Benvenuto Ospite

Forum Entomologi Italiani

www.entomologiitaliani.net/forum
 
Oggi è 09/11/2025, 12:41

Tutti gli orari sono UTC + 1 ora [ ora legale ]


100%
2927 taxa correttamente determinati su 2928 presenti in archivio

Cerambycidae


[ AFROTROPICALE ] [ ANTARTICO ] [ AUSTRALASIANO ] [ NEARTICO ] [ NEOTROPICALE ] [ ORIENTALE ] [ PALEARTICO ]


nuovo argomento
Vai alla pagina Precedente  1 ... 36, 37, 38, 39, 40, 41, 42 ... 59  Prossimo
Pagina 39 di 59 [ 2928 argomenti ]
 Argomenti   Ordine   Autore   Risposte   Visite    Ultimo messaggio 
Annunci
Nessun messaggio da leggere
Allegato(i)
Incontri entomologici telematici organizzati dalla Società Entomologica Italiana nel 2022 e nel 2023

[ Vai alla paginaVai alla pagina: 1, 2, 3 ]

 

Velvet Ant

44

1430927

03/03/2023, 15:55

Velvet Ant Vedi ultimo messaggio

Nessun messaggio da leggere  
Allegato(i)
Sondaggio sul declino dell'entomofauna in Italia

[ Vai alla paginaVai alla pagina: 1, 2, 3, 4 ]

 

Velvet Ant

52

1759201

22/10/2022, 19:18

Acquarius Vedi ultimo messaggio

Nessun messaggio da leggere  
Allegato(i)
Progetto: Bibliografia ragionata dei lavori entomologici nei quali sono citati reperti apparsi su FEI

[ Vai alla paginaVai alla pagina: 1, 2, 3 ]

 

Velvet Ant

33

1171714

06/07/2023, 18:31

Orotrechus Vedi ultimo messaggio

Nessun messaggio da leggere
Allegato(i)
Mimesi, il primo documentario cinematografico sull’entomologia in Italia: casting
 

mazzeip

1

457354

28/02/2019, 20:26

mazzeip Vedi ultimo messaggio

Questo argomento è bloccato, non puoi modificare o inviare ulteriori messaggi.
Allegato(i)
ISTRUZIONI PUBBLICAZIONE NUOVI ARGOMENTI E FOTO

 
Altri Ordini di Insetti

Julodis

4

913954

13/05/2015, 19:37

Julodis Vedi ultimo messaggio

Nessun messaggio da leggere
Allegato(i)
Limitatore giornaliero di messaggi, uno strumento utile e ormai indispensabile

[ Vai alla paginaVai alla pagina: 1 ... 14, 15, 16 ]

 

Velvet Ant

233

8836523

25/09/2014, 14:31

Inachis Vedi ultimo messaggio

Nessun messaggio da leggere  
NORME PER I COLLABORATORI DEL FORUM

 
 

Velvet Ant

0

478957

02/06/2011, 12:05

Velvet Ant Vedi ultimo messaggio

Nessun messaggio da leggere
Allegato(i)
NORME PER GLI UTENTI DEL FORUM

[ Vai alla paginaVai alla pagina: 1, 2, 3 ]



 
 

Velvet Ant

30

2346713

23/09/2014, 23:54

Maurizio Bollino Vedi ultimo messaggio

Questo argomento è bloccato, non puoi modificare o inviare ulteriori messaggi.  
Elenco delle specie italiane di Cerambycidae presenti sul forum
Cerambycidae


 
Coleoptera

Plagionotus

0

5999

22/11/2010, 22:28

Plagionotus Vedi ultimo messaggio

Nessun messaggio da leggere  
Lista degli utenti del "Forum entomologi italiani" per campi di interesse e specializzazione

 
Altri Ordini di Insetti

Velvet Ant

13

944733

07/09/2023, 17:14

Roberto-07 Vedi ultimo messaggio

Argomenti
Nessun messaggio da leggere
Alosterna tabacicolor (De Geer, 1775) - Cerambycidae
28.VII.2011 - ITALIA - Trentino-Alto Adige - TN
Allegato(i) Dettagli della specie
Alosterna tabacicolor (De Geer, 1775)
Cerambycidae


28.VII.2011 - ITALIA - Trentino-Alto Adige - TN
Coleoptera

Menhit

2

997

01/12/2011, 12:10

Menhit Vedi ultimo messaggio

Nessun messaggio da leggere
Rutpela maculata maculata (Poda, 1761) - Cerambycidae
18.VII.2011 - ITALIA - Liguria - SV
Allegato(i) Dettagli della specie
Rutpela maculata maculata (Poda, 1761)
Cerambycidae


18.VII.2011 - ITALIA - Liguria - SV
Coleoptera

fabio.aste

4

1103

23/11/2011, 9:48

michele.carraretto Vedi ultimo messaggio

Nessun messaggio da leggere
Cerambyx scopolii scopolii Fuessly, 1775 - Cerambycidae
31.V.2011 - ITALIA - Liguria - SV
Allegato(i) Dettagli della specie
Cerambyx scopolii scopolii Fuessly, 1775
Cerambycidae


31.V.2011 - ITALIA - Liguria - SV
Coleoptera

fabio.aste

12

2362

21/11/2011, 20:30

fabio.aste Vedi ultimo messaggio

Nessun messaggio da leggere
Morimus asper asper (Sulzer, 1776) - Cerambycidae
8.V.2011 - ITALIA - Liguria - SV
Allegato(i) Dettagli della specie
Morimus asper asper (Sulzer, 1776)
Cerambycidae


8.V.2011 - ITALIA - Liguria - SV
Coleoptera

fabio.aste

5

1429

18/11/2011, 23:27

fabio.aste Vedi ultimo messaggio

Nessun messaggio da leggere
Pyrrhidium sanguineum (Linnaeus, 1758) - Cerambycidae
III.2011 - ITALIA - Sardegna - OR
Allegato(i) Dettagli della specie
Pyrrhidium sanguineum (Linnaeus, 1758)
Cerambycidae


III.2011 - ITALIA - Sardegna - OR
Coleoptera

9giovanni9

4

1285

18/11/2011, 18:18

Davide Cillo Vedi ultimo messaggio

Nessun messaggio da leggere
Saperda carcharias (Linnaeus, 1758) - Cerambycidae
17.IX.2011 - ITALIA - Marche - PU
Allegato(i) Dettagli della specie
Saperda carcharias (Linnaeus, 1758)
Cerambycidae


17.IX.2011 - ITALIA - Marche - PU
Coleoptera

marco paglialunga

7

1606

18/11/2011, 14:39

Entomarci Vedi ultimo messaggio

Nessun messaggio da leggere
Paracorymbia fulva (De Geer, 1775) - Cerambycidae
9.VI.2011 - ITALIA - Emilia-Romagna - RE
Allegato(i) Dettagli della specie
Paracorymbia fulva (De Geer, 1775)
Cerambycidae


9.VI.2011 - ITALIA - Emilia-Romagna - RE
Coleoptera

Mikiphasmide

0

582

15/11/2011, 17:28

Mikiphasmide Vedi ultimo messaggio

Nessun messaggio da leggere
Chlorophorus varius varius (O. F. Müller, 1766) - Cerambycidae
9.VI.2011 - ITALIA - Emilia-Romagna - RE
Allegato(i) Dettagli della specie
Chlorophorus varius varius (O. F. Müller, 1766)
Cerambycidae


9.VI.2011 - ITALIA - Emilia-Romagna - RE
Coleoptera

Mikiphasmide

7

1263

13/11/2011, 23:42

conan Vedi ultimo messaggio

Nessun messaggio da leggere
Mesosa curculionoides (Linnaeus, 1760) - Cerambycidae
11.XI.2011 - ITALIA - Umbria - PG
Allegato(i) Dettagli della specie
Mesosa curculionoides (Linnaeus, 1760)
Cerambycidae


11.XI.2011 - ITALIA - Umbria - PG
Coleoptera

young beetle

6

1410

13/11/2011, 2:17

Umbro Vedi ultimo messaggio

Nessun messaggio da leggere
Morimus asper asper (Sulzer, 1776) - Cerambycidae
12.V.2010 - ITALIA - Umbria - PG
Allegato(i) Dettagli della specie
Morimus asper asper (Sulzer, 1776)
Cerambycidae


12.V.2010 - ITALIA - Umbria - PG
Coleoptera

fjord

2

714

11/11/2011, 14:49

fjord Vedi ultimo messaggio

Nessun messaggio da leggere
Exocentrus punctipennis Mulsant & Guillebeau, 1856 - Cerambycidae
25.VIII.2011 - ITALIA - Emilia-Romagna - RE
Allegato(i) Dettagli della specie
Exocentrus punctipennis Mulsant & Guillebeau, 1856
Cerambycidae


25.VIII.2011 - ITALIA - Emilia-Romagna - RE
Coleoptera

Mikiphasmide

2

1054

04/11/2011, 19:32

Mikiphasmide Vedi ultimo messaggio

Nessun messaggio da leggere
Acanthocinus griseus (Fabricius, 1792) - Cerambycidae
VIII.2006 - ITALIA - Lombardia - SO
Allegato(i) Dettagli della specie
Acanthocinus griseus (Fabricius, 1792)
Cerambycidae


VIII.2006 - ITALIA - Lombardia - SO
Coleoptera

marsal

1

1446

04/11/2011, 9:19

Entomarci Vedi ultimo messaggio

Nessun messaggio da leggere
Monochamus galloprovincialis (Olivier, 1795) - Cerambycidae
1.VII.2011 - ITALIA - Friuli-Venezia Giulia - UD
Allegato(i) Dettagli della specie
Monochamus galloprovincialis (Olivier, 1795)
Cerambycidae


1.VII.2011 - ITALIA - Friuli-Venezia Giulia - UD
Coleoptera

StagBeetle

6

1665

29/10/2011, 17:49

Plagionotus Vedi ultimo messaggio

Nessun messaggio da leggere
Parmena pubescens pubescens (Dalman, 1817) - Cerambycidae
27.VII.2011 - ITALIA - Sicilia - PA
Allegato(i) Dettagli della specie
Parmena pubescens pubescens (Dalman, 1817)
Cerambycidae


27.VII.2011 - ITALIA - Sicilia - PA
Coleoptera

Caliddo

6

1289

27/10/2011, 13:57

Entomarci Vedi ultimo messaggio

Nessun messaggio da leggere
Monochamus sartor (Fabricius, 1787) - Cerambycidae
1.VII.2011 - ITALIA - Friuli-Venezia Giulia - UD
Allegato(i) Dettagli della specie
Monochamus sartor (Fabricius, 1787)
Cerambycidae


1.VII.2011 - ITALIA - Friuli-Venezia Giulia - UD
Coleoptera

StagBeetle

2

961

26/10/2011, 11:47

StagBeetle Vedi ultimo messaggio

Nessun messaggio da leggere
Niphona picticornis Mulsant, 1839 - Cerambycidae
15.VI.2007 - ITALIA - Sicilia - PA
Allegato(i) Dettagli della specie
Niphona picticornis Mulsant, 1839
Cerambycidae


15.VI.2007 - ITALIA - Sicilia - PA
Coleoptera

Caliddo

1

673

23/10/2011, 20:38

hypotyphlus Vedi ultimo messaggio

Nessun messaggio da leggere
Stenopterus ater (Linnaeus, 1767) - Cerambycidae
7.VII.2011 - ITALIA - Molise - IS
Allegato(i) Dettagli della specie
Stenopterus ater (Linnaeus, 1767)
Cerambycidae


7.VII.2011 - ITALIA - Molise - IS
Coleoptera

Franco ROSSI

8

1685

21/10/2011, 19:39

conan Vedi ultimo messaggio

Nessun messaggio da leggere
Stenurella bifasciata bifasciata (O. F. Müller, 1776) - Cerambycidae
2.VII.2011 - ITALIA - Emilia-Romagna - BO
Allegato(i) Dettagli della specie
Stenurella bifasciata bifasciata (O. F. Müller, 1776)
Cerambycidae


2.VII.2011 - ITALIA - Emilia-Romagna - BO
Coleoptera

Olaffio

2

824

18/10/2011, 22:13

Olaffio Vedi ultimo messaggio

Nessun messaggio da leggere
Parmena algirica Laporte, 1840 - Cerambycidae
2.IX.2000 - ITALIA - Sicilia - TP
Allegato(i) Dettagli della specie
Parmena algirica Laporte, 1840
Cerambycidae


2.IX.2000 - ITALIA - Sicilia - TP
Coleoptera

Caliddo

1

1021

18/10/2011, 21:50

Phytoecia Vedi ultimo messaggio

Nessun messaggio da leggere
Monochamus galloprovincialis (Olivier, 1795) - Cerambycidae
29.V.2004 - ITALIA - Sicilia - PA
Allegato(i) Dettagli della specie
Monochamus galloprovincialis (Olivier, 1795)
Cerambycidae


29.V.2004 - ITALIA - Sicilia - PA
Coleoptera

Caliddo

0

841

17/10/2011, 17:57

Caliddo Vedi ultimo messaggio

Nessun messaggio da leggere
Morimus asper asper (Sulzer, 1776) - Cerambycidae
3.VII.2011 - ITALIA - Sicilia - ME
Allegato(i) Dettagli della specie
Morimus asper asper (Sulzer, 1776)
Cerambycidae


3.VII.2011 - ITALIA - Sicilia - ME
Coleoptera

Lucanus tetraodon

2

1049

16/10/2011, 18:01

Lucanus tetraodon Vedi ultimo messaggio

Nessun messaggio da leggere
Phytoecia icterica icterica (Schaller, 1783) - Cerambycidae
12.VI.2010 - ITALIA - Marche - MC
Allegato(i) Dettagli della specie
Phytoecia icterica icterica (Schaller, 1783)
Cerambycidae


12.VI.2010 - ITALIA - Marche - MC
Coleoptera

StagBeetle

7

1769

15/10/2011, 20:02

Plagionotus Vedi ultimo messaggio

Nessun messaggio da leggere
Rhagium (Megarhagium) mordax (De Geer, 1775) - Cerambycidae
9.VII.2011 - ITALIA - Marche - PU
Allegato(i) Dettagli della specie
Rhagium (Megarhagium) mordax (De Geer, 1775)
Cerambycidae


9.VII.2011 - ITALIA - Marche - PU
Coleoptera

StagBeetle

6

1920

14/10/2011, 13:58

marco paglialunga Vedi ultimo messaggio

Nessun messaggio da leggere
Obrium cantharinum (Linnaeus, 1767) - Cerambycidae
V.2010 - ITALIA - Marche - AN
Allegato(i) Dettagli della specie
Obrium cantharinum (Linnaeus, 1767)
Cerambycidae


V.2010 - ITALIA - Marche - AN
Coleoptera

StagBeetle

3

1280

13/10/2011, 19:44

michele.carraretto Vedi ultimo messaggio

Nessun messaggio da leggere
Morimus asper asper (Sulzer, 1776) - Cerambycidae
14.VI.2011 - ITALIA - Emilia-Romagna - RE
Allegato(i) Dettagli della specie
Morimus asper asper (Sulzer, 1776)
Cerambycidae


14.VI.2011 - ITALIA - Emilia-Romagna - RE
Coleoptera

Mikiphasmide

5

1790

13/10/2011, 18:14

Tc70 Vedi ultimo messaggio

Nessun messaggio da leggere
Allegato(i) Dettagli della specie
Acanthocinus xanthoneurus (Mulsant & Rey, 1852)
Cerambycidae


7.VI.2011 - ITALIA - Sicilia
Coleoptera

Isotomus

3

1996

07/10/2011, 8:23

Isotomus Vedi ultimo messaggio

Nessun messaggio da leggere
Plagionotus arcuatus (Linnaeus, 1758) - Cerambycidae
5.V.2011 - ITALIA - Basilicata - PZ
Allegato(i) Dettagli della specie
Plagionotus arcuatus (Linnaeus, 1758)
Cerambycidae


5.V.2011 - ITALIA - Basilicata - PZ
Coleoptera

Stefano79

4

1458

06/10/2011, 15:41

Stefano79 Vedi ultimo messaggio

Nessun messaggio da leggere
Morimus asper asper (Sulzer, 1776) - Cerambycidae
9.VIII.2011 - ITALIA - Calabria - RC
Allegato(i) Dettagli della specie
Morimus asper asper (Sulzer, 1776)
Cerambycidae


9.VIII.2011 - ITALIA - Calabria - RC
Coleoptera

Lucanus tetraodon

3

948

04/10/2011, 21:54

Lucanus tetraodon Vedi ultimo messaggio

Nessun messaggio da leggere
Morimus asper asper (Sulzer, 1776) - Cerambycidae
22.IV.2011 - ITALIA - Sicilia - ME
Allegato(i) Dettagli della specie
Morimus asper asper (Sulzer, 1776)
Cerambycidae


22.IV.2011 - ITALIA - Sicilia - ME
Coleoptera

Lucanus tetraodon

2

775

04/10/2011, 17:58

Lucanus tetraodon Vedi ultimo messaggio

Nessun messaggio da leggere
Vesperus luridus (Rossi, 1794) - Cerambycidae
20.VIII.2011 - ITALIA - Marche - PU
Allegato(i) Dettagli della specie
Vesperus luridus (Rossi, 1794)
Cerambycidae

[ Vai alla paginaVai alla pagina: 1, 2 ]



20.VIII.2011 - ITALIA - Marche - PU
Coleoptera

marco paglialunga

23

3258

01/10/2011, 15:20

Julodis Vedi ultimo messaggio

Nessun messaggio da leggere
Prionus coriarius (Linnaeus, 1758) - Cerambycidae
9.VIII.2011 - ITALIA - Calabria - RC
Allegato(i) Dettagli della specie
Prionus coriarius (Linnaeus, 1758)
Cerambycidae


9.VIII.2011 - ITALIA - Calabria - RC
Coleoptera

Lucanus tetraodon

0

696

30/09/2011, 21:47

Lucanus tetraodon Vedi ultimo messaggio

Nessun messaggio da leggere
Rhamnusium bicolor bicolor (Schrank, 1781) - Cerambycidae
14.IX.2011 - ITALIA - Emilia-Romagna - RA
Allegato(i) Dettagli della specie
Rhamnusium bicolor bicolor (Schrank, 1781)
Cerambycidae


14.IX.2011 - ITALIA - Emilia-Romagna - RA
Coleoptera

Entomarci

6

1359

29/09/2011, 21:31

Anillus Vedi ultimo messaggio

Nessun messaggio da leggere
Vesperus luridus (Rossi, 1794) - Cerambycidae
5.IX.2011 - ITALIA - Abruzzo - PE
Allegato(i) Dettagli della specie
Vesperus luridus (Rossi, 1794)
Cerambycidae


5.IX.2011 - ITALIA - Abruzzo - PE
Coleoptera

Alessio89

5

1537

28/09/2011, 22:39

Alessio89 Vedi ultimo messaggio

Nessun messaggio da leggere
Cerambyx scopolii scopolii Fuessly, 1775 - Cerambycidae
15.VI.2011 - ITALIA - Toscana - LU
Allegato(i) Dettagli della specie
Cerambyx scopolii scopolii Fuessly, 1775
Cerambycidae


15.VI.2011 - ITALIA - Toscana - LU
Coleoptera

Marchino

6

1576

27/09/2011, 8:09

Entomofou Vedi ultimo messaggio

Nessun messaggio da leggere
Hesperophanes sericeus (Fabricius, 1787) - Cerambycidae
29.VIII.2010 - ITALIA - Sardegna - CA
Allegato(i) Dettagli della specie
Hesperophanes sericeus (Fabricius, 1787)
Cerambycidae

[ Vai alla paginaVai alla pagina: 1, 2 ]



29.VIII.2010 - ITALIA - Sardegna - CA
Coleoptera

ruzzpa

23

5772

25/09/2011, 19:17

Entomarci Vedi ultimo messaggio

Nessun messaggio da leggere
Herophila tristis tristis (Linnaeus, 1767) - Cerambycidae
20.IX.2011 - ITALIA - Molise - IS
Allegato(i) Dettagli della specie
Herophila tristis tristis (Linnaeus, 1767)
Cerambycidae


20.IX.2011 - ITALIA - Molise - IS
Coleoptera

Franco ROSSI

6

1519

22/09/2011, 14:34

Plagionotus Vedi ultimo messaggio

Nessun messaggio da leggere
Stenurella melanura (Linnaeus, 1758) - Cerambycidae
26.VI.2011 - ITALIA - Toscana - LU
Allegato(i) Dettagli della specie
Stenurella melanura (Linnaeus, 1758)
Cerambycidae


26.VI.2011 - ITALIA - Toscana - LU
Coleoptera

Marchino

14

2956

21/09/2011, 8:21

Entomarci Vedi ultimo messaggio

Nessun messaggio da leggere
Rutpela maculata maculata (Poda, 1761) - Cerambycidae
28.VII.1997 - ITALIA - Trentino-Alto Adige - TN
Allegato(i) Dettagli della specie
Rutpela maculata maculata (Poda, 1761)
Cerambycidae


28.VII.1997 - ITALIA - Trentino-Alto Adige - TN
Coleoptera

Entomarci

10

2334

20/09/2011, 9:03

Isotomus Vedi ultimo messaggio

Nessun messaggio da leggere
Pogonocherus ovatus (Goeze, 1777) - Cerambycidae
10.VIII.2011 - ITALIA - Emilia-Romagna - FC
Allegato(i) Dettagli della specie
Pogonocherus ovatus (Goeze, 1777)
Cerambycidae


10.VIII.2011 - ITALIA - Emilia-Romagna - FC
Coleoptera

Isotomus

9

2432

16/09/2011, 21:42

conan Vedi ultimo messaggio

Nessun messaggio da leggere
Vesperus luridus (Rossi, 1794) - Cerambycidae
19.VIII.2011 - ITALIA - Abruzzo - AQ
Allegato(i) Dettagli della specie
Vesperus luridus (Rossi, 1794)
Cerambycidae

[ Vai alla paginaVai alla pagina: 1, 2 ]



19.VIII.2011 - ITALIA - Abruzzo - AQ
Coleoptera

andreah

16

4874

15/09/2011, 22:06

Julodis Vedi ultimo messaggio

Nessun messaggio da leggere
Vesperus luridus (Rossi, 1794) - Cerambycidae
8.IX.2011 - ITALIA - Lazio - RM
Allegato(i) Dettagli della specie
Vesperus luridus (Rossi, 1794)
Cerambycidae


8.IX.2011 - ITALIA - Lazio - RM
Coleoptera

Julodis

0

1153

10/09/2011, 0:21

Julodis Vedi ultimo messaggio

Nessun messaggio da leggere
Monochamus saltuarius (Gebler, 1830) - Cerambycidae
IX.2009 - ITALIA - Trentino-Alto Adige - BZ
Allegato(i) Dettagli della specie
Monochamus saltuarius (Gebler, 1830)
Cerambycidae


IX.2009 - ITALIA - Trentino-Alto Adige - BZ
Coleoptera

Entomarci

12

2741

07/09/2011, 23:04

Entomarci Vedi ultimo messaggio

Nessun messaggio da leggere
Vesperus luridus (Rossi, 1794) - Cerambycidae
3.IX.2011 - ITALIA - Puglia - BA
Allegato(i) Dettagli della specie
Vesperus luridus (Rossi, 1794)
Cerambycidae


3.IX.2011 - ITALIA - Puglia - BA
Coleoptera

Pugliabirding

6

1507

06/09/2011, 12:45

Maurizio Bollino Vedi ultimo messaggio

Nessun messaggio da leggere
Saphanus piceus piceus (Laicharting, 1784) - Cerambycidae
5.VII.2011 - ITALIA - Piemonte - AL
Allegato(i) Dettagli della specie
Saphanus piceus piceus (Laicharting, 1784)
Cerambycidae


5.VII.2011 - ITALIA - Piemonte - AL
Coleoptera

chap

3

1244

04/09/2011, 19:57

Isotomus Vedi ultimo messaggio

Nessun messaggio da leggere
Phoracantha recurva Newman, 1840 - Cerambycidae
26.VIII.2011 - ITALIA - Sicilia - CT
Allegato(i) Dettagli della specie
Phoracantha recurva Newman, 1840
Cerambycidae


26.VIII.2011 - ITALIA - Sicilia - CT
Coleoptera

carabus

1

694

04/09/2011, 11:49

Entomarci Vedi ultimo messaggio

Nessun messaggio da leggere
Pogonocherus eugeniae eugeniae Ganglbauer, 1891 - Cerambycidae
10.VIII.2011 - ITALIA - Emilia-Romagna - FC
Allegato(i) Dettagli della specie
Pogonocherus eugeniae eugeniae Ganglbauer, 1891
Cerambycidae


10.VIII.2011 - ITALIA - Emilia-Romagna - FC
Coleoptera

Isotomus

1

1171

03/09/2011, 15:17

Entomarci Vedi ultimo messaggio

Nessun messaggio da leggere
Calamobius filum (Rossi, 1790) - Cerambycidae
VIII.2011 - ITALIA - Emilia-Romagna - MO
Allegato(i) Dettagli della specie
Calamobius filum (Rossi, 1790)
Cerambycidae


VIII.2011 - ITALIA - Emilia-Romagna - MO
Coleoptera

claudio sola

5

1444

03/09/2011, 13:22

claudio sola Vedi ultimo messaggio

Nessun messaggio da leggere
Trichoferus griseus (Fabricius, 1792) - Cerambycidae
24.VIII.2011 - ITALIA - Sicilia - CT
Allegato(i) Dettagli della specie
Trichoferus griseus (Fabricius, 1792)
Cerambycidae


24.VIII.2011 - ITALIA - Sicilia - CT
Coleoptera

carabus

1

765

03/09/2011, 9:21

Isotomus Vedi ultimo messaggio

Nessun messaggio da leggere
Phymatodes testaceus (Linnaeus, 1758) - Cerambycidae
14.IV.2011 - ITALIA - Sicilia - ME
Allegato(i) Dettagli della specie
Phymatodes testaceus (Linnaeus, 1758)
Cerambycidae


14.IV.2011 - ITALIA - Sicilia - ME
Coleoptera

Lucanus tetraodon

1

758

02/09/2011, 21:22

Plagionotus Vedi ultimo messaggio

Nessun messaggio da leggere
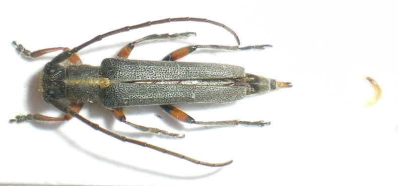
Allegato(i) Dettagli della specie
Chlorophorus varius varius (O. F. Müller, 1766)
Cerambycidae


9.VII.2011 - ITALIA - Sicilia - ME
Coleoptera

Lucanus tetraodon

5

1027

02/09/2011, 11:42

Lucanus tetraodon Vedi ultimo messaggio

Visualizza ultimi argomenti:  Ordina per  Ordine:  
nuovo argomento
Vai alla pagina Precedente  1 ... 36, 37, 38, 39, 40, 41, 42 ... 59  Prossimo
Pagina 39 di 59 [ 2928 argomenti ]

Tutti gli orari sono UTC + 1 ora [ ora legale ]


Chi c’è in linea

Visitano il forum: Nessuno e 1 ospite


Legenda
Messaggi da leggere Messaggi da leggere Nessun messaggio da leggere Nessun messaggio da leggere Annuncio Annuncio
 
Specie indeterminata / discussione generica
Messaggi non letti [ Popolari ] Messaggi non letti [ Popolari ] Nessun messaggio da leggere [ Popolare ] Nessun messaggio da leggere [ Popolare ] Importante Importante
 
Specie determinata fino al genere o cf.
Messaggi non letti [ Bloccati ] Messaggi non letti [ Bloccati ] No messaggi non letti [ Bloccati ] No messaggi non letti [ Bloccati ] Argomento spostato Argomento spostato
 
Specie correttamente determinata
Permessi
Non puoi aprire nuovi argomenti
Non puoi rispondere negli argomenti
Non puoi modificare i tuoi messaggi
Non puoi cancellare i tuoi messaggi
Non puoi inviare allegati

Cerca per:
Vai a:  
cron