Benvenuto Ospite

Forum Entomologi Italiani

www.entomologiitaliani.net/forum
 
Oggi è 09/11/2025, 12:40

Tutti gli orari sono UTC + 1 ora [ ora legale ]


92% 
2927 taxa correttamente determinati su 3178 presenti in archivio

Cerambycidae


[ AFROTROPICALE ] [ ANTARTICO ] [ AUSTRALASIANO ] [ NEARTICO ] [ NEOTROPICALE ] [ ORIENTALE ] [ PALEARTICO ]


nuovo argomento
Vai alla pagina Precedente  1 ... 45, 46, 47, 48, 49, 50, 51 ... 103  Prossimo
Pagina 48 di 103 [ 5103 argomenti ]
 Argomenti   Ordine   Autore   Risposte   Visite    Ultimo messaggio 
Annunci
Nessun messaggio da leggere
Allegato(i)
Incontri entomologici telematici organizzati dalla Società Entomologica Italiana nel 2022 e nel 2023

[ Vai alla paginaVai alla pagina: 1, 2, 3 ]

 

Velvet Ant

44

1430922

03/03/2023, 15:55

Velvet Ant Vedi ultimo messaggio

Nessun messaggio da leggere  
Allegato(i)
Sondaggio sul declino dell'entomofauna in Italia

[ Vai alla paginaVai alla pagina: 1, 2, 3, 4 ]

 

Velvet Ant

52

1759198

22/10/2022, 19:18

Acquarius Vedi ultimo messaggio

Nessun messaggio da leggere  
Allegato(i)
Progetto: Bibliografia ragionata dei lavori entomologici nei quali sono citati reperti apparsi su FEI

[ Vai alla paginaVai alla pagina: 1, 2, 3 ]

 

Velvet Ant

33

1171710

06/07/2023, 18:31

Orotrechus Vedi ultimo messaggio

Nessun messaggio da leggere
Allegato(i)
Mimesi, il primo documentario cinematografico sull’entomologia in Italia: casting
 

mazzeip

1

457353

28/02/2019, 20:26

mazzeip Vedi ultimo messaggio

Questo argomento è bloccato, non puoi modificare o inviare ulteriori messaggi.
Allegato(i)
ISTRUZIONI PUBBLICAZIONE NUOVI ARGOMENTI E FOTO

 
Altri Ordini di Insetti

Julodis

4

913953

13/05/2015, 19:37

Julodis Vedi ultimo messaggio

Nessun messaggio da leggere
Allegato(i)
Limitatore giornaliero di messaggi, uno strumento utile e ormai indispensabile

[ Vai alla paginaVai alla pagina: 1 ... 14, 15, 16 ]

 

Velvet Ant

233

8836512

25/09/2014, 14:31

Inachis Vedi ultimo messaggio

Nessun messaggio da leggere  
NORME PER I COLLABORATORI DEL FORUM

 
 

Velvet Ant

0

478957

02/06/2011, 12:05

Velvet Ant Vedi ultimo messaggio

Nessun messaggio da leggere
Allegato(i)
NORME PER GLI UTENTI DEL FORUM

[ Vai alla paginaVai alla pagina: 1, 2, 3 ]



 
 

Velvet Ant

30

2346712

23/09/2014, 23:54

Maurizio Bollino Vedi ultimo messaggio

Questo argomento è bloccato, non puoi modificare o inviare ulteriori messaggi.  
Elenco delle specie italiane di Cerambycidae presenti sul forum
Cerambycidae


 
Coleoptera

Plagionotus

0

5999

22/11/2010, 22:28

Plagionotus Vedi ultimo messaggio

Nessun messaggio da leggere  
Lista degli utenti del "Forum entomologi italiani" per campi di interesse e specializzazione

 
Altri Ordini di Insetti

Velvet Ant

13

944733

07/09/2023, 17:14

Roberto-07 Vedi ultimo messaggio

Argomenti
Nessun messaggio da leggere
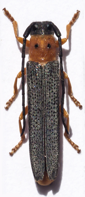
Poecilium fasciatum (Villers, 1789) - Cerambycidae
10.V.2009 - ITALIA - Lombardia - BG
Allegato(i) Dettagli della specie
Poecilium fasciatum (Villers, 1789)
Cerambycidae


10.V.2009 - ITALIA - Lombardia - BG
Coleoptera

nicoletta

2

1040

06/09/2013, 21:32

nicoletta Vedi ultimo messaggio

Nessun messaggio da leggere
Allegato(i) Dettagli della specie
Cortodera humeralis humeralis (Schaller, 1783)
Cerambycidae


27.V.1999 - ITALIA - Umbria - PG
Coleoptera

MARIO LUNA

2

913

06/09/2013, 21:01

MARIO LUNA Vedi ultimo messaggio

Nessun messaggio da leggere
Pogonocherus hispidulus (Piller & Mitterpacher, 1783) - Cerambycidae
15.VIII.2013 - ITALIA - Valle d'Aosta - AO
Allegato(i) Dettagli della specie
Pogonocherus hispidulus (Piller & Mitterpacher, 1783)
Cerambycidae


15.VIII.2013 - ITALIA - Valle d'Aosta - AO
Coleoptera

hectorinus

2

1000

06/09/2013, 17:24

michele.carraretto Vedi ultimo messaggio

Nessun messaggio da leggere
Evodinus clathratus (Fabricius, 1792) - Cerambycidae
26.VI.1998 - ITALIA - Umbria - PG
Allegato(i) Dettagli della specie
Evodinus clathratus (Fabricius, 1792)
Cerambycidae


26.VI.1998 - ITALIA - Umbria - PG
Coleoptera

MARIO LUNA

9

1806

05/09/2013, 19:10

Julodis Vedi ultimo messaggio

Nessun messaggio da leggere
Saperda carcharias (Linnaeus, 1758) - Cerambycidae
2.IX.2013 - ITALIA - Veneto - TV
Allegato(i) Dettagli della specie
Saperda carcharias (Linnaeus, 1758)
Cerambycidae


2.IX.2013 - ITALIA - Veneto - TV
Coleoptera

Max Foley

5

1476

04/09/2013, 18:50

hypotyphlus Vedi ultimo messaggio

Nessun messaggio da leggere
Acanthocinus griseus (Fabricius, 1792) - Cerambycidae
14.VI.1999 - ITALIA - Umbria - PG
Allegato(i) Dettagli della specie
Acanthocinus griseus (Fabricius, 1792)
Cerambycidae


14.VI.1999 - ITALIA - Umbria - PG
Coleoptera

MARIO LUNA

3

1905

04/09/2013, 0:15

MARIO LUNA Vedi ultimo messaggio

Nessun messaggio da leggere
Aegomorphus clavipes (Schrank, 1781) - Cerambycidae
VII.2013 - ITALIA - Lazio - RM
Allegato(i) Dettagli della specie
Aegomorphus clavipes (Schrank, 1781)
Cerambycidae


VII.2013 - ITALIA - Lazio - RM
Coleoptera

Julodis

4

1654

03/09/2013, 22:13

f.izzillo Vedi ultimo messaggio

Nessun messaggio da leggere
Anisorus quercus quercus (Götz, 1783) - Cerambycidae
25.VI.1998 - ITALIA - Umbria - PG
Allegato(i) Dettagli della specie
Anisorus quercus quercus (Götz, 1783)
Cerambycidae


25.VI.1998 - ITALIA - Umbria - PG
Coleoptera

MARIO LUNA

5

1824

03/09/2013, 12:20

Tc70 Vedi ultimo messaggio

Nessun messaggio da leggere
Musaria affinis nigrohirta (G. Müller, 1948) - Cerambycidae
20.VI.1995 - ITALIA - Umbria - PG
Allegato(i) Dettagli della specie
Musaria affinis nigrohirta (G. Müller, 1948)
Cerambycidae


20.VI.1995 - ITALIA - Umbria - PG
Coleoptera

MARIO LUNA

2

1236

31/08/2013, 17:47

MARIO LUNA Vedi ultimo messaggio

Nessun messaggio da leggere
Aegosoma scabricorne (Scopoli, 1763) - Cerambycidae
10.VII.1998 - ITALIA - Umbria - PG
Allegato(i) Dettagli della specie
Aegosoma scabricorne (Scopoli, 1763)
Cerambycidae


10.VII.1998 - ITALIA - Umbria - PG
Coleoptera

MARIO LUNA

3

1233

31/08/2013, 17:40

MARIO LUNA Vedi ultimo messaggio

Nessun messaggio da leggere
Monochamus sutor sutor (Linnaeus, 1758) - Cerambycidae
17.VIII.2013 - ITALIA - Veneto - BL
Allegato(i) Dettagli della specie
Monochamus sutor sutor (Linnaeus, 1758)
Cerambycidae


17.VIII.2013 - ITALIA - Veneto - BL
Coleoptera

Jacopo

2

1086

30/08/2013, 23:44

Jacopo Vedi ultimo messaggio

Nessun messaggio da leggere
Aegosoma scabricorne (Scopoli, 1763) - Cerambycidae
28.VIII.2013 - ITALIA - Emilia-Romagna - RE
Allegato(i) Dettagli della specie
Aegosoma scabricorne (Scopoli, 1763)
Cerambycidae


28.VIII.2013 - ITALIA - Emilia-Romagna - RE
Coleoptera

Mikiphasmide

14

4054

30/08/2013, 17:16

Mikiphasmide Vedi ultimo messaggio

Nessun messaggio da leggere
Allegato(i) Dettagli della specie
Xylotrechus (Xylotrechus) stebbingi Gahan, 1906
Cerambycidae


VI.2013 - ITALIA - Sicilia - PA
Coleoptera

Sakazaky

1

1104

30/08/2013, 16:22

Trichoferus Vedi ultimo messaggio

Nessun messaggio da leggere
Oberea (Oberea) oculata (Linnaeus, 1758) - Cerambycidae
17.VII.1999 - ITALIA - Umbria - PG
Allegato(i) Dettagli della specie
Oberea (Oberea) oculata (Linnaeus, 1758)
Cerambycidae


17.VII.1999 - ITALIA - Umbria - PG
Coleoptera

MARIO LUNA

1

934

30/08/2013, 8:15

Entomarci Vedi ultimo messaggio

Nessun messaggio da leggere
Anaglyptus mysticus (Linnaeus, 1758) - Cerambycidae
20.VI.1995 - ITALIA - Umbria - PG
Allegato(i) Dettagli della specie
Anaglyptus mysticus (Linnaeus, 1758)
Cerambycidae


20.VI.1995 - ITALIA - Umbria - PG
Coleoptera

MARIO LUNA

0

783

30/08/2013, 0:35

MARIO LUNA Vedi ultimo messaggio

Nessun messaggio da leggere
Allegato(i) Dettagli della specie
Xylotrechus (Xylotrechus) stebbingi Gahan, 1906
Cerambycidae


12.VII.1995 - ITALIA - Umbria - PG
Coleoptera

MARIO LUNA

4

1243

29/08/2013, 21:29

MARIO LUNA Vedi ultimo messaggio

Nessun messaggio da leggere
Xylotrechus (Xylotrechus) stebbingi Gahan, 1906 - Cerambycidae
22.V.2013 - ITALIA - Emilia-Romagna - RE
Allegato(i) Dettagli della specie
Xylotrechus (Xylotrechus) stebbingi Gahan, 1906
Cerambycidae


22.V.2013 - ITALIA - Emilia-Romagna - RE
Coleoptera

Mikiphasmide

7

1734

29/08/2013, 17:57

Mikiphasmide Vedi ultimo messaggio

Nessun messaggio da leggere
Allegato(i) Dettagli della specie
Trichoferus fasciculatus fasciculatus (Faldermann, 1837)
Cerambycidae


15.VIII.2013 - ITALIA - Marche - AN
Coleoptera

StagBeetle

3

1226

28/08/2013, 19:10

Xylosteus Vedi ultimo messaggio

Nessun messaggio da leggere
Stictoleptura scutellata melas (Lucas, 1849) - Cerambycidae
6.VII.2013 - ITALIA - Sicilia - PA
Allegato(i) Dettagli della specie
Stictoleptura scutellata melas (Lucas, 1849)
Cerambycidae


6.VII.2013 - ITALIA - Sicilia - PA
Coleoptera

carabus

2

1602

27/08/2013, 22:24

Lucanus tetraodon Vedi ultimo messaggio

Nessun messaggio da leggere
Morimus asper asper (Sulzer, 1776) - Cerambycidae
24.VIII.2013 - ITALIA - Campania - SA
Allegato(i) Dettagli della specie
Morimus asper asper (Sulzer, 1776)
Cerambycidae


24.VIII.2013 - ITALIA - Campania - SA
Coleoptera

Enzo.C

0

793

27/08/2013, 9:24

Enzo.C Vedi ultimo messaggio

Nessun messaggio da leggere
Morimus asper asper (Sulzer, 1776) - Cerambycidae
24.VIII.2013 - ITALIA - Umbria - TR
Allegato(i) Dettagli della specie
Morimus asper asper (Sulzer, 1776)
Cerambycidae


24.VIII.2013 - ITALIA - Umbria - TR
Coleoptera

Andricus

0

817

26/08/2013, 20:51

Andricus Vedi ultimo messaggio

Nessun messaggio da leggere
Prinobius myardi myardi Mulsant, 1842 - Cerambycidae
16.VIII.2013 - ITALIA - Sardegna - CA
Allegato(i) Dettagli della specie
Prinobius myardi myardi Mulsant, 1842
Cerambycidae


16.VIII.2013 - ITALIA - Sardegna - CA
Coleoptera

Federico A.

11

2952

26/08/2013, 20:31

Federico A. Vedi ultimo messaggio

Nessun messaggio da leggere
Morimus asper asper (Sulzer, 1776) - Cerambycidae
19.VIII.2013 - ITALIA - Campania - SA
Allegato(i) Dettagli della specie
Morimus asper asper (Sulzer, 1776)
Cerambycidae


19.VIII.2013 - ITALIA - Campania - SA
Coleoptera

frangrav

8

3727

23/08/2013, 16:10

Julodis Vedi ultimo messaggio

Nessun messaggio da leggere
Allegato(i)
Chlorophorus glaucus (Fabricius, 1781) e Chlorophorus glabromaculatus (Goeze, 1777) - Cerambycidae

[ Vai alla paginaVai alla pagina: 1, 2 ]



 
Coleoptera

Isotomus

28

10046

22/08/2013, 23:57

Daniele Maccapani Vedi ultimo messaggio

Nessun messaggio da leggere
Rutpela maculata maculata (Poda, 1761) - Cerambycidae
6.VIII.2013 - ITALIA - Piemonte - VB
Allegato(i) Dettagli della specie
Rutpela maculata maculata (Poda, 1761)
Cerambycidae


6.VIII.2013 - ITALIA - Piemonte - VB
Coleoptera

Magma

9

2410

22/08/2013, 20:52

Daniele Maccapani Vedi ultimo messaggio

Nessun messaggio da leggere
Allegato(i) Dettagli della specie
Leptura quadrifasciata quadrifasciata Linnaeus, 1758
Cerambycidae


15.VII.2013 - FINLANDIA - EE
Coleoptera

ghebo

2

1438

22/08/2013, 12:48

ghebo Vedi ultimo messaggio

Nessun messaggio da leggere
Plagionotus floralis (Pallas, 1773) - Cerambycidae
13.VIII.2013 - ITALIA - Campania - SA
Allegato(i) Dettagli della specie
Plagionotus floralis (Pallas, 1773)
Cerambycidae


13.VIII.2013 - ITALIA - Campania - SA
Coleoptera

Enzo.C

2

1085

22/08/2013, 10:16

Enzo.C Vedi ultimo messaggio

Nessun messaggio da leggere
Aegosoma scabricorne (Scopoli, 1763) - Cerambycidae
19.VIII.2013 - ITALIA - Lombardia - MI
Allegato(i) Dettagli della specie
Aegosoma scabricorne (Scopoli, 1763)
Cerambycidae


19.VIII.2013 - ITALIA - Lombardia - MI
Coleoptera

Patty Canada

11

2674

21/08/2013, 12:55

Tc70 Vedi ultimo messaggio

Nessun messaggio da leggere
Stictoleptura rubra rubra (Linnaeus, 1758) - Cerambycidae
6.VIII.2013 - ITALIA - Piemonte - VB
Allegato(i) Dettagli della specie
Stictoleptura rubra rubra (Linnaeus, 1758)
Cerambycidae


6.VIII.2013 - ITALIA - Piemonte - VB
Coleoptera

Magma

3

1070

21/08/2013, 7:51

Magma Vedi ultimo messaggio

Nessun messaggio da leggere
Allegato(i) Dettagli della specie
Trichoferus fasciculatus fasciculatus (Faldermann, 1837)
Cerambycidae


VII.2013 - ITALIA - Marche - AN
Coleoptera

StagBeetle

5

1130

20/08/2013, 21:35

StagBeetle Vedi ultimo messaggio

Nessun messaggio da leggere
Allegato(i) Dettagli della specie
Trichoferus fasciculatus fasciculatus (Faldermann, 1837)
Cerambycidae


VII.2013 - ITALIA - Marche - AN
Coleoptera

StagBeetle

1

676

20/08/2013, 9:32

Xylosteus Vedi ultimo messaggio

Nessun messaggio da leggere
Stictoleptura rubra rubra (Linnaeus, 1758) - Cerambycidae
5.VIII.2013 - ITALIA - Emilia-Romagna - MO
Allegato(i) Dettagli della specie
Stictoleptura rubra rubra (Linnaeus, 1758)
Cerambycidae


5.VIII.2013 - ITALIA - Emilia-Romagna - MO
Coleoptera

Daniele Maccapani

4

1086

20/08/2013, 8:09

Entomarci Vedi ultimo messaggio

Nessun messaggio da leggere
Arhopalus rusticus (Linnaeus, 1758) - Cerambycidae
13.VIII.2013 - ITALIA - Campania - SA
Allegato(i) Dettagli della specie
Arhopalus rusticus (Linnaeus, 1758)
Cerambycidae


13.VIII.2013 - ITALIA - Campania - SA
Coleoptera

Enzo.C

11

2375

16/08/2013, 16:01

Plagionotus Vedi ultimo messaggio

Nessun messaggio da leggere
Ergates faber opifex Mulsant, 1851 - Cerambycidae
15.VIII.2013 - ITALIA - Sicilia - TP
Allegato(i) Dettagli della specie
Ergates faber opifex Mulsant, 1851
Cerambycidae


15.VIII.2013 - ITALIA - Sicilia - TP
Coleoptera

Davide Castelli

5

1315

15/08/2013, 23:34

Davide Castelli Vedi ultimo messaggio

Nessun messaggio da leggere
Allegato(i)
Agapanthia annularis (Olivier, 1795) - Cerambycidae
Cerambycidae


28.IV.1998 - TUNISIA - EE
Coleoptera

Velvet Ant

2

868

15/08/2013, 13:59

Velvet Ant Vedi ultimo messaggio

Nessun messaggio da leggere
Allegato(i)
Agapanthia nicosiensis Pic, 1927 - Cerambycidae
Cerambycidae


13.IV.2013 - CIPRO - EE
Coleoptera

T_18

1

986

14/08/2013, 18:45

zdeno Vedi ultimo messaggio

Nessun messaggio da leggere
Stenurella melanura (Linnaeus, 1758) - Cerambycidae
25.VI.2013 - ITALIA - Lombardia - BG
Allegato(i) Dettagli della specie
Stenurella melanura (Linnaeus, 1758)
Cerambycidae


25.VI.2013 - ITALIA - Lombardia - BG
Coleoptera

nicoletta

2

962

14/08/2013, 15:55

nicoletta Vedi ultimo messaggio

Nessun messaggio da leggere
Allegato(i) Dettagli della specie
Stenocorus (Stenocorus) meridianus (Linnaeus, 1758)
Cerambycidae

[ Vai alla paginaVai alla pagina: 1, 2 ]



28.VII.2013 - ITALIA - Abruzzo - AQ
Coleoptera

Alessio89

27

5184

14/08/2013, 14:48

Alessio89 Vedi ultimo messaggio

Nessun messaggio da leggere
Acanthocinus griseus (Fabricius, 1792) - Cerambycidae
13.VIII.2013 - ITALIA - Campania - SA
Allegato(i) Dettagli della specie
Acanthocinus griseus (Fabricius, 1792)
Cerambycidae


13.VIII.2013 - ITALIA - Campania - SA
Coleoptera

Enzo.C

2

1683

14/08/2013, 13:34

Plagionotus Vedi ultimo messaggio

Nessun messaggio da leggere
Paracorymbia fulva (De Geer, 1775) - Cerambycidae
3.VII.2012 - ITALIA - Lombardia - BG
Allegato(i) Dettagli della specie
Paracorymbia fulva (De Geer, 1775)
Cerambycidae


3.VII.2012 - ITALIA - Lombardia - BG
Coleoptera

nicoletta

7

1897

13/08/2013, 20:54

Plagionotus Vedi ultimo messaggio

Nessun messaggio da leggere
Leptura aurulenta Fabricius, 1792 - Cerambycidae
12.VIII.2013 - ITALIA - Toscana - LU
Allegato(i) Dettagli della specie
Leptura aurulenta Fabricius, 1792
Cerambycidae


12.VIII.2013 - ITALIA - Toscana - LU
Coleoptera

Michael

5

1472

13/08/2013, 20:53

Plagionotus Vedi ultimo messaggio

Nessun messaggio da leggere
Prinobius myardi myardi Mulsant, 1842 - Cerambycidae
9.VIII.2013 - ITALIA - Lazio - RM
Allegato(i) Dettagli della specie
Prinobius myardi myardi Mulsant, 1842
Cerambycidae


9.VIII.2013 - ITALIA - Lazio - RM
Coleoptera

Fabio Turchetti

1

924

13/08/2013, 18:19

patacchiola Vedi ultimo messaggio

Nessun messaggio da leggere
Stictoleptura cordigera cordigera (Fuessly, 1775) - Cerambycidae
10.VI.2013 - ITALIA - Lombardia - BG
Allegato(i) Dettagli della specie
Stictoleptura cordigera cordigera (Fuessly, 1775)
Cerambycidae


10.VI.2013 - ITALIA - Lombardia - BG
Coleoptera

nicoletta

7

1312

13/08/2013, 12:37

nicoletta Vedi ultimo messaggio

Nessun messaggio da leggere
Morimus asper asper (Sulzer, 1776) - Cerambycidae
15.VII.2013 - ITALIA - Marche - PU
Allegato(i) Dettagli della specie
Morimus asper asper (Sulzer, 1776)
Cerambycidae


15.VII.2013 - ITALIA - Marche - PU
Coleoptera

fasmidi

2

765

12/08/2013, 20:57

fasmidi Vedi ultimo messaggio

Nessun messaggio da leggere
Cerambyx cerdo cerdo Linnaeus, 1758 - Cerambycidae
1.VIII.2013 - ITALIA - Lazio - RM
Allegato(i) Dettagli della specie
Cerambyx cerdo cerdo Linnaeus, 1758
Cerambycidae


1.VIII.2013 - ITALIA - Lazio - RM
Coleoptera

Fabio Turchetti

9

1675

12/08/2013, 13:09

Daniele Sechi Vedi ultimo messaggio

Nessun messaggio da leggere
Allegato(i) Dettagli della specie
Plagionotus detritus detritus (Linnaeus, 1758)
Cerambycidae


6.VIII.2013 - ITALIA - Lazio - RM
Coleoptera

Fabio Turchetti

6

1484

12/08/2013, 11:54

Fabio Turchetti Vedi ultimo messaggio

Nessun messaggio da leggere
Monochamus sartor (Fabricius, 1787) - Cerambycidae
7.VIII.2013 - ITALIA - Friuli-Venezia Giulia - PN
Allegato(i) Dettagli della specie
Monochamus sartor (Fabricius, 1787)
Cerambycidae


7.VIII.2013 - ITALIA - Friuli-Venezia Giulia - PN
Coleoptera

andreah

11

2865

12/08/2013, 11:20

Plagionotus Vedi ultimo messaggio

Nessun messaggio da leggere
Allegato(i) Dettagli della specie
Stenocorus (Stenocorus) meridianus (Linnaeus, 1758)
Cerambycidae


5.V.2013 - ITALIA - Basilicata - MT
Coleoptera

Fabio Turchetti

3

997

12/08/2013, 0:11

Fabio Turchetti Vedi ultimo messaggio

Nessun messaggio da leggere
Allegato(i) Dettagli della specie
Dorcadion (Pedestredorcadion) etruscum (Rossi, 1790)
Cerambycidae


7.VII.2013 - ITALIA - Marche - PU
Coleoptera

StagBeetle

1

717

11/08/2013, 13:32

StagBeetle Vedi ultimo messaggio

Nessun messaggio da leggere
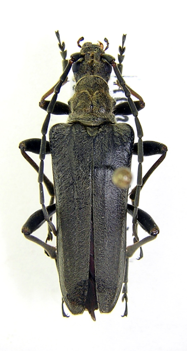
Lepturobosca virens (Linnaeus, 1758) - Cerambycidae
10.VIII.2013 - ITALIA - Lombardia - LC
Allegato(i) Dettagli della specie
Lepturobosca virens (Linnaeus, 1758)
Cerambycidae


10.VIII.2013 - ITALIA - Lombardia - LC
Coleoptera

Sleepy Moose

7

1591

11/08/2013, 11:14

Tc70 Vedi ultimo messaggio

Visualizza ultimi argomenti:  Ordina per  Ordine:  
nuovo argomento
Vai alla pagina Precedente  1 ... 45, 46, 47, 48, 49, 50, 51 ... 103  Prossimo
Pagina 48 di 103 [ 5103 argomenti ]

Tutti gli orari sono UTC + 1 ora [ ora legale ]


Chi c’è in linea

Visitano il forum: Nessuno e 1 ospite


Legenda
Messaggi da leggere Messaggi da leggere Nessun messaggio da leggere Nessun messaggio da leggere Annuncio Annuncio
 
Specie indeterminata / discussione generica
Messaggi non letti [ Popolari ] Messaggi non letti [ Popolari ] Nessun messaggio da leggere [ Popolare ] Nessun messaggio da leggere [ Popolare ] Importante Importante
 
Specie determinata fino al genere o cf.
Messaggi non letti [ Bloccati ] Messaggi non letti [ Bloccati ] No messaggi non letti [ Bloccati ] No messaggi non letti [ Bloccati ] Argomento spostato Argomento spostato
 
Specie correttamente determinata
Permessi
Non puoi aprire nuovi argomenti
Non puoi rispondere negli argomenti
Non puoi modificare i tuoi messaggi
Non puoi cancellare i tuoi messaggi
Non puoi inviare allegati

Cerca per:
Vai a: