Benvenuto Ospite

Forum Entomologi Italiani

www.entomologiitaliani.net/forum
 
Oggi è 08/11/2025, 16:51

Tutti gli orari sono UTC + 1 ora [ ora legale ]


100%
2927 taxa correttamente determinati su 2928 presenti in archivio

Cerambycidae


[ AFROTROPICALE ] [ ANTARTICO ] [ AUSTRALASIANO ] [ NEARTICO ] [ NEOTROPICALE ] [ ORIENTALE ] [ PALEARTICO ]


nuovo argomento
Vai alla pagina Precedente  1 ... 41, 42, 43, 44, 45, 46, 47 ... 59  Prossimo
Pagina 44 di 59 [ 2928 argomenti ]
 Argomenti   Ordine   Autore   Risposte   Visite    Ultimo messaggio 
Annunci
Nessun messaggio da leggere
Allegato(i)
Incontri entomologici telematici organizzati dalla Società Entomologica Italiana nel 2022 e nel 2023

[ Vai alla paginaVai alla pagina: 1, 2, 3 ]

 

Velvet Ant

44

1429461

03/03/2023, 15:55

Velvet Ant Vedi ultimo messaggio

Nessun messaggio da leggere  
Allegato(i)
Sondaggio sul declino dell'entomofauna in Italia

[ Vai alla paginaVai alla pagina: 1, 2, 3, 4 ]

 

Velvet Ant

52

1757366

22/10/2022, 19:18

Acquarius Vedi ultimo messaggio

Nessun messaggio da leggere  
Allegato(i)
Progetto: Bibliografia ragionata dei lavori entomologici nei quali sono citati reperti apparsi su FEI

[ Vai alla paginaVai alla pagina: 1, 2, 3 ]

 

Velvet Ant

33

1170451

06/07/2023, 18:31

Orotrechus Vedi ultimo messaggio

Nessun messaggio da leggere
Allegato(i)
Mimesi, il primo documentario cinematografico sull’entomologia in Italia: casting
 

mazzeip

1

456884

28/02/2019, 20:26

mazzeip Vedi ultimo messaggio

Questo argomento è bloccato, non puoi modificare o inviare ulteriori messaggi.
Allegato(i)
ISTRUZIONI PUBBLICAZIONE NUOVI ARGOMENTI E FOTO

 
Altri Ordini di Insetti

Julodis

4

906169

13/05/2015, 19:37

Julodis Vedi ultimo messaggio

Nessun messaggio da leggere
Allegato(i)
Limitatore giornaliero di messaggi, uno strumento utile e ormai indispensabile

[ Vai alla paginaVai alla pagina: 1 ... 14, 15, 16 ]

 

Velvet Ant

233

8828766

25/09/2014, 14:31

Inachis Vedi ultimo messaggio

Nessun messaggio da leggere  
NORME PER I COLLABORATORI DEL FORUM

 
 

Velvet Ant

0

478839

02/06/2011, 12:05

Velvet Ant Vedi ultimo messaggio

Nessun messaggio da leggere
Allegato(i)
NORME PER GLI UTENTI DEL FORUM

[ Vai alla paginaVai alla pagina: 1, 2, 3 ]



 
 

Velvet Ant

30

2345629

23/09/2014, 23:54

Maurizio Bollino Vedi ultimo messaggio

Questo argomento è bloccato, non puoi modificare o inviare ulteriori messaggi.  
Elenco delle specie italiane di Cerambycidae presenti sul forum
Cerambycidae


 
Coleoptera

Plagionotus

0

5996

22/11/2010, 22:28

Plagionotus Vedi ultimo messaggio

Nessun messaggio da leggere  
Lista degli utenti del "Forum entomologi italiani" per campi di interesse e specializzazione

 
Altri Ordini di Insetti

Velvet Ant

13

944181

07/09/2023, 17:14

Roberto-07 Vedi ultimo messaggio

Argomenti
Nessun messaggio da leggere
Allegato(i) Dettagli della specie
Stenurella bifasciata bifasciata (O. F. Müller, 1776)
Cerambycidae


4.VI.2011 - ITALIA - Umbria - PG
Coleoptera

ilio

2

989

06/06/2011, 9:55

ilio Vedi ultimo messaggio

Nessun messaggio da leggere
Gracilia minuta (Fabricius, 1781) - Cerambycidae
24.V.2011 - ITALIA - Sicilia - PA
Allegato(i) Dettagli della specie
Gracilia minuta (Fabricius, 1781)
Cerambycidae


24.V.2011 - ITALIA - Sicilia - PA
Coleoptera

carabus

9

2243

05/06/2011, 19:12

Plagionotus Vedi ultimo messaggio

Nessun messaggio da leggere
Allegato(i) Dettagli della specie
Cortodera humeralis humeralis (Schaller, 1783)
Cerambycidae


14.V.2011 - ITALIA - Marche - AN
Coleoptera

conan

9

1716

05/06/2011, 17:47

Plagionotus Vedi ultimo messaggio

Nessun messaggio da leggere
Anaglyptus gibbosus (Fabricius, 1787) - Cerambycidae
4.V.2011 - ITALIA - Lombardia - BG
Allegato(i) Dettagli della specie
Anaglyptus gibbosus (Fabricius, 1787)
Cerambycidae


4.V.2011 - ITALIA - Lombardia - BG
Coleoptera

Pippistrello

5

1467

05/06/2011, 13:21

Pippistrello Vedi ultimo messaggio

Nessun messaggio da leggere
Alosterna tabacicolor (De Geer, 1775) - Cerambycidae
14.V.2011 - ITALIA - Marche - AN
Allegato(i) Dettagli della specie
Alosterna tabacicolor (De Geer, 1775)
Cerambycidae


14.V.2011 - ITALIA - Marche - AN
Coleoptera

conan

8

2035

05/06/2011, 12:09

Isotomus Vedi ultimo messaggio

Nessun messaggio da leggere
Allegato(i) Dettagli della specie
Pseudovadonia livida livida (Fabricius, 1777)
Cerambycidae


3.VI.2011 - ITALIA - Umbria - PG
Coleoptera

ilio

2

952

05/06/2011, 9:13

ilio Vedi ultimo messaggio

Nessun messaggio da leggere
Niphona picticornis Mulsant, 1839 - Cerambycidae
28.V.2011 - ITALIA - Sardegna - CA
Allegato(i) Dettagli della specie
Niphona picticornis Mulsant, 1839
Cerambycidae


28.V.2011 - ITALIA - Sardegna - CA
Coleoptera

ruzzpa

1

824

04/06/2011, 21:21

Tenebrio Vedi ultimo messaggio

Nessun messaggio da leggere
Allegato(i) Dettagli della specie
Stictoleptura cordigera cordigera (Fuessly, 1775)
Cerambycidae


29.V.2011 - ITALIA - Sardegna - CA
Coleoptera

ruzzpa

1

788

04/06/2011, 21:09

Mimmo011 Vedi ultimo messaggio

Nessun messaggio da leggere
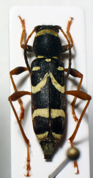
Plagionotus scalaris (Brullé, 1832) - Cerambycidae
4.VI.2011 - ITALIA - Puglia - BA
Allegato(i) Dettagli della specie
Plagionotus scalaris (Brullé, 1832)
Cerambycidae


4.VI.2011 - ITALIA - Puglia - BA
Coleoptera

Mimmo011

3

1353

04/06/2011, 16:37

cosmln Vedi ultimo messaggio

Nessun messaggio da leggere
Arhopalus syriacus (Reitter, 1895) - Cerambycidae
28.V.2011 - ITALIA - Marche - AN
Allegato(i) Dettagli della specie
Arhopalus syriacus (Reitter, 1895)
Cerambycidae


28.V.2011 - ITALIA - Marche - AN
Coleoptera

StagBeetle

2

1001

03/06/2011, 18:56

StagBeetle Vedi ultimo messaggio

Nessun messaggio da leggere
Chlorophorus glabromaculatus (Goeze, 1777) - Cerambycidae
2.II.2011 - ITALIA - Toscana - PT
Allegato(i) Dettagli della specie
Chlorophorus glabromaculatus (Goeze, 1777)
Cerambycidae


2.II.2011 - ITALIA - Toscana - PT
Coleoptera

gwere

2

1128

03/06/2011, 16:02

gwere Vedi ultimo messaggio

Nessun messaggio da leggere
Allegato(i) Dettagli della specie
Xylotrechus (Xylotrechus) arvicola (Olivier, 1795)
Cerambycidae


24.V.2011 - ITALIA - Marche - MC
Coleoptera

StagBeetle

1

880

03/06/2011, 16:00

Plagionotus Vedi ultimo messaggio

Nessun messaggio da leggere
Allegato(i) Dettagli della specie
Dorcadion (Pedestredorcadion) mediterraneum Breuning, 1942
Cerambycidae


9.IV.2011 - ITALIA - Puglia - LE
Coleoptera

Maurizio Bollino

9

2402

03/06/2011, 13:14

Antonio Verdugo Vedi ultimo messaggio

Nessun messaggio da leggere
Stenopterus rufus rufus (Linnaeus, 1767) - Cerambycidae
29.IV.2011 - ITALIA - Puglia - BA
Allegato(i) Dettagli della specie
Stenopterus rufus rufus (Linnaeus, 1767)
Cerambycidae


29.IV.2011 - ITALIA - Puglia - BA
Coleoptera

Mimmo011

4

1137

03/06/2011, 9:39

Mimmo011 Vedi ultimo messaggio

Nessun messaggio da leggere
Allegato(i) Dettagli della specie
Agapanthia (Epoptes) villosoviridescens (De Geer, 1775)
Cerambycidae


29.V.2011 - ITALIA - Lazio - RM
Coleoptera

Julodis

0

742

02/06/2011, 21:57

Julodis Vedi ultimo messaggio

Nessun messaggio da leggere
Saphanus piceus piceus (Laicharting, 1784) - Cerambycidae
28.V.2011 - ITALIA - Marche - FM
Allegato(i) Dettagli della specie
Saphanus piceus piceus (Laicharting, 1784)
Cerambycidae


28.V.2011 - ITALIA - Marche - FM
Coleoptera

StagBeetle

8

1412

02/06/2011, 14:23

Plagionotus Vedi ultimo messaggio

Nessun messaggio da leggere
Saphanus piceus piceus (Laicharting, 1784) - Cerambycidae
25.VIII.2010 - ITALIA - Marche - PU
Allegato(i) Dettagli della specie
Saphanus piceus piceus (Laicharting, 1784)
Cerambycidae


25.VIII.2010 - ITALIA - Marche - PU
Coleoptera

StagBeetle

12

1810

01/06/2011, 20:56

StagBeetle Vedi ultimo messaggio

Nessun messaggio da leggere
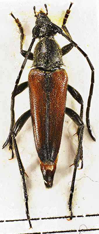
Cerambyx scopolii scopolii Fuessly, 1775 - Cerambycidae
29.V.2011 - ITALIA - Toscana - LI
Allegato(i) Dettagli della specie
Cerambyx scopolii scopolii Fuessly, 1775
Cerambycidae


29.V.2011 - ITALIA - Toscana - LI
Coleoptera

Lucarelli

3

1075

01/06/2011, 10:21

Lucarelli Vedi ultimo messaggio

Nessun messaggio da leggere
Semanotus russicus (Fabricius, 1777) - Cerambycidae
29.V.2011 - ITALIA - Lazio - RM
Allegato(i) Dettagli della specie
Semanotus russicus (Fabricius, 1777)
Cerambycidae


29.V.2011 - ITALIA - Lazio - RM
Coleoptera

Julodis

8

3105

31/05/2011, 14:35

Plagionotus Vedi ultimo messaggio

Nessun messaggio da leggere
Agapanthia (Epoptes) sicula malmerendii Sama, 1981 - Cerambycidae
29.V.2011 - ITALIA - Emilia-Romagna - MO
Allegato(i) Dettagli della specie
Agapanthia (Epoptes) sicula malmerendii Sama, 1981
Cerambycidae


29.V.2011 - ITALIA - Emilia-Romagna - MO
Coleoptera

conan

4

2213

31/05/2011, 7:35

Isotomus Vedi ultimo messaggio

Nessun messaggio da leggere
Allegato(i) Dettagli della specie
Agapanthia (Epoptes) villosoviridescens (De Geer, 1775)
Cerambycidae


ITALIA - Veneto - RO
Coleoptera

Umbro

4

2137

30/05/2011, 17:24

Umbro Vedi ultimo messaggio

Nessun messaggio da leggere
Plagionotus scalaris (Brullé, 1832) - Cerambycidae
VI.2009 - ITALIA - Sicilia - ME
Allegato(i) Dettagli della specie
Plagionotus scalaris (Brullé, 1832)
Cerambycidae


VI.2009 - ITALIA - Sicilia - ME
Coleoptera

mineralenzo

3

1525

30/05/2011, 15:21

Isotomus Vedi ultimo messaggio

Nessun messaggio da leggere
Allegato(i) Dettagli della specie
Agapanthia (Epoptes) asphodeli (Latreille, 1804)
Cerambycidae


23.V.2011 - ITALIA - Puglia - TA
Coleoptera

Ugo Ferrero

5

1924

29/05/2011, 19:44

Ugo Ferrero Vedi ultimo messaggio

Nessun messaggio da leggere
Phymatodes testaceus (Linnaeus, 1758) - Cerambycidae
8.V.2011 - ITALIA - Lazio - RM
Allegato(i) Dettagli della specie
Phymatodes testaceus (Linnaeus, 1758)
Cerambycidae


8.V.2011 - ITALIA - Lazio - RM
Coleoptera

Broc

8

1861

29/05/2011, 9:30

Isotomus Vedi ultimo messaggio

Nessun messaggio da leggere
Acanthocinus griseus (Fabricius, 1792) - Cerambycidae
18.III.2011 - ITALIA - Lombardia - SO
Allegato(i) Dettagli della specie
Acanthocinus griseus (Fabricius, 1792)
Cerambycidae


18.III.2011 - ITALIA - Lombardia - SO
Coleoptera

Pippistrello

0

1105

28/05/2011, 10:31

Pippistrello Vedi ultimo messaggio

Nessun messaggio da leggere
Opsilia coerulescens (Scopoli, 1763) - Cerambycidae
15.V.2011 - ITALIA - Molise - CB
Allegato(i) Dettagli della specie
Opsilia coerulescens (Scopoli, 1763)
Cerambycidae


15.V.2011 - ITALIA - Molise - CB
Coleoptera

Broc

9

2347

27/05/2011, 19:05

Sleepy Moose Vedi ultimo messaggio

Nessun messaggio da leggere
Allegato(i) Dettagli della specie
Agapanthia (Agapanthia) cardui (Linnaeus, 1767)
Cerambycidae


21.V.2011 - ITALIA - Abruzzo - PE
Coleoptera

conan

11

3340

27/05/2011, 14:12

Plagionotus Vedi ultimo messaggio

Nessun messaggio da leggere
Stenopterus rufus rufus (Linnaeus, 1767) - Cerambycidae
21.V.2011 - ITALIA - Liguria - SV
Allegato(i) Dettagli della specie
Stenopterus rufus rufus (Linnaeus, 1767)
Cerambycidae


21.V.2011 - ITALIA - Liguria - SV
Coleoptera

carlos

0

856

27/05/2011, 11:14

carlos Vedi ultimo messaggio

Nessun messaggio da leggere
Rusticoclytus rusticus (Linnaeus, 1758) - Cerambycidae
20.V.2011 - ITALIA - Campania - NA
Allegato(i) Dettagli della specie
Rusticoclytus rusticus (Linnaeus, 1758)
Cerambycidae


20.V.2011 - ITALIA - Campania - NA
Coleoptera

Pippistrello

9

2774

27/05/2011, 10:16

Pippistrello Vedi ultimo messaggio

Nessun messaggio da leggere
Allegato(i) Dettagli della specie
Glaphyra (Glaphyra) umbellatarum (Schreber, 1759)
Cerambycidae


21.V.2011 - ITALIA - Abruzzo - PE
Coleoptera

conan

1

1002

26/05/2011, 18:54

Plagionotus Vedi ultimo messaggio

Nessun messaggio da leggere
Callimus abdominalis (Olivier, 1795) - Cerambycidae
14.V.2011 - ITALIA - Marche - AN
Allegato(i) Dettagli della specie
Callimus abdominalis (Olivier, 1795)
Cerambycidae


14.V.2011 - ITALIA - Marche - AN
Coleoptera

conan

4

1499

26/05/2011, 14:21

Plagionotus Vedi ultimo messaggio

Nessun messaggio da leggere
Grammoptera abdominalis (Stephens, 1831) - Cerambycidae
21.V.2011 - ITALIA - Abruzzo - PE
Allegato(i) Dettagli della specie
Grammoptera abdominalis (Stephens, 1831)
Cerambycidae


21.V.2011 - ITALIA - Abruzzo - PE
Coleoptera

conan

2

1081

26/05/2011, 14:16

Plagionotus Vedi ultimo messaggio

Nessun messaggio da leggere
Clytus arietis arietis (Linnaeus, 1758) - Cerambycidae
14.V.2011 - ITALIA - Marche - AN
Allegato(i) Dettagli della specie
Clytus arietis arietis (Linnaeus, 1758)
Cerambycidae


14.V.2011 - ITALIA - Marche - AN
Coleoptera

conan

2

873

26/05/2011, 14:14

Plagionotus Vedi ultimo messaggio

Nessun messaggio da leggere
Anaglyptus mysticus (Linnaeus, 1758) - Cerambycidae
14.V.2011 - ITALIA - Marche - AN
Allegato(i) Dettagli della specie
Anaglyptus mysticus (Linnaeus, 1758)
Cerambycidae


14.V.2011 - ITALIA - Marche - AN
Coleoptera

conan

2

973

26/05/2011, 14:14

Plagionotus Vedi ultimo messaggio

Nessun messaggio da leggere
Oplosia cinerea Mulsant, 1839 - Cerambycidae
25.V.2011 - ITALIA - Emilia-Romagna - FC
Allegato(i) Dettagli della specie
Oplosia cinerea Mulsant, 1839
Cerambycidae


25.V.2011 - ITALIA - Emilia-Romagna - FC
Coleoptera

Sleepy Moose

2

1231

26/05/2011, 14:12

Plagionotus Vedi ultimo messaggio

Nessun messaggio da leggere
Phytoecia virgula (Charpentier, 1825) - Cerambycidae
21.V.2011 - ITALIA - Abruzzo - PE
Allegato(i) Dettagli della specie
Phytoecia virgula (Charpentier, 1825)
Cerambycidae


21.V.2011 - ITALIA - Abruzzo - PE
Coleoptera

conan

6

1640

26/05/2011, 14:05

Plagionotus Vedi ultimo messaggio

Nessun messaggio da leggere
Phytoecia virgula (Charpentier, 1825) - Cerambycidae
21.V.2011 - ITALIA - Abruzzo - PE
Allegato(i) Dettagli della specie
Phytoecia virgula (Charpentier, 1825)
Cerambycidae


21.V.2011 - ITALIA - Abruzzo - PE
Coleoptera

conan

4

1294

26/05/2011, 13:50

Plagionotus Vedi ultimo messaggio

Nessun messaggio da leggere
Allegato(i) Dettagli della specie
Anaesthetis testacea testacea (Fabricius, 1781)
Cerambycidae


2.V.2011 - ITALIA - Lombardia - SO
Coleoptera

Pippistrello

0

877

26/05/2011, 11:56

Pippistrello Vedi ultimo messaggio

Nessun messaggio da leggere
Phytoecia nigricornis (Fabricius, 1782) - Cerambycidae
21.V.2011 - ITALIA - Abruzzo - PE
Allegato(i) Dettagli della specie
Phytoecia nigricornis (Fabricius, 1782)
Cerambycidae


21.V.2011 - ITALIA - Abruzzo - PE
Coleoptera

conan

2

1006

26/05/2011, 8:15

Entomarci Vedi ultimo messaggio

Nessun messaggio da leggere
Calamobius filum (Rossi, 1790) - Cerambycidae
21.V.2011 - ITALIA - Abruzzo - PE
Allegato(i) Dettagli della specie
Calamobius filum (Rossi, 1790)
Cerambycidae


21.V.2011 - ITALIA - Abruzzo - PE
Coleoptera

conan

1

828

26/05/2011, 0:18

Sleepy Moose Vedi ultimo messaggio

Nessun messaggio da leggere
Phymatodes testaceus (Linnaeus, 1758) - Cerambycidae
24.V.2011 - ITALIA - Umbria - PG
Allegato(i) Dettagli della specie
Phymatodes testaceus (Linnaeus, 1758)
Cerambycidae


24.V.2011 - ITALIA - Umbria - PG
Coleoptera

ilio

2

751

25/05/2011, 18:06

ilio Vedi ultimo messaggio

Nessun messaggio da leggere
Phymatodes testaceus (Linnaeus, 1758) - Cerambycidae
22.V.2011 - ITALIA - Emilia-Romagna - RE
Allegato(i) Dettagli della specie
Phymatodes testaceus (Linnaeus, 1758)
Cerambycidae


22.V.2011 - ITALIA - Emilia-Romagna - RE
Coleoptera

Mikiphasmide

4

1001

25/05/2011, 17:46

Plagionotus Vedi ultimo messaggio

Nessun messaggio da leggere
Aegomorphus clavipes (Schrank, 1781) - Cerambycidae
12.V.2011 - ITALIA - Marche - AN
Allegato(i) Dettagli della specie
Aegomorphus clavipes (Schrank, 1781)
Cerambycidae


12.V.2011 - ITALIA - Marche - AN
Coleoptera

conan

4

1649

25/05/2011, 13:12

StagBeetle Vedi ultimo messaggio

Nessun messaggio da leggere
Opsilia coerulescens (Scopoli, 1763) - Cerambycidae
22.V.2011 - ITALIA - Lazio - RM
Allegato(i) Dettagli della specie
Opsilia coerulescens (Scopoli, 1763)
Cerambycidae


22.V.2011 - ITALIA - Lazio - RM
Coleoptera

Julodis

8

1267

24/05/2011, 18:31

Plagionotus Vedi ultimo messaggio

Nessun messaggio da leggere
Stenopterus rufus rufus (Linnaeus, 1767) - Cerambycidae
21.V.2011 - ITALIA - Emilia-Romagna - RE
Allegato(i) Dettagli della specie
Stenopterus rufus rufus (Linnaeus, 1767)
Cerambycidae


21.V.2011 - ITALIA - Emilia-Romagna - RE
Coleoptera

Mikiphasmide

8

1445

24/05/2011, 14:20

Mikiphasmide Vedi ultimo messaggio

Nessun messaggio da leggere
Allegato(i) Dettagli della specie
Anaesthetis testacea testacea (Fabricius, 1781)
Cerambycidae


23.V.2011 - ITALIA - Puglia - LE
Coleoptera

Maurizio Bollino

5

1910

24/05/2011, 6:38

Xylosteus Vedi ultimo messaggio

Nessun messaggio da leggere
Callimus angulatus angulatus (Schrank, 1789) - Cerambycidae
15.V.2011 - ITALIA - Emilia-Romagna - RE
Allegato(i) Dettagli della specie
Callimus angulatus angulatus (Schrank, 1789)
Cerambycidae


15.V.2011 - ITALIA - Emilia-Romagna - RE
Coleoptera

Mikiphasmide

3

1087

23/05/2011, 21:26

Orotrechus Vedi ultimo messaggio

Nessun messaggio da leggere
Allegato(i) Dettagli della specie
Cortodera humeralis humeralis (Schaller, 1783)
Cerambycidae


30.V.2011 - ITALIA - Marche - AN
Coleoptera

Alessio89

8

1668

23/05/2011, 19:03

StagBeetle Vedi ultimo messaggio

Nessun messaggio da leggere
Anaglyptus gibbosus (Fabricius, 1787) - Cerambycidae
30.V.2011 - ITALIA - Marche - AN
Allegato(i) Dettagli della specie
Anaglyptus gibbosus (Fabricius, 1787)
Cerambycidae


30.V.2011 - ITALIA - Marche - AN
Coleoptera

Alessio89

7

1959

23/05/2011, 19:01

StagBeetle Vedi ultimo messaggio

Nessun messaggio da leggere
Alosterna tabacicolor (De Geer, 1775) - Cerambycidae
30.V.2011 - ITALIA - Marche - AN
Allegato(i) Dettagli della specie
Alosterna tabacicolor (De Geer, 1775)
Cerambycidae


30.V.2011 - ITALIA - Marche - AN
Coleoptera

Alessio89

4

1454

22/05/2011, 18:11

Julodis Vedi ultimo messaggio

Visualizza ultimi argomenti:  Ordina per  Ordine:  
nuovo argomento
Vai alla pagina Precedente  1 ... 41, 42, 43, 44, 45, 46, 47 ... 59  Prossimo
Pagina 44 di 59 [ 2928 argomenti ]

Tutti gli orari sono UTC + 1 ora [ ora legale ]


Chi c’è in linea

Visitano il forum: Nessuno e 3 ospiti


Legenda
Messaggi da leggere Messaggi da leggere Nessun messaggio da leggere Nessun messaggio da leggere Annuncio Annuncio
 
Specie indeterminata / discussione generica
Messaggi non letti [ Popolari ] Messaggi non letti [ Popolari ] Nessun messaggio da leggere [ Popolare ] Nessun messaggio da leggere [ Popolare ] Importante Importante
 
Specie determinata fino al genere o cf.
Messaggi non letti [ Bloccati ] Messaggi non letti [ Bloccati ] No messaggi non letti [ Bloccati ] No messaggi non letti [ Bloccati ] Argomento spostato Argomento spostato
 
Specie correttamente determinata
Permessi
Non puoi aprire nuovi argomenti
Non puoi rispondere negli argomenti
Non puoi modificare i tuoi messaggi
Non puoi cancellare i tuoi messaggi
Non puoi inviare allegati

Cerca per:
Vai a: