Benvenuto Ospite

Forum Entomologi Italiani

www.entomologiitaliani.net/forum
 
Oggi è 07/11/2025, 14:59

Tutti gli orari sono UTC + 1 ora [ ora legale ]


92% 
2927 taxa correttamente determinati su 3178 presenti in archivio

Cerambycidae


[ AFROTROPICALE ] [ ANTARTICO ] [ AUSTRALASIANO ] [ NEARTICO ] [ NEOTROPICALE ] [ ORIENTALE ] [ PALEARTICO ]


nuovo argomento
Vai alla pagina Precedente  1 ... 89, 90, 91, 92, 93  Prossimo
Pagina 92 di 93 [ 4647 argomenti ]
 Argomenti   Ordine   Autore   Risposte   Visite    Ultimo messaggio 
Annunci
Nessun messaggio da leggere
Allegato(i)
Incontri entomologici telematici organizzati dalla Società Entomologica Italiana nel 2022 e nel 2023

[ Vai alla paginaVai alla pagina: 1, 2, 3 ]

 

Velvet Ant

44

1425697

03/03/2023, 15:55

Velvet Ant Vedi ultimo messaggio

Nessun messaggio da leggere  
Allegato(i)
Sondaggio sul declino dell'entomofauna in Italia

[ Vai alla paginaVai alla pagina: 1, 2, 3, 4 ]

 

Velvet Ant

52

1753320

22/10/2022, 19:18

Acquarius Vedi ultimo messaggio

Nessun messaggio da leggere  
Allegato(i)
Progetto: Bibliografia ragionata dei lavori entomologici nei quali sono citati reperti apparsi su FEI

[ Vai alla paginaVai alla pagina: 1, 2, 3 ]

 

Velvet Ant

33

1168108

06/07/2023, 18:31

Orotrechus Vedi ultimo messaggio

Nessun messaggio da leggere
Allegato(i)
Mimesi, il primo documentario cinematografico sull’entomologia in Italia: casting
 

mazzeip

1

456321

28/02/2019, 20:26

mazzeip Vedi ultimo messaggio

Questo argomento è bloccato, non puoi modificare o inviare ulteriori messaggi.
Allegato(i)
ISTRUZIONI PUBBLICAZIONE NUOVI ARGOMENTI E FOTO

 
Altri Ordini di Insetti

Julodis

4

897980

13/05/2015, 19:37

Julodis Vedi ultimo messaggio

Nessun messaggio da leggere
Allegato(i)
Limitatore giornaliero di messaggi, uno strumento utile e ormai indispensabile

[ Vai alla paginaVai alla pagina: 1 ... 14, 15, 16 ]

 

Velvet Ant

233

8808309

25/09/2014, 14:31

Inachis Vedi ultimo messaggio

Nessun messaggio da leggere  
NORME PER I COLLABORATORI DEL FORUM

 
 

Velvet Ant

0

478634

02/06/2011, 12:05

Velvet Ant Vedi ultimo messaggio

Nessun messaggio da leggere
Allegato(i)
NORME PER GLI UTENTI DEL FORUM

[ Vai alla paginaVai alla pagina: 1, 2, 3 ]



 
 

Velvet Ant

30

2343703

23/09/2014, 23:54

Maurizio Bollino Vedi ultimo messaggio

Questo argomento è bloccato, non puoi modificare o inviare ulteriori messaggi.  
Elenco delle specie italiane di Cerambycidae presenti sul forum
Cerambycidae


 
Coleoptera

Plagionotus

0

5994

22/11/2010, 22:28

Plagionotus Vedi ultimo messaggio

Nessun messaggio da leggere  
Lista degli utenti del "Forum entomologi italiani" per campi di interesse e specializzazione

 
Altri Ordini di Insetti

Velvet Ant

13

943215

07/09/2023, 17:14

Roberto-07 Vedi ultimo messaggio

Argomenti
Nessun messaggio da leggere
Saperda similis Laicharting, 1784 - Cerambycidae
3.VI.2009 - REPUBBLICA CECA - EE
Allegato(i) Dettagli della specie
Saperda similis Laicharting, 1784
Cerambycidae


3.VI.2009 - REPUBBLICA CECA - EE
Coleoptera

Drymochares

0

841

20/10/2009, 12:00

Drymochares Vedi ultimo messaggio

Nessun messaggio da leggere
Allegato(i) Dettagli della specie
Leptura quadrifasciata quadrifasciata Linnaeus, 1758
Cerambycidae


2009 - POLONIA - EE
Coleoptera

Drymochares

4

1354

20/10/2009, 11:17

Drymochares Vedi ultimo messaggio

Nessun messaggio da leggere
Allegato(i)
Parandra (Neandra) brunnea Fabricius 1798 - Cerambycidae
Cerambycidae


13.VIII.2009 - GERMANIA - EE
Coleoptera

Drymochares

0

913

20/10/2009, 9:51

Drymochares Vedi ultimo messaggio

Nessun messaggio da leggere
Allegato(i)
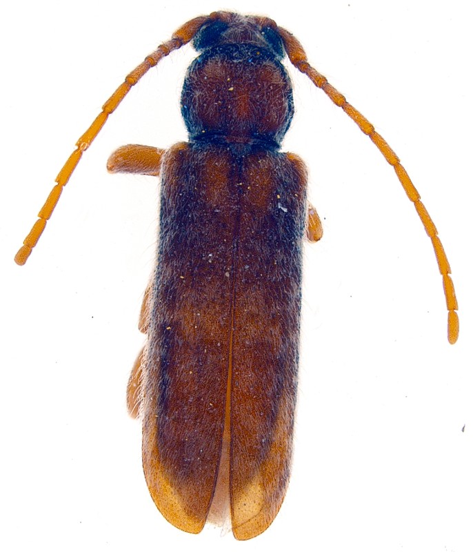
Lepromoris gibba (Brullé, 1839)

SPAGNA - EE
Coleoptera

Isotomus

0

641

19/10/2009, 19:35

Isotomus Vedi ultimo messaggio

Nessun messaggio da leggere
Allegato(i) Dettagli della specie
Stenopterus ater (Linnaeus, 1767)
Cerambycidae


MAROCCO - EE
Coleoptera

Isotomus

0

818

19/10/2009, 18:43

Isotomus Vedi ultimo messaggio

Nessun messaggio da leggere
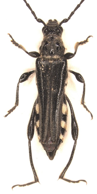
Hylotrupes bajulus (Linnaeus, 1758) - Cerambycidae
1.VII.2009 - ITALIA - Sicilia - TP
Allegato(i) Dettagli della specie
Hylotrupes bajulus (Linnaeus, 1758)
Cerambycidae


1.VII.2009 - ITALIA - Sicilia - TP
Coleoptera

gigi58

2

1174

18/10/2009, 12:22

gigi58 Vedi ultimo messaggio

Nessun messaggio da leggere
Allegato(i) Dettagli della specie
Agapanthia (Agapanthia) suturalis (Fabricius, 1787)
Cerambycidae

[ Vai alla paginaVai alla pagina: 1, 2 ]



VI.2009 - ITALIA - Sicilia - RG
Coleoptera

soken

17

6094

17/10/2009, 8:59

Isotomus Vedi ultimo messaggio

Nessun messaggio da leggere
Arhopalus ferus (Mulsant, 1839) - Cerambycidae
26.IX.2009 - ITALIA - Marche - AN
Allegato(i) Dettagli della specie
Arhopalus ferus (Mulsant, 1839)
Cerambycidae


26.IX.2009 - ITALIA - Marche - AN
Coleoptera

StagBeetle

9

2620

16/10/2009, 21:31

Entomarci Vedi ultimo messaggio

Nessun messaggio da leggere
Allegato(i) Dettagli della specie
Clytus triangulimacula Costa, 1847
Cerambycidae


ITALIA - Puglia - FG
Coleoptera

Isotomus

3

2289

16/10/2009, 10:20

Isotomus Vedi ultimo messaggio

Nessun messaggio da leggere
Allegato(i) Dettagli della specie
Hylotrupes bajulus (Linnaeus, 1758)
Cerambycidae


ITALIA - Veneto - BL
Coleoptera

Maw89

11

2855

15/10/2009, 13:55

Plagionotus Vedi ultimo messaggio

Nessun messaggio da leggere
Allegato(i) Dettagli della specie
Parmena pubescens pubescens (Dalman, 1817)
Cerambycidae


ITALIA - Sicilia - PA
Coleoptera

Trichoferus

5

1853

12/10/2009, 11:48

Mike Vedi ultimo messaggio

Nessun messaggio da leggere
Allegato(i)
Dorcadion (Pedestredorcadion) equestre reclinatum Kraatz, 1892 - Cerambycidae

MACEDONIA, REPUBBLICA JUGOSLAVA DELLA - EE
Coleoptera

ivo

4

2026

12/10/2009, 8:17

ivo Vedi ultimo messaggio

Nessun messaggio da leggere
Chlorophorus trifasciatus (Fabricius, 1781) - Cerambycidae
VI.2008 - ITALIA - Emilia-Romagna - BO
Allegato(i) Dettagli della specie
Chlorophorus trifasciatus (Fabricius, 1781)
Cerambycidae


VI.2008 - ITALIA - Emilia-Romagna - BO
Coleoptera

Loriscola

8

2517

11/10/2009, 20:54

Xylosteus Vedi ultimo messaggio

Nessun messaggio da leggere
Rhamnusium graecum graecum Schaufuss, 1862
21.V.2007 - GRECIA - EE
Allegato(i)
Rhamnusium graecum graecum Schaufuss, 1862

21.V.2007 - GRECIA - EE
Coleoptera

Trichoferus

2

1486

11/10/2009, 20:28

Xylosteus Vedi ultimo messaggio

Nessun messaggio da leggere
Cortodera femorata (Fabricius, 1787) - Cerambycidae
2.VI.2008 - ITALIA - Trentino-Alto Adige - BZ
Allegato(i) Dettagli della specie
Cortodera femorata (Fabricius, 1787)
Cerambycidae


2.VI.2008 - ITALIA - Trentino-Alto Adige - BZ
Coleoptera

Glaphyrus

1

1162

05/10/2009, 20:44

Velvet Ant Vedi ultimo messaggio

Nessun messaggio da leggere
Phytoecia caerulea caerulea (Scopoli, 1772) - Cerambycidae
17.IV.2009 - ITALIA - Sicilia - PA
Allegato(i) Dettagli della specie
Phytoecia caerulea caerulea (Scopoli, 1772)
Cerambycidae


17.IV.2009 - ITALIA - Sicilia - PA
Coleoptera

gigi58

3

1191

05/10/2009, 18:30

gigi58 Vedi ultimo messaggio

Nessun messaggio da leggere
Paracorymbia fulva (De Geer, 1775) - Cerambycidae
VII.2009 - ITALIA - Emilia-Romagna - BO
Allegato(i) Dettagli della specie
Paracorymbia fulva (De Geer, 1775)
Cerambycidae


VII.2009 - ITALIA - Emilia-Romagna - BO
Coleoptera

Loriscola

3

1053

05/10/2009, 18:02

Isotomus Vedi ultimo messaggio

Nessun messaggio da leggere
Allegato(i) Dettagli della specie
Parmena solieri Mulsant, 1839
Cerambycidae


ITALIA - Sardegna - SS
Coleoptera

ESAPODA

6

1483

03/10/2009, 22:38

Plagionotus Vedi ultimo messaggio

Nessun messaggio da leggere
Hesperophanes sericeus (Fabricius, 1787) - Cerambycidae
31.VIII.2009 - ITALIA - Toscana - LI
Allegato(i) Dettagli della specie
Hesperophanes sericeus (Fabricius, 1787)
Cerambycidae


31.VIII.2009 - ITALIA - Toscana - LI
Coleoptera

Pietro Niolu

5

1546

30/09/2009, 20:50

Mauro Vedi ultimo messaggio

Nessun messaggio da leggere
Cerambyx scopolii scopolii Fuessly, 1775 - Cerambycidae
17.V.2009 - ITALIA - Emilia-Romagna - RE
Allegato(i) Dettagli della specie
Cerambyx scopolii scopolii Fuessly, 1775
Cerambycidae


17.V.2009 - ITALIA - Emilia-Romagna - RE
Coleoptera

Plagionotus

7

2887

24/09/2009, 13:52

Plagionotus Vedi ultimo messaggio

Nessun messaggio da leggere
Allegato(i) Dettagli della specie
Pachytodes erraticus erraticus (Dalman, 1817)
Cerambycidae


18.VI.2009 - SLOVENIA - EE
Coleoptera

klosse

7

2065

23/09/2009, 20:05

Isotomus Vedi ultimo messaggio

Nessun messaggio da leggere
Allegato(i) Dettagli della specie
Chlorophorus glabromaculatus (Goeze, 1777)
Cerambycidae


ITALIA - Emilia-Romagna - BO
Coleoptera

Loriscola

1

887

22/09/2009, 8:16

Herzog Vedi ultimo messaggio

Nessun messaggio da leggere
Allegato(i) Dettagli della specie
Chlorophorus varius varius (O. F. Müller, 1766)
Cerambycidae


VIII.2009 - ITALIA - Sicilia - RG
Coleoptera

soken

3

1207

21/09/2009, 22:43

Loriscola Vedi ultimo messaggio

Nessun messaggio da leggere
Allegato(i) Dettagli della specie
Purpuricenus (Purpuricenus) kaehleri kaehleri (Linnaeus, 1758)
Cerambycidae


24.VI.2006 - ITALIA - Sicilia - PA
Coleoptera

Velvet Ant

0

581

21/09/2009, 22:24

Velvet Ant Vedi ultimo messaggio

Nessun messaggio da leggere
Allegato(i) Dettagli della specie
Purpuricenus (Purpuricenus) kaehleri kaehleri (Linnaeus, 1758)
Cerambycidae


VI.2009 - ITALIA - Emilia-Romagna - BO
Coleoptera

Loriscola

3

1144

21/09/2009, 22:24

Velvet Ant Vedi ultimo messaggio

Nessun messaggio da leggere
Allegato(i) Dettagli della specie
Pedostrangalia (Pedostrangalia) revestita (Linnaeus, 1767)
Cerambycidae


ITALIA - Emilia-Romagna - BO
Coleoptera

Loriscola

1

924

20/09/2009, 22:20

Trichoferus Vedi ultimo messaggio

Nessun messaggio da leggere
Stenopterus ater (Linnaeus, 1767) - Cerambycidae
VI.2009 - ITALIA - Emilia-Romagna - BO
Allegato(i) Dettagli della specie
Stenopterus ater (Linnaeus, 1767)
Cerambycidae


VI.2009 - ITALIA - Emilia-Romagna - BO
Coleoptera

Loriscola

0

548

20/09/2009, 21:56

Loriscola Vedi ultimo messaggio

Nessun messaggio da leggere
Allegato(i) Dettagli della specie
Musaria cephalotes (Küster, 1846)
Cerambycidae


VII.2009 - SLOVENIA - EE
Coleoptera

Trichoferus

3

1231

20/09/2009, 10:30

Hemerobius Vedi ultimo messaggio

Nessun messaggio da leggere
Leiopus nebulosus nebulosus (Linnaeus, 1758) - Cerambycidae
22.VII.2002 - ITALIA - Piemonte - CN
Allegato(i) Dettagli della specie
Leiopus nebulosus nebulosus (Linnaeus, 1758)
Cerambycidae


22.VII.2002 - ITALIA - Piemonte - CN
Coleoptera

Hemerobius

0

613

18/09/2009, 17:38

Hemerobius Vedi ultimo messaggio

Nessun messaggio da leggere
Stenopterus ater (Linnaeus, 1767) - Cerambycidae
20.IX.2009 - ITALIA - Sardegna - SS
Allegato(i) Dettagli della specie
Stenopterus ater (Linnaeus, 1767)
Cerambycidae


20.IX.2009 - ITALIA - Sardegna - SS
Coleoptera

Hemerobius

1

760

16/09/2009, 18:54

aug Vedi ultimo messaggio

Nessun messaggio da leggere
Lamia textor (Linnaeus, 1758) - Cerambycidae
25.VI.2008 - ITALIA - Marche - AN
Allegato(i) Dettagli della specie
Lamia textor (Linnaeus, 1758)
Cerambycidae


25.VI.2008 - ITALIA - Marche - AN
Coleoptera

StagBeetle

10

2911

15/09/2009, 17:59

Entomarci Vedi ultimo messaggio

Nessun messaggio da leggere
Allegato(i)
Rhaesus serricollis (Motschulsky 1838) Cerambycidae Bulgaria

BULGARIA - EE
Coleoptera

Isotomus

1

1470

15/09/2009, 13:09

Plagionotus Vedi ultimo messaggio

Nessun messaggio da leggere
Monochamus galloprovincialis (Olivier, 1795) - Cerambycidae
13.IX.2009 - ITALIA - Sicilia - PA
Allegato(i) Dettagli della specie
Monochamus galloprovincialis (Olivier, 1795)
Cerambycidae


13.IX.2009 - ITALIA - Sicilia - PA
Coleoptera

carabus

3

1332

14/09/2009, 20:35

carabus Vedi ultimo messaggio

Nessun messaggio da leggere
Arhopalus ferus (Mulsant, 1839) - Cerambycidae
21.VIII.2009 - ITALIA - Marche - AN
Allegato(i) Dettagli della specie
Arhopalus ferus (Mulsant, 1839)
Cerambycidae


21.VIII.2009 - ITALIA - Marche - AN
Coleoptera

StagBeetle

3

1305

10/09/2009, 12:48

vitalfranz Vedi ultimo messaggio

Nessun messaggio da leggere
Ergates faber opifex Mulsant, 1851 - Cerambycidae
27.VIII.2009 - ITALIA - Sicilia - ME
Allegato(i) Dettagli della specie
Ergates faber opifex Mulsant, 1851
Cerambycidae


27.VIII.2009 - ITALIA - Sicilia - ME
Coleoptera

Salvatore Saitta

4

1623

07/09/2009, 18:25

Salvatore Saitta Vedi ultimo messaggio

Nessun messaggio da leggere
Cornumutila lineata (Letzner, 1844) - Cerambycidae
ITALIA - Trentino-Alto Adige - BZ
Allegato(i) Dettagli della specie
Cornumutila lineata (Letzner, 1844)
Cerambycidae


ITALIA - Trentino-Alto Adige - BZ
Coleoptera

andreafabbri

10

3096

01/09/2009, 10:56

Plagionotus Vedi ultimo messaggio

Nessun messaggio da leggere
Allegato(i) Dettagli della specie
Tragosoma depsarium (Linnaeus, 1767)
Cerambycidae


AUSTRIA - EE
Coleoptera

andreafabbri

10

3320

30/08/2009, 19:13

Entomarci Vedi ultimo messaggio

Nessun messaggio da leggere
Aegomorphus clavipes (Schrank, 1781) - Cerambycidae
24.VI.2009 - ITALIA - Emilia-Romagna - MO
Allegato(i) Dettagli della specie
Aegomorphus clavipes (Schrank, 1781)
Cerambycidae


24.VI.2009 - ITALIA - Emilia-Romagna - MO
Coleoptera

Plagionotus

3

2135

30/08/2009, 15:44

Entomarci Vedi ultimo messaggio

Nessun messaggio da leggere
Parmena pubescens pubescens (Dalman, 1817) - Cerambycidae
6.VIII.2009 - ITALIA - Marche - AN
Allegato(i) Dettagli della specie
Parmena pubescens pubescens (Dalman, 1817)
Cerambycidae


6.VIII.2009 - ITALIA - Marche - AN
Coleoptera

StagBeetle

9

2632

26/08/2009, 12:48

Maw89 Vedi ultimo messaggio

Nessun messaggio da leggere
Allegato(i) Dettagli della specie
Vadonia imitatrix (J. Daniel & K. Daniel, 1891)
Cerambycidae


3.VI.2009 - SLOVENIA - EE
Coleoptera

klosse

3

1446

25/08/2009, 15:38

klosse Vedi ultimo messaggio

Nessun messaggio da leggere
Allegato(i) Dettagli della specie
Xylotrechus (Xylotrechus) arvicola (Olivier, 1795)
Cerambycidae


16.VII.2009 - ITALIA - Marche - AN
Coleoptera

StagBeetle

3

1499

24/08/2009, 19:18

Plagionotus Vedi ultimo messaggio

Nessun messaggio da leggere
Allegato(i) Dettagli della specie
Xylotrechus (Xylotrechus) antilope antilope (Schöenherr, 1817)
Cerambycidae


5.VI.2009 - ITALIA - Sicilia - PA
Coleoptera

Velvet Ant

0

836

22/08/2009, 9:41

Velvet Ant Vedi ultimo messaggio

Nessun messaggio da leggere
Allegato(i) Dettagli della specie
Trichoferus fasciculatus fasciculatus (Faldermann, 1837)
Cerambycidae


30.VIII.2007 - ITALIA - Sardegna - OG
Coleoptera

Hemerobius

2

915

21/08/2009, 21:26

vitalfranz Vedi ultimo messaggio

Nessun messaggio da leggere
Clytus arietis arietis (Linnaeus, 1758) - Cerambycidae
VI.2009 - ITALIA - Lazio - RM
Allegato(i) Dettagli della specie
Clytus arietis arietis (Linnaeus, 1758)
Cerambycidae


VI.2009 - ITALIA - Lazio - RM
Coleoptera

soken

4

969

20/08/2009, 18:22

soken Vedi ultimo messaggio

Nessun messaggio da leggere
Allegato(i) Dettagli della specie
Stictoleptura cordigera cordigera (Fuessly, 1775)
Cerambycidae


24.VI.2006 - ITALIA - Sicilia - PA
Coleoptera

Velvet Ant

4

1047

20/08/2009, 17:46

vitalfranz Vedi ultimo messaggio

Nessun messaggio da leggere
Allegato(i) Dettagli della specie
Stenurella bifasciata bifasciata (O. F. Müller, 1776)
Cerambycidae


VI.2009 - ITALIA - Lazio - RM
Coleoptera

soken

4

902

16/08/2009, 22:20

soken Vedi ultimo messaggio

Nessun messaggio da leggere
Allegato(i) Dettagli della specie
Agapanthia (Agapanthia) cardui (Linnaeus, 1767)
Cerambycidae


VI.2009 - ITALIA - Lazio - RM
Coleoptera

soken

2

1007

15/08/2009, 19:12

soken Vedi ultimo messaggio

Nessun messaggio da leggere
Allegato(i) Dettagli della specie
Stenopterus ater (Linnaeus, 1767)
Cerambycidae


ITALIA - Sicilia - RG
Coleoptera

soken

3

814

15/08/2009, 15:26

soken Vedi ultimo messaggio

Nessun messaggio da leggere
Allegato(i) Dettagli della specie
Stenopterus ater (Linnaeus, 1767)
Cerambycidae


ITALIA - Lazio - RM
Coleoptera

soken

3

856

15/08/2009, 15:26

soken Vedi ultimo messaggio

Nessun messaggio da leggere
Allegato(i) Dettagli della specie
Stictoleptura cordigera cordigera (Fuessly, 1775)
Cerambycidae


VI.2009 - ITALIA - Lazio - RM
Coleoptera

soken

2

901

14/08/2009, 22:42

soken Vedi ultimo messaggio

Visualizza ultimi argomenti:  Ordina per  Ordine:  
nuovo argomento
Vai alla pagina Precedente  1 ... 89, 90, 91, 92, 93  Prossimo
Pagina 92 di 93 [ 4647 argomenti ]

Tutti gli orari sono UTC + 1 ora [ ora legale ]


Chi c’è in linea

Visitano il forum: Nessuno e 1 ospite


Legenda
Messaggi da leggere Messaggi da leggere Nessun messaggio da leggere Nessun messaggio da leggere Annuncio Annuncio
 
Specie indeterminata / discussione generica
Messaggi non letti [ Popolari ] Messaggi non letti [ Popolari ] Nessun messaggio da leggere [ Popolare ] Nessun messaggio da leggere [ Popolare ] Importante Importante
 
Specie determinata fino al genere o cf.
Messaggi non letti [ Bloccati ] Messaggi non letti [ Bloccati ] No messaggi non letti [ Bloccati ] No messaggi non letti [ Bloccati ] Argomento spostato Argomento spostato
 
Specie correttamente determinata
Permessi
Non puoi aprire nuovi argomenti
Non puoi rispondere negli argomenti
Non puoi modificare i tuoi messaggi
Non puoi cancellare i tuoi messaggi
Non puoi inviare allegati

Cerca per:
Vai a: