Benvenuto Ospite

Forum Entomologi Italiani

www.entomologiitaliani.net/forum
 
Oggi è 08/11/2025, 23:12

Tutti gli orari sono UTC + 1 ora [ ora legale ]


100%
2927 taxa correttamente determinati su 2928 presenti in archivio

Cerambycidae


[ AFROTROPICALE ] [ ANTARTICO ] [ AUSTRALASIANO ] [ NEARTICO ] [ NEOTROPICALE ] [ ORIENTALE ] [ PALEARTICO ]


nuovo argomento
Vai alla pagina Precedente  1 ... 18, 19, 20, 21, 22, 23, 24 ... 59  Prossimo
Pagina 21 di 59 [ 2928 argomenti ]
 Argomenti   Ordine   Autore   Risposte   Visite    Ultimo messaggio 
Annunci
Nessun messaggio da leggere
Allegato(i)
Incontri entomologici telematici organizzati dalla Società Entomologica Italiana nel 2022 e nel 2023

[ Vai alla paginaVai alla pagina: 1, 2, 3 ]

 

Velvet Ant

44

1430128

03/03/2023, 15:55

Velvet Ant Vedi ultimo messaggio

Nessun messaggio da leggere  
Allegato(i)
Sondaggio sul declino dell'entomofauna in Italia

[ Vai alla paginaVai alla pagina: 1, 2, 3, 4 ]

 

Velvet Ant

52

1758122

22/10/2022, 19:18

Acquarius Vedi ultimo messaggio

Nessun messaggio da leggere  
Allegato(i)
Progetto: Bibliografia ragionata dei lavori entomologici nei quali sono citati reperti apparsi su FEI

[ Vai alla paginaVai alla pagina: 1, 2, 3 ]

 

Velvet Ant

33

1171048

06/07/2023, 18:31

Orotrechus Vedi ultimo messaggio

Nessun messaggio da leggere
Allegato(i)
Mimesi, il primo documentario cinematografico sull’entomologia in Italia: casting
 

mazzeip

1

457159

28/02/2019, 20:26

mazzeip Vedi ultimo messaggio

Questo argomento è bloccato, non puoi modificare o inviare ulteriori messaggi.
Allegato(i)
ISTRUZIONI PUBBLICAZIONE NUOVI ARGOMENTI E FOTO

 
Altri Ordini di Insetti

Julodis

4

911117

13/05/2015, 19:37

Julodis Vedi ultimo messaggio

Nessun messaggio da leggere
Allegato(i)
Limitatore giornaliero di messaggi, uno strumento utile e ormai indispensabile

[ Vai alla paginaVai alla pagina: 1 ... 14, 15, 16 ]

 

Velvet Ant

233

8831782

25/09/2014, 14:31

Inachis Vedi ultimo messaggio

Nessun messaggio da leggere  
NORME PER I COLLABORATORI DEL FORUM

 
 

Velvet Ant

0

478898

02/06/2011, 12:05

Velvet Ant Vedi ultimo messaggio

Nessun messaggio da leggere
Allegato(i)
NORME PER GLI UTENTI DEL FORUM

[ Vai alla paginaVai alla pagina: 1, 2, 3 ]



 
 

Velvet Ant

30

2346076

23/09/2014, 23:54

Maurizio Bollino Vedi ultimo messaggio

Questo argomento è bloccato, non puoi modificare o inviare ulteriori messaggi.  
Elenco delle specie italiane di Cerambycidae presenti sul forum
Cerambycidae


 
Coleoptera

Plagionotus

0

5998

22/11/2010, 22:28

Plagionotus Vedi ultimo messaggio

Nessun messaggio da leggere  
Lista degli utenti del "Forum entomologi italiani" per campi di interesse e specializzazione

 
Altri Ordini di Insetti

Velvet Ant

13

944438

07/09/2023, 17:14

Roberto-07 Vedi ultimo messaggio

Argomenti
Nessun messaggio da leggere
Paracorymbia fulva (De Geer, 1775) - Cerambycidae
29.VII.2013 - ITALIA - Calabria - CS
Allegato(i) Dettagli della specie
Paracorymbia fulva (De Geer, 1775)
Cerambycidae


29.VII.2013 - ITALIA - Calabria - CS
Coleoptera

Valerio

1

828

27/11/2014, 15:39

Plagionotus Vedi ultimo messaggio

Nessun messaggio da leggere
Pseudovadonia livida livida (Fabricius, 1777) - Cerambycidae
8.VII.2013 - ITALIA - Calabria - CS
Allegato(i) Dettagli della specie
Pseudovadonia livida livida (Fabricius, 1777)
Cerambycidae


8.VII.2013 - ITALIA - Calabria - CS
Coleoptera

Valerio

1

815

27/11/2014, 15:39

Plagionotus Vedi ultimo messaggio

Nessun messaggio da leggere
Allegato(i) Dettagli della specie
Dorcadion (Pedestredorcadion) etruscum (Rossi, 1790)
Cerambycidae


5.VII.2007 - ITALIA - Toscana - PO
Coleoptera

Andream

2

1007

26/11/2014, 22:48

Andream Vedi ultimo messaggio

Nessun messaggio da leggere
Hesperophanes sericeus (Fabricius, 1787) - Cerambycidae
21.VI.2008 - ITALIA - Toscana - PO
Allegato(i) Dettagli della specie
Hesperophanes sericeus (Fabricius, 1787)
Cerambycidae


21.VI.2008 - ITALIA - Toscana - PO
Coleoptera

Andream

3

1152

26/11/2014, 22:47

Andream Vedi ultimo messaggio

Nessun messaggio da leggere
Pseudovadonia livida livida (Fabricius, 1777) - Cerambycidae
7.VI.2010 - ITALIA - Liguria - SP
Allegato(i) Dettagli della specie
Pseudovadonia livida livida (Fabricius, 1777)
Cerambycidae


7.VI.2010 - ITALIA - Liguria - SP
Coleoptera

Valerio

1

856

26/11/2014, 20:07

Plagionotus Vedi ultimo messaggio

Nessun messaggio da leggere
Pachytodes cerambyciformis (Schrank, 1781) - Cerambycidae
VII.2009 - ITALIA - Friuli-Venezia Giulia - UD
Allegato(i) Dettagli della specie
Pachytodes cerambyciformis (Schrank, 1781)
Cerambycidae


VII.2009 - ITALIA - Friuli-Venezia Giulia - UD
Coleoptera

Valerio

3

1017

26/11/2014, 17:18

Orotrechus Vedi ultimo messaggio

Nessun messaggio da leggere
Cerambyx miles Bonelli, 1812 - Cerambycidae
14.VII.1995 - ITALIA - Toscana - PO
Allegato(i) Dettagli della specie
Cerambyx miles Bonelli, 1812
Cerambycidae


14.VII.1995 - ITALIA - Toscana - PO
Coleoptera

Andream

8

2385

26/11/2014, 0:28

Andream Vedi ultimo messaggio

Nessun messaggio da leggere
Cerambyx welensii (Küster, 1845) - Cerambycidae
16.VI.2013 - ITALIA - Marche - MC
Allegato(i) Dettagli della specie
Cerambyx welensii (Küster, 1845)
Cerambycidae


16.VI.2013 - ITALIA - Marche - MC
Coleoptera

Andream

2

887

25/11/2014, 20:00

Andream Vedi ultimo messaggio

Nessun messaggio da leggere
Oxypleurus nodieri Mulsant, 1839 - Cerambycidae
6.VI.2010 - ITALIA - Sicilia - CT
Allegato(i) Dettagli della specie
Oxypleurus nodieri Mulsant, 1839
Cerambycidae


6.VI.2010 - ITALIA - Sicilia - CT
Coleoptera

Uncle Adam

4

1129

25/11/2014, 16:53

Uncle Adam Vedi ultimo messaggio

Nessun messaggio da leggere
Allegato(i) Dettagli della specie
Rhagium (Rhagium) inquisitor inquisitor (Linnaeus, 1758)
Cerambycidae

[ Vai alla paginaVai alla pagina: 1, 2 ]



8.IV.2011 - ITALIA - Sicilia - CT
Coleoptera

Isotomus

17

2589

24/11/2014, 14:47

Valerio Vedi ultimo messaggio

Nessun messaggio da leggere
Tetrops praeustus praeustus (Linnaeus, 1758) - Cerambycidae
23.VI.2013 - ITALIA - Calabria - CS
Allegato(i) Dettagli della specie
Tetrops praeustus praeustus (Linnaeus, 1758)
Cerambycidae


23.VI.2013 - ITALIA - Calabria - CS
Coleoptera

Valerio

1

746

23/11/2014, 14:52

Plagionotus Vedi ultimo messaggio

Nessun messaggio da leggere
Stenurella melanura (Linnaeus, 1758) - Cerambycidae
10.VIII.1992 - ITALIA - Piemonte - TO
Allegato(i) Dettagli della specie
Stenurella melanura (Linnaeus, 1758)
Cerambycidae


10.VIII.1992 - ITALIA - Piemonte - TO
Coleoptera

f.izzillo

10

2081

20/11/2014, 15:10

f.izzillo Vedi ultimo messaggio

Nessun messaggio da leggere
Tetrops starkii Chevrolat, 1859 - Cerambycidae
19.VI.2014 - ITALIA - Basilicata - MT
Allegato(i) Dettagli della specie
Tetrops starkii Chevrolat, 1859
Cerambycidae


19.VI.2014 - ITALIA - Basilicata - MT
Coleoptera

f.izzillo

3

1428

17/11/2014, 18:28

Uncle Adam Vedi ultimo messaggio

Nessun messaggio da leggere
Saperda similis Laicharting, 1784 - Cerambycidae
4.VII.2014 - ITALIA - Abruzzo - AQ
Allegato(i) Dettagli della specie
Saperda similis Laicharting, 1784
Cerambycidae


4.VII.2014 - ITALIA - Abruzzo - AQ
Coleoptera

Julodis

9

2669

15/11/2014, 16:57

Julodis Vedi ultimo messaggio

Nessun messaggio da leggere
Phytoecia rufipes rufipes (Olivier, 1795) - Cerambycidae
5.VII.2013 - ITALIA - Campania - SA
Allegato(i) Dettagli della specie
Phytoecia rufipes rufipes (Olivier, 1795)
Cerambycidae


5.VII.2013 - ITALIA - Campania - SA
Coleoptera

f.izzillo

4

1734

14/11/2014, 11:03

f.izzillo Vedi ultimo messaggio

Nessun messaggio da leggere
Stictoleptura rubra rubra (Linnaeus, 1758) - Cerambycidae
31.X.2014 - ITALIA - Sicilia - PA
Allegato(i) Dettagli della specie
Stictoleptura rubra rubra (Linnaeus, 1758)
Cerambycidae


31.X.2014 - ITALIA - Sicilia - PA
Coleoptera

Davide Castelli

3

2058

01/11/2014, 11:57

Xylosteus Vedi ultimo messaggio

Nessun messaggio da leggere
Allegato(i) Dettagli della specie
Stictoleptura scutellata scutellata (Fabricius, 1781)
Cerambycidae


2.VII.2014 - ITALIA - Toscana - GR
Coleoptera

skip

6

1800

30/10/2014, 14:52

skip Vedi ultimo messaggio

Nessun messaggio da leggere
Pogonocherus ovatus (Goeze, 1777) - Cerambycidae
31.VII.2014 - ITALIA - Trentino-Alto Adige - TN
Allegato(i) Dettagli della specie
Pogonocherus ovatus (Goeze, 1777)
Cerambycidae


31.VII.2014 - ITALIA - Trentino-Alto Adige - TN
Coleoptera

gigilmozzi

4

1842

27/10/2014, 22:18

Plagionotus Vedi ultimo messaggio

Nessun messaggio da leggere
Acanthocinus aedilis (Linnaeus, 1758) - Cerambycidae
27.X.2014 - ITALIA - Trentino-Alto Adige - TN
Allegato(i) Dettagli della specie
Acanthocinus aedilis (Linnaeus, 1758)
Cerambycidae


27.X.2014 - ITALIA - Trentino-Alto Adige - TN
Coleoptera

gigilmozzi

2

1894

27/10/2014, 21:54

gigilmozzi Vedi ultimo messaggio

Nessun messaggio da leggere
Allegato(i) Dettagli della specie
Agapanthia (Epoptes) villosoviridescens (De Geer, 1775)
Cerambycidae


7.VI.2014 - ITALIA - Toscana - FI
Coleoptera

skip

2

1486

26/10/2014, 16:36

skip Vedi ultimo messaggio

Nessun messaggio da leggere
Allegato(i) Dettagli della specie
Agapanthia (Agapanthia) cardui (Linnaeus, 1767)
Cerambycidae


7.VI.2014 - ITALIA - Toscana - FI
Coleoptera

skip

2

1578

26/10/2014, 16:36

skip Vedi ultimo messaggio

Nessun messaggio da leggere
Acanthocinus griseus (Fabricius, 1792) - Cerambycidae
25.VI.2014 - ITALIA - Lombardia - SO
Allegato(i) Dettagli della specie
Acanthocinus griseus (Fabricius, 1792)
Cerambycidae


25.VI.2014 - ITALIA - Lombardia - SO
Coleoptera

skip

2

1833

25/10/2014, 13:27

skip Vedi ultimo messaggio

Nessun messaggio da leggere
Vesperus luridus (Rossi, 1794) - Cerambycidae
VIII.2014 - ITALIA - Lazio - RM
Allegato(i) Dettagli della specie
Vesperus luridus (Rossi, 1794)
Cerambycidae


VIII.2014 - ITALIA - Lazio - RM
Coleoptera

isaisa

5

2200

22/10/2014, 20:32

Plagionotus Vedi ultimo messaggio

Nessun messaggio da leggere
Pseudovadonia livida livida (Fabricius, 1777) - Cerambycidae
6.VI.2014 - ITALIA - Toscana - FI
Allegato(i) Dettagli della specie
Pseudovadonia livida livida (Fabricius, 1777)
Cerambycidae


6.VI.2014 - ITALIA - Toscana - FI
Coleoptera

skip

4

1436

21/10/2014, 22:56

skip Vedi ultimo messaggio

Nessun messaggio da leggere
Pachytodes erraticus erraticus (Dalman, 1817) - Cerambycidae
21.VI.2014 - ITALIA - Toscana - FI
Allegato(i) Dettagli della specie
Pachytodes erraticus erraticus (Dalman, 1817)
Cerambycidae


21.VI.2014 - ITALIA - Toscana - FI
Coleoptera

skip

3

1089

21/10/2014, 9:39

skip Vedi ultimo messaggio

Nessun messaggio da leggere
Anastrangalia dubia dubia (Scopoli, 1763) - Cerambycidae
25.VI.2014 - ITALIA - Lombardia - SO
Allegato(i) Dettagli della specie
Anastrangalia dubia dubia (Scopoli, 1763)
Cerambycidae

[ Vai alla paginaVai alla pagina: 1, 2 ]



25.VI.2014 - ITALIA - Lombardia - SO
Coleoptera

skip

17

2855

17/10/2014, 17:37

gigilmozzi Vedi ultimo messaggio

Nessun messaggio da leggere
Niphona picticornis Mulsant, 1839 - Cerambycidae
14.X.2014 - ITALIA - Sicilia - TP
Allegato(i) Dettagli della specie
Niphona picticornis Mulsant, 1839
Cerambycidae


14.X.2014 - ITALIA - Sicilia - TP
Coleoptera

Davide Castelli

1

663

16/10/2014, 23:06

Uncle Adam Vedi ultimo messaggio

Nessun messaggio da leggere
Paracorymbia hybrida (Rey, 1885) - Cerambycidae
25.VI.2014 - ITALIA - Lombardia - SO
Allegato(i) Dettagli della specie
Paracorymbia hybrida (Rey, 1885)
Cerambycidae


25.VI.2014 - ITALIA - Lombardia - SO
Coleoptera

skip

7

1390

15/10/2014, 22:39

skip Vedi ultimo messaggio

Nessun messaggio da leggere
Brachyta interrogationis (Linnaeus, 1758) - Cerambycidae
27.VI.2014 - ITALIA - Lombardia - SO
Allegato(i) Dettagli della specie
Brachyta interrogationis (Linnaeus, 1758)
Cerambycidae


27.VI.2014 - ITALIA - Lombardia - SO
Coleoptera

skip

2

870

14/10/2014, 12:24

skip Vedi ultimo messaggio

Nessun messaggio da leggere
Rhagium (Hagrium) bifasciatum Fabricius, 1775 - Cerambycidae
11.X.2014 - ITALIA - Trentino-Alto Adige - TN
Allegato(i) Dettagli della specie
Rhagium (Hagrium) bifasciatum Fabricius, 1775
Cerambycidae


11.X.2014 - ITALIA - Trentino-Alto Adige - TN
Coleoptera

gigilmozzi

2

1116

12/10/2014, 15:59

gigilmozzi Vedi ultimo messaggio

Nessun messaggio da leggere
Hylotrupes bajulus (Linnaeus, 1758) - Cerambycidae
8.X.2014 - ITALIA - Emilia-Romagna - FE
Allegato(i) Dettagli della specie
Hylotrupes bajulus (Linnaeus, 1758)
Cerambycidae

[ Vai alla paginaVai alla pagina: 1, 2 ]



8.X.2014 - ITALIA - Emilia-Romagna - FE
Coleoptera

Daniele Maccapani

18

3551

10/10/2014, 18:59

marco villa Vedi ultimo messaggio

Nessun messaggio da leggere
Clytus arietis arietis (Linnaeus, 1758) - Cerambycidae
27.VI.2014 - ITALIA - Lombardia - SO
Allegato(i) Dettagli della specie
Clytus arietis arietis (Linnaeus, 1758)
Cerambycidae


27.VI.2014 - ITALIA - Lombardia - SO
Coleoptera

skip

4

1209

06/10/2014, 15:35

skip Vedi ultimo messaggio

Nessun messaggio da leggere
Chlorophorus trifasciatus (Fabricius, 1781) - Cerambycidae
2.VII.2014 - ITALIA - Toscana - GR
Allegato(i) Dettagli della specie
Chlorophorus trifasciatus (Fabricius, 1781)
Cerambycidae


2.VII.2014 - ITALIA - Toscana - GR
Coleoptera

skip

2

997

06/10/2014, 13:16

skip Vedi ultimo messaggio

Nessun messaggio da leggere
Rhagium (Rhagium) inquisitor inquisitor (Linnaeus, 1758) - Cerambycidae
5.X.2014 - ITALIA - Trentino-Alto Adige - TN
Allegato(i) Dettagli della specie
Rhagium (Rhagium) inquisitor inquisitor (Linnaeus, 1758)
Cerambycidae


5.X.2014 - ITALIA - Trentino-Alto Adige - TN
Coleoptera

gigilmozzi

2

819

05/10/2014, 20:07

gigilmozzi Vedi ultimo messaggio

Nessun messaggio da leggere
Monochamus galloprovincialis (Olivier, 1795) - Cerambycidae
29.VIII.2014 - ITALIA - Emilia-Romagna - FC
Allegato(i) Dettagli della specie
Monochamus galloprovincialis (Olivier, 1795)
Cerambycidae


29.VIII.2014 - ITALIA - Emilia-Romagna - FC
Coleoptera

lucio_A

9

1794

02/10/2014, 16:41

Julodis Vedi ultimo messaggio

Nessun messaggio da leggere
Spondylis buprestoides (Linnaeus, 1758) - Cerambycidae
9.VII.2014 - ITALIA - Lombardia - SO
Allegato(i) Dettagli della specie
Spondylis buprestoides (Linnaeus, 1758)
Cerambycidae


9.VII.2014 - ITALIA - Lombardia - SO
Coleoptera

skip

3

1425

30/09/2014, 13:15

skip Vedi ultimo messaggio

Nessun messaggio da leggere
Monochamus sutor sutor (Linnaeus, 1758) - Cerambycidae
26.IX.2014 - ITALIA - Trentino-Alto Adige - TN
Allegato(i) Dettagli della specie
Monochamus sutor sutor (Linnaeus, 1758)
Cerambycidae


26.IX.2014 - ITALIA - Trentino-Alto Adige - TN
Coleoptera

gigilmozzi

6

2168

29/09/2014, 19:37

gigilmozzi Vedi ultimo messaggio

Nessun messaggio da leggere
Allegato(i) Dettagli della specie
Agapanthia (Epoptes) villosoviridescens (De Geer, 1775)
Cerambycidae


IV.2014 - ITALIA - Lazio - RM
Coleoptera

Broc

2

1099

29/09/2014, 18:30

Broc Vedi ultimo messaggio

Nessun messaggio da leggere
Hylotrupes bajulus (Linnaeus, 1758) - Cerambycidae
26.VIII.2014 - ITALIA - Lombardia - BS
Allegato(i) Dettagli della specie
Hylotrupes bajulus (Linnaeus, 1758)
Cerambycidae


26.VIII.2014 - ITALIA - Lombardia - BS
Coleoptera

Peter

5

1397

28/09/2014, 10:15

Peter Vedi ultimo messaggio

Nessun messaggio da leggere
Pogonocherus hispidus (Linnaeus, 1758) - Cerambycidae
11.XI.2012 - ITALIA - Emilia-Romagna - RA
Allegato(i) Dettagli della specie
Pogonocherus hispidus (Linnaeus, 1758)
Cerambycidae


11.XI.2012 - ITALIA - Emilia-Romagna - RA
Coleoptera

lucio_A

5

1256

28/09/2014, 1:28

pedux Vedi ultimo messaggio

Nessun messaggio da leggere
Aromia moschata moschata (Linnaeus, 1758) - Cerambycidae
26.VIII.2014 - ITALIA - Lombardia - BS
Allegato(i) Dettagli della specie
Aromia moschata moschata (Linnaeus, 1758)
Cerambycidae


26.VIII.2014 - ITALIA - Lombardia - BS
Coleoptera

Peter

2

1013

27/09/2014, 16:56

Peter Vedi ultimo messaggio

Nessun messaggio da leggere
Cerambyx welensii (Küster, 1845) - Cerambycidae
24.IX.2014 - ITALIA - Lazio - RM
Allegato(i) Dettagli della specie
Cerambyx welensii (Küster, 1845)
Cerambycidae


24.IX.2014 - ITALIA - Lazio - RM
Coleoptera

Julodis

0

831

25/09/2014, 22:34

Julodis Vedi ultimo messaggio

Nessun messaggio da leggere
Aegosoma scabricorne (Scopoli, 1763) - Cerambycidae
24.IX.2014 - ITALIA - Lazio - RM
Allegato(i) Dettagli della specie
Aegosoma scabricorne (Scopoli, 1763)
Cerambycidae


24.IX.2014 - ITALIA - Lazio - RM
Coleoptera

Julodis

2

1182

25/09/2014, 8:15

AleP Vedi ultimo messaggio

Nessun messaggio da leggere
Allegato(i) Dettagli della specie
Rosalia (Rosalia) alpina alpina (Linnaeus, 1758)
Cerambycidae


5.VI.2013 - ITALIA - Umbria - PG
Coleoptera

Monarca

4

1426

24/09/2014, 8:34

Julodis Vedi ultimo messaggio

Nessun messaggio da leggere
Brachyta interrogationis (Linnaeus, 1758) - Cerambycidae
8.VII.2010 - ITALIA - Trentino-Alto Adige - TN
Allegato(i) Dettagli della specie
Brachyta interrogationis (Linnaeus, 1758)
Cerambycidae


8.VII.2010 - ITALIA - Trentino-Alto Adige - TN
Coleoptera

gigilmozzi

3

1219

23/09/2014, 22:31

gigilmozzi Vedi ultimo messaggio

Nessun messaggio da leggere
Monochamus saltuarius (Gebler, 1830) - Cerambycidae
15.IX.2014 - ITALIA - Trentino-Alto Adige - TN
Allegato(i) Dettagli della specie
Monochamus saltuarius (Gebler, 1830)
Cerambycidae


15.IX.2014 - ITALIA - Trentino-Alto Adige - TN
Coleoptera

gigilmozzi

11

3178

21/09/2014, 11:32

gigilmozzi Vedi ultimo messaggio

Nessun messaggio da leggere
Stenurella septempunctata septempunctata (Fabricius, 1792) - Cerambycidae
16.VII.2014 - ITALIA - Trentino-Alto Adige - TN
Allegato(i) Dettagli della specie
Stenurella septempunctata septempunctata (Fabricius, 1792)
Cerambycidae


16.VII.2014 - ITALIA - Trentino-Alto Adige - TN
Coleoptera

gigilmozzi

5

1257

20/09/2014, 21:45

f.izzillo Vedi ultimo messaggio

Nessun messaggio da leggere
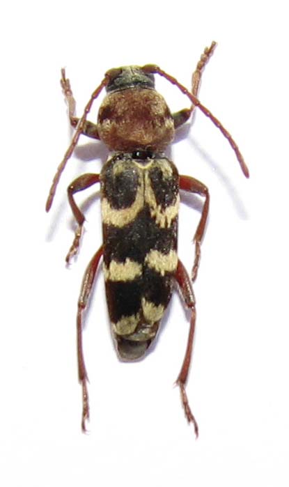
Rutpela maculata maculata (Poda, 1761) - Cerambycidae
16.VII.2014 - ITALIA - Trentino-Alto Adige - TN
Allegato(i) Dettagli della specie
Rutpela maculata maculata (Poda, 1761)
Cerambycidae


16.VII.2014 - ITALIA - Trentino-Alto Adige - TN
Coleoptera

gigilmozzi

5

822

20/09/2014, 21:45

f.izzillo Vedi ultimo messaggio

Nessun messaggio da leggere
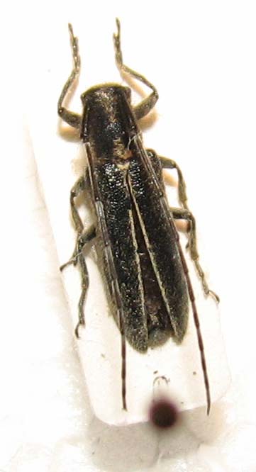
Ergates faber faber (Linnaeus, 1760) - Cerambycidae
15.IX.2014 - ITALIA - Friuli-Venezia Giulia - TS
Allegato(i) Dettagli della specie
Ergates faber faber (Linnaeus, 1760)
Cerambycidae


15.IX.2014 - ITALIA - Friuli-Venezia Giulia - TS
Coleoptera

Bemisia

2

865

15/09/2014, 18:45

Bemisia Vedi ultimo messaggio

Nessun messaggio da leggere
Cerambyx welensii (Küster, 1845) - Cerambycidae
21.VII.2014 - ITALIA - Veneto - PD
Allegato(i) Dettagli della specie
Cerambyx welensii (Küster, 1845)
Cerambycidae


21.VII.2014 - ITALIA - Veneto - PD
Coleoptera

Osmoderma

4

1637

13/09/2014, 11:19

Osmoderma Vedi ultimo messaggio

Visualizza ultimi argomenti:  Ordina per  Ordine:  
nuovo argomento
Vai alla pagina Precedente  1 ... 18, 19, 20, 21, 22, 23, 24 ... 59  Prossimo
Pagina 21 di 59 [ 2928 argomenti ]

Tutti gli orari sono UTC + 1 ora [ ora legale ]


Chi c’è in linea

Visitano il forum: Nessuno e 2 ospiti


Legenda
Messaggi da leggere Messaggi da leggere Nessun messaggio da leggere Nessun messaggio da leggere Annuncio Annuncio
 
Specie indeterminata / discussione generica
Messaggi non letti [ Popolari ] Messaggi non letti [ Popolari ] Nessun messaggio da leggere [ Popolare ] Nessun messaggio da leggere [ Popolare ] Importante Importante
 
Specie determinata fino al genere o cf.
Messaggi non letti [ Bloccati ] Messaggi non letti [ Bloccati ] No messaggi non letti [ Bloccati ] No messaggi non letti [ Bloccati ] Argomento spostato Argomento spostato
 
Specie correttamente determinata
Permessi
Non puoi aprire nuovi argomenti
Non puoi rispondere negli argomenti
Non puoi modificare i tuoi messaggi
Non puoi cancellare i tuoi messaggi
Non puoi inviare allegati

Cerca per:
Vai a: