Benvenuto Ospite

Forum Entomologi Italiani

www.entomologiitaliani.net/forum
 
Oggi è 08/11/2025, 1:49

Tutti gli orari sono UTC + 1 ora [ ora legale ]


92% 
2927 taxa correttamente determinati su 3178 presenti in archivio

Cerambycidae


[ AFROTROPICALE ] [ ANTARTICO ] [ AUSTRALASIANO ] [ NEARTICO ] [ NEOTROPICALE ] [ ORIENTALE ] [ PALEARTICO ]


nuovo argomento
Vai alla pagina Precedente  1 ... 7, 8, 9, 10, 11, 12, 13 ... 93  Prossimo
Pagina 10 di 93 [ 4647 argomenti ]
 Argomenti   Ordine   Autore   Risposte   Visite    Ultimo messaggio 
Annunci
Nessun messaggio da leggere
Allegato(i)
Incontri entomologici telematici organizzati dalla Società Entomologica Italiana nel 2022 e nel 2023

[ Vai alla paginaVai alla pagina: 1, 2, 3 ]

 

Velvet Ant

44

1427539

03/03/2023, 15:55

Velvet Ant Vedi ultimo messaggio

Nessun messaggio da leggere  
Allegato(i)
Sondaggio sul declino dell'entomofauna in Italia

[ Vai alla paginaVai alla pagina: 1, 2, 3, 4 ]

 

Velvet Ant

52

1755334

22/10/2022, 19:18

Acquarius Vedi ultimo messaggio

Nessun messaggio da leggere  
Allegato(i)
Progetto: Bibliografia ragionata dei lavori entomologici nei quali sono citati reperti apparsi su FEI

[ Vai alla paginaVai alla pagina: 1, 2, 3 ]

 

Velvet Ant

33

1169235

06/07/2023, 18:31

Orotrechus Vedi ultimo messaggio

Nessun messaggio da leggere
Allegato(i)
Mimesi, il primo documentario cinematografico sull’entomologia in Italia: casting
 

mazzeip

1

456652

28/02/2019, 20:26

mazzeip Vedi ultimo messaggio

Questo argomento è bloccato, non puoi modificare o inviare ulteriori messaggi.
Allegato(i)
ISTRUZIONI PUBBLICAZIONE NUOVI ARGOMENTI E FOTO

 
Altri Ordini di Insetti

Julodis

4

903792

13/05/2015, 19:37

Julodis Vedi ultimo messaggio

Nessun messaggio da leggere
Allegato(i)
Limitatore giornaliero di messaggi, uno strumento utile e ormai indispensabile

[ Vai alla paginaVai alla pagina: 1 ... 14, 15, 16 ]

 

Velvet Ant

233

8818780

25/09/2014, 14:31

Inachis Vedi ultimo messaggio

Nessun messaggio da leggere  
NORME PER I COLLABORATORI DEL FORUM

 
 

Velvet Ant

0

478741

02/06/2011, 12:05

Velvet Ant Vedi ultimo messaggio

Nessun messaggio da leggere
Allegato(i)
NORME PER GLI UTENTI DEL FORUM

[ Vai alla paginaVai alla pagina: 1, 2, 3 ]



 
 

Velvet Ant

30

2344675

23/09/2014, 23:54

Maurizio Bollino Vedi ultimo messaggio

Questo argomento è bloccato, non puoi modificare o inviare ulteriori messaggi.  
Elenco delle specie italiane di Cerambycidae presenti sul forum
Cerambycidae


 
Coleoptera

Plagionotus

0

5994

22/11/2010, 22:28

Plagionotus Vedi ultimo messaggio

Nessun messaggio da leggere  
Lista degli utenti del "Forum entomologi italiani" per campi di interesse e specializzazione

 
Altri Ordini di Insetti

Velvet Ant

13

943676

07/09/2023, 17:14

Roberto-07 Vedi ultimo messaggio

Argomenti
Nessun messaggio da leggere
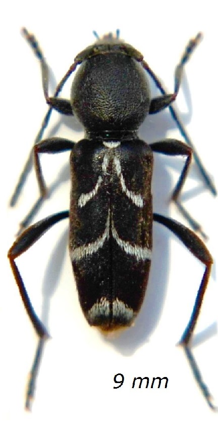
Brachypteroma ottomanum Heyden, 1863 - Cerambycidae
8.V.2018 - ITALIA - Toscana - PI
Allegato(i) Dettagli della specie
Brachypteroma ottomanum Heyden, 1863
Cerambycidae


8.V.2018 - ITALIA - Toscana - PI
Coleoptera

Stefano79

5

1738

24/03/2020, 18:26

Stefano79 Vedi ultimo messaggio

Nessun messaggio da leggere
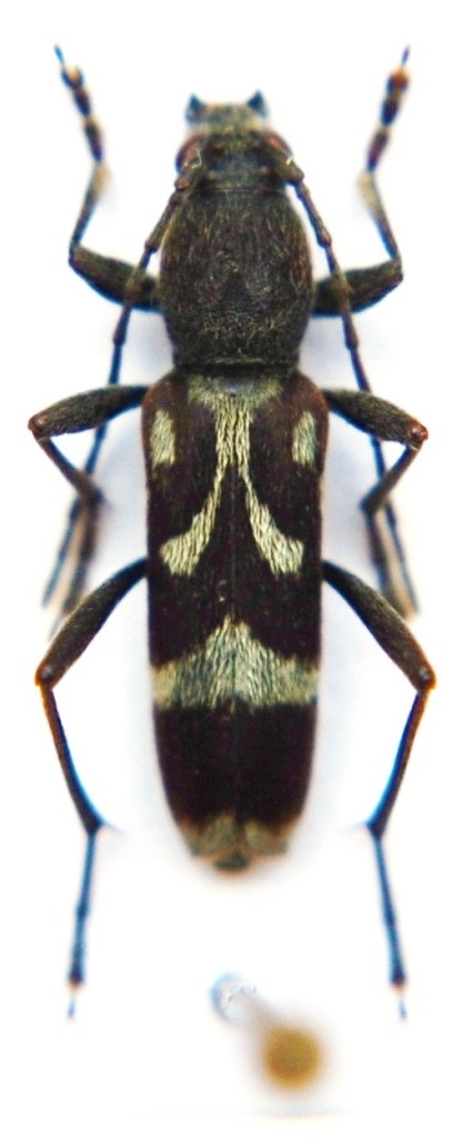
Nathrius brevipennis (Mulsant, 1839) - Cerambycidae
10.VI.2019 - ITALIA - Toscana - PI
Allegato(i) Dettagli della specie
Nathrius brevipennis (Mulsant, 1839)
Cerambycidae


10.VI.2019 - ITALIA - Toscana - PI
Coleoptera

Stefano79

2

1295

23/03/2020, 17:51

Stefano79 Vedi ultimo messaggio

Nessun messaggio da leggere
Gracilia minuta (Fabricius, 1781) - Cerambycidae
8.VI.2019 - ITALIA - Toscana - PI
Allegato(i) Dettagli della specie
Gracilia minuta (Fabricius, 1781)
Cerambycidae


8.VI.2019 - ITALIA - Toscana - PI
Coleoptera

Stefano79

2

1145

23/03/2020, 17:50

Stefano79 Vedi ultimo messaggio

Nessun messaggio da leggere
Ropalopus (Ropalopus) varini (Bedel, 1870) - Cerambycidae
22.VI.2019 - ITALIA - Toscana - PI
Allegato(i) Dettagli della specie
Ropalopus (Ropalopus) varini (Bedel, 1870)
Cerambycidae


22.VI.2019 - ITALIA - Toscana - PI
Coleoptera

Stefano79

2

1179

21/03/2020, 10:07

Stefano79 Vedi ultimo messaggio

Nessun messaggio da leggere
Allegato(i) Dettagli della specie
Purpuricenus (Purpuricenus) kaehleri kaehleri (Linnaeus, 1758)
Cerambycidae


26.VI.2019 - ITALIA - Sicilia - PA
Coleoptera

Chalybion

5

1945

20/03/2020, 22:47

Plagionotus Vedi ultimo messaggio

Nessun messaggio da leggere
Pyrrhidium sanguineum (Linnaeus, 1758) - Cerambycidae
4.III.2020 - ITALIA - Emilia-Romagna - BO
Allegato(i) Dettagli della specie
Pyrrhidium sanguineum (Linnaeus, 1758)
Cerambycidae


4.III.2020 - ITALIA - Emilia-Romagna - BO
Coleoptera

Mammut

2

2111

06/03/2020, 22:50

Mammut Vedi ultimo messaggio

Nessun messaggio da leggere
Clytus rhamni temesiensis Germar, 1824 - Cerambycidae
6.VII.1973 - FEDERAZIONE RUSSA - EE
Allegato(i)
Clytus rhamni temesiensis Germar, 1824 - Cerambycidae

6.VII.1973 - FEDERAZIONE RUSSA - EE
Coleoptera

Honza

12

2649

03/03/2020, 14:35

Plagionotus Vedi ultimo messaggio

Nessun messaggio da leggere
Allegato(i) Dettagli della specie
Chlorophorus figuratus (Scopoli, 1763)
Cerambycidae


25.VI.2010 - BULGARIA - EE
Coleoptera

Honza

2

1253

02/03/2020, 21:48

Honza Vedi ultimo messaggio

Nessun messaggio da leggere
Rhagium (Rhagium) inquisitor inquisitor (Linnaeus, 1758) - Cerambycidae
4.I.2020 - ITALIA - Trentino-Alto Adige - BZ
Allegato(i) Dettagli della specie
Rhagium (Rhagium) inquisitor inquisitor (Linnaeus, 1758)
Cerambycidae


4.I.2020 - ITALIA - Trentino-Alto Adige - BZ
Coleoptera

Tommaso Lisa

5

1865

29/02/2020, 21:16

Plagionotus Vedi ultimo messaggio

Nessun messaggio da leggere
Callimus abdominalis (Olivier, 1795) - Cerambycidae
1.V.2016 - ITALIA - Emilia-Romagna - RA
Allegato(i) Dettagli della specie
Callimus abdominalis (Olivier, 1795)
Cerambycidae


1.V.2016 - ITALIA - Emilia-Romagna - RA
Coleoptera

Chalybion

7

1765

14/01/2020, 10:35

Plagionotus Vedi ultimo messaggio

Nessun messaggio da leggere
Allegato(i) Dettagli della specie
Ropalopus (Ropalopus) femoratus (Linnaeus, 1758)
Cerambycidae


IV.2019 - ITALIA - Piemonte - TO
Coleoptera

checcapitipiti

6

1609

21/12/2019, 20:55

checcapitipiti Vedi ultimo messaggio

Nessun messaggio da leggere
Allegato(i) Dettagli della specie
Blepisanis melanocephala (Fabricius, 1787)
Cerambycidae


7.VII.2019 - MAROCCO - EE
Coleoptera

Gian Luca Agnoli

3

1354

10/12/2019, 0:02

Gian Luca Agnoli Vedi ultimo messaggio

Nessun messaggio da leggere
Dorcadion pusillum (Kuster, 1847) - Cerambycidae
25.IV.2018 - ROMANIA - EE
Allegato(i)
Dorcadion pusillum (Kuster, 1847) - Cerambycidae

25.IV.2018 - ROMANIA - EE
Coleoptera

alexaandru

3

1211

25/11/2019, 12:10

alexaandru Vedi ultimo messaggio

Nessun messaggio da leggere
Vadonia moesiaca Daniel, 1891 - Cerambycidae
12.VI.2019 - BULGARIA - EE
Allegato(i)
Vadonia moesiaca Daniel, 1891 - Cerambycidae

12.VI.2019 - BULGARIA - EE
Coleoptera

Joro

0

856

19/11/2019, 11:06

Joro Vedi ultimo messaggio

Nessun messaggio da leggere
Allegato(i)
Dorcadion tauricum tauricum Waltl, 1838 - Cerambycidae

9.V.2015 - UCRAINA - EE
Coleoptera

Mattia D'Amato

0

588

10/11/2019, 14:09

Mattia D'Amato Vedi ultimo messaggio

Nessun messaggio da leggere
Allegato(i)
Dorcadion equestre equestre (Laxmann, 1770) - Cerambycidae

15.V.2016 - UCRAINA - EE
Coleoptera

Mattia D'Amato

0

581

10/11/2019, 14:09

Mattia D'Amato Vedi ultimo messaggio

Nessun messaggio da leggere
Allegato(i) Dettagli della specie
Chlorophorus sartor (O. F. Müller, 1766)
Cerambycidae


21.VI.2019 - GRECIA - EE
Coleoptera

Honza

2

1130

09/11/2019, 22:28

Honza Vedi ultimo messaggio

Nessun messaggio da leggere
Allegato(i)
Dorcadion carinatum (Pallas, 1771) - Cerambycidae

24.IV.2016 - UCRAINA - EE
Coleoptera

Mattia D'Amato

0

609

09/11/2019, 14:09

Mattia D'Amato Vedi ultimo messaggio

Nessun messaggio da leggere
Allegato(i)
Dorcadion holosericeum Krynicky, 1832 - Cerambycidae

15.V.2016 - UCRAINA - EE
Coleoptera

Mattia D'Amato

0

598

09/11/2019, 14:09

Mattia D'Amato Vedi ultimo messaggio

Nessun messaggio da leggere
Psacothea hilaris (Pascoe, 1858) - Cerambycidae
15.VII.2018 - ITALIA - Lombardia - LC
Allegato(i) Dettagli della specie
Psacothea hilaris (Pascoe, 1858)
Cerambycidae

[ Vai alla paginaVai alla pagina: 1, 2 ]



15.VII.2018 - ITALIA - Lombardia - LC
Coleoptera

silviana

27

5635

09/11/2019, 12:17

silviana Vedi ultimo messaggio

Nessun messaggio da leggere
Allegato(i)
Dorcadion dimidiatum Motschulsky, 1838 - Cerambycidae

10.V.1998 - TURCHIA - EE
Coleoptera

Mattia D'Amato

0

804

08/11/2019, 14:09

Mattia D'Amato Vedi ultimo messaggio

Nessun messaggio da leggere
Stenurella melanura (Linnaeus, 1758) - Cerambycidae
18.VII.2019 - ITALIA - Emilia-Romagna - BO
Allegato(i) Dettagli della specie
Stenurella melanura (Linnaeus, 1758)
Cerambycidae


18.VII.2019 - ITALIA - Emilia-Romagna - BO
Coleoptera

Dicomed

1

1095

04/11/2019, 10:17

Plagionotus Vedi ultimo messaggio

Nessun messaggio da leggere
Allegato(i)
Delagrangeus liviae Pesarini et Sabbadini, 2004 - Cerambycidae
Cerambycidae


18.V.2012 - GRECIA - EE
Coleoptera

Uncle Adam

2

1661

03/11/2019, 12:23

Phytoecia Vedi ultimo messaggio

Nessun messaggio da leggere
Opsilia coerulescens (Scopoli, 1763) - Cerambycidae
19.VII.2019 - ITALIA - Emilia-Romagna - BO
Allegato(i) Dettagli della specie
Opsilia coerulescens (Scopoli, 1763)
Cerambycidae


19.VII.2019 - ITALIA - Emilia-Romagna - BO
Coleoptera

Dicomed

4

1364

07/10/2019, 18:13

Plagionotus Vedi ultimo messaggio

Nessun messaggio da leggere
Allegato(i) Dettagli della specie
Agapanthia (Epoptes) villosoviridescens (De Geer, 1775)
Cerambycidae


24.VI.2018 - BULGARIA - EE
Coleoptera

Dicomed

3

1402

06/10/2019, 16:54

Dicomed Vedi ultimo messaggio

Nessun messaggio da leggere
Cerambyx welensii (Küster, 1845) - Cerambycidae
27.IX.2019 - ITALIA - Lazio - RM
Allegato(i) Dettagli della specie
Cerambyx welensii (Küster, 1845)
Cerambycidae

[ Vai alla paginaVai alla pagina: 1, 2 ]



27.IX.2019 - ITALIA - Lazio - RM
Coleoptera

soken

25

5233

05/10/2019, 12:56

soken Vedi ultimo messaggio

Nessun messaggio da leggere
Pogonocherus fasciculatus (De Geer, 1775) - Cerambycidae
28.VIII.2019 - ITALIA - Abruzzo - AQ
Allegato(i) Dettagli della specie
Pogonocherus fasciculatus (De Geer, 1775)
Cerambycidae


28.VIII.2019 - ITALIA - Abruzzo - AQ
Coleoptera

StagBeetle

2

1248

30/09/2019, 12:35

StagBeetle Vedi ultimo messaggio

Nessun messaggio da leggere
Phoracantha sp. - Cerambycidae
17.IX.2019 - ITALIA - Lazio - RM
Allegato(i)
Phoracantha sp. - Cerambycidae

17.IX.2019 - ITALIA - Lazio - RM
Coleoptera

soken

4

1253

21/09/2019, 21:50

soken Vedi ultimo messaggio

Nessun messaggio da leggere
Niphona picticornis Mulsant, 1839 - Cerambycidae
4.IX.2019 - ITALIA - Toscana - LI
Allegato(i) Dettagli della specie
Niphona picticornis Mulsant, 1839
Cerambycidae


4.IX.2019 - ITALIA - Toscana - LI
Coleoptera

lucio_A

1

856

10/09/2019, 16:51

f.izzillo Vedi ultimo messaggio

Nessun messaggio da leggere
Isotomus speciosus barbarae Sama, 1977 - Cerambycidae
VII.2018 - ITALIA - Emilia-Romagna - RA
Allegato(i) Dettagli della specie
Isotomus speciosus barbarae Sama, 1977
Cerambycidae


VII.2018 - ITALIA - Emilia-Romagna - RA
Coleoptera

Carlo A.

4

1691

04/09/2019, 12:45

Pippistrello Vedi ultimo messaggio

Nessun messaggio da leggere
Allegato(i) Dettagli della specie
Brachyta (Fasciobrachyta) petriccionei Rapuzzi, Bologna, Poloni, 2019
Cerambycidae

[ Vai alla paginaVai alla pagina: 1, 2, 3 ]



23.V.2019 - ITALIA - Abruzzo - PE
Coleoptera

Xylosteus

39

7614

03/09/2019, 14:05

hpl Vedi ultimo messaggio

Nessun messaggio da leggere
Allegato(i) Dettagli della specie
Parmena solieri Mulsant, 1839
Cerambycidae

[ Vai alla paginaVai alla pagina: 1, 2 ]



ITALIA - Toscana - LI
Coleoptera

FORBIX

18

3531

03/09/2019, 13:57

hpl Vedi ultimo messaggio

Nessun messaggio da leggere
Allegato(i) Dettagli della specie
Exocentrus lusitanus (Linnaeus, 1767)
Cerambycidae


15.VIII.2019 - ESTONIA - EE
Coleoptera

Syrio

2

1111

30/08/2019, 13:20

Syrio Vedi ultimo messaggio

Nessun messaggio da leggere
Allegato(i)
Lucasianus levaillantii (Lucas, 1849) - Cerambycidae
Cerambycidae


VI.2019 - SPAGNA - EE
Coleoptera

Dicomed

3

1190

29/08/2019, 17:53

Dicomed Vedi ultimo messaggio

Nessun messaggio da leggere
Vesperus luridus (Rossi, 1794) - Cerambycidae
18.VIII.2018 - ITALIA - Emilia-Romagna - BO
Allegato(i) Dettagli della specie
Vesperus luridus (Rossi, 1794)
Cerambycidae


18.VIII.2018 - ITALIA - Emilia-Romagna - BO
Coleoptera

emmebix

9

2116

19/08/2019, 20:32

Plagionotus Vedi ultimo messaggio

Nessun messaggio da leggere
Leiopus sp. - Cerambycidae
7.VII.2012 - ITALIA - Trentino-Alto Adige - BZ
Allegato(i)
Leiopus sp. - Cerambycidae
Cerambycidae


7.VII.2012 - ITALIA - Trentino-Alto Adige - BZ
Coleoptera

michele.carraretto

9

2178

18/08/2019, 19:44

hpl Vedi ultimo messaggio

Nessun messaggio da leggere
Allegato(i) Dettagli della specie
Stictoleptura rubra rubra (Linnaeus, 1758)
Cerambycidae


13.VIII.2019 - ESTONIA - EE
Coleoptera

Syrio

4

1381

13/08/2019, 20:03

Worldofmantis Vedi ultimo messaggio

Nessun messaggio da leggere
Rutpela maculata maculata (Poda, 1761) - Cerambycidae
6.VII.2019 - ITALIA - Emilia-Romagna - PR
Allegato(i) Dettagli della specie
Rutpela maculata maculata (Poda, 1761)
Cerambycidae


6.VII.2019 - ITALIA - Emilia-Romagna - PR
Coleoptera

picollo

4

1304

11/08/2019, 8:22

Julodis Vedi ultimo messaggio

Nessun messaggio da leggere
Stictoleptura scutellata scutellata (Fabricius, 1781) - Cerambycidae
6.VII.2019 - ITALIA - Emilia-Romagna - PR
Allegato(i) Dettagli della specie
Stictoleptura scutellata scutellata (Fabricius, 1781)
Cerambycidae


6.VII.2019 - ITALIA - Emilia-Romagna - PR
Coleoptera

picollo

2

935

10/08/2019, 18:58

picollo Vedi ultimo messaggio

Nessun messaggio da leggere
Allegato(i)
Anaglyptus arabicus (Küster, 1847) - Cerambycidae

18.V.2019 - GEORGIA - EE
Coleoptera

mcer

0

800

08/08/2019, 23:15

mcer Vedi ultimo messaggio

Nessun messaggio da leggere
Callidium violaceum (Linnaeus, 1758) - Cerambycidae
27.VII.2019 - ITALIA - Valle d'Aosta - AO
Allegato(i) Dettagli della specie
Callidium violaceum (Linnaeus, 1758)
Cerambycidae


27.VII.2019 - ITALIA - Valle d'Aosta - AO
Coleoptera

carlos

3

1266

08/08/2019, 9:14

carlos Vedi ultimo messaggio

Nessun messaggio da leggere
Hesperophanes sericeus (Fabricius, 1787) - Cerambycidae
IX.2009 - ITALIA - Sardegna - SS
Allegato(i) Dettagli della specie
Hesperophanes sericeus (Fabricius, 1787)
Cerambycidae


IX.2009 - ITALIA - Sardegna - SS
Coleoptera

andrea bramanti

13

2774

03/08/2019, 23:24

eurinomio Vedi ultimo messaggio

Nessun messaggio da leggere
Prinobius myardi myardi Mulsant, 1842 - Cerambycidae
28.VII.2019 - ITALIA - Puglia - LE
Allegato(i) Dettagli della specie
Prinobius myardi myardi Mulsant, 1842
Cerambycidae


28.VII.2019 - ITALIA - Puglia - LE
Coleoptera

martino

6

1836

31/07/2019, 10:17

martino Vedi ultimo messaggio

Nessun messaggio da leggere
Allegato(i) Dettagli della specie
Xylotrechus (Xylotrechus) stebbingi Gahan, 1906
Cerambycidae


26.VII.2019 - ITALIA - Veneto - VI
Coleoptera

DarthJackius

1

1017

27/07/2019, 6:44

Agdistis Vedi ultimo messaggio

Nessun messaggio da leggere
Prionus coriarius (Linnaeus, 1758) - Cerambycidae
2.VII.2019 - ITALIA - Lombardia - MI
Allegato(i) Dettagli della specie
Prionus coriarius (Linnaeus, 1758)
Cerambycidae


2.VII.2019 - ITALIA - Lombardia - MI
Coleoptera

fdany

2

1060

22/07/2019, 22:54

fdany Vedi ultimo messaggio

Nessun messaggio da leggere
Psacothea hilaris (Pascoe, 1858) - Cerambycidae
21.VII.2019 - ITALIA - Lombardia - MB
Allegato(i) Dettagli della specie
Psacothea hilaris (Pascoe, 1858)
Cerambycidae


21.VII.2019 - ITALIA - Lombardia - MB
Coleoptera

Giuseppe

1

1048

22/07/2019, 12:32

Il Baratelli Vedi ultimo messaggio

Nessun messaggio da leggere
Allegato(i) Dettagli della specie
Rosalia (Rosalia) alpina alpina (Linnaeus, 1758)
Cerambycidae


21.VII.2019 - ITALIA - Marche - AP
Coleoptera

StagBeetle

1

931

21/07/2019, 18:35

Livio Vedi ultimo messaggio

Nessun messaggio da leggere
Allegato(i) Dettagli della specie
Purpuricenus (Purpuricenus) kaehleri kaehleri (Linnaeus, 1758) cf.
Cerambycidae


16.VII.2019 - ITALIA - Umbria - PG
Coleoptera

Syrio

2

1171

20/07/2019, 12:05

Syrio Vedi ultimo messaggio

Nessun messaggio da leggere
Chlorophorus glabromaculatus (Goeze, 1777) - Cerambycidae
16.VII.2019 - ITALIA - Lazio - FR
Allegato(i) Dettagli della specie
Chlorophorus glabromaculatus (Goeze, 1777)
Cerambycidae


16.VII.2019 - ITALIA - Lazio - FR
Coleoptera

algeva

1

984

18/07/2019, 12:51

f.izzillo Vedi ultimo messaggio

Nessun messaggio da leggere
Phytoecia pustulata pustulata (Schrank, 1776) - Cerambycidae
15.VI.2019 - ITALIA - Piemonte - TO
Allegato(i) Dettagli della specie
Phytoecia pustulata pustulata (Schrank, 1776)
Cerambycidae


15.VI.2019 - ITALIA - Piemonte - TO
Coleoptera

checcapitipiti

2

1099

15/07/2019, 19:27

checcapitipiti Vedi ultimo messaggio

Visualizza ultimi argomenti:  Ordina per  Ordine:  
nuovo argomento
Vai alla pagina Precedente  1 ... 7, 8, 9, 10, 11, 12, 13 ... 93  Prossimo
Pagina 10 di 93 [ 4647 argomenti ]

Tutti gli orari sono UTC + 1 ora [ ora legale ]


Chi c’è in linea

Visitano il forum: Nessuno e 3 ospiti


Legenda
Messaggi da leggere Messaggi da leggere Nessun messaggio da leggere Nessun messaggio da leggere Annuncio Annuncio
 
Specie indeterminata / discussione generica
Messaggi non letti [ Popolari ] Messaggi non letti [ Popolari ] Nessun messaggio da leggere [ Popolare ] Nessun messaggio da leggere [ Popolare ] Importante Importante
 
Specie determinata fino al genere o cf.
Messaggi non letti [ Bloccati ] Messaggi non letti [ Bloccati ] No messaggi non letti [ Bloccati ] No messaggi non letti [ Bloccati ] Argomento spostato Argomento spostato
 
Specie correttamente determinata
Permessi
Non puoi aprire nuovi argomenti
Non puoi rispondere negli argomenti
Non puoi modificare i tuoi messaggi
Non puoi cancellare i tuoi messaggi
Non puoi inviare allegati

Cerca per:
Vai a:  
cron