Benvenuto Ospite

Forum Entomologi Italiani

www.entomologiitaliani.net/forum
 
Oggi è 07/11/2025, 20:55

Tutti gli orari sono UTC + 1 ora [ ora legale ]


92% 
2927 taxa correttamente determinati su 3178 presenti in archivio

Cerambycidae


[ AFROTROPICALE ] [ ANTARTICO ] [ AUSTRALASIANO ] [ NEARTICO ] [ NEOTROPICALE ] [ ORIENTALE ] [ PALEARTICO ]


nuovo argomento
Vai alla pagina Precedente  1 ... 3, 4, 5, 6, 7, 8, 9 ... 103  Prossimo
Pagina 6 di 103 [ 5103 argomenti ]
 Argomenti   Ordine   Autore   Risposte   Visite    Ultimo messaggio 
Annunci
Nessun messaggio da leggere
Allegato(i)
Incontri entomologici telematici organizzati dalla Società Entomologica Italiana nel 2022 e nel 2023

[ Vai alla paginaVai alla pagina: 1, 2, 3 ]

 

Velvet Ant

44

1426748

03/03/2023, 15:55

Velvet Ant Vedi ultimo messaggio

Nessun messaggio da leggere  
Allegato(i)
Sondaggio sul declino dell'entomofauna in Italia

[ Vai alla paginaVai alla pagina: 1, 2, 3, 4 ]

 

Velvet Ant

52

1754506

22/10/2022, 19:18

Acquarius Vedi ultimo messaggio

Nessun messaggio da leggere  
Allegato(i)
Progetto: Bibliografia ragionata dei lavori entomologici nei quali sono citati reperti apparsi su FEI

[ Vai alla paginaVai alla pagina: 1, 2, 3 ]

 

Velvet Ant

33

1168802

06/07/2023, 18:31

Orotrechus Vedi ultimo messaggio

Nessun messaggio da leggere
Allegato(i)
Mimesi, il primo documentario cinematografico sull’entomologia in Italia: casting
 

mazzeip

1

456448

28/02/2019, 20:26

mazzeip Vedi ultimo messaggio

Questo argomento è bloccato, non puoi modificare o inviare ulteriori messaggi.
Allegato(i)
ISTRUZIONI PUBBLICAZIONE NUOVI ARGOMENTI E FOTO

 
Altri Ordini di Insetti

Julodis

4

898879

13/05/2015, 19:37

Julodis Vedi ultimo messaggio

Nessun messaggio da leggere
Allegato(i)
Limitatore giornaliero di messaggi, uno strumento utile e ormai indispensabile

[ Vai alla paginaVai alla pagina: 1 ... 14, 15, 16 ]

 

Velvet Ant

233

8814512

25/09/2014, 14:31

Inachis Vedi ultimo messaggio

Nessun messaggio da leggere  
NORME PER I COLLABORATORI DEL FORUM

 
 

Velvet Ant

0

478709

02/06/2011, 12:05

Velvet Ant Vedi ultimo messaggio

Nessun messaggio da leggere
Allegato(i)
NORME PER GLI UTENTI DEL FORUM

[ Vai alla paginaVai alla pagina: 1, 2, 3 ]



 
 

Velvet Ant

30

2344287

23/09/2014, 23:54

Maurizio Bollino Vedi ultimo messaggio

Questo argomento è bloccato, non puoi modificare o inviare ulteriori messaggi.  
Elenco delle specie italiane di Cerambycidae presenti sul forum
Cerambycidae


 
Coleoptera

Plagionotus

0

5994

22/11/2010, 22:28

Plagionotus Vedi ultimo messaggio

Nessun messaggio da leggere  
Lista degli utenti del "Forum entomologi italiani" per campi di interesse e specializzazione

 
Altri Ordini di Insetti

Velvet Ant

13

943483

07/09/2023, 17:14

Roberto-07 Vedi ultimo messaggio

Argomenti
Nessun messaggio da leggere
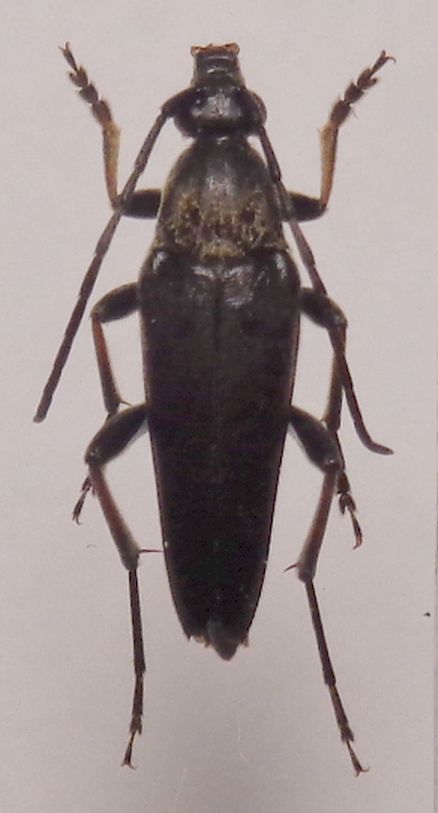
Spondylis buprestoides (Linnaeus, 1758) - Cerambycidae
20.VII.1992 - PORTOGALLO - EE
Allegato(i) Dettagli della specie
Spondylis buprestoides (Linnaeus, 1758)
Cerambycidae


20.VII.1992 - PORTOGALLO - EE
Coleoptera

StagBeetle

1

616

06/01/2022, 21:33

Andrea Pergine Vedi ultimo messaggio

Nessun messaggio da leggere
Allegato(i) Dettagli della specie
Musaria affinis affinis (Harrer, 1784)
Cerambycidae


6.VII.1999 - SPAGNA - EE
Coleoptera

StagBeetle

0

471

06/01/2022, 21:03

StagBeetle Vedi ultimo messaggio

Nessun messaggio da leggere
Allegato(i)
Lagocheirus araneiformis parvulus Casey, 1913 - Cerambycidae
Cerambycidae


15.II.1996 - MESSICO - EE
Coleoptera

StagBeetle

0

356

06/01/2022, 21:03

StagBeetle Vedi ultimo messaggio

Nessun messaggio da leggere
Allegato(i) Dettagli della specie
Rhagium (Hagrium) bifasciatum Fabricius, 1775
Cerambycidae


20.VI.1989 - SPAGNA - EE
Coleoptera

StagBeetle

0

582

05/01/2022, 21:03

StagBeetle Vedi ultimo messaggio

Nessun messaggio da leggere
Saperda perforata (Pallas, 1773) - Cerambycidae
24.IV.2005 - REPUBBLICA CECA - EE
Allegato(i) Dettagli della specie
Saperda perforata (Pallas, 1773)
Cerambycidae


24.IV.2005 - REPUBBLICA CECA - EE
Coleoptera

StagBeetle

0

486

04/01/2022, 21:03

StagBeetle Vedi ultimo messaggio

Nessun messaggio da leggere
Allegato(i) Dettagli della specie
Oplosia cinerea Mulsant, 1839
Cerambycidae


IV.1965 - AUSTRIA - EE
Coleoptera

StagBeetle

0

477

04/01/2022, 21:03

StagBeetle Vedi ultimo messaggio

Nessun messaggio da leggere
Onychocerus crassus (Voet, 1778) - Cerambycidae
6.II.2016 - GUYANA FRANCESE - EE
Allegato(i)
Onychocerus crassus (Voet, 1778) - Cerambycidae
Cerambycidae


6.II.2016 - GUYANA FRANCESE - EE
Coleoptera

cosmln

2

604

03/01/2022, 22:49

Clickie Vedi ultimo messaggio

Nessun messaggio da leggere
Allegato(i)
Iberodorcadion brannani (Schaufuß, 1870) - Cerambycidae
Cerambycidae


15.VII.1992 - SPAGNA - EE
Coleoptera

StagBeetle

0

424

03/01/2022, 21:03

StagBeetle Vedi ultimo messaggio

Nessun messaggio da leggere
Allegato(i)
Onychocerus crassus (Voet, 1778) - Cerambycidae
Cerambycidae


I.2012 - PERU - EE
Coleoptera

Julodis

7

1822

02/01/2022, 20:10

cosmln Vedi ultimo messaggio

Nessun messaggio da leggere
Allegato(i) Dettagli della specie
Grammoptera ruficornis ruficornis (Fabricius, 1781) cf.
Cerambycidae


24.IV.2021 - ITALIA - Lombardia - CR
Coleoptera

Lolapip

2

595

01/01/2022, 22:30

Lolapip Vedi ultimo messaggio

Nessun messaggio da leggere
Grammoptera ustulata (Schaller, 1783) - Cerambycidae
VI.2021 - ITALIA - Marche - MC
Allegato(i) Dettagli della specie
Grammoptera ustulata (Schaller, 1783)
Cerambycidae


VI.2021 - ITALIA - Marche - MC
Coleoptera

StagBeetle

0

389

09/12/2021, 23:05

StagBeetle Vedi ultimo messaggio

Nessun messaggio da leggere
Chlorophorus trifasciatus (Fabricius, 1781) - Cerambycidae
11.VII.2021 - ITALIA - Marche - MC
Allegato(i) Dettagli della specie
Chlorophorus trifasciatus (Fabricius, 1781)
Cerambycidae


11.VII.2021 - ITALIA - Marche - MC
Coleoptera

StagBeetle

0

394

09/12/2021, 23:05

StagBeetle Vedi ultimo messaggio

Nessun messaggio da leggere
Allegato(i) Dettagli della specie
Xylotrechus (Xylotrechus) antilope antilope (Schöenherr, 1817)
Cerambycidae


VI.2021 - ITALIA - Marche - MC
Coleoptera

StagBeetle

0

380

07/12/2021, 23:09

StagBeetle Vedi ultimo messaggio

Nessun messaggio da leggere
Clytus arietis arietis (Linnaeus, 1758) - Cerambycidae
23.V.2021 - ITALIA - Marche - MC
Allegato(i) Dettagli della specie
Clytus arietis arietis (Linnaeus, 1758)
Cerambycidae


23.V.2021 - ITALIA - Marche - MC
Coleoptera

StagBeetle

0

371

07/12/2021, 23:09

StagBeetle Vedi ultimo messaggio

Nessun messaggio da leggere
Allegato(i) Dettagli della specie
Purpuricenus (Purpuricenus) kaehleri kaehleri (Linnaeus, 1758)
Cerambycidae


VII.2021 - ITALIA - Marche - MC
Coleoptera

StagBeetle

1

517

07/12/2021, 10:12

Daniele Sechi Vedi ultimo messaggio

Nessun messaggio da leggere
Vesperus macropterus Sama, 1999 - Cerambycidae
26.VIII.2021 - ITALIA - Sardegna - CA
Allegato(i) Dettagli della specie
Vesperus macropterus Sama, 1999
Cerambycidae


26.VIII.2021 - ITALIA - Sardegna - CA
Coleoptera

Michele A

8

942

01/12/2021, 22:41

michele.carraretto Vedi ultimo messaggio

Nessun messaggio da leggere
Anoplodera (Anoplodera) sexguttata (Fabricius, 1775) - Cerambycidae
VI.2021 - ITALIA - Trentino-Alto Adige - TN
Allegato(i) Dettagli della specie
Anoplodera (Anoplodera) sexguttata (Fabricius, 1775)
Cerambycidae


VI.2021 - ITALIA - Trentino-Alto Adige - TN
Coleoptera

Biasi

2

540

01/12/2021, 14:47

Biasi Vedi ultimo messaggio

Nessun messaggio da leggere
Penichroa fasciata (Stephens, 1831) - Cerambycidae
3.VI.2014 - ITALIA - Veneto - VR
Allegato(i) Dettagli della specie
Penichroa fasciata (Stephens, 1831)
Cerambycidae


3.VI.2014 - ITALIA - Veneto - VR
Coleoptera

Semanotus

12

2576

25/11/2021, 17:29

Biasi Vedi ultimo messaggio

Nessun messaggio da leggere
Anisarthron barbipes (Schrank, 1781) - Cerambycidae
8.VII.2018 - ITALIA - Trentino-Alto Adige - TN
Allegato(i) Dettagli della specie
Anisarthron barbipes (Schrank, 1781)
Cerambycidae


8.VII.2018 - ITALIA - Trentino-Alto Adige - TN
Coleoptera

Biasi

2

564

19/11/2021, 17:20

Biasi Vedi ultimo messaggio

Nessun messaggio da leggere
Allegato(i)
Mallodon downesii Hope, 1843 - Cerambycidae
Cerambycidae


 
Coleoptera

Chalybion

3

591

19/11/2021, 0:08

Chalybion Vedi ultimo messaggio

Nessun messaggio da leggere
Pachyta quadrimaculata (Linnaeus, 1758) - Cerambycidae
16.VIII.2021 - ITALIA - Friuli-Venezia Giulia - UD
Allegato(i) Dettagli della specie
Pachyta quadrimaculata (Linnaeus, 1758)
Cerambycidae


16.VIII.2021 - ITALIA - Friuli-Venezia Giulia - UD
Coleoptera

Michele A

2

508

11/11/2021, 13:26

Michele A Vedi ultimo messaggio

Nessun messaggio da leggere
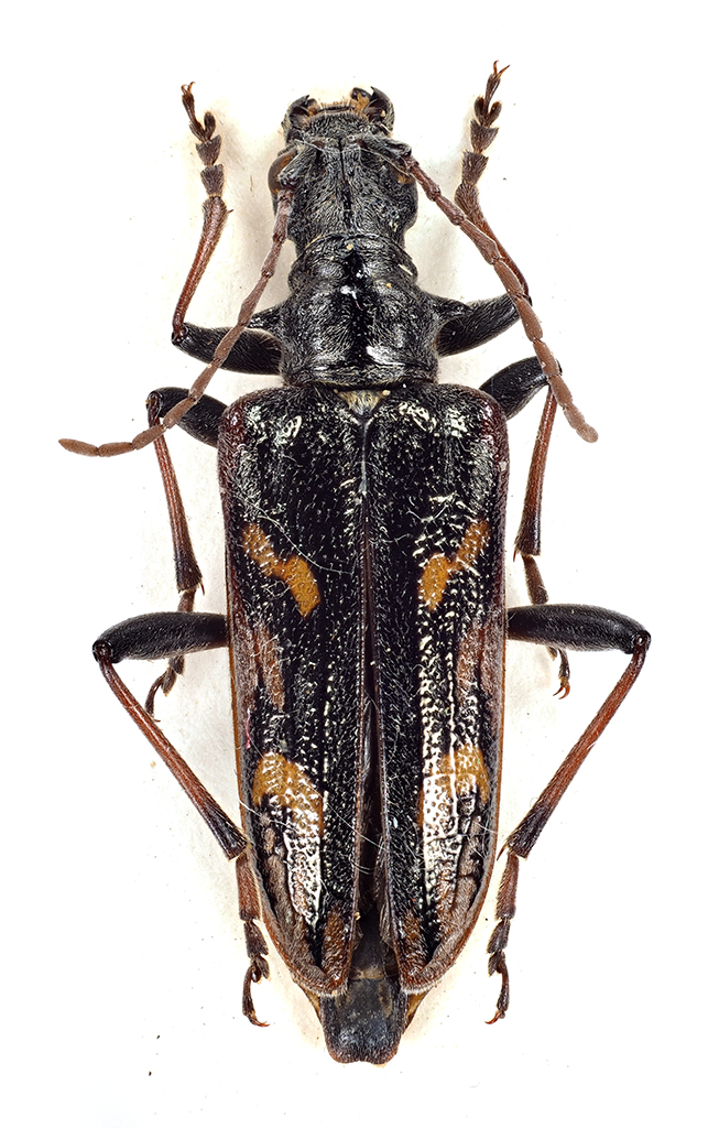
Phryneta aurocincta (Guérin-Méneville, 1832) - Cerambycidae Lamiinae
15.V.1984 - REPUBBLICA CENTRAFRICANA - EE
Allegato(i)
Phryneta aurocincta (Guérin-Méneville, 1832) - Cerambycidae Lamiinae
Cerambycidae


15.V.1984 - REPUBBLICA CENTRAFRICANA - EE
Coleoptera

Chalybion

1

358

11/11/2021, 0:45

marsal Vedi ultimo messaggio

Nessun messaggio da leggere
Diastocera trifasciata (Fabricius, 1775) - Cerambycidae Lamiinae
15.V.1984 - REPUBBLICA CENTRAFRICANA - EE
Allegato(i)
Diastocera trifasciata (Fabricius, 1775) - Cerambycidae Lamiinae
Cerambycidae


15.V.1984 - REPUBBLICA CENTRAFRICANA - EE
Coleoptera

Chalybion

0

350

10/11/2021, 20:34

Chalybion Vedi ultimo messaggio

Nessun messaggio da leggere
Phryneta leprosa (Fabricius, 1775) - Cerambycidae Lamiinae
15.V.1984 - REPUBBLICA CENTRAFRICANA - EE
Allegato(i)
Phryneta leprosa (Fabricius, 1775) - Cerambycidae Lamiinae
Cerambycidae


15.V.1984 - REPUBBLICA CENTRAFRICANA - EE
Coleoptera

Chalybion

0

376

09/11/2021, 20:48

Chalybion Vedi ultimo messaggio

Nessun messaggio da leggere
Allegato(i) Dettagli della specie
Ropalopus (Ropalopus) insubricus insubricus (Germar, 1824)
Cerambycidae


6.VII.1989 - CROAZIA - EE
Coleoptera

Chalybion

3

602

08/11/2021, 18:08

Chalybion Vedi ultimo messaggio

Nessun messaggio da leggere
Stenopterus rufus rufus (Linnaeus, 1767) - Cerambycidae
8.VI.2016 - ITALIA - Marche - MC
Allegato(i) Dettagli della specie
Stenopterus rufus rufus (Linnaeus, 1767)
Cerambycidae


8.VI.2016 - ITALIA - Marche - MC
Coleoptera

StagBeetle

1

449

08/11/2021, 11:13

Plagionotus Vedi ultimo messaggio

Nessun messaggio da leggere
Opsilia coerulescens (Scopoli, 1763) - Cerambycidae
28.V.2015 - ITALIA - Marche - MC
Allegato(i) Dettagli della specie
Opsilia coerulescens (Scopoli, 1763)
Cerambycidae


28.V.2015 - ITALIA - Marche - MC
Coleoptera

StagBeetle

0

334

07/11/2021, 23:28

StagBeetle Vedi ultimo messaggio

Nessun messaggio da leggere
Sternotomis variabilis semirufescens Allard, 1993- Cerambycidae
15.V.1984 - REPUBBLICA CENTRAFRICANA - EE
Allegato(i)
Sternotomis variabilis semirufescens Allard, 1993- Cerambycidae
Cerambycidae


15.V.1984 - REPUBBLICA CENTRAFRICANA - EE
Coleoptera

Chalybion

0

402

07/11/2021, 20:50

Chalybion Vedi ultimo messaggio

Nessun messaggio da leggere
Sternotomis chrysopras (Schönherr, 1817) Cerambycidae
15.V.1984 - REPUBBLICA CENTRAFRICANA - EE
Allegato(i)
Sternotomis chrysopras (Schönherr, 1817) Cerambycidae
Cerambycidae


15.V.1984 - REPUBBLICA CENTRAFRICANA - EE
Coleoptera

Chalybion

0

359

07/11/2021, 20:49

Chalybion Vedi ultimo messaggio

Nessun messaggio da leggere
Allegato(i)
Acrocinus longimanus (Linnaeus 1758) - maschio in preparazione

PERU - EE
Coleoptera

Isoptera 1

3

643

18/10/2021, 22:32

Clickie Vedi ultimo messaggio

Nessun messaggio da leggere
Nathrius brevipennis (Mulsant, 1839) cf. - Cerambycidae
16.VI.2012 - ITALIA - Emilia-Romagna - FC
Allegato(i) Dettagli della specie
Nathrius brevipennis (Mulsant, 1839) cf.
Cerambycidae


16.VI.2012 - ITALIA - Emilia-Romagna - FC
Coleoptera

Chalybion

1

475

17/10/2021, 19:59

Chalybion Vedi ultimo messaggio

Nessun messaggio da leggere
Allegato(i) Dettagli della specie
Phymatodes testaceus (Linnaeus, 1758)
Cerambycidae


2021 - ITALIA - Lazio - RM
Coleoptera

wgliinsetti

2

435

16/10/2021, 10:23

wgliinsetti Vedi ultimo messaggio

Nessun messaggio da leggere
Stictoleptura scutellata scutellata (Fabricius, 1781) - Cerambycidae
7.VII.2021 - ITALIA - Friuli-Venezia Giulia - UD
Allegato(i) Dettagli della specie
Stictoleptura scutellata scutellata (Fabricius, 1781)
Cerambycidae


7.VII.2021 - ITALIA - Friuli-Venezia Giulia - UD
Coleoptera

Chalybion

7

771

14/10/2021, 11:31

Plagionotus Vedi ultimo messaggio

Nessun messaggio da leggere
Etorofus pubescens (Fabricius, 1787) - Cerambycidae
7.VII.2021 - ITALIA - Friuli-Venezia Giulia - UD
Allegato(i) Dettagli della specie
Etorofus pubescens (Fabricius, 1787)
Cerambycidae


7.VII.2021 - ITALIA - Friuli-Venezia Giulia - UD
Coleoptera

Chalybion

0

410

11/10/2021, 20:19

Chalybion Vedi ultimo messaggio

Nessun messaggio da leggere
Allegato(i) Dettagli della specie
Ropalopus (Ropalopus) femoratus (Linnaeus, 1758)
Cerambycidae


27.VI.2021 - ITALIA - Marche - MC
Coleoptera

StagBeetle

0

419

11/10/2021, 18:36

StagBeetle Vedi ultimo messaggio

Nessun messaggio da leggere
Etorofus pubescens (Fabricius, 1787) - Cerambycidae
7.VII.2021 - ITALIA - Friuli-Venezia Giulia - UD
Allegato(i) Dettagli della specie
Etorofus pubescens (Fabricius, 1787)
Cerambycidae


7.VII.2021 - ITALIA - Friuli-Venezia Giulia - UD
Coleoptera

Chalybion

3

684

06/10/2021, 19:40

Chalybion Vedi ultimo messaggio

Nessun messaggio da leggere
Anastrangalia dubia dubia (Scopoli, 1763) - Cerambycidae
7.VII.2021 - ITALIA - Friuli-Venezia Giulia - UD
Allegato(i) Dettagli della specie
Anastrangalia dubia dubia (Scopoli, 1763)
Cerambycidae


7.VII.2021 - ITALIA - Friuli-Venezia Giulia - UD
Coleoptera

Chalybion

2

636

06/10/2021, 18:50

Chalybion Vedi ultimo messaggio

Nessun messaggio da leggere
Monochamus galloprovincialis (Olivier, 1795) - Cerambycidae
15.IX.2021 - ITALIA - Puglia - FG
Allegato(i) Dettagli della specie
Monochamus galloprovincialis (Olivier, 1795)
Cerambycidae


15.IX.2021 - ITALIA - Puglia - FG
Coleoptera

Apoderus

2

531

17/09/2021, 17:12

Apoderus Vedi ultimo messaggio

Nessun messaggio da leggere
Gaurotes (Carilia) virginea (Linnaeus, 1758) - Cerambycidae
11.VII.2021 - ITALIA - Friuli-Venezia Giulia - UD
Allegato(i) Dettagli della specie
Gaurotes (Carilia) virginea (Linnaeus, 1758)
Cerambycidae


11.VII.2021 - ITALIA - Friuli-Venezia Giulia - UD
Coleoptera

Michele A

2

528

17/09/2021, 9:03

Michele A Vedi ultimo messaggio

Nessun messaggio da leggere
Allegato(i) Dettagli della specie
Agapanthia (Epoptes) villosoviridescens (De Geer, 1775)
Cerambycidae


26.VIII.2021 - ITALIA - Lombardia - LC
Coleoptera

RicPan

2

588

06/09/2021, 10:32

RicPan Vedi ultimo messaggio

Nessun messaggio da leggere
Pseudosphegesthes cinerea (Laporte & Gory, 1836) - Cerambycidae
26.VII.2021 - ITALIA - Toscana - PI
Allegato(i) Dettagli della specie
Pseudosphegesthes cinerea (Laporte & Gory, 1836)
Cerambycidae


26.VII.2021 - ITALIA - Toscana - PI
Coleoptera

Stefano79

8

1089

02/09/2021, 16:47

Stefano79 Vedi ultimo messaggio

Nessun messaggio da leggere
Musaria cephalotes (Küster, 1846) - Cerambycidae
20.VI.2021 - ITALIA - Marche - MC
Allegato(i) Dettagli della specie
Musaria cephalotes (Küster, 1846)
Cerambycidae


20.VI.2021 - ITALIA - Marche - MC
Coleoptera

StagBeetle

1

528

31/08/2021, 22:53

Entomarci Vedi ultimo messaggio

Nessun messaggio da leggere
Stenopterus rufus rufus (Linnaeus, 1767) - Cerambycidae
17.VI.2021 - ITALIA - Abruzzo - PE
Allegato(i) Dettagli della specie
Stenopterus rufus rufus (Linnaeus, 1767)
Cerambycidae


17.VI.2021 - ITALIA - Abruzzo - PE
Coleoptera

carlos

2

489

27/08/2021, 19:48

carlos Vedi ultimo messaggio

Nessun messaggio da leggere
Parmena subpubescens Hellrigl, 1971 - Cerambycidae
18.VIII.2021 - ITALIA - Calabria - CS
Allegato(i) Dettagli della specie
Parmena subpubescens Hellrigl, 1971
Cerambycidae


18.VIII.2021 - ITALIA - Calabria - CS
Coleoptera

aiello antonio

5

831

20/08/2021, 13:52

aiello antonio Vedi ultimo messaggio

Nessun messaggio da leggere
Cerambyx welensii (Küster, 1845) - Cerambycidae
9.VIII.2021 - ITALIA - Marche - MC
Allegato(i) Dettagli della specie
Cerambyx welensii (Küster, 1845)
Cerambycidae


9.VIII.2021 - ITALIA - Marche - MC
Coleoptera

StagBeetle

1

539

20/08/2021, 8:23

fabry80 Vedi ultimo messaggio

Nessun messaggio da leggere
Psacothea hilaris (Pascoe, 1857) - Cerambycidae
13.VIII.2021 - ITALIA - Lombardia - CO
Allegato(i)
Psacothea hilaris (Pascoe, 1857) - Cerambycidae

13.VIII.2021 - ITALIA - Lombardia - CO
Coleoptera

Effe99

3

879

16/08/2021, 14:49

Enrico Ruzzier Vedi ultimo messaggio

Nessun messaggio da leggere
Saperda scalaris scalaris (Linnaeus, 1758) - Cerambycidae
5.VIII.2021 - ITALIA - Piemonte - BI
Allegato(i) Dettagli della specie
Saperda scalaris scalaris (Linnaeus, 1758)
Cerambycidae


5.VIII.2021 - ITALIA - Piemonte - BI
Coleoptera

StagBeetle

3

447

08/08/2021, 14:25

AleP Vedi ultimo messaggio

Nessun messaggio da leggere
Stictoleptura rubra rubra (Linnaeus, 1758) - Cerambycidae
6.VIII.2021 - ITALIA - Trentino-Alto Adige - TN
Allegato(i) Dettagli della specie
Stictoleptura rubra rubra (Linnaeus, 1758)
Cerambycidae


6.VIII.2021 - ITALIA - Trentino-Alto Adige - TN
Coleoptera

Syrio

4

488

07/08/2021, 20:41

Syrio Vedi ultimo messaggio

Nessun messaggio da leggere
Trichoferus sp. - Cerambycidae Lamiinae
26.VII.2021 - SPAGNA - EE
Allegato(i)
Trichoferus sp. - Cerambycidae Lamiinae

26.VII.2021 - SPAGNA - EE
Coleoptera

Isidro

0

331

07/08/2021, 20:23

Isidro Vedi ultimo messaggio

Nessun messaggio da leggere
Allegato(i) Dettagli della specie
Exocentrus punctipennis Mulsant & Guillebeau, 1856
Cerambycidae


16.VI.2021 - ITALIA - Toscana - GR
Coleoptera

Chalybion

2

562

07/08/2021, 19:46

Chalybion Vedi ultimo messaggio

Visualizza ultimi argomenti:  Ordina per  Ordine:  
nuovo argomento
Vai alla pagina Precedente  1 ... 3, 4, 5, 6, 7, 8, 9 ... 103  Prossimo
Pagina 6 di 103 [ 5103 argomenti ]

Tutti gli orari sono UTC + 1 ora [ ora legale ]


Chi c’è in linea

Visitano il forum: Nessuno e 3 ospiti


Legenda
Messaggi da leggere Messaggi da leggere Nessun messaggio da leggere Nessun messaggio da leggere Annuncio Annuncio
 
Specie indeterminata / discussione generica
Messaggi non letti [ Popolari ] Messaggi non letti [ Popolari ] Nessun messaggio da leggere [ Popolare ] Nessun messaggio da leggere [ Popolare ] Importante Importante
 
Specie determinata fino al genere o cf.
Messaggi non letti [ Bloccati ] Messaggi non letti [ Bloccati ] No messaggi non letti [ Bloccati ] No messaggi non letti [ Bloccati ] Argomento spostato Argomento spostato
 
Specie correttamente determinata
Permessi
Non puoi aprire nuovi argomenti
Non puoi rispondere negli argomenti
Non puoi modificare i tuoi messaggi
Non puoi cancellare i tuoi messaggi
Non puoi inviare allegati

Cerca per:
Vai a: