Benvenuto Ospite

Forum Entomologi Italiani

www.entomologiitaliani.net/forum
 
Oggi è 08/11/2025, 21:14

Tutti gli orari sono UTC + 1 ora [ ora legale ]


92% 
2927 taxa correttamente determinati su 3178 presenti in archivio

Cerambycidae


[ AFROTROPICALE ] [ ANTARTICO ] [ AUSTRALASIANO ] [ NEARTICO ] [ NEOTROPICALE ] [ ORIENTALE ] [ PALEARTICO ]


nuovo argomento
Vai alla pagina Precedente  1 ... 74, 75, 76, 77, 78, 79, 80 ... 103  Prossimo
Pagina 77 di 103 [ 5103 argomenti ]
 Argomenti   Ordine   Autore   Risposte   Visite    Ultimo messaggio 
Annunci
Nessun messaggio da leggere
Allegato(i)
Incontri entomologici telematici organizzati dalla Società Entomologica Italiana nel 2022 e nel 2023

[ Vai alla paginaVai alla pagina: 1, 2, 3 ]

 

Velvet Ant

44

1429976

03/03/2023, 15:55

Velvet Ant Vedi ultimo messaggio

Nessun messaggio da leggere  
Allegato(i)
Sondaggio sul declino dell'entomofauna in Italia

[ Vai alla paginaVai alla pagina: 1, 2, 3, 4 ]

 

Velvet Ant

52

1757918

22/10/2022, 19:18

Acquarius Vedi ultimo messaggio

Nessun messaggio da leggere  
Allegato(i)
Progetto: Bibliografia ragionata dei lavori entomologici nei quali sono citati reperti apparsi su FEI

[ Vai alla paginaVai alla pagina: 1, 2, 3 ]

 

Velvet Ant

33

1170910

06/07/2023, 18:31

Orotrechus Vedi ultimo messaggio

Nessun messaggio da leggere
Allegato(i)
Mimesi, il primo documentario cinematografico sull’entomologia in Italia: casting
 

mazzeip

1

457059

28/02/2019, 20:26

mazzeip Vedi ultimo messaggio

Questo argomento è bloccato, non puoi modificare o inviare ulteriori messaggi.
Allegato(i)
ISTRUZIONI PUBBLICAZIONE NUOVI ARGOMENTI E FOTO

 
Altri Ordini di Insetti

Julodis

4

908782

13/05/2015, 19:37

Julodis Vedi ultimo messaggio

Nessun messaggio da leggere
Allegato(i)
Limitatore giornaliero di messaggi, uno strumento utile e ormai indispensabile

[ Vai alla paginaVai alla pagina: 1 ... 14, 15, 16 ]

 

Velvet Ant

233

8830928

25/09/2014, 14:31

Inachis Vedi ultimo messaggio

Nessun messaggio da leggere  
NORME PER I COLLABORATORI DEL FORUM

 
 

Velvet Ant

0

478886

02/06/2011, 12:05

Velvet Ant Vedi ultimo messaggio

Nessun messaggio da leggere
Allegato(i)
NORME PER GLI UTENTI DEL FORUM

[ Vai alla paginaVai alla pagina: 1, 2, 3 ]



 
 

Velvet Ant

30

2345983

23/09/2014, 23:54

Maurizio Bollino Vedi ultimo messaggio

Questo argomento è bloccato, non puoi modificare o inviare ulteriori messaggi.  
Elenco delle specie italiane di Cerambycidae presenti sul forum
Cerambycidae


 
Coleoptera

Plagionotus

0

5998

22/11/2010, 22:28

Plagionotus Vedi ultimo messaggio

Nessun messaggio da leggere  
Lista degli utenti del "Forum entomologi italiani" per campi di interesse e specializzazione

 
Altri Ordini di Insetti

Velvet Ant

13

944375

07/09/2023, 17:14

Roberto-07 Vedi ultimo messaggio

Argomenti
Nessun messaggio da leggere
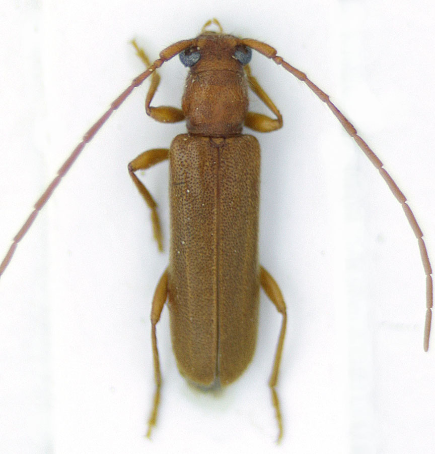
Brachypteroma ottomanum Heyden, 1863 - Cerambycidae
1.V.2011 - ITALIA - Marche - PU
Allegato(i) Dettagli della specie
Brachypteroma ottomanum Heyden, 1863
Cerambycidae


1.V.2011 - ITALIA - Marche - PU
Coleoptera

marco paglialunga

0

600

03/05/2011, 9:24

marco paglialunga Vedi ultimo messaggio

Nessun messaggio da leggere
Rusticoclytus rusticus (Linnaeus, 1758) - Cerambycidae
22.IV.2011 - ITALIA - Trentino-Alto Adige - TN
Allegato(i) Dettagli della specie
Rusticoclytus rusticus (Linnaeus, 1758)
Cerambycidae


22.IV.2011 - ITALIA - Trentino-Alto Adige - TN
Coleoptera

Pippistrello

3

1105

03/05/2011, 8:43

Pippistrello Vedi ultimo messaggio

Nessun messaggio da leggere
Oxylia duponcheli (Brullé, 1832) - Cerambycidae
11.VI.2010 - BULGARIA - EE
Allegato(i)
Oxylia duponcheli (Brullé, 1832) - Cerambycidae

11.VI.2010 - BULGARIA - EE
Coleoptera

Joro

2

986

03/05/2011, 7:30

Isotomus Vedi ultimo messaggio

Nessun messaggio da leggere
Brachypteroma ottomanum Heyden, 1863 - Cerambycidae
22.IV.2011 - ITALIA - Lombardia - BG
Allegato(i) Dettagli della specie
Brachypteroma ottomanum Heyden, 1863
Cerambycidae


22.IV.2011 - ITALIA - Lombardia - BG
Coleoptera

Pippistrello

12

2319

02/05/2011, 12:15

marco paglialunga Vedi ultimo messaggio

Nessun messaggio da leggere
Allegato(i) Dettagli della specie
Pedostrangalia (Pedostrangalia) revestita (Linnaeus, 1767)
Cerambycidae


27.IV.2011 - ITALIA - Toscana - GR
Coleoptera

hypotyphlus

4

1318

01/05/2011, 22:30

Plagionotus Vedi ultimo messaggio

Nessun messaggio da leggere
Parmena unifasciata (Rossi, 1790) - Cerambycidae
30.IV.2011 - ITALIA - Marche - AN
Allegato(i) Dettagli della specie
Parmena unifasciata (Rossi, 1790)
Cerambycidae


30.IV.2011 - ITALIA - Marche - AN
Coleoptera

StagBeetle

6

1479

01/05/2011, 20:59

StagBeetle Vedi ultimo messaggio

Nessun messaggio da leggere
Allegato(i)
Rhamnusium algericum Pic, 1896 - Cerambicydae - Tunisia Ain Draham

29.IV.2011 - TUNISIA - EE
Coleoptera

Isotomus

6

1059

30/04/2011, 11:17

Isotomus Vedi ultimo messaggio

Nessun messaggio da leggere
Allegato(i)
Purpuricenus ferrugineus Fairmaire, 1851 - Spagna, Andalusia: Los Barrios

26.III.2011 - SPAGNA - EE
Coleoptera

Isotomus

0

650

29/04/2011, 18:44

Isotomus Vedi ultimo messaggio

Nessun messaggio da leggere
Herophila tristis tristis (Linnaeus, 1767) - Cerambycidae
26.IV.2011 - ITALIA - Umbria - PG
Allegato(i) Dettagli della specie
Herophila tristis tristis (Linnaeus, 1767)
Cerambycidae


26.IV.2011 - ITALIA - Umbria - PG
Coleoptera

ilio

2

786

29/04/2011, 16:01

ilio Vedi ultimo messaggio

Nessun messaggio da leggere
Allegato(i) Dettagli della specie
Agapanthia (Epoptes) asphodeli (Latreille, 1804)
Cerambycidae


27.III.2011 - ITALIA - Lazio - RM
Coleoptera

giuseppe55

5

1348

29/04/2011, 15:01

Plagionotus Vedi ultimo messaggio

Nessun messaggio da leggere
Lioderina linearis (Hampe, 1870) - Cerambycidae
29.VI.2008 - BULGARIA - EE
Allegato(i) Dettagli della specie
Lioderina linearis (Hampe, 1870)
Cerambycidae


29.VI.2008 - BULGARIA - EE
Coleoptera

Joro

0

857

28/04/2011, 14:44

Joro Vedi ultimo messaggio

Nessun messaggio da leggere
Grammoptera viridipennis Pic, 1893 - Cerambycidae
12.IV.2011 - ITALIA - Sicilia - PA
Allegato(i) Dettagli della specie
Grammoptera viridipennis Pic, 1893
Cerambycidae


12.IV.2011 - ITALIA - Sicilia - PA
Coleoptera

Isotomus

2

1085

27/04/2011, 18:59

Plagionotus Vedi ultimo messaggio

Nessun messaggio da leggere
Allegato(i) Dettagli della specie
Agapanthia (Agapanthia) suturalis (Fabricius, 1787)
Cerambycidae


19.IV.2011 - ITALIA - Sicilia - PA
Coleoptera

carabus

7

1584

27/04/2011, 18:57

Plagionotus Vedi ultimo messaggio

Nessun messaggio da leggere
Allegato(i) Dettagli della specie
Stenurella bifasciata bifasciata (O. F. Müller, 1776)
Cerambycidae


VI.2010 - ITALIA - Emilia-Romagna - BO
Coleoptera

Loriscola

3

968

27/04/2011, 18:40

Plagionotus Vedi ultimo messaggio

Nessun messaggio da leggere
Allegato(i) Dettagli della specie
Agapanthia (Epoptes) irrorata (Fabricius, 1787)
Cerambycidae


12.IV.2011 - SPAGNA - EE
Coleoptera

Antonio Verdugo

5

1345

27/04/2011, 18:07

Antonio Verdugo Vedi ultimo messaggio

Nessun messaggio da leggere
Allegato(i)
Parmena bicincta Küster, 1849 - Croazia, Isola di Solta

IV.2010 - CROAZIA - EE
Coleoptera

Isotomus

0

631

27/04/2011, 18:04

Isotomus Vedi ultimo messaggio

Nessun messaggio da leggere
Grammoptera viridipennis Pic, 1893 - Cerambycidae
12.IV.2011 - ITALIA - Sicilia - PA
Allegato(i) Dettagli della specie
Grammoptera viridipennis Pic, 1893
Cerambycidae


12.IV.2011 - ITALIA - Sicilia - PA
Coleoptera

Isotomus

2

902

27/04/2011, 17:22

Isotomus Vedi ultimo messaggio

Nessun messaggio da leggere
Opsilia coerulescens (Scopoli, 1763) - Cerambycidae
27.IV.2011 - ITALIA - Sardegna - CA
Allegato(i) Dettagli della specie
Opsilia coerulescens (Scopoli, 1763)
Cerambycidae


27.IV.2011 - ITALIA - Sardegna - CA
Coleoptera

Fumea crassiorella

7

1192

27/04/2011, 15:37

Isotomus Vedi ultimo messaggio

Nessun messaggio da leggere
Allegato(i) Dettagli della specie
Dorcadion (Pedestredorcadion) etruscum (Rossi, 1790)
Cerambycidae


21.IV.2011 - ITALIA - Toscana - FI
Coleoptera

Sleepy Moose

10

2134

27/04/2011, 14:07

Sleepy Moose Vedi ultimo messaggio

Nessun messaggio da leggere
Parmena pubescens pubescens (Dalman, 1817) - Cerambycidae
17.III.2011 - ITALIA - Sicilia - CL
Allegato(i) Dettagli della specie
Parmena pubescens pubescens (Dalman, 1817)
Cerambycidae


17.III.2011 - ITALIA - Sicilia - CL
Coleoptera

Pippistrello

6

1659

26/04/2011, 16:45

Isotomus Vedi ultimo messaggio

Nessun messaggio da leggere
Brachypteroma ottomanum Heyden, 1863 - Cerambycidae
24.IV.2011 - ITALIA - Emilia-Romagna - PR
Allegato(i) Dettagli della specie
Brachypteroma ottomanum Heyden, 1863
Cerambycidae


24.IV.2011 - ITALIA - Emilia-Romagna - PR
Coleoptera

antoEandrea

3

1083

25/04/2011, 23:15

Julodis Vedi ultimo messaggio

Nessun messaggio da leggere
Grammoptera viridipennis Pic, 1893 - Cerambycidae
25.IV.2011 - ITALIA - Sicilia - PA
Allegato(i) Dettagli della specie
Grammoptera viridipennis Pic, 1893
Cerambycidae


25.IV.2011 - ITALIA - Sicilia - PA
Coleoptera

Entomarci

0

723

25/04/2011, 23:02

Entomarci Vedi ultimo messaggio

Nessun messaggio da leggere
Brachypteroma ottomanum Heyden, 1863 - Cerambycidae
23.IV.2011 - ITALIA - Sicilia - PA
Allegato(i) Dettagli della specie
Brachypteroma ottomanum Heyden, 1863
Cerambycidae


23.IV.2011 - ITALIA - Sicilia - PA
Coleoptera

Isotomus

3

986

25/04/2011, 20:56

Julodis Vedi ultimo messaggio

Nessun messaggio da leggere
Agapanthia (Agapanthia) cardui (Linnaeus, 1767) - Cerambycidae
24.IV.2011 - ITALIA - Lombardia - PV
Allegato(i) Dettagli della specie
Agapanthia (Agapanthia) cardui (Linnaeus, 1767)
Cerambycidae


24.IV.2011 - ITALIA - Lombardia - PV
Coleoptera

wildrocker

8

2667

25/04/2011, 19:44

Isotomus Vedi ultimo messaggio

Nessun messaggio da leggere
Agapanthia (Epoptes) asphodeli (Latreille, 1804) - Cerambycidae
22.IV.2011 - ITALIA - Basilicata - MT
Allegato(i) Dettagli della specie
Agapanthia (Epoptes) asphodeli (Latreille, 1804)
Cerambycidae


22.IV.2011 - ITALIA - Basilicata - MT
Coleoptera

Mimmo011

9

2539

24/04/2011, 17:35

Isotomus Vedi ultimo messaggio

Nessun messaggio da leggere
Allegato(i) Dettagli della specie
Dorcadion (Pedestredorcadion) etruscum (Rossi, 1790)
Cerambycidae


19.IV.2011 - ITALIA - Abruzzo - AQ
Coleoptera

ilio

6

1355

23/04/2011, 19:20

conan Vedi ultimo messaggio

Nessun messaggio da leggere
Allegato(i) Dettagli della specie
Agapanthia (Epoptes) asphodeli (Latreille, 1804)
Cerambycidae


27.III.2011 - SPAGNA - EE
Coleoptera

Isotomus

1

994

23/04/2011, 9:49

Isotomus Vedi ultimo messaggio

Nessun messaggio da leggere
Grammoptera ustulata (Schaller, 1783) - Cerambycidae
15.IV.2011 - ITALIA - Sicilia - PA
Allegato(i) Dettagli della specie
Grammoptera ustulata (Schaller, 1783)
Cerambycidae


15.IV.2011 - ITALIA - Sicilia - PA
Coleoptera

Isotomus

4

1227

23/04/2011, 9:06

Isotomus Vedi ultimo messaggio

Nessun messaggio da leggere
Parmena pubescens pubescens (Dalman, 1817) - Cerambycidae
22.IV.2011 - ITALIA - Campania - NA
Allegato(i) Dettagli della specie
Parmena pubescens pubescens (Dalman, 1817)
Cerambycidae


22.IV.2011 - ITALIA - Campania - NA
Coleoptera

ruzzpa

1

770

23/04/2011, 8:58

Isotomus Vedi ultimo messaggio

Nessun messaggio da leggere
Callimus abdominalis (Olivier, 1795) - Cerambycidae
21.IV.2011 - ITALIA - Sicilia - ME
Allegato(i) Dettagli della specie
Callimus abdominalis (Olivier, 1795)
Cerambycidae


21.IV.2011 - ITALIA - Sicilia - ME
Coleoptera

Isotomus

2

1005

22/04/2011, 19:40

Isotomus Vedi ultimo messaggio

Nessun messaggio da leggere
Allegato(i) Dettagli della specie
Agapanthia (Epoptes) irrorata (Fabricius, 1787)
Cerambycidae


11.IV.2011 - ITALIA - Sicilia - EN
Coleoptera

Isotomus

1

1040

22/04/2011, 15:58

Isotomus Vedi ultimo messaggio

Nessun messaggio da leggere
Allegato(i)
Carinatodorcadion fulvum (Scopoli, 1763) - Romania

21.IV.2011 - ROMANIA - EE
Coleoptera

alexaandru

2

729

21/04/2011, 20:55

alexaandru Vedi ultimo messaggio

Nessun messaggio da leggere
Callimus angulatus angulatus (Schrank, 1789) - Cerambycidae
21.IV.2011 - ITALIA - Sicilia - ME
Allegato(i) Dettagli della specie
Callimus angulatus angulatus (Schrank, 1789)
Cerambycidae


21.IV.2011 - ITALIA - Sicilia - ME
Coleoptera

Isotomus

0

636

21/04/2011, 19:50

Isotomus Vedi ultimo messaggio

Nessun messaggio da leggere
Parmena subpubescens Hellrigl, 1971 - Cerambycidae
12.IV.2011 - ITALIA - Sicilia - PA
Allegato(i) Dettagli della specie
Parmena subpubescens Hellrigl, 1971
Cerambycidae


12.IV.2011 - ITALIA - Sicilia - PA
Coleoptera

Isotomus

3

1026

19/04/2011, 21:49

carabus Vedi ultimo messaggio

Nessun messaggio da leggere
Schurmannia sicula Sama, 1979 - Cerambycidae
12.IV.2011 - ITALIA - Sicilia - PA
Allegato(i) Dettagli della specie
Schurmannia sicula Sama, 1979
Cerambycidae


12.IV.2011 - ITALIA - Sicilia - PA
Coleoptera

Isotomus

0

783

19/04/2011, 17:35

Isotomus Vedi ultimo messaggio

Nessun messaggio da leggere
Allegato(i) Dettagli della specie
Trichoferus fasciculatus fasciculatus (Faldermann, 1837)
Cerambycidae


VIII.2010 - ITALIA - Marche - AN
Coleoptera

StagBeetle

3

1136

19/04/2011, 12:57

StagBeetle Vedi ultimo messaggio

Nessun messaggio da leggere
Allegato(i) Dettagli della specie
Agapanthia (Agapanthia) suturalis (Fabricius, 1787)
Cerambycidae


11.IV.2011 - ITALIA - Sicilia - EN
Coleoptera

Isotomus

0

946

18/04/2011, 19:16

Isotomus Vedi ultimo messaggio

Nessun messaggio da leggere
Mesosa curculionoides (Linnaeus, 1760) - Cerambycidae
17.IV.2011 - ITALIA - Campania - NA
Allegato(i) Dettagli della specie
Mesosa curculionoides (Linnaeus, 1760)
Cerambycidae


17.IV.2011 - ITALIA - Campania - NA
Coleoptera

ruzzpa

2

1308

18/04/2011, 13:01

conan Vedi ultimo messaggio

Nessun messaggio da leggere
Deilus fugax (Olivier, 1790) - Cerambycidae
6.IV.2011 - ITALIA - Sardegna - CA
Allegato(i) Dettagli della specie
Deilus fugax (Olivier, 1790)
Cerambycidae


6.IV.2011 - ITALIA - Sardegna - CA
Coleoptera

Palaemonetes

6

1755

14/04/2011, 18:57

Julodis Vedi ultimo messaggio

Nessun messaggio da leggere
Allegato(i) Dettagli della specie
Dorcadion (Pedestredorcadion) arenarium marsicanum Fracassi, 1905
Cerambycidae


10.IV.2011 - ITALIA - Piemonte - CN
Coleoptera

Ric

5

1465

11/04/2011, 19:25

Ric Vedi ultimo messaggio

Nessun messaggio da leggere
Allegato(i)
Iberodorcadion (Baeticodorcadion) mucidum rondense Verdugo, 2003

23.III.2011 - SPAGNA - EE
Coleoptera

Isotomus

10

1869

11/04/2011, 14:52

Mikiphasmide Vedi ultimo messaggio

Nessun messaggio da leggere
Parmena unifasciata (Rossi, 1790) - Cerambycidae
2.IV.2011 - ITALIA - Toscana - FI
Allegato(i) Dettagli della specie
Parmena unifasciata (Rossi, 1790)
Cerambycidae


2.IV.2011 - ITALIA - Toscana - FI
Coleoptera

Sleepy Moose

2

791

10/04/2011, 21:08

Sleepy Moose Vedi ultimo messaggio

Nessun messaggio da leggere
Larva Cerambycidae
30.X.2010 - ITALIA - Lazio - RM
Allegato(i)
Larva Cerambycidae

30.X.2010 - ITALIA - Lazio - RM
Coleoptera

soken

9

1519

10/04/2011, 19:48

soken Vedi ultimo messaggio

Nessun messaggio da leggere
Pseudovadonia livida livida (Fabricius, 1777) - Cerambycidae
19.VIII.2010 - ITALIA - Abruzzo - AQ
Allegato(i) Dettagli della specie
Pseudovadonia livida livida (Fabricius, 1777)
Cerambycidae


19.VIII.2010 - ITALIA - Abruzzo - AQ
Coleoptera

conan

3

1476

09/04/2011, 14:32

hpl Vedi ultimo messaggio

Nessun messaggio da leggere
Trichoferus magnanii Sama, 1992
27.III.2011 - SPAGNA - EE
Allegato(i)
Trichoferus magnanii Sama, 1992

27.III.2011 - SPAGNA - EE
Coleoptera

Isotomus

1

991

08/04/2011, 20:17

Antonio Verdugo Vedi ultimo messaggio

Nessun messaggio da leggere
Parmena algirica Laporte, 1840 - Cerambycidae
23.III.2011 - SPAGNA - EE
Allegato(i) Dettagli della specie
Parmena algirica Laporte, 1840
Cerambycidae


23.III.2011 - SPAGNA - EE
Coleoptera

Isotomus

1

908

08/04/2011, 20:16

Antonio Verdugo Vedi ultimo messaggio

Nessun messaggio da leggere
Allegato(i) Dettagli della specie
Certallum ebulinum (Linnaeus, 1767)
Cerambycidae


28.III.1995 - SPAGNA - EE
Coleoptera

Isotomus

5

1215

08/04/2011, 16:28

Antonio Verdugo Vedi ultimo messaggio

Nessun messaggio da leggere
Allegato(i)
Dorcadion (Pedestredorcadion) brunneicolle (Kraatz, 1873) - Cerambycidae

[ Vai alla paginaVai alla pagina: 1, 2 ]



IRAN, REPUBBLICA ISLAMICA DELL' - EE
Coleoptera

Isotomus

20

2839

07/04/2011, 20:20

Antonio Verdugo Vedi ultimo messaggio

Nessun messaggio da leggere
Allegato(i) Dettagli della specie
Dorcadion (Pedestredorcadion) arenarium marsicanum Fracassi, 1905
Cerambycidae


2.IV.2011 - ITALIA - Lazio - VT
Coleoptera

Andricus

2

756

07/04/2011, 18:51

Andricus Vedi ultimo messaggio

Nessun messaggio da leggere
Allegato(i) Dettagli della specie
Phytoecia caerulea caerulea (Scopoli, 1772)
Cerambycidae


30.III.2011 - SPAGNA - EE
Coleoptera

Isotomus

0

652

07/04/2011, 15:45

Isotomus Vedi ultimo messaggio

Visualizza ultimi argomenti:  Ordina per  Ordine:  
nuovo argomento
Vai alla pagina Precedente  1 ... 74, 75, 76, 77, 78, 79, 80 ... 103  Prossimo
Pagina 77 di 103 [ 5103 argomenti ]

Tutti gli orari sono UTC + 1 ora [ ora legale ]


Chi c’è in linea

Visitano il forum: Nessuno e 2 ospiti


Legenda
Messaggi da leggere Messaggi da leggere Nessun messaggio da leggere Nessun messaggio da leggere Annuncio Annuncio
 
Specie indeterminata / discussione generica
Messaggi non letti [ Popolari ] Messaggi non letti [ Popolari ] Nessun messaggio da leggere [ Popolare ] Nessun messaggio da leggere [ Popolare ] Importante Importante
 
Specie determinata fino al genere o cf.
Messaggi non letti [ Bloccati ] Messaggi non letti [ Bloccati ] No messaggi non letti [ Bloccati ] No messaggi non letti [ Bloccati ] Argomento spostato Argomento spostato
 
Specie correttamente determinata
Permessi
Non puoi aprire nuovi argomenti
Non puoi rispondere negli argomenti
Non puoi modificare i tuoi messaggi
Non puoi cancellare i tuoi messaggi
Non puoi inviare allegati

Cerca per:
Vai a: