messaggio da leggere [ Popolare ] Importante Importante
 
Specie determinata fino al genere o cf.
Messaggi non letti [ Bloccati ] Messaggi non letti [ Bloccati ] No messaggi non letti [ Bloccati ] No messaggi non letti [ Bloccati ] Argomento spostato Argomento spostato
 
Specie correttamente determinata
Permessi
Non puoi aprire nuovi argomenti
Non puoi rispondere negli argomenti
Non puoi modificare i tuoi messaggi
Non puoi cancellare i tuoi messaggi
Non puoi inviare allegati

Cerca per:
Vai a:  
cron