Benvenuto Ospite

Forum Entomologi Italiani

www.entomologiitaliani.net/forum
 
Oggi è 08/11/2025, 16:57

Tutti gli orari sono UTC + 1 ora [ ora legale ]


92% 
2927 taxa correttamente determinati su 3178 presenti in archivio

Cerambycidae


[ AFROTROPICALE ] [ ANTARTICO ] [ AUSTRALASIANO ] [ NEARTICO ] [ NEOTROPICALE ] [ ORIENTALE ] [ PALEARTICO ]


nuovo argomento
Vai alla pagina Precedente  1 ... 43, 44, 45, 46, 47, 48, 49 ... 103  Prossimo
Pagina 46 di 103 [ 5103 argomenti ]
 Argomenti   Ordine   Autore   Risposte   Visite    Ultimo messaggio 
Annunci
Nessun messaggio da leggere
Allegato(i)
Incontri entomologici telematici organizzati dalla Società Entomologica Italiana nel 2022 e nel 2023

[ Vai alla paginaVai alla pagina: 1, 2, 3 ]

 

Velvet Ant

44

1429469

03/03/2023, 15:55

Velvet Ant Vedi ultimo messaggio

Nessun messaggio da leggere  
Allegato(i)
Sondaggio sul declino dell'entomofauna in Italia

[ Vai alla paginaVai alla pagina: 1, 2, 3, 4 ]

 

Velvet Ant

52

1757372

22/10/2022, 19:18

Acquarius Vedi ultimo messaggio

Nessun messaggio da leggere  
Allegato(i)
Progetto: Bibliografia ragionata dei lavori entomologici nei quali sono citati reperti apparsi su FEI

[ Vai alla paginaVai alla pagina: 1, 2, 3 ]

 

Velvet Ant

33

1170456

06/07/2023, 18:31

Orotrechus Vedi ultimo messaggio

Nessun messaggio da leggere
Allegato(i)
Mimesi, il primo documentario cinematografico sull’entomologia in Italia: casting
 

mazzeip

1

456884

28/02/2019, 20:26

mazzeip Vedi ultimo messaggio

Questo argomento è bloccato, non puoi modificare o inviare ulteriori messaggi.
Allegato(i)
ISTRUZIONI PUBBLICAZIONE NUOVI ARGOMENTI E FOTO

 
Altri Ordini di Insetti

Julodis

4

906170

13/05/2015, 19:37

Julodis Vedi ultimo messaggio

Nessun messaggio da leggere
Allegato(i)
Limitatore giornaliero di messaggi, uno strumento utile e ormai indispensabile

[ Vai alla paginaVai alla pagina: 1 ... 14, 15, 16 ]

 

Velvet Ant

233

8828806

25/09/2014, 14:31

Inachis Vedi ultimo messaggio

Nessun messaggio da leggere  
NORME PER I COLLABORATORI DEL FORUM

 
 

Velvet Ant

0

478840

02/06/2011, 12:05

Velvet Ant Vedi ultimo messaggio

Nessun messaggio da leggere
Allegato(i)
NORME PER GLI UTENTI DEL FORUM

[ Vai alla paginaVai alla pagina: 1, 2, 3 ]



 
 

Velvet Ant

30

2345632

23/09/2014, 23:54

Maurizio Bollino Vedi ultimo messaggio

Questo argomento è bloccato, non puoi modificare o inviare ulteriori messaggi.  
Elenco delle specie italiane di Cerambycidae presenti sul forum
Cerambycidae


 
Coleoptera

Plagionotus

0

5996

22/11/2010, 22:28

Plagionotus Vedi ultimo messaggio

Nessun messaggio da leggere  
Lista degli utenti del "Forum entomologi italiani" per campi di interesse e specializzazione

 
Altri Ordini di Insetti

Velvet Ant

13

944183

07/09/2023, 17:14

Roberto-07 Vedi ultimo messaggio

Argomenti
Nessun messaggio da leggere
Allegato(i) Dettagli della specie
Chlorophorus varius varius (O. F. Müller, 1766)
Cerambycidae


20.VI.2011 - ITALIA - Veneto - VE
Coleoptera

ghebo

4

1107

10/12/2013, 18:48

ghebo Vedi ultimo messaggio

Nessun messaggio da leggere
Chlorophorus glabromaculatus (Goeze, 1777) - Cerambycidae
12.VIII.1980 - ITALIA - Veneto - VE
Allegato(i) Dettagli della specie
Chlorophorus glabromaculatus (Goeze, 1777)
Cerambycidae


12.VIII.1980 - ITALIA - Veneto - VE
Coleoptera

ghebo

5

1307

10/12/2013, 18:46

ghebo Vedi ultimo messaggio

Nessun messaggio da leggere
Trichoferus pallidus (Olivier, 1790) - Cerambycidae
30.VII.2013 - ITALIA - Toscana - SI
Allegato(i) Dettagli della specie
Trichoferus pallidus (Olivier, 1790)
Cerambycidae


30.VII.2013 - ITALIA - Toscana - SI
Coleoptera

Anillus

13

2865

10/12/2013, 15:52

Plagionotus Vedi ultimo messaggio

Nessun messaggio da leggere
Phoracantha recurva Newman, 1840 - Cerambycidae
5.XII.2013 - ITALIA - Toscana - PI
Allegato(i) Dettagli della specie
Phoracantha recurva Newman, 1840
Cerambycidae


5.XII.2013 - ITALIA - Toscana - PI
Coleoptera

baratti48

2

1042

09/12/2013, 22:19

Entomarci Vedi ultimo messaggio

Nessun messaggio da leggere
Chlorophorus glabromaculatus (Goeze, 1777) - Cerambycidae
29.VII.2010 - ITALIA - Toscana - LU
Allegato(i) Dettagli della specie
Chlorophorus glabromaculatus (Goeze, 1777)
Cerambycidae


29.VII.2010 - ITALIA - Toscana - LU
Coleoptera

Rafał Celadyn

2

960

06/12/2013, 0:35

Rafał Celadyn Vedi ultimo messaggio

Nessun messaggio da leggere
Icosium tomentosum tomentosum Lucas, 1854 - Cerambycidae
19.VII.2013 - ITALIA - Sardegna - SS
Allegato(i) Dettagli della specie
Icosium tomentosum tomentosum Lucas, 1854
Cerambycidae


19.VII.2013 - ITALIA - Sardegna - SS
Coleoptera

Semanotus

10

1941

29/11/2013, 9:25

Entomarci Vedi ultimo messaggio

Nessun messaggio da leggere
Musaria tirellii (Luigioni, 1913) - Cerambycidae
30.VI.2006 - ITALIA - Abruzzo - AQ
Allegato(i) Dettagli della specie
Musaria tirellii (Luigioni, 1913)
Cerambycidae


30.VI.2006 - ITALIA - Abruzzo - AQ
Coleoptera

Julodis

0

725

24/11/2013, 19:27

Julodis Vedi ultimo messaggio

Nessun messaggio da leggere
Herophila tristis tristis (Linnaeus, 1767) - Cerambycidae
17.I.2011 - ITALIA - Toscana - LU
Allegato(i) Dettagli della specie
Herophila tristis tristis (Linnaeus, 1767)
Cerambycidae


17.I.2011 - ITALIA - Toscana - LU
Coleoptera

Rafał Celadyn

2

924

23/11/2013, 11:58

Rafał Celadyn Vedi ultimo messaggio

Nessun messaggio da leggere
Allegato(i)
Dorcadion (Pedestredorcadion) karamanense Oezdikmen & Koçak, 2013 - Cerambycidae

20.VI.2011 - TURCHIA - EE
Coleoptera

ozgur70

3

1069

21/11/2013, 19:38

zdeno Vedi ultimo messaggio

Nessun messaggio da leggere
Allegato(i) Dettagli della specie
Dorcadion (Pedestredorcadion) arenarium marsicanum Fracassi, 1905
Cerambycidae


22.VI.2013 - ITALIA - Emilia-Romagna - RA
Coleoptera

marco villa

4

1118

21/11/2013, 16:23

marco villa Vedi ultimo messaggio

Nessun messaggio da leggere
Paracorymbia fulva (De Geer, 1775) - Cerambycidae
25.VI.2013 - ITALIA - Lazio - VT
Allegato(i) Dettagli della specie
Paracorymbia fulva (De Geer, 1775)
Cerambycidae


25.VI.2013 - ITALIA - Lazio - VT
Coleoptera

Andricus

2

834

15/11/2013, 14:05

Andricus Vedi ultimo messaggio

Nessun messaggio da leggere
Stenopterus rufus rufus (Linnaeus, 1767) - Cerambycidae
25.VI.2013 - ITALIA - Lazio - VT
Allegato(i) Dettagli della specie
Stenopterus rufus rufus (Linnaeus, 1767)
Cerambycidae


25.VI.2013 - ITALIA - Lazio - VT
Coleoptera

Andricus

0

610

15/11/2013, 11:26

Andricus Vedi ultimo messaggio

Nessun messaggio da leggere
Allegato(i) Dettagli della specie
Trichoferus fasciculatus fasciculatus (Faldermann, 1837)
Cerambycidae


ITALIA - Sicilia - TP
Coleoptera

Sakazaky

3

971

08/11/2013, 1:43

Sakazaky Vedi ultimo messaggio

Nessun messaggio da leggere
Allegato(i) Dettagli della specie
Gaurotes (Carilia) virginea (Linnaeus, 1758)
Cerambycidae

[ Vai alla paginaVai alla pagina: 1, 2 ]



31.VII.2003 - SLOVACCHIA - EE
Coleoptera

StagBeetle

15

3348

29/10/2013, 23:09

marco villa Vedi ultimo messaggio

Nessun messaggio da leggere
Allegato(i)
Cortodera colchica Reitter, 1890 - Cerambycidae

6.VI.1998 - TURCHIA - EE
Coleoptera

StagBeetle

7

1300

29/10/2013, 0:54

Maurizio Bollino Vedi ultimo messaggio

Nessun messaggio da leggere
Allegato(i)
Callimoxys gracilis (Brullè, 1832) - Cerambycidae

V.1985 - GRECIA - EE
Coleoptera

StagBeetle

1

601

28/10/2013, 10:42

Daniele Sechi Vedi ultimo messaggio

Nessun messaggio da leggere
Allegato(i)
Cortodera umbripennis Reitter, 1890 - Cerambycidae

6.VI.1998 - TURCHIA - EE
Coleoptera

StagBeetle

0

492

28/10/2013, 9:42

StagBeetle Vedi ultimo messaggio

Nessun messaggio da leggere
Pseudovadonia livida livida (Fabricius, 1777) - Cerambycidae
11.VII.2013 - ITALIA - Lombardia - PV
Allegato(i) Dettagli della specie
Pseudovadonia livida livida (Fabricius, 1777)
Cerambycidae


11.VII.2013 - ITALIA - Lombardia - PV
Coleoptera

PAOLO BIELLA

2

743

26/10/2013, 15:38

PAOLO BIELLA Vedi ultimo messaggio

Nessun messaggio da leggere
Paracorymbia fulva (De Geer, 1775) - Cerambycidae
8.VIII.2013 - GEORGIA - EE
Allegato(i) Dettagli della specie
Paracorymbia fulva (De Geer, 1775)
Cerambycidae


8.VIII.2013 - GEORGIA - EE
Coleoptera

Broc

4

1229

24/10/2013, 15:38

Broc Vedi ultimo messaggio

Nessun messaggio da leggere
Allegato(i) Dettagli della specie
Chlorophorus varius varius (O. F. Müller, 1766)
Cerambycidae


8.VIII.2013 - GEORGIA - EE
Coleoptera

Broc

4

967

22/10/2013, 16:09

Broc Vedi ultimo messaggio

Nessun messaggio da leggere
Allegato(i)
Theophilea subcylindricollis Hladil, 1988 - Cerambycidae
Cerambycidae


17.V.2009 - UNGHERIA - EE
Coleoptera

StagBeetle

2

558

21/10/2013, 13:22

StagBeetle Vedi ultimo messaggio

Nessun messaggio da leggere
Cyrtoclytus capra (Germar, 1824) - Cerambycidae
26.VII.1999 - SLOVACCHIA - EE
Allegato(i)
Cyrtoclytus capra (Germar, 1824) - Cerambycidae
Cerambycidae


26.VII.1999 - SLOVACCHIA - EE
Coleoptera

StagBeetle

3

575

21/10/2013, 13:17

StagBeetle Vedi ultimo messaggio

Nessun messaggio da leggere
Allegato(i)
Rutpela maculata maculata (Poda, 1761) (cf.) - Cerambycidae

31.VII.2013 - GEORGIA - EE
Coleoptera

Broc

2

564

20/10/2013, 22:48

Broc Vedi ultimo messaggio

Nessun messaggio da leggere
Allegato(i)
Monochamus galloprovincialis (Olivier, 1795) - Cerambycidae Lamiinae

6.VII.2013 - SPAGNA - EE
Coleoptera

Isidro

2

493

20/10/2013, 17:50

Isidro Vedi ultimo messaggio

Nessun messaggio da leggere
Allegato(i)
Agapanthia viti Rapuzzi & Sama, 2012 - Cerambycidae
Cerambycidae


IV.2009 - UNGHERIA - EE
Coleoptera

StagBeetle

1

721

19/10/2013, 22:59

Xylosteus Vedi ultimo messaggio

Nessun messaggio da leggere
Allegato(i)
Morimus asper verecundus (Faldermann, 1836) - Cerambycidae
Cerambycidae


31.VII.2013 - GEORGIA - EE
Coleoptera

Broc

4

716

19/10/2013, 22:01

Julodis Vedi ultimo messaggio

Nessun messaggio da leggere
Rhaesus serricollis (Motschulsky, 1838)
26.VII.2013 - GEORGIA - EE
Allegato(i)
Rhaesus serricollis (Motschulsky, 1838)
Cerambycidae


26.VII.2013 - GEORGIA - EE
Coleoptera

Broc

5

1203

19/10/2013, 21:52

Broc Vedi ultimo messaggio

Nessun messaggio da leggere
Allegato(i)
Agapanthiola leucaspis (Steven 1817) - Cerambycidae Lamiinae Agapanthiini
Cerambycidae


7.VI.2008 - GRECIA - EE
Coleoptera

StagBeetle

1

645

19/10/2013, 20:08

Andricus Vedi ultimo messaggio

Nessun messaggio da leggere
Allegato(i) Dettagli della specie
Rosalia (Rosalia) alpina alpina (Linnaeus, 1758)
Cerambycidae


31.VII.2013 - GEORGIA - EE
Coleoptera

Broc

3

1229

18/10/2013, 22:38

Julodis Vedi ultimo messaggio

Nessun messaggio da leggere
Poecilium lividum (Rossi, 1794) - Cerambycidae
8.V.2013 - ITALIA - Toscana - LI
Allegato(i) Dettagli della specie
Poecilium lividum (Rossi, 1794)
Cerambycidae


8.V.2013 - ITALIA - Toscana - LI
Coleoptera

StagBeetle

2

1069

18/10/2013, 19:35

Daniele Maccapani Vedi ultimo messaggio

Nessun messaggio da leggere
Acanthocinus griseus (Fabricius, 1792) - Cerambycidae
V.2008 - REPUBBLICA CECA - EE
Allegato(i) Dettagli della specie
Acanthocinus griseus (Fabricius, 1792)
Cerambycidae


V.2008 - REPUBBLICA CECA - EE
Coleoptera

StagBeetle

0

1047

17/10/2013, 22:35

StagBeetle Vedi ultimo messaggio

Nessun messaggio da leggere
Allegato(i) Dettagli della specie
Callidium aeneum (De Geer, 1775)
Cerambycidae


V.1980 - AUSTRIA - EE
Coleoptera

StagBeetle

0

1071

17/10/2013, 22:22

StagBeetle Vedi ultimo messaggio

Nessun messaggio da leggere
Allegato(i) Dettagli della specie
Dorcadion (Pedestredorcadion) arenarium marsicanum Fracassi, 1905
Cerambycidae


26.V.1998 - ITALIA - Umbria - PG
Coleoptera

MARIO LUNA

5

1504

16/10/2013, 16:48

MARIO LUNA Vedi ultimo messaggio

Nessun messaggio da leggere
Allegato(i) Dettagli della specie
Dorcadion (Pedestredorcadion) arenarium marsicanum Fracassi, 1905
Cerambycidae


10.V.1992 - ITALIA - Umbria - PG
Coleoptera

MARIO LUNA

2

1067

16/10/2013, 16:47

MARIO LUNA Vedi ultimo messaggio

Nessun messaggio da leggere
Chlorophorus figuratus (Scopoli, 1763) - Cerambycidae
25.VI.1998 - ITALIA - Umbria - PG
Allegato(i) Dettagli della specie
Chlorophorus figuratus (Scopoli, 1763)
Cerambycidae


25.VI.1998 - ITALIA - Umbria - PG
Coleoptera

MARIO LUNA

5

1570

16/10/2013, 16:45

MARIO LUNA Vedi ultimo messaggio

Nessun messaggio da leggere
Alosterna tabacicolor (De Geer, 1775) - Cerambycidae
18.VI.2005 - ITALIA - Umbria - PG
Allegato(i) Dettagli della specie
Alosterna tabacicolor (De Geer, 1775)
Cerambycidae


18.VI.2005 - ITALIA - Umbria - PG
Coleoptera

MARIO LUNA

2

1226

16/10/2013, 16:33

MARIO LUNA Vedi ultimo messaggio

Nessun messaggio da leggere
Phytoecia virgula (Charpentier, 1825) - Cerambycidae
29.V.2010 - ITALIA - Umbria - PG
Allegato(i) Dettagli della specie
Phytoecia virgula (Charpentier, 1825)
Cerambycidae


29.V.2010 - ITALIA - Umbria - PG
Coleoptera

MARIO LUNA

3

1138

16/10/2013, 16:20

MARIO LUNA Vedi ultimo messaggio

Nessun messaggio da leggere
Allegato(i) Dettagli della specie
Phytoecia pustulata pustulata (Schrank, 1776)
Cerambycidae


30.V.1999 - ITALIA - Umbria - PG
Coleoptera

MARIO LUNA

4

1375

16/10/2013, 16:19

MARIO LUNA Vedi ultimo messaggio

Nessun messaggio da leggere
Pachytodes erraticus erraticus (Dalman, 1817) - Cerambycidae
16.VI.1997 - ITALIA - Umbria - PG
Allegato(i) Dettagli della specie
Pachytodes erraticus erraticus (Dalman, 1817)
Cerambycidae


16.VI.1997 - ITALIA - Umbria - PG
Coleoptera

MARIO LUNA

2

930

16/10/2013, 15:16

MARIO LUNA Vedi ultimo messaggio

Nessun messaggio da leggere
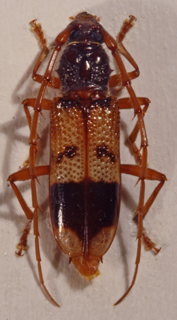
Psalidognathus sp. - Cerambycidae
X.2007 - PERU - EE
Allegato(i)
Psalidognathus sp. - Cerambycidae

X.2007 - PERU - EE
Coleoptera

Diablo

4

1119

16/10/2013, 12:05

Diablo Vedi ultimo messaggio

Nessun messaggio da leggere
Brachyta interrogationis (Linnaeus, 1758) - Cerambycidae
23.VII.2013 - ITALIA - Trentino-Alto Adige - BZ
Allegato(i) Dettagli della specie
Brachyta interrogationis (Linnaeus, 1758)
Cerambycidae


23.VII.2013 - ITALIA - Trentino-Alto Adige - BZ
Coleoptera

Semanotus

7

1417

14/10/2013, 15:37

Julodis Vedi ultimo messaggio

Nessun messaggio da leggere
Stenopterus ater (Linnaeus, 1767) - Cerambycidae
14.VI.2005 - ITALIA - Umbria - PG
Allegato(i) Dettagli della specie
Stenopterus ater (Linnaeus, 1767)
Cerambycidae


14.VI.2005 - ITALIA - Umbria - PG
Coleoptera

MARIO LUNA

2

841

14/10/2013, 7:59

MARIO LUNA Vedi ultimo messaggio

Nessun messaggio da leggere
Paracorymbia fulva (De Geer, 1775) - Cerambycidae
16.VII.1992 - ITALIA - Umbria - PG
Allegato(i) Dettagli della specie
Paracorymbia fulva (De Geer, 1775)
Cerambycidae


16.VII.1992 - ITALIA - Umbria - PG
Coleoptera

MARIO LUNA

2

723

13/10/2013, 19:02

MARIO LUNA Vedi ultimo messaggio

Nessun messaggio da leggere
Allegato(i) Dettagli della specie
Stictoleptura cordigera cordigera (Fuessly, 1775)
Cerambycidae


7.VII.2007 - ITALIA - Umbria - PG
Coleoptera

MARIO LUNA

3

801

13/10/2013, 18:49

MARIO LUNA Vedi ultimo messaggio

Nessun messaggio da leggere
Plagionotus arcuatus (Linnaeus, 1758) - Cerambycidae
8.VI.2004 - ITALIA - Umbria - PG
Allegato(i) Dettagli della specie
Plagionotus arcuatus (Linnaeus, 1758)
Cerambycidae


8.VI.2004 - ITALIA - Umbria - PG
Coleoptera

MARIO LUNA

2

842

11/10/2013, 22:37

MARIO LUNA Vedi ultimo messaggio

Nessun messaggio da leggere
Plagionotus floralis (Pallas, 1773) - Cerambycidae
31.VII.2007 - ITALIA - Umbria - PG
Allegato(i) Dettagli della specie
Plagionotus floralis (Pallas, 1773)
Cerambycidae


31.VII.2007 - ITALIA - Umbria - PG
Coleoptera

MARIO LUNA

4

1003

11/10/2013, 22:34

MARIO LUNA Vedi ultimo messaggio

Nessun messaggio da leggere
Pseudovadonia livida livida (Fabricius, 1777) - Cerambycidae
16.VII.1992 - ITALIA - Umbria - PG
Allegato(i) Dettagli della specie
Pseudovadonia livida livida (Fabricius, 1777)
Cerambycidae


16.VII.1992 - ITALIA - Umbria - PG
Coleoptera

MARIO LUNA

3

802

10/10/2013, 21:54

MARIO LUNA Vedi ultimo messaggio

Nessun messaggio da leggere
Clytus arietis arietis (Linnaeus, 1758) - Cerambycidae
7.VI.2001 - ITALIA - Umbria - PG
Allegato(i) Dettagli della specie
Clytus arietis arietis (Linnaeus, 1758)
Cerambycidae


7.VI.2001 - ITALIA - Umbria - PG
Coleoptera

MARIO LUNA

2

728

09/10/2013, 22:13

MARIO LUNA Vedi ultimo messaggio

Nessun messaggio da leggere
Clytus rhamni Germar, 1817 - Cerambycidae
18.VI.2006 - ITALIA - Umbria - PG
Allegato(i) Dettagli della specie
Clytus rhamni Germar, 1817
Cerambycidae


18.VI.2006 - ITALIA - Umbria - PG
Coleoptera

MARIO LUNA

2

893

09/10/2013, 22:10

MARIO LUNA Vedi ultimo messaggio

Nessun messaggio da leggere
Allegato(i) Dettagli della specie
Agapanthia (Epoptes) sicula malmerendii Sama, 1981
Cerambycidae


17.VI.1998 - ITALIA - Umbria - PG
Coleoptera

MARIO LUNA

2

995

08/10/2013, 22:12

MARIO LUNA Vedi ultimo messaggio

Visualizza ultimi argomenti:  Ordina per  Ordine:  
nuovo argomento
Vai alla pagina Precedente  1 ... 43, 44, 45, 46, 47, 48, 49 ... 103  Prossimo
Pagina 46 di 103 [ 5103 argomenti ]

Tutti gli orari sono UTC + 1 ora [ ora legale ]


Chi c’è in linea

Visitano il forum: Nessuno e 1 ospite


Legenda
Messaggi da leggere Messaggi da leggere Nessun messaggio da leggere Nessun messaggio da leggere Annuncio Annuncio
 
Specie indeterminata / discussione generica
Messaggi non letti [ Popolari ] Messaggi non letti [ Popolari ] Nessun messaggio da leggere [ Popolare ] Nessun messaggio da leggere [ Popolare ] Importante Importante
 
Specie determinata fino al genere o cf.
Messaggi non letti [ Bloccati ] Messaggi non letti [ Bloccati ] No messaggi non letti [ Bloccati ] No messaggi non letti [ Bloccati ] Argomento spostato Argomento spostato
 
Specie correttamente determinata
Permessi
Non puoi aprire nuovi argomenti
Non puoi rispondere negli argomenti
Non puoi modificare i tuoi messaggi
Non puoi cancellare i tuoi messaggi
Non puoi inviare allegati

Cerca per:
Vai a: