|
|
| Argomenti |
Ordine |
Autore |
Risposte |
Visite |
Ultimo messaggio |
| Annunci |
 |
|
|
Incontri entomologici telematici organizzati dalla Società Entomologica Italiana nel 2022 e nel 2023
[ Vai alla pagina: 1, 2, 3 ]
|
|
Velvet Ant |
44 |
1395570 |
03/03/2023, 15:55
Velvet Ant
|
 |
 |
|
Sondaggio sul declino dell'entomofauna in Italia
[ Vai alla pagina: 1, 2, 3, 4 ]
|
|
Velvet Ant |
52 |
1719579 |
22/10/2022, 19:18
Acquarius
|
 |
|
|
Progetto: Bibliografia ragionata dei lavori entomologici nei quali sono citati reperti apparsi su FEI
[ Vai alla pagina: 1, 2, 3 ]
|
|
Velvet Ant |
33 |
1144131 |
06/07/2023, 18:31
Orotrechus
|
 |
|
|
Mimesi, il primo documentario cinematografico sull’entomologia in Italia: casting
|
|
mazzeip |
1 |
451998 |
28/02/2019, 20:26
mazzeip
|
 |
|
|
ISTRUZIONI PUBBLICAZIONE NUOVI ARGOMENTI E FOTO
|
Altri Ordini di Insetti |
Julodis |
4 |
833640 |
13/05/2015, 19:37
Julodis
|
 |
|
|
Limitatore giornaliero di messaggi, uno strumento utile e ormai indispensabile
[ Vai alla pagina: 1 ... 14, 15, 16 ]
|
|
Velvet Ant |
233 |
8680391 |
25/09/2014, 14:31
Inachis
|
 |
|
|
NORME PER I COLLABORATORI DEL FORUM
|
|
Velvet Ant |
0 |
475399 |
02/06/2011, 12:05
Velvet Ant
|
 |
|
|
NORME PER GLI UTENTI DEL FORUM
[ Vai alla pagina: 1, 2, 3 ]
|
|
Velvet Ant |
30 |
2319690 |
23/09/2014, 23:54
Maurizio Bollino
|
 |
|
|
Lista degli utenti del "Forum entomologi italiani" per campi di interesse e specializzazione
|
Altri Ordini di Insetti |
Velvet Ant |
13 |
932792 |
07/09/2023, 17:14
Roberto-07
|
| Argomenti |
 |
 |
|
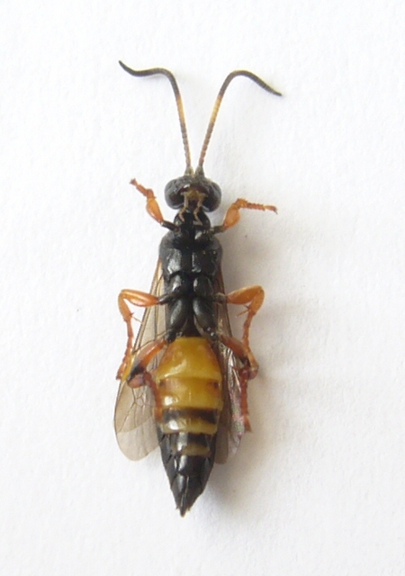
Rhyssa persuasoria (Linnaeus 1758) ♀ - Ichneumonidae
14.VII.2012 - ITALIA - Trentino-Alto Adige - TN
|
Hymenoptera |
Valeria Frattesi |
4 |
1581 |
21/08/2012, 20:36
Valeria Frattesi
|
 |
|
|
Enicospilus sp. - Ichneumonidae Ophioninae
17.VII.2012 - ITALIA - Molise - IS
|
Hymenoptera |
Franco ROSSI |
3 |
1066 |
18/08/2012, 11:09
Franco ROSSI
|
 |
|
|
Amblyjoppa fuscipennis (Wesmael 1845) ♀ - Ichneumonidae - Ichneumoninae - Heresiarchini
30.VII.1988 - FRANCIA - EE
|
Hymenoptera |
D & JP Balmer |
0 |
743 |
31/07/2012, 16:24
D & JP Balmer
|
 |
|
|
Itoplectis maculator (Fabricius, 1775) - Ichneumonidae
20.VI.2012 - ITALIA - Lombardia - SO
|
Hymenoptera |
marsal |
9 |
1613 |
30/07/2012, 18:47
Eopteryx
|
 |
|
|
Diphyus trifasciatus (Gravenhorst 1829) ♀ - Ichneumonidae - Ichneumoninae - Ichneumonini
16.VI.1999 - FRANCIA - EE
|
Hymenoptera |
D & JP Balmer |
0 |
555 |
30/07/2012, 16:24
D & JP Balmer
|
 |
|
|
Acroricnus seductor (Scopoli, 1786), ♀ - Ichneumonidae
9.IX.2011 - ITALIA - Sardegna - SS
|
Hymenoptera |
soken |
3 |
1131 |
30/07/2012, 9:04
soken
|
 |
|
|
Pimpla rufipes (Miller 1759) ♀ - Ichneumonidae - Pimplinae - Pimplini
15.VII.2000 - FRANCIA - EE
|
Hymenoptera |
D & JP Balmer |
4 |
1242 |
29/07/2012, 12:37
D & JP Balmer
|
 |
|
|
Apechthis compunctor (Linnaeus 1758) ♀ - Ichneumonidae - Pimplinae - Pimplini
9.VI.1995 - FRANCIA - EE
|
Hymenoptera |
D & JP Balmer |
0 |
815 |
27/07/2012, 11:26
D & JP Balmer
|
 |
|
|
Ichneumon sarcitorius Linnaeus,1758 ♀ - Ichneumonidae Ichneumoninae
22.VI.2012 - ITALIA - Sicilia - PA
|
Hymenoptera |
Velvet Ant |
3 |
1823 |
24/06/2012, 9:00
Velvet Ant
|
 |
|
|
Xorides gracilicornis (Gravenhorst, 1829) ♂ + ♀ - Ichneumonidae Xoridinae - Grecia
9.V.2002 - GRECIA - EE
|
Hymenoptera |
Eopteryx |
2 |
1370 |
13/06/2012, 15:06
Jacek Hilszczanski
|
 |
|
|
Trogus lapidator lapidator (Fabricius 1787) - Ichneumonidae Ichneumoninae Heresiarchini
13.III.2012 - ITALIA - Calabria - CZ
|
Hymenoptera |
cdr89 |
4 |
1337 |
11/05/2012, 14:38
cdr89
|
 |
|
|
Femmina di Diplazon laetatorius - Ichneumonidae Diplazontinae.
5.V.2012 - ITALIA - Veneto - VE
|
Hymenoptera |
ghebo |
2 |
863 |
07/05/2012, 21:35
ghebo
|
 |
 |
|
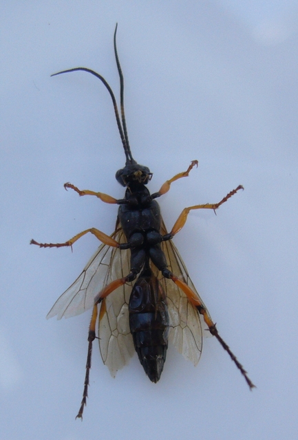
Rhyssa persuasoria (Linnaeus 1758) - Ichneumonidae
V.2012 - ITALIA - Umbria - PG
|
Hymenoptera |
anto60 |
9 |
1749 |
02/05/2012, 22:35
Hemerobius
|
 |
|
|
Xorides (Xorides) filiformis (Holmgren 1860) ♂ - Ichneumonidae Xoridinae
26.I.2012 - ITALIA - Veneto - RO
|
Hymenoptera |
Umbro |
3 |
768 |
27/03/2012, 22:09
Umbro
|
 |
|
|
Xorides (Xorides) filiformis (Holmgren, 1860) ♀ - Ichneumonidae Xoridinae
26.I.2012 - ITALIA - Veneto - RO
|
Hymenoptera |
Umbro |
4 |
833 |
27/03/2012, 16:16
Umbro
|
 |
|
|
Stauropoctonus bombycivorus (Gravenhorst, 1829) - Ichneumonidae Ophioninae
14.IX.2010 - ITALIA - Umbria - PG
|
Hymenoptera |
Maura |
3 |
819 |
07/03/2012, 14:25
Eopteryx
|
 |
|
|
Cidaphus alarius (Gravenhorst 1829) ♂ - Ichneumonidae - Mesochorinae
16.V.2005 - FRANCIA - EE
|
Hymenoptera |
D & JP Balmer |
3 |
1277 |
22/01/2012, 13:56
D & JP Balmer
|
 |
|
|
Determination of the Genera belonging to Ophioninae & Anomalinae (pars), of France & Italy
|
Hymenoptera |
D & JP Balmer |
10 |
5204 |
19/01/2012, 4:55
D & JP Balmer
|
 |
|
|
Eurylabus tristis (Gravenhorst 1829) ♂ - Ichneumonidae - Ichneumoninae - Eurylabini
30.VI.2009 - FRANCIA - EE
|
Hymenoptera |
D & JP Balmer |
0 |
791 |
20/12/2011, 4:52
D & JP Balmer
|
 |
|
|
Eurylabus torvus Wesmael 1845 ♀ - Ichneumonidae - Ichneumoninae - Eurylabini
23.V.2009 - FRANCIA - EE
|
Hymenoptera |
D & JP Balmer |
2 |
1017 |
19/12/2011, 17:57
D & JP Balmer
|
 |
|
|
Pimpla rufipes (Miller, 1759) - Ichneumonidae Pimplinae
3.XI.2011 - ITALIA - Veneto - RO
|
Hymenoptera |
Umbro |
6 |
1204 |
12/11/2011, 16:23
Eopteryx
|
 |
|
|
Ichneumon xanthorius Forster, 1771 (cf.) ♂ - Ichneumonidae
16.VI.2011 - ITALIA - Emilia-Romagna - RE
|
Hymenoptera |
Mikiphasmide |
2 |
984 |
28/10/2011, 9:59
Mikiphasmide
|
 |
|
|
Pimpla illecebrator (Villers, 1789) - Ichneumonidae Pimplinae Pimplini
28.VII.2011 - ITALIA - Molise - IS
|
Hymenoptera |
Franco ROSSI |
3 |
1177 |
21/10/2011, 22:04
Eopteryx
|
 |
|
|
Amblyteles armatorius (Forster, 1771) - Ichneumonidae Ichneumoninae Ichneumonini
6.X.1990 - ITALIA - Lombardia - PV
|
Hymenoptera |
giuseppe55 |
2 |
1222 |
18/10/2011, 19:09
giuseppe55
|
 |
|
|
Pristomerus sp. - Ichneumonidae Cremastinae
27.VIII.2011 - ITALIA - Marche - PU
|
Hymenoptera |
marco paglialunga |
2 |
1101 |
14/10/2011, 7:59
marco paglialunga
|
 |
|
|
Hybrizon buccatus (de Brébisson, 1825) - Paxylommatinae
22.VIII.2011 - ITALIA - Marche - PU
|
Hymenoptera |
marco paglialunga |
2 |
886 |
08/10/2011, 18:10
marco paglialunga
|
 |
|
|
Acroricnus seductor (Scopoli, 1786), ♂ + ♀ - Ichneumonidae
3.VIII.2011 - ITALIA - Veneto - RO
|
Hymenoptera |
Umbro |
1 |
1173 |
02/10/2011, 16:11
Eopteryx
|
 |
|
|
Ctenichneumon panzeri (Wesmael 1845) - Ichneumonidae
6.VIII.2011 - ITALIA - Lombardia - MI
|
Hymenoptera |
carlos |
5 |
2358 |
01/10/2011, 7:27
Julodis
|
 |
|
|
Netelia sp. - Ichneumonidae Tryphoninae
27.VIII.1995 - ITALIA - Marche - AN
|
Hymenoptera |
dorbodervus |
3 |
1085 |
28/09/2011, 15:44
Eopteryx
|
 |
|
|
Anomalon cruentatum (Geoffroy, 1785) ♀ - Ichneumonidae Anomaloninae
30.VII.2011 - ITALIA - Abruzzo - AQ
|
Hymenoptera |
Claude54 |
1 |
905 |
15/09/2011, 12:49
Eopteryx
|
 |
|
|
Acroricnus seductor (Scopoli, 1786), ♀ - Ichneumonidae
23.VII.2011 - ITALIA - Campania - NA
|
Hymenoptera |
clido |
3 |
1929 |
04/09/2011, 20:04
clido
|
 |
|
|
Ichneumon suspiciosus Wesmael 1845 ♂ - Ichneumonoidea - Ichneumonidae - Ichneumoninae
14.VII.1987 - FRANCIA - EE
|
Hymenoptera |
D & JP Balmer |
4 |
939 |
28/07/2011, 8:20
Eopteryx
|
 |
|
|
Rhyssa persuasoria (Linnaeus 1758) ♂ - Ichneumonoidea - Ichneumonidae - Rhyssinae
27.IV.2007 - FRANCIA - EE
|
Hymenoptera |
D & JP Balmer |
1 |
654 |
27/07/2011, 18:05
Eopteryx
|
 |
|
|
Ichneumon bucculentus Wesmael 1845 ♂ (?) - Ichneumonoidea - Ichneumonidae - Ichneumoninae
10.VII.2004 - FRANCIA - EE
|
Hymenoptera |
D & JP Balmer |
0 |
531 |
26/07/2011, 15:46
D & JP Balmer
|
 |
|
|
Ichneumon extensorius Linnaeus 1758 ♀ - Ichneumonoidea - Ichneumonidae - Ichneumoninae
8.VIII.2003 - FRANCIA - EE
|
Hymenoptera |
D & JP Balmer |
10 |
1231 |
25/07/2011, 22:48
D & JP Balmer
|
 |
|
|
Ichneumon melanotis Holmgren 1864 ♂ - Ichneumonoidea - Ichneumonidae - Ichneumoninae
14.VI.1994 - FRANCIA - EE
|
Hymenoptera |
D & JP Balmer |
0 |
495 |
25/07/2011, 15:42
D & JP Balmer
|
 |
|
|
Ichneumon stramentor Rasnitsyn 1981 ♀ - Ichneumonoidea - Ichneumonidae - Ichneumoninae
7.VII.2002 - FRANCIA - EE
|
Hymenoptera |
D & JP Balmer |
4 |
815 |
24/07/2011, 18:19
Eopteryx
|
 |
|
|
Ichneumon sp. ♀ (?) - Ichneumonoidea - Ichneumonidae - Ichneumoninae
13.IX.2007 - FRANCIA - EE
|
Hymenoptera |
D & JP Balmer |
1 |
795 |
24/07/2011, 14:51
D & JP Balmer
|
 |
|
|
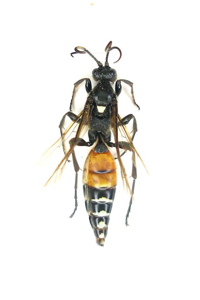
Rhyssa amoena (Gravenhorst, 1829) - Ichneumonidae
15.VIII.2010 - ITALIA - Friuli-Venezia Giulia - PN
|
Hymenoptera |
andreah |
7 |
1831 |
21/07/2011, 20:14
andreah
|
 |
|
|
Therion circumflexum (Linnaeus 1758) - Ichneumonidae Anomaloninae
9.VII.2011 - ITALIA - Marche - PU
|
Hymenoptera |
marco paglialunga |
3 |
865 |
20/07/2011, 16:01
Eopteryx
|
 |
|
|
Diphyus ochromelas (Gmelin, 1790) ♀ - Ichneumonidae Ichneumoninae Ichneumonini
1.VII.2011 - ITALIA - Emilia-Romagna - FC
|
Hymenoptera |
Isotomus |
5 |
1551 |
08/07/2011, 18:40
Eopteryx
|
 |
|
|
Venturia canescens (Gravenhorst, 1829) ♀ - Ichneumonidae Campopleginae
27.VI.2011 - ITALIA - Campania - NA
|
Hymenoptera |
anto18 |
5 |
1756 |
27/06/2011, 15:18
Eopteryx
|
 |
|
|
Xorides (Xorides) filiformis (Holmgren 1860) ♂♀ - Xoridinae
12.IX.2007 - FRANCIA - EE
|
Hymenoptera |
D & JP Balmer |
0 |
1097 |
10/06/2011, 11:01
D & JP Balmer
|
 |
|
|
Ichneumon xanthorius Forster, 1771 - Ichneumonidae Ichneumoninae
11.V.2011 - REGNO UNITO - Inghilterra - EE
|
Hymenoptera |
matthew gandy |
2 |
954 |
11/05/2011, 18:49
matthew gandy
|
 |
|
|
Amblyteles armatorius (Forster, 1771) - Ichneumonidae Ichneumoninae
20.IV.2011 - ITALIA - Sardegna - CA
|
Hymenoptera |
Palaemonetes |
2 |
1020 |
29/04/2011, 14:38
Palaemonetes
|
 |
|
|
Diphyus quadripunctorius (Müller, 1776) (cf.) - Ichneumonidae - Romania
21.IV.2011 - ROMANIA - EE
|
Hymenoptera |
alexaandru |
2 |
955 |
26/04/2011, 21:05
alexaandru
|
 |
|
|
Xorides (Xorides) praecatorius (Fabricius, 1793) ♀ - Xoridinae
13.II.2011 - ROMANIA - EE
|
Hymenoptera |
cosmln |
10 |
2912 |
03/04/2011, 14:28
Jacek Hilszczanski
|
 |
|
|
Lymantrichneumon disparis (Poda, 1761) - Ichneumonidae Ichneumoninae
20.III.2011 - ITALIA - Lombardia - CO
|
Hymenoptera |
Xylotrechus |
3 |
1114 |
24/03/2011, 15:08
Raubmilbe
|
 |
|
|
Ichneumon sarcitorius Linnaeus,1758 - Ichneumonidae, Ichneumoninae
13.II.2011 - ROMANIA - EE
|
Hymenoptera |
alexaandru |
4 |
1085 |
27/02/2011, 9:20
alexaandru
|
 |
|
|
Ophion cf. obscuratus Fabricius 1798 Hymenoptera Ichneumonidae
1.II.2011 - ITALIA - Marche - PU
|
Hymenoptera |
marco paglialunga |
10 |
1686 |
12/02/2011, 21:45
Eopteryx
|
|
|