Benvenuto Ospite

Forum Entomologi Italiani

www.entomologiitaliani.net/forum
 
Oggi è 08/11/2025, 9:52

Tutti gli orari sono UTC + 1 ora [ ora legale ]


92% 
2927 taxa correttamente determinati su 3178 presenti in archivio

Cerambycidae


[ AFROTROPICALE ] [ ANTARTICO ] [ AUSTRALASIANO ] [ NEARTICO ] [ NEOTROPICALE ] [ ORIENTALE ] [ PALEARTICO ]


nuovo argomento
Vai alla pagina Precedente  1 ... 50, 51, 52, 53, 54, 55, 56 ... 103  Prossimo
Pagina 53 di 103 [ 5103 argomenti ]
 Argomenti   Ordine   Autore   Risposte   Visite    Ultimo messaggio 
Annunci
Nessun messaggio da leggere
Allegato(i)
Incontri entomologici telematici organizzati dalla Società Entomologica Italiana nel 2022 e nel 2023

[ Vai alla paginaVai alla pagina: 1, 2, 3 ]

 

Velvet Ant

44

1428695

03/03/2023, 15:55

Velvet Ant Vedi ultimo messaggio

Nessun messaggio da leggere  
Allegato(i)
Sondaggio sul declino dell'entomofauna in Italia

[ Vai alla paginaVai alla pagina: 1, 2, 3, 4 ]

 

Velvet Ant

52

1756482

22/10/2022, 19:18

Acquarius Vedi ultimo messaggio

Nessun messaggio da leggere  
Allegato(i)
Progetto: Bibliografia ragionata dei lavori entomologici nei quali sono citati reperti apparsi su FEI

[ Vai alla paginaVai alla pagina: 1, 2, 3 ]

 

Velvet Ant

33

1169898

06/07/2023, 18:31

Orotrechus Vedi ultimo messaggio

Nessun messaggio da leggere
Allegato(i)
Mimesi, il primo documentario cinematografico sull’entomologia in Italia: casting
 

mazzeip

1

456804

28/02/2019, 20:26

mazzeip Vedi ultimo messaggio

Questo argomento è bloccato, non puoi modificare o inviare ulteriori messaggi.
Allegato(i)
ISTRUZIONI PUBBLICAZIONE NUOVI ARGOMENTI E FOTO

 
Altri Ordini di Insetti

Julodis

4

906065

13/05/2015, 19:37

Julodis Vedi ultimo messaggio

Nessun messaggio da leggere
Allegato(i)
Limitatore giornaliero di messaggi, uno strumento utile e ormai indispensabile

[ Vai alla paginaVai alla pagina: 1 ... 14, 15, 16 ]

 

Velvet Ant

233

8824674

25/09/2014, 14:31

Inachis Vedi ultimo messaggio

Nessun messaggio da leggere  
NORME PER I COLLABORATORI DEL FORUM

 
 

Velvet Ant

0

478799

02/06/2011, 12:05

Velvet Ant Vedi ultimo messaggio

Nessun messaggio da leggere
Allegato(i)
NORME PER GLI UTENTI DEL FORUM

[ Vai alla paginaVai alla pagina: 1, 2, 3 ]



 
 

Velvet Ant

30

2345196

23/09/2014, 23:54

Maurizio Bollino Vedi ultimo messaggio

Questo argomento è bloccato, non puoi modificare o inviare ulteriori messaggi.  
Elenco delle specie italiane di Cerambycidae presenti sul forum
Cerambycidae


 
Coleoptera

Plagionotus

0

5996

22/11/2010, 22:28

Plagionotus Vedi ultimo messaggio

Nessun messaggio da leggere  
Lista degli utenti del "Forum entomologi italiani" per campi di interesse e specializzazione

 
Altri Ordini di Insetti

Velvet Ant

13

943978

07/09/2023, 17:14

Roberto-07 Vedi ultimo messaggio

Argomenti
Nessun messaggio da leggere
Callidium violaceum (Linnaeus, 1758) - Cerambycidae
1954 - ITALIA - Friuli-Venezia Giulia - UD
Allegato(i) Dettagli della specie
Callidium violaceum (Linnaeus, 1758)
Cerambycidae


1954 - ITALIA - Friuli-Venezia Giulia - UD
Coleoptera

Jacopo

2

823

12/03/2013, 21:05

Jacopo Vedi ultimo messaggio

Nessun messaggio da leggere
Parmena unifasciata (Rossi, 1790) - Cerambycidae
12.III.2013 - ITALIA - Lazio - RM
Allegato(i) Dettagli della specie
Parmena unifasciata (Rossi, 1790)
Cerambycidae


12.III.2013 - ITALIA - Lazio - RM
Coleoptera

Fabio Turchetti

3

901

12/03/2013, 11:20

aug Vedi ultimo messaggio

Nessun messaggio da leggere
Tetropium gabrieli Weise, 1905 - Cerambycidae
2009 - REPUBBLICA CECA - EE
Allegato(i) Dettagli della specie
Tetropium gabrieli Weise, 1905
Cerambycidae


2009 - REPUBBLICA CECA - EE
Coleoptera

StagBeetle

5

1254

07/03/2013, 10:47

StagBeetle Vedi ultimo messaggio

Nessun messaggio da leggere
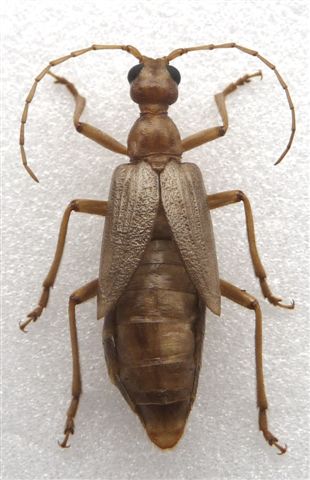
Larva di Cerambycidae
27.I.2013 - ITALIA - Emilia-Romagna - RE
Allegato(i)
Larva di Cerambycidae

27.I.2013 - ITALIA - Emilia-Romagna - RE
Coleoptera

Mikiphasmide

12

1560

06/03/2013, 23:23

Julodis Vedi ultimo messaggio

Nessun messaggio da leggere
Prionus coriarius (Linnaeus, 1758) cf. - Cerambycidae
3.III.2013 - ITALIA - Marche - MC
Allegato(i) Dettagli della specie
Prionus coriarius (Linnaeus, 1758) cf.
Cerambycidae


3.III.2013 - ITALIA - Marche - MC
Coleoptera

StagBeetle

1

1002

06/03/2013, 9:43

AleP Vedi ultimo messaggio

Nessun messaggio da leggere
Trichoferus holosericeus (Rossi, 1790) - Cerambycidae
11.VIII.2012 - ITALIA - Lombardia - LC
Allegato(i) Dettagli della specie
Trichoferus holosericeus (Rossi, 1790)
Cerambycidae


11.VIII.2012 - ITALIA - Lombardia - LC
Coleoptera

sala alfio

2

997

05/03/2013, 21:22

Entomarci Vedi ultimo messaggio

Nessun messaggio da leggere
Allegato(i) Dettagli della specie
Cortodera humeralis aspromontana G. Müller, 1948
Cerambycidae


2.VI.2010
Coleoptera

f.izzillo

2

961

02/03/2013, 13:21

f.izzillo Vedi ultimo messaggio

Nessun messaggio da leggere
Larve di Trichoferus fasciculstus (cf.) - Cerambycidae
28.II.2013 - ITALIA - Marche - AN
Allegato(i)
Larve di Trichoferus fasciculstus (cf.) - Cerambycidae

28.II.2013 - ITALIA - Marche - AN
Coleoptera

MatteoS

12

1559

01/03/2013, 19:06

Alessio89 Vedi ultimo messaggio

Nessun messaggio da leggere
Allegato(i) Dettagli della specie
Necydalis (Necydalis) ulmi (Chevrolat, 1838)
Cerambycidae


15.VI.2012 - ITALIA - Lazio - RM
Coleoptera

Fabio Turchetti

10

1497

28/02/2013, 16:50

Julodis Vedi ultimo messaggio

Nessun messaggio da leggere
Allegato(i)
Dorcadion (Pedestredorcadion) subsericatum vulneratum Pesarini & Sabbadini, 1999 - Cerambycidae
Cerambycidae


2.V.2011 - TURCHIA - EE
Coleoptera

cosmln

2

1545

28/02/2013, 13:18

cosmln Vedi ultimo messaggio

Nessun messaggio da leggere
Allegato(i)
Dorcadion (Pedestredorcadion) litigiosum Ganglbauer, 1883 - Cerambycidae
Cerambycidae


12.IV.2012 - ROMANIA - EE
Coleoptera

cosmln

11

2256

28/02/2013, 13:15

cosmln Vedi ultimo messaggio

Nessun messaggio da leggere
Ergates faber faber (Linnaeus, 1760) - Cerambycidae
II.2013 - ITALIA - Friuli-Venezia Giulia - TS
Allegato(i) Dettagli della specie
Ergates faber faber (Linnaeus, 1760)
Cerambycidae


II.2013 - ITALIA - Friuli-Venezia Giulia - TS
Coleoptera

AleP

12

2144

27/02/2013, 22:44

AleP Vedi ultimo messaggio

Nessun messaggio da leggere
Allegato(i)
Anaglyptus danilevskii Miroshn., 2000 - Cerambycidae

4.VI.2010 - TURCHIA - EE
Coleoptera

Coptosia

3

905

27/02/2013, 14:39

Xylosteus Vedi ultimo messaggio

Nessun messaggio da leggere
Allegato(i)
Phytoecia (Metallidia) alinae Kasatkin Kasatkin, 2011 - Cerambycidae

29.V.2011 - TURCHIA - EE
Coleoptera

Coptosia

3

1023

27/02/2013, 10:09

Xylosteus Vedi ultimo messaggio

Nessun messaggio da leggere
Allegato(i) Dettagli della specie
Leiopus settei Sama, 1985
Cerambycidae

[ Vai alla paginaVai alla pagina: 1, 2 ]



ITALIA - Veneto - VR
Coleoptera

Xylosteus

26

5369

24/02/2013, 12:42

AleP Vedi ultimo messaggio

Nessun messaggio da leggere
Clytus clavicornis Reiche, 1860 - Cerambycidae
10.VI.2010 - ITALIA - Sicilia
Allegato(i) Dettagli della specie
Clytus clavicornis Reiche, 1860
Cerambycidae


10.VI.2010 - ITALIA - Sicilia
Coleoptera

Uncle Adam

2

1244

23/02/2013, 22:24

Uncle Adam Vedi ultimo messaggio

Nessun messaggio da leggere
Allegato(i)
Dorcadion (Pedestredorcadion) tauricum (Waltl, 1838) - Cerambycidae
Cerambycidae


30.IV.2011 - BULGARIA - EE
Coleoptera

cosmln

7

2124

22/02/2013, 23:19

zdeno Vedi ultimo messaggio

Nessun messaggio da leggere
Hesperophanes melonii Fancello & Cillo 2012 - Cerambycidae
4.VII.2012 - ITALIA - Sardegna - CA
Allegato(i) Dettagli della specie
Hesperophanes melonii Fancello & Cillo 2012
Cerambycidae

[ Vai alla paginaVai alla pagina: 1, 2, 3 ]



4.VII.2012 - ITALIA - Sardegna - CA
Coleoptera

Velvet Ant

30

13177

18/02/2013, 16:07

Federico A. Vedi ultimo messaggio

Nessun messaggio da leggere
Allegato(i)
Iberodorcadion (Baeticodorcadion) lusitanicum lusitanicum (Chevrolat, 1840) - Cerambycidae
Cerambycidae


14.II.2012 - PORTOGALLO - EE
Coleoptera

phalops

4

2203

13/02/2013, 12:29

phalops Vedi ultimo messaggio

Nessun messaggio da leggere
Vesperus luridus (Rossi, 1794) - Cerambycidae
17.VIII.2012 - ITALIA - Toscana - AR
Allegato(i) Dettagli della specie
Vesperus luridus (Rossi, 1794)
Cerambycidae


17.VIII.2012 - ITALIA - Toscana - AR
Coleoptera

giovanni alamanni

7

5911

12/02/2013, 8:37

giovanni alamanni Vedi ultimo messaggio

Nessun messaggio da leggere
Allegato(i) Dettagli della specie
Acanthocinus reticulatus (Razoumowsky, 1789)
Cerambycidae


3.VIII.2010 - POLONIA - EE
Coleoptera

Uncle Adam

1

1745

09/02/2013, 21:06

hypotyphlus Vedi ultimo messaggio

Nessun messaggio da leggere
Allegato(i)
Aegomorphus krueperi (Kraatz, 1859) - Cerambycidae
Cerambycidae


18.V.2007 - GRECIA - EE
Coleoptera

Uncle Adam

12

2851

09/02/2013, 18:27

Uncle Adam Vedi ultimo messaggio

Nessun messaggio da leggere
Allegato(i)
Pedestredorcadion drusum (Chevrolat, 1870) - Cerambycidae

29.V.1997 - LIBANO - EE
Coleoptera

f.izzillo

5

1316

09/02/2013, 13:02

f.izzillo Vedi ultimo messaggio

Nessun messaggio da leggere
Allegato(i)
Dorcadion (Pedestredorcadion) scabricolle paiz Danilevsky, 1999 cf. - Cerambycidae

AZERBAIJAN - EE
Coleoptera

Nebria

1

1035

09/02/2013, 4:47

Phytoecia Vedi ultimo messaggio

Nessun messaggio da leggere
Allegato(i)
Dorcadion crassipes validipes Jakovlev, 1906 - Cerambycidae

9.VI.1991 - KIRGHIZISTAN - EE
Coleoptera

Nebria

1

1109

08/02/2013, 19:17

Phytoecia Vedi ultimo messaggio

Nessun messaggio da leggere
Allegato(i)
Dorcadion (Pedestredorcadion) regulare (Pic, 1931) vs. Dorcadion (Pedestredorcadion) pedestre (Poda, 1761) - Cerambycidae

 
Coleoptera

cosmln

5

1515

08/02/2013, 0:03

zdeno Vedi ultimo messaggio

Nessun messaggio da leggere
Morimus asper asper (Sulzer, 1776) - Cerambycidae
1954 - ITALIA - Veneto - VE
Allegato(i) Dettagli della specie
Morimus asper asper (Sulzer, 1776)
Cerambycidae


1954 - ITALIA - Veneto - VE
Coleoptera

Jacopo

7

1408

07/02/2013, 11:41

Jacopo Vedi ultimo messaggio

Nessun messaggio da leggere
Allegato(i)
Dorcadion (Acutodorcadion) acutispinum Motschulsky, 1860 - Cerambycidae

30.V.1990 - KAZAKHSTAN - EE
Coleoptera

Nebria

1

945

07/02/2013, 9:59

prinobius Vedi ultimo messaggio

Nessun messaggio da leggere
Allegato(i)
Dorcadion (Pedestredorcadion) taygetanum Pic, 1902 - Cerambycidae

V.1999 - GRECIA - EE
Coleoptera

Nebria

1

707

06/02/2013, 18:49

Antonio Verdugo Vedi ultimo messaggio

Nessun messaggio da leggere
Allegato(i)
Dorcadion (Pedestredorcadion) axillare moldavicum Dascalu & Fusu, 2012 - Cerambycidae
Cerambycidae


19.IV.2010 - ROMANIA - EE
Coleoptera

cosmln

1

1016

05/02/2013, 5:04

Phytoecia Vedi ultimo messaggio

Nessun messaggio da leggere
Allegato(i)
Dorcadion (Pedestredorcadion) axillare moldavicum Dascalu & Fusu, 2012 - Cerambycidae
Cerambycidae


23.IV.2010 - ROMANIA - EE
Coleoptera

cosmln

1

749

05/02/2013, 5:02

Phytoecia Vedi ultimo messaggio

Nessun messaggio da leggere
Allegato(i)
Dorcadion (Pedestredorcadion) axillare moldavicum Dascalu & Fusu, 2012
Cerambycidae


21.IV.2012 - ROMANIA - EE
Coleoptera

cosmln

5

1687

04/02/2013, 13:00

cosmln Vedi ultimo messaggio

Nessun messaggio da leggere
Parmena unifasciata (Rossi, 1790) - Cerambycidae
V.2002 - ITALIA - Toscana - FI
Allegato(i) Dettagli della specie
Parmena unifasciata (Rossi, 1790)
Cerambycidae


V.2002 - ITALIA - Toscana - FI
Coleoptera

cosmln

4

1473

04/02/2013, 12:02

cosmln Vedi ultimo messaggio

Nessun messaggio da leggere
Allegato(i) Dettagli della specie
Rhagium (Rhagium) inquisitor inquisitor (Linnaeus, 1758)
Cerambycidae


3.II.2013 - SVIZZERA - EE
Coleoptera

gio

4

1176

03/02/2013, 20:23

gio Vedi ultimo messaggio

Nessun messaggio da leggere
Allegato(i)
Dorcadion (Pedestredorcadion) equestre (Laxmann, 1770) - Cerambycidae
Cerambycidae


21.IV.2012 - ROMANIA - EE
Coleoptera

cosmln

0

1100

01/02/2013, 0:27

cosmln Vedi ultimo messaggio

Nessun messaggio da leggere
Allegato(i)
Dorcadion (Pedestredorcadion) arenarium muelleri Depoli, 1912 - Cerambycidae

5.V.2012 - CROAZIA - EE
Coleoptera

Dave

2

878

31/01/2013, 20:18

Dave Vedi ultimo messaggio

Nessun messaggio da leggere
Allegato(i)
Dorcadion (Pedestredorcadion) arenarium muelleri Depoli, 1912
Cerambycidae


1.V.2012 - CROAZIA - EE
Coleoptera

cosmln

2

1108

31/01/2013, 16:32

cosmln Vedi ultimo messaggio

Nessun messaggio da leggere
Allegato(i)
Iberodorcadion fuliginator meridionale (Mulsant, 1839) cf. - Cerambycidae
Cerambycidae


FRANCIA - EE
Coleoptera

hypotyphlus

13

1999

28/01/2013, 10:33

prinobius Vedi ultimo messaggio

Nessun messaggio da leggere
Allegato(i)
Phoracantha recurva Newman, 1840 - Cerambycidae
Cerambycidae


20.IV.2012 - SPAGNA - EE
Coleoptera

matthew gandy

3

896

27/01/2013, 15:41

matthew gandy Vedi ultimo messaggio

Nessun messaggio da leggere
Stenopterus ater (Linnaeus, 1767) - Cerambycidae
12.VII.2011 - ITALIA - Campania - CE
Allegato(i) Dettagli della specie
Stenopterus ater (Linnaeus, 1767)
Cerambycidae


12.VII.2011 - ITALIA - Campania - CE
Coleoptera

gdefilippo

9

1634

26/01/2013, 11:29

AleP Vedi ultimo messaggio

Nessun messaggio da leggere
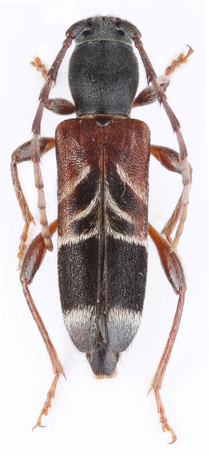
Allegato(i) Dettagli della specie
Purpuricenus (Purpuricenus) budensis (Götz, 1783)
Cerambycidae


7.VI.1997 - LIBANO - EE
Coleoptera

f.izzillo

14

2408

25/01/2013, 20:24

f.izzillo Vedi ultimo messaggio

Nessun messaggio da leggere
Allegato(i)
Mesoprionus besikanus (Fairmaire,1855) - Cerambycidae

6.VII.1999 - GRECIA - EE
Coleoptera

f.izzillo

4

1024

25/01/2013, 19:46

f.izzillo Vedi ultimo messaggio

Nessun messaggio da leggere
Allegato(i)
Trichoferus fasciculatus (Faldermann, 1837) (cf.) - Cerambycidae
Cerambycidae


20.V.2008 - MAROCCO - EE
Coleoptera

Dave

1

618

25/01/2013, 2:34

Uncle Adam Vedi ultimo messaggio

Nessun messaggio da leggere
Allegato(i)
Trichoferus fasciculatus (Faldermann, 1837) (cf.) - Cerambycidae

20.V.2008 - MAROCCO - EE
Coleoptera

Dave

2

862

24/01/2013, 18:39

Dave Vedi ultimo messaggio

Nessun messaggio da leggere
Anastrangalia dubia dubia (Scopoli, 1763) - Cerambycidae
28.VII.2012 - ITALIA - Trentino-Alto Adige - BZ
Allegato(i) Dettagli della specie
Anastrangalia dubia dubia (Scopoli, 1763)
Cerambycidae


28.VII.2012 - ITALIA - Trentino-Alto Adige - BZ
Coleoptera

Entomarci

8

1589

22/01/2013, 19:08

michele.carraretto Vedi ultimo messaggio

Nessun messaggio da leggere
Anastrangalia reyi (Heyden, 1889) - Cerambycidae
28.VII.2012 - ITALIA - Trentino-Alto Adige - BZ
Allegato(i) Dettagli della specie
Anastrangalia reyi (Heyden, 1889)
Cerambycidae


28.VII.2012 - ITALIA - Trentino-Alto Adige - BZ
Coleoptera

Entomarci

8

2407

22/01/2013, 19:08

michele.carraretto Vedi ultimo messaggio

Nessun messaggio da leggere
Allegato(i) Dettagli della specie
Stenurella sennii Sama, 2002 cf.
Cerambycidae


2011 - ROMANIA - EE
Coleoptera

cosmln

2

1673

21/01/2013, 22:57

Plagionotus Vedi ultimo messaggio

Nessun messaggio da leggere
Allegato(i) Dettagli della specie
Xylosteus spinolae Frivaldszky, 1837
Cerambycidae


IV.2012 - AUSTRIA - EE
Coleoptera

cosmln

4

2004

21/01/2013, 22:20

michele.carraretto Vedi ultimo messaggio

Nessun messaggio da leggere
Vesperus luridus (Rossi, 1794) - Cerambycidae
1.IX.2012 - ITALIA - Lazio - RM
Allegato(i) Dettagli della specie
Vesperus luridus (Rossi, 1794)
Cerambycidae


1.IX.2012 - ITALIA - Lazio - RM
Coleoptera

Goliathus

14

4824

19/01/2013, 22:29

Daniele Maccapani Vedi ultimo messaggio

Nessun messaggio da leggere
Chlorophorus sartor (O. F. Müller, 1766) - Cerambycidae
11.VII.2012 - ITALIA - Emilia-Romagna - FE
Allegato(i) Dettagli della specie
Chlorophorus sartor (O. F. Müller, 1766)
Cerambycidae


11.VII.2012 - ITALIA - Emilia-Romagna - FE
Coleoptera

Daniele Maccapani

7

1817

14/01/2013, 21:57

Daniele Maccapani Vedi ultimo messaggio

Visualizza ultimi argomenti:  Ordina per  Ordine:  
nuovo argomento
Vai alla pagina Precedente  1 ... 50, 51, 52, 53, 54, 55, 56 ... 103  Prossimo
Pagina 53 di 103 [ 5103 argomenti ]

Tutti gli orari sono UTC + 1 ora [ ora legale ]


Chi c’è in linea

Visitano il forum: Nessuno e 1 ospite


Legenda
Messaggi da leggere Messaggi da leggere Nessun messaggio da leggere Nessun messaggio da leggere Annuncio Annuncio
 
Specie indeterminata / discussione generica
Messaggi non letti [ Popolari ] Messaggi non letti [ Popolari ] Nessun messaggio da leggere [ Popolare ] Nessun messaggio da leggere [ Popolare ] Importante Importante
 
Specie determinata fino al genere o cf.
Messaggi non letti [ Bloccati ] Messaggi non letti [ Bloccati ] No messaggi non letti [ Bloccati ] No messaggi non letti [ Bloccati ] Argomento spostato Argomento spostato
 
Specie correttamente determinata
Permessi
Non puoi aprire nuovi argomenti
Non puoi rispondere negli argomenti
Non puoi modificare i tuoi messaggi
Non puoi cancellare i tuoi messaggi
Non puoi inviare allegati

Cerca per:
Vai a: