Benvenuto Ospite

Forum Entomologi Italiani

www.entomologiitaliani.net/forum
 
Oggi è 08/11/2025, 23:13

Tutti gli orari sono UTC + 1 ora [ ora legale ]


92% 
2927 taxa correttamente determinati su 3178 presenti in archivio

Cerambycidae


[ AFROTROPICALE ] [ ANTARTICO ] [ AUSTRALASIANO ] [ NEARTICO ] [ NEOTROPICALE ] [ ORIENTALE ] [ PALEARTICO ]


nuovo argomento
Vai alla pagina Precedente  1 ... 58, 59, 60, 61, 62, 63, 64 ... 93  Prossimo
Pagina 61 di 93 [ 4647 argomenti ]
 Argomenti   Ordine   Autore   Risposte   Visite    Ultimo messaggio 
Annunci
Nessun messaggio da leggere
Allegato(i)
Incontri entomologici telematici organizzati dalla Società Entomologica Italiana nel 2022 e nel 2023

[ Vai alla paginaVai alla pagina: 1, 2, 3 ]

 

Velvet Ant

44

1430129

03/03/2023, 15:55

Velvet Ant Vedi ultimo messaggio

Nessun messaggio da leggere  
Allegato(i)
Sondaggio sul declino dell'entomofauna in Italia

[ Vai alla paginaVai alla pagina: 1, 2, 3, 4 ]

 

Velvet Ant

52

1758125

22/10/2022, 19:18

Acquarius Vedi ultimo messaggio

Nessun messaggio da leggere  
Allegato(i)
Progetto: Bibliografia ragionata dei lavori entomologici nei quali sono citati reperti apparsi su FEI

[ Vai alla paginaVai alla pagina: 1, 2, 3 ]

 

Velvet Ant

33

1171048

06/07/2023, 18:31

Orotrechus Vedi ultimo messaggio

Nessun messaggio da leggere
Allegato(i)
Mimesi, il primo documentario cinematografico sull’entomologia in Italia: casting
 

mazzeip

1

457159

28/02/2019, 20:26

mazzeip Vedi ultimo messaggio

Questo argomento è bloccato, non puoi modificare o inviare ulteriori messaggi.
Allegato(i)
ISTRUZIONI PUBBLICAZIONE NUOVI ARGOMENTI E FOTO

 
Altri Ordini di Insetti

Julodis

4

911149

13/05/2015, 19:37

Julodis Vedi ultimo messaggio

Nessun messaggio da leggere
Allegato(i)
Limitatore giornaliero di messaggi, uno strumento utile e ormai indispensabile

[ Vai alla paginaVai alla pagina: 1 ... 14, 15, 16 ]

 

Velvet Ant

233

8831782

25/09/2014, 14:31

Inachis Vedi ultimo messaggio

Nessun messaggio da leggere  
NORME PER I COLLABORATORI DEL FORUM

 
 

Velvet Ant

0

478898

02/06/2011, 12:05

Velvet Ant Vedi ultimo messaggio

Nessun messaggio da leggere
Allegato(i)
NORME PER GLI UTENTI DEL FORUM

[ Vai alla paginaVai alla pagina: 1, 2, 3 ]



 
 

Velvet Ant

30

2346076

23/09/2014, 23:54

Maurizio Bollino Vedi ultimo messaggio

Questo argomento è bloccato, non puoi modificare o inviare ulteriori messaggi.  
Elenco delle specie italiane di Cerambycidae presenti sul forum
Cerambycidae


 
Coleoptera

Plagionotus

0

5998

22/11/2010, 22:28

Plagionotus Vedi ultimo messaggio

Nessun messaggio da leggere  
Lista degli utenti del "Forum entomologi italiani" per campi di interesse e specializzazione

 
Altri Ordini di Insetti

Velvet Ant

13

944438

07/09/2023, 17:14

Roberto-07 Vedi ultimo messaggio

Argomenti
Nessun messaggio da leggere
Allegato(i) Dettagli della specie
Stictoleptura oblongomaculata (Buquet, 1840)
Cerambycidae


TUNISIA - EE
Coleoptera

Giannis

2

1214

07/09/2011, 14:32

Entomarci Vedi ultimo messaggio

Nessun messaggio da leggere
Allegato(i)
Iberodorcadion (Iberodorcadion) spinolae spinolae (Dalman, 1817) - Cerambycidae

25.V.1996 - SPAGNA - EE
Coleoptera

Maw89

3

963

06/09/2011, 20:02

Plagionotus Vedi ultimo messaggio

Nessun messaggio da leggere
Vesperus luridus (Rossi, 1794) - Cerambycidae
3.IX.2011 - ITALIA - Puglia - BA
Allegato(i) Dettagli della specie
Vesperus luridus (Rossi, 1794)
Cerambycidae


3.IX.2011 - ITALIA - Puglia - BA
Coleoptera

Pugliabirding

6

1501

06/09/2011, 12:45

Maurizio Bollino Vedi ultimo messaggio

Nessun messaggio da leggere
Prionus sp. - Cerambycidae
VIII - UNGHERIA - EE
Allegato(i)
Prionus sp. - Cerambycidae
Cerambycidae


VIII - UNGHERIA - EE
Coleoptera

marco paglialunga

6

1809

05/09/2011, 23:03

marco paglialunga Vedi ultimo messaggio

Nessun messaggio da leggere
Allegato(i) Dettagli della specie
Certallum ebulinum (Linnaeus, 1767)
Cerambycidae


18.V.2011 - TURCHIA - EE
Coleoptera

scarabaeidae

3

1095

05/09/2011, 14:20

Isotomus Vedi ultimo messaggio

Nessun messaggio da leggere
Allegato(i) Dettagli della specie
Ropalopus (Ropalopus) siculus (Stierlin, 1864)
Cerambycidae


GRECIA - EE
Coleoptera

Giannis

3

1602

04/09/2011, 21:06

Plagionotus Vedi ultimo messaggio

Nessun messaggio da leggere
Allegato(i) Dettagli della specie
Chlorophorus varius varius (O. F. Müller, 1766)
Cerambycidae


GRECIA - EE
Coleoptera

Giannis

1

972

04/09/2011, 20:23

hpl Vedi ultimo messaggio

Nessun messaggio da leggere
Saphanus piceus piceus (Laicharting, 1784) - Cerambycidae
5.VII.2011 - ITALIA - Piemonte - AL
Allegato(i) Dettagli della specie
Saphanus piceus piceus (Laicharting, 1784)
Cerambycidae


5.VII.2011 - ITALIA - Piemonte - AL
Coleoptera

chap

3

1243

04/09/2011, 19:57

Isotomus Vedi ultimo messaggio

Nessun messaggio da leggere
Allegato(i)
Ropalopus ledereri Fairmaire, 1866 - Cerambycidae

27.V.2011 - TURCHIA - EE
Coleoptera

Giannis

0

765

04/09/2011, 18:22

Giannis Vedi ultimo messaggio

Nessun messaggio da leggere
Allegato(i) Dettagli della specie
Purpuricenus (Purpuricenus) kaehleri kaehleri (Linnaeus, 1758)
Cerambycidae


GRECIA - EE
Coleoptera

Giannis

0

718

04/09/2011, 17:44

Giannis Vedi ultimo messaggio

Nessun messaggio da leggere
Allegato(i) Dettagli della specie
Stictoleptura rufa rufa (Brullé, 1832)
Cerambycidae


26.VI.2010 - GRECIA - EE
Coleoptera

Semanotus

4

1449

04/09/2011, 17:20

Giannis Vedi ultimo messaggio

Nessun messaggio da leggere
Allegato(i)
Cerambycidae larvae: Tetropium + Monochamus - Romania

1.IX.2011 - ROMANIA - EE
Coleoptera

alexaandru

10

1368

04/09/2011, 12:35

alexaandru Vedi ultimo messaggio

Nessun messaggio da leggere
Phoracantha recurva Newman, 1840 - Cerambycidae
26.VIII.2011 - ITALIA - Sicilia - CT
Allegato(i) Dettagli della specie
Phoracantha recurva Newman, 1840
Cerambycidae


26.VIII.2011 - ITALIA - Sicilia - CT
Coleoptera

carabus

1

692

04/09/2011, 11:49

Entomarci Vedi ultimo messaggio

Nessun messaggio da leggere
Allegato(i)
Pedostrangalia riccardoi riccardoi Holzschuh, 1984 - Cerambycidae - I tesori del congelatore

20.VI.2001 - JORDAN - EE
Coleoptera

Isotomus

2

900

03/09/2011, 16:32

Isotomus Vedi ultimo messaggio

Nessun messaggio da leggere
Pogonocherus eugeniae eugeniae Ganglbauer, 1891 - Cerambycidae
10.VIII.2011 - ITALIA - Emilia-Romagna - FC
Allegato(i) Dettagli della specie
Pogonocherus eugeniae eugeniae Ganglbauer, 1891
Cerambycidae


10.VIII.2011 - ITALIA - Emilia-Romagna - FC
Coleoptera

Isotomus

1

1168

03/09/2011, 15:17

Entomarci Vedi ultimo messaggio

Nessun messaggio da leggere
Calamobius filum (Rossi, 1790) - Cerambycidae
VIII.2011 - ITALIA - Emilia-Romagna - MO
Allegato(i) Dettagli della specie
Calamobius filum (Rossi, 1790)
Cerambycidae


VIII.2011 - ITALIA - Emilia-Romagna - MO
Coleoptera

claudio sola

5

1442

03/09/2011, 13:22

claudio sola Vedi ultimo messaggio

Nessun messaggio da leggere
Allegato(i)
Turanoclytus sieversi (Ganglbauer, 1890) - Cerambycidae Spedizione italo-turca - Turchia 2011

17.V.2011 - TURCHIA - EE
Coleoptera

Isotomus

2

728

03/09/2011, 13:02

Isotomus Vedi ultimo messaggio

Nessun messaggio da leggere
Allegato(i)
Turanoclytus sieversi (Ganglbauer, 1890) - Cerambycidae

28.V.2009 - TURCHIA - EE
Coleoptera

Coptosia

7

1331

03/09/2011, 11:55

cosmln Vedi ultimo messaggio

Nessun messaggio da leggere
Trichoferus griseus (Fabricius, 1792) - Cerambycidae
24.VIII.2011 - ITALIA - Sicilia - CT
Allegato(i) Dettagli della specie
Trichoferus griseus (Fabricius, 1792)
Cerambycidae


24.VIII.2011 - ITALIA - Sicilia - CT
Coleoptera

carabus

1

764

03/09/2011, 9:21

Isotomus Vedi ultimo messaggio

Nessun messaggio da leggere
Phymatodes testaceus (Linnaeus, 1758) - Cerambycidae
14.IV.2011 - ITALIA - Sicilia - ME
Allegato(i) Dettagli della specie
Phymatodes testaceus (Linnaeus, 1758)
Cerambycidae


14.IV.2011 - ITALIA - Sicilia - ME
Coleoptera

Lucanus tetraodon

1

758

02/09/2011, 21:22

Plagionotus Vedi ultimo messaggio

Nessun messaggio da leggere
Allegato(i)
Isotomus theresae (Pic, 1897) - Cerambycidae

TUNISIA - EE
Coleoptera

Giannis

0

595

02/09/2011, 19:26

Giannis Vedi ultimo messaggio

Nessun messaggio da leggere
Allegato(i) Dettagli della specie
Agapanthia (Agapanthia) suturalis (Fabricius, 1787) cf.
Cerambycidae


18.V.2011 - TURCHIA - EE
Coleoptera

scarabaeidae

5

1160

02/09/2011, 17:29

Isotomus Vedi ultimo messaggio

Nessun messaggio da leggere
Allegato(i)
Iberodorcadion (Hispanodorcadion) segovianum dejeanii Chevrolat, 1862 - Cerambycidae

22.IV.2007 - SPAGNA - EE
Coleoptera

Maw89

0

541

02/09/2011, 16:49

Maw89 Vedi ultimo messaggio

Nessun messaggio da leggere
Allegato(i) Dettagli della specie
Chlorophorus varius varius (O. F. Müller, 1766)
Cerambycidae


9.VII.2011 - ITALIA - Sicilia - ME
Coleoptera

Lucanus tetraodon

5

1026

02/09/2011, 11:42

Lucanus tetraodon Vedi ultimo messaggio

Nessun messaggio da leggere
Allegato(i)
Iberodorcadion (Hispanodorcadion) albicans palentinum Lauffer, 1911 - Cerambycidae

26.III.1999 - SPAGNA - EE
Coleoptera

Maw89

0

558

02/09/2011, 9:41

Maw89 Vedi ultimo messaggio

Nessun messaggio da leggere
Arhopalus syriacus (Reitter, 1895) - Cerambycidae
14.VIII.2011 - ITALIA - Sardegna - CA
Allegato(i) Dettagli della specie
Arhopalus syriacus (Reitter, 1895)
Cerambycidae


14.VIII.2011 - ITALIA - Sardegna - CA
Coleoptera

ruzzpa

9

1674

02/09/2011, 8:42

Isotomus Vedi ultimo messaggio

Nessun messaggio da leggere
Helladia alziari Sama, 1992 - Cerambycidae
18.V.2011 - TURCHIA - EE
Allegato(i)
Helladia alziari Sama, 1992 - Cerambycidae

18.V.2011 - TURCHIA - EE
Coleoptera

scarabaeidae

2

861

02/09/2011, 8:02

scarabaeidae Vedi ultimo messaggio

Nessun messaggio da leggere
Allegato(i) Dettagli della specie
Rhagium (Megarhagium) mordax (De Geer, 1775)
Cerambycidae


18.VIII.2011 - ROMANIA - EE
Coleoptera

cosmln

5

1194

01/09/2011, 17:05

cosmln Vedi ultimo messaggio

Nessun messaggio da leggere
Cerambyx nodulosus Germar, 1817 - Cerambycidae
4.VII.2008 - BULGARIA - EE
Allegato(i) Dettagli della specie
Cerambyx nodulosus Germar, 1817
Cerambycidae


4.VII.2008 - BULGARIA - EE
Coleoptera

Joro

1

875

01/09/2011, 14:58

claudio sola Vedi ultimo messaggio

Nessun messaggio da leggere
Allegato(i)
Dorcadion (Pedestredorcadion) nitidum Motschulsky, 1838 - Cerambycidae

V.1992 - ARMENIA - EE
Coleoptera

Maw89

7

1548

01/09/2011, 14:23

Maw89 Vedi ultimo messaggio

Nessun messaggio da leggere
Allegato(i)
Iberodorcadion abulense (Lauffer, 1902) - Cerambycidae

2.IV.2006 - SPAGNA - EE
Coleoptera

Maw89

0

610

01/09/2011, 9:00

Maw89 Vedi ultimo messaggio

Nessun messaggio da leggere
Trichoferus holosericeus (Rossi, 1790) - Cerambycidae
20.V.2010 - ITALIA - Sicilia - CT
Allegato(i) Dettagli della specie
Trichoferus holosericeus (Rossi, 1790)
Cerambycidae


20.V.2010 - ITALIA - Sicilia - CT
Coleoptera

Agatino Reitano

11

2563

01/09/2011, 8:14

Entomarci Vedi ultimo messaggio

Nessun messaggio da leggere
Allegato(i)
Batocera rufomaculata rufomaculata (DeGeer, 1775) - Cerambycidae - Libano

[ Vai alla paginaVai alla pagina: 1, 2 ]



10.IX.1992 - LIBANO - EE
Coleoptera

Agdistis

19

4761

01/09/2011, 7:07

Julodis Vedi ultimo messaggio

Nessun messaggio da leggere
Allegato(i) Dettagli della specie
Agapanthia (Epoptes) villosoviridescens (De Geer, 1775)
Cerambycidae


12.VI.2011 - ITALIA - Lazio - RM
Coleoptera

Goliathus

2

1980

01/09/2011, 3:35

Goliathus Vedi ultimo messaggio

Nessun messaggio da leggere
Allegato(i) Dettagli della specie
Stenurella bifasciata bifasciata (O. F. Müller, 1776)
Cerambycidae


6.VI.2011 - ITALIA - Sicilia - SR
Coleoptera

Agatino Reitano

1

737

31/08/2011, 13:01

conan Vedi ultimo messaggio

Nessun messaggio da leggere
Penichroa fasciata (Stephens, 1831) - Cerambycidae
24.VI.2011 - ITALIA - Sicilia - ME
Allegato(i) Dettagli della specie
Penichroa fasciata (Stephens, 1831)
Cerambycidae


24.VI.2011 - ITALIA - Sicilia - ME
Coleoptera

Lucanus tetraodon

7

1497

30/08/2011, 22:22

Julodis Vedi ultimo messaggio

Nessun messaggio da leggere
Leptura aurulenta Fabricius, 1792 - Cerambycidae
30.VII.2011 - ITALIA - Calabria - CS
Allegato(i) Dettagli della specie
Leptura aurulenta Fabricius, 1792
Cerambycidae


30.VII.2011 - ITALIA - Calabria - CS
Coleoptera

ameles

9

1954

30/08/2011, 22:20

Julodis Vedi ultimo messaggio

Nessun messaggio da leggere
Arhopalus ferus (Mulsant, 1839) - Cerambycidae
8.VII.2011 - ITALIA - Sicilia - ME
Allegato(i) Dettagli della specie
Arhopalus ferus (Mulsant, 1839)
Cerambycidae


8.VII.2011 - ITALIA - Sicilia - ME
Coleoptera

Lucanus tetraodon

12

2263

30/08/2011, 19:27

Isotomus Vedi ultimo messaggio

Nessun messaggio da leggere
Grammoptera ustulata (Schaller, 1783) - Cerambycidae
20.VI.2011 - ITALIA - Sicilia - CT
Allegato(i) Dettagli della specie
Grammoptera ustulata (Schaller, 1783)
Cerambycidae


20.VI.2011 - ITALIA - Sicilia - CT
Coleoptera

Agatino Reitano

2

902

30/08/2011, 12:59

Isotomus Vedi ultimo messaggio

Nessun messaggio da leggere
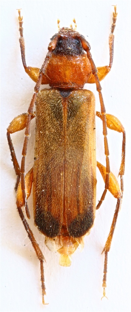
Stromatium unicolor (Olivier, 1795) - Cerambycidae
12.VIII.2011 - ITALIA - Sardegna - SS
Allegato(i) Dettagli della specie
Stromatium unicolor (Olivier, 1795)
Cerambycidae


12.VIII.2011 - ITALIA - Sardegna - SS
Coleoptera

soken

5

1503

29/08/2011, 17:22

Julodis Vedi ultimo messaggio

Nessun messaggio da leggere
Pseudovadonia livida livida (Fabricius, 1777) - Cerambycidae
15.VI.2011 - ITALIA - Sicilia - CT
Allegato(i) Dettagli della specie
Pseudovadonia livida livida (Fabricius, 1777)
Cerambycidae


15.VI.2011 - ITALIA - Sicilia - CT
Coleoptera

Agatino Reitano

1

925

29/08/2011, 12:13

cosmln Vedi ultimo messaggio

Nessun messaggio da leggere
Trichoferus holosericeus (Rossi, 1790) - Cerambycidae
10.VII.2010 - ITALIA - Sicilia - SR
Allegato(i) Dettagli della specie
Trichoferus holosericeus (Rossi, 1790)
Cerambycidae


10.VII.2010 - ITALIA - Sicilia - SR
Coleoptera

Agatino Reitano

2

1226

27/08/2011, 14:44

Entomarci Vedi ultimo messaggio

Nessun messaggio da leggere
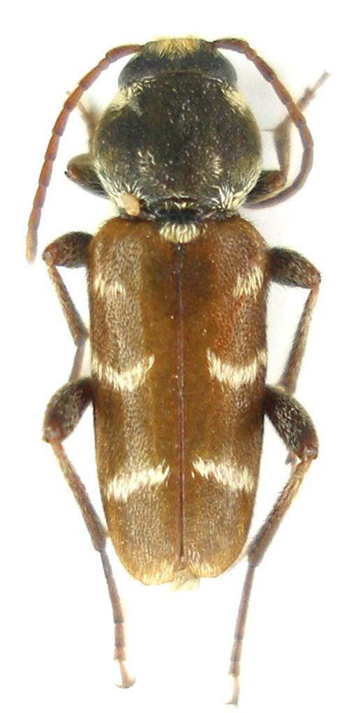
Paracorymbia fulva (De Geer, 1775) - Cerambycidae
27.VI.2010 - ITALIA - Sicilia
Allegato(i) Dettagli della specie
Paracorymbia fulva (De Geer, 1775)
Cerambycidae


27.VI.2010 - ITALIA - Sicilia
Coleoptera

Agatino Reitano

3

887

26/08/2011, 18:39

Isotomus Vedi ultimo messaggio

Nessun messaggio da leggere
Allegato(i) Dettagli della specie
Ropalopus (Ropalopus) ungaricus (Herbst, 1784)
Cerambycidae


VIII.2011 - ITALIA - Lazio - FR
Coleoptera

Julodis

5

1678

25/08/2011, 22:47

f.izzillo Vedi ultimo messaggio

Nessun messaggio da leggere
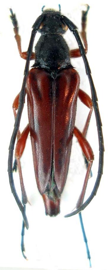
Cerambyx miles Bonelli, 1812 - Cerambycidae
VIII.1972 - ITALIA - Lazio - RM
Allegato(i) Dettagli della specie
Cerambyx miles Bonelli, 1812
Cerambycidae


VIII.1972 - ITALIA - Lazio - RM
Coleoptera

marco paglialunga

0

800

25/08/2011, 8:42

marco paglialunga Vedi ultimo messaggio

Nessun messaggio da leggere
Allegato(i) Dettagli della specie
Agapanthia (Agapanthia) suturalis (Fabricius, 1787) cf.
Cerambycidae


10.VI.2011 - ITALIA - Sicilia - CT
Coleoptera

Agatino Reitano

1

1220

24/08/2011, 11:47

Plagionotus Vedi ultimo messaggio

Nessun messaggio da leggere
Cerambyx miles Bonelli, 1812 - Cerambycidae
26.VII.2011 - GRECIA - EE
Allegato(i) Dettagli della specie
Cerambyx miles Bonelli, 1812
Cerambycidae


26.VII.2011 - GRECIA - EE
Coleoptera

Apoderus

7

1915

24/08/2011, 11:13

Plagionotus Vedi ultimo messaggio

Nessun messaggio da leggere
Allegato(i) Dettagli della specie
Agapanthia (Epoptes) sicula malmerendii Sama, 1981
Cerambycidae


15.V.2011 - ITALIA - Molise - CB
Coleoptera

Broc

2

1273

23/08/2011, 19:24

Broc Vedi ultimo messaggio

Nessun messaggio da leggere
Stenopterus rufus rufus (Linnaeus, 1767) - Cerambycidae
13.V.2011 - ITALIA - Molise - CB
Allegato(i) Dettagli della specie
Stenopterus rufus rufus (Linnaeus, 1767)
Cerambycidae


13.V.2011 - ITALIA - Molise - CB
Coleoptera

Broc

4

1095

23/08/2011, 19:19

Broc Vedi ultimo messaggio

Nessun messaggio da leggere
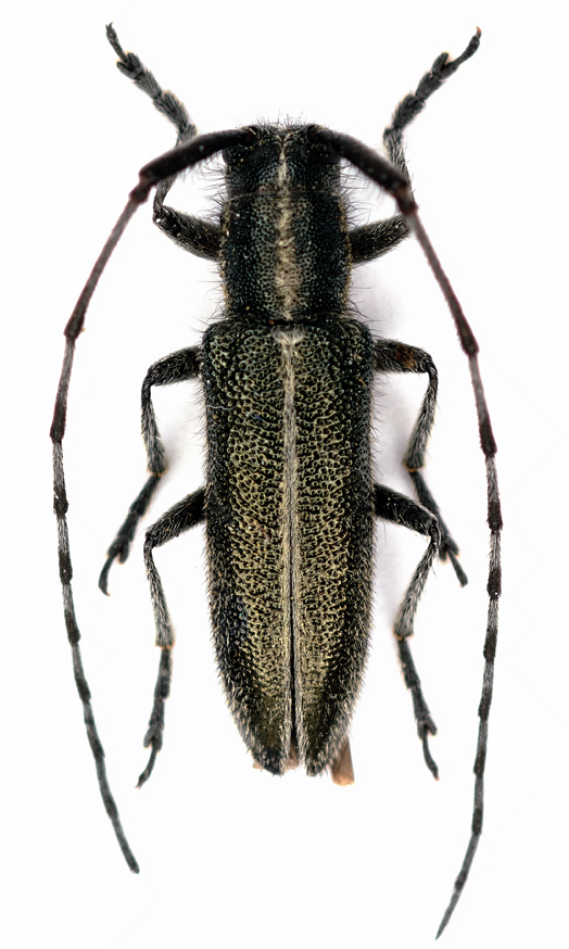
Morimus asper asper (Sulzer, 1776) - Cerambycidae
1.VIII.2011 - ITALIA - Marche - PU
Allegato(i) Dettagli della specie
Morimus asper asper (Sulzer, 1776)
Cerambycidae


1.VIII.2011 - ITALIA - Marche - PU
Coleoptera

marco paglialunga

4

1220

23/08/2011, 18:38

Plagionotus Vedi ultimo messaggio

Visualizza ultimi argomenti:  Ordina per  Ordine:  
nuovo argomento
Vai alla pagina Precedente  1 ... 58, 59, 60, 61, 62, 63, 64 ... 93  Prossimo
Pagina 61 di 93 [ 4647 argomenti ]

Tutti gli orari sono UTC + 1 ora [ ora legale ]


Chi c’è in linea

Visitano il forum: Nessuno e 2 ospiti


Legenda
Messaggi da leggere Messaggi da leggere Nessun messaggio da leggere Nessun messaggio da leggere Annuncio Annuncio
 
Specie indeterminata / discussione generica
Messaggi non letti [ Popolari ] Messaggi non letti [ Popolari ] Nessun messaggio da leggere [ Popolare ] Nessun messaggio da leggere [ Popolare ] Importante Importante
 
Specie determinata fino al genere o cf.
Messaggi non letti [ Bloccati ] Messaggi non letti [ Bloccati ] No messaggi non letti [ Bloccati ] No messaggi non letti [ Bloccati ] Argomento spostato Argomento spostato
 
Specie correttamente determinata
Permessi
Non puoi aprire nuovi argomenti
Non puoi rispondere negli argomenti
Non puoi modificare i tuoi messaggi
Non puoi cancellare i tuoi messaggi
Non puoi inviare allegati

Cerca per:
Vai a: