Benvenuto Ospite

Forum Entomologi Italiani

www.entomologiitaliani.net/forum
 
Oggi è 26/12/2025, 14:46

Tutti gli orari sono UTC + 1 ora [ ora legale ]

Staphylinidae indeterminati


[ AFROTROPICALE ] [ ANTARTICO ] [ AUSTRALASIANO ] [ NEARTICO ] [ NEOTROPICALE ] [ ORIENTALE ] [ PALEARTICO ]


nuovo argomento
Vai alla pagina Precedente  1 ... 8, 9, 10, 11, 12  Prossimo
Pagina 11 di 12 [ 573 argomenti ]
 Argomenti   Ordine   Autore   Risposte   Visite    Ultimo messaggio 
Annunci
Nessun messaggio da leggere
Allegato(i)
Incontri entomologici della Società Entomologica Italiana 2025-2026
 

Velvet Ant

0

14742

17/11/2025, 19:41

Velvet Ant Vedi ultimo messaggio

Nessun messaggio da leggere
Allegato(i)
Incontri entomologici telematici organizzati dalla Società Entomologica Italiana nel 2022 e nel 2023

[ Vai alla paginaVai alla pagina: 1, 2, 3 ]

 

Velvet Ant

44

1710938

03/03/2023, 15:55

Velvet Ant Vedi ultimo messaggio

Nessun messaggio da leggere  
Allegato(i)
Sondaggio sul declino dell'entomofauna in Italia

[ Vai alla paginaVai alla pagina: 1, 2, 3, 4 ]

 

Velvet Ant

52

2336286

22/10/2022, 19:18

Acquarius Vedi ultimo messaggio

Nessun messaggio da leggere  
Allegato(i)
Progetto: Bibliografia ragionata dei lavori entomologici nei quali sono citati reperti apparsi su FEI

[ Vai alla paginaVai alla pagina: 1, 2, 3 ]

 

Velvet Ant

33

1373909

06/07/2023, 18:31

Orotrechus Vedi ultimo messaggio

Nessun messaggio da leggere
Allegato(i)
Mimesi, il primo documentario cinematografico sull’entomologia in Italia: casting
 

mazzeip

1

1090009

28/02/2019, 20:26

mazzeip Vedi ultimo messaggio

Questo argomento è bloccato, non puoi modificare o inviare ulteriori messaggi.
Allegato(i)
ISTRUZIONI PUBBLICAZIONE NUOVI ARGOMENTI E FOTO

 
Altri Ordini di Insetti

Julodis

4

2888985

13/05/2015, 19:37

Julodis Vedi ultimo messaggio

Nessun messaggio da leggere
Allegato(i)
Limitatore giornaliero di messaggi, uno strumento utile e ormai indispensabile

[ Vai alla paginaVai alla pagina: 1 ... 14, 15, 16 ]

 

Velvet Ant

233

12477873

25/09/2014, 14:31

Inachis Vedi ultimo messaggio

Nessun messaggio da leggere  
NORME PER I COLLABORATORI DEL FORUM

 
 

Velvet Ant

0

634262

02/06/2011, 12:05

Velvet Ant Vedi ultimo messaggio

Nessun messaggio da leggere
Allegato(i)
NORME PER GLI UTENTI DEL FORUM

[ Vai alla paginaVai alla pagina: 1, 2, 3 ]



 
 

Velvet Ant

30

3490449

23/09/2014, 23:54

Maurizio Bollino Vedi ultimo messaggio

Nessun messaggio da leggere  
Lista degli utenti del "Forum entomologi italiani" per campi di interesse e specializzazione

 
Altri Ordini di Insetti

Velvet Ant

13

1012870

07/09/2023, 17:14

Roberto-07 Vedi ultimo messaggio

Argomenti
Nessun messaggio da leggere
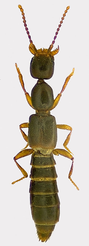
Geostiba o Leputsa sp. - Staphylinidae
21.IV.2011 - ITALIA - Emilia-Romagna - BO
Allegato(i)
Geostiba o Leputsa sp. - Staphylinidae

21.IV.2011 - ITALIA - Emilia-Romagna - BO
Coleoptera

Loriscola

2

781

27/04/2011, 10:53

Liptaster Vedi ultimo messaggio

Nessun messaggio da leggere
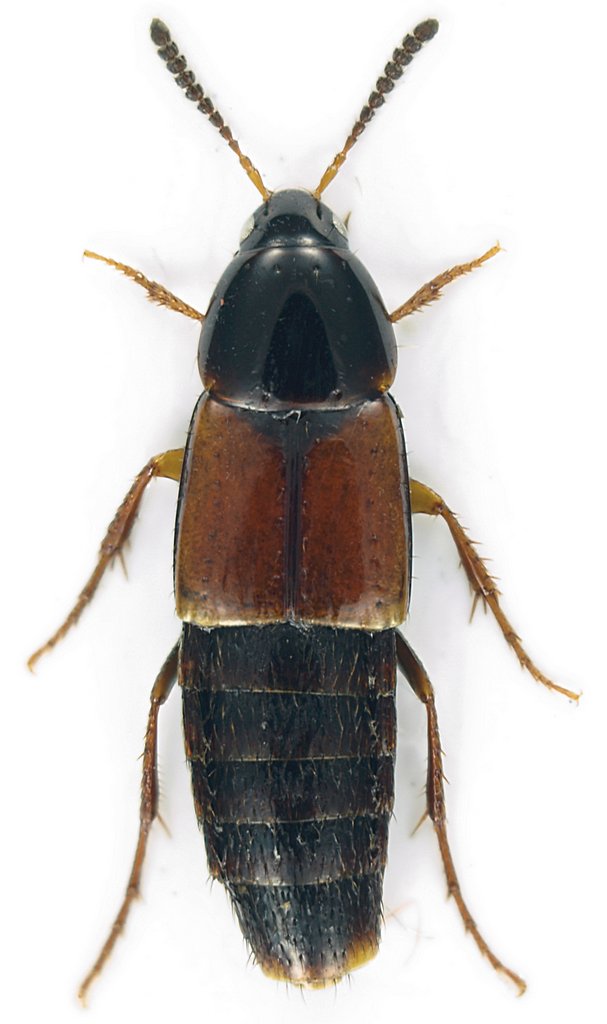
Scaphisoma sp. - Staphylinidae Scaphidiinae
23.IV.2011 - ITALIA - Sardegna - CA
Allegato(i)
Scaphisoma sp. - Staphylinidae Scaphidiinae

23.IV.2011 - ITALIA - Sardegna - CA
Coleoptera

Fumea crassiorella

2

705

24/04/2011, 8:58

Fumea crassiorella Vedi ultimo messaggio

Nessun messaggio da leggere
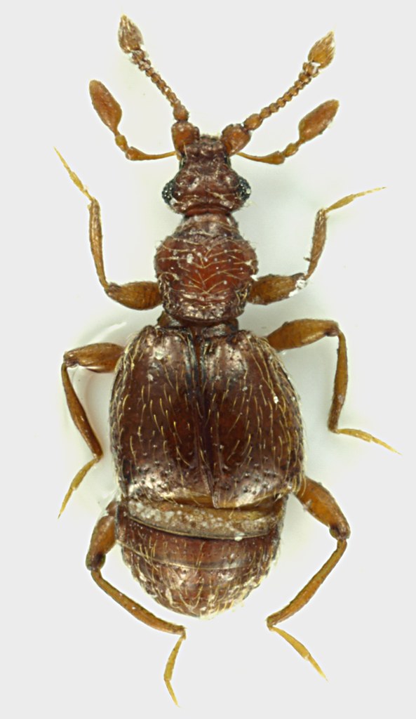
Staphylinidae Pselaphinae da id.
23.IV.2011 - ITALIA - Sardegna - CA
Allegato(i)
Staphylinidae Pselaphinae da id.

23.IV.2011 - ITALIA - Sardegna - CA
Coleoptera

Fumea crassiorella

0

380

23/04/2011, 23:22

Fumea crassiorella Vedi ultimo messaggio

Nessun messaggio da leggere
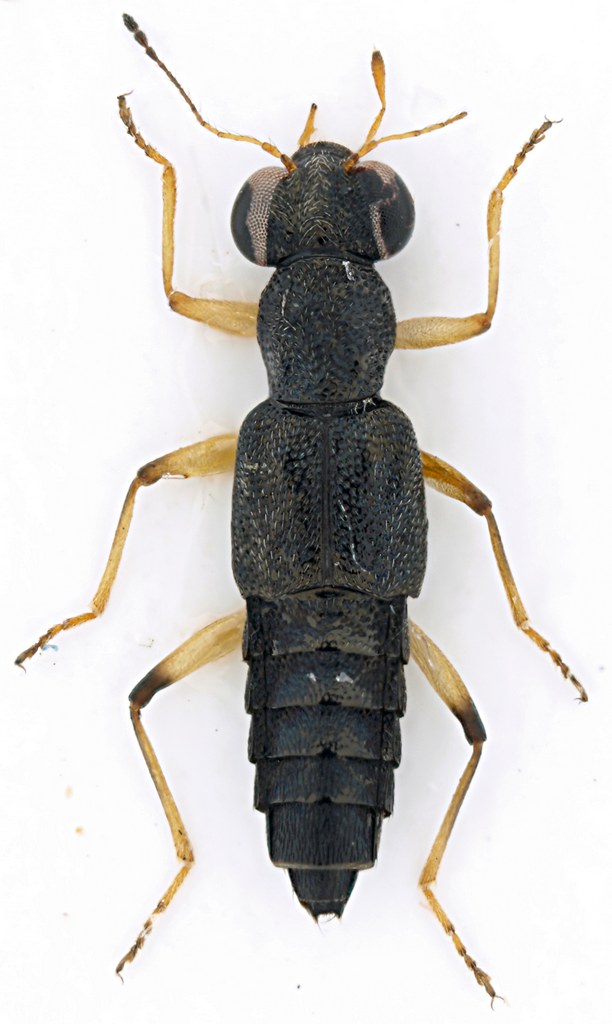
Pselaphino - Lazio
14.XI.2010 - ITALIA - Lazio - RM
Allegato(i)
Pselaphino - Lazio

14.XI.2010 - ITALIA - Lazio - RM
Coleoptera

Julodis

0

302

22/04/2011, 22:29

Julodis Vedi ultimo messaggio

Nessun messaggio da leggere
Staphylinidae - Denmark
19.IV.2011 - DANIMARCA - EE
Allegato(i)
Staphylinidae - Denmark

19.IV.2011 - DANIMARCA - EE
Coleoptera

matthew gandy

0

296

21/04/2011, 0:22

matthew gandy Vedi ultimo messaggio

Nessun messaggio da leggere
Staphylinidae spp. (pupe)
12.IV.2011 - ITALIA - Toscana - PI
Allegato(i)
Staphylinidae spp. (pupe)

12.IV.2011 - ITALIA - Toscana - PI
Coleoptera

Endres

9

761

14/04/2011, 7:16

Julodis Vedi ultimo messaggio

Nessun messaggio da leggere
Staphylinidae alla luce
9.IV.2011 - ITALIA - Emilia-Romagna - RN
Allegato(i)
Staphylinidae alla luce

9.IV.2011 - ITALIA - Emilia-Romagna - RN
Coleoptera

tala

0

296

11/04/2011, 23:38

tala Vedi ultimo messaggio

Nessun messaggio da leggere
Staphylinidae - Sardegna
7.III.2011 - ITALIA - Sardegna - CA
Allegato(i)
Staphylinidae - Sardegna

7.III.2011 - ITALIA - Sardegna - CA
Coleoptera

ruzzpa

4

446

07/04/2011, 22:06

Liptaster Vedi ultimo messaggio

Nessun messaggio da leggere
Sepedophilus sp. - Tachyporini
9.III.2011 - ITALIA - Sardegna - CA
Allegato(i)
Sepedophilus sp. - Tachyporini

9.III.2011 - ITALIA - Sardegna - CA
Coleoptera

Fumea crassiorella

2

512

07/04/2011, 17:27

Liptaster Vedi ultimo messaggio

Nessun messaggio da leggere
Staphylinidae da id.
17.III.2011 - ITALIA - Friuli-Venezia Giulia - GO
Allegato(i)
Staphylinidae da id.

17.III.2011 - ITALIA - Friuli-Venezia Giulia - GO
Coleoptera

Agdistis

1

442

07/04/2011, 17:20

Liptaster Vedi ultimo messaggio

Nessun messaggio da leggere
Staphylinidae da id.
19.III.2011 - ITALIA - Friuli-Venezia Giulia - GO
Allegato(i)
Staphylinidae da id.

19.III.2011 - ITALIA - Friuli-Venezia Giulia - GO
Coleoptera

Agdistis

2

496

07/04/2011, 17:19

Liptaster Vedi ultimo messaggio

Nessun messaggio da leggere
Vulda sp. - Staphylinidae
27.III.2011 - ITALIA - Toscana - FI
Allegato(i)
Vulda sp. - Staphylinidae

27.III.2011 - ITALIA - Toscana - FI
Coleoptera

Notoxus59

11

1678

07/04/2011, 17:17

Liptaster Vedi ultimo messaggio

Nessun messaggio da leggere
Staphylinidae Sardegna
8.III.2011 - ITALIA - Sardegna - VS
Allegato(i)
Staphylinidae Sardegna

8.III.2011 - ITALIA - Sardegna - VS
Coleoptera

hypotyphlus

2

507

20/03/2011, 23:36

hypotyphlus Vedi ultimo messaggio

Nessun messaggio da leggere
Philonthus sp. - Staphylininae - Philonthini - Philonthina
18.III.2011 - ITALIA - Emilia-Romagna - RE
Allegato(i)
Philonthus sp. - Staphylininae - Philonthini - Philonthina

18.III.2011 - ITALIA - Emilia-Romagna - RE
Coleoptera

Mikiphasmide

4

546

18/03/2011, 20:12

Mikiphasmide Vedi ultimo messaggio

Nessun messaggio da leggere
Staphylinidae - Sardegna
7.III.2011 - ITALIA - Sardegna - CA
Allegato(i)
Staphylinidae - Sardegna

7.III.2011 - ITALIA - Sardegna - CA
Coleoptera

ruzzpa

1

326

08/03/2011, 0:47

krep Vedi ultimo messaggio

Nessun messaggio da leggere
ocypus ?
1.VI.1970 - ITALIA - Toscana - SI
Allegato(i)
ocypus ?

1.VI.1970 - ITALIA - Toscana - SI
Coleoptera

ilio

1

360

07/03/2011, 18:02

ilio Vedi ultimo messaggio

Nessun messaggio da leggere
Staphylinidae - Lazio
20.II.2011 - ITALIA - Lazio - RM
Allegato(i)
Staphylinidae - Lazio

20.II.2011 - ITALIA - Lazio - RM
Coleoptera

Julodis

10

727

04/03/2011, 12:41

Maurizio Bollino Vedi ultimo messaggio

Nessun messaggio da leggere
Quedius sp.
17.II.2011 - ITALIA - Marche - PU
Allegato(i)
Quedius sp.

17.II.2011 - ITALIA - Marche - PU
Coleoptera

marco paglialunga

3

487

03/03/2011, 19:54

marco paglialunga Vedi ultimo messaggio

Nessun messaggio da leggere
Allegato(i)
Paederus (Poederomorphus) littoralis Gravenhorst, 1802 - Staphylinidae - Paederinae

17.II.2011 - ITALIA - Marche - PU
Coleoptera

marco paglialunga

2

481

01/03/2011, 13:16

Honza Vedi ultimo messaggio

Nessun messaggio da leggere
Paederus con voglie arboricole - Lazio
23.II.2011 - ITALIA - Lazio - RM
Allegato(i)
Paederus con voglie arboricole - Lazio

23.II.2011 - ITALIA - Lazio - RM
Coleoptera

Julodis

0

260

24/02/2011, 23:54

Julodis Vedi ultimo messaggio

Nessun messaggio da leggere
Tachyporus sp
17.II.2011 - ITALIA - Marche - PU
Allegato(i)
Tachyporus sp

17.II.2011 - ITALIA - Marche - PU
Coleoptera

marco paglialunga

0

252

22/02/2011, 11:36

marco paglialunga Vedi ultimo messaggio

Nessun messaggio da leggere
Staphylinidae - Lazio
12.II.2011 - ITALIA - Lazio - RM
Allegato(i)
Staphylinidae - Lazio

12.II.2011 - ITALIA - Lazio - RM
Coleoptera

Julodis

2

345

13/02/2011, 18:43

Julodis Vedi ultimo messaggio

Nessun messaggio da leggere
Scopaeus sp. - Staphylinidae-Paederinae-Scopanina
17.IV.2010 - ITALIA - Trentino-Alto Adige - TN
Allegato(i)
Scopaeus sp. - Staphylinidae-Paederinae-Scopanina

17.IV.2010 - ITALIA - Trentino-Alto Adige - TN
Coleoptera

Andrea Pergine

2

437

10/02/2011, 11:18

Andrea Pergine Vedi ultimo messaggio

Nessun messaggio da leggere
Micropeplus sp. - Staphylinidae
27.I.2011 - ITALIA - Friuli-Venezia Giulia - GO
Allegato(i)
Micropeplus sp. - Staphylinidae

27.I.2011 - ITALIA - Friuli-Venezia Giulia - GO
Coleoptera

Agdistis

10

931

30/01/2011, 13:19

Agdistis Vedi ultimo messaggio

Nessun messaggio da leggere
stafilinide sp
22.I.2011 - ITALIA - Friuli-Venezia Giulia - GO
Allegato(i)
stafilinide sp

22.I.2011 - ITALIA - Friuli-Venezia Giulia - GO
Coleoptera

Agdistis

0

320

26/01/2011, 0:14

Agdistis Vedi ultimo messaggio

Nessun messaggio da leggere
Ocypus
VIII.2010 - ITALIA - Veneto - BL
Allegato(i)
Ocypus

VIII.2010 - ITALIA - Veneto - BL
Coleoptera

Maw89

3

481

23/01/2011, 22:06

Maw89 Vedi ultimo messaggio

Nessun messaggio da leggere
Metopsia sp. - Staphilinidae - Lazio
17.I.2011 - ITALIA - Lazio - RM
Allegato(i)
Metopsia sp. - Staphilinidae - Lazio

17.I.2011 - ITALIA - Lazio - RM
Coleoptera

Julodis

4

899

22/01/2011, 16:47

giuseppe55 Vedi ultimo messaggio

Nessun messaggio da leggere
Staphylinide da vaglio
16.I.2011 - ITALIA - Emilia-Romagna - BO
Allegato(i)
Staphylinide da vaglio

16.I.2011 - ITALIA - Emilia-Romagna - BO
Coleoptera

Loriscola

1

418

20/01/2011, 22:56

krep Vedi ultimo messaggio

Nessun messaggio da leggere
Anotylus sp. - Staphylinidae Oxytelinae
11.XI.2010 - ITALIA - Molise - IS
Allegato(i)
Anotylus sp. - Staphylinidae Oxytelinae

11.XI.2010 - ITALIA - Molise - IS
Coleoptera

Franco ROSSI

3

595

15/01/2011, 19:29

Franco ROSSI Vedi ultimo messaggio

Nessun messaggio da leggere
Staphylinidae Omalinae
12.I.2011 - ITALIA - Emilia-Romagna - RN
Allegato(i)
Staphylinidae Omalinae

12.I.2011 - ITALIA - Emilia-Romagna - RN
Coleoptera

tala

1

444

12/01/2011, 18:04

Honza Vedi ultimo messaggio

Nessun messaggio da leggere
Allegato(i)
Sepedophilus sp. - Staphylinidae Tachyporinae

VI.2010 - FRANCIA - EE
Coleoptera

pietro lo cascio

6

979

11/01/2011, 14:54

pietro lo cascio Vedi ultimo messaggio

Nessun messaggio da leggere
Staphylinidae Tachyporinae da id.
9.I.2011 - ITALIA - Sicilia - ME
Allegato(i)
Staphylinidae Tachyporinae da id.

9.I.2011 - ITALIA - Sicilia - ME
Coleoptera

pietro lo cascio

2

429

11/01/2011, 13:19

Honza Vedi ultimo messaggio

Nessun messaggio da leggere
Caduto in acqua (fredda)
18.VII.2007 - ITALIA - Lombardia - SO
Allegato(i)
Caduto in acqua (fredda)

18.VII.2007 - ITALIA - Lombardia - SO
Coleoptera

Luciano Menghi

1

523

11/01/2011, 12:21

FORBIX Vedi ultimo messaggio

Nessun messaggio da leggere
Philonthus sp. - Staphylinidae
11.XI.2010 - ITALIA - Molise - IS
Allegato(i)
Philonthus sp. - Staphylinidae

11.XI.2010 - ITALIA - Molise - IS
Coleoptera

Franco ROSSI

2

540

11/01/2011, 8:00

Franco ROSSI Vedi ultimo messaggio

Nessun messaggio da leggere
Staphylinidae
23.II.2010 - ITALIA - Sicilia - PA
Allegato(i)
Staphylinidae

23.II.2010 - ITALIA - Sicilia - PA
Coleoptera

carabus

4

664

11/01/2011, 0:33

Honza Vedi ultimo messaggio

Nessun messaggio da leggere
Staphylinidae Aleocharinae da id.
VI.2010 - FRANCIA - EE
Allegato(i)
Staphylinidae Aleocharinae da id.

VI.2010 - FRANCIA - EE
Coleoptera

pietro lo cascio

1

407

10/01/2011, 23:32

krep Vedi ultimo messaggio

Nessun messaggio da leggere
Anotylus sp. - Staphylinidae Oxytelinae
9.I.2011 - ITALIA - Sicilia - ME
Allegato(i)
Anotylus sp. - Staphylinidae Oxytelinae

9.I.2011 - ITALIA - Sicilia - ME
Coleoptera

pietro lo cascio

1

464

10/01/2011, 23:15

Honza Vedi ultimo messaggio

Nessun messaggio da leggere
Scopaeus sp. - Staphylinidae Paederinae Scopanina
4.V.2010 - ITALIA - Veneto - BL
Allegato(i)
Scopaeus sp. - Staphylinidae Paederinae Scopanina

4.V.2010 - ITALIA - Veneto - BL
Coleoptera

Maw89

2

467

10/01/2011, 22:51

Maw89 Vedi ultimo messaggio

Nessun messaggio da leggere
Staphylinidae da id. 4
9.I.2011 - ITALIA - Sicilia - ME
Allegato(i)
Staphylinidae da id. 4

9.I.2011 - ITALIA - Sicilia - ME
Coleoptera

pietro lo cascio

0

259

10/01/2011, 21:48

pietro lo cascio Vedi ultimo messaggio

Nessun messaggio da leggere
Allegato(i)
Mycetoporus sp. cf. - Staphylinidae Tachyporinae - Lazio

3.I.2011 - ITALIA - Lazio - RM
Coleoptera

Julodis

1

375

10/01/2011, 12:32

Honza Vedi ultimo messaggio

Nessun messaggio da leggere
Allegato(i)
Ocypus (Pseudocypus ) sp. - Staphylinidae - Lazio, Pastena (FR)

9.X.2010 - ITALIA - Lazio - FR
Coleoptera

Goliathus

5

555

10/01/2011, 0:05

Goliathus Vedi ultimo messaggio

Nessun messaggio da leggere
Allegato(i)
Staphylinidae Aleocharinae - Lazio, Is.Ventotene (LT)

X.2010 - ITALIA - Lazio - LT
Coleoptera

ruzzpa

2

471

02/01/2011, 11:57

Liptaster Vedi ultimo messaggio

Nessun messaggio da leggere
Staphylinidae da ID - Toscana-Isola d'Elba
4.XI.2010 - ITALIA - Toscana - LI
Allegato(i)
Staphylinidae da ID - Toscana-Isola d'Elba

4.XI.2010 - ITALIA - Toscana - LI
Coleoptera

FORBIX

3

493

02/01/2011, 11:22

Liptaster Vedi ultimo messaggio

Nessun messaggio da leggere
Astenus sp. - Staphylinidae
29.XII.2010 - ITALIA - Lazio - VT
Allegato(i)
Astenus sp. - Staphylinidae

29.XII.2010 - ITALIA - Lazio - VT
Coleoptera

elleelle

2

638

31/12/2010, 8:51

Julodis Vedi ultimo messaggio

Nessun messaggio da leggere
Amischa sp. - Staphylinidae - Lazio
23.XII.2010 - ITALIA - Lazio - FR
Allegato(i)
Amischa sp. - Staphylinidae - Lazio

23.XII.2010 - ITALIA - Lazio - FR
Coleoptera

Julodis

3

870

26/12/2010, 18:55

Julodis Vedi ultimo messaggio

Nessun messaggio da leggere
Staphylinidae Staphylininae Xantholinini
13.XII.2010 - ITALIA - Lazio - RM
Allegato(i)
Staphylinidae Staphylininae Xantholinini

13.XII.2010 - ITALIA - Lazio - RM
Coleoptera

Julodis

1

415

25/12/2010, 17:51

krep Vedi ultimo messaggio

Nessun messaggio da leggere
Staphylinidae larva - Toscana, Isola d'Elba
13.I.2006 - ITALIA - Toscana - LI
Allegato(i)
Staphylinidae larva - Toscana, Isola d'Elba

13.I.2006 - ITALIA - Toscana - LI
Coleoptera

FORBIX

2

464

21/12/2010, 13:17

elleelle Vedi ultimo messaggio

Nessun messaggio da leggere
Staphylinidae larva - Toscana, Isola d'Elba
9.XII.2006 - ITALIA - Toscana - LI
Allegato(i)
Staphylinidae larva - Toscana, Isola d'Elba

9.XII.2006 - ITALIA - Toscana - LI
Coleoptera

FORBIX

2

427

21/12/2010, 13:11

elleelle Vedi ultimo messaggio

Nessun messaggio da leggere
Staphylinidae larva - Toscana, Isola d'Elba
29.XI.2006 - ITALIA - Toscana - LI
Allegato(i)
Staphylinidae larva - Toscana, Isola d'Elba

29.XI.2006 - ITALIA - Toscana - LI
Coleoptera

FORBIX

1

392

21/12/2010, 10:52

StagBeetle Vedi ultimo messaggio

Nessun messaggio da leggere
Staphylinidae larva - Romania
4.X.2008 - ROMANIA - EE
Allegato(i)
Staphylinidae larva - Romania

4.X.2008 - ROMANIA - EE
Coleoptera

alexaandru

1

336

07/12/2010, 20:27

elleelle Vedi ultimo messaggio

Visualizza ultimi argomenti:  Ordina per  Ordine:  
nuovo argomento
Vai alla pagina Precedente  1 ... 8, 9, 10, 11, 12  Prossimo
Pagina 11 di 12 [ 573 argomenti ]

Tutti gli orari sono UTC + 1 ora [ ora legale ]


Chi c’è in linea

Visitano il forum: Nessuno e 1 ospite


Legenda
Messaggi da leggere Messaggi da leggere Nessun messaggio da leggere Nessun messaggio da leggere Annuncio Annuncio
 
Specie indeterminata / discussione generica
Messaggi non letti [ Popolari ] Messaggi non letti [ Popolari ] Nessun messaggio da leggere [ Popolare ] Nessun messaggio da leggere [ Popolare ] Importante Importante
 
Specie determinata fino al genere o cf.
Messaggi non letti [ Bloccati ] Messaggi non letti [ Bloccati ] No messaggi non letti [ Bloccati ] No messaggi non letti [ Bloccati ] Argomento spostato Argomento spostato
 
Specie correttamente determinata
Permessi
Non puoi aprire nuovi argomenti
Non puoi rispondere negli argomenti
Non puoi modificare i tuoi messaggi
Non puoi cancellare i tuoi messaggi
Non puoi inviare allegati

Cerca per:
Vai a: