Benvenuto Ospite

Forum Entomologi Italiani

www.entomologiitaliani.net/forum
 
Oggi è 07/11/2025, 14:59

Tutti gli orari sono UTC + 1 ora [ ora legale ]


92% 
2927 taxa correttamente determinati su 3178 presenti in archivio

Cerambycidae


[ AFROTROPICALE ] [ ANTARTICO ] [ AUSTRALASIANO ] [ NEARTICO ] [ NEOTROPICALE ] [ ORIENTALE ] [ PALEARTICO ]


nuovo argomento
Vai alla pagina Precedente  1 ... 88, 89, 90, 91, 92, 93  Prossimo
Pagina 91 di 93 [ 4647 argomenti ]
 Argomenti   Ordine   Autore   Risposte   Visite    Ultimo messaggio 
Annunci
Nessun messaggio da leggere
Allegato(i)
Incontri entomologici telematici organizzati dalla Società Entomologica Italiana nel 2022 e nel 2023

[ Vai alla paginaVai alla pagina: 1, 2, 3 ]

 

Velvet Ant

44

1425697

03/03/2023, 15:55

Velvet Ant Vedi ultimo messaggio

Nessun messaggio da leggere  
Allegato(i)
Sondaggio sul declino dell'entomofauna in Italia

[ Vai alla paginaVai alla pagina: 1, 2, 3, 4 ]

 

Velvet Ant

52

1753320

22/10/2022, 19:18

Acquarius Vedi ultimo messaggio

Nessun messaggio da leggere  
Allegato(i)
Progetto: Bibliografia ragionata dei lavori entomologici nei quali sono citati reperti apparsi su FEI

[ Vai alla paginaVai alla pagina: 1, 2, 3 ]

 

Velvet Ant

33

1168108

06/07/2023, 18:31

Orotrechus Vedi ultimo messaggio

Nessun messaggio da leggere
Allegato(i)
Mimesi, il primo documentario cinematografico sull’entomologia in Italia: casting
 

mazzeip

1

456321

28/02/2019, 20:26

mazzeip Vedi ultimo messaggio

Questo argomento è bloccato, non puoi modificare o inviare ulteriori messaggi.
Allegato(i)
ISTRUZIONI PUBBLICAZIONE NUOVI ARGOMENTI E FOTO

 
Altri Ordini di Insetti

Julodis

4

897980

13/05/2015, 19:37

Julodis Vedi ultimo messaggio

Nessun messaggio da leggere
Allegato(i)
Limitatore giornaliero di messaggi, uno strumento utile e ormai indispensabile

[ Vai alla paginaVai alla pagina: 1 ... 14, 15, 16 ]

 

Velvet Ant

233

8808309

25/09/2014, 14:31

Inachis Vedi ultimo messaggio

Nessun messaggio da leggere  
NORME PER I COLLABORATORI DEL FORUM

 
 

Velvet Ant

0

478634

02/06/2011, 12:05

Velvet Ant Vedi ultimo messaggio

Nessun messaggio da leggere
Allegato(i)
NORME PER GLI UTENTI DEL FORUM

[ Vai alla paginaVai alla pagina: 1, 2, 3 ]



 
 

Velvet Ant

30

2343703

23/09/2014, 23:54

Maurizio Bollino Vedi ultimo messaggio

Questo argomento è bloccato, non puoi modificare o inviare ulteriori messaggi.  
Elenco delle specie italiane di Cerambycidae presenti sul forum
Cerambycidae


 
Coleoptera

Plagionotus

0

5994

22/11/2010, 22:28

Plagionotus Vedi ultimo messaggio

Nessun messaggio da leggere  
Lista degli utenti del "Forum entomologi italiani" per campi di interesse e specializzazione

 
Altri Ordini di Insetti

Velvet Ant

13

943215

07/09/2023, 17:14

Roberto-07 Vedi ultimo messaggio

Argomenti
Nessun messaggio da leggere
Allegato(i) Dettagli della specie
Neopiciella sicula (Ganglbauer, 1885)
Cerambycidae


ITALIA - Sicilia
Coleoptera

Xylosteus

7

1931

14/01/2010, 14:29

f.izzillo Vedi ultimo messaggio

Nessun messaggio da leggere
Allegato(i)
Coptosia albovittigera (Heyden, 1873) Cerambycidae

VI.2006 - GRECIA - EE
Coleoptera

Daniele Sechi

8

1593

07/01/2010, 16:38

Lamia Vedi ultimo messaggio

Nessun messaggio da leggere
Allegato(i)
Dorcadion (Pedestredorcadion) sapkaianum Krätschmer, 1987

GRECIA - EE
Coleoptera

Maurizio Bollino

0

682

01/01/2010, 16:19

Maurizio Bollino Vedi ultimo messaggio

Nessun messaggio da leggere
Allegato(i)
Dorcadion (Pedestredorcadion) kozanii kozanii Breuning, 1962
Cerambycidae


GRECIA - EE
Coleoptera

Maurizio Bollino

0

653

01/01/2010, 16:14

Maurizio Bollino Vedi ultimo messaggio

Nessun messaggio da leggere
Stenurella melanura (Linnaeus, 1758) - Cerambycidae
19.VIII.2009 - ITALIA - Veneto - BL
Allegato(i) Dettagli della specie
Stenurella melanura (Linnaeus, 1758)
Cerambycidae


19.VIII.2009 - ITALIA - Veneto - BL
Coleoptera

Maw89

3

845

27/12/2009, 18:45

Isotomus Vedi ultimo messaggio

Nessun messaggio da leggere
Pseudovadonia livida livida (Fabricius, 1777) - Cerambycidae
8.VII.2009 - ITALIA - Veneto - BL
Allegato(i) Dettagli della specie
Pseudovadonia livida livida (Fabricius, 1777)
Cerambycidae


8.VII.2009 - ITALIA - Veneto - BL
Coleoptera

Maw89

2

797

27/12/2009, 13:10

Maw89 Vedi ultimo messaggio

Nessun messaggio da leggere
Saperda scalaris scalaris (Linnaeus, 1758) - Cerambycidae
22.VI.2009 - ITALIA - Veneto - BL
Allegato(i) Dettagli della specie
Saperda scalaris scalaris (Linnaeus, 1758)
Cerambycidae


22.VI.2009 - ITALIA - Veneto - BL
Coleoptera

Maw89

3

1189

27/12/2009, 11:19

StagBeetle Vedi ultimo messaggio

Nessun messaggio da leggere
Alosterna tabacicolor (De Geer, 1775) - Cerambycidae
8.VII.2009 - ITALIA - Veneto - BL
Allegato(i) Dettagli della specie
Alosterna tabacicolor (De Geer, 1775)
Cerambycidae


8.VII.2009 - ITALIA - Veneto - BL
Coleoptera

Maw89

2

999

26/12/2009, 18:46

Maw89 Vedi ultimo messaggio

Nessun messaggio da leggere
Allegato(i)
Dorcadion (Pedestredorcadion) regulare dramaticum Pesarini & Sabbadini - Cerambycidae

GRECIA - EE
Coleoptera

Maurizio Bollino

2

937

26/12/2009, 16:36

Maurizio Bollino Vedi ultimo messaggio

Nessun messaggio da leggere
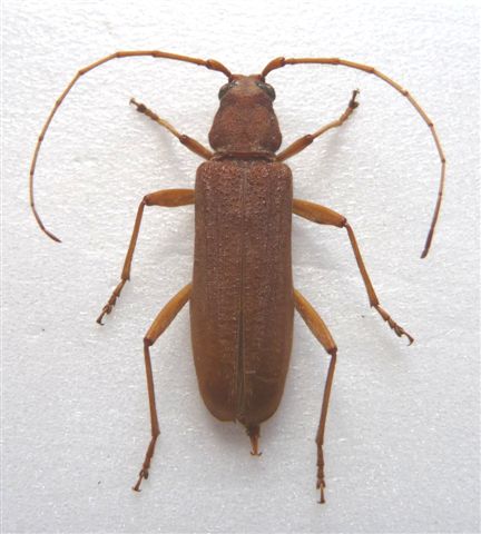
Stromatium unicolor (Olivier, 1795) - Cerambycidae
21.VI.2008 - ITALIA - Lazio - FR
Allegato(i) Dettagli della specie
Stromatium unicolor (Olivier, 1795)
Cerambycidae


21.VI.2008 - ITALIA - Lazio - FR
Coleoptera

Goliathus

2

969

25/12/2009, 16:58

Goliathus Vedi ultimo messaggio

Nessun messaggio da leggere
Calchaenesthes diversicollis Holzschuh, 1977 - Cerambycidae
2.V.2006 - IRAN, REPUBBLICA ISLAMICA DELL' - EE
Allegato(i)
Calchaenesthes diversicollis Holzschuh, 1977 - Cerambycidae

2.V.2006 - IRAN, REPUBBLICA ISLAMICA DELL' - EE
Coleoptera

Isotomus

3

1407

23/12/2009, 14:44

Tenebrio Vedi ultimo messaggio

Nessun messaggio da leggere
Agapanthia (Epoptes) schurmanni Sama, 1979 - Cerambycidae
MACEDONIA, REPUBBLICA JUGOSLAVA DELLA - EE
Allegato(i)
Agapanthia (Epoptes) schurmanni Sama, 1979 - Cerambycidae

MACEDONIA, REPUBBLICA JUGOSLAVA DELLA - EE
Coleoptera

Isotomus

2

1484

23/12/2009, 10:28

Isotomus Vedi ultimo messaggio

Nessun messaggio da leggere
Clytus clavicornis Reiche, 1860 - Cerambycidae
19.XII.2009 - ITALIA - Sicilia - EN
Allegato(i) Dettagli della specie
Clytus clavicornis Reiche, 1860
Cerambycidae


19.XII.2009 - ITALIA - Sicilia - EN
Coleoptera

Anillus

7

2243

23/12/2009, 10:06

Livio Vedi ultimo messaggio

Nessun messaggio da leggere
Arhopalus ferus (Mulsant, 1839) - Cerambycidae
13.VIII.2008 - ITALIA - Lazio - FR
Allegato(i) Dettagli della specie
Arhopalus ferus (Mulsant, 1839)
Cerambycidae


13.VIII.2008 - ITALIA - Lazio - FR
Coleoptera

Goliathus

8

2504

23/12/2009, 0:43

Plagionotus Vedi ultimo messaggio

Nessun messaggio da leggere
Asias jomudorum Plavilstshikov, 1940 - Cerambycidae
25.VI.2003 - IRAN, REPUBBLICA ISLAMICA DELL' - EE
Allegato(i)
Asias jomudorum Plavilstshikov, 1940 - Cerambycidae

25.VI.2003 - IRAN, REPUBBLICA ISLAMICA DELL' - EE
Coleoptera

Isotomus

1

822

23/12/2009, 0:32

Plagionotus Vedi ultimo messaggio

Nessun messaggio da leggere
Pogonocherus perroudi perroudi Mulsant, 1839 - Cerambycidae
9.IX.2009 - ITALIA - Sardegna - CA
Allegato(i) Dettagli della specie
Pogonocherus perroudi perroudi Mulsant, 1839
Cerambycidae


9.IX.2009 - ITALIA - Sardegna - CA
Coleoptera

ESAPODA

6

1291

22/12/2009, 20:58

ESAPODA Vedi ultimo messaggio

Nessun messaggio da leggere
Arhopalus syriacus (Reitter, 1895) - Cerambycidae
22.V.2009 - ITALIA - Sardegna - CA
Allegato(i) Dettagli della specie
Arhopalus syriacus (Reitter, 1895)
Cerambycidae


22.V.2009 - ITALIA - Sardegna - CA
Coleoptera

ESAPODA

1

551

22/12/2009, 19:05

Isotomus Vedi ultimo messaggio

Nessun messaggio da leggere
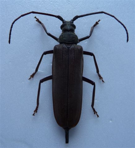
Cerambyx welensii (Küster, 1845) - Cerambycidae
9.VII.2004 - ITALIA - Lazio - VT
Allegato(i) Dettagli della specie
Cerambyx welensii (Küster, 1845)
Cerambycidae


9.VII.2004 - ITALIA - Lazio - VT
Coleoptera

Goliathus

7

1412

22/12/2009, 18:49

Isotomus Vedi ultimo messaggio

Nessun messaggio da leggere
Arhopalus syriacus (Reitter, 1895) - Cerambycidae
21.VI.2009 - ITALIA - Sardegna - SS
Allegato(i) Dettagli della specie
Arhopalus syriacus (Reitter, 1895)
Cerambycidae


21.VI.2009 - ITALIA - Sardegna - SS
Coleoptera

ESAPODA

0

470

22/12/2009, 13:47

ESAPODA Vedi ultimo messaggio

Nessun messaggio da leggere
Arhopalus syriacus (Reitter, 1895) - Cerambycidae
10.VII.2009 - ITALIA - Sardegna - OR
Allegato(i) Dettagli della specie
Arhopalus syriacus (Reitter, 1895)
Cerambycidae


10.VII.2009 - ITALIA - Sardegna - OR
Coleoptera

ESAPODA

0

665

22/12/2009, 13:47

ESAPODA Vedi ultimo messaggio

Nessun messaggio da leggere
Pogonocherus perroudi perroudi Mulsant, 1839 - Cerambycidae
23.IX.2009 - ITALIA - Sardegna - SS
Allegato(i) Dettagli della specie
Pogonocherus perroudi perroudi Mulsant, 1839
Cerambycidae


23.IX.2009 - ITALIA - Sardegna - SS
Coleoptera

ESAPODA

0

890

22/12/2009, 13:10

ESAPODA Vedi ultimo messaggio

Nessun messaggio da leggere
Cerambyx welensii (Küster, 1845) - Cerambycidae
20.VII.2008 - ITALIA - Marche - AP
Allegato(i) Dettagli della specie
Cerambyx welensii (Küster, 1845)
Cerambycidae


20.VII.2008 - ITALIA - Marche - AP
Coleoptera

Goliathus

0

689

21/12/2009, 23:46

Goliathus Vedi ultimo messaggio

Nessun messaggio da leggere
Brachyta interrogationis (Linnaeus, 1758) - Cerambycidae
14.VII.2009 - ITALIA - Trentino-Alto Adige - TN
Allegato(i) Dettagli della specie
Brachyta interrogationis (Linnaeus, 1758)
Cerambycidae


14.VII.2009 - ITALIA - Trentino-Alto Adige - TN
Coleoptera

Goliathus

5

1357

21/12/2009, 22:37

eurinomio Vedi ultimo messaggio

Nessun messaggio da leggere
Aegosoma scabricorne (Scopoli, 1763) - Cerambycidae
25.VII.2009 - ITALIA - Lazio - RM
Allegato(i) Dettagli della specie
Aegosoma scabricorne (Scopoli, 1763)
Cerambycidae


25.VII.2009 - ITALIA - Lazio - RM
Coleoptera

Goliathus

1

860

20/12/2009, 13:59

Plagionotus Vedi ultimo messaggio

Nessun messaggio da leggere
Pachytodes cerambyciformis (Schrank, 1781) - Cerambycidae
13.VII.2009 - ITALIA - Trentino-Alto Adige - TN
Allegato(i) Dettagli della specie
Pachytodes cerambyciformis (Schrank, 1781)
Cerambycidae


13.VII.2009 - ITALIA - Trentino-Alto Adige - TN
Coleoptera

Goliathus

2

787

20/12/2009, 12:01

Isotomus Vedi ultimo messaggio

Nessun messaggio da leggere
Allegato(i) Dettagli della specie
Grammoptera ruficornis ruficornis (Fabricius, 1781)
Cerambycidae


23.VI.2009 - ITALIA - Veneto - BL
Coleoptera

Maw89

4

1014

20/12/2009, 10:59

Maw89 Vedi ultimo messaggio

Nessun messaggio da leggere
Hylotrupes bajulus (Linnaeus, 1758) - Cerambycidae
6.VI.2009 - ITALIA - Lazio - RM
Allegato(i) Dettagli della specie
Hylotrupes bajulus (Linnaeus, 1758)
Cerambycidae


6.VI.2009 - ITALIA - Lazio - RM
Coleoptera

Goliathus

1

750

20/12/2009, 10:23

Plagionotus Vedi ultimo messaggio

Nessun messaggio da leggere
Pachyta quadrimaculata (Linnaeus, 1758) - Cerambycidae
13.VII.2009 - ITALIA - Trentino-Alto Adige - TN
Allegato(i) Dettagli della specie
Pachyta quadrimaculata (Linnaeus, 1758)
Cerambycidae


13.VII.2009 - ITALIA - Trentino-Alto Adige - TN
Coleoptera

Goliathus

2

998

20/12/2009, 10:22

Plagionotus Vedi ultimo messaggio

Nessun messaggio da leggere
Morimus asper asper (Sulzer, 1776) - Cerambycidae
9.V.2009 - ITALIA - Lazio - RM
Allegato(i) Dettagli della specie
Morimus asper asper (Sulzer, 1776)
Cerambycidae


9.V.2009 - ITALIA - Lazio - RM
Coleoptera

Goliathus

2

759

20/12/2009, 2:24

Goliathus Vedi ultimo messaggio

Nessun messaggio da leggere
Allegato(i) Dettagli della specie
Dorcadion (Pedestredorcadion) etruscum (Rossi, 1790)
Cerambycidae


1999 - ITALIA - Marche
Coleoptera

StagBeetle

5

1171

16/12/2009, 20:12

Plagionotus Vedi ultimo messaggio

Nessun messaggio da leggere
Allegato(i)
Pogonocherus cedri (Peyerimhoff, 1916)

ALGERIA - EE
Coleoptera

Isotomus

12

2032

04/12/2009, 16:01

Xylosteus Vedi ultimo messaggio

Nessun messaggio da leggere
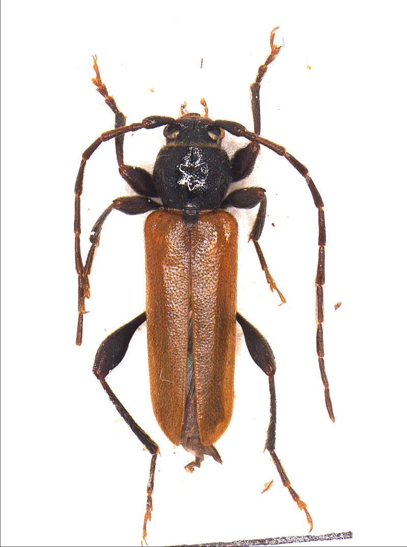
Phoracantha recurva Newman, 1840 - Cerambycidae
22.XII.2006 - ITALIA - Sicilia - PA
Allegato(i) Dettagli della specie
Phoracantha recurva Newman, 1840
Cerambycidae


22.XII.2006 - ITALIA - Sicilia - PA
Coleoptera

Velvet Ant

3

1692

08/11/2009, 17:19

Entomarci Vedi ultimo messaggio

Nessun messaggio da leggere
Allegato(i)
Daramus sahrawi Sama & Rapuzzi, 2008, Cerambycidae, Hesperophanini, Daraminae

MAROCCO - EE
Coleoptera

Isotomus

0

559

04/11/2009, 19:16

Isotomus Vedi ultimo messaggio

Nessun messaggio da leggere
Allegato(i)
Stenurella vaucheri (Bedel, 1900) - Cerambycidae

MAROCCO - EE
Coleoptera

Isotomus

0

648

02/11/2009, 16:05

Isotomus Vedi ultimo messaggio

Nessun messaggio da leggere
Leptura aurulenta Fabricius, 1792 - Cerambycidae
8.VI.2008 - ITALIA - Liguria - SV
Allegato(i) Dettagli della specie
Leptura aurulenta Fabricius, 1792
Cerambycidae


8.VI.2008 - ITALIA - Liguria - SV
Coleoptera

arcing

2

1091

01/11/2009, 11:17

arcing Vedi ultimo messaggio

Nessun messaggio da leggere
Allegato(i) Dettagli della specie
Xylosteus spinolae Frivaldszky, 1837
Cerambycidae


IX.2009 - SLOVENIA - EE
Coleoptera

Isotomus

9

2536

30/10/2009, 15:33

Drymochares Vedi ultimo messaggio

Nessun messaggio da leggere
Clytus triangulimacula Costa, 1847 - Cerambycidae
1999 - ITALIA - Campania - NA
Allegato(i) Dettagli della specie
Clytus triangulimacula Costa, 1847
Cerambycidae


1999 - ITALIA - Campania - NA
Coleoptera

Jacek Hilszczanski

1

1328

29/10/2009, 9:27

Hemerobius Vedi ultimo messaggio

Nessun messaggio da leggere
Phytoecia cylindrica (Linnaeus, 1758) - Cerambycidae
19.VII.2009 - ITALIA - Veneto - BL
Allegato(i) Dettagli della specie
Phytoecia cylindrica (Linnaeus, 1758)
Cerambycidae


19.VII.2009 - ITALIA - Veneto - BL
Coleoptera

Maw89

2

1421

27/10/2009, 10:55

Maw89 Vedi ultimo messaggio

Nessun messaggio da leggere
Allegato(i) Dettagli della specie
Dinoptera (Dinoptera) collaris (Linnaeus, 1758)
Cerambycidae


ITALIA - Marche - MC
Coleoptera

dorbodervus

4

1748

26/10/2009, 21:47

dorbodervus Vedi ultimo messaggio

Nessun messaggio da leggere
Allegato(i)
Rhamnusium algericum Pic, 1896 - Cerambycidae - proposte di revisione del genere

TUNISIA - EE
Coleoptera

Isotomus

10

3361

25/10/2009, 19:59

Entomarci Vedi ultimo messaggio

Nessun messaggio da leggere
Allegato(i) Dettagli della specie
Phymatodes testaceus (Linnaeus, 1758)
Cerambycidae

[ Vai alla paginaVai alla pagina: 1, 2 ]



ITALIA - Sardegna - OG
Coleoptera

Hemerobius

18

5297

25/10/2009, 8:20

Isotomus Vedi ultimo messaggio

Nessun messaggio da leggere
Idactus iranicus Breuning, 1975
IRAN, REPUBBLICA ISLAMICA DELL' - EE
Allegato(i)
Idactus iranicus Breuning, 1975

IRAN, REPUBBLICA ISLAMICA DELL' - EE
Coleoptera

Isotomus

8

1743

22/10/2009, 9:46

Daniele Sechi Vedi ultimo messaggio

Nessun messaggio da leggere
Allegato(i) Dettagli della specie
Rhamnusium graecum italicum G. Müller, 1966
Cerambycidae


2003 - ITALIA - Basilicata - PZ
Coleoptera

Isotomus

6

2294

22/10/2009, 8:53

Plagionotus Vedi ultimo messaggio

Nessun messaggio da leggere
Allegato(i) Dettagli della specie
Rhamnusium bicolor demaggii Tippmann, 1956
Cerambycidae


V.2009 - ITALIA - Lazio - RM
Coleoptera

elleelle

4

1853

22/10/2009, 8:10

Isotomus Vedi ultimo messaggio

Nessun messaggio da leggere
Allegato(i)
Peyeremoceras surcoufi (Peyerimhoff, 1920)

ALGERIA - EE
Coleoptera

Isotomus

6

1641

21/10/2009, 18:24

Isotomus Vedi ultimo messaggio

Nessun messaggio da leggere
Allegato(i) Dettagli della specie
Hesperophanes sericeus (Fabricius, 1787)
Cerambycidae


ITALIA - Sardegna - OT
Coleoptera

Mauro

2

1479

21/10/2009, 14:30

Mauro Vedi ultimo messaggio

Nessun messaggio da leggere
Allegato(i) Dettagli della specie
Poecilium pusillum pusillum (Fabricius, 1787)
Cerambycidae


REPUBBLICA CECA - EE
Coleoptera

Trichoferus

2

1309

20/10/2009, 20:49

Trichoferus Vedi ultimo messaggio

Nessun messaggio da leggere
Allegato(i) Dettagli della specie
Pogonocherus marcoi Sama, 1993
Cerambycidae


ITALIA - Toscana - GR
Coleoptera

Isotomus

12

3044

20/10/2009, 20:21

Plagionotus Vedi ultimo messaggio

Nessun messaggio da leggere
Rhamnusium graecum graecum Schaufuss, 1862
12.V.2007 - GRECIA - EE
Allegato(i)
Rhamnusium graecum graecum Schaufuss, 1862

12.V.2007 - GRECIA - EE
Coleoptera

Trichoferus

1

877

20/10/2009, 14:09

Velvet Ant Vedi ultimo messaggio

Nessun messaggio da leggere
Pseudogaurotina excellens (Brancsik 1874)
11.VII.2009 - SLOVACCHIA - EE
Allegato(i)
Pseudogaurotina excellens (Brancsik 1874)

11.VII.2009 - SLOVACCHIA - EE
Coleoptera

Drymochares

2

984

20/10/2009, 12:39

Drymochares Vedi ultimo messaggio

Visualizza ultimi argomenti:  Ordina per  Ordine:  
nuovo argomento
Vai alla pagina Precedente  1 ... 88, 89, 90, 91, 92, 93  Prossimo
Pagina 91 di 93 [ 4647 argomenti ]

Tutti gli orari sono UTC + 1 ora [ ora legale ]


Chi c’è in linea

Visitano il forum: Nessuno e 1 ospite


Legenda
Messaggi da leggere Messaggi da leggere Nessun messaggio da leggere Nessun messaggio da leggere Annuncio Annuncio
 
Specie indeterminata / discussione generica
Messaggi non letti [ Popolari ] Messaggi non letti [ Popolari ] Nessun messaggio da leggere [ Popolare ] Nessun messaggio da leggere [ Popolare ] Importante Importante
 
Specie determinata fino al genere o cf.
Messaggi non letti [ Bloccati ] Messaggi non letti [ Bloccati ] No messaggi non letti [ Bloccati ] No messaggi non letti [ Bloccati ] Argomento spostato Argomento spostato
 
Specie correttamente determinata
Permessi
Non puoi aprire nuovi argomenti
Non puoi rispondere negli argomenti
Non puoi modificare i tuoi messaggi
Non puoi cancellare i tuoi messaggi
Non puoi inviare allegati

Cerca per:
Vai a: