Benvenuto Ospite

Forum Entomologi Italiani

www.entomologiitaliani.net/forum
 
Oggi è 07/11/2025, 14:04

Tutti gli orari sono UTC + 1 ora [ ora legale ]


100%
2927 taxa correttamente determinati su 2928 presenti in archivio

Cerambycidae


[ AFROTROPICALE ] [ ANTARTICO ] [ AUSTRALASIANO ] [ NEARTICO ] [ NEOTROPICALE ] [ ORIENTALE ] [ PALEARTICO ]


nuovo argomento
Vai alla pagina Precedente  1, 2, 3, 4, 5, 6 ... 59  Prossimo
Pagina 3 di 59 [ 2928 argomenti ]
 Argomenti   Ordine   Autore   Risposte   Visite    Ultimo messaggio 
Annunci
Nessun messaggio da leggere
Allegato(i)
Incontri entomologici telematici organizzati dalla Società Entomologica Italiana nel 2022 e nel 2023

[ Vai alla paginaVai alla pagina: 1, 2, 3 ]

 

Velvet Ant

44

1425549

03/03/2023, 15:55

Velvet Ant Vedi ultimo messaggio

Nessun messaggio da leggere  
Allegato(i)
Sondaggio sul declino dell'entomofauna in Italia

[ Vai alla paginaVai alla pagina: 1, 2, 3, 4 ]

 

Velvet Ant

52

1753141

22/10/2022, 19:18

Acquarius Vedi ultimo messaggio

Nessun messaggio da leggere  
Allegato(i)
Progetto: Bibliografia ragionata dei lavori entomologici nei quali sono citati reperti apparsi su FEI

[ Vai alla paginaVai alla pagina: 1, 2, 3 ]

 

Velvet Ant

33

1168005

06/07/2023, 18:31

Orotrechus Vedi ultimo messaggio

Nessun messaggio da leggere
Allegato(i)
Mimesi, il primo documentario cinematografico sull’entomologia in Italia: casting
 

mazzeip

1

456313

28/02/2019, 20:26

mazzeip Vedi ultimo messaggio

Questo argomento è bloccato, non puoi modificare o inviare ulteriori messaggi.
Allegato(i)
ISTRUZIONI PUBBLICAZIONE NUOVI ARGOMENTI E FOTO

 
Altri Ordini di Insetti

Julodis

4

897962

13/05/2015, 19:37

Julodis Vedi ultimo messaggio

Nessun messaggio da leggere
Allegato(i)
Limitatore giornaliero di messaggi, uno strumento utile e ormai indispensabile

[ Vai alla paginaVai alla pagina: 1 ... 14, 15, 16 ]

 

Velvet Ant

233

8807394

25/09/2014, 14:31

Inachis Vedi ultimo messaggio

Nessun messaggio da leggere  
NORME PER I COLLABORATORI DEL FORUM

 
 

Velvet Ant

0

478625

02/06/2011, 12:05

Velvet Ant Vedi ultimo messaggio

Nessun messaggio da leggere
Allegato(i)
NORME PER GLI UTENTI DEL FORUM

[ Vai alla paginaVai alla pagina: 1, 2, 3 ]



 
 

Velvet Ant

30

2343602

23/09/2014, 23:54

Maurizio Bollino Vedi ultimo messaggio

Questo argomento è bloccato, non puoi modificare o inviare ulteriori messaggi.  
Elenco delle specie italiane di Cerambycidae presenti sul forum
Cerambycidae


 
Coleoptera

Plagionotus

0

5994

22/11/2010, 22:28

Plagionotus Vedi ultimo messaggio

Nessun messaggio da leggere  
Lista degli utenti del "Forum entomologi italiani" per campi di interesse e specializzazione

 
Altri Ordini di Insetti

Velvet Ant

13

943171

07/09/2023, 17:14

Roberto-07 Vedi ultimo messaggio

Argomenti
Nessun messaggio da leggere
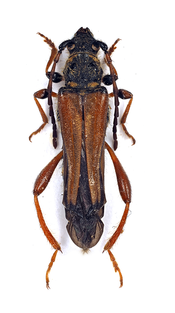
Oxypleurus nodieri Mulsant, 1839 - Cerambycidae
25.II.2022 - ITALIA - Campania - SA
Allegato(i) Dettagli della specie
Oxypleurus nodieri Mulsant, 1839
Cerambycidae


25.II.2022 - ITALIA - Campania - SA
Coleoptera

Enzo.C

3

702

26/02/2022, 14:45

Enzo.C Vedi ultimo messaggio

Nessun messaggio da leggere
Allegato(i) Dettagli della specie
Pseudovadonia livida livida (Fabricius, 1777)
Cerambycidae


9.VI.2021 - ITALIA - Lazio - RM
Coleoptera

wgliinsetti

2

607

21/02/2022, 20:02

wgliinsetti Vedi ultimo messaggio

Nessun messaggio da leggere
Allegato(i) Dettagli della specie
Ropalopus (Ropalopus) varini (Bedel, 1870)
Cerambycidae


VI.2021 - ITALIA - Marche - MC
Coleoptera

StagBeetle

7

1083

19/02/2022, 18:40

Plagionotus Vedi ultimo messaggio

Nessun messaggio da leggere
Allegato(i) Dettagli della specie
Stictoleptura scutellata scutellata (Fabricius, 1781)
Cerambycidae


VII.2021 - ITALIA - Marche - MC
Coleoptera

StagBeetle

0

452

14/02/2022, 20:35

StagBeetle Vedi ultimo messaggio

Nessun messaggio da leggere
Allegato(i) Dettagli della specie
Ropalopus (Ropalopus) ungaricus (Herbst, 1784)
Cerambycidae


VII.2021 - ITALIA - Marche - MC
Coleoptera

StagBeetle

0

501

14/02/2022, 20:32

StagBeetle Vedi ultimo messaggio

Nessun messaggio da leggere
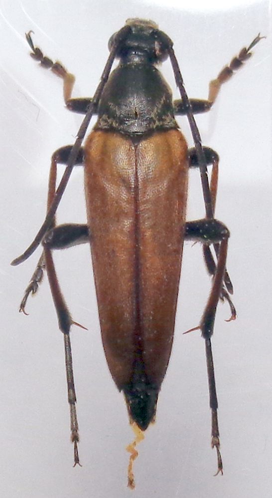
Stromatium unicolor (Olivier, 1795) - Cerambycidae
18.VII.2010 - ITALIA - Emilia-Romagna - FC
Allegato(i) Dettagli della specie
Stromatium unicolor (Olivier, 1795)
Cerambycidae


18.VII.2010 - ITALIA - Emilia-Romagna - FC
Coleoptera

Semanotus

11

2544

22/01/2022, 22:23

Chalybion Vedi ultimo messaggio

Nessun messaggio da leggere
Necydalis (Necydalis) major major Linnaeus, 1758 - Cerambycidae
25.IV.2018 - ITALIA - Trentino-Alto Adige - BZ
Allegato(i) Dettagli della specie
Necydalis (Necydalis) major major Linnaeus, 1758
Cerambycidae

[ Vai alla paginaVai alla pagina: 1, 2, 3 ]



25.IV.2018 - ITALIA - Trentino-Alto Adige - BZ
Coleoptera

Pippistrello

35

2148

10/01/2022, 14:58

Plagionotus Vedi ultimo messaggio

Nessun messaggio da leggere
Grammoptera ustulata (Schaller, 1783) - Cerambycidae
VI.2021 - ITALIA - Marche - MC
Allegato(i) Dettagli della specie
Grammoptera ustulata (Schaller, 1783)
Cerambycidae


VI.2021 - ITALIA - Marche - MC
Coleoptera

StagBeetle

0

387

09/12/2021, 23:05

StagBeetle Vedi ultimo messaggio

Nessun messaggio da leggere
Chlorophorus trifasciatus (Fabricius, 1781) - Cerambycidae
11.VII.2021 - ITALIA - Marche - MC
Allegato(i) Dettagli della specie
Chlorophorus trifasciatus (Fabricius, 1781)
Cerambycidae


11.VII.2021 - ITALIA - Marche - MC
Coleoptera

StagBeetle

0

394

09/12/2021, 23:05

StagBeetle Vedi ultimo messaggio

Nessun messaggio da leggere
Allegato(i) Dettagli della specie
Xylotrechus (Xylotrechus) antilope antilope (Schöenherr, 1817)
Cerambycidae


VI.2021 - ITALIA - Marche - MC
Coleoptera

StagBeetle

0

380

07/12/2021, 23:09

StagBeetle Vedi ultimo messaggio

Nessun messaggio da leggere
Clytus arietis arietis (Linnaeus, 1758) - Cerambycidae
23.V.2021 - ITALIA - Marche - MC
Allegato(i) Dettagli della specie
Clytus arietis arietis (Linnaeus, 1758)
Cerambycidae


23.V.2021 - ITALIA - Marche - MC
Coleoptera

StagBeetle

0

370

07/12/2021, 23:09

StagBeetle Vedi ultimo messaggio

Nessun messaggio da leggere
Allegato(i) Dettagli della specie
Purpuricenus (Purpuricenus) kaehleri kaehleri (Linnaeus, 1758)
Cerambycidae


VII.2021 - ITALIA - Marche - MC
Coleoptera

StagBeetle

1

516

07/12/2021, 10:12

Daniele Sechi Vedi ultimo messaggio

Nessun messaggio da leggere
Vesperus macropterus Sama, 1999 - Cerambycidae
26.VIII.2021 - ITALIA - Sardegna - CA
Allegato(i) Dettagli della specie
Vesperus macropterus Sama, 1999
Cerambycidae


26.VIII.2021 - ITALIA - Sardegna - CA
Coleoptera

Michele A

8

940

01/12/2021, 22:41

michele.carraretto Vedi ultimo messaggio

Nessun messaggio da leggere
Anoplodera (Anoplodera) sexguttata (Fabricius, 1775) - Cerambycidae
VI.2021 - ITALIA - Trentino-Alto Adige - TN
Allegato(i) Dettagli della specie
Anoplodera (Anoplodera) sexguttata (Fabricius, 1775)
Cerambycidae


VI.2021 - ITALIA - Trentino-Alto Adige - TN
Coleoptera

Biasi

2

539

01/12/2021, 14:47

Biasi Vedi ultimo messaggio

Nessun messaggio da leggere
Penichroa fasciata (Stephens, 1831) - Cerambycidae
3.VI.2014 - ITALIA - Veneto - VR
Allegato(i) Dettagli della specie
Penichroa fasciata (Stephens, 1831)
Cerambycidae


3.VI.2014 - ITALIA - Veneto - VR
Coleoptera

Semanotus

12

2576

25/11/2021, 17:29

Biasi Vedi ultimo messaggio

Nessun messaggio da leggere
Anisarthron barbipes (Schrank, 1781) - Cerambycidae
8.VII.2018 - ITALIA - Trentino-Alto Adige - TN
Allegato(i) Dettagli della specie
Anisarthron barbipes (Schrank, 1781)
Cerambycidae


8.VII.2018 - ITALIA - Trentino-Alto Adige - TN
Coleoptera

Biasi

2

564

19/11/2021, 17:20

Biasi Vedi ultimo messaggio

Nessun messaggio da leggere
Pachyta quadrimaculata (Linnaeus, 1758) - Cerambycidae
16.VIII.2021 - ITALIA - Friuli-Venezia Giulia - UD
Allegato(i) Dettagli della specie
Pachyta quadrimaculata (Linnaeus, 1758)
Cerambycidae


16.VIII.2021 - ITALIA - Friuli-Venezia Giulia - UD
Coleoptera

Michele A

2

508

11/11/2021, 13:26

Michele A Vedi ultimo messaggio

Nessun messaggio da leggere
Stenopterus rufus rufus (Linnaeus, 1767) - Cerambycidae
8.VI.2016 - ITALIA - Marche - MC
Allegato(i) Dettagli della specie
Stenopterus rufus rufus (Linnaeus, 1767)
Cerambycidae


8.VI.2016 - ITALIA - Marche - MC
Coleoptera

StagBeetle

1

449

08/11/2021, 11:13

Plagionotus Vedi ultimo messaggio

Nessun messaggio da leggere
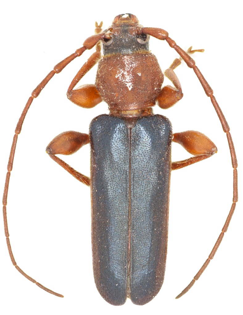
Opsilia coerulescens (Scopoli, 1763) - Cerambycidae
28.V.2015 - ITALIA - Marche - MC
Allegato(i) Dettagli della specie
Opsilia coerulescens (Scopoli, 1763)
Cerambycidae


28.V.2015 - ITALIA - Marche - MC
Coleoptera

StagBeetle

0

331

07/11/2021, 23:28

StagBeetle Vedi ultimo messaggio

Nessun messaggio da leggere
Allegato(i) Dettagli della specie
Phymatodes testaceus (Linnaeus, 1758)
Cerambycidae


2021 - ITALIA - Lazio - RM
Coleoptera

wgliinsetti

2

434

16/10/2021, 10:23

wgliinsetti Vedi ultimo messaggio

Nessun messaggio da leggere
Stictoleptura scutellata scutellata (Fabricius, 1781) - Cerambycidae
7.VII.2021 - ITALIA - Friuli-Venezia Giulia - UD
Allegato(i) Dettagli della specie
Stictoleptura scutellata scutellata (Fabricius, 1781)
Cerambycidae


7.VII.2021 - ITALIA - Friuli-Venezia Giulia - UD
Coleoptera

Chalybion

7

770

14/10/2021, 11:31

Plagionotus Vedi ultimo messaggio

Nessun messaggio da leggere
Etorofus pubescens (Fabricius, 1787) - Cerambycidae
7.VII.2021 - ITALIA - Friuli-Venezia Giulia - UD
Allegato(i) Dettagli della specie
Etorofus pubescens (Fabricius, 1787)
Cerambycidae


7.VII.2021 - ITALIA - Friuli-Venezia Giulia - UD
Coleoptera

Chalybion

0

409

11/10/2021, 20:19

Chalybion Vedi ultimo messaggio

Nessun messaggio da leggere
Allegato(i) Dettagli della specie
Ropalopus (Ropalopus) femoratus (Linnaeus, 1758)
Cerambycidae


27.VI.2021 - ITALIA - Marche - MC
Coleoptera

StagBeetle

0

418

11/10/2021, 18:36

StagBeetle Vedi ultimo messaggio

Nessun messaggio da leggere
Etorofus pubescens (Fabricius, 1787) - Cerambycidae
7.VII.2021 - ITALIA - Friuli-Venezia Giulia - UD
Allegato(i) Dettagli della specie
Etorofus pubescens (Fabricius, 1787)
Cerambycidae


7.VII.2021 - ITALIA - Friuli-Venezia Giulia - UD
Coleoptera

Chalybion

3

684

06/10/2021, 19:40

Chalybion Vedi ultimo messaggio

Nessun messaggio da leggere
Anastrangalia dubia dubia (Scopoli, 1763) - Cerambycidae
7.VII.2021 - ITALIA - Friuli-Venezia Giulia - UD
Allegato(i) Dettagli della specie
Anastrangalia dubia dubia (Scopoli, 1763)
Cerambycidae


7.VII.2021 - ITALIA - Friuli-Venezia Giulia - UD
Coleoptera

Chalybion

2

635

06/10/2021, 18:50

Chalybion Vedi ultimo messaggio

Nessun messaggio da leggere
Monochamus galloprovincialis (Olivier, 1795) - Cerambycidae
15.IX.2021 - ITALIA - Puglia - FG
Allegato(i) Dettagli della specie
Monochamus galloprovincialis (Olivier, 1795)
Cerambycidae


15.IX.2021 - ITALIA - Puglia - FG
Coleoptera

Apoderus

2

531

17/09/2021, 17:12

Apoderus Vedi ultimo messaggio

Nessun messaggio da leggere
Gaurotes (Carilia) virginea (Linnaeus, 1758) - Cerambycidae
11.VII.2021 - ITALIA - Friuli-Venezia Giulia - UD
Allegato(i) Dettagli della specie
Gaurotes (Carilia) virginea (Linnaeus, 1758)
Cerambycidae


11.VII.2021 - ITALIA - Friuli-Venezia Giulia - UD
Coleoptera

Michele A

2

528

17/09/2021, 9:03

Michele A Vedi ultimo messaggio

Nessun messaggio da leggere
Allegato(i) Dettagli della specie
Agapanthia (Epoptes) villosoviridescens (De Geer, 1775)
Cerambycidae


26.VIII.2021 - ITALIA - Lombardia - LC
Coleoptera

RicPan

2

587

06/09/2021, 10:32

RicPan Vedi ultimo messaggio

Nessun messaggio da leggere
Pseudosphegesthes cinerea (Laporte & Gory, 1836) - Cerambycidae
26.VII.2021 - ITALIA - Toscana - PI
Allegato(i) Dettagli della specie
Pseudosphegesthes cinerea (Laporte & Gory, 1836)
Cerambycidae


26.VII.2021 - ITALIA - Toscana - PI
Coleoptera

Stefano79

8

1088

02/09/2021, 16:47

Stefano79 Vedi ultimo messaggio

Nessun messaggio da leggere
Musaria cephalotes (Küster, 1846) - Cerambycidae
20.VI.2021 - ITALIA - Marche - MC
Allegato(i) Dettagli della specie
Musaria cephalotes (Küster, 1846)
Cerambycidae


20.VI.2021 - ITALIA - Marche - MC
Coleoptera

StagBeetle

1

527

31/08/2021, 22:53

Entomarci Vedi ultimo messaggio

Nessun messaggio da leggere
Stenopterus rufus rufus (Linnaeus, 1767) - Cerambycidae
17.VI.2021 - ITALIA - Abruzzo - PE
Allegato(i) Dettagli della specie
Stenopterus rufus rufus (Linnaeus, 1767)
Cerambycidae


17.VI.2021 - ITALIA - Abruzzo - PE
Coleoptera

carlos

2

489

27/08/2021, 19:48

carlos Vedi ultimo messaggio

Nessun messaggio da leggere
Parmena subpubescens Hellrigl, 1971 - Cerambycidae
18.VIII.2021 - ITALIA - Calabria - CS
Allegato(i) Dettagli della specie
Parmena subpubescens Hellrigl, 1971
Cerambycidae


18.VIII.2021 - ITALIA - Calabria - CS
Coleoptera

aiello antonio

5

831

20/08/2021, 13:52

aiello antonio Vedi ultimo messaggio

Nessun messaggio da leggere
Cerambyx welensii (Küster, 1845) - Cerambycidae
9.VIII.2021 - ITALIA - Marche - MC
Allegato(i) Dettagli della specie
Cerambyx welensii (Küster, 1845)
Cerambycidae


9.VIII.2021 - ITALIA - Marche - MC
Coleoptera

StagBeetle

1

538

20/08/2021, 8:23

fabry80 Vedi ultimo messaggio

Nessun messaggio da leggere
Saperda scalaris scalaris (Linnaeus, 1758) - Cerambycidae
5.VIII.2021 - ITALIA - Piemonte - BI
Allegato(i) Dettagli della specie
Saperda scalaris scalaris (Linnaeus, 1758)
Cerambycidae


5.VIII.2021 - ITALIA - Piemonte - BI
Coleoptera

StagBeetle

3

446

08/08/2021, 14:25

AleP Vedi ultimo messaggio

Nessun messaggio da leggere
Stictoleptura rubra rubra (Linnaeus, 1758) - Cerambycidae
6.VIII.2021 - ITALIA - Trentino-Alto Adige - TN
Allegato(i) Dettagli della specie
Stictoleptura rubra rubra (Linnaeus, 1758)
Cerambycidae


6.VIII.2021 - ITALIA - Trentino-Alto Adige - TN
Coleoptera

Syrio

4

487

07/08/2021, 20:41

Syrio Vedi ultimo messaggio

Nessun messaggio da leggere
Allegato(i) Dettagli della specie
Exocentrus punctipennis Mulsant & Guillebeau, 1856
Cerambycidae


16.VI.2021 - ITALIA - Toscana - GR
Coleoptera

Chalybion

2

562

07/08/2021, 19:46

Chalybion Vedi ultimo messaggio

Nessun messaggio da leggere
Allegato(i) Dettagli della specie
Stictoleptura scutellata scutellata (Fabricius, 1781)
Cerambycidae


6.VIII.2021 - ITALIA - Piemonte - BI
Coleoptera

StagBeetle

2

496

06/08/2021, 22:25

StagBeetle Vedi ultimo messaggio

Nessun messaggio da leggere
Morimus asper asper (Sulzer, 1776) - Cerambycidae
28.VII.2021 - ITALIA - Sicilia - PA
Allegato(i) Dettagli della specie
Morimus asper asper (Sulzer, 1776)
Cerambycidae


28.VII.2021 - ITALIA - Sicilia - PA
Coleoptera

Caliddo

0

446

01/08/2021, 20:24

Caliddo Vedi ultimo messaggio

Nessun messaggio da leggere
Allegato(i) Dettagli della specie
Purpuricenus (Purpuricenus) kaehleri kaehleri (Linnaeus, 1758)
Cerambycidae


28.VII.2021 - ITALIA - Emilia-Romagna - FC
Coleoptera

lucio_A

1

547

29/07/2021, 9:40

wgliinsetti Vedi ultimo messaggio

Nessun messaggio da leggere
Gaurotes (Carilia) virginea (Linnaeus, 1758) - Cerambycidae
20.VI.2021 - ITALIA - Friuli-Venezia Giulia - UD
Allegato(i) Dettagli della specie
Gaurotes (Carilia) virginea (Linnaeus, 1758)
Cerambycidae


20.VI.2021 - ITALIA - Friuli-Venezia Giulia - UD
Coleoptera

Michele A

2

546

28/07/2021, 18:41

Michele A Vedi ultimo messaggio

Nessun messaggio da leggere
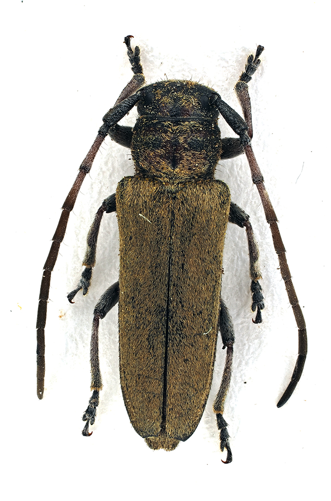
Aegosoma scabricorne (Scopoli, 1763) - Cerambycidae
2021 - ITALIA - Toscana - PI
Allegato(i) Dettagli della specie
Aegosoma scabricorne (Scopoli, 1763)
Cerambycidae


2021 - ITALIA - Toscana - PI
Coleoptera

soken

2

669

19/07/2021, 13:30

soken Vedi ultimo messaggio

Nessun messaggio da leggere
Allegato(i) Dettagli della specie
Chlorophorus varius varius (O. F. Müller, 1766)
Cerambycidae


12.VII.2021 - ITALIA - Lazio - RM
Coleoptera

soken

0

458

13/07/2021, 18:58

soken Vedi ultimo messaggio

Nessun messaggio da leggere
Phoracantha recurva Newman, 1840 - Cerambycidae
8.VII.2021 - ITALIA - Lazio - RM
Allegato(i) Dettagli della specie
Phoracantha recurva Newman, 1840
Cerambycidae


8.VII.2021 - ITALIA - Lazio - RM
Coleoptera

soken

2

644

08/07/2021, 21:13

soken Vedi ultimo messaggio

Nessun messaggio da leggere
Monochamus sutor sutor (Linnaeus, 1758) - Cerambycidae
5.VI.2021 - ITALIA - Friuli-Venezia Giulia - UD
Allegato(i) Dettagli della specie
Monochamus sutor sutor (Linnaeus, 1758)
Cerambycidae


5.VI.2021 - ITALIA - Friuli-Venezia Giulia - UD
Coleoptera

Michele A

3

662

08/07/2021, 13:13

michele.carraretto Vedi ultimo messaggio

Nessun messaggio da leggere
Allegato(i) Dettagli della specie
Oberea (Amaurostoma) erythrocephala erythrocephala (Schrank, 1776)
Cerambycidae


2021 - ITALIA - Toscana - PI
Coleoptera

soken

3

555

07/07/2021, 17:09

soken Vedi ultimo messaggio

Nessun messaggio da leggere
Aromia bungii (Faldermann, 1835) - Cerambycidae
28.VI.2019 - ITALIA - Campania - NA
Allegato(i) Dettagli della specie
Aromia bungii (Faldermann, 1835)
Cerambycidae


28.VI.2019 - ITALIA - Campania - NA
Coleoptera

clido

7

1118

06/07/2021, 17:33

clido Vedi ultimo messaggio

Nessun messaggio da leggere
Aromia bungii (Faldermann, 1835) - Cerambycidae
13.VI.2020 - ITALIA - Campania - NA
Allegato(i) Dettagli della specie
Aromia bungii (Faldermann, 1835)
Cerambycidae


13.VI.2020 - ITALIA - Campania - NA
Coleoptera

f.izzillo

6

1269

29/06/2021, 19:50

f.izzillo Vedi ultimo messaggio

Nessun messaggio da leggere
Allegato(i) Dettagli della specie
Agapanthia (Epoptes) sicula sicula Ganglbauer, 1884
Cerambycidae


13.VI.2021 - ITALIA - Sicilia - TP
Coleoptera

gigi58

3

794

27/06/2021, 19:04

Xylosteus Vedi ultimo messaggio

Nessun messaggio da leggere
Agapanthia (Agapanthia) cardui (Linnaeus, 1767) - Cerambycidae
22.V.2021 - ITALIA - Lombardia - LC
Allegato(i) Dettagli della specie
Agapanthia (Agapanthia) cardui (Linnaeus, 1767)
Cerambycidae


22.V.2021 - ITALIA - Lombardia - LC
Coleoptera

RicPan

5

1008

14/06/2021, 17:45

RicPan Vedi ultimo messaggio

Nessun messaggio da leggere
Gaurotes (Carilia) virginea (Linnaeus, 1758) - Cerambycidae
12.VI.2021 - ITALIA - Trentino-Alto Adige - TN
Allegato(i) Dettagli della specie
Gaurotes (Carilia) virginea (Linnaeus, 1758)
Cerambycidae


12.VI.2021 - ITALIA - Trentino-Alto Adige - TN
Coleoptera

Syrio

2

657

14/06/2021, 12:36

Syrio Vedi ultimo messaggio

Visualizza ultimi argomenti:  Ordina per  Ordine:  
nuovo argomento
Vai alla pagina Precedente  1, 2, 3, 4, 5, 6 ... 59  Prossimo
Pagina 3 di 59 [ 2928 argomenti ]

Tutti gli orari sono UTC + 1 ora [ ora legale ]


Chi c’è in linea

Visitano il forum: Nessuno e 3 ospiti


Legenda
Messaggi da leggere Messaggi da leggere Nessun messaggio da leggere Nessun messaggio da leggere Annuncio Annuncio
 
Specie indeterminata / discussione generica
Messaggi non letti [ Popolari ] Messaggi non letti [ Popolari ] Nessun messaggio da leggere [ Popolare ] Nessun messaggio da leggere [ Popolare ] Importante Importante
 
Specie determinata fino al genere o cf.
Messaggi non letti [ Bloccati ] Messaggi non letti [ Bloccati ] No messaggi non letti [ Bloccati ] No messaggi non letti [ Bloccati ] Argomento spostato Argomento spostato
 
Specie correttamente determinata
Permessi
Non puoi aprire nuovi argomenti
Non puoi rispondere negli argomenti
Non puoi modificare i tuoi messaggi
Non puoi cancellare i tuoi messaggi
Non puoi inviare allegati

Cerca per:
Vai a: