Benvenuto Ospite

Forum Entomologi Italiani

www.entomologiitaliani.net/forum
 
Oggi è 08/11/2025, 23:13

Tutti gli orari sono UTC + 1 ora [ ora legale ]


92% 
2927 taxa correttamente determinati su 3178 presenti in archivio

Cerambycidae


[ AFROTROPICALE ] [ ANTARTICO ] [ AUSTRALASIANO ] [ NEARTICO ] [ NEOTROPICALE ] [ ORIENTALE ] [ PALEARTICO ]


nuovo argomento
Vai alla pagina Precedente  1 ... 48, 49, 50, 51, 52, 53, 54 ... 93  Prossimo
Pagina 51 di 93 [ 4647 argomenti ]
 Argomenti   Ordine   Autore   Risposte   Visite    Ultimo messaggio 
Annunci
Nessun messaggio da leggere
Allegato(i)
Incontri entomologici telematici organizzati dalla Società Entomologica Italiana nel 2022 e nel 2023

[ Vai alla paginaVai alla pagina: 1, 2, 3 ]

 

Velvet Ant

44

1430129

03/03/2023, 15:55

Velvet Ant Vedi ultimo messaggio

Nessun messaggio da leggere  
Allegato(i)
Sondaggio sul declino dell'entomofauna in Italia

[ Vai alla paginaVai alla pagina: 1, 2, 3, 4 ]

 

Velvet Ant

52

1758124

22/10/2022, 19:18

Acquarius Vedi ultimo messaggio

Nessun messaggio da leggere  
Allegato(i)
Progetto: Bibliografia ragionata dei lavori entomologici nei quali sono citati reperti apparsi su FEI

[ Vai alla paginaVai alla pagina: 1, 2, 3 ]

 

Velvet Ant

33

1171048

06/07/2023, 18:31

Orotrechus Vedi ultimo messaggio

Nessun messaggio da leggere
Allegato(i)
Mimesi, il primo documentario cinematografico sull’entomologia in Italia: casting
 

mazzeip

1

457159

28/02/2019, 20:26

mazzeip Vedi ultimo messaggio

Questo argomento è bloccato, non puoi modificare o inviare ulteriori messaggi.
Allegato(i)
ISTRUZIONI PUBBLICAZIONE NUOVI ARGOMENTI E FOTO

 
Altri Ordini di Insetti

Julodis

4

911141

13/05/2015, 19:37

Julodis Vedi ultimo messaggio

Nessun messaggio da leggere
Allegato(i)
Limitatore giornaliero di messaggi, uno strumento utile e ormai indispensabile

[ Vai alla paginaVai alla pagina: 1 ... 14, 15, 16 ]

 

Velvet Ant

233

8831782

25/09/2014, 14:31

Inachis Vedi ultimo messaggio

Nessun messaggio da leggere  
NORME PER I COLLABORATORI DEL FORUM

 
 

Velvet Ant

0

478898

02/06/2011, 12:05

Velvet Ant Vedi ultimo messaggio

Nessun messaggio da leggere
Allegato(i)
NORME PER GLI UTENTI DEL FORUM

[ Vai alla paginaVai alla pagina: 1, 2, 3 ]



 
 

Velvet Ant

30

2346076

23/09/2014, 23:54

Maurizio Bollino Vedi ultimo messaggio

Questo argomento è bloccato, non puoi modificare o inviare ulteriori messaggi.  
Elenco delle specie italiane di Cerambycidae presenti sul forum
Cerambycidae


 
Coleoptera

Plagionotus

0

5998

22/11/2010, 22:28

Plagionotus Vedi ultimo messaggio

Nessun messaggio da leggere  
Lista degli utenti del "Forum entomologi italiani" per campi di interesse e specializzazione

 
Altri Ordini di Insetti

Velvet Ant

13

944438

07/09/2023, 17:14

Roberto-07 Vedi ultimo messaggio

Argomenti
Nessun messaggio da leggere
Allegato(i) Dettagli della specie
Ergates faber faber (Linnaeus, 1760)
Cerambycidae


8.IX.2012 - SPAGNA - EE
Coleoptera

Enrico Ruzzier

6

1462

10/09/2012, 11:33

Plagionotus Vedi ultimo messaggio

Nessun messaggio da leggere
Grammoptera ruficornis ruficornis (Fabricius, 1781) - Cerambycidae
5.V.2012 - ITALIA - Emilia-Romagna - FE
Allegato(i) Dettagli della specie
Grammoptera ruficornis ruficornis (Fabricius, 1781)
Cerambycidae


5.V.2012 - ITALIA - Emilia-Romagna - FE
Coleoptera

Daniele Maccapani

9

1784

09/09/2012, 23:43

Daniele Maccapani Vedi ultimo messaggio

Nessun messaggio da leggere
Semanotus undatus (Linnaeus, 1758) - Cerambycidae
9.IX.2012 - ITALIA - Trentino-Alto Adige - BZ
Allegato(i) Dettagli della specie
Semanotus undatus (Linnaeus, 1758)
Cerambycidae


9.IX.2012 - ITALIA - Trentino-Alto Adige - BZ
Coleoptera

Entomarci

14

2663

09/09/2012, 21:26

AleP Vedi ultimo messaggio

Nessun messaggio da leggere
Herophila tristis tristis (Linnaeus, 1767) - Cerambycidae
9.IX.2012 - ITALIA - Sardegna - OT
Allegato(i) Dettagli della specie
Herophila tristis tristis (Linnaeus, 1767)
Cerambycidae


9.IX.2012 - ITALIA - Sardegna - OT
Coleoptera

Caterina Azara

3

875

09/09/2012, 16:36

Caterina Azara Vedi ultimo messaggio

Nessun messaggio da leggere
Agapanthia (Epoptes) asphodeli (Latreille, 1804) - Cerambycidae
2.V.2012 - ITALIA - Basilicata - MT
Allegato(i) Dettagli della specie
Agapanthia (Epoptes) asphodeli (Latreille, 1804)
Cerambycidae


2.V.2012 - ITALIA - Basilicata - MT
Coleoptera

Mimmo011

12

2890

07/09/2012, 18:51

Plagionotus Vedi ultimo messaggio

Nessun messaggio da leggere
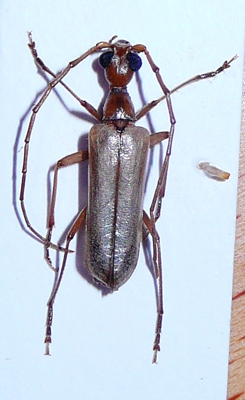
Trichoferus holosericeus (Rossi, 1790) cf. - Cerambycidae
17.VII.2012 - ITALIA - Umbria - PG
Allegato(i) Dettagli della specie
Trichoferus holosericeus (Rossi, 1790) cf.
Cerambycidae

[ Vai alla paginaVai alla pagina: 1, 2 ]



17.VII.2012 - ITALIA - Umbria - PG
Coleoptera

Maura

20

3910

07/09/2012, 16:50

Maura Vedi ultimo messaggio

Nessun messaggio da leggere
Stenopterus rufus rufus (Linnaeus, 1767) - Cerambycidae
5.V.2012 - ITALIA - Toscana - PI
Allegato(i) Dettagli della specie
Stenopterus rufus rufus (Linnaeus, 1767)
Cerambycidae


5.V.2012 - ITALIA - Toscana - PI
Coleoptera

Stefano79

6

1232

07/09/2012, 10:21

FORBIX Vedi ultimo messaggio

Nessun messaggio da leggere
Allegato(i) Dettagli della specie
Trichoferus fasciculatus fasciculatus (Faldermann, 1837) cf.
Cerambycidae


20.VIII.2007 - ITALIA - Sicilia - TP
Coleoptera

Eopteryx

9

1702

07/09/2012, 8:19

Entomarci Vedi ultimo messaggio

Nessun messaggio da leggere
Morimus asper asper (Sulzer, 1776) - Cerambycidae
13.V.2012 - ITALIA - Toscana - PI
Allegato(i) Dettagli della specie
Morimus asper asper (Sulzer, 1776)
Cerambycidae


13.V.2012 - ITALIA - Toscana - PI
Coleoptera

Stefano79

5

1029

06/09/2012, 23:54

Julodis Vedi ultimo messaggio

Nessun messaggio da leggere
Pseudovadonia livida livida (Fabricius, 1777) - Cerambycidae
1.IX.2012 - ITALIA - Lombardia - MI
Allegato(i) Dettagli della specie
Pseudovadonia livida livida (Fabricius, 1777)
Cerambycidae


1.IX.2012 - ITALIA - Lombardia - MI
Coleoptera

carlos

2

716

06/09/2012, 22:35

carlos Vedi ultimo messaggio

Nessun messaggio da leggere
Cerambyx scopolii scopolii Fuessly, 1775 - Cerambycidae
23.VI.2012 - ITALIA - Toscana - PI
Allegato(i) Dettagli della specie
Cerambyx scopolii scopolii Fuessly, 1775
Cerambycidae


23.VI.2012 - ITALIA - Toscana - PI
Coleoptera

Stefano79

2

939

06/09/2012, 10:02

Stefano79 Vedi ultimo messaggio

Nessun messaggio da leggere
Chlorophorus glabromaculatus (Goeze, 1777) - Cerambycidae
4.VIII.2012 - ITALIA - Toscana - PI
Allegato(i) Dettagli della specie
Chlorophorus glabromaculatus (Goeze, 1777)
Cerambycidae


4.VIII.2012 - ITALIA - Toscana - PI
Coleoptera

Stefano79

9

2321

06/09/2012, 0:18

Tc70 Vedi ultimo messaggio

Nessun messaggio da leggere
Vesperus strepens (Fabricius, 1792) - Cerambycidae
10.III.2012 - ITALIA - Piemonte - CN
Allegato(i) Dettagli della specie
Vesperus strepens (Fabricius, 1792)
Cerambycidae


10.III.2012 - ITALIA - Piemonte - CN
Coleoptera

Davide

7

2311

05/09/2012, 19:00

Davide Vedi ultimo messaggio

Nessun messaggio da leggere
Vesperus luridus (Rossi, 1794) - Cerambycidae
29.VIII.2012 - ITALIA - Toscana - LI
Allegato(i) Dettagli della specie
Vesperus luridus (Rossi, 1794)
Cerambycidae


29.VIII.2012 - ITALIA - Toscana - LI
Coleoptera

FORBIX

7

3320

05/09/2012, 17:00

FORBIX Vedi ultimo messaggio

Nessun messaggio da leggere
Allegato(i) Dettagli della specie
Anoplodera (Anoplodera) rufipes izzilloi Sama, 1999
Cerambycidae


13.V.2012 - ITALIA - Puglia - BA
Coleoptera

Mimmo011

13

3449

05/09/2012, 10:23

f.izzillo Vedi ultimo messaggio

Nessun messaggio da leggere
Allegato(i) Dettagli della specie
Xylotrechus (Xylotrechus) stebbingi Gahan, 1906
Cerambycidae


5.VII.2012 - ITALIA - Toscana - PI
Coleoptera

Stefano79

3

1169

05/09/2012, 8:18

Stefano79 Vedi ultimo messaggio

Nessun messaggio da leggere
Allegato(i) Dettagli della specie
Agapanthia (Agapanthia) maculicornis davidi Sláma, 1986
Cerambycidae


5.V.2012 - ITALIA - Puglia - BA
Coleoptera

Mimmo011

2

1770

04/09/2012, 21:14

Mimmo011 Vedi ultimo messaggio

Nessun messaggio da leggere
Vesperus luridus (Rossi, 1794) - Cerambycidae
21.VIII.2012 - ITALIA - Marche - AN
Allegato(i) Dettagli della specie
Vesperus luridus (Rossi, 1794)
Cerambycidae


21.VIII.2012 - ITALIA - Marche - AN
Coleoptera

StagBeetle

2

1892

04/09/2012, 13:05

StagBeetle Vedi ultimo messaggio

Nessun messaggio da leggere
Anastrangalia dubia dubia (Scopoli, 1763) - Cerambycidae
10.VIII.2012 - ITALIA - Trentino-Alto Adige - TN
Allegato(i) Dettagli della specie
Anastrangalia dubia dubia (Scopoli, 1763)
Cerambycidae


10.VIII.2012 - ITALIA - Trentino-Alto Adige - TN
Coleoptera

StagBeetle

2

1256

03/09/2012, 23:54

StagBeetle Vedi ultimo messaggio

Nessun messaggio da leggere
Callidium violaceum (Linnaeus, 1758) - Cerambycidae
4.V.2012 - ITALIA - Friuli-Venezia Giulia - GO
Allegato(i) Dettagli della specie
Callidium violaceum (Linnaeus, 1758)
Cerambycidae


4.V.2012 - ITALIA - Friuli-Venezia Giulia - GO
Coleoptera

Daniele Maccapani

12

3186

03/09/2012, 21:03

Daniele Maccapani Vedi ultimo messaggio

Nessun messaggio da leggere
Allegato(i) Dettagli della specie
Purpuricenus (Purpuricenus) kaehleri kaehleri (Linnaeus, 1758)
Cerambycidae

[ Vai alla paginaVai alla pagina: 1, 2 ]



16.VII.2012 - ITALIA - Veneto - VR
Coleoptera

AleP

27

3573

03/09/2012, 18:25

Julodis Vedi ultimo messaggio

Nessun messaggio da leggere
Allegato(i)
Rhaesus serricollis (Motschulsky, 1838) - Cerambycidae
Cerambycidae


14.VIII.2008 - GRECIA - EE
Coleoptera

Daniele Sechi

12

2093

03/09/2012, 8:56

Entomofou Vedi ultimo messaggio

Nessun messaggio da leggere
Stictoleptura rubra rubra (Linnaeus, 1758) - Cerambycidae
VIII.2012 - ITALIA - Veneto - BL
Allegato(i) Dettagli della specie
Stictoleptura rubra rubra (Linnaeus, 1758)
Cerambycidae


VIII.2012 - ITALIA - Veneto - BL
Coleoptera

Maw89

5

1335

03/09/2012, 6:47

Julodis Vedi ultimo messaggio

Nessun messaggio da leggere
Allegato(i) Dettagli della specie
Trichoferus fasciculatus fasciculatus (Faldermann, 1837)
Cerambycidae


VII.2011 - ITALIA - Sicilia - ME
Coleoptera

Lucanus tetraodon

6

1661

02/09/2012, 16:24

Lucanus tetraodon Vedi ultimo messaggio

Nessun messaggio da leggere
Monochamus sutor sutor (Linnaeus, 1758) cf. - Cerambycidae
24.VI.2012 - ITALIA - Piemonte - CN
Allegato(i) Dettagli della specie
Monochamus sutor sutor (Linnaeus, 1758) cf.
Cerambycidae


24.VI.2012 - ITALIA - Piemonte - CN
Coleoptera

Davide

8

2448

02/09/2012, 14:42

Davide Vedi ultimo messaggio

Nessun messaggio da leggere
Vesperus luridus (Rossi, 1794) - Cerambycidae
17.VIII.2012 - ITALIA - Lazio - RI
Allegato(i) Dettagli della specie
Vesperus luridus (Rossi, 1794)
Cerambycidae

[ Vai alla paginaVai alla pagina: 1, 2 ]



17.VIII.2012 - ITALIA - Lazio - RI
Coleoptera

Fabio Turchetti

18

4106

01/09/2012, 16:26

Plagionotus Vedi ultimo messaggio

Nessun messaggio da leggere
Vesperus macropterus Sama, 1999 - Cerambycidae
5.VIII.2012 - ITALIA - Sardegna - CA
Allegato(i) Dettagli della specie
Vesperus macropterus Sama, 1999
Cerambycidae


5.VIII.2012 - ITALIA - Sardegna - CA
Coleoptera

ruzzpa

7

2257

01/09/2012, 16:09

Plagionotus Vedi ultimo messaggio

Nessun messaggio da leggere
Allegato(i) Dettagli della specie
Stenurella bifasciata bifasciata (O. F. Müller, 1776)
Cerambycidae


22.V.2012 - ITALIA - Basilicata - MT
Coleoptera

Mimmo011

4

1247

01/09/2012, 13:24

Mimmo011 Vedi ultimo messaggio

Nessun messaggio da leggere
Stenopterus rufus rufus (Linnaeus, 1767) - Cerambycidae
22.V.2012 - ITALIA - Basilicata - MT
Allegato(i) Dettagli della specie
Stenopterus rufus rufus (Linnaeus, 1767)
Cerambycidae


22.V.2012 - ITALIA - Basilicata - MT
Coleoptera

Mimmo011

4

1368

01/09/2012, 13:22

Mimmo011 Vedi ultimo messaggio

Nessun messaggio da leggere
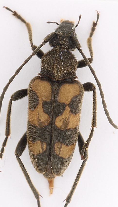
Musaria cephalotes (Küster, 1846) - Cerambycidae
VIII.2012 - ITALIA - Marche - PU
Allegato(i) Dettagli della specie
Musaria cephalotes (Küster, 1846)
Cerambycidae

[ Vai alla paginaVai alla pagina: 1, 2 ]



VIII.2012 - ITALIA - Marche - PU
Coleoptera

Entomarci

20

3830

01/09/2012, 12:47

michele.carraretto Vedi ultimo messaggio

Nessun messaggio da leggere
Vesperus luridus (Rossi, 1794) - Cerambycidae
23.VIII.2012 - ITALIA - Marche - PU
Allegato(i) Dettagli della specie
Vesperus luridus (Rossi, 1794)
Cerambycidae


23.VIII.2012 - ITALIA - Marche - PU
Coleoptera

marco paglialunga

11

2338

01/09/2012, 9:52

hutia Vedi ultimo messaggio

Nessun messaggio da leggere
Brachypteroma ottomanum Heyden, 1863 - Cerambycidae
7.V.2012 - ITALIA - Emilia-Romagna - FE
Allegato(i) Dettagli della specie
Brachypteroma ottomanum Heyden, 1863
Cerambycidae


7.V.2012 - ITALIA - Emilia-Romagna - FE
Coleoptera

Daniele Maccapani

2

1143

31/08/2012, 21:36

Daniele Maccapani Vedi ultimo messaggio

Nessun messaggio da leggere
Glaphyra (Glaphyra) umbellatarum (Schreber, 1759) - Cerambycidae
18.V.2012 - ITALIA - Emilia-Romagna - FE
Allegato(i) Dettagli della specie
Glaphyra (Glaphyra) umbellatarum (Schreber, 1759)
Cerambycidae


18.V.2012 - ITALIA - Emilia-Romagna - FE
Coleoptera

Daniele Maccapani

8

2494

31/08/2012, 14:27

Julodis Vedi ultimo messaggio

Nessun messaggio da leggere
Pogonocherus perroudi perroudi Mulsant, 1839 - Cerambycidae
9.VIII.2012 - ITALIA - Emilia-Romagna - BO
Allegato(i) Dettagli della specie
Pogonocherus perroudi perroudi Mulsant, 1839
Cerambycidae


9.VIII.2012 - ITALIA - Emilia-Romagna - BO
Coleoptera

Loriscola

8

2106

30/08/2012, 14:08

conan Vedi ultimo messaggio

Nessun messaggio da leggere
Vesperus luridus (Rossi, 1794) - Cerambycidae
29.VIII.2012 - ITALIA - Lazio - VT
Allegato(i) Dettagli della specie
Vesperus luridus (Rossi, 1794)
Cerambycidae


29.VIII.2012 - ITALIA - Lazio - VT
Coleoptera

Andricus

4

2997

30/08/2012, 11:43

Daniele Maccapani Vedi ultimo messaggio

Nessun messaggio da leggere
Allegato(i) Dettagli della specie
Agapanthia (Agapanthia) intermedia Ganglbauer, 1884 cf.
Cerambycidae


1.V.2012 - ITALIA - Calabria - CZ
Coleoptera

cdr89

12

4629

30/08/2012, 11:40

ivo Vedi ultimo messaggio

Nessun messaggio da leggere
Saperda carcharias (Linnaeus, 1758) - Cerambycidae
4.VIII.2012 - ITALIA - Emilia-Romagna - BO
Allegato(i) Dettagli della specie
Saperda carcharias (Linnaeus, 1758)
Cerambycidae


4.VIII.2012 - ITALIA - Emilia-Romagna - BO
Coleoptera

Loriscola

10

2121

30/08/2012, 0:02

AleP Vedi ultimo messaggio

Nessun messaggio da leggere
Allegato(i) Dettagli della specie
Neoclytus acuminatus (Fabricius, 1775)
Cerambycidae


2012 - ITALIA - Emilia-Romagna
Coleoptera

Daniele Maccapani

7

2306

29/08/2012, 20:33

gio Vedi ultimo messaggio

Nessun messaggio da leggere
Vesperus luridus (Rossi, 1794) - Cerambycidae
24.VIII.2012 - ITALIA - Lazio - RM
Allegato(i) Dettagli della specie
Vesperus luridus (Rossi, 1794)
Cerambycidae


24.VIII.2012 - ITALIA - Lazio - RM
Coleoptera

Fabio Turchetti

0

1110

29/08/2012, 11:16

Fabio Turchetti Vedi ultimo messaggio

Nessun messaggio da leggere
Pachytodes erraticus erraticus (Dalman, 1817) - Cerambycidae
22.V.2012 - ITALIA - Basilicata - MT
Allegato(i) Dettagli della specie
Pachytodes erraticus erraticus (Dalman, 1817)
Cerambycidae


22.V.2012 - ITALIA - Basilicata - MT
Coleoptera

Mimmo011

3

1376

28/08/2012, 16:50

Entomarci Vedi ultimo messaggio

Nessun messaggio da leggere
Allegato(i)
Parandra (Neandra) brunnea Fabricius 1798 - Cerambycidae

13.VIII.2009 - GERMANIA - EE
Coleoptera

StagBeetle

6

1641

27/08/2012, 12:23

Entomarci Vedi ultimo messaggio

Nessun messaggio da leggere
Stictoleptura cordigera cordigera (Fuessly, 1775) - Cerambycidae
25.VI.2012 - ITALIA - Emilia-Romagna - FC
Allegato(i) Dettagli della specie
Stictoleptura cordigera cordigera (Fuessly, 1775)
Cerambycidae


25.VI.2012 - ITALIA - Emilia-Romagna - FC
Coleoptera

TomTom

1

702

26/08/2012, 23:00

hpl Vedi ultimo messaggio

Nessun messaggio da leggere
Oxypleurus nodieri Mulsant, 1839 - Cerambycidae
20.VIII.2012 - ITALIA - Sicilia - CT
Allegato(i) Dettagli della specie
Oxypleurus nodieri Mulsant, 1839
Cerambycidae


20.VIII.2012 - ITALIA - Sicilia - CT
Coleoptera

Entomarci

5

1417

26/08/2012, 22:23

Julodis Vedi ultimo messaggio

Nessun messaggio da leggere
Prinobius myardi myardi Mulsant, 1842 - Cerambycidae
21.VII.2012 - ITALIA - Lazio - RM
Allegato(i) Dettagli della specie
Prinobius myardi myardi Mulsant, 1842
Cerambycidae

[ Vai alla paginaVai alla pagina: 1, 2, 3 ]



21.VII.2012 - ITALIA - Lazio - RM
Coleoptera

Fabio Turchetti

30

4831

25/08/2012, 10:01

Fabio Turchetti Vedi ultimo messaggio

Nessun messaggio da leggere
Poecilium alni alni (Linnaeus, 1767) - Cerambycidae
3.IV.2012 - ITALIA - Lazio - VT
Allegato(i) Dettagli della specie
Poecilium alni alni (Linnaeus, 1767)
Cerambycidae


3.IV.2012 - ITALIA - Lazio - VT
Coleoptera

Daniele Maccapani

4

1117

24/08/2012, 23:42

Daniele Maccapani Vedi ultimo messaggio

Nessun messaggio da leggere
Rutpela maculata maculata (Poda, 1761) - Cerambycidae
14.VII.2012 - ITALIA - Trentino-Alto Adige - TN
Allegato(i) Dettagli della specie
Rutpela maculata maculata (Poda, 1761)
Cerambycidae

[ Vai alla paginaVai alla pagina: 1, 2 ]



14.VII.2012 - ITALIA - Trentino-Alto Adige - TN
Coleoptera

Valeria Frattesi

18

3013

24/08/2012, 15:55

Maura Vedi ultimo messaggio

Nessun messaggio da leggere
Allegato(i)
Theophilea subcylindricollis Hladil, 1988 - Cerambycidae
Cerambycidae


7.V.2012 - ROMANIA - EE
Coleoptera

cosmln

4

888

24/08/2012, 15:14

Mimmo011 Vedi ultimo messaggio

Nessun messaggio da leggere
Allegato(i)
Purpuricenus desfontainii (Fabricius, 1792) - Cerambycidae
Cerambycidae


15.V.2012 - GRECIA - EE
Coleoptera

Entomarci

14

1862

23/08/2012, 8:15

Entomarci Vedi ultimo messaggio

Nessun messaggio da leggere
Aegosoma scabricorne (Scopoli, 1763) - Cerambycidae
27.VI.2012 - ITALIA - Lazio - RM
Allegato(i) Dettagli della specie
Aegosoma scabricorne (Scopoli, 1763)
Cerambycidae


27.VI.2012 - ITALIA - Lazio - RM
Coleoptera

Julodis

7

1528

22/08/2012, 21:54

Umbro Vedi ultimo messaggio

Nessun messaggio da leggere
Allegato(i) Dettagli della specie
Trichoferus fasciculatus fasciculatus (Faldermann, 1837)
Cerambycidae


31.VII.2012 - ITALIA - Marche - AN
Coleoptera

StagBeetle

7

1191

20/08/2012, 14:13

Entomarci Vedi ultimo messaggio

Visualizza ultimi argomenti:  Ordina per  Ordine:  
nuovo argomento
Vai alla pagina Precedente  1 ... 48, 49, 50, 51, 52, 53, 54 ... 93  Prossimo
Pagina 51 di 93 [ 4647 argomenti ]

Tutti gli orari sono UTC + 1 ora [ ora legale ]


Chi c’è in linea

Visitano il forum: Nessuno e 2 ospiti


Legenda
Messaggi da leggere Messaggi da leggere Nessun messaggio da leggere Nessun messaggio da leggere Annuncio Annuncio
 
Specie indeterminata / discussione generica
Messaggi non letti [ Popolari ] Messaggi non letti [ Popolari ] Nessun messaggio da leggere [ Popolare ] Nessun messaggio da leggere [ Popolare ] Importante Importante
 
Specie determinata fino al genere o cf.
Messaggi non letti [ Bloccati ] Messaggi non letti [ Bloccati ] No messaggi non letti [ Bloccati ] No messaggi non letti [ Bloccati ] Argomento spostato Argomento spostato
 
Specie correttamente determinata
Permessi
Non puoi aprire nuovi argomenti
Non puoi rispondere negli argomenti
Non puoi modificare i tuoi messaggi
Non puoi cancellare i tuoi messaggi
Non puoi inviare allegati

Cerca per:
Vai a: