Benvenuto Ospite

Forum Entomologi Italiani

www.entomologiitaliani.net/forum
 
Oggi è 10/11/2025, 8:29

Tutti gli orari sono UTC + 1 ora [ ora legale ]


92% 
2927 taxa correttamente determinati su 3178 presenti in archivio

Cerambycidae


[ AFROTROPICALE ] [ ANTARTICO ] [ AUSTRALASIANO ] [ NEARTICO ] [ NEOTROPICALE ] [ ORIENTALE ] [ PALEARTICO ]


nuovo argomento
Vai alla pagina Precedente  1 ... 38, 39, 40, 41, 42, 43, 44 ... 103  Prossimo
Pagina 41 di 103 [ 5103 argomenti ]
 Argomenti   Ordine   Autore   Risposte   Visite    Ultimo messaggio 
Annunci
Nessun messaggio da leggere
Allegato(i)
Incontri entomologici telematici organizzati dalla Società Entomologica Italiana nel 2022 e nel 2023

[ Vai alla paginaVai alla pagina: 1, 2, 3 ]

 

Velvet Ant

44

1432064

03/03/2023, 15:55

Velvet Ant Vedi ultimo messaggio

Nessun messaggio da leggere  
Allegato(i)
Sondaggio sul declino dell'entomofauna in Italia

[ Vai alla paginaVai alla pagina: 1, 2, 3, 4 ]

 

Velvet Ant

52

1760481

22/10/2022, 19:18

Acquarius Vedi ultimo messaggio

Nessun messaggio da leggere  
Allegato(i)
Progetto: Bibliografia ragionata dei lavori entomologici nei quali sono citati reperti apparsi su FEI

[ Vai alla paginaVai alla pagina: 1, 2, 3 ]

 

Velvet Ant

33

1172526

06/07/2023, 18:31

Orotrechus Vedi ultimo messaggio

Nessun messaggio da leggere
Allegato(i)
Mimesi, il primo documentario cinematografico sull’entomologia in Italia: casting
 

mazzeip

1

457628

28/02/2019, 20:26

mazzeip Vedi ultimo messaggio

Questo argomento è bloccato, non puoi modificare o inviare ulteriori messaggi.
Allegato(i)
ISTRUZIONI PUBBLICAZIONE NUOVI ARGOMENTI E FOTO

 
Altri Ordini di Insetti

Julodis

4

921810

13/05/2015, 19:37

Julodis Vedi ultimo messaggio

Nessun messaggio da leggere
Allegato(i)
Limitatore giornaliero di messaggi, uno strumento utile e ormai indispensabile

[ Vai alla paginaVai alla pagina: 1 ... 14, 15, 16 ]

 

Velvet Ant

233

8844333

25/09/2014, 14:31

Inachis Vedi ultimo messaggio

Nessun messaggio da leggere  
NORME PER I COLLABORATORI DEL FORUM

 
 

Velvet Ant

0

479053

02/06/2011, 12:05

Velvet Ant Vedi ultimo messaggio

Nessun messaggio da leggere
Allegato(i)
NORME PER GLI UTENTI DEL FORUM

[ Vai alla paginaVai alla pagina: 1, 2, 3 ]



 
 

Velvet Ant

30

2347579

23/09/2014, 23:54

Maurizio Bollino Vedi ultimo messaggio

Questo argomento è bloccato, non puoi modificare o inviare ulteriori messaggi.  
Elenco delle specie italiane di Cerambycidae presenti sul forum
Cerambycidae


 
Coleoptera

Plagionotus

0

5999

22/11/2010, 22:28

Plagionotus Vedi ultimo messaggio

Nessun messaggio da leggere  
Lista degli utenti del "Forum entomologi italiani" per campi di interesse e specializzazione

 
Altri Ordini di Insetti

Velvet Ant

13

945073

07/09/2023, 17:14

Roberto-07 Vedi ultimo messaggio

Argomenti
Nessun messaggio da leggere
Allegato(i)
Dorcadion (Pedestredorcadion) pedestre pedestre (Poda, 1761) - Cerambycidae

20.V.2005 - BULGARIA - EE
Coleoptera

Uncle Adam

8

2135

09/06/2014, 10:46

Phytoecia Vedi ultimo messaggio

Nessun messaggio da leggere
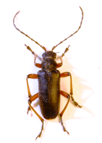
Stenopterus ater (Linnaeus, 1767) - Cerambycidae
2.VI.2014 - ITALIA - Sicilia - CT
Allegato(i) Dettagli della specie
Stenopterus ater (Linnaeus, 1767)
Cerambycidae


2.VI.2014 - ITALIA - Sicilia - CT
Coleoptera

Lucanus tetraodon

0

791

08/06/2014, 10:29

Lucanus tetraodon Vedi ultimo messaggio

Nessun messaggio da leggere
Phytoecia virgula (Charpentier, 1825) - Cerambycidae
2.VI.2014 - ITALIA - Lombardia - BG
Allegato(i) Dettagli della specie
Phytoecia virgula (Charpentier, 1825)
Cerambycidae


2.VI.2014 - ITALIA - Lombardia - BG
Coleoptera

betelges

2

806

07/06/2014, 17:41

betelges Vedi ultimo messaggio

Nessun messaggio da leggere
Allegato(i)
Dorcadion (Cribridorcadion) mniszechi Kraatz, 1873 - Cerambycidae

8.V.2014 - GEORGIA - EE
Coleoptera

Uncle Adam

0

906

07/06/2014, 2:17

Uncle Adam Vedi ultimo messaggio

Nessun messaggio da leggere
Allegato(i) Dettagli della specie
Agapanthia (Epoptes) villosoviridescens (De Geer, 1775)
Cerambycidae


5.VI.2014 - SVIZZERA - EE
Coleoptera

Carlos Galan

2

1436

06/06/2014, 13:50

Carlos Galan Vedi ultimo messaggio

Nessun messaggio da leggere
Allegato(i) Dettagli della specie
Stenurella bifasciata bifasciata (O. F. Müller, 1776)
Cerambycidae


4.VI.2014 - ITALIA - Lazio - RM
Coleoptera

venturini

4

1357

05/06/2014, 19:19

Julodis Vedi ultimo messaggio

Nessun messaggio da leggere
Agapanthia sp.- Cerambycidae
30.V.2014 - ITALIA - Campania - SA
Allegato(i)
Agapanthia sp.- Cerambycidae

30.V.2014 - ITALIA - Campania - SA
Coleoptera

Enzo.C

2

1174

01/06/2014, 21:23

Enzo.C Vedi ultimo messaggio

Nessun messaggio da leggere
Oplosia cinerea Mulsant, 1839 - Cerambycidae
24.V.2014 - ITALIA - Lombardia - BG
Allegato(i) Dettagli della specie
Oplosia cinerea Mulsant, 1839
Cerambycidae


24.V.2014 - ITALIA - Lombardia - BG
Coleoptera

aug

5

1864

01/06/2014, 20:46

Entomarci Vedi ultimo messaggio

Nessun messaggio da leggere
Allegato(i) Dettagli della specie
Stictoleptura cordigera cordigera (Fuessly, 1775)
Cerambycidae


1.VI.2014 - ITALIA - Sicilia - TP
Coleoptera

angelo.ditta

2

1338

01/06/2014, 17:58

angelo.ditta Vedi ultimo messaggio

Nessun messaggio da leggere
Mesosa nebulosa nebulosa (Fabricius, 1781) - Cerambycidae
27.V.2014 - ITALIA - Liguria - GE
Allegato(i) Dettagli della specie
Mesosa nebulosa nebulosa (Fabricius, 1781)
Cerambycidae


27.V.2014 - ITALIA - Liguria - GE
Coleoptera

venturini

2

1273

01/06/2014, 15:32

venturini Vedi ultimo messaggio

Nessun messaggio da leggere
Herophila tristis tristis (Linnaeus, 1767) - Cerambycidae
29.V.2014 - ITALIA - Toscana - PI
Allegato(i) Dettagli della specie
Herophila tristis tristis (Linnaeus, 1767)
Cerambycidae


29.V.2014 - ITALIA - Toscana - PI
Coleoptera

Ayakuccia

3

1255

01/06/2014, 9:49

Ayakuccia Vedi ultimo messaggio

Nessun messaggio da leggere
Pseudovadonia livida livida (Fabricius, 1777) - Cerambycidae
31.V.2014 - ITALIA - Toscana - AR
Allegato(i) Dettagli della specie
Pseudovadonia livida livida (Fabricius, 1777)
Cerambycidae


31.V.2014 - ITALIA - Toscana - AR
Coleoptera

stefano3

2

1132

31/05/2014, 15:30

stefano3 Vedi ultimo messaggio

Nessun messaggio da leggere
Arhopalus syriacus (Reitter, 1895) - Cerambycidae
VII.2005 - ITALIA - Lazio - RM
Allegato(i) Dettagli della specie
Arhopalus syriacus (Reitter, 1895)
Cerambycidae


VII.2005 - ITALIA - Lazio - RM
Coleoptera

aesalus37

2

1054

30/05/2014, 6:44

aesalus37 Vedi ultimo messaggio

Nessun messaggio da leggere
Stenostola ferrea (Schrank, 1776) - Cerambycidae
IV.2013 - ITALIA - Veneto - VR
Allegato(i) Dettagli della specie
Stenostola ferrea (Schrank, 1776)
Cerambycidae


IV.2013 - ITALIA - Veneto - VR
Coleoptera

AleP

4

1435

29/05/2014, 20:19

AleP Vedi ultimo messaggio

Nessun messaggio da leggere
Allegato(i) Dettagli della specie
Agapanthia (Agapanthia) maculicornis davidi Sláma, 1986
Cerambycidae


23.V.2014 - ITALIA - Campania - SA
Coleoptera

Enzo.C

4

1864

28/05/2014, 16:15

Enzo.C Vedi ultimo messaggio

Nessun messaggio da leggere
Saperda octopunctata (Scopoli, 1772) - Cerambycidae
25.V.2014 - ITALIA - Veneto - VR
Allegato(i) Dettagli della specie
Saperda octopunctata (Scopoli, 1772)
Cerambycidae

[ Vai alla paginaVai alla pagina: 1, 2, 3, 4 ]



25.V.2014 - ITALIA - Veneto - VR
Coleoptera

AleP

45

7778

28/05/2014, 8:27

AleP Vedi ultimo messaggio

Nessun messaggio da leggere
Eburia porulosa Bates, 1892 - Cerambycidae
15.II.2012 - MESSICO - EE
Allegato(i)
Eburia porulosa Bates, 1892 - Cerambycidae
Cerambycidae


15.II.2012 - MESSICO - EE
Coleoptera

FORBIX

8

2425

28/05/2014, 1:10

FORBIX Vedi ultimo messaggio

Nessun messaggio da leggere
Aegosoma scabricorne (Scopoli, 1763) - Cerambycidae
26.V.2014 - ITALIA - Sardegna - VS
Allegato(i) Dettagli della specie
Aegosoma scabricorne (Scopoli, 1763)
Cerambycidae


26.V.2014 - ITALIA - Sardegna - VS
Coleoptera

Federico A.

7

2561

27/05/2014, 22:48

Federico A. Vedi ultimo messaggio

Nessun messaggio da leggere
Allegato(i) Dettagli della specie
Anoplodera (Anoplodera) rufipes izzilloi Sama, 1999
Cerambycidae


27.V.2014 - ITALIA - Basilicata - MT
Coleoptera

f.izzillo

8

2343

27/05/2014, 21:18

AleP Vedi ultimo messaggio

Nessun messaggio da leggere
Pseudovadonia livida livida (Fabricius, 1777) - Cerambycidae
24.V.2014 - ITALIA - Liguria - SV
Allegato(i) Dettagli della specie
Pseudovadonia livida livida (Fabricius, 1777)
Cerambycidae


24.V.2014 - ITALIA - Liguria - SV
Coleoptera

fabio.aste

9

1879

27/05/2014, 16:28

fabio.aste Vedi ultimo messaggio

Nessun messaggio da leggere
Clytus arietis arietis (Linnaeus, 1758) - Cerambycidae
23.V.2014 - ITALIA - Campania - SA
Allegato(i) Dettagli della specie
Clytus arietis arietis (Linnaeus, 1758)
Cerambycidae


23.V.2014 - ITALIA - Campania - SA
Coleoptera

Enzo.C

3

1072

25/05/2014, 23:17

Enzo.C Vedi ultimo messaggio

Nessun messaggio da leggere
Clytus rhamni Germar, 1817 - Cerambycidae
23.V.2014 - ITALIA - Campania - SA
Allegato(i) Dettagli della specie
Clytus rhamni Germar, 1817
Cerambycidae


23.V.2014 - ITALIA - Campania - SA
Coleoptera

Enzo.C

4

1154

25/05/2014, 23:10

AleP Vedi ultimo messaggio

Nessun messaggio da leggere
Aegosoma scabricorne (Scopoli, 1763) - Cerambycidae
5.IV.2014 - ITALIA - Umbria - PG
Allegato(i) Dettagli della specie
Aegosoma scabricorne (Scopoli, 1763)
Cerambycidae


5.IV.2014 - ITALIA - Umbria - PG
Coleoptera

StagBeetle

13

3271

25/05/2014, 15:56

StagBeetle Vedi ultimo messaggio

Nessun messaggio da leggere
Plagionotus arcuatus (Linnaeus, 1758) - Cerambycidae
17.V.2014 - ITALIA - Emilia-Romagna - FE
Allegato(i) Dettagli della specie
Plagionotus arcuatus (Linnaeus, 1758)
Cerambycidae


17.V.2014 - ITALIA - Emilia-Romagna - FE
Coleoptera

Daniele Maccapani

13

4328

24/05/2014, 23:41

Carlo A. Vedi ultimo messaggio

Nessun messaggio da leggere
Stenurella nigra (Linnaeus, 1758) - Cerambycidae
23.V.2014 - ITALIA - Liguria - SV
Allegato(i) Dettagli della specie
Stenurella nigra (Linnaeus, 1758)
Cerambycidae


23.V.2014 - ITALIA - Liguria - SV
Coleoptera

fabio.aste

4

1188

24/05/2014, 21:41

fabio.aste Vedi ultimo messaggio

Nessun messaggio da leggere
Cortodera holosericea (Fabricius, 1801) - Cerambycidae
V.2014 - ITALIA - Friuli-Venezia Giulia - TS
Allegato(i) Dettagli della specie
Cortodera holosericea (Fabricius, 1801)
Cerambycidae


V.2014 - ITALIA - Friuli-Venezia Giulia - TS
Coleoptera

AleP

6

1540

23/05/2014, 22:38

Pippistrello Vedi ultimo messaggio

Nessun messaggio da leggere
Rusticoclytus rusticus (Linnaeus, 1758) - Cerambycidae
21.V.2014 - ITALIA - Emilia-Romagna - FE
Allegato(i) Dettagli della specie
Rusticoclytus rusticus (Linnaeus, 1758)
Cerambycidae


21.V.2014 - ITALIA - Emilia-Romagna - FE
Coleoptera

Daniele Maccapani

11

2018

23/05/2014, 14:47

AleP Vedi ultimo messaggio

Nessun messaggio da leggere
Grammoptera ustulata (Schaller, 1783) - Cerambycidae
20.IV.1999 - ITALIA - Lazio - RM
Allegato(i) Dettagli della specie
Grammoptera ustulata (Schaller, 1783)
Cerambycidae


20.IV.1999 - ITALIA - Lazio - RM
Coleoptera

aesalus37

4

1208

22/05/2014, 6:55

aesalus37 Vedi ultimo messaggio

Nessun messaggio da leggere
Aegosoma scabricorne (Scopoli, 1763) - Cerambycidae
14.V.2014 - ITALIA - Marche - AN
Allegato(i) Dettagli della specie
Aegosoma scabricorne (Scopoli, 1763)
Cerambycidae


14.V.2014 - ITALIA - Marche - AN
Coleoptera

StagBeetle

13

3106

21/05/2014, 20:55

StagBeetle Vedi ultimo messaggio

Nessun messaggio da leggere
Allegato(i) Dettagli della specie
Agapanthia (Agapanthia) suturalis (Fabricius, 1787) cf.
Cerambycidae


8.V.2014 - ITALIA - Campania - SA
Coleoptera

Enzo.C

6

1923

19/05/2014, 17:55

Enzo.C Vedi ultimo messaggio

Nessun messaggio da leggere
Anaglyptus mysticus (Linnaeus, 1758) - Cerambycidae
16.V.2014 - ITALIA - Trentino-Alto Adige - TN
Allegato(i) Dettagli della specie
Anaglyptus mysticus (Linnaeus, 1758)
Cerambycidae


16.V.2014 - ITALIA - Trentino-Alto Adige - TN
Coleoptera

marco villa

2

1127

19/05/2014, 16:48

marco villa Vedi ultimo messaggio

Nessun messaggio da leggere
Allegato(i) Dettagli della specie
Rhagium (Megarhagium) mordax (De Geer, 1775)
Cerambycidae


18.V.2014 - ROMANIA - EE
Coleoptera

cosmln

0

594

18/05/2014, 21:09

cosmln Vedi ultimo messaggio

Nessun messaggio da leggere
Saperda similis Laicharting, 1784 - Cerambycidae
17.V.2014 - ITALIA - Emilia-Romagna - FC
Allegato(i) Dettagli della specie
Saperda similis Laicharting, 1784
Cerambycidae


17.V.2014 - ITALIA - Emilia-Romagna - FC
Coleoptera

Entomarci

10

1773

17/05/2014, 21:58

Entomarci Vedi ultimo messaggio

Nessun messaggio da leggere
Drymochares truquii Mulsant, 1847 - Cerambycidae
4.V.2014 - ITALIA - Liguria - SV
Allegato(i) Dettagli della specie
Drymochares truquii Mulsant, 1847
Cerambycidae


4.V.2014 - ITALIA - Liguria - SV
Coleoptera

Entomarci

5

1341

17/05/2014, 21:54

Entomarci Vedi ultimo messaggio

Nessun messaggio da leggere
Rhamnusium bicolor bicolor (Schrank, 1781) - Cerambycidae
14.V.2014 - ITALIA - Emilia-Romagna - RA
Allegato(i) Dettagli della specie
Rhamnusium bicolor bicolor (Schrank, 1781)
Cerambycidae


14.V.2014 - ITALIA - Emilia-Romagna - RA
Coleoptera

Entomarci

4

1170

16/05/2014, 22:56

Daniele Maccapani Vedi ultimo messaggio

Nessun messaggio da leggere
Oberea (Amaurostoma) euphorbiae (Germar, 1813) - Cerambycidae
15.V.2014 - ITALIA - Lombardia - CR
Allegato(i) Dettagli della specie
Oberea (Amaurostoma) euphorbiae (Germar, 1813)
Cerambycidae


15.V.2014 - ITALIA - Lombardia - CR
Coleoptera

betelges

8

1685

16/05/2014, 13:52

betelges Vedi ultimo messaggio

Nessun messaggio da leggere
Xylotrechus (Xylotrechus) stebbingi Gahan, 1906 - Cerambycidae
25.IV.2014 - ITALIA - Lombardia - BS
Allegato(i) Dettagli della specie
Xylotrechus (Xylotrechus) stebbingi Gahan, 1906
Cerambycidae

[ Vai alla paginaVai alla pagina: 1, 2 ]



25.IV.2014 - ITALIA - Lombardia - BS
Coleoptera

·!¦[·FaRo·]¦!·

15

2325

15/05/2014, 20:31

Pippistrello Vedi ultimo messaggio

Nessun messaggio da leggere
Stenopterus rufus rufus (Linnaeus, 1767) - Cerambycidae
2.VI.2013 - ITALIA - Sardegna - OT
Allegato(i) Dettagli della specie
Stenopterus rufus rufus (Linnaeus, 1767)
Cerambycidae


2.VI.2013 - ITALIA - Sardegna - OT
Coleoptera

Mauro

3

989

15/05/2014, 11:03

Pippistrello Vedi ultimo messaggio

Nessun messaggio da leggere
Brachypteroma ottomanum Heyden, 1863 - Cerambycidae
1.V.2014 - ITALIA - Sicilia - ME
Allegato(i) Dettagli della specie
Brachypteroma ottomanum Heyden, 1863
Cerambycidae


1.V.2014 - ITALIA - Sicilia - ME
Coleoptera

Lucanus tetraodon

0

1019

14/05/2014, 23:52

Lucanus tetraodon Vedi ultimo messaggio

Nessun messaggio da leggere
Saperda populnea (Linnaeus, 1758) - Cerambycidae
25.IV.2014 - ITALIA - Emilia-Romagna - BO
Allegato(i)
Saperda populnea (Linnaeus, 1758) - Cerambycidae

25.IV.2014 - ITALIA - Emilia-Romagna - BO
Coleoptera

Carlo A.

6

1511

13/05/2014, 15:39

AleP Vedi ultimo messaggio

Nessun messaggio da leggere
Morimus asper funereus Mulsant, 1862 - Cerambycidae
11.V.2014 - ITALIA - Friuli-Venezia Giulia - TS
Allegato(i) Dettagli della specie
Morimus asper funereus Mulsant, 1862
Cerambycidae


11.V.2014 - ITALIA - Friuli-Venezia Giulia - TS
Coleoptera

Bemisia

4

1549

12/05/2014, 10:58

AleP Vedi ultimo messaggio

Nessun messaggio da leggere
Poecilium lividum (Rossi, 1794) - Cerambycidae
10.V.2014 - ITALIA - Friuli-Venezia Giulia - TS
Allegato(i) Dettagli della specie
Poecilium lividum (Rossi, 1794)
Cerambycidae


10.V.2014 - ITALIA - Friuli-Venezia Giulia - TS
Coleoptera

AleP

0

724

11/05/2014, 22:54

AleP Vedi ultimo messaggio

Nessun messaggio da leggere
Epipedocera sp. - Cerambycidae
V.2011 - POPOLARE DEL LAOS, REPUBBLICA - EE
Allegato(i)
Epipedocera sp. - Cerambycidae
Cerambycidae


V.2011 - POPOLARE DEL LAOS, REPUBBLICA - EE
Coleoptera

Cassida

3

1371

11/05/2014, 0:32

Phytoecia Vedi ultimo messaggio

Nessun messaggio da leggere
Saperda populnea (Linnaeus, 1758) - Cerambycidae
9.V.2014 - ITALIA - Trentino-Alto Adige - BZ
Allegato(i) Dettagli della specie
Saperda populnea (Linnaeus, 1758)
Cerambycidae


9.V.2014 - ITALIA - Trentino-Alto Adige - BZ
Coleoptera

AleP

0

829

10/05/2014, 22:54

AleP Vedi ultimo messaggio

Nessun messaggio da leggere
Saperda punctata (Linnaeus, 1767) - Cerambycidae
11.IV.2014 - ITALIA - Emilia-Romagna - MO
Allegato(i) Dettagli della specie
Saperda punctata (Linnaeus, 1767)
Cerambycidae


11.IV.2014 - ITALIA - Emilia-Romagna - MO
Coleoptera

Pippistrello

14

2638

08/05/2014, 22:55

aesalus37 Vedi ultimo messaggio

Nessun messaggio da leggere
Obrium cantharinum (Linnaeus, 1767) - Cerambycidae
V.2004 - ITALIA - Lazio - RM
Allegato(i) Dettagli della specie
Obrium cantharinum (Linnaeus, 1767)
Cerambycidae


V.2004 - ITALIA - Lazio - RM
Coleoptera

aesalus37

14

2653

08/05/2014, 6:44

aesalus37 Vedi ultimo messaggio

Nessun messaggio da leggere
Allegato(i) Dettagli della specie
Callimus angulatus angulatus (Schrank, 1789)
Cerambycidae


6.IV.2014 - ITALIA - Lazio - RM
Coleoptera

Julodis

9

1838

06/05/2014, 21:19

Pippistrello Vedi ultimo messaggio

Nessun messaggio da leggere
Aegomorphus clavipes (Schrank, 1781) - Cerambycidae
6.V.2014 - ITALIA - Sardegna - VS
Allegato(i) Dettagli della specie
Aegomorphus clavipes (Schrank, 1781)
Cerambycidae


6.V.2014 - ITALIA - Sardegna - VS
Coleoptera

Federico A.

2

1296

06/05/2014, 19:53

Federico A. Vedi ultimo messaggio

Nessun messaggio da leggere
Callimus abdominalis (Olivier, 1795) - Cerambycidae
4.V.2014 - ITALIA - Sardegna - CA
Allegato(i) Dettagli della specie
Callimus abdominalis (Olivier, 1795)
Cerambycidae


4.V.2014 - ITALIA - Sardegna - CA
Coleoptera

Palaemonetes

5

1423

06/05/2014, 19:36

Palaemonetes Vedi ultimo messaggio

Nessun messaggio da leggere
Tetrops praeustus praeustus (Linnaeus, 1758) - Cerambycidae
2.V.2014 - ITALIA - Emilia-Romagna - FE
Allegato(i) Dettagli della specie
Tetrops praeustus praeustus (Linnaeus, 1758)
Cerambycidae


2.V.2014 - ITALIA - Emilia-Romagna - FE
Coleoptera

Daniele Maccapani

5

1235

06/05/2014, 17:31

Julodis Vedi ultimo messaggio

Visualizza ultimi argomenti:  Ordina per  Ordine:  
nuovo argomento
Vai alla pagina Precedente  1 ... 38, 39, 40, 41, 42, 43, 44 ... 103  Prossimo
Pagina 41 di 103 [ 5103 argomenti ]

Tutti gli orari sono UTC + 1 ora [ ora legale ]


Chi c’è in linea

Visitano il forum: Nessuno e 1 ospite


Legenda
Messaggi da leggere Messaggi da leggere Nessun messaggio da leggere Nessun messaggio da leggere Annuncio Annuncio
 
Specie indeterminata / discussione generica
Messaggi non letti [ Popolari ] Messaggi non letti [ Popolari ] Nessun messaggio da leggere [ Popolare ] Nessun messaggio da leggere [ Popolare ] Importante Importante
 
Specie determinata fino al genere o cf.
Messaggi non letti [ Bloccati ] Messaggi non letti [ Bloccati ] No messaggi non letti [ Bloccati ] No messaggi non letti [ Bloccati ] Argomento spostato Argomento spostato
 
Specie correttamente determinata
Permessi
Non puoi aprire nuovi argomenti
Non puoi rispondere negli argomenti
Non puoi modificare i tuoi messaggi
Non puoi cancellare i tuoi messaggi
Non puoi inviare allegati

Cerca per:
Vai a: