Benvenuto Ospite

Forum Entomologi Italiani

www.entomologiitaliani.net/forum
 
Oggi è 10/11/2025, 12:42

Tutti gli orari sono UTC + 1 ora [ ora legale ]


92% 
2927 taxa correttamente determinati su 3178 presenti in archivio

Cerambycidae


[ AFROTROPICALE ] [ ANTARTICO ] [ AUSTRALASIANO ] [ NEARTICO ] [ NEOTROPICALE ] [ ORIENTALE ] [ PALEARTICO ]


nuovo argomento
Vai alla pagina Precedente  1 ... 34, 35, 36, 37, 38, 39, 40 ... 103  Prossimo
Pagina 37 di 103 [ 5103 argomenti ]
 Argomenti   Ordine   Autore   Risposte   Visite    Ultimo messaggio 
Annunci
Nessun messaggio da leggere
Allegato(i)
Incontri entomologici telematici organizzati dalla Società Entomologica Italiana nel 2022 e nel 2023

[ Vai alla paginaVai alla pagina: 1, 2, 3 ]

 

Velvet Ant

44

1432385

03/03/2023, 15:55

Velvet Ant Vedi ultimo messaggio

Nessun messaggio da leggere  
Allegato(i)
Sondaggio sul declino dell'entomofauna in Italia

[ Vai alla paginaVai alla pagina: 1, 2, 3, 4 ]

 

Velvet Ant

52

1760770

22/10/2022, 19:18

Acquarius Vedi ultimo messaggio

Nessun messaggio da leggere  
Allegato(i)
Progetto: Bibliografia ragionata dei lavori entomologici nei quali sono citati reperti apparsi su FEI

[ Vai alla paginaVai alla pagina: 1, 2, 3 ]

 

Velvet Ant

33

1172731

06/07/2023, 18:31

Orotrechus Vedi ultimo messaggio

Nessun messaggio da leggere
Allegato(i)
Mimesi, il primo documentario cinematografico sull’entomologia in Italia: casting
 

mazzeip

1

457659

28/02/2019, 20:26

mazzeip Vedi ultimo messaggio

Questo argomento è bloccato, non puoi modificare o inviare ulteriori messaggi.
Allegato(i)
ISTRUZIONI PUBBLICAZIONE NUOVI ARGOMENTI E FOTO

 
Altri Ordini di Insetti

Julodis

4

921859

13/05/2015, 19:37

Julodis Vedi ultimo messaggio

Nessun messaggio da leggere
Allegato(i)
Limitatore giornaliero di messaggi, uno strumento utile e ormai indispensabile

[ Vai alla paginaVai alla pagina: 1 ... 14, 15, 16 ]

 

Velvet Ant

233

8845864

25/09/2014, 14:31

Inachis Vedi ultimo messaggio

Nessun messaggio da leggere  
NORME PER I COLLABORATORI DEL FORUM

 
 

Velvet Ant

0

479072

02/06/2011, 12:05

Velvet Ant Vedi ultimo messaggio

Nessun messaggio da leggere
Allegato(i)
NORME PER GLI UTENTI DEL FORUM

[ Vai alla paginaVai alla pagina: 1, 2, 3 ]



 
 

Velvet Ant

30

2347766

23/09/2014, 23:54

Maurizio Bollino Vedi ultimo messaggio

Questo argomento è bloccato, non puoi modificare o inviare ulteriori messaggi.  
Elenco delle specie italiane di Cerambycidae presenti sul forum
Cerambycidae


 
Coleoptera

Plagionotus

0

5999

22/11/2010, 22:28

Plagionotus Vedi ultimo messaggio

Nessun messaggio da leggere  
Lista degli utenti del "Forum entomologi italiani" per campi di interesse e specializzazione

 
Altri Ordini di Insetti

Velvet Ant

13

945165

07/09/2023, 17:14

Roberto-07 Vedi ultimo messaggio

Argomenti
Nessun messaggio da leggere
Phytoecia rufipes rufipes (Olivier, 1795) - Cerambycidae
5.VII.2013 - ITALIA - Campania - SA
Allegato(i) Dettagli della specie
Phytoecia rufipes rufipes (Olivier, 1795)
Cerambycidae


5.VII.2013 - ITALIA - Campania - SA
Coleoptera

f.izzillo

4

1750

14/11/2014, 11:03

f.izzillo Vedi ultimo messaggio

Nessun messaggio da leggere
Cerambyx nodulosus Germar, 1817 cf. - Cerambycidae
21.VIII.2014 - TURCHIA - EE
Allegato(i) Dettagli della specie
Cerambyx nodulosus Germar, 1817 cf.
Cerambycidae


21.VIII.2014 - TURCHIA - EE
Coleoptera

ozgur70

7

2327

12/11/2014, 21:32

Plagionotus Vedi ultimo messaggio

Nessun messaggio da leggere
Allegato(i) Dettagli della specie
Cerambyx scopolii scopolii Fuessly, 1775
Cerambycidae


9.V.2014 - TURCHIA - EE
Coleoptera

ozgur70

5

1911

12/11/2014, 12:33

Xylosteus Vedi ultimo messaggio

Nessun messaggio da leggere
Dorcadion sp.
16.VI.2010 - GEORGIA - EE
Allegato(i)
Dorcadion sp.
Cerambycidae


16.VI.2010 - GEORGIA - EE
Coleoptera

ivo

3

1309

08/11/2014, 13:27

zdeno Vedi ultimo messaggio

Nessun messaggio da leggere
Allegato(i)
Dorcadion (Cribridorcadion) striolatum Kraatz, 1873
Cerambycidae


27.IV.2012 - GEORGIA - EE
Coleoptera

ivo

4

1286

06/11/2014, 20:18

ivo Vedi ultimo messaggio

Nessun messaggio da leggere
Allegato(i) Dettagli della specie
Etorofus pubescens (Fabricius, 1787)
Cerambycidae


ALBANIA - EE
Coleoptera

zdeno

3

1571

05/11/2014, 21:36

zdeno Vedi ultimo messaggio

Nessun messaggio da leggere
Allegato(i)
Mionochroma vittatum vittatum (Fabricius, 1775) - Cerambycidae
Cerambycidae


12.X.2014 - COSTA RICA - EE
Coleoptera

Lenny

3

1198

03/11/2014, 20:26

Lenny Vedi ultimo messaggio

Nessun messaggio da leggere
Stictoleptura rubra rubra (Linnaeus, 1758) - Cerambycidae
31.X.2014 - ITALIA - Sicilia - PA
Allegato(i) Dettagli della specie
Stictoleptura rubra rubra (Linnaeus, 1758)
Cerambycidae


31.X.2014 - ITALIA - Sicilia - PA
Coleoptera

Davide Castelli

3

2069

01/11/2014, 11:57

Xylosteus Vedi ultimo messaggio

Nessun messaggio da leggere
Dorcadion sp.
9.V.2014 - GEORGIA - EE
Allegato(i)
Dorcadion sp.
Cerambycidae


9.V.2014 - GEORGIA - EE
Coleoptera

Uncle Adam

0

1079

31/10/2014, 18:31

Uncle Adam Vedi ultimo messaggio

Nessun messaggio da leggere
Allegato(i)
Dorcadion septemlineatum albanicum Heyrovsky, 1934
Cerambycidae


11.V.2014 - ALBANIA - EE
Coleoptera

Tamás Németh

5

2042

31/10/2014, 16:43

Tamás Németh Vedi ultimo messaggio

Nessun messaggio da leggere
Allegato(i) Dettagli della specie
Stictoleptura scutellata scutellata (Fabricius, 1781)
Cerambycidae


2.VII.2014 - ITALIA - Toscana - GR
Coleoptera

skip

6

1818

30/10/2014, 14:52

skip Vedi ultimo messaggio

Nessun messaggio da leggere
Pogonocherus ovatus (Goeze, 1777) - Cerambycidae
31.VII.2014 - ITALIA - Trentino-Alto Adige - TN
Allegato(i) Dettagli della specie
Pogonocherus ovatus (Goeze, 1777)
Cerambycidae


31.VII.2014 - ITALIA - Trentino-Alto Adige - TN
Coleoptera

gigilmozzi

4

1860

27/10/2014, 22:18

Plagionotus Vedi ultimo messaggio

Nessun messaggio da leggere
Acanthocinus aedilis (Linnaeus, 1758) - Cerambycidae
27.X.2014 - ITALIA - Trentino-Alto Adige - TN
Allegato(i) Dettagli della specie
Acanthocinus aedilis (Linnaeus, 1758)
Cerambycidae


27.X.2014 - ITALIA - Trentino-Alto Adige - TN
Coleoptera

gigilmozzi

2

1906

27/10/2014, 21:54

gigilmozzi Vedi ultimo messaggio

Nessun messaggio da leggere
Allegato(i) Dettagli della specie
Agapanthia (Epoptes) villosoviridescens (De Geer, 1775)
Cerambycidae


7.VI.2014 - ITALIA - Toscana - FI
Coleoptera

skip

2

1500

26/10/2014, 16:36

skip Vedi ultimo messaggio

Nessun messaggio da leggere
Allegato(i) Dettagli della specie
Agapanthia (Agapanthia) cardui (Linnaeus, 1767)
Cerambycidae


7.VI.2014 - ITALIA - Toscana - FI
Coleoptera

skip

2

1589

26/10/2014, 16:36

skip Vedi ultimo messaggio

Nessun messaggio da leggere
Acanthocinus griseus (Fabricius, 1792) - Cerambycidae
25.VI.2014 - ITALIA - Lombardia - SO
Allegato(i) Dettagli della specie
Acanthocinus griseus (Fabricius, 1792)
Cerambycidae


25.VI.2014 - ITALIA - Lombardia - SO
Coleoptera

skip

2

1846

25/10/2014, 13:27

skip Vedi ultimo messaggio

Nessun messaggio da leggere
Vesperus luridus (Rossi, 1794) - Cerambycidae
VIII.2014 - ITALIA - Lazio - RM
Allegato(i) Dettagli della specie
Vesperus luridus (Rossi, 1794)
Cerambycidae


VIII.2014 - ITALIA - Lazio - RM
Coleoptera

isaisa

5

2215

22/10/2014, 20:32

Plagionotus Vedi ultimo messaggio

Nessun messaggio da leggere
Allegato(i)
Ptychodes politus Audinet-Serville, 1835 (cf.) - Cerambycidae

2.VIII.2014 - GUATEMALA - EE
Coleoptera

ff57

3

1529

22/10/2014, 18:23

Tc70 Vedi ultimo messaggio

Nessun messaggio da leggere
Pseudovadonia livida livida (Fabricius, 1777) - Cerambycidae
6.VI.2014 - ITALIA - Toscana - FI
Allegato(i) Dettagli della specie
Pseudovadonia livida livida (Fabricius, 1777)
Cerambycidae


6.VI.2014 - ITALIA - Toscana - FI
Coleoptera

skip

4

1448

21/10/2014, 22:56

skip Vedi ultimo messaggio

Nessun messaggio da leggere
Pachytodes erraticus erraticus (Dalman, 1817) - Cerambycidae
21.VI.2014 - ITALIA - Toscana - FI
Allegato(i) Dettagli della specie
Pachytodes erraticus erraticus (Dalman, 1817)
Cerambycidae


21.VI.2014 - ITALIA - Toscana - FI
Coleoptera

skip

3

1103

21/10/2014, 9:39

skip Vedi ultimo messaggio

Nessun messaggio da leggere
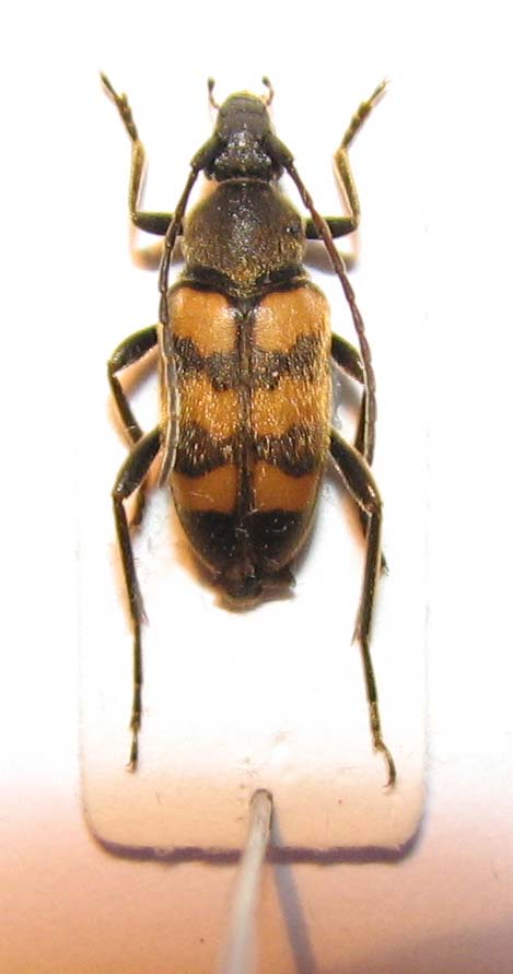
Anastrangalia dubia dubia (Scopoli, 1763) - Cerambycidae
25.VI.2014 - ITALIA - Lombardia - SO
Allegato(i) Dettagli della specie
Anastrangalia dubia dubia (Scopoli, 1763)
Cerambycidae

[ Vai alla paginaVai alla pagina: 1, 2 ]



25.VI.2014 - ITALIA - Lombardia - SO
Coleoptera

skip

17

2891

17/10/2014, 17:37

gigilmozzi Vedi ultimo messaggio

Nessun messaggio da leggere
Niphona picticornis Mulsant, 1839 - Cerambycidae
14.X.2014 - ITALIA - Sicilia - TP
Allegato(i) Dettagli della specie
Niphona picticornis Mulsant, 1839
Cerambycidae


14.X.2014 - ITALIA - Sicilia - TP
Coleoptera

Davide Castelli

1

670

16/10/2014, 23:06

Uncle Adam Vedi ultimo messaggio

Nessun messaggio da leggere
Pachytodes sp. Cerambycidae
25.VI.2014 - ITALIA - Lombardia - SO
Allegato(i)
Pachytodes sp. Cerambycidae

25.VI.2014 - ITALIA - Lombardia - SO
Coleoptera

skip

13

1642

16/10/2014, 19:41

Plagionotus Vedi ultimo messaggio

Nessun messaggio da leggere
Paracorymbia hybrida (Rey, 1885) - Cerambycidae
25.VI.2014 - ITALIA - Lombardia - SO
Allegato(i) Dettagli della specie
Paracorymbia hybrida (Rey, 1885)
Cerambycidae


25.VI.2014 - ITALIA - Lombardia - SO
Coleoptera

skip

7

1407

15/10/2014, 22:39

skip Vedi ultimo messaggio

Nessun messaggio da leggere
Allegato(i)
Acmaeops angusticollis (Gebler, 1833) - Cerambycidae

19.VI.2012 - POLONIA - EE
Coleoptera

Uncle Adam

2

947

15/10/2014, 22:19

Uncle Adam Vedi ultimo messaggio

Nessun messaggio da leggere
Brachyta interrogationis (Linnaeus, 1758) - Cerambycidae
27.VI.2014 - ITALIA - Lombardia - SO
Allegato(i) Dettagli della specie
Brachyta interrogationis (Linnaeus, 1758)
Cerambycidae


27.VI.2014 - ITALIA - Lombardia - SO
Coleoptera

skip

2

888

14/10/2014, 12:24

skip Vedi ultimo messaggio

Nessun messaggio da leggere
Allegato(i) Dettagli della specie
Agapanthia (Epoptes) sicula sicula Ganglbauer, 1884 cf.
Cerambycidae


12.VI.2010 - ITALIA - Sicilia - PA
Coleoptera

Gregorio

2

940

12/10/2014, 23:04

Gregorio Vedi ultimo messaggio

Nessun messaggio da leggere
Rhagium (Hagrium) bifasciatum Fabricius, 1775 - Cerambycidae
11.X.2014 - ITALIA - Trentino-Alto Adige - TN
Allegato(i) Dettagli della specie
Rhagium (Hagrium) bifasciatum Fabricius, 1775
Cerambycidae


11.X.2014 - ITALIA - Trentino-Alto Adige - TN
Coleoptera

gigilmozzi

2

1125

12/10/2014, 15:59

gigilmozzi Vedi ultimo messaggio

Nessun messaggio da leggere
Arhopalus rusticus (Linnaeus, 1758) (cf.) - Cerambycidae
11.VIII.2014 - ITALIA - Trentino-Alto Adige - TN
Allegato(i)
Arhopalus rusticus (Linnaeus, 1758) (cf.) - Cerambycidae

11.VIII.2014 - ITALIA - Trentino-Alto Adige - TN
Coleoptera

gigilmozzi

2

1033

11/10/2014, 18:21

gigilmozzi Vedi ultimo messaggio

Nessun messaggio da leggere
Hylotrupes bajulus (Linnaeus, 1758) - Cerambycidae
8.X.2014 - ITALIA - Emilia-Romagna - FE
Allegato(i) Dettagli della specie
Hylotrupes bajulus (Linnaeus, 1758)
Cerambycidae

[ Vai alla paginaVai alla pagina: 1, 2 ]



8.X.2014 - ITALIA - Emilia-Romagna - FE
Coleoptera

Daniele Maccapani

18

3591

10/10/2014, 18:59

marco villa Vedi ultimo messaggio

Nessun messaggio da leggere
Exocentrus lusitanus (Linnaeus, 1767) (cf.) - Cerambycidae
9.VII.1989 - ITALIA - Veneto - TV
Allegato(i)
Exocentrus lusitanus (Linnaeus, 1767) (cf.) - Cerambycidae

9.VII.1989 - ITALIA - Veneto - TV
Coleoptera

klosse

1

835

10/10/2014, 17:15

f.izzillo Vedi ultimo messaggio

Nessun messaggio da leggere
Allegato(i) Dettagli della specie
Hylotrupes bajulus (Linnaeus, 1758)
Cerambycidae


10.VII.2014 - TURCHIA - EE
Coleoptera

ozgur70

2

890

10/10/2014, 8:09

ozgur70 Vedi ultimo messaggio

Nessun messaggio da leggere
Clytus arietis arietis (Linnaeus, 1758) - Cerambycidae
27.VI.2014 - ITALIA - Lombardia - SO
Allegato(i) Dettagli della specie
Clytus arietis arietis (Linnaeus, 1758)
Cerambycidae


27.VI.2014 - ITALIA - Lombardia - SO
Coleoptera

skip

4

1224

06/10/2014, 15:35

skip Vedi ultimo messaggio

Nessun messaggio da leggere
Chlorophorus trifasciatus (Fabricius, 1781) - Cerambycidae
2.VII.2014 - ITALIA - Toscana - GR
Allegato(i) Dettagli della specie
Chlorophorus trifasciatus (Fabricius, 1781)
Cerambycidae


2.VII.2014 - ITALIA - Toscana - GR
Coleoptera

skip

2

1009

06/10/2014, 13:16

skip Vedi ultimo messaggio

Nessun messaggio da leggere
Stromatium barbatum (Fabricius, 1775) - Cerambycidae
15.VIII.2012 - PAKISTAN - EE
Allegato(i)
Stromatium barbatum (Fabricius, 1775) - Cerambycidae

15.VIII.2012 - PAKISTAN - EE
Coleoptera

Guido Sabatinelli

3

1035

06/10/2014, 6:54

Guido Sabatinelli Vedi ultimo messaggio

Nessun messaggio da leggere
Cerambicidae - Pakistan
15.VII.2012 - PAKISTAN - EE
Allegato(i)
Cerambicidae - Pakistan
Cerambycidae


15.VII.2012 - PAKISTAN - EE
Coleoptera

Guido Sabatinelli

1

838

06/10/2014, 6:51

Guido Sabatinelli Vedi ultimo messaggio

Nessun messaggio da leggere
Rhagium (Rhagium) inquisitor inquisitor (Linnaeus, 1758) - Cerambycidae
5.X.2014 - ITALIA - Trentino-Alto Adige - TN
Allegato(i) Dettagli della specie
Rhagium (Rhagium) inquisitor inquisitor (Linnaeus, 1758)
Cerambycidae


5.X.2014 - ITALIA - Trentino-Alto Adige - TN
Coleoptera

gigilmozzi

2

833

05/10/2014, 20:07

gigilmozzi Vedi ultimo messaggio

Nessun messaggio da leggere
Derolus iranensis Pic, 1956 (cf.) - Cerambycidae
15.VII.2012 - PAKISTAN - EE
Allegato(i)
Derolus iranensis Pic, 1956 (cf.) - Cerambycidae

15.VII.2012 - PAKISTAN - EE
Coleoptera

Guido Sabatinelli

13

2311

02/10/2014, 21:07

Guido Sabatinelli Vedi ultimo messaggio

Nessun messaggio da leggere
Monochamus galloprovincialis (Olivier, 1795) - Cerambycidae
29.VIII.2014 - ITALIA - Emilia-Romagna - FC
Allegato(i) Dettagli della specie
Monochamus galloprovincialis (Olivier, 1795)
Cerambycidae


29.VIII.2014 - ITALIA - Emilia-Romagna - FC
Coleoptera

lucio_A

9

1818

02/10/2014, 16:41

Julodis Vedi ultimo messaggio

Nessun messaggio da leggere
Pterolophia sp. - Cerambycidae
15.VII.2012 - PAKISTAN - EE
Allegato(i)
Pterolophia sp. - Cerambycidae
Cerambycidae


15.VII.2012 - PAKISTAN - EE
Coleoptera

Guido Sabatinelli

2

784

02/10/2014, 9:36

Guido Sabatinelli Vedi ultimo messaggio

Nessun messaggio da leggere
Diorthus cinereus (Fabricius, 1792) - Cerambycidae
15.VII.2012 - PAKISTAN - EE
Allegato(i)
Diorthus cinereus (Fabricius, 1792) - Cerambycidae
Cerambycidae


15.VII.2012 - PAKISTAN - EE
Coleoptera

Guido Sabatinelli

2

750

02/10/2014, 9:35

Guido Sabatinelli Vedi ultimo messaggio

Nessun messaggio da leggere
Cerambicidae sp.
15.VII.2012 - PAKISTAN - EE
Allegato(i)
Cerambicidae sp.
Cerambycidae


15.VII.2012 - PAKISTAN - EE
Coleoptera

Guido Sabatinelli

2

842

02/10/2014, 9:35

Guido Sabatinelli Vedi ultimo messaggio

Nessun messaggio da leggere
Arhopalus syriacus (Reitter, 1895) (cf.) - Cerambycidae
18.IX.2014 - ITALIA - Sicilia - TP
Allegato(i)
Arhopalus syriacus (Reitter, 1895) (cf.) - Cerambycidae

18.IX.2014 - ITALIA - Sicilia - TP
Coleoptera

Davide Castelli

5

1529

01/10/2014, 16:23

Entomarci Vedi ultimo messaggio

Nessun messaggio da leggere
Spondylis buprestoides (Linnaeus, 1758) - Cerambycidae
9.VII.2014 - ITALIA - Lombardia - SO
Allegato(i) Dettagli della specie
Spondylis buprestoides (Linnaeus, 1758)
Cerambycidae


9.VII.2014 - ITALIA - Lombardia - SO
Coleoptera

skip

3

1438

30/09/2014, 13:15

skip Vedi ultimo messaggio

Nessun messaggio da leggere
Monochamus sutor sutor (Linnaeus, 1758) - Cerambycidae
26.IX.2014 - ITALIA - Trentino-Alto Adige - TN
Allegato(i) Dettagli della specie
Monochamus sutor sutor (Linnaeus, 1758)
Cerambycidae


26.IX.2014 - ITALIA - Trentino-Alto Adige - TN
Coleoptera

gigilmozzi

6

2186

29/09/2014, 19:37

gigilmozzi Vedi ultimo messaggio

Nessun messaggio da leggere
Allegato(i) Dettagli della specie
Agapanthia (Epoptes) villosoviridescens (De Geer, 1775)
Cerambycidae


IV.2014 - ITALIA - Lazio - RM
Coleoptera

Broc

2

1112

29/09/2014, 18:30

Broc Vedi ultimo messaggio

Nessun messaggio da leggere
Hylotrupes bajulus (Linnaeus, 1758) - Cerambycidae
26.VIII.2014 - ITALIA - Lombardia - BS
Allegato(i) Dettagli della specie
Hylotrupes bajulus (Linnaeus, 1758)
Cerambycidae


26.VIII.2014 - ITALIA - Lombardia - BS
Coleoptera

Peter

5

1417

28/09/2014, 10:15

Peter Vedi ultimo messaggio

Nessun messaggio da leggere
Pogonocherus hispidus (Linnaeus, 1758) - Cerambycidae
11.XI.2012 - ITALIA - Emilia-Romagna - RA
Allegato(i) Dettagli della specie
Pogonocherus hispidus (Linnaeus, 1758)
Cerambycidae


11.XI.2012 - ITALIA - Emilia-Romagna - RA
Coleoptera

lucio_A

5

1274

28/09/2014, 1:28

pedux Vedi ultimo messaggio

Nessun messaggio da leggere
Aromia moschata moschata (Linnaeus, 1758) - Cerambycidae
26.VIII.2014 - ITALIA - Lombardia - BS
Allegato(i) Dettagli della specie
Aromia moschata moschata (Linnaeus, 1758)
Cerambycidae


26.VIII.2014 - ITALIA - Lombardia - BS
Coleoptera

Peter

2

1024

27/09/2014, 16:56

Peter Vedi ultimo messaggio

Nessun messaggio da leggere
Arhopalus tibetanus Sharp, 1905 - Cerambycidae
15.VIII.2012 - PAKISTAN - EE
Allegato(i)
Arhopalus tibetanus Sharp, 1905 - Cerambycidae

15.VIII.2012 - PAKISTAN - EE
Coleoptera

Guido Sabatinelli

3

1362

27/09/2014, 7:22

Guido Sabatinelli Vedi ultimo messaggio

Visualizza ultimi argomenti:  Ordina per  Ordine:  
nuovo argomento
Vai alla pagina Precedente  1 ... 34, 35, 36, 37, 38, 39, 40 ... 103  Prossimo
Pagina 37 di 103 [ 5103 argomenti ]

Tutti gli orari sono UTC + 1 ora [ ora legale ]


Chi c’è in linea

Visitano il forum: Nessuno e 6 ospiti


Legenda
Messaggi da leggere Messaggi da leggere Nessun messaggio da leggere Nessun messaggio da leggere Annuncio Annuncio
 
Specie indeterminata / discussione generica
Messaggi non letti [ Popolari ] Messaggi non letti [ Popolari ] Nessun messaggio da leggere [ Popolare ] Nessun messaggio da leggere [ Popolare ] Importante Importante
 
Specie determinata fino al genere o cf.
Messaggi non letti [ Bloccati ] Messaggi non letti [ Bloccati ] No messaggi non letti [ Bloccati ] No messaggi non letti [ Bloccati ] Argomento spostato Argomento spostato
 
Specie correttamente determinata
Permessi
Non puoi aprire nuovi argomenti
Non puoi rispondere negli argomenti
Non puoi modificare i tuoi messaggi
Non puoi cancellare i tuoi messaggi
Non puoi inviare allegati

Cerca per:
Vai a: