Benvenuto Ospite

Forum Entomologi Italiani

www.entomologiitaliani.net/forum
 
Oggi è 09/11/2025, 19:20

Tutti gli orari sono UTC + 1 ora [ ora legale ]


92% 
2927 taxa correttamente determinati su 3178 presenti in archivio

Cerambycidae


[ AFROTROPICALE ] [ ANTARTICO ] [ AUSTRALASIANO ] [ NEARTICO ] [ NEOTROPICALE ] [ ORIENTALE ] [ PALEARTICO ]


nuovo argomento
Vai alla pagina Precedente  1 ... 32, 33, 34, 35, 36, 37, 38 ... 103  Prossimo
Pagina 35 di 103 [ 5103 argomenti ]
 Argomenti   Ordine   Autore   Risposte   Visite    Ultimo messaggio 
Annunci
Nessun messaggio da leggere
Allegato(i)
Incontri entomologici telematici organizzati dalla Società Entomologica Italiana nel 2022 e nel 2023

[ Vai alla paginaVai alla pagina: 1, 2, 3 ]

 

Velvet Ant

44

1431364

03/03/2023, 15:55

Velvet Ant Vedi ultimo messaggio

Nessun messaggio da leggere  
Allegato(i)
Sondaggio sul declino dell'entomofauna in Italia

[ Vai alla paginaVai alla pagina: 1, 2, 3, 4 ]

 

Velvet Ant

52

1759703

22/10/2022, 19:18

Acquarius Vedi ultimo messaggio

Nessun messaggio da leggere  
Allegato(i)
Progetto: Bibliografia ragionata dei lavori entomologici nei quali sono citati reperti apparsi su FEI

[ Vai alla paginaVai alla pagina: 1, 2, 3 ]

 

Velvet Ant

33

1172034

06/07/2023, 18:31

Orotrechus Vedi ultimo messaggio

Nessun messaggio da leggere
Allegato(i)
Mimesi, il primo documentario cinematografico sull’entomologia in Italia: casting
 

mazzeip

1

457412

28/02/2019, 20:26

mazzeip Vedi ultimo messaggio

Questo argomento è bloccato, non puoi modificare o inviare ulteriori messaggi.
Allegato(i)
ISTRUZIONI PUBBLICAZIONE NUOVI ARGOMENTI E FOTO

 
Altri Ordini di Insetti

Julodis

4

914173

13/05/2015, 19:37

Julodis Vedi ultimo messaggio

Nessun messaggio da leggere
Allegato(i)
Limitatore giornaliero di messaggi, uno strumento utile e ormai indispensabile

[ Vai alla paginaVai alla pagina: 1 ... 14, 15, 16 ]

 

Velvet Ant

233

8839217

25/09/2014, 14:31

Inachis Vedi ultimo messaggio

Nessun messaggio da leggere  
NORME PER I COLLABORATORI DEL FORUM

 
 

Velvet Ant

0

478993

02/06/2011, 12:05

Velvet Ant Vedi ultimo messaggio

Nessun messaggio da leggere
Allegato(i)
NORME PER GLI UTENTI DEL FORUM

[ Vai alla paginaVai alla pagina: 1, 2, 3 ]



 
 

Velvet Ant

30

2346999

23/09/2014, 23:54

Maurizio Bollino Vedi ultimo messaggio

Questo argomento è bloccato, non puoi modificare o inviare ulteriori messaggi.  
Elenco delle specie italiane di Cerambycidae presenti sul forum
Cerambycidae


 
Coleoptera

Plagionotus

0

5999

22/11/2010, 22:28

Plagionotus Vedi ultimo messaggio

Nessun messaggio da leggere  
Lista degli utenti del "Forum entomologi italiani" per campi di interesse e specializzazione

 
Altri Ordini di Insetti

Velvet Ant

13

944852

07/09/2023, 17:14

Roberto-07 Vedi ultimo messaggio

Argomenti
Nessun messaggio da leggere
Batocera matzdorffi Kriesche, 1915 - Cerambycidae
2.I.2015 - INDONESIA - EST - EE
Allegato(i)
Batocera matzdorffi Kriesche, 1915 - Cerambycidae

2.I.2015 - INDONESIA - EST - EE
Coleoptera

Carlo A.

1

1352

17/01/2015, 17:39

Julodis Vedi ultimo messaggio

Nessun messaggio da leggere
Allegato(i) Dettagli della specie
Cortodera humeralis aspromontana G. Müller, 1948
Cerambycidae


VI.2012 - GRECIA - EE
Coleoptera

claudio sola

9

3121

16/01/2015, 12:14

alebisca Vedi ultimo messaggio

Nessun messaggio da leggere
Semnosia herminae (Reitter, 1890) - Cerambycidae
4.VIII.2014 - TURCHIA - EE
Allegato(i)
Semnosia herminae (Reitter, 1890) - Cerambycidae

4.VIII.2014 - TURCHIA - EE
Coleoptera

Broc

8

2659

15/01/2015, 21:51

Broc Vedi ultimo messaggio

Nessun messaggio da leggere
Allegato(i) Dettagli della specie
Anaglyptus gibbosus (Fabricius, 1787)
Cerambycidae


VI.2012 - GRECIA - EE
Coleoptera

claudio sola

14

3797

15/01/2015, 20:22

Julodis Vedi ultimo messaggio

Nessun messaggio da leggere
Allegato(i) Dettagli della specie
Stenhomalus (Obriopsis) bicolor (Kraatz, 1862)
Cerambycidae


VI.2012 - GRECIA - EE
Coleoptera

claudio sola

1

1022

12/01/2015, 19:22

Entomarci Vedi ultimo messaggio

Nessun messaggio da leggere
Allegato(i)
Stenurella bifasciata (Muller, 1776) (cf.) - Cerambycidae
Cerambycidae


VI.2012 - GRECIA - EE
Coleoptera

claudio sola

1

773

10/01/2015, 21:00

Plagionotus Vedi ultimo messaggio

Nessun messaggio da leggere
Allegato(i) Dettagli della specie
Molorchus minor minor (Linnaeus, 1758)
Cerambycidae


VI.2012 - GRECIA - EE
Coleoptera

claudio sola

1

861

10/01/2015, 19:33

michele.carraretto Vedi ultimo messaggio

Nessun messaggio da leggere
Allegato(i) Dettagli della specie
Obrium brunneum (Fabricius, 1792)
Cerambycidae


VI.2012 - GRECIA - EE
Coleoptera

claudio sola

2

1254

10/01/2015, 0:43

claudio sola Vedi ultimo messaggio

Nessun messaggio da leggere
Allegato(i)
Hypocephalus armatus Desmarest, 1832 - Cerambycidae
Cerambycidae


3.XII.2013 - BRASILE - EE
Coleoptera

Julodis

13

3878

09/01/2015, 22:36

Julodis Vedi ultimo messaggio

Nessun messaggio da leggere
Allegato(i)
Molorchus minor (Linnaeus, 1758) (cf.) - Cerambycidae

VI.2012 - GRECIA - EE
Coleoptera

claudio sola

2

1121

09/01/2015, 9:08

Entomarci Vedi ultimo messaggio

Nessun messaggio da leggere
Allegato(i) Dettagli della specie
Molorchus minor minor (Linnaeus, 1758)
Cerambycidae


VI.2012 - GRECIA - EE
Coleoptera

claudio sola

2

1092

09/01/2015, 0:12

Entomarci Vedi ultimo messaggio

Nessun messaggio da leggere
Allegato(i)
Grammoptera auricollis bipustulata Steiner, 1975
Cerambycidae


VI.2012 - GRECIA - EE
Coleoptera

claudio sola

1

861

07/01/2015, 20:22

Uncle Adam Vedi ultimo messaggio

Nessun messaggio da leggere
Allegato(i) Dettagli della specie
Rhagium (Rhagium) inquisitor inquisitor (Linnaeus, 1758) cf.
Cerambycidae


VI.2012 - GRECIA - EE
Coleoptera

claudio sola

6

2044

31/12/2014, 17:12

Entomarci Vedi ultimo messaggio

Nessun messaggio da leggere
Allegato(i) Dettagli della specie
Rhagium (Rhagium) inquisitor inquisitor (Linnaeus, 1758) cf.
Cerambycidae


VI.2012 - GRECIA - EE
Coleoptera

claudio sola

4

1541

31/12/2014, 10:21

michele.carraretto Vedi ultimo messaggio

Nessun messaggio da leggere
Callidium aeneum (De Geer, 1775) - Cerambycidae
29.XII.2014 - ITALIA - Trentino-Alto Adige - TN
Allegato(i) Dettagli della specie
Callidium aeneum (De Geer, 1775)
Cerambycidae


29.XII.2014 - ITALIA - Trentino-Alto Adige - TN
Coleoptera

gigilmozzi

6

1863

29/12/2014, 22:44

Entomarci Vedi ultimo messaggio

Nessun messaggio da leggere
Allegato(i)
Akimerus schaefferi ariannae Pesarini & Sabbadini, 2007
Cerambycidae


12.VI.2013 - GRECIA - EE
Coleoptera

Drymochares

5

1215

29/12/2014, 12:30

Drymochares Vedi ultimo messaggio

Nessun messaggio da leggere
Allegato(i) Dettagli della specie
Purpuricenus (Purpuricenus) budensis (Götz, 1783)
Cerambycidae


17.VI.2014 - BULGARIA - EE
Coleoptera

matthew gandy

2

961

28/12/2014, 14:33

matthew gandy Vedi ultimo messaggio

Nessun messaggio da leggere
Allegato(i)
Purpuricenus nicocles Schaufuss, 1871 - Cerambycidae

IV.2014 - CIPRO - EE
Coleoptera

Drymochares

2

1105

28/12/2014, 13:42

Drymochares Vedi ultimo messaggio

Nessun messaggio da leggere
Allegato(i)
Phytoecia antoniae Reitter, 1889 - Cerambycidae

VI.2014 - ARMENIA - EE
Coleoptera

Drymochares

2

1020

27/12/2014, 23:21

Drymochares Vedi ultimo messaggio

Nessun messaggio da leggere
Allegato(i) Dettagli della specie
Pronocera angusta (Kriechbaumer, 1844)
Cerambycidae


6.IV.2006 - POLONIA - EE
Coleoptera

Uncle Adam

5

1745

27/12/2014, 19:48

Entomarci Vedi ultimo messaggio

Nessun messaggio da leggere
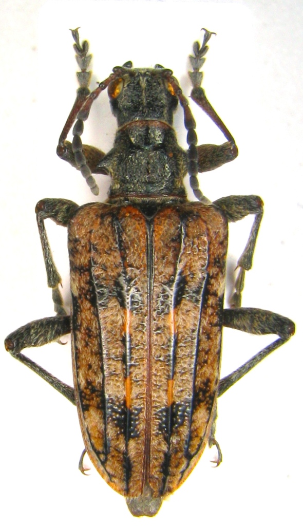
Mallosia (Semnosia) galinae Danilevsky, 1990
8.V.2014 - GEORGIA - EE
Allegato(i)
Mallosia (Semnosia) galinae Danilevsky, 1990

8.V.2014 - GEORGIA - EE
Coleoptera

Uncle Adam

14

4352

27/12/2014, 17:46

Uncle Adam Vedi ultimo messaggio

Nessun messaggio da leggere
Allegato(i)
Anastrangalia montana montana Mulsant & Rey, 1863 - Cerambycidae

21.V.2011 - TURCHIA - EE
Coleoptera

Fumea crassiorella

9

2262

27/12/2014, 10:22

cosmln Vedi ultimo messaggio

Nessun messaggio da leggere
Allegato(i)
Mallodon spinibarbe (Linnaeus, 1758) cf. - Cerambycidae
Cerambycidae


29.XI.2014 - COSTA RICA - EE
Coleoptera

Lenny

3

1272

27/12/2014, 5:01

Lenny Vedi ultimo messaggio

Nessun messaggio da leggere
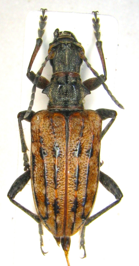
Cerambyx welensii (Küster, 1845) - Cerambycidae
17.VIII.2014 - ITALIA - Marche - FM
Allegato(i) Dettagli della specie
Cerambyx welensii (Küster, 1845)
Cerambycidae


17.VIII.2014 - ITALIA - Marche - FM
Coleoptera

Andream

5

1386

26/12/2014, 16:07

Andream Vedi ultimo messaggio

Nessun messaggio da leggere
Allegato(i)
Agapanthia dahli (Richter, 1821) (cf.) - Cerambycidae

16.VI.2014 - BULGARIA - EE
Coleoptera

matthew gandy

2

1174

25/12/2014, 22:23

matthew gandy Vedi ultimo messaggio

Nessun messaggio da leggere
Larva di Cerambycidae sp.
24.XII.2014 - ITALIA - Trentino-Alto Adige - BZ
Allegato(i)
Larva di Cerambycidae sp.

24.XII.2014 - ITALIA - Trentino-Alto Adige - BZ
Coleoptera

gigilmozzi

11

1880

25/12/2014, 19:46

marco villa Vedi ultimo messaggio

Nessun messaggio da leggere
Allegato(i)
Cereopsius quaestor (Newman, 1842) - Cerambycidae
Cerambycidae


IV.2014 - FILIPPINE - EE
Coleoptera

Julodis

0

656

23/12/2014, 0:30

Julodis Vedi ultimo messaggio

Nessun messaggio da leggere
Allegato(i)
Dorysthenes (Baladeva) walkeri (Waterhouse, 1840) - Cerambycidae

 
Coleoptera

Chalybion

2

760

21/12/2014, 17:51

Chalybion Vedi ultimo messaggio

Nessun messaggio da leggere
Cerambycidae Parandrinae Costa Rica
22.XI.2014 - COSTA RICA - EE
Allegato(i)
Cerambycidae Parandrinae Costa Rica
Cerambycidae


22.XI.2014 - COSTA RICA - EE
Coleoptera

Lenny

4

1344

20/12/2014, 5:03

Lenny Vedi ultimo messaggio

Nessun messaggio da leggere
Allegato(i) Dettagli della specie
Anisorus quercus quercus (Götz, 1783)
Cerambycidae


19.V.2011 - POLONIA - EE
Coleoptera

Uncle Adam

4

1617

19/12/2014, 18:52

Uncle Adam Vedi ultimo messaggio

Nessun messaggio da leggere
Allegato(i)
Pedostrangalia (Sphenalia) raggii Sama, 1992 - Cerambycidae
Cerambycidae


18.VI.2014 - CIPRO - EE
Coleoptera

cosmln

5

1836

19/12/2014, 18:05

Uncle Adam Vedi ultimo messaggio

Nessun messaggio da leggere
Allegato(i)
Diastocera wallichi tonkinensis Kriesche, 1924 - Cerambycidae

 
Coleoptera

Chalybion

5

1525

18/12/2014, 19:27

Julodis Vedi ultimo messaggio

Nessun messaggio da leggere
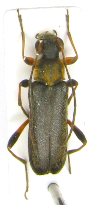
Aegomorphus francottei Sama, 1994
9.V.2014 - FRANCIA - EE
Allegato(i)
Aegomorphus francottei Sama, 1994
Cerambycidae


9.V.2014 - FRANCIA - EE
Coleoptera

Dave

3

1810

17/12/2014, 2:32

Uncle Adam Vedi ultimo messaggio

Nessun messaggio da leggere
Allegato(i)
Batocera lineolata - Cerambycidae
Cerambycidae


THAILANDIA - EE
Coleoptera

Chalybion

4

1442

16/12/2014, 22:01

Chalybion Vedi ultimo messaggio

Nessun messaggio da leggere
Allegato(i) Dettagli della specie
Necydalis (Necydalis) major major Linnaeus, 1758
Cerambycidae


24.III.2003 - POLONIA - EE
Coleoptera

Uncle Adam

8

2214

13/12/2014, 20:32

Julodis Vedi ultimo messaggio

Nessun messaggio da leggere
Allegato(i)
Notophysis forcipata (Harold, 1878) (cf.) - Cerambycidae
Cerambycidae


8.IV.2014 - ZAMBIA - EE
Coleoptera

Julodis

0

996

11/12/2014, 23:56

Julodis Vedi ultimo messaggio

Nessun messaggio da leggere
Allegato(i)
Tithoes maculatus (Fabricius, 1793) (cf.) - Cerambycidae
Cerambycidae


II.2014 - KENYA - EE
Coleoptera

Julodis

1

1067

11/12/2014, 23:53

cosmln Vedi ultimo messaggio

Nessun messaggio da leggere
Exocentrus adspersus Mulsant, 1846 - Cerambycidae
18.VI.2012 - ITALIA - Lazio - FR
Allegato(i) Dettagli della specie
Exocentrus adspersus Mulsant, 1846
Cerambycidae

[ Vai alla paginaVai alla pagina: 1, 2 ]



18.VI.2012 - ITALIA - Lazio - FR
Coleoptera

Valerio

28

6729

11/12/2014, 15:04

Julodis Vedi ultimo messaggio

Nessun messaggio da leggere
Allegato(i) Dettagli della specie
Agapanthia (Epoptes) sicula malmerendii Sama, 1981
Cerambycidae


29.VI.2013 - ITALIA - Calabria - CS
Coleoptera

Valerio

2

1755

10/12/2014, 21:47

Valerio Vedi ultimo messaggio

Nessun messaggio da leggere
Allegato(i) Dettagli della specie
Acanthocinus xanthoneurus (Mulsant & Rey, 1852)
Cerambycidae

[ Vai alla paginaVai alla pagina: 1, 2 ]



19.VI.2011 - ITALIA - Lazio - RI
Coleoptera

Valerio

18

5250

10/12/2014, 21:04

Valerio Vedi ultimo messaggio

Nessun messaggio da leggere
Allegato(i)
Pogonocherus perroudi Mulsant, 1839 - Cerambycidae

27.XI.2014 - TURCHIA - EE
Coleoptera

ozgur70

4

1317

10/12/2014, 15:59

ozgur70 Vedi ultimo messaggio

Nessun messaggio da leggere
Allegato(i) Dettagli della specie
Monochamus saltuarius (Gebler, 1830)
Cerambycidae


7.IV.2012 - POLONIA - EE
Coleoptera

Uncle Adam

0

926

08/12/2014, 16:06

Uncle Adam Vedi ultimo messaggio

Nessun messaggio da leggere
Allegato(i)
Megalofrea bioculata (Fairmaire, 1889) - Cerambycidae
Cerambycidae


1.IV.2013 - MADAGASCAR - EE
Coleoptera

Julodis

4

1216

07/12/2014, 19:46

Julodis Vedi ultimo messaggio

Nessun messaggio da leggere
Chlorophorus varius varius (O. F. Müller, 1766) - Cerambycidae
23.VIII.2014 - ITALIA - Abruzzo - CH
Allegato(i) Dettagli della specie
Chlorophorus varius varius (O. F. Müller, 1766)
Cerambycidae


23.VIII.2014 - ITALIA - Abruzzo - CH
Coleoptera

Andream

5

1467

07/12/2014, 16:13

Andream Vedi ultimo messaggio

Nessun messaggio da leggere
Allegato(i) Dettagli della specie
Xylotrechus (Xylotrechus) arvicola (Olivier, 1795)
Cerambycidae


20.VI.2000 - ITALIA - Toscana - PO
Coleoptera

Andream

2

995

07/12/2014, 14:50

Andream Vedi ultimo messaggio

Nessun messaggio da leggere
Allegato(i)
Agapanthia annularis (Olivier, 1795) - Cerambycidae
Cerambycidae


14.V.2010 - MAROCCO - EE
Coleoptera

Valerio

2

932

06/12/2014, 15:45

Valerio Vedi ultimo messaggio

Nessun messaggio da leggere
Phymatodes testaceus (Linnaeus, 1758) - Cerambycidae
25.VI.1996 - ITALIA - Toscana - PO
Allegato(i) Dettagli della specie
Phymatodes testaceus (Linnaeus, 1758)
Cerambycidae


25.VI.1996 - ITALIA - Toscana - PO
Coleoptera

Andream

2

1133

06/12/2014, 15:10

Andream Vedi ultimo messaggio

Nessun messaggio da leggere
Phymatodes testaceus (Linnaeus, 1758) - Cerambycidae
22.VI.1997 - ITALIA - Toscana - PO
Allegato(i) Dettagli della specie
Phymatodes testaceus (Linnaeus, 1758)
Cerambycidae


22.VI.1997 - ITALIA - Toscana - PO
Coleoptera

Andream

2

1327

06/12/2014, 15:09

Andream Vedi ultimo messaggio

Nessun messaggio da leggere
Agapanthia (Epoptes) cynarae (Germar, 1817) - Cerambycidae
23.VI.2013 - ITALIA - Calabria - CS
Allegato(i) Dettagli della specie
Agapanthia (Epoptes) cynarae (Germar, 1817)
Cerambycidae


23.VI.2013 - ITALIA - Calabria - CS
Coleoptera

Valerio

7

3699

06/12/2014, 13:34

Valerio Vedi ultimo messaggio

Nessun messaggio da leggere
Agapanthia (Epoptes) cynarae (Germar, 1817) - Cerambycidae
30.VI.2010 - ITALIA - Calabria - CS
Allegato(i) Dettagli della specie
Agapanthia (Epoptes) cynarae (Germar, 1817)
Cerambycidae


30.VI.2010 - ITALIA - Calabria - CS
Coleoptera

Valerio

1

1819

06/12/2014, 12:45

alebisca Vedi ultimo messaggio

Visualizza ultimi argomenti:  Ordina per  Ordine:  
nuovo argomento
Vai alla pagina Precedente  1 ... 32, 33, 34, 35, 36, 37, 38 ... 103  Prossimo
Pagina 35 di 103 [ 5103 argomenti ]

Tutti gli orari sono UTC + 1 ora [ ora legale ]


Chi c’è in linea

Visitano il forum: Majestic-12 [Bot] e 1 ospite


Legenda
Messaggi da leggere Messaggi da leggere Nessun messaggio da leggere Nessun messaggio da leggere Annuncio Annuncio
 
Specie indeterminata / discussione generica
Messaggi non letti [ Popolari ] Messaggi non letti [ Popolari ] Nessun messaggio da leggere [ Popolare ] Nessun messaggio da leggere [ Popolare ] Importante Importante
 
Specie determinata fino al genere o cf.
Messaggi non letti [ Bloccati ] Messaggi non letti [ Bloccati ] No messaggi non letti [ Bloccati ] No messaggi non letti [ Bloccati ] Argomento spostato Argomento spostato
 
Specie correttamente determinata
Permessi
Non puoi aprire nuovi argomenti
Non puoi rispondere negli argomenti
Non puoi modificare i tuoi messaggi
Non puoi cancellare i tuoi messaggi
Non puoi inviare allegati

Cerca per:
Vai a: