Benvenuto Ospite

Forum Entomologi Italiani

www.entomologiitaliani.net/forum
 
Oggi è 27/12/2025, 14:54

Tutti gli orari sono UTC + 1 ora [ ora legale ]


100%
tutti i taxon di questo archivio sono stati determinati correttamente

Meloidae


[ AFROTROPICALE ] [ ANTARTICO ] [ AUSTRALASIANO ] [ NEARTICO ] [ NEOTROPICALE ] [ ORIENTALE ] [ PALEARTICO ]


nuovo argomento
Vai alla pagina 1, 2, 3, 4, 5, 6  Prossimo
Pagina 1 di 6 [ 296 argomenti ]
 Argomenti   Ordine   Autore   Risposte   Visite    Ultimo messaggio 
Annunci
Nessun messaggio da leggere
Allegato(i)
Incontri entomologici della Società Entomologica Italiana 2025-2026
 

Velvet Ant

0

14874

17/11/2025, 19:41

Velvet Ant Vedi ultimo messaggio

Nessun messaggio da leggere
Allegato(i)
Incontri entomologici telematici organizzati dalla Società Entomologica Italiana nel 2022 e nel 2023

[ Vai alla paginaVai alla pagina: 1, 2, 3 ]

 

Velvet Ant

44

1712822

03/03/2023, 15:55

Velvet Ant Vedi ultimo messaggio

Nessun messaggio da leggere  
Allegato(i)
Sondaggio sul declino dell'entomofauna in Italia

[ Vai alla paginaVai alla pagina: 1, 2, 3, 4 ]

 

Velvet Ant

52

2338568

22/10/2022, 19:18

Acquarius Vedi ultimo messaggio

Nessun messaggio da leggere  
Allegato(i)
Progetto: Bibliografia ragionata dei lavori entomologici nei quali sono citati reperti apparsi su FEI

[ Vai alla paginaVai alla pagina: 1, 2, 3 ]

 

Velvet Ant

33

1375479

06/07/2023, 18:31

Orotrechus Vedi ultimo messaggio

Nessun messaggio da leggere
Allegato(i)
Mimesi, il primo documentario cinematografico sull’entomologia in Italia: casting
 

mazzeip

1

1090380

28/02/2019, 20:26

mazzeip Vedi ultimo messaggio

Questo argomento è bloccato, non puoi modificare o inviare ulteriori messaggi.
Allegato(i)
ISTRUZIONI PUBBLICAZIONE NUOVI ARGOMENTI E FOTO

 
Altri Ordini di Insetti

Julodis

4

2889451

13/05/2015, 19:37

Julodis Vedi ultimo messaggio

Nessun messaggio da leggere
Allegato(i)
Limitatore giornaliero di messaggi, uno strumento utile e ormai indispensabile

[ Vai alla paginaVai alla pagina: 1 ... 14, 15, 16 ]

 

Velvet Ant

233

12487370

25/09/2014, 14:31

Inachis Vedi ultimo messaggio

Nessun messaggio da leggere  
NORME PER I COLLABORATORI DEL FORUM

 
 

Velvet Ant

0

634561

02/06/2011, 12:05

Velvet Ant Vedi ultimo messaggio

Nessun messaggio da leggere
Allegato(i)
NORME PER GLI UTENTI DEL FORUM

[ Vai alla paginaVai alla pagina: 1, 2, 3 ]



 
 

Velvet Ant

30

3491924

23/09/2014, 23:54

Maurizio Bollino Vedi ultimo messaggio

Nessun messaggio da leggere  
Lista degli utenti del "Forum entomologi italiani" per campi di interesse e specializzazione

 
Altri Ordini di Insetti

Velvet Ant

13

1013617

07/09/2023, 17:14

Roberto-07 Vedi ultimo messaggio

Argomenti
Nessun messaggio da leggere
Allegato(i) Dettagli della specie
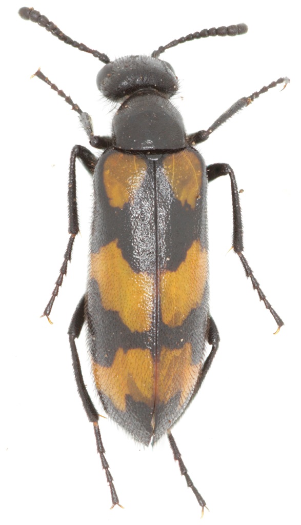
Meloe (Meloe) proscarabaeus proscarabaeus Linnaeus, 1758
Meloidae


23.IV.2024 - ITALIA - Puglia - BA
Coleoptera

ErnstNaef

5

970

25/04/2025, 11:44

ErnstNaef Vedi ultimo messaggio

Nessun messaggio da leggere
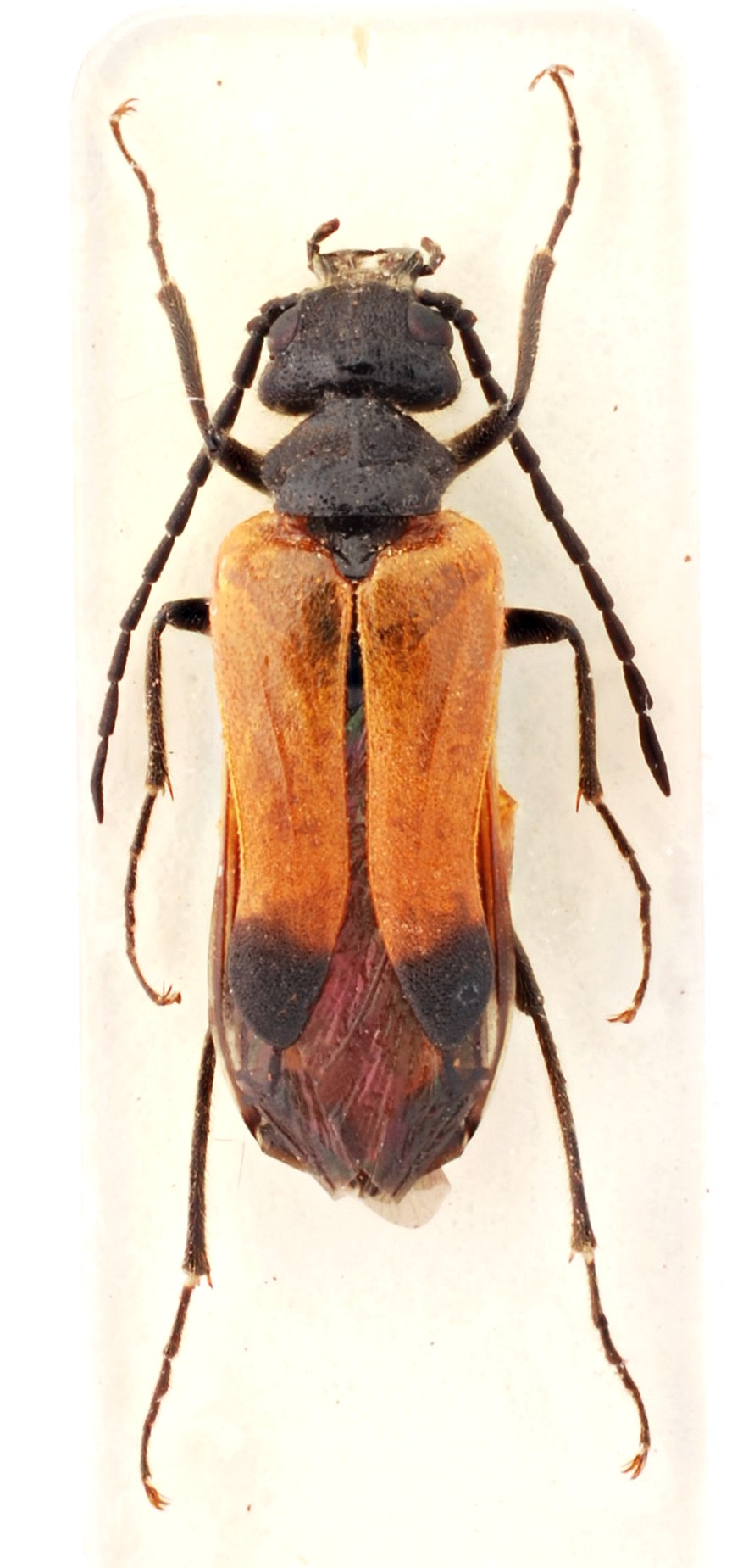
Lydus trimaculatus italicus Kaszab, 1952 - Meloidae
8.VII.2024 - ITALIA - Umbria - PG
Allegato(i) Dettagli della specie
Lydus trimaculatus italicus Kaszab, 1952
Meloidae


8.VII.2024 - ITALIA - Umbria - PG
Coleoptera

angelo.ditta

6

849

19/04/2025, 14:07

angelo.ditta Vedi ultimo messaggio

Nessun messaggio da leggere  
Allegato(i) Dettagli della specie
Meloe (Meloe) violaceus Marsham, 1802
Meloidae


12.IV.2025 - ITALIA - Abruzzo - AQ
Coleoptera

Ermanno61

3

449

19/04/2025, 10:09

Marco A. Bologna Vedi ultimo messaggio

Nessun messaggio da leggere
Meloe (Meloe) proscarabaeus proscarabaeus Linnaeus, 1758 - Meloidae
5.III.2023 - ITALIA - Friuli-Venezia Giulia - PN
Allegato(i) Dettagli della specie
Meloe (Meloe) proscarabaeus proscarabaeus Linnaeus, 1758
Meloidae


5.III.2023 - ITALIA - Friuli-Venezia Giulia - PN
Coleoptera

Michele A

4

820

11/02/2024, 13:56

Marco A. Bologna Vedi ultimo messaggio

Nessun messaggio da leggere
Hycleus polymorphus polymorphus (Pallas, 1771) - Meloidae
31.VII.2023 - ITALIA - Valle d'Aosta - AO
Allegato(i) Dettagli della specie
Hycleus polymorphus polymorphus (Pallas, 1771)
Meloidae


31.VII.2023 - ITALIA - Valle d'Aosta - AO
Coleoptera

Michele A

3

593

11/02/2024, 13:33

Marco A. Bologna Vedi ultimo messaggio

Nessun messaggio da leggere
Allegato(i) Dettagli della specie
Meloe (Treiodous) autumnalis autumnalis A. G. Olivier, 1797
Meloidae


13.IV.2019 - ITALIA - Lombardia - LC
Coleoptera

pinux

7

1983

11/02/2024, 13:30

Marco A. Bologna Vedi ultimo messaggio

Nessun messaggio da leggere
Meloe (Lampromeloe) cavensis L. Petagna, 1819 - Meloidae
12.I.2024 - ITALIA - Sardegna - OR
Allegato(i) Dettagli della specie
Meloe (Lampromeloe) cavensis L. Petagna, 1819
Meloidae


12.I.2024 - ITALIA - Sardegna - OR
Coleoptera

Roberto-07

5

764

11/02/2024, 13:20

Marco A. Bologna Vedi ultimo messaggio

Nessun messaggio da leggere
Mylabris (Mylabris) variabilis (Pallas, 1781) - Meloidae
6.VII.2022 - ITALIA - Marche - PU
Allegato(i) Dettagli della specie
Mylabris (Mylabris) variabilis (Pallas, 1781)
Meloidae


6.VII.2022 - ITALIA - Marche - PU
Coleoptera

plumipes

2

557

17/09/2022, 10:46

plumipes Vedi ultimo messaggio

Nessun messaggio da leggere
Allegato(i) Dettagli della specie
Meloe (Eurymeloe) brevicollis brevicollis Panzer, 1793
Meloidae


13.VI.2021 - ITALIA - Piemonte - CN
Coleoptera

checcapitipiti

3

691

16/09/2022, 17:58

Marco A. Bologna Vedi ultimo messaggio

Nessun messaggio da leggere
Lydus trimaculatus italicus Kaszab, 1952 - Meloidae
4.VI.2022 - ITALIA - Marche - PU
Allegato(i) Dettagli della specie
Lydus trimaculatus italicus Kaszab, 1952
Meloidae


4.VI.2022 - ITALIA - Marche - PU
Coleoptera

plumipes

2

562

16/09/2022, 17:53

Marco A. Bologna Vedi ultimo messaggio

Nessun messaggio da leggere
Lydus trimaculatus italicus Kaszab, 1952 - Meloidae
22.VI.2022 - ITALIA - Emilia-Romagna - PR
Allegato(i) Dettagli della specie
Lydus trimaculatus italicus Kaszab, 1952
Meloidae


22.VI.2022 - ITALIA - Emilia-Romagna - PR
Coleoptera

picollo

6

892

16/09/2022, 17:50

Marco A. Bologna Vedi ultimo messaggio

Nessun messaggio da leggere
Epicauta (Epicauta) rufidorsum (Goeze, 1777) - Meloidae
8.VII.2022 - ITALIA - Marche - PU
Allegato(i) Dettagli della specie
Epicauta (Epicauta) rufidorsum (Goeze, 1777)
Meloidae


8.VII.2022 - ITALIA - Marche - PU
Coleoptera

plumipes

4

789

16/09/2022, 17:46

Marco A. Bologna Vedi ultimo messaggio

Nessun messaggio da leggere
Mylabris (Mylabris) variabilis (Pallas, 1781) - Meloidae
31.VII.2022 - ITALIA - Umbria - PG
Allegato(i) Dettagli della specie
Mylabris (Mylabris) variabilis (Pallas, 1781)
Meloidae


31.VII.2022 - ITALIA - Umbria - PG
Coleoptera

Michele A

4

646

16/09/2022, 17:45

Marco A. Bologna Vedi ultimo messaggio

Nessun messaggio da leggere
Mylabris (Mylabris) variabilis (Pallas, 1781) - Meloidae
31.VIII.2021 - ITALIA - Marche - PU
Allegato(i) Dettagli della specie
Mylabris (Mylabris) variabilis (Pallas, 1781)
Meloidae


31.VIII.2021 - ITALIA - Marche - PU
Coleoptera

plumipes

7

1140

21/03/2022, 16:08

Marco A. Bologna Vedi ultimo messaggio

Nessun messaggio da leggere
Meloe (Eurymeloe) ganglbaueri Apfelbeck, 1905 - Meloidae
21.XII.2021 - ITALIA - Lazio - RM
Allegato(i) Dettagli della specie
Meloe (Eurymeloe) ganglbaueri Apfelbeck, 1905
Meloidae


21.XII.2021 - ITALIA - Lazio - RM
Coleoptera

wgliinsetti

7

1171

21/03/2022, 14:02

wgliinsetti Vedi ultimo messaggio

Nessun messaggio da leggere
Allegato(i) Dettagli della specie
Meloe (Meloe) proscarabaeus proscarabaeus Linnaeus, 1758
Meloidae


9.III.2022 - ITALIA - Marche - PU
Coleoptera

plumipes

7

1376

17/03/2022, 9:40

plumipes Vedi ultimo messaggio

Nessun messaggio da leggere
Lydus trimaculatus italicus Kaszab, 1952 - Meloidae
16.VI.2021 - ITALIA - Marche - PU
Allegato(i) Dettagli della specie
Lydus trimaculatus italicus Kaszab, 1952
Meloidae


16.VI.2021 - ITALIA - Marche - PU
Coleoptera

plumipes

2

687

13/03/2022, 20:10

plumipes Vedi ultimo messaggio

Nessun messaggio da leggere
Stenoria (Stenoria) analis Schaum, 1859 - Meloidae
14.IV.2021 - ITALIA - Sardegna - CA
Allegato(i) Dettagli della specie
Stenoria (Stenoria) analis Schaum, 1859
Meloidae


14.IV.2021 - ITALIA - Sardegna - CA
Coleoptera

Fumea crassiorella

3

713

13/03/2022, 16:53

Enoplium Vedi ultimo messaggio

Nessun messaggio da leggere
Allegato(i) Dettagli della specie
Mylabris (Micrabris) pusilla latialis Magistretti, 1943
Meloidae

[ Vai alla paginaVai alla pagina: 1, 2 ]



20.VIII.2021 - ITALIA - Lazio - RM
Coleoptera

wgliinsetti

23

2584

09/12/2021, 12:39

Marco A. Bologna Vedi ultimo messaggio

Nessun messaggio da leggere
Allegato(i) Dettagli della specie
Meloe (Treiodous) autumnalis autumnalis A. G. Olivier, 1797
Meloidae


23.X.2021 - ITALIA - Toscana - FI
Coleoptera

Semanotus

3

691

09/12/2021, 12:36

Marco A. Bologna Vedi ultimo messaggio

Nessun messaggio da leggere
Meloe (Eurymeloe) brevicollis brevicollis Panzer, 1793 - Meloidae
17.IV.1993 - ITALIA - Emilia-Romagna - FC
Allegato(i) Dettagli della specie
Meloe (Eurymeloe) brevicollis brevicollis Panzer, 1793
Meloidae


17.IV.1993 - ITALIA - Emilia-Romagna - FC
Coleoptera

Semanotus

4

696

09/12/2021, 12:36

Marco A. Bologna Vedi ultimo messaggio

Nessun messaggio da leggere
Meloe (Meloe) violaceus Marsham, 1802 - Meloidae
22.VI.1994 - ITALIA - Emilia-Romagna - FC
Allegato(i) Dettagli della specie
Meloe (Meloe) violaceus Marsham, 1802
Meloidae


22.VI.1994 - ITALIA - Emilia-Romagna - FC
Coleoptera

Semanotus

8

887

09/12/2021, 12:35

Marco A. Bologna Vedi ultimo messaggio

Nessun messaggio da leggere
Sitaris (Sitaris) muralis (Förster, 1771) - Meloidae
1.IX.2021 - ITALIA - Friuli-Venezia Giulia - GO
Allegato(i) Dettagli della specie
Sitaris (Sitaris) muralis (Förster, 1771)
Meloidae


1.IX.2021 - ITALIA - Friuli-Venezia Giulia - GO
Coleoptera

Agdistis

2

575

09/12/2021, 12:29

Marco A. Bologna Vedi ultimo messaggio

Nessun messaggio da leggere
Zonitis (Zonitis) flava Fabricius, 1775 - Meloidae
18.VI.2021 - ITALIA - Lazio - RM
Allegato(i) Dettagli della specie
Zonitis (Zonitis) flava Fabricius, 1775
Meloidae


18.VI.2021 - ITALIA - Lazio - RM
Coleoptera

wgliinsetti

5

924

09/10/2021, 17:21

Marco A. Bologna Vedi ultimo messaggio

Nessun messaggio da leggere
Epicauta (Epicauta) rufidorsum (Goeze, 1777) - Meloidae
7.VII.2021 - ITALIA - Lombardia - BS
Allegato(i) Dettagli della specie
Epicauta (Epicauta) rufidorsum (Goeze, 1777)
Meloidae


7.VII.2021 - ITALIA - Lombardia - BS
Coleoptera

Tc70

4

791

09/10/2021, 17:20

Marco A. Bologna Vedi ultimo messaggio

Nessun messaggio da leggere
Meloe (Meloe) proscarabaeus proscarabaeus Linnaeus, 1758 - Meloidae
12.II.2020 - ITALIA - Emilia-Romagna - PR
Allegato(i) Dettagli della specie
Meloe (Meloe) proscarabaeus proscarabaeus Linnaeus, 1758
Meloidae


12.II.2020 - ITALIA - Emilia-Romagna - PR
Coleoptera

picollo

3

742

09/10/2021, 17:19

Marco A. Bologna Vedi ultimo messaggio

Nessun messaggio da leggere
Epicauta (Epicauta) rufidorsum (Goeze, 1777) - Meloidae
7.VII.2021 - ITALIA - Marche - AN
Allegato(i) Dettagli della specie
Epicauta (Epicauta) rufidorsum (Goeze, 1777)
Meloidae


7.VII.2021 - ITALIA - Marche - AN
Coleoptera

StagBeetle

1

618

09/10/2021, 17:17

Marco A. Bologna Vedi ultimo messaggio

Nessun messaggio da leggere
Stenoria (Stenoria) analis Schaum, 1859 - Meloidae
3.VII.2021 - ITALIA - Marche - MC
Allegato(i) Dettagli della specie
Stenoria (Stenoria) analis Schaum, 1859
Meloidae


3.VII.2021 - ITALIA - Marche - MC
Coleoptera

StagBeetle

6

1067

09/10/2021, 12:38

Marco A. Bologna Vedi ultimo messaggio

Nessun messaggio da leggere
Mylabris (Micrabris) flexuosa A. G. Olivier, 1811 - Meloidae
19.VII.2021 - ITALIA - Abruzzo - AQ
Allegato(i) Dettagli della specie
Mylabris (Micrabris) flexuosa A. G. Olivier, 1811
Meloidae


19.VII.2021 - ITALIA - Abruzzo - AQ
Coleoptera

Adriana49

2

668

28/09/2021, 7:56

Adriana49 Vedi ultimo messaggio

Nessun messaggio da leggere
Allegato(i) Dettagli della specie
Meloe (Eurymeloe) mediterraneus J. Müller, 1925
Meloidae


3.I.2021 - ITALIA - Toscana - FI
Coleoptera

corvus

6

1088

29/06/2021, 12:44

Marco A. Bologna Vedi ultimo messaggio

Nessun messaggio da leggere
Actenodia distincta (Chevrolat, 1840) - Meloidae
8.VI.2019 - ITALIA - Sicilia - TP
Allegato(i) Dettagli della specie
Actenodia distincta (Chevrolat, 1840)
Meloidae


8.VI.2019 - ITALIA - Sicilia - TP
Coleoptera

Chalybion

1

665

29/06/2021, 12:41

Marco A. Bologna Vedi ultimo messaggio

Nessun messaggio da leggere
Allegato(i) Dettagli della specie
Meloe (Eurymeloe) tuccia corrosus Brandt & Erichson, 1832
Meloidae


25.I.2021 - ITALIA - Sicilia - RG
Coleoptera

RubenCiantia

2

829

29/06/2021, 12:40

Marco A. Bologna Vedi ultimo messaggio

Nessun messaggio da leggere
Apalus bipunctatus Megerle von Mühlfeld, 1812 - Meloidae
14.III.2021 - ITALIA - Sicilia - PA
Allegato(i) Dettagli della specie
Apalus bipunctatus Megerle von Mühlfeld, 1812
Meloidae


14.III.2021 - ITALIA - Sicilia - PA
Coleoptera

carabus

6

1088

29/06/2021, 12:39

Marco A. Bologna Vedi ultimo messaggio

Nessun messaggio da leggere
Stenoria (Stenoria) analis Schaum, 1859 - Meloidae
IX.2020 - ITALIA - Lazio - FR
Allegato(i) Dettagli della specie
Stenoria (Stenoria) analis Schaum, 1859
Meloidae

[ Vai alla paginaVai alla pagina: 1, 2 ]



IX.2020 - ITALIA - Lazio - FR
Coleoptera

soken

21

3086

15/01/2021, 1:10

soken Vedi ultimo messaggio

Nessun messaggio da leggere
Zonitis (Zonitis) flava Fabricius, 1775 - Meloidae
21.VI.2020 - ITALIA - Toscana - GR
Allegato(i) Dettagli della specie
Zonitis (Zonitis) flava Fabricius, 1775
Meloidae


21.VI.2020 - ITALIA - Toscana - GR
Coleoptera

hypotyphlus

9

2200

04/01/2021, 9:27

hypotyphlus Vedi ultimo messaggio

Nessun messaggio da leggere
Lydus trimaculatus italicus Kaszab, 1952 - Meloidae
VI.2020 - ITALIA - Emilia-Romagna - PC
Allegato(i) Dettagli della specie
Lydus trimaculatus italicus Kaszab, 1952
Meloidae


VI.2020 - ITALIA - Emilia-Romagna - PC
Coleoptera

eurinomio

4

1426

04/01/2021, 3:47

eurinomio Vedi ultimo messaggio

Nessun messaggio da leggere
Sitaris (Sitaris) muralis (Förster, 1771) - Meloidae
25.VIII.2019 - ITALIA - Toscana - LU
Allegato(i) Dettagli della specie
Sitaris (Sitaris) muralis (Förster, 1771)
Meloidae


25.VIII.2019 - ITALIA - Toscana - LU
Coleoptera

Michael

6

2246

03/01/2021, 21:01

Marco A. Bologna Vedi ultimo messaggio

Nessun messaggio da leggere
Epicauta (Epicauta) rufidorsum (Goeze, 1777) - Meloidae
11.VI.2020 - ITALIA - Veneto - PD
Allegato(i) Dettagli della specie
Epicauta (Epicauta) rufidorsum (Goeze, 1777)
Meloidae


11.VI.2020 - ITALIA - Veneto - PD
Coleoptera

Mikino

2

1210

03/01/2021, 20:55

Marco A. Bologna Vedi ultimo messaggio

Nessun messaggio da leggere
Epicauta (Epicauta) rufidorsum (Goeze, 1777) - Meloidae
23.VI.2020 - ITALIA - Lombardia - MI
Allegato(i) Dettagli della specie
Epicauta (Epicauta) rufidorsum (Goeze, 1777)
Meloidae


23.VI.2020 - ITALIA - Lombardia - MI
Coleoptera

mascalzonepadano

12

3203

03/01/2021, 20:51

Marco A. Bologna Vedi ultimo messaggio

Nessun messaggio da leggere
Epicauta (Epicauta) rufidorsum (Goeze, 1777) - Meloidae
3.VII.2020 - ITALIA - Veneto - VI
Allegato(i) Dettagli della specie
Epicauta (Epicauta) rufidorsum (Goeze, 1777)
Meloidae


3.VII.2020 - ITALIA - Veneto - VI
Coleoptera

Apoderus

2

3790

03/01/2021, 20:49

Marco A. Bologna Vedi ultimo messaggio

Nessun messaggio da leggere
Allegato(i) Dettagli della specie
Stenoria (Stenoria) apicalis apicalis (Latreille, 1804)
Meloidae


19.VI.2020 - ITALIA - Sardegna - CA
Coleoptera

Fumea crassiorella

11

2636

03/01/2021, 20:46

Marco A. Bologna Vedi ultimo messaggio

Nessun messaggio da leggere
Epicauta (Epicauta) rufidorsum (Goeze, 1777) - Meloidae
27.VII.2020 - ITALIA - Emilia-Romagna - PC
Allegato(i) Dettagli della specie
Epicauta (Epicauta) rufidorsum (Goeze, 1777)
Meloidae


27.VII.2020 - ITALIA - Emilia-Romagna - PC
Coleoptera

romano romanini

5

1094

03/01/2021, 20:43

Marco A. Bologna Vedi ultimo messaggio

Nessun messaggio da leggere
Allegato(i) Dettagli della specie
Mylabris (Micrabris) pusilla latialis Magistretti, 1943
Meloidae


2.VIII.2020 - ITALIA - Umbria - PG
Coleoptera

Michele A

6

893

03/01/2021, 20:42

Marco A. Bologna Vedi ultimo messaggio

Nessun messaggio da leggere
Meloe (Eurymeloe) brevicollis brevicollis Panzer, 1793 - Meloidae
13.VII.2020 - ITALIA - Valle d'Aosta - AO
Allegato(i) Dettagli della specie
Meloe (Eurymeloe) brevicollis brevicollis Panzer, 1793
Meloidae


13.VII.2020 - ITALIA - Valle d'Aosta - AO
Coleoptera

StagBeetle

1

622

03/01/2021, 20:32

Marco A. Bologna Vedi ultimo messaggio

Nessun messaggio da leggere
Allegato(i) Dettagli della specie
Meloe (Eurymeloe) mediterraneus J. Müller, 1925
Meloidae


14.X.2020 - ITALIA - Marche - AN
Coleoptera

StagBeetle

2

787

03/01/2021, 20:27

Marco A. Bologna Vedi ultimo messaggio

Nessun messaggio da leggere
Meloe (Meloegonius) cicatricosus Leach, 1815 - Meloidae
31.III.2019 - ITALIA - Sicilia - ME
Allegato(i) Dettagli della specie
Meloe (Meloegonius) cicatricosus Leach, 1815
Meloidae


31.III.2019 - ITALIA - Sicilia - ME
Coleoptera

Andrea Pergine

3

1491

09/05/2020, 16:46

Marco A. Bologna Vedi ultimo messaggio

Nessun messaggio da leggere
Allegato(i) Dettagli della specie
Meloe (Treiodous) autumnalis autumnalis A. G. Olivier, 1797
Meloidae


1.XI.2019 - ITALIA - Toscana - FI
Coleoptera

Tommaso Lisa

14

3757

13/04/2020, 22:20

Clickie Vedi ultimo messaggio

Nessun messaggio da leggere
Allegato(i) Dettagli della specie
Meloe (Meloe) proscarabaeus proscarabaeus Linnaeus, 1758
Meloidae


2.V.2011 - ITALIA - Liguria - SV
Coleoptera

giu85

5

1962

28/03/2020, 15:31

Marco A. Bologna Vedi ultimo messaggio

Nessun messaggio da leggere
Zonitis (Zonitis) flava Fabricius, 1775 - Meloidae
10.VII.2019 - ITALIA - Toscana - GR
Allegato(i) Dettagli della specie
Zonitis (Zonitis) flava Fabricius, 1775
Meloidae


10.VII.2019 - ITALIA - Toscana - GR
Coleoptera

Giuseppe Zanetti

3

1408

28/03/2020, 12:27

Marco A. Bologna Vedi ultimo messaggio

Nessun messaggio da leggere
Stenoria (Stenoria) analis Schaum, 1859 - Meloidae
20.IX.2019 - ITALIA - Lazio - RM
Allegato(i) Dettagli della specie
Stenoria (Stenoria) analis Schaum, 1859
Meloidae


20.IX.2019 - ITALIA - Lazio - RM
Coleoptera

giuseppe55

9

2716

28/03/2020, 12:24

Marco A. Bologna Vedi ultimo messaggio

Visualizza ultimi argomenti:  Ordina per  Ordine:  
nuovo argomento
Vai alla pagina 1, 2, 3, 4, 5, 6  Prossimo
Pagina 1 di 6 [ 296 argomenti ]

Tutti gli orari sono UTC + 1 ora [ ora legale ]


Chi c’è in linea

Visitano il forum: Nessuno e 1 ospite


Legenda
Messaggi da leggere Messaggi da leggere Nessun messaggio da leggere Nessun messaggio da leggere Annuncio Annuncio
 
Specie indeterminata / discussione generica
Messaggi non letti [ Popolari ] Messaggi non letti [ Popolari ] Nessun messaggio da leggere [ Popolare ] Nessun messaggio da leggere [ Popolare ] Importante Importante
 
Specie determinata fino al genere o cf.
Messaggi non letti [ Bloccati ] Messaggi non letti [ Bloccati ] No messaggi non letti [ Bloccati ] No messaggi non letti [ Bloccati ] Argomento spostato Argomento spostato
 
Specie correttamente determinata
Permessi
Non puoi aprire nuovi argomenti
Non puoi rispondere negli argomenti
Non puoi modificare i tuoi messaggi
Non puoi cancellare i tuoi messaggi
Non puoi inviare allegati

Cerca per:
Vai a: