Benvenuto Ospite

Forum Entomologi Italiani

www.entomologiitaliani.net/forum
 
Oggi è 09/11/2025, 7:10

Tutti gli orari sono UTC + 1 ora [ ora legale ]


92% 
2927 taxa correttamente determinati su 3178 presenti in archivio

Cerambycidae


[ AFROTROPICALE ] [ ANTARTICO ] [ AUSTRALASIANO ] [ NEARTICO ] [ NEOTROPICALE ] [ ORIENTALE ] [ PALEARTICO ]


nuovo argomento
Vai alla pagina Precedente  1 ... 36, 37, 38, 39, 40, 41, 42 ... 103  Prossimo
Pagina 39 di 103 [ 5103 argomenti ]
 Argomenti   Ordine   Autore   Risposte   Visite    Ultimo messaggio 
Annunci
Nessun messaggio da leggere
Allegato(i)
Incontri entomologici telematici organizzati dalla Società Entomologica Italiana nel 2022 e nel 2023

[ Vai alla paginaVai alla pagina: 1, 2, 3 ]

 

Velvet Ant

44

1430567

03/03/2023, 15:55

Velvet Ant Vedi ultimo messaggio

Nessun messaggio da leggere  
Allegato(i)
Sondaggio sul declino dell'entomofauna in Italia

[ Vai alla paginaVai alla pagina: 1, 2, 3, 4 ]

 

Velvet Ant

52

1758778

22/10/2022, 19:18

Acquarius Vedi ultimo messaggio

Nessun messaggio da leggere  
Allegato(i)
Progetto: Bibliografia ragionata dei lavori entomologici nei quali sono citati reperti apparsi su FEI

[ Vai alla paginaVai alla pagina: 1, 2, 3 ]

 

Velvet Ant

33

1171448

06/07/2023, 18:31

Orotrechus Vedi ultimo messaggio

Nessun messaggio da leggere
Allegato(i)
Mimesi, il primo documentario cinematografico sull’entomologia in Italia: casting
 

mazzeip

1

457325

28/02/2019, 20:26

mazzeip Vedi ultimo messaggio

Questo argomento è bloccato, non puoi modificare o inviare ulteriori messaggi.
Allegato(i)
ISTRUZIONI PUBBLICAZIONE NUOVI ARGOMENTI E FOTO

 
Altri Ordini di Insetti

Julodis

4

913903

13/05/2015, 19:37

Julodis Vedi ultimo messaggio

Nessun messaggio da leggere
Allegato(i)
Limitatore giornaliero di messaggi, uno strumento utile e ormai indispensabile

[ Vai alla paginaVai alla pagina: 1 ... 14, 15, 16 ]

 

Velvet Ant

233

8834520

25/09/2014, 14:31

Inachis Vedi ultimo messaggio

Nessun messaggio da leggere  
NORME PER I COLLABORATORI DEL FORUM

 
 

Velvet Ant

0

478931

02/06/2011, 12:05

Velvet Ant Vedi ultimo messaggio

Nessun messaggio da leggere
Allegato(i)
NORME PER GLI UTENTI DEL FORUM

[ Vai alla paginaVai alla pagina: 1, 2, 3 ]



 
 

Velvet Ant

30

2346471

23/09/2014, 23:54

Maurizio Bollino Vedi ultimo messaggio

Questo argomento è bloccato, non puoi modificare o inviare ulteriori messaggi.  
Elenco delle specie italiane di Cerambycidae presenti sul forum
Cerambycidae


 
Coleoptera

Plagionotus

0

5999

22/11/2010, 22:28

Plagionotus Vedi ultimo messaggio

Nessun messaggio da leggere  
Lista degli utenti del "Forum entomologi italiani" per campi di interesse e specializzazione

 
Altri Ordini di Insetti

Velvet Ant

13

944625

07/09/2023, 17:14

Roberto-07 Vedi ultimo messaggio

Argomenti
Nessun messaggio da leggere
Allegato(i)
Leiopus linnei Wallin, Nylander, Kvamme, 2009 - Cerambycidae
Cerambycidae


9.VIII.2014 - ROMANIA - EE
Coleoptera

alexaandru

4

1304

18/08/2014, 23:00

alexaandru Vedi ultimo messaggio

Nessun messaggio da leggere
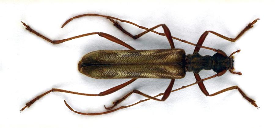
Vesperus strepens (Fabricius, 1792) - Cerambycidae
1.V.2003 - ITALIA - Liguria - IM
Allegato(i) Dettagli della specie
Vesperus strepens (Fabricius, 1792)
Cerambycidae


1.V.2003 - ITALIA - Liguria - IM
Coleoptera

Chalybion

9

2797

17/08/2014, 18:32

Plagionotus Vedi ultimo messaggio

Nessun messaggio da leggere
Allegato(i) Dettagli della specie
Monochamus galloprovincialis (Olivier, 1795)
Cerambycidae


11.VIII.2014 - SPAGNA - EE
Coleoptera

matthew gandy

2

1004

14/08/2014, 11:31

matthew gandy Vedi ultimo messaggio

Nessun messaggio da leggere
Allegato(i)
Mesoprionus lefebvrei (Marseul, 1856) - Cerambycidae

9.VI.2014 - TURCHIA - EE
Coleoptera

ozgur70

2

960

13/08/2014, 21:46

Xylosteus Vedi ultimo messaggio

Nessun messaggio da leggere
Allegato(i) Dettagli della specie
Icosium tomentosum atticum Ganglbauer, 1882
Cerambycidae


7.VIII.2014 - GRECIA - EE
Coleoptera

marco villa

0

825

13/08/2014, 14:14

marco villa Vedi ultimo messaggio

Nessun messaggio da leggere
Xylotrechus (Xylotrechus) stebbingi Gahan, 1906 - Cerambycidae
12.VIII.2014 - ITALIA - Friuli-Venezia Giulia - TS
Allegato(i) Dettagli della specie
Xylotrechus (Xylotrechus) stebbingi Gahan, 1906
Cerambycidae


12.VIII.2014 - ITALIA - Friuli-Venezia Giulia - TS
Coleoptera

Bemisia

2

1025

12/08/2014, 20:02

Bemisia Vedi ultimo messaggio

Nessun messaggio da leggere
Allegato(i) Dettagli della specie
Xylotrechus (Xylotrechus) stebbingi Gahan, 1906
Cerambycidae


6.VIII.2014 - ITALIA - Molise - IS
Coleoptera

Franco ROSSI

2

1254

11/08/2014, 11:15

Franco ROSSI Vedi ultimo messaggio

Nessun messaggio da leggere
Acanthocinus aedilis (Linnaeus, 1758) - Cerambycidae
25.VI.2014 - ITALIA - Lombardia - SO
Allegato(i) Dettagli della specie
Acanthocinus aedilis (Linnaeus, 1758)
Cerambycidae


25.VI.2014 - ITALIA - Lombardia - SO
Coleoptera

skip

8

3067

11/08/2014, 8:56

skip Vedi ultimo messaggio

Nessun messaggio da leggere
Allegato(i)
Purpuricenus desfontainii desfontainii (Fabricius, 1792) - Cerambycidae

30.V.2014 - MAROCCO - EE
Coleoptera

Tenebrio

1

1078

10/08/2014, 8:21

Entomarci Vedi ultimo messaggio

Nessun messaggio da leggere
Stictoleptura rubra rubra (Linnaeus, 1758) - Cerambycidae
5.VIII.2014 - ITALIA - Toscana - FI
Allegato(i) Dettagli della specie
Stictoleptura rubra rubra (Linnaeus, 1758)
Cerambycidae


5.VIII.2014 - ITALIA - Toscana - FI
Coleoptera

skip

3

1405

07/08/2014, 17:09

skip Vedi ultimo messaggio

Nessun messaggio da leggere
Aromia moschata moschata (Linnaeus, 1758) - Cerambycidae
6.VIII.2014 - ITALIA - Piemonte - VC
Allegato(i) Dettagli della specie
Aromia moschata moschata (Linnaeus, 1758)
Cerambycidae


6.VIII.2014 - ITALIA - Piemonte - VC
Coleoptera

farinetti

4

2059

07/08/2014, 11:11

Julodis Vedi ultimo messaggio

Nessun messaggio da leggere
Stenopterus rufus Linnaeus, 1767 - Cerambycidae
19.VII.2014 - ITALIA - Lombardia - BS
Allegato(i)
Stenopterus rufus Linnaeus, 1767 - Cerambycidae

19.VII.2014 - ITALIA - Lombardia - BS
Coleoptera

Peter

4

1779

06/08/2014, 20:52

Peter Vedi ultimo messaggio

Nessun messaggio da leggere
Akimerus schaefferi (Laicharting, 1784) - Cerambycidae
1.VII.2010 - REPUBBLICA CECA - EE
Allegato(i)
Akimerus schaefferi (Laicharting, 1784) - Cerambycidae

[ Vai alla paginaVai alla pagina: 1, 2 ]



1.VII.2010 - REPUBBLICA CECA - EE
Coleoptera

Uncle Adam

27

10898

06/08/2014, 19:00

Phytoecia Vedi ultimo messaggio

Nessun messaggio da leggere
Aegosoma scabricorne (Scopoli, 1763) - Cerambycidae
20.VII.2014 - ITALIA - Sicilia - PA
Allegato(i) Dettagli della specie
Aegosoma scabricorne (Scopoli, 1763)
Cerambycidae


20.VII.2014 - ITALIA - Sicilia - PA
Coleoptera

Caliddo

1

1321

06/08/2014, 16:40

Julodis Vedi ultimo messaggio

Nessun messaggio da leggere
Stictoleptura rubra rubra (Linnaeus, 1758) - Cerambycidae
19.VII.2014 - ITALIA - Lombardia - BS
Allegato(i) Dettagli della specie
Stictoleptura rubra rubra (Linnaeus, 1758)
Cerambycidae


19.VII.2014 - ITALIA - Lombardia - BS
Coleoptera

Peter

4

1535

06/08/2014, 14:05

Peter Vedi ultimo messaggio

Nessun messaggio da leggere
Allegato(i)
Leptorhabdium caucasicum KRAATZ, 1879 - Cerambycidae

10.V.2014 - GEORGIA - EE
Coleoptera

Uncle Adam

9

2342

05/08/2014, 18:11

Entomarci Vedi ultimo messaggio

Nessun messaggio da leggere
Prionus coriarius (Linnaeus, 1758) - Cerambycidae
3.VIII.2014 - ITALIA - Sicilia - PA
Allegato(i) Dettagli della specie
Prionus coriarius (Linnaeus, 1758)
Cerambycidae


3.VIII.2014 - ITALIA - Sicilia - PA
Coleoptera

Caliddo

1

751

05/08/2014, 16:43

hypotyphlus Vedi ultimo messaggio

Nessun messaggio da leggere
Allegato(i) Dettagli della specie
Xylotrechus (Xylotrechus) arvicola (Olivier, 1795)
Cerambycidae


2.VIII.2014 - ITALIA - Sicilia - PA
Coleoptera

Caliddo

1

766

04/08/2014, 19:00

Phytoecia Vedi ultimo messaggio

Nessun messaggio da leggere
Stenurella melanura (Linnaeus, 1758) - Cerambycidae
29.VII.2014 - ITALIA - Liguria - GE
Allegato(i) Dettagli della specie
Stenurella melanura (Linnaeus, 1758)
Cerambycidae


29.VII.2014 - ITALIA - Liguria - GE
Coleoptera

venturini

2

790

04/08/2014, 14:45

venturini Vedi ultimo messaggio

Nessun messaggio da leggere
Allegato(i) Dettagli della specie
Ropalopus (Ropalopus) ungaricus (Herbst, 1784)
Cerambycidae


26.VII.2014 - POLONIA - EE
Coleoptera

Uncle Adam

4

1528

04/08/2014, 11:59

Uncle Adam Vedi ultimo messaggio

Nessun messaggio da leggere
Paracorymbia fulva (De Geer, 1775) - Cerambycidae
25.VII.2014 - ITALIA - Liguria - GE
Allegato(i) Dettagli della specie
Paracorymbia fulva (De Geer, 1775)
Cerambycidae


25.VII.2014 - ITALIA - Liguria - GE
Coleoptera

venturini

2

1012

03/08/2014, 17:03

venturini Vedi ultimo messaggio

Nessun messaggio da leggere
Allegato(i)
Chlorophorus robustior Pic, 1900 - Cerambycidae

9.VI.2014 - TURCHIA - EE
Coleoptera

ozgur70

5

1308

02/08/2014, 23:43

ozgur70 Vedi ultimo messaggio

Nessun messaggio da leggere
Allegato(i) Dettagli della specie
Plagionotus floralis (Pallas, 1773)
Cerambycidae


9.VI.2014 - TURCHIA - EE
Coleoptera

ozgur70

3

984

02/08/2014, 23:03

Phytoecia Vedi ultimo messaggio

Nessun messaggio da leggere
Allegato(i) Dettagli della specie
Rutpela maculata maculata (Poda, 1761)
Cerambycidae


30.VI.2011 - FRANCIA - EE
Coleoptera

Dominique

5

1516

01/08/2014, 18:59

Dominique Vedi ultimo messaggio

Nessun messaggio da leggere
Allegato(i)
Stictoleptura variicornis (DALMAN, 1817) - Cerambycidae

22.VII.2014 - POLONIA - EE
Coleoptera

Uncle Adam

0

628

01/08/2014, 10:11

Uncle Adam Vedi ultimo messaggio

Nessun messaggio da leggere
Allegato(i) Dettagli della specie
Xylotrechus (Xylotrechus) stebbingi Gahan, 1906
Cerambycidae


31.VII.2014 - ITALIA - Marche - PU
Coleoptera

Julodis

4

1086

31/07/2014, 21:55

Julodis Vedi ultimo messaggio

Nessun messaggio da leggere
Allegato(i)
Plagionotus bobelayei (Brullé, 1832) - Cerambycidae
Cerambycidae


1.VI.1997 - GRECIA - EE
Coleoptera

Velvet Ant

7

1688

31/07/2014, 19:56

Antonio Verdugo Vedi ultimo messaggio

Nessun messaggio da leggere
Aegomorphus clavipes (Schrank, 1781) - Cerambycidae
23.VII.2014 - ITALIA - Sardegna - CA
Allegato(i) Dettagli della specie
Aegomorphus clavipes (Schrank, 1781)
Cerambycidae


23.VII.2014 - ITALIA - Sardegna - CA
Coleoptera

Fumea crassiorella

0

714

30/07/2014, 10:24

Fumea crassiorella Vedi ultimo messaggio

Nessun messaggio da leggere
Saperda punctata (Linnaeus, 1767) - Cerambycidae
10.VI.2014 - ITALIA - Emilia-Romagna - BO
Allegato(i) Dettagli della specie
Saperda punctata (Linnaeus, 1767)
Cerambycidae


10.VI.2014 - ITALIA - Emilia-Romagna - BO
Coleoptera

sarsar09

5

1109

29/07/2014, 15:22

sarsar09 Vedi ultimo messaggio

Nessun messaggio da leggere
Allegato(i) Dettagli della specie
Anisarthron barbipes (Schrank, 1781)
Cerambycidae


8.VI.2014 - POLONIA - EE
Coleoptera

Uncle Adam

3

1138

29/07/2014, 13:30

marco villa Vedi ultimo messaggio

Nessun messaggio da leggere
Saperda punctata (Linnaeus, 1767) - Cerambycidae
25.VII.2014 - ITALIA - Sicilia - PA
Allegato(i) Dettagli della specie
Saperda punctata (Linnaeus, 1767)
Cerambycidae


25.VII.2014 - ITALIA - Sicilia - PA
Coleoptera

carabus

3

1101

27/07/2014, 22:48

Julodis Vedi ultimo messaggio

Nessun messaggio da leggere
Trichoferus sp - Cerambycidae
V.2014 - MAROCCO - EE
Allegato(i)
Trichoferus sp - Cerambycidae

V.2014 - MAROCCO - EE
Coleoptera

pája

3

931

26/07/2014, 12:09

pája Vedi ultimo messaggio

Nessun messaggio da leggere
Allegato(i)
Stenurella bifasciata nigrosuturalis - Cerambycidae

9.VI.2014 - TURCHIA - EE
Coleoptera

ozgur70

2

745

25/07/2014, 23:57

ozgur70 Vedi ultimo messaggio

Nessun messaggio da leggere
Allegato(i) Dettagli della specie
Rosalia (Rosalia) alpina alpina (Linnaeus, 1758)
Cerambycidae


20.VII.2014 - ITALIA - Marche - FM
Coleoptera

StagBeetle

7

1941

25/07/2014, 20:35

StagBeetle Vedi ultimo messaggio

Nessun messaggio da leggere
Acanthocinus henschi henschi Reitter, 1900 - Cerambycidae
9.VI.2014 - ITALIA - Veneto - BL
Allegato(i) Dettagli della specie
Acanthocinus henschi henschi Reitter, 1900
Cerambycidae


9.VI.2014 - ITALIA - Veneto - BL
Coleoptera

michele.carraretto

3

1786

25/07/2014, 17:49

michele.carraretto Vedi ultimo messaggio

Nessun messaggio da leggere
Allegato(i)
Dorcadion (Pedestredorcadion) gashtarovi Sama, Dascalu & Pesarini, 2010 - Cerambycidae
Cerambycidae


25.IV.2012 - ROMANIA - EE
Coleoptera

cosmln

7

2023

23/07/2014, 19:22

Maurizio Bollino Vedi ultimo messaggio

Nessun messaggio da leggere
Aegomorphus clavipes (Schrank, 1781) - Cerambycidae
20.VII.2014 - ITALIA - Toscana - FI
Allegato(i) Dettagli della specie
Aegomorphus clavipes (Schrank, 1781)
Cerambycidae


20.VII.2014 - ITALIA - Toscana - FI
Coleoptera

skip

3

1756

21/07/2014, 16:11

skip Vedi ultimo messaggio

Nessun messaggio da leggere
Niphona picticornis Mulsant, 1839 - Cerambycidae
2.VI.2014 - ITALIA - Toscana - LI
Allegato(i) Dettagli della specie
Niphona picticornis Mulsant, 1839
Cerambycidae

[ Vai alla paginaVai alla pagina: 1, 2 ]



2.VI.2014 - ITALIA - Toscana - LI
Coleoptera

barbara314

18

4156

20/07/2014, 19:07

Mauro Vedi ultimo messaggio

Nessun messaggio da leggere
Allegato(i) Dettagli della specie
Agapanthia (Epoptes) villosoviridescens (De Geer, 1775)
Cerambycidae


18.VII.2014 - SVIZZERA - EE
Coleoptera

gio

3

1441

19/07/2014, 18:00

gio Vedi ultimo messaggio

Nessun messaggio da leggere
Allegato(i)
Purpuricenus (Purpuricenus) kaehleri kaehleri (Linnaeus, 1758) - Cerambycidae

12.VI.2014 - GRECIA - EE
Coleoptera

Entomarci

9

2062

18/07/2014, 9:43

Pippistrello Vedi ultimo messaggio

Nessun messaggio da leggere
Phymatodes testaceus (Linnaeus, 1758) - Cerambycidae
15.VII.2014 - ITALIA - Liguria - GE
Allegato(i) Dettagli della specie
Phymatodes testaceus (Linnaeus, 1758)
Cerambycidae


15.VII.2014 - ITALIA - Liguria - GE
Coleoptera

venturini

2

1040

18/07/2014, 6:48

venturini Vedi ultimo messaggio

Nessun messaggio da leggere
Allegato(i)
Purpuricenus globulicollis skypetarum Rapuzzi & Sama, 2013 (Paratypus) - Cerambycidae
Cerambycidae


ALBANIA - EE
Coleoptera

Xylosteus

2

1313

17/07/2014, 14:44

Pippistrello Vedi ultimo messaggio

Nessun messaggio da leggere
Allegato(i)
Purpuricenus interscapillatus nabateus Sama, 1999 - Cerambycidae
Cerambycidae


JORDAN - EE
Coleoptera

Isotomus

2

1157

17/07/2014, 10:51

Xylosteus Vedi ultimo messaggio

Nessun messaggio da leggere
Chlorophorus varius varius (O. F. Müller, 1766) - Cerambycidae
13.VII.2014 - ITALIA - Piemonte - AL
Allegato(i) Dettagli della specie
Chlorophorus varius varius (O. F. Müller, 1766)
Cerambycidae


13.VII.2014 - ITALIA - Piemonte - AL
Coleoptera

Il Duca

1

951

16/07/2014, 13:16

marco villa Vedi ultimo messaggio

Nessun messaggio da leggere
Pogonocherus eugeniae eugeniae Ganglbauer, 1891 - Cerambycidae
12.VII.2014 - ITALIA - Basilicata - PZ
Allegato(i) Dettagli della specie
Pogonocherus eugeniae eugeniae Ganglbauer, 1891
Cerambycidae


12.VII.2014 - ITALIA - Basilicata - PZ
Coleoptera

f.izzillo

2

1156

15/07/2014, 18:33

f.izzillo Vedi ultimo messaggio

Nessun messaggio da leggere
Allegato(i) Dettagli della specie
Xylotrechus (Xylotrechus) stebbingi Gahan, 1906
Cerambycidae


21.VI.2014 - ITALIA - Lazio - RM
Coleoptera

babunco

2

986

15/07/2014, 15:20

babunco Vedi ultimo messaggio

Nessun messaggio da leggere
Leiopus nebulosus nebulosus (Linnaeus, 1758) - Cerambycidae
20.VI.2014 - ITALIA - Toscana - FI
Allegato(i) Dettagli della specie
Leiopus nebulosus nebulosus (Linnaeus, 1758)
Cerambycidae


20.VI.2014 - ITALIA - Toscana - FI
Coleoptera

skip

4

1327

15/07/2014, 12:06

skip Vedi ultimo messaggio

Nessun messaggio da leggere
Trichoferus holosericeus (Rossi, 1790) - Cerambycidae
14.VIII.2013 - ITALIA - Emilia-Romagna - BO
Allegato(i) Dettagli della specie
Trichoferus holosericeus (Rossi, 1790)
Cerambycidae


14.VIII.2013 - ITALIA - Emilia-Romagna - BO
Coleoptera

Drjack

3

1367

15/07/2014, 7:42

Drjack Vedi ultimo messaggio

Nessun messaggio da leggere
Pupa di Morimus asper
20.VI.2014 - ITALIA - Toscana - FI
Allegato(i)
Pupa di Morimus asper
Cerambycidae


20.VI.2014 - ITALIA - Toscana - FI
Coleoptera

skip

5

998

14/07/2014, 22:53

skip Vedi ultimo messaggio

Nessun messaggio da leggere
Xylotrechus (Xylotrechus) stebbingi Gahan, 1906 - Cerambycidae
10.VII.2014 - ITALIA - Lombardia - BS
Allegato(i) Dettagli della specie
Xylotrechus (Xylotrechus) stebbingi Gahan, 1906
Cerambycidae


10.VII.2014 - ITALIA - Lombardia - BS
Coleoptera

cesare

10

1875

14/07/2014, 19:57

cesare Vedi ultimo messaggio

Visualizza ultimi argomenti:  Ordina per  Ordine:  
nuovo argomento
Vai alla pagina Precedente  1 ... 36, 37, 38, 39, 40, 41, 42 ... 103  Prossimo
Pagina 39 di 103 [ 5103 argomenti ]

Tutti gli orari sono UTC + 1 ora [ ora legale ]


Chi c’è in linea

Visitano il forum: Nessuno e 1 ospite


Legenda
Messaggi da leggere Messaggi da leggere Nessun messaggio da leggere Nessun messaggio da leggere Annuncio Annuncio
 
Specie indeterminata / discussione generica
Messaggi non letti [ Popolari ] Messaggi non letti [ Popolari ] Nessun messaggio da leggere [ Popolare ] Nessun messaggio da leggere [ Popolare ] Importante Importante
 
Specie determinata fino al genere o cf.
Messaggi non letti [ Bloccati ] Messaggi non letti [ Bloccati ] No messaggi non letti [ Bloccati ] No messaggi non letti [ Bloccati ] Argomento spostato Argomento spostato
 
Specie correttamente determinata
Permessi
Non puoi aprire nuovi argomenti
Non puoi rispondere negli argomenti
Non puoi modificare i tuoi messaggi
Non puoi cancellare i tuoi messaggi
Non puoi inviare allegati

Cerca per:
Vai a:  
cron