Benvenuto Ospite

Forum Entomologi Italiani

www.entomologiitaliani.net/forum
 
Oggi è 20/12/2025, 21:35

Tutti gli orari sono UTC + 1 ora [ ora legale ]

 Forum   Argomenti   Messaggi   Ultimo messaggio 
Nessun messaggio da leggere
Filtro località
Megachilidae indeterminati

67

284

27/08/2025, 16:46

Andricus Vedi ultimo messaggio



Megachilidae


[ AFROTROPICALE ] [ ANTARTICO ] [ AUSTRALASIANO ] [ NEARTICO ] [ NEOTROPICALE ] [ ORIENTALE ] [ PALEARTICO ]


nuovo argomento
Vai alla pagina Precedente  1, 2, 3, 4, 5, 6 ... 8  Prossimo
Pagina 3 di 8 [ 378 argomenti ]
 Argomenti   Ordine   Autore   Risposte   Visite    Ultimo messaggio 
Annunci
Nessun messaggio da leggere
Allegato(i)
Incontri entomologici della Società Entomologica Italiana 2025-2026
 

Velvet Ant

0

13123

17/11/2025, 19:41

Velvet Ant Vedi ultimo messaggio

Nessun messaggio da leggere
Allegato(i)
Incontri entomologici telematici organizzati dalla Società Entomologica Italiana nel 2022 e nel 2023

[ Vai alla paginaVai alla pagina: 1, 2, 3 ]

 

Velvet Ant

44

1669974

03/03/2023, 15:55

Velvet Ant Vedi ultimo messaggio

Nessun messaggio da leggere  
Allegato(i)
Sondaggio sul declino dell'entomofauna in Italia

[ Vai alla paginaVai alla pagina: 1, 2, 3, 4 ]

 

Velvet Ant

52

2287533

22/10/2022, 19:18

Acquarius Vedi ultimo messaggio

Nessun messaggio da leggere  
Allegato(i)
Progetto: Bibliografia ragionata dei lavori entomologici nei quali sono citati reperti apparsi su FEI

[ Vai alla paginaVai alla pagina: 1, 2, 3 ]

 

Velvet Ant

33

1343375

06/07/2023, 18:31

Orotrechus Vedi ultimo messaggio

Nessun messaggio da leggere
Allegato(i)
Mimesi, il primo documentario cinematografico sull’entomologia in Italia: casting
 

mazzeip

1

1086339

28/02/2019, 20:26

mazzeip Vedi ultimo messaggio

Questo argomento è bloccato, non puoi modificare o inviare ulteriori messaggi.
Allegato(i)
ISTRUZIONI PUBBLICAZIONE NUOVI ARGOMENTI E FOTO

 
Altri Ordini di Insetti

Julodis

4

2883713

13/05/2015, 19:37

Julodis Vedi ultimo messaggio

Nessun messaggio da leggere
Allegato(i)
Limitatore giornaliero di messaggi, uno strumento utile e ormai indispensabile

[ Vai alla paginaVai alla pagina: 1 ... 14, 15, 16 ]

 

Velvet Ant

233

12255468

25/09/2014, 14:31

Inachis Vedi ultimo messaggio

Nessun messaggio da leggere  
NORME PER I COLLABORATORI DEL FORUM

 
 

Velvet Ant

0

631910

02/06/2011, 12:05

Velvet Ant Vedi ultimo messaggio

Nessun messaggio da leggere
Allegato(i)
NORME PER GLI UTENTI DEL FORUM

[ Vai alla paginaVai alla pagina: 1, 2, 3 ]



 
 

Velvet Ant

30

3463005

23/09/2014, 23:54

Maurizio Bollino Vedi ultimo messaggio

Nessun messaggio da leggere  
Lista degli utenti del "Forum entomologi italiani" per campi di interesse e specializzazione

 
Altri Ordini di Insetti

Velvet Ant

13

1003812

07/09/2023, 17:14

Roberto-07 Vedi ultimo messaggio

Argomenti
Nessun messaggio da leggere
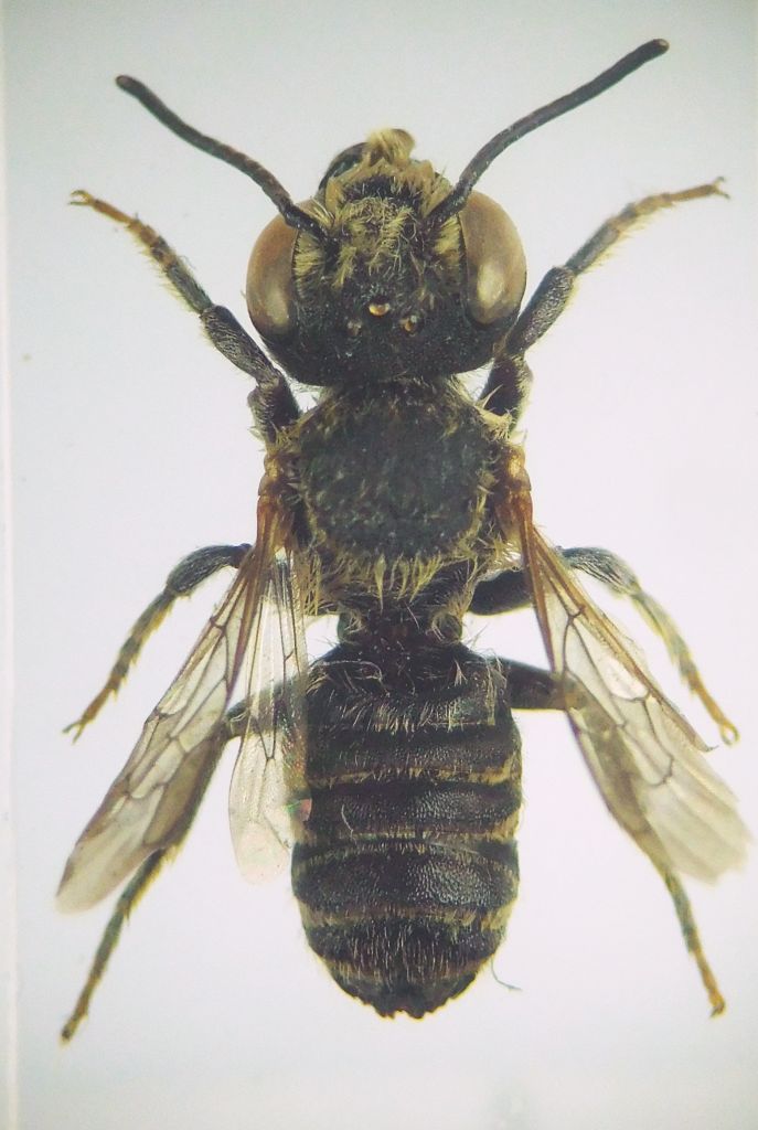
Megachile (Eutricharaea) fertoni ♀ (Pérez, 1895) - Megachilidae
17.VIII.2013 - ITALIA - Sardegna - SS
Allegato(i)
Megachile (Eutricharaea) fertoni ♀ (Pérez, 1895) - Megachilidae

17.VIII.2013 - ITALIA - Sardegna - SS
Hymenoptera

Pietro Niolu

0

262

16/12/2020, 21:06

Pietro Niolu Vedi ultimo messaggio

Nessun messaggio da leggere
Allegato(i)
Megachile (Calicodoma) sicula corsica ♀ (Benoist, 1935) - Megachilidae

23.IV.2015 - ITALIA - Sardegna - OR
Hymenoptera

Pietro Niolu

2

397

15/12/2020, 23:00

Pietro Niolu Vedi ultimo messaggio

Nessun messaggio da leggere
Megachile (Eutricharaea) argentata (Fabricius, 1793) - Megachilidae
10.IX.2006 - ITALIA - Emilia-Romagna - RA
Allegato(i)
Megachile (Eutricharaea) argentata (Fabricius, 1793) - Megachilidae

10.IX.2006 - ITALIA - Emilia-Romagna - RA
Hymenoptera

Chalybion

5

473

14/12/2020, 22:22

Chalybion Vedi ultimo messaggio

Nessun messaggio da leggere
Allegato(i)
Megachile (Eutricharaea) melanogaster ♀ (Eversmann, 1852) - Megachilidae

7.VII.2018 - ITALIA - Sardegna - SS
Hymenoptera

Pietro Niolu

1

322

14/12/2020, 20:22

Pietro Niolu Vedi ultimo messaggio

Nessun messaggio da leggere
Allegato(i)
Megachile (Chrysosarus) melanopyga ♂ (Costa, 1863) - Megachilidae

8.VII.2017 - ITALIA - Sardegna - SS
Hymenoptera

Pietro Niolu

0

370

12/12/2020, 23:12

Pietro Niolu Vedi ultimo messaggio

Nessun messaggio da leggere
Osmia (Hoplosmia) ligurica ♂ (Morawitz, 1868) - Megachilidae
20.VI.2014 - ITALIA - Sardegna - SS
Allegato(i)
Osmia (Hoplosmia) ligurica ♂ (Morawitz, 1868) - Megachilidae

20.VI.2014 - ITALIA - Sardegna - SS
Hymenoptera

Pietro Niolu

0

268

11/12/2020, 20:09

Pietro Niolu Vedi ultimo messaggio

Nessun messaggio da leggere
Allegato(i)
Megachile (Macromegachile) lagopoda ♀ (Linnaeus, 1761) - Megachilidae

7.VIII.2020 - ITALIA - Sardegna - NU
Hymenoptera

Pietro Niolu

0

275

11/12/2020, 20:09

Pietro Niolu Vedi ultimo messaggio

Nessun messaggio da leggere
Hoplitis (Hoplitis) bihamata ♀ (Costa 1885) -Megachilidae
19.IV.2014 - ITALIA - Sardegna - SS
Allegato(i)
Hoplitis (Hoplitis) bihamata ♀ (Costa 1885) -Megachilidae

19.IV.2014 - ITALIA - Sardegna - SS
Hymenoptera

Pietro Niolu

0

215

10/12/2020, 20:09

Pietro Niolu Vedi ultimo messaggio

Nessun messaggio da leggere
Allegato(i)
Megachile (Chalicodoma) lefebvrei ♀ (Lepeletier, 1841) - Megachilidae

12.VII.2020 - ITALIA - Sardegna - SS
Hymenoptera

Pietro Niolu

0

269

10/12/2020, 20:09

Pietro Niolu Vedi ultimo messaggio

Nessun messaggio da leggere
Osmia (Helicosmia) latreillei (Spinola, 1806) - Megachilidae
22.IV.2000 - ITALIA - Puglia - FG
Allegato(i)
Osmia (Helicosmia) latreillei (Spinola, 1806) - Megachilidae

22.IV.2000 - ITALIA - Puglia - FG
Hymenoptera

Chalybion

4

554

10/12/2020, 19:30

Chalybion Vedi ultimo messaggio

Nessun messaggio da leggere
Osmia (Hoplosmia) ligurica (Morawitz, 1868) - Megachilidae
18.VI.2020 - ITALIA - Lazio - RM
Allegato(i)
Osmia (Hoplosmia) ligurica (Morawitz, 1868) - Megachilidae

18.VI.2020 - ITALIA - Lazio - RM
Hymenoptera

Andricus

0

266

09/12/2020, 22:24

Andricus Vedi ultimo messaggio

Nessun messaggio da leggere
Allegato(i)
Osmia (Metallinella) brevicornis (Fabricius, 1798) - Megachilidae

21.V.2020 - ITALIA - Lazio - VT
Hymenoptera

Andricus

0

250

09/12/2020, 22:24

Andricus Vedi ultimo messaggio

Nessun messaggio da leggere
Hoplitis (Hoplitis) bihamata ♂ (Costa 1885) -Megachilidae
13.V.2013 - ITALIA - Sardegna - SS
Allegato(i)
Hoplitis (Hoplitis) bihamata ♂ (Costa 1885) -Megachilidae

13.V.2013 - ITALIA - Sardegna - SS
Hymenoptera

Pietro Niolu

0

307

09/12/2020, 20:12

Pietro Niolu Vedi ultimo messaggio

Nessun messaggio da leggere
Hoplitis (Hoplitis) bihamata ♂ (Costa 1885) -Megachilidae
28.V.2008 - ITALIA - Sardegna - SS
Allegato(i)
Hoplitis (Hoplitis) bihamata ♂ (Costa 1885) -Megachilidae

28.V.2008 - ITALIA - Sardegna - SS
Hymenoptera

Pietro Niolu

0

291

09/12/2020, 20:09

Pietro Niolu Vedi ultimo messaggio

Nessun messaggio da leggere
Osmia (Helicosmia) leaiana (Kirby, 1802) - Megachilidae
10.VIII.2020 - ITALIA - Lazio - VT
Allegato(i)
Osmia (Helicosmia) leaiana (Kirby, 1802) - Megachilidae

10.VIII.2020 - ITALIA - Lazio - VT
Hymenoptera

Andricus

0

296

09/12/2020, 17:13

Andricus Vedi ultimo messaggio

Nessun messaggio da leggere
Allegato(i)
Megachile (Megachile) pilicrus Morawirz, 1878 - Megachilidae

7.VII.2019 - ITALIA - Lazio - RM
Hymenoptera

Andricus

0

430

09/12/2020, 17:13

Andricus Vedi ultimo messaggio

Nessun messaggio da leggere
Megachile (Megachile) ligniseca (Kirby, 1802) - Megachilidae
23.VIII.2020 - ITALIA - Veneto - BL
Allegato(i)
Megachile (Megachile) ligniseca (Kirby, 1802) - Megachilidae

23.VIII.2020 - ITALIA - Veneto - BL
Hymenoptera

Andricus

0

423

08/12/2020, 22:24

Andricus Vedi ultimo messaggio

Nessun messaggio da leggere
Megachile (Megachile) pilicrus Morawirz, 1878 - Megachilidae
30.VII.2020 - ITALIA - Lazio - VT
Allegato(i)
Megachile (Megachile) pilicrus Morawirz, 1878 - Megachilidae

30.VII.2020 - ITALIA - Lazio - VT
Hymenoptera

Andricus

0

284

08/12/2020, 22:24

Andricus Vedi ultimo messaggio

Nessun messaggio da leggere
Lithurgus fortis Cockerell, 1929 - Megachilidae
XII.2017 - ISOLE SALOMONE - EE
Allegato(i)
Lithurgus fortis Cockerell, 1929 - Megachilidae

XII.2017 - ISOLE SALOMONE - EE
Hymenoptera

Andricus

0

519

08/12/2020, 18:37

Andricus Vedi ultimo messaggio

Nessun messaggio da leggere
Osmia (Helicosmia) frieseana (Ducke, 1899) ♂ -Megachilidae
5.V.2018 - ITALIA - Sardegna - SS
Allegato(i)
Osmia (Helicosmia) frieseana (Ducke, 1899) ♂ -Megachilidae

5.V.2018 - ITALIA - Sardegna - SS
Hymenoptera

Pietro Niolu

0

398

08/12/2020, 18:17

Pietro Niolu Vedi ultimo messaggio

Nessun messaggio da leggere
Osmia (Helicosmia) frieseana (Ducke, 1899) ♂ -Megachilidae
17.V.2018 - ITALIA - Sardegna - SS
Allegato(i)
Osmia (Helicosmia) frieseana (Ducke, 1899) ♂ -Megachilidae

17.V.2018 - ITALIA - Sardegna - SS
Hymenoptera

Pietro Niolu

0

366

08/12/2020, 17:20

Pietro Niolu Vedi ultimo messaggio

Nessun messaggio da leggere
Allegato(i)
Hoplitis (Alcidamea) tridentata (Dufour & Perris, 1840) - Megachilidae

21.V.2020 - ITALIA - Lazio - VT
Hymenoptera

Andricus

0

291

07/12/2020, 22:24

Andricus Vedi ultimo messaggio

Nessun messaggio da leggere
Allegato(i)
Chelostoma (Foveosmia) foveolatum (Morawitz, 1868) - Megachilidae

26.VII.2020 - ITALIA - Lazio - VT
Hymenoptera

Andricus

0

282

07/12/2020, 22:24

Andricus Vedi ultimo messaggio

Nessun messaggio da leggere
Megachile (Chalicodoma) pyrenaica (Lepeletier, 1841) - Megachilidae
22.VI.2020 - ITALIA - Emilia-Romagna - BO
Allegato(i)
Megachile (Chalicodoma) pyrenaica (Lepeletier, 1841) - Megachilidae

22.VI.2020 - ITALIA - Emilia-Romagna - BO
Hymenoptera

Andricus

1

530

06/12/2020, 22:41

Chalybion Vedi ultimo messaggio

Nessun messaggio da leggere
Trachusa interrupta (Fabricius, 1781) - Megachilidae
3.V.1998 - ITALIA - Puglia - FG
Allegato(i)
Trachusa interrupta (Fabricius, 1781) - Megachilidae

3.V.1998 - ITALIA - Puglia - FG
Hymenoptera

Chalybion

2

544

06/12/2020, 22:27

Chalybion Vedi ultimo messaggio

Nessun messaggio da leggere
Allegato(i)
Megachile (Megachile) octosignata Nylander, 1852 - Megachilidae

7.VII.2019 - ITALIA - Lazio - RM
Hymenoptera

Andricus

0

297

06/12/2020, 22:24

Andricus Vedi ultimo messaggio

Nessun messaggio da leggere
Stelis (Stelis) simillima Morawitz, 1876 - Megachilidae
17.VII.2019 - ITALIA - Lazio - VT
Allegato(i)
Stelis (Stelis) simillima Morawitz, 1876 - Megachilidae

17.VII.2019 - ITALIA - Lazio - VT
Hymenoptera

Andricus

0

271

06/12/2020, 22:24

Andricus Vedi ultimo messaggio

Nessun messaggio da leggere
Allegato(i)
Stelis (Pseudostelis) minuta Lepeletier & Serville, 1825 - Megachilidae

12.VI.2020 - ITALIA - Lazio - VT
Hymenoptera

Andricus

0

408

05/12/2020, 22:52

Andricus Vedi ultimo messaggio

Nessun messaggio da leggere
Allegato(i)
Hoplitis (Anthocopa) cristatula Zanden, 1990 - Megachilidae

18.VI.2020 - ITALIA - Lazio - RM
Hymenoptera

Andricus

0

356

05/12/2020, 22:24

Andricus Vedi ultimo messaggio

Nessun messaggio da leggere
Allegato(i)
Megachile (Creightonella) albisecta (Klug, 1817) - Megachilidae

12.VII.2020 - ITALIA - Lazio - VT
Hymenoptera

Andricus

0

366

01/12/2020, 20:23

Andricus Vedi ultimo messaggio

Nessun messaggio da leggere
Megachile (Chalicodoma) parietina (Geoffroy, 1785) - Megachilidae
12.VIII.2000 - ITALIA - Emilia-Romagna - PR
Allegato(i)
Megachile (Chalicodoma) parietina (Geoffroy, 1785) - Megachilidae

12.VIII.2000 - ITALIA - Emilia-Romagna - PR
Hymenoptera

Chalybion

3

447

30/11/2020, 21:03

Chalybion Vedi ultimo messaggio

Nessun messaggio da leggere
Osmia (Osmia) tricornis Latreille, 1811 - Megachilidae
23.IV.2000 - ITALIA - Puglia - FG
Allegato(i)
Osmia (Osmia) tricornis Latreille, 1811 - Megachilidae

23.IV.2000 - ITALIA - Puglia - FG
Hymenoptera

Chalybion

6

598

27/11/2020, 20:54

Andricus Vedi ultimo messaggio

Nessun messaggio da leggere
Osmia cornuta (Latreille, 1805) - Megachilidae
18.III.2009 - ITALIA - Emilia-Romagna - RA
Allegato(i)
Osmia cornuta (Latreille, 1805) - Megachilidae

18.III.2009 - ITALIA - Emilia-Romagna - RA
Hymenoptera

Chalybion

4

627

27/11/2020, 13:01

Chalybion Vedi ultimo messaggio

Nessun messaggio da leggere
Megachile (Chalicodoma) sp. (cf.) - Megachilidae
30.IV.2019 - ITALIA - Emilia-Romagna - BO
Allegato(i)
Megachile (Chalicodoma) sp. (cf.) - Megachilidae

30.IV.2019 - ITALIA - Emilia-Romagna - BO
Hymenoptera

Chalybion

3

686

26/11/2020, 20:04

Chalybion Vedi ultimo messaggio

Nessun messaggio da leggere
Hoplitis (Hoplitis) adunca (Panzer, 1798) - Megachilidae
17.V.2020 - ITALIA - Emilia-Romagna - RE
Allegato(i)
Hoplitis (Hoplitis) adunca (Panzer, 1798) - Megachilidae

17.V.2020 - ITALIA - Emilia-Romagna - RE
Hymenoptera

Mikiphasmide

7

679

24/11/2020, 17:37

Andricus Vedi ultimo messaggio

Nessun messaggio da leggere
Allegato(i)
Rhodanthidium septemdentatum (Latreille, 1809) - Megachilidae

14.VI.2014 - ITALIA - Marche - AN
Hymenoptera

Mikiphasmide

0

311

22/11/2020, 15:40

Mikiphasmide Vedi ultimo messaggio

Nessun messaggio da leggere
Allegato(i)
Megachile (Eutricharaea) apicalis (Spinola, 1808) - Megachilidae

27.VIII.2018 - FRANCIA - EE
Hymenoptera

Mikiphasmide

8

964

21/11/2020, 18:34

Mikiphasmide Vedi ultimo messaggio

Nessun messaggio da leggere
Allegato(i)
Megachile (Eutricharaea) apicalis (Spinola, 1808) ♀ - Megachilidae

8.VII.2017 - ITALIA - Sardegna - SS
Hymenoptera

Pietro Niolu

0

358

21/11/2020, 18:29

Pietro Niolu Vedi ultimo messaggio

Nessun messaggio da leggere
Anthidium (Anthidium) florentinum (Fabricius, 1775) - Megachilidae
7.VII.2015 - ITALIA - Emilia-Romagna - RE
Allegato(i)
Anthidium (Anthidium) florentinum (Fabricius, 1775) - Megachilidae

7.VII.2015 - ITALIA - Emilia-Romagna - RE
Hymenoptera

Mikiphasmide

0

328

21/11/2020, 15:40

Mikiphasmide Vedi ultimo messaggio

Nessun messaggio da leggere
Anthidium (Anthidium) loti Perris, 1852 - Megachilidae
11.VI.2014 - ITALIA - Emilia-Romagna - RE
Allegato(i)
Anthidium (Anthidium) loti Perris, 1852 - Megachilidae

11.VI.2014 - ITALIA - Emilia-Romagna - RE
Hymenoptera

Mikiphasmide

0

334

21/11/2020, 15:40

Mikiphasmide Vedi ultimo messaggio

Nessun messaggio da leggere
Osmia (Helicosmia) caerulescens (Linnaeus, 1758) - Megachilidae
17.IV.2014 - ITALIA - Emilia-Romagna - RE
Allegato(i)
Osmia (Helicosmia) caerulescens (Linnaeus, 1758) - Megachilidae

17.IV.2014 - ITALIA - Emilia-Romagna - RE
Hymenoptera

Mikiphasmide

3

549

20/11/2020, 16:20

Andricus Vedi ultimo messaggio

Nessun messaggio da leggere
Stelis signata (Latreille, 1809) - Megachilidae
8.IX.2017 - ITALIA - Emilia-Romagna - RE
Allegato(i)
Stelis signata (Latreille, 1809) - Megachilidae

8.IX.2017 - ITALIA - Emilia-Romagna - RE
Hymenoptera

Mikiphasmide

0

268

20/11/2020, 15:40

Mikiphasmide Vedi ultimo messaggio

Nessun messaggio da leggere
Anthidium (Proanthidium) oblongatum (Illiger, 1806) - Megachilidae
2.VII.2014 - ITALIA - Emilia-Romagna - RE
Allegato(i)
Anthidium (Proanthidium) oblongatum (Illiger, 1806) - Megachilidae

2.VII.2014 - ITALIA - Emilia-Romagna - RE
Hymenoptera

Mikiphasmide

0

337

20/11/2020, 15:40

Mikiphasmide Vedi ultimo messaggio

Nessun messaggio da leggere
Osmia cornuta (Latreille, 1805) - Megachilidae
28.III.2018 - ITALIA - Emilia-Romagna - RE
Allegato(i)
Osmia cornuta (Latreille, 1805) - Megachilidae

28.III.2018 - ITALIA - Emilia-Romagna - RE
Hymenoptera

Mikiphasmide

1

366

18/11/2020, 16:55

Mattia D'Amato Vedi ultimo messaggio

Nessun messaggio da leggere
Chelostoma florisomne (Linnaeus, 1758) - Megachilidae
11.V.2019 - ITALIA - Emilia-Romagna - RE
Allegato(i)
Chelostoma florisomne (Linnaeus, 1758) - Megachilidae

11.V.2019 - ITALIA - Emilia-Romagna - RE
Hymenoptera

Mikiphasmide

2

424

17/11/2020, 16:59

Mikiphasmide Vedi ultimo messaggio

Nessun messaggio da leggere
Allegato(i)
Pseudoanthidium (Pseudoanthidium) nanum (Mocsáry, 1879) cf. - Megachilidae

27.V.2020 - ITALIA - Emilia-Romagna - RE
Hymenoptera

Mikiphasmide

4

552

17/11/2020, 16:59

Mikiphasmide Vedi ultimo messaggio

Nessun messaggio da leggere
Anthidium florentinum (Fabricius, 1775) - Megachilidae
6.VII.2012 - ITALIA - Emilia-Romagna - RA
Allegato(i)
Anthidium florentinum (Fabricius, 1775) - Megachilidae

6.VII.2012 - ITALIA - Emilia-Romagna - RA
Hymenoptera

Chalybion

4

940

24/10/2020, 19:40

Chalybion Vedi ultimo messaggio

Nessun messaggio da leggere
Allegato(i)
Rhodanthidium septemdentatum (Latreille, 1809) - Megachilidae

24.IV.2000 - ITALIA - Puglia - FG
Hymenoptera

Chalybion

2

555

22/10/2020, 19:33

Chalybion Vedi ultimo messaggio

Nessun messaggio da leggere
Anthidium florentinum (Fabricius, 1775) - Megachilidae
1.VIII.2016 - ITALIA - Emilia-Romagna - RA
Allegato(i)
Anthidium florentinum (Fabricius, 1775) - Megachilidae

1.VIII.2016 - ITALIA - Emilia-Romagna - RA
Hymenoptera

Chalybion

2

756

22/10/2020, 19:32

Chalybion Vedi ultimo messaggio

Nessun messaggio da leggere
Allegato(i)
Coelioxys conoidea (Illiger,1806) - Megachilidae (cf.)

21.IX.2020 - SLOVACCHIA - EE
Hymenoptera

Karol Ox

4

797

27/09/2020, 14:02

Karol Ox Vedi ultimo messaggio

Visualizza ultimi argomenti:  Ordina per  Ordine:  
nuovo argomento
Vai alla pagina Precedente  1, 2, 3, 4, 5, 6 ... 8  Prossimo
Pagina 3 di 8 [ 378 argomenti ]

Tutti gli orari sono UTC + 1 ora [ ora legale ]


Chi c’è in linea

Visitano il forum: Nessuno e 1 ospite


Legenda
Messaggi da leggere Messaggi da leggere Nessun messaggio da leggere Nessun messaggio da leggere Annuncio Annuncio
 
Specie indeterminata / discussione generica
Messaggi non letti [ Popolari ] Messaggi non letti [ Popolari ] Nessun messaggio da leggere [ Popolare ] Nessun messaggio da leggere [ Popolare ] Importante Importante
 
Specie determinata fino al genere o cf.
Messaggi non letti [ Bloccati ] Messaggi non letti [ Bloccati ] No messaggi non letti [ Bloccati ] No messaggi non letti [ Bloccati ] Argomento spostato Argomento spostato
 
Specie correttamente determinata
Permessi
Non puoi aprire nuovi argomenti
Non puoi rispondere negli argomenti
Non puoi modificare i tuoi messaggi
Non puoi cancellare i tuoi messaggi
Non puoi inviare allegati

Cerca per:
Vai a: