Benvenuto Ospite

Forum Entomologi Italiani

www.entomologiitaliani.net/forum
 
Oggi è 08/11/2025, 23:12

Tutti gli orari sono UTC + 1 ora [ ora legale ]


100%
2927 taxa correttamente determinati su 2928 presenti in archivio

Cerambycidae


[ AFROTROPICALE ] [ ANTARTICO ] [ AUSTRALASIANO ] [ NEARTICO ] [ NEOTROPICALE ] [ ORIENTALE ] [ PALEARTICO ]


nuovo argomento
Vai alla pagina Precedente  1 ... 39, 40, 41, 42, 43, 44, 45 ... 59  Prossimo
Pagina 42 di 59 [ 2928 argomenti ]
 Argomenti   Ordine   Autore   Risposte   Visite    Ultimo messaggio 
Annunci
Nessun messaggio da leggere
Allegato(i)
Incontri entomologici telematici organizzati dalla Società Entomologica Italiana nel 2022 e nel 2023

[ Vai alla paginaVai alla pagina: 1, 2, 3 ]

 

Velvet Ant

44

1430128

03/03/2023, 15:55

Velvet Ant Vedi ultimo messaggio

Nessun messaggio da leggere  
Allegato(i)
Sondaggio sul declino dell'entomofauna in Italia

[ Vai alla paginaVai alla pagina: 1, 2, 3, 4 ]

 

Velvet Ant

52

1758122

22/10/2022, 19:18

Acquarius Vedi ultimo messaggio

Nessun messaggio da leggere  
Allegato(i)
Progetto: Bibliografia ragionata dei lavori entomologici nei quali sono citati reperti apparsi su FEI

[ Vai alla paginaVai alla pagina: 1, 2, 3 ]

 

Velvet Ant

33

1171048

06/07/2023, 18:31

Orotrechus Vedi ultimo messaggio

Nessun messaggio da leggere
Allegato(i)
Mimesi, il primo documentario cinematografico sull’entomologia in Italia: casting
 

mazzeip

1

457158

28/02/2019, 20:26

mazzeip Vedi ultimo messaggio

Questo argomento è bloccato, non puoi modificare o inviare ulteriori messaggi.
Allegato(i)
ISTRUZIONI PUBBLICAZIONE NUOVI ARGOMENTI E FOTO

 
Altri Ordini di Insetti

Julodis

4

911095

13/05/2015, 19:37

Julodis Vedi ultimo messaggio

Nessun messaggio da leggere
Allegato(i)
Limitatore giornaliero di messaggi, uno strumento utile e ormai indispensabile

[ Vai alla paginaVai alla pagina: 1 ... 14, 15, 16 ]

 

Velvet Ant

233

8831782

25/09/2014, 14:31

Inachis Vedi ultimo messaggio

Nessun messaggio da leggere  
NORME PER I COLLABORATORI DEL FORUM

 
 

Velvet Ant

0

478898

02/06/2011, 12:05

Velvet Ant Vedi ultimo messaggio

Nessun messaggio da leggere
Allegato(i)
NORME PER GLI UTENTI DEL FORUM

[ Vai alla paginaVai alla pagina: 1, 2, 3 ]



 
 

Velvet Ant

30

2346076

23/09/2014, 23:54

Maurizio Bollino Vedi ultimo messaggio

Questo argomento è bloccato, non puoi modificare o inviare ulteriori messaggi.  
Elenco delle specie italiane di Cerambycidae presenti sul forum
Cerambycidae


 
Coleoptera

Plagionotus

0

5998

22/11/2010, 22:28

Plagionotus Vedi ultimo messaggio

Nessun messaggio da leggere  
Lista degli utenti del "Forum entomologi italiani" per campi di interesse e specializzazione

 
Altri Ordini di Insetti

Velvet Ant

13

944438

07/09/2023, 17:14

Roberto-07 Vedi ultimo messaggio

Argomenti
Nessun messaggio da leggere
Hylotrupes bajulus (Linnaeus, 1758) - Cerambycidae
3.VII.2011 - ITALIA - Sicilia - PA
Allegato(i) Dettagli della specie
Hylotrupes bajulus (Linnaeus, 1758)
Cerambycidae


3.VII.2011 - ITALIA - Sicilia - PA
Coleoptera

Caliddo

1

976

10/07/2011, 0:27

FORBIX Vedi ultimo messaggio

Nessun messaggio da leggere
Deroplia troberti troberti (Mulsant, 1843) - Cerambycidae
6.VII.2011 - ITALIA - Toscana - LI
Allegato(i) Dettagli della specie
Deroplia troberti troberti (Mulsant, 1843)
Cerambycidae

[ Vai alla paginaVai alla pagina: 1, 2 ]



6.VII.2011 - ITALIA - Toscana - LI
Coleoptera

Entomarci

23

3802

09/07/2011, 17:35

Julodis Vedi ultimo messaggio

Nessun messaggio da leggere
Opsilia coerulescens (Scopoli, 1763) - Cerambycidae
7.VII.2010 - ITALIA - Abruzzo - CH
Allegato(i) Dettagli della specie
Opsilia coerulescens (Scopoli, 1763)
Cerambycidae


7.VII.2010 - ITALIA - Abruzzo - CH
Coleoptera

Cesare Iacovone

3

1370

09/07/2011, 14:16

Julodis Vedi ultimo messaggio

Nessun messaggio da leggere
Acanthocinus aedilis (Linnaeus, 1758) - Cerambycidae
5.VII.2011 - ITALIA - Toscana - PT
Allegato(i) Dettagli della specie
Acanthocinus aedilis (Linnaeus, 1758)
Cerambycidae


5.VII.2011 - ITALIA - Toscana - PT
Coleoptera

Sleepy Moose

6

2648

09/07/2011, 14:14

Plagionotus Vedi ultimo messaggio

Nessun messaggio da leggere
Icosium tomentosum tomentosum Lucas, 1854 - Cerambycidae
8.VII.2011 - ITALIA - Toscana - LI
Allegato(i) Dettagli della specie
Icosium tomentosum tomentosum Lucas, 1854
Cerambycidae


8.VII.2011 - ITALIA - Toscana - LI
Coleoptera

FORBIX

4

1675

09/07/2011, 14:11

Plagionotus Vedi ultimo messaggio

Nessun messaggio da leggere
Chlorophorus varius varius (O. F. Müller, 1766) - Cerambycidae
7.VII.2011 - ITALIA - Friuli-Venezia Giulia - GO
Allegato(i) Dettagli della specie
Chlorophorus varius varius (O. F. Müller, 1766)
Cerambycidae


7.VII.2011 - ITALIA - Friuli-Venezia Giulia - GO
Coleoptera

Agdistis

3

1406

08/07/2011, 20:43

Plagionotus Vedi ultimo messaggio

Nessun messaggio da leggere
Plagionotus detritus detritus (Linnaeus, 1758) - Cerambycidae
7.VII.2011 - ITALIA - Lombardia - BS
Allegato(i) Dettagli della specie
Plagionotus detritus detritus (Linnaeus, 1758)
Cerambycidae


7.VII.2011 - ITALIA - Lombardia - BS
Coleoptera

Livio

5

1605

08/07/2011, 15:59

Plagionotus Vedi ultimo messaggio

Nessun messaggio da leggere
Aegomorphus clavipes (Schrank, 1781) - Cerambycidae
13.I.2011 - ITALIA - Marche - AN
Allegato(i) Dettagli della specie
Aegomorphus clavipes (Schrank, 1781)
Cerambycidae


13.I.2011 - ITALIA - Marche - AN
Coleoptera

StagBeetle

8

2695

08/07/2011, 13:59

StagBeetle Vedi ultimo messaggio

Nessun messaggio da leggere
Allegato(i) Dettagli della specie
Stictoleptura cordigera cordigera (Fuessly, 1775)
Cerambycidae


19.VI.2011 - ITALIA - Toscana - PI
Coleoptera

Stefano79

4

1404

08/07/2011, 11:32

Stefano79 Vedi ultimo messaggio

Nessun messaggio da leggere
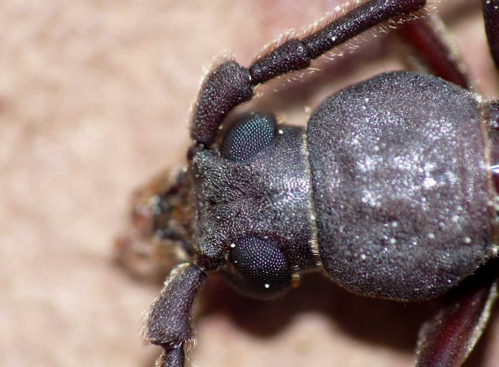
Cerambyx welensii (Küster, 1845) - Cerambycidae
6.VII.2011 - ITALIA - Lazio - RM
Allegato(i) Dettagli della specie
Cerambyx welensii (Küster, 1845)
Cerambycidae


6.VII.2011 - ITALIA - Lazio - RM
Coleoptera

Fabio Turchetti

5

1488

08/07/2011, 1:25

Julodis Vedi ultimo messaggio

Nessun messaggio da leggere
Musaria affinis nigrohirta (G. Müller, 1948) - Cerambycidae
6.VII.2011 - ITALIA - Umbria - PG
Allegato(i) Dettagli della specie
Musaria affinis nigrohirta (G. Müller, 1948)
Cerambycidae


6.VII.2011 - ITALIA - Umbria - PG
Coleoptera

ilio

2

1009

07/07/2011, 19:08

ilio Vedi ultimo messaggio

Nessun messaggio da leggere
Grammoptera ruficornis ruficornis (Fabricius, 1781) - Cerambycidae
25.II.2011 - ITALIA - Emilia-Romagna - RE
Allegato(i) Dettagli della specie
Grammoptera ruficornis ruficornis (Fabricius, 1781)
Cerambycidae


25.II.2011 - ITALIA - Emilia-Romagna - RE
Coleoptera

Mikiphasmide

14

2394

07/07/2011, 18:28

Isotomus Vedi ultimo messaggio

Nessun messaggio da leggere
Arhopalus syriacus (Reitter, 1895) - Cerambycidae
12.V.2011 - ITALIA - Lazio - RM
Allegato(i) Dettagli della specie
Arhopalus syriacus (Reitter, 1895)
Cerambycidae


12.V.2011 - ITALIA - Lazio - RM
Coleoptera

elleelle

7

1695

07/07/2011, 18:02

Isotomus Vedi ultimo messaggio

Nessun messaggio da leggere
Rosalia (Rosalia) alpina alpina (Linnaeus, 1758) - Cerambycidae
1.VII.2011 - ITALIA - Emilia-Romagna - FC
Allegato(i) Dettagli della specie
Rosalia (Rosalia) alpina alpina (Linnaeus, 1758)
Cerambycidae

[ Vai alla paginaVai alla pagina: 1, 2 ]



1.VII.2011 - ITALIA - Emilia-Romagna - FC
Coleoptera

Isotomus

19

4358

06/07/2011, 11:53

Umbro Vedi ultimo messaggio

Nessun messaggio da leggere
Stenurella melanura (Linnaeus, 1758) - Cerambycidae
2.VII.2011 - ITALIA - Lazio - RM
Allegato(i) Dettagli della specie
Stenurella melanura (Linnaeus, 1758)
Cerambycidae


2.VII.2011 - ITALIA - Lazio - RM
Coleoptera

Claude54

4

929

05/07/2011, 21:10

Claude54 Vedi ultimo messaggio

Nessun messaggio da leggere
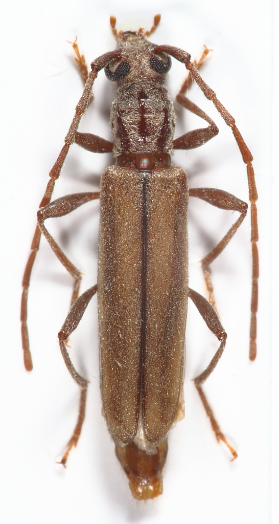
Aegosoma scabricorne (Scopoli, 1763) - Cerambycidae
4.VII.2011 - ITALIA - Emilia-Romagna - MO
Allegato(i) Dettagli della specie
Aegosoma scabricorne (Scopoli, 1763)
Cerambycidae


4.VII.2011 - ITALIA - Emilia-Romagna - MO
Coleoptera

conan

1

1047

05/07/2011, 15:37

Alessio89 Vedi ultimo messaggio

Nessun messaggio da leggere
Pogonocherus perroudi perroudi Mulsant, 1839 - Cerambycidae
10.IV.2011 - ITALIA - Sicilia - CT
Allegato(i) Dettagli della specie
Pogonocherus perroudi perroudi Mulsant, 1839
Cerambycidae


10.IV.2011 - ITALIA - Sicilia - CT
Coleoptera

Isotomus

2

850

05/07/2011, 14:00

Isotomus Vedi ultimo messaggio

Nessun messaggio da leggere
Pogonocherus fasciculatus (De Geer, 1775) - Cerambycidae
10.IV.2011 - ITALIA - Sicilia - CT
Allegato(i) Dettagli della specie
Pogonocherus fasciculatus (De Geer, 1775)
Cerambycidae


10.IV.2011 - ITALIA - Sicilia - CT
Coleoptera

Isotomus

0

714

05/07/2011, 13:36

Isotomus Vedi ultimo messaggio

Nessun messaggio da leggere
Anastrangalia sanguinolenta (Linnaeus, 1760) - Cerambycidae
19.VI.2011 - ITALIA - Emilia-Romagna - PR
Allegato(i) Dettagli della specie
Anastrangalia sanguinolenta (Linnaeus, 1760)
Cerambycidae


19.VI.2011 - ITALIA - Emilia-Romagna - PR
Coleoptera

antoEandrea

2

1053

04/07/2011, 13:44

antoEandrea Vedi ultimo messaggio

Nessun messaggio da leggere
Stenurella melanura (Linnaeus, 1758) - Cerambycidae
3.VII.2011 - ITALIA - Emilia-Romagna - PR
Allegato(i) Dettagli della specie
Stenurella melanura (Linnaeus, 1758)
Cerambycidae


3.VII.2011 - ITALIA - Emilia-Romagna - PR
Coleoptera

antoEandrea

2

965

04/07/2011, 13:43

antoEandrea Vedi ultimo messaggio

Nessun messaggio da leggere
Allegato(i) Dettagli della specie
Plagionotus detritus detritus (Linnaeus, 1758)
Cerambycidae


2.VII.2011 - ITALIA - Lazio - RM
Coleoptera

Fabio Turchetti

7

1780

04/07/2011, 8:11

Fabio Turchetti Vedi ultimo messaggio

Nessun messaggio da leggere
Allegato(i) Dettagli della specie
Dorcadion (Pedestredorcadion) arenarium marsicanum Fracassi, 1905
Cerambycidae


VI.1972 - ITALIA - Lazio - RM
Coleoptera

marco paglialunga

2

1099

04/07/2011, 7:21

Isotomus Vedi ultimo messaggio

Nessun messaggio da leggere
Gracilia minuta (Fabricius, 1781) - Cerambycidae
8.VI.2011 - ITALIA - Lazio - RM
Allegato(i) Dettagli della specie
Gracilia minuta (Fabricius, 1781)
Cerambycidae


8.VI.2011 - ITALIA - Lazio - RM
Coleoptera

soken

3

1113

03/07/2011, 16:00

soken Vedi ultimo messaggio

Nessun messaggio da leggere
Acanthocinus griseus (Fabricius, 1792) - Cerambycidae
30.VI.2011 - ITALIA - Emilia-Romagna - BO
Allegato(i) Dettagli della specie
Acanthocinus griseus (Fabricius, 1792)
Cerambycidae


30.VI.2011 - ITALIA - Emilia-Romagna - BO
Coleoptera

Loriscola

3

2034

03/07/2011, 9:40

Isotomus Vedi ultimo messaggio

Nessun messaggio da leggere
Penichroa fasciata (Stephens, 1831) - Cerambycidae
2.VII.2011 - ITALIA - Sardegna - CA
Allegato(i) Dettagli della specie
Penichroa fasciata (Stephens, 1831)
Cerambycidae


2.VII.2011 - ITALIA - Sardegna - CA
Coleoptera

ruzzpa

1

1019

03/07/2011, 6:58

Isotomus Vedi ultimo messaggio

Nessun messaggio da leggere
Molorchus minor minor (Linnaeus, 1758) - Cerambycidae
30.VI.2011 - ITALIA - Emilia-Romagna - BO
Allegato(i) Dettagli della specie
Molorchus minor minor (Linnaeus, 1758)
Cerambycidae


30.VI.2011 - ITALIA - Emilia-Romagna - BO
Coleoptera

Loriscola

1

957

02/07/2011, 10:13

Isotomus Vedi ultimo messaggio

Nessun messaggio da leggere
Allegato(i) Dettagli della specie
Dorcadion (Pedestredorcadion) etruscum (Rossi, 1790)
Cerambycidae


1.VII.2011 - ITALIA - Lazio - RM
Coleoptera

Fabio Turchetti

10

1651

01/07/2011, 14:43

Fabio Turchetti Vedi ultimo messaggio

Nessun messaggio da leggere
Anaglyptus gibbosus (Fabricius, 1787) - Cerambycidae
15.VI.2011 - ITALIA - Abruzzo - AQ
Allegato(i) Dettagli della specie
Anaglyptus gibbosus (Fabricius, 1787)
Cerambycidae


15.VI.2011 - ITALIA - Abruzzo - AQ
Coleoptera

Julodis

3

999

30/06/2011, 17:28

Plagionotus Vedi ultimo messaggio

Nessun messaggio da leggere
Chlorophorus varius varius (O. F. Müller, 1766) - Cerambycidae
30.VI.2011 - ITALIA - Lombardia - MI
Allegato(i) Dettagli della specie
Chlorophorus varius varius (O. F. Müller, 1766)
Cerambycidae


30.VI.2011 - ITALIA - Lombardia - MI
Coleoptera

wildrocker

2

684

30/06/2011, 17:02

wildrocker Vedi ultimo messaggio

Nessun messaggio da leggere
Allegato(i) Dettagli della specie
Purpuricenus (Purpuricenus) kaehleri kaehleri (Linnaeus, 1758)
Cerambycidae


29.VI.2011 - ITALIA - Liguria - SV
Coleoptera

fabio.aste

7

1260

30/06/2011, 13:41

Entomarci Vedi ultimo messaggio

Nessun messaggio da leggere
Phymatodes testaceus (Linnaeus, 1758) - Cerambycidae
VI.2011 - ITALIA - Sicilia - PA
Allegato(i) Dettagli della specie
Phymatodes testaceus (Linnaeus, 1758)
Cerambycidae


VI.2011 - ITALIA - Sicilia - PA
Coleoptera

carabus

2

655

30/06/2011, 11:09

Plagionotus Vedi ultimo messaggio

Nessun messaggio da leggere
Stenopterus rufus rufus (Linnaeus, 1767) - Cerambycidae
2.VI.2011 - ITALIA - Toscana - AR
Allegato(i) Dettagli della specie
Stenopterus rufus rufus (Linnaeus, 1767)
Cerambycidae


2.VI.2011 - ITALIA - Toscana - AR
Coleoptera

ff57

1

612

30/06/2011, 7:53

Isotomus Vedi ultimo messaggio

Nessun messaggio da leggere
Monochamus sutor sutor (Linnaeus, 1758) - Cerambycidae
27.VI.2011 - ITALIA - Piemonte - TO
Allegato(i) Dettagli della specie
Monochamus sutor sutor (Linnaeus, 1758)
Cerambycidae


27.VI.2011 - ITALIA - Piemonte - TO
Coleoptera

Seraph

4

1037

29/06/2011, 22:45

Seraph Vedi ultimo messaggio

Nessun messaggio da leggere
Stenurella melanura (Linnaeus, 1758) - Cerambycidae
25.VI.2011 - ITALIA - Lazio - RM
Allegato(i) Dettagli della specie
Stenurella melanura (Linnaeus, 1758)
Cerambycidae


25.VI.2011 - ITALIA - Lazio - RM
Coleoptera

Broc

2

727

28/06/2011, 23:30

Broc Vedi ultimo messaggio

Nessun messaggio da leggere
Stenopterus rufus rufus (Linnaeus, 1767) - Cerambycidae
26.VI.2011 - ITALIA - Umbria - PG
Allegato(i) Dettagli della specie
Stenopterus rufus rufus (Linnaeus, 1767)
Cerambycidae


26.VI.2011 - ITALIA - Umbria - PG
Coleoptera

ilio

1

802

27/06/2011, 20:07

zdeno Vedi ultimo messaggio

Nessun messaggio da leggere
Pachytodes erraticus erraticus (Dalman, 1817) - Cerambycidae
26.VI.2011 - ITALIA - Umbria - PG
Allegato(i) Dettagli della specie
Pachytodes erraticus erraticus (Dalman, 1817)
Cerambycidae


26.VI.2011 - ITALIA - Umbria - PG
Coleoptera

ilio

1

924

27/06/2011, 20:06

zdeno Vedi ultimo messaggio

Nessun messaggio da leggere
Plagionotus floralis (Pallas, 1773) - Cerambycidae
26.VI.2011 - ITALIA - Umbria - PG
Allegato(i) Dettagli della specie
Plagionotus floralis (Pallas, 1773)
Cerambycidae


26.VI.2011 - ITALIA - Umbria - PG
Coleoptera

ilio

1

1100

27/06/2011, 20:06

zdeno Vedi ultimo messaggio

Nessun messaggio da leggere
Agapanthia (Epoptes) sicula malmerendii Sama, 1981 - Cerambycidae
26.VI.2011 - ITALIA - Emilia-Romagna - MO
Allegato(i) Dettagli della specie
Agapanthia (Epoptes) sicula malmerendii Sama, 1981
Cerambycidae


26.VI.2011 - ITALIA - Emilia-Romagna - MO
Coleoptera

conan

1

1481

27/06/2011, 6:56

Isotomus Vedi ultimo messaggio

Nessun messaggio da leggere
Oxymirus cursor (Linnaeus, 1758) - Cerambycidae
26.VI.2011 - ITALIA - Valle d'Aosta - AO
Allegato(i) Dettagli della specie
Oxymirus cursor (Linnaeus, 1758)
Cerambycidae


26.VI.2011 - ITALIA - Valle d'Aosta - AO
Coleoptera

Gremu

2

1396

26/06/2011, 21:19

Gremu Vedi ultimo messaggio

Nessun messaggio da leggere
Parmena subpubescens Hellrigl, 1971 - Cerambycidae
19.VI.2011 - ITALIA - Sicilia - PA
Allegato(i) Dettagli della specie
Parmena subpubescens Hellrigl, 1971
Cerambycidae


19.VI.2011 - ITALIA - Sicilia - PA
Coleoptera

Entomarci

2

1222

26/06/2011, 14:16

Plagionotus Vedi ultimo messaggio

Nessun messaggio da leggere
Penichroa fasciata (Stephens, 1831) - Cerambycidae
25.VI.2011 - ITALIA - Sardegna - CA
Allegato(i) Dettagli della specie
Penichroa fasciata (Stephens, 1831)
Cerambycidae


25.VI.2011 - ITALIA - Sardegna - CA
Coleoptera

Fumea crassiorella

2

1202

25/06/2011, 22:24

Fumea crassiorella Vedi ultimo messaggio

Nessun messaggio da leggere
Schurmannia sicula Sama, 1979 - Cerambycidae
20.VI.2011 - ITALIA - Sicilia - PA
Allegato(i) Dettagli della specie
Schurmannia sicula Sama, 1979
Cerambycidae


20.VI.2011 - ITALIA - Sicilia - PA
Coleoptera

Isotomus

7

2740

25/06/2011, 20:01

Isotomus Vedi ultimo messaggio

Nessun messaggio da leggere
Acanthocinus aedilis (Linnaeus, 1758) - Cerambycidae
10.IV.2011 - ITALIA - Sicilia - CT
Allegato(i) Dettagli della specie
Acanthocinus aedilis (Linnaeus, 1758)
Cerambycidae


10.IV.2011 - ITALIA - Sicilia - CT
Coleoptera

Isotomus

0

1434

25/06/2011, 17:33

Isotomus Vedi ultimo messaggio

Nessun messaggio da leggere
Rhagium (Hagrium) bifasciatum Fabricius, 1775 - Cerambycidae
21.VI.2011 - ITALIA - Veneto - VI
Allegato(i) Dettagli della specie
Rhagium (Hagrium) bifasciatum Fabricius, 1775
Cerambycidae


21.VI.2011 - ITALIA - Veneto - VI
Coleoptera

Apoderus

12

3180

25/06/2011, 17:23

Apoderus Vedi ultimo messaggio

Nessun messaggio da leggere
Arhopalus ferus (Mulsant, 1839) - Cerambycidae
30.IV.2011 - ITALIA - Marche - AN
Allegato(i) Dettagli della specie
Arhopalus ferus (Mulsant, 1839)
Cerambycidae

[ Vai alla paginaVai alla pagina: 1, 2 ]



30.IV.2011 - ITALIA - Marche - AN
Coleoptera

StagBeetle

19

4623

24/06/2011, 15:00

Isotomus Vedi ultimo messaggio

Nessun messaggio da leggere
Chlorophorus glabromaculatus (Goeze, 1777) - Cerambycidae
27.XII.2010 - ITALIA - Marche - AN
Allegato(i) Dettagli della specie
Chlorophorus glabromaculatus (Goeze, 1777)
Cerambycidae


27.XII.2010 - ITALIA - Marche - AN
Coleoptera

StagBeetle

10

1503

24/06/2011, 11:20

Plagionotus Vedi ultimo messaggio

Nessun messaggio da leggere
Alosterna tabacicolor (De Geer, 1775) - Cerambycidae
2.VI.2011 - ITALIA - Abruzzo - AQ
Allegato(i) Dettagli della specie
Alosterna tabacicolor (De Geer, 1775)
Cerambycidae


2.VI.2011 - ITALIA - Abruzzo - AQ
Coleoptera

Claude54

4

1031

23/06/2011, 14:23

Plagionotus Vedi ultimo messaggio

Nessun messaggio da leggere
Parmena algirica Laporte, 1840 - Cerambycidae
22.VI.2011 - ITALIA - Sardegna - CA
Allegato(i) Dettagli della specie
Parmena algirica Laporte, 1840
Cerambycidae


22.VI.2011 - ITALIA - Sardegna - CA
Coleoptera

Fumea crassiorella

1

848

23/06/2011, 14:22

Plagionotus Vedi ultimo messaggio

Nessun messaggio da leggere
Cerambyx scopolii scopolii Fuessly, 1775 - Cerambycidae
19.VI.2011 - ITALIA - Abruzzo - AQ
Allegato(i) Dettagli della specie
Cerambyx scopolii scopolii Fuessly, 1775
Cerambycidae


19.VI.2011 - ITALIA - Abruzzo - AQ
Coleoptera

Claude54

2

878

22/06/2011, 22:53

conan Vedi ultimo messaggio

Nessun messaggio da leggere
Morimus asper asper (Sulzer, 1776) - Cerambycidae
19.VI.2011 - ITALIA - Emilia-Romagna - PC
Allegato(i) Dettagli della specie
Morimus asper asper (Sulzer, 1776)
Cerambycidae


19.VI.2011 - ITALIA - Emilia-Romagna - PC
Coleoptera

PjofDoom

3

994

22/06/2011, 17:37

Isotomus Vedi ultimo messaggio

Visualizza ultimi argomenti:  Ordina per  Ordine:  
nuovo argomento
Vai alla pagina Precedente  1 ... 39, 40, 41, 42, 43, 44, 45 ... 59  Prossimo
Pagina 42 di 59 [ 2928 argomenti ]

Tutti gli orari sono UTC + 1 ora [ ora legale ]


Chi c’è in linea

Visitano il forum: Nessuno e 2 ospiti


Legenda
Messaggi da leggere Messaggi da leggere Nessun messaggio da leggere Nessun messaggio da leggere Annuncio Annuncio
 
Specie indeterminata / discussione generica
Messaggi non letti [ Popolari ] Messaggi non letti [ Popolari ] Nessun messaggio da leggere [ Popolare ] Nessun messaggio da leggere [ Popolare ] Importante Importante
 
Specie determinata fino al genere o cf.
Messaggi non letti [ Bloccati ] Messaggi non letti [ Bloccati ] No messaggi non letti [ Bloccati ] No messaggi non letti [ Bloccati ] Argomento spostato Argomento spostato
 
Specie correttamente determinata
Permessi
Non puoi aprire nuovi argomenti
Non puoi rispondere negli argomenti
Non puoi modificare i tuoi messaggi
Non puoi cancellare i tuoi messaggi
Non puoi inviare allegati

Cerca per:
Vai a: