Benvenuto Ospite

Forum Entomologi Italiani

www.entomologiitaliani.net/forum
 
Oggi è 08/11/2025, 18:31

Tutti gli orari sono UTC + 1 ora [ ora legale ]


92% 
2927 taxa correttamente determinati su 3178 presenti in archivio

Cerambycidae


[ AFROTROPICALE ] [ ANTARTICO ] [ AUSTRALASIANO ] [ NEARTICO ] [ NEOTROPICALE ] [ ORIENTALE ] [ PALEARTICO ]


nuovo argomento
Vai alla pagina Precedente  1 ... 53, 54, 55, 56, 57, 58, 59 ... 93  Prossimo
Pagina 56 di 93 [ 4647 argomenti ]
 Argomenti   Ordine   Autore   Risposte   Visite    Ultimo messaggio 
Annunci
Nessun messaggio da leggere
Allegato(i)
Incontri entomologici telematici organizzati dalla Società Entomologica Italiana nel 2022 e nel 2023

[ Vai alla paginaVai alla pagina: 1, 2, 3 ]

 

Velvet Ant

44

1429742

03/03/2023, 15:55

Velvet Ant Vedi ultimo messaggio

Nessun messaggio da leggere  
Allegato(i)
Sondaggio sul declino dell'entomofauna in Italia

[ Vai alla paginaVai alla pagina: 1, 2, 3, 4 ]

 

Velvet Ant

52

1757669

22/10/2022, 19:18

Acquarius Vedi ultimo messaggio

Nessun messaggio da leggere  
Allegato(i)
Progetto: Bibliografia ragionata dei lavori entomologici nei quali sono citati reperti apparsi su FEI

[ Vai alla paginaVai alla pagina: 1, 2, 3 ]

 

Velvet Ant

33

1170703

06/07/2023, 18:31

Orotrechus Vedi ultimo messaggio

Nessun messaggio da leggere
Allegato(i)
Mimesi, il primo documentario cinematografico sull’entomologia in Italia: casting
 

mazzeip

1

456922

28/02/2019, 20:26

mazzeip Vedi ultimo messaggio

Questo argomento è bloccato, non puoi modificare o inviare ulteriori messaggi.
Allegato(i)
ISTRUZIONI PUBBLICAZIONE NUOVI ARGOMENTI E FOTO

 
Altri Ordini di Insetti

Julodis

4

906222

13/05/2015, 19:37

Julodis Vedi ultimo messaggio

Nessun messaggio da leggere
Allegato(i)
Limitatore giornaliero di messaggi, uno strumento utile e ormai indispensabile

[ Vai alla paginaVai alla pagina: 1 ... 14, 15, 16 ]

 

Velvet Ant

233

8829754

25/09/2014, 14:31

Inachis Vedi ultimo messaggio

Nessun messaggio da leggere  
NORME PER I COLLABORATORI DEL FORUM

 
 

Velvet Ant

0

478870

02/06/2011, 12:05

Velvet Ant Vedi ultimo messaggio

Nessun messaggio da leggere
Allegato(i)
NORME PER GLI UTENTI DEL FORUM

[ Vai alla paginaVai alla pagina: 1, 2, 3 ]



 
 

Velvet Ant

30

2345844

23/09/2014, 23:54

Maurizio Bollino Vedi ultimo messaggio

Questo argomento è bloccato, non puoi modificare o inviare ulteriori messaggi.  
Elenco delle specie italiane di Cerambycidae presenti sul forum
Cerambycidae


 
Coleoptera

Plagionotus

0

5997

22/11/2010, 22:28

Plagionotus Vedi ultimo messaggio

Nessun messaggio da leggere  
Lista degli utenti del "Forum entomologi italiani" per campi di interesse e specializzazione

 
Altri Ordini di Insetti

Velvet Ant

13

944291

07/09/2023, 17:14

Roberto-07 Vedi ultimo messaggio

Argomenti
Nessun messaggio da leggere
Allegato(i) Dettagli della specie
Certallum ebulinum (Linnaeus, 1767)
Cerambycidae


19.IV.2012 - SPAGNA - EE
Coleoptera

matthew gandy

2

965

07/05/2012, 9:10

matthew gandy Vedi ultimo messaggio

Nessun messaggio da leggere
Brachypteroma ottomanum Heyden, 1863 - Cerambycidae
29.IV.2012 - ITALIA - Sicilia - CT
Allegato(i) Dettagli della specie
Brachypteroma ottomanum Heyden, 1863
Cerambycidae


29.IV.2012 - ITALIA - Sicilia - CT
Coleoptera

Lucanus tetraodon

6

2056

07/05/2012, 0:37

Pippistrello Vedi ultimo messaggio

Nessun messaggio da leggere
Allegato(i) Dettagli della specie
Dorcadion (Pedestredorcadion) arenarium marsicanum Fracassi, 1905
Cerambycidae


IV.2012 - ITALIA - Emilia-Romagna - MO
Coleoptera

claudio sola

0

854

06/05/2012, 23:21

claudio sola Vedi ultimo messaggio

Nessun messaggio da leggere
Allegato(i) Dettagli della specie
Agapanthia (Agapanthia) cardui (Linnaeus, 1767) cf.
Cerambycidae


6.V.2012 - ITALIA - Sicilia
Coleoptera

skapc66

3

1217

06/05/2012, 20:11

Plagionotus Vedi ultimo messaggio

Nessun messaggio da leggere
Plagionotus arcuatus (Linnaeus, 1758) - Cerambycidae
6.V.2012 - ITALIA - Marche - AN
Allegato(i) Dettagli della specie
Plagionotus arcuatus (Linnaeus, 1758)
Cerambycidae


6.V.2012 - ITALIA - Marche - AN
Coleoptera

MatteoS

9

1994

06/05/2012, 19:45

cosmln Vedi ultimo messaggio

Nessun messaggio da leggere
Phymatodes testaceus (Linnaeus, 1758) - Cerambycidae
6.IV.2012 - ITALIA - Lazio - FR
Allegato(i) Dettagli della specie
Phymatodes testaceus (Linnaeus, 1758)
Cerambycidae


6.IV.2012 - ITALIA - Lazio - FR
Coleoptera

Goliathus

1

694

06/05/2012, 15:59

Jagdpanther Vedi ultimo messaggio

Nessun messaggio da leggere
Larve di Cerambycidae
5.V.2012 - ITALIA - Emilia-Romagna - RE
Allegato(i)
Larve di Cerambycidae

5.V.2012 - ITALIA - Emilia-Romagna - RE
Coleoptera

Mikiphasmide

4

860

06/05/2012, 13:17

Mikiphasmide Vedi ultimo messaggio

Nessun messaggio da leggere
Allegato(i) Dettagli della specie
Pedostrangalia (Pedostrangalia) revestita (Linnaeus, 1767)
Cerambycidae


23.IV.2012 - ITALIA - Emilia-Romagna - BO
Coleoptera

Mammut

2

832

05/05/2012, 18:39

Mammut Vedi ultimo messaggio

Nessun messaggio da leggere
Allegato(i) Dettagli della specie
Morimus asper asper (Sulzer, 1776)
Cerambycidae


14.VI.2011 - GRECIA - EE
Coleoptera

Fabio Turchetti

7

1536

05/05/2012, 18:28

Plagionotus Vedi ultimo messaggio

Nessun messaggio da leggere
Phymatodes testaceus (Linnaeus, 1758) - Cerambycidae
1.V.2012 - ITALIA - Campania - NA
Allegato(i) Dettagli della specie
Phymatodes testaceus (Linnaeus, 1758)
Cerambycidae


1.V.2012 - ITALIA - Campania - NA
Coleoptera

clido

2

870

05/05/2012, 12:10

clido Vedi ultimo messaggio

Nessun messaggio da leggere
Phytoecia pustulata pustulata (Schrank, 1776) - Cerambycidae
30.IV.2012 - ITALIA - Emilia-Romagna - BO
Allegato(i) Dettagli della specie
Phytoecia pustulata pustulata (Schrank, 1776)
Cerambycidae


30.IV.2012 - ITALIA - Emilia-Romagna - BO
Coleoptera

Loriscola

7

1542

03/05/2012, 14:38

Plagionotus Vedi ultimo messaggio

Nessun messaggio da leggere
Allegato(i) Dettagli della specie
Pogonocherus hispidulus (Piller & Mitterpacher, 1783) cf.
Cerambycidae


30.VI.2011 - ROMANIA - EE
Coleoptera

alexaandru

3

839

03/05/2012, 12:26

alexaandru Vedi ultimo messaggio

Nessun messaggio da leggere
Allegato(i) Dettagli della specie
Grammoptera ruficornis ruficornis (Fabricius, 1781)
Cerambycidae


29.IV.2012 - ITALIA - Lazio - RM
Coleoptera

Julodis

0

808

03/05/2012, 1:32

Julodis Vedi ultimo messaggio

Nessun messaggio da leggere
Allegato(i)
Dorcadion (Pedestredorcadion) gashtarovi Sama, Dascalu & Pesarini, 2010 - Cerambycidae

26.IV.2012 - ROMANIA - EE
Coleoptera

cosmln

12

2046

02/05/2012, 23:18

Julodis Vedi ultimo messaggio

Nessun messaggio da leggere
Allegato(i) Dettagli della specie
Dorcadion (Pedestredorcadion) etruscum (Rossi, 1790)
Cerambycidae


29.IV.2012 - ITALIA - Basilicata - MT
Coleoptera

Mimmo011

5

1210

02/05/2012, 17:57

Julodis Vedi ultimo messaggio

Nessun messaggio da leggere
Deilus fugax (Olivier, 1790) - Cerambycidae
27.IV.2012 - ITALIA - Campania - SA
Allegato(i) Dettagli della specie
Deilus fugax (Olivier, 1790)
Cerambycidae


27.IV.2012 - ITALIA - Campania - SA
Coleoptera

Enzo.C

2

835

02/05/2012, 16:26

Enzo.C Vedi ultimo messaggio

Nessun messaggio da leggere
Phytoecia cylindrica (Linnaeus, 1758) - Cerambycidae
21.IV.2012 - ITALIA - Veneto - PD
Allegato(i) Dettagli della specie
Phytoecia cylindrica (Linnaeus, 1758)
Cerambycidae


21.IV.2012 - ITALIA - Veneto - PD
Coleoptera

Osmoderma

3

1078

02/05/2012, 15:28

Plagionotus Vedi ultimo messaggio

Nessun messaggio da leggere
Allegato(i) Dettagli della specie
Leiopus nebulosus nebulosus (Linnaeus, 1758)
Cerambycidae


1.V.2012 - ITALIA - Lazio - RM
Coleoptera

neurottero

4

1179

02/05/2012, 15:21

Plagionotus Vedi ultimo messaggio

Nessun messaggio da leggere
Rusticoclytus rusticus (Linnaeus, 1758) - Cerambycidae
1.V.2012 - ITALIA - Emilia-Romagna - RE
Allegato(i) Dettagli della specie
Rusticoclytus rusticus (Linnaeus, 1758)
Cerambycidae


1.V.2012 - ITALIA - Emilia-Romagna - RE
Coleoptera

Mikiphasmide

8

1834

02/05/2012, 14:20

Mikiphasmide Vedi ultimo messaggio

Nessun messaggio da leggere
Rhamnusium bicolor bicolor (Schrank, 1781) - Cerambycidae
26.IV.2012 - ITALIA - Veneto - VR
Allegato(i) Dettagli della specie
Rhamnusium bicolor bicolor (Schrank, 1781)
Cerambycidae


26.IV.2012 - ITALIA - Veneto - VR
Coleoptera

Umbro

13

2954

01/05/2012, 21:27

Tc70 Vedi ultimo messaggio

Nessun messaggio da leggere
Allegato(i) Dettagli della specie
Agapanthia (Agapanthia) suturalis (Fabricius, 1787)
Cerambycidae


9.IV.2012 - ITALIA - Sicilia - CT
Coleoptera

Lucanus tetraodon

10

2804

01/05/2012, 18:05

Lucanus tetraodon Vedi ultimo messaggio

Nessun messaggio da leggere
Clytus arietis arietis (Linnaeus, 1758) - Cerambycidae
29.IV.2012 - ITALIA - Lazio - RM
Allegato(i) Dettagli della specie
Clytus arietis arietis (Linnaeus, 1758)
Cerambycidae


29.IV.2012 - ITALIA - Lazio - RM
Coleoptera

Julodis

1

1217

30/04/2012, 18:09

Umbro Vedi ultimo messaggio

Nessun messaggio da leggere
Morimus asper asper (Sulzer, 1776) - Cerambycidae
28.IV.2012 - ITALIA - Lombardia - CO
Allegato(i) Dettagli della specie
Morimus asper asper (Sulzer, 1776)
Cerambycidae


28.IV.2012 - ITALIA - Lombardia - CO
Coleoptera

Morg

4

1223

30/04/2012, 16:33

Morg Vedi ultimo messaggio

Nessun messaggio da leggere
Brachypteroma ottomanum Heyden, 1863 - Cerambycidae
29.IV.2012 - ITALIA - Lazio - RM
Allegato(i) Dettagli della specie
Brachypteroma ottomanum Heyden, 1863
Cerambycidae


29.IV.2012 - ITALIA - Lazio - RM
Coleoptera

Julodis

0

670

30/04/2012, 7:57

Julodis Vedi ultimo messaggio

Nessun messaggio da leggere
Morimus asper asper (Sulzer, 1776) - Cerambycidae
1.X.2011 - ITALIA - Marche - MC
Allegato(i) Dettagli della specie
Morimus asper asper (Sulzer, 1776)
Cerambycidae

[ Vai alla paginaVai alla pagina: 1, 2 ]



1.X.2011 - ITALIA - Marche - MC
Coleoptera

StagBeetle

19

2838

28/04/2012, 21:41

StagBeetle Vedi ultimo messaggio

Nessun messaggio da leggere
Allegato(i) Dettagli della specie
Agapanthia (Agapanthia) cardui (Linnaeus, 1767) cf.
Cerambycidae


22.IV.2012 - ITALIA - Calabria - CZ
Coleoptera

cdr89

2

1499

28/04/2012, 14:39

cdr89 Vedi ultimo messaggio

Nessun messaggio da leggere
Musaria argus (Frölich, 1793) - Cerambycidae
15.V.2011 - ROMANIA - EE
Allegato(i) Dettagli della specie
Musaria argus (Frölich, 1793)
Cerambycidae


15.V.2011 - ROMANIA - EE
Coleoptera

cosmln

10

2245

27/04/2012, 14:15

Mikiphasmide Vedi ultimo messaggio

Nessun messaggio da leggere
Allegato(i) Dettagli della specie
Dorcadion (Pedestredorcadion) arenarium marsicanum Fracassi, 1905
Cerambycidae


25.IV.2012 - ITALIA - Veneto - VR
Coleoptera

AleP

4

1050

27/04/2012, 0:47

Tc70 Vedi ultimo messaggio

Nessun messaggio da leggere
Allegato(i) Dettagli della specie
Ropalopus (Ropalopus) femoratus (Linnaeus, 1758)
Cerambycidae


19.VI.2010 - SLOVENIA - EE
Coleoptera

hpl

1

737

25/04/2012, 20:53

Plagionotus Vedi ultimo messaggio

Nessun messaggio da leggere
Herophila tristis tristis (Linnaeus, 1767) - Cerambycidae
23.IV.2012 - ITALIA - Emilia-Romagna - BO
Allegato(i) Dettagli della specie
Herophila tristis tristis (Linnaeus, 1767)
Cerambycidae


23.IV.2012 - ITALIA - Emilia-Romagna - BO
Coleoptera

Gian Luca Agnoli

2

879

25/04/2012, 20:11

Gian Luca Agnoli Vedi ultimo messaggio

Nessun messaggio da leggere
Phymatodes testaceus (Linnaeus, 1758) - Cerambycidae
1.IV.2012 - ITALIA - Toscana - LI
Allegato(i) Dettagli della specie
Phymatodes testaceus (Linnaeus, 1758)
Cerambycidae


1.IV.2012 - ITALIA - Toscana - LI
Coleoptera

francis

11

5079

24/04/2012, 23:22

Julodis Vedi ultimo messaggio

Nessun messaggio da leggere
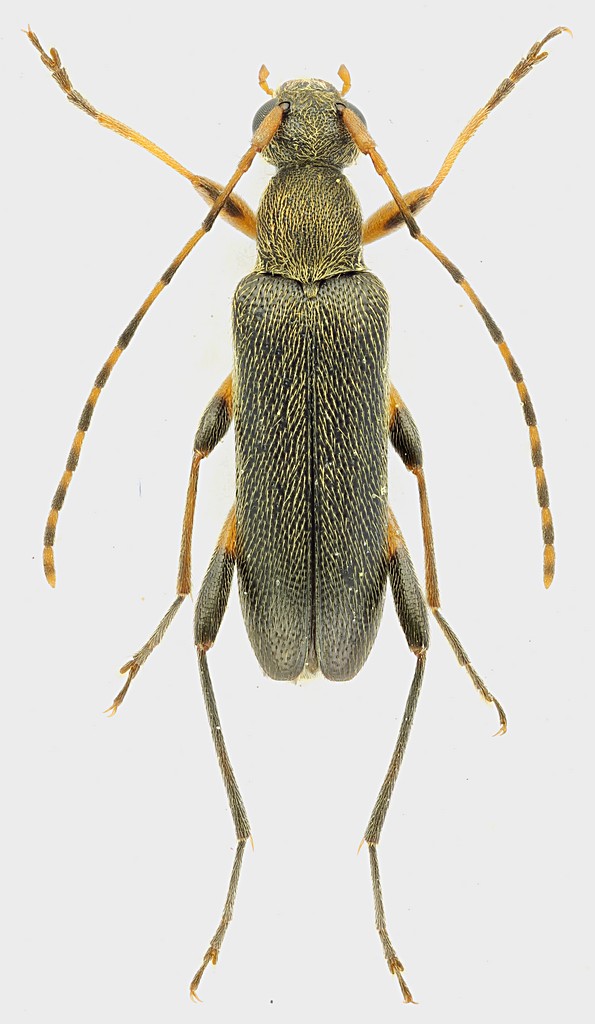
Lampropterus femoratus (Germar, 1824) ♀ - Cerambycidae - Iran
22.IV.2012 - IRAN, REPUBBLICA ISLAMICA DELL' - EE
Allegato(i)
Lampropterus femoratus (Germar, 1824) ♀ - Cerambycidae - Iran

22.IV.2012 - IRAN, REPUBBLICA ISLAMICA DELL' - EE
Coleoptera

Julodis

4

1097

23/04/2012, 18:28

Plagionotus Vedi ultimo messaggio

Nessun messaggio da leggere
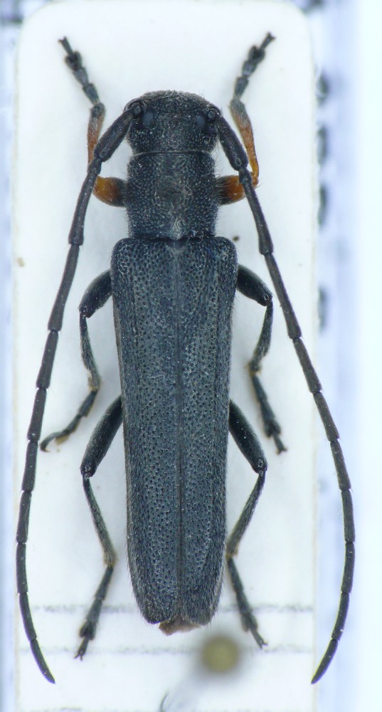
Xylosteus spinolae Frivaldszky, 1837 - Cerambycidae
24.X.2010 - ITALIA - Friuli-Venezia Giulia - UD
Allegato(i) Dettagli della specie
Xylosteus spinolae Frivaldszky, 1837
Cerambycidae


24.X.2010 - ITALIA - Friuli-Venezia Giulia - UD
Coleoptera

Semanotus

14

3140

23/04/2012, 14:05

Entomarci Vedi ultimo messaggio

Nessun messaggio da leggere
Deilus fugax (Olivier, 1790) - Cerambycidae
8.X.2011 - ITALIA - Marche - PU
Allegato(i) Dettagli della specie
Deilus fugax (Olivier, 1790)
Cerambycidae


8.X.2011 - ITALIA - Marche - PU
Coleoptera

marco paglialunga

2

863

22/04/2012, 21:40

marco paglialunga Vedi ultimo messaggio

Nessun messaggio da leggere
Deilus fugax (Olivier, 1790) - Cerambycidae
21.IV.2012 - ITALIA - Sardegna - CA
Allegato(i) Dettagli della specie
Deilus fugax (Olivier, 1790)
Cerambycidae


21.IV.2012 - ITALIA - Sardegna - CA
Coleoptera

Fumea crassiorella

5

1339

22/04/2012, 20:52

Plagionotus Vedi ultimo messaggio

Nessun messaggio da leggere
Allegato(i) Dettagli della specie
Leiopus nebulosus nebulosus (Linnaeus, 1758)
Cerambycidae


20.IV.2012 - ITALIA - Lazio - RM
Coleoptera

Julodis

0

654

22/04/2012, 8:23

Julodis Vedi ultimo messaggio

Nessun messaggio da leggere
Phymatodes testaceus (Linnaeus, 1758) - Cerambycidae
21.IV.2012 - ITALIA - Lombardia - LC
Allegato(i) Dettagli della specie
Phymatodes testaceus (Linnaeus, 1758)
Cerambycidae


21.IV.2012 - ITALIA - Lombardia - LC
Coleoptera

marco89

5

1304

21/04/2012, 19:30

Tc70 Vedi ultimo messaggio

Nessun messaggio da leggere
Agapanthia (Agapanthia) cardui (Linnaeus, 1767) - Cerambycidae
9.IV.2012 - ITALIA - Basilicata - MT
Allegato(i) Dettagli della specie
Agapanthia (Agapanthia) cardui (Linnaeus, 1767)
Cerambycidae


9.IV.2012 - ITALIA - Basilicata - MT
Coleoptera

Mimmo011

5

1802

19/04/2012, 23:24

Mimmo011 Vedi ultimo messaggio

Nessun messaggio da leggere
Phytoecia cylindrica (Linnaeus, 1758) - Cerambycidae
15.VI.2011 - BOSNIA ERZEGOVINA - EE
Allegato(i) Dettagli della specie
Phytoecia cylindrica (Linnaeus, 1758)
Cerambycidae


15.VI.2011 - BOSNIA ERZEGOVINA - EE
Coleoptera

Lenny

2

967

19/04/2012, 22:34

Lenny Vedi ultimo messaggio

Nessun messaggio da leggere
Arhopalus rusticus (Linnaeus, 1758) - Cerambycidae
16.IV.2012 - ITALIA - Toscana - FI
Allegato(i) Dettagli della specie
Arhopalus rusticus (Linnaeus, 1758)
Cerambycidae


16.IV.2012 - ITALIA - Toscana - FI
Coleoptera

Entomarci

3

1062

19/04/2012, 21:33

Sleepy Moose Vedi ultimo messaggio

Nessun messaggio da leggere
Allegato(i) Dettagli della specie
Acanthocinus xanthoneurus (Mulsant & Rey, 1852)
Cerambycidae


ITALIA - Emilia-Romagna
Coleoptera

Entomarci

4

1624

19/04/2012, 9:00

StagBeetle Vedi ultimo messaggio

Nessun messaggio da leggere
Pyrrhidium sanguineum (Linnaeus, 1758) - Cerambycidae
15.IV.2012 - ITALIA - Toscana - AR
Allegato(i) Dettagli della specie
Pyrrhidium sanguineum (Linnaeus, 1758)
Cerambycidae


15.IV.2012 - ITALIA - Toscana - AR
Altri Ordini di Insetti

stefano3

6

1238

16/04/2012, 20:06

stefano3 Vedi ultimo messaggio

Nessun messaggio da leggere
Leiopus punctulatus (Paykull, 1800) - Cerambycidae
1.V.2009 - REPUBBLICA CECA - EE
Allegato(i)
Leiopus punctulatus (Paykull, 1800) - Cerambycidae

1.V.2009 - REPUBBLICA CECA - EE
Coleoptera

Entomarci

3

1007

16/04/2012, 13:24

Phytoecia Vedi ultimo messaggio

Nessun messaggio da leggere
Phymatodes testaceus (Linnaeus, 1758) - Cerambycidae
6.IV.2012 - ITALIA - Lazio - FR
Allegato(i) Dettagli della specie
Phymatodes testaceus (Linnaeus, 1758)
Cerambycidae


6.IV.2012 - ITALIA - Lazio - FR
Coleoptera

Goliathus

3

1098

16/04/2012, 8:19

Entomarci Vedi ultimo messaggio

Nessun messaggio da leggere
Pyrrhidium sanguineum (Linnaeus, 1758) - Cerambycidae
25.III.2012 - ITALIA - Lazio - RM
Allegato(i) Dettagli della specie
Pyrrhidium sanguineum (Linnaeus, 1758)
Cerambycidae


25.III.2012 - ITALIA - Lazio - RM
Coleoptera

soken

9

1895

15/04/2012, 20:04

soken Vedi ultimo messaggio

Nessun messaggio da leggere
Poecilium lividum (Rossi, 1794) - Cerambycidae
12.IV.2012 - ITALIA - Abruzzo - CH
Allegato(i) Dettagli della specie
Poecilium lividum (Rossi, 1794)
Cerambycidae


12.IV.2012 - ITALIA - Abruzzo - CH
Coleoptera

Jagdpanther

3

1459

13/04/2012, 22:43

Jagdpanther Vedi ultimo messaggio

Nessun messaggio da leggere
Allegato(i)
Dorcadion (Pedestredorcadion) murrayi Kuster, 1847 - Cerambycidae

3.IV.2012 - ROMANIA - EE
Coleoptera

cosmln

12

3249

13/04/2012, 18:10

cosmln Vedi ultimo messaggio

Nessun messaggio da leggere
Rhagium (Megarhagium) mordax (De Geer, 1775) - Cerambycidae
26.III.2012 - ITALIA - Emilia-Romagna - RE
Allegato(i) Dettagli della specie
Rhagium (Megarhagium) mordax (De Geer, 1775)
Cerambycidae


26.III.2012 - ITALIA - Emilia-Romagna - RE
Coleoptera

Mikiphasmide

3

1409

12/04/2012, 14:27

Mikiphasmide Vedi ultimo messaggio

Nessun messaggio da leggere
Allegato(i) Dettagli della specie
Pogonocherus fasciculatus (De Geer, 1775)
Cerambycidae


9.IV.2012 - FINLANDIA - EE
Coleoptera

FrancoP

2

1545

12/04/2012, 13:27

FrancoP Vedi ultimo messaggio

Nessun messaggio da leggere
Monochamus galloprovincialis (Olivier, 1795) - Cerambycidae
14.VI.2011 - FEDERAZIONE RUSSA - EE
Allegato(i) Dettagli della specie
Monochamus galloprovincialis (Olivier, 1795)
Cerambycidae


14.VI.2011 - FEDERAZIONE RUSSA - EE
Coleoptera

StagBeetle

5

1609

12/04/2012, 10:07

Entomarci Vedi ultimo messaggio

Visualizza ultimi argomenti:  Ordina per  Ordine:  
nuovo argomento
Vai alla pagina Precedente  1 ... 53, 54, 55, 56, 57, 58, 59 ... 93  Prossimo
Pagina 56 di 93 [ 4647 argomenti ]

Tutti gli orari sono UTC + 1 ora [ ora legale ]


Chi c’è in linea

Visitano il forum: Nessuno e 1 ospite


Legenda
Messaggi da leggere Messaggi da leggere Nessun messaggio da leggere Nessun messaggio da leggere Annuncio Annuncio
 
Specie indeterminata / discussione generica
Messaggi non letti [ Popolari ] Messaggi non letti [ Popolari ] Nessun messaggio da leggere [ Popolare ] Nessun messaggio da leggere [ Popolare ] Importante Importante
 
Specie determinata fino al genere o cf.
Messaggi non letti [ Bloccati ] Messaggi non letti [ Bloccati ] No messaggi non letti [ Bloccati ] No messaggi non letti [ Bloccati ] Argomento spostato Argomento spostato
 
Specie correttamente determinata
Permessi
Non puoi aprire nuovi argomenti
Non puoi rispondere negli argomenti
Non puoi modificare i tuoi messaggi
Non puoi cancellare i tuoi messaggi
Non puoi inviare allegati

Cerca per:
Vai a: