Benvenuto Ospite

Forum Entomologi Italiani

www.entomologiitaliani.net/forum
 
Oggi è 08/11/2025, 18:36

Tutti gli orari sono UTC + 1 ora [ ora legale ]


92% 
2927 taxa correttamente determinati su 3178 presenti in archivio

Cerambycidae


[ AFROTROPICALE ] [ ANTARTICO ] [ AUSTRALASIANO ] [ NEARTICO ] [ NEOTROPICALE ] [ ORIENTALE ] [ PALEARTICO ]


nuovo argomento
Vai alla pagina Precedente  1 ... 76, 77, 78, 79, 80, 81, 82 ... 103  Prossimo
Pagina 79 di 103 [ 5103 argomenti ]
 Argomenti   Ordine   Autore   Risposte   Visite    Ultimo messaggio 
Annunci
Nessun messaggio da leggere
Allegato(i)
Incontri entomologici telematici organizzati dalla Società Entomologica Italiana nel 2022 e nel 2023

[ Vai alla paginaVai alla pagina: 1, 2, 3 ]

 

Velvet Ant

44

1429763

03/03/2023, 15:55

Velvet Ant Vedi ultimo messaggio

Nessun messaggio da leggere  
Allegato(i)
Sondaggio sul declino dell'entomofauna in Italia

[ Vai alla paginaVai alla pagina: 1, 2, 3, 4 ]

 

Velvet Ant

52

1757682

22/10/2022, 19:18

Acquarius Vedi ultimo messaggio

Nessun messaggio da leggere  
Allegato(i)
Progetto: Bibliografia ragionata dei lavori entomologici nei quali sono citati reperti apparsi su FEI

[ Vai alla paginaVai alla pagina: 1, 2, 3 ]

 

Velvet Ant

33

1170708

06/07/2023, 18:31

Orotrechus Vedi ultimo messaggio

Nessun messaggio da leggere
Allegato(i)
Mimesi, il primo documentario cinematografico sull’entomologia in Italia: casting
 

mazzeip

1

456923

28/02/2019, 20:26

mazzeip Vedi ultimo messaggio

Questo argomento è bloccato, non puoi modificare o inviare ulteriori messaggi.
Allegato(i)
ISTRUZIONI PUBBLICAZIONE NUOVI ARGOMENTI E FOTO

 
Altri Ordini di Insetti

Julodis

4

906225

13/05/2015, 19:37

Julodis Vedi ultimo messaggio

Nessun messaggio da leggere
Allegato(i)
Limitatore giornaliero di messaggi, uno strumento utile e ormai indispensabile

[ Vai alla paginaVai alla pagina: 1 ... 14, 15, 16 ]

 

Velvet Ant

233

8829797

25/09/2014, 14:31

Inachis Vedi ultimo messaggio

Nessun messaggio da leggere  
NORME PER I COLLABORATORI DEL FORUM

 
 

Velvet Ant

0

478871

02/06/2011, 12:05

Velvet Ant Vedi ultimo messaggio

Nessun messaggio da leggere
Allegato(i)
NORME PER GLI UTENTI DEL FORUM

[ Vai alla paginaVai alla pagina: 1, 2, 3 ]



 
 

Velvet Ant

30

2345847

23/09/2014, 23:54

Maurizio Bollino Vedi ultimo messaggio

Questo argomento è bloccato, non puoi modificare o inviare ulteriori messaggi.  
Elenco delle specie italiane di Cerambycidae presenti sul forum
Cerambycidae


 
Coleoptera

Plagionotus

0

5997

22/11/2010, 22:28

Plagionotus Vedi ultimo messaggio

Nessun messaggio da leggere  
Lista degli utenti del "Forum entomologi italiani" per campi di interesse e specializzazione

 
Altri Ordini di Insetti

Velvet Ant

13

944294

07/09/2023, 17:14

Roberto-07 Vedi ultimo messaggio

Argomenti
Nessun messaggio da leggere
Allegato(i)
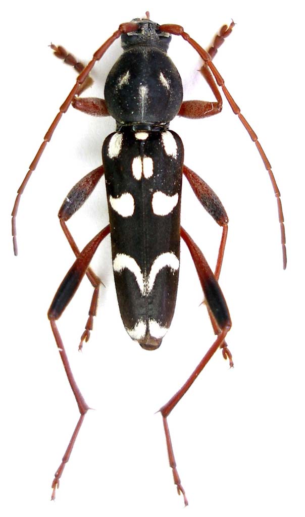
Dorcadion (Pedestredorcadion) shirvanicum shirvanicum Bogachev, 1934

22.IV.1992 - AZERBAIJAN - EE
Coleoptera

Plagionotus

12

3091

16/03/2011, 22:24

Plagionotus Vedi ultimo messaggio

Nessun messaggio da leggere
Rusticoclytus rusticus (Linnaeus, 1758) - Cerambycidae
2.II.2011 - ITALIA - Trentino-Alto Adige - TN
Allegato(i) Dettagli della specie
Rusticoclytus rusticus (Linnaeus, 1758)
Cerambycidae


2.II.2011 - ITALIA - Trentino-Alto Adige - TN
Coleoptera

Pippistrello

11

3023

16/03/2011, 18:22

Pippistrello Vedi ultimo messaggio

Nessun messaggio da leggere
Saphanus piceus piceus (Laicharting, 1784) - Cerambycidae
15.VI.2006 - ITALIA - Sicilia - ME
Allegato(i) Dettagli della specie
Saphanus piceus piceus (Laicharting, 1784)
Cerambycidae

[ Vai alla paginaVai alla pagina: 1, 2 ]



15.VI.2006 - ITALIA - Sicilia - ME
Coleoptera

Mikiphasmide

20

4422

16/03/2011, 17:48

Daniele Sechi Vedi ultimo messaggio

Nessun messaggio da leggere
Allegato(i) Dettagli della specie
Stenurella sennii Sama, 2002
Cerambycidae


 
Coleoptera

Isotomus

1

1757

15/03/2011, 23:11

conan Vedi ultimo messaggio

Nessun messaggio da leggere
Stenurella sennii Sama, 2002 - Cerambycidae
19.VIII.2010 - ITALIA - Abruzzo - AQ
Allegato(i) Dettagli della specie
Stenurella sennii Sama, 2002
Cerambycidae


19.VIII.2010 - ITALIA - Abruzzo - AQ
Coleoptera

conan

10

2914

15/03/2011, 21:55

conan Vedi ultimo messaggio

Nessun messaggio da leggere
Obrium cantharinum (Linnaeus, 1767) - Cerambycidae
12.V.1995 - ITALIA - Puglia - LE
Allegato(i) Dettagli della specie
Obrium cantharinum (Linnaeus, 1767)
Cerambycidae


12.V.1995 - ITALIA - Puglia - LE
Coleoptera

Maurizio Bollino

12

2491

15/03/2011, 18:49

Isotomus Vedi ultimo messaggio

Nessun messaggio da leggere
Parmena subpubescens Hellrigl, 1971 - Cerambycidae
8.III.2011 - ITALIA - Sicilia - RG
Allegato(i) Dettagli della specie
Parmena subpubescens Hellrigl, 1971
Cerambycidae


8.III.2011 - ITALIA - Sicilia - RG
Coleoptera

Pippistrello

9

2012

15/03/2011, 16:43

Plagionotus Vedi ultimo messaggio

Nessun messaggio da leggere
Plagionotus arcuatus (Linnaeus, 1758) - Cerambycidae
31.V.2010 - ITALIA - Emilia-Romagna - MO
Allegato(i) Dettagli della specie
Plagionotus arcuatus (Linnaeus, 1758)
Cerambycidae


31.V.2010 - ITALIA - Emilia-Romagna - MO
Coleoptera

conan

3

1171

15/03/2011, 16:41

Plagionotus Vedi ultimo messaggio

Nessun messaggio da leggere
Allegato(i) Dettagli della specie
Pedostrangalia (Neosphenalia) verticalis (Germar, 1822)
Cerambycidae


1.VI.1995 - ITALIA - Puglia - LE
Coleoptera

Isotomus

3

1262

15/03/2011, 13:26

Maurizio Bollino Vedi ultimo messaggio

Nessun messaggio da leggere
Stenurella nigra (Linnaeus, 1758) - Cerambycidae
27.V.1995 - ITALIA - Puglia - LE
Allegato(i) Dettagli della specie
Stenurella nigra (Linnaeus, 1758)
Cerambycidae


27.V.1995 - ITALIA - Puglia - LE
Coleoptera

Maurizio Bollino

8

2012

15/03/2011, 13:14

Isotomus Vedi ultimo messaggio

Nessun messaggio da leggere
Exocentrus punctipennis Mulsant & Guillebeau, 1856 - Cerambycidae
13.VI.2010 - ITALIA - Emilia-Romagna - RE
Allegato(i) Dettagli della specie
Exocentrus punctipennis Mulsant & Guillebeau, 1856
Cerambycidae


13.VI.2010 - ITALIA - Emilia-Romagna - RE
Coleoptera

conan

1

1030

15/03/2011, 11:32

mcer Vedi ultimo messaggio

Nessun messaggio da leggere
Allegato(i)
Dorcadion (Pedestredorcadion) axillare - Cerambycidae

9.VI.1988 - BULGARIA - EE
Coleoptera

ivo

2

944

14/03/2011, 21:03

ivo Vedi ultimo messaggio

Nessun messaggio da leggere
Grammoptera ruficornis ruficornis (Fabricius, 1781) - Cerambycidae
31.V.2010 - ITALIA - Emilia-Romagna - MO
Allegato(i) Dettagli della specie
Grammoptera ruficornis ruficornis (Fabricius, 1781)
Cerambycidae

[ Vai alla paginaVai alla pagina: 1, 2 ]



31.V.2010 - ITALIA - Emilia-Romagna - MO
Coleoptera

conan

18

3123

14/03/2011, 19:32

Plagionotus Vedi ultimo messaggio

Nessun messaggio da leggere
Clytus arietis arietis (Linnaeus, 1758) - Cerambycidae
12.V.1995 - ITALIA - Basilicata - PZ
Allegato(i) Dettagli della specie
Clytus arietis arietis (Linnaeus, 1758)
Cerambycidae


12.V.1995 - ITALIA - Basilicata - PZ
Coleoptera

Maurizio Bollino

4

1341

14/03/2011, 19:28

Plagionotus Vedi ultimo messaggio

Nessun messaggio da leggere
Tetrops praeustus praeustus (Linnaeus, 1758) - Cerambycidae
9.V.2010 - ITALIA - Emilia-Romagna - MO
Allegato(i) Dettagli della specie
Tetrops praeustus praeustus (Linnaeus, 1758)
Cerambycidae


9.V.2010 - ITALIA - Emilia-Romagna - MO
Coleoptera

conan

5

1500

14/03/2011, 18:39

Isotomus Vedi ultimo messaggio

Nessun messaggio da leggere
Cortodera humeralis humeralis (Schaller, 1783) - Cerambycidae
30.IV.2010 - ITALIA - Emilia-Romagna - MO
Allegato(i) Dettagli della specie
Cortodera humeralis humeralis (Schaller, 1783)
Cerambycidae


30.IV.2010 - ITALIA - Emilia-Romagna - MO
Coleoptera

conan

4

1303

14/03/2011, 15:43

Plagionotus Vedi ultimo messaggio

Nessun messaggio da leggere
Allegato(i) Dettagli della specie
Acmaeops pratensis (Laicharting, 1784)
Cerambycidae


16.VI.2009 - BULGARIA - EE
Coleoptera

Isotomus

2

1417

14/03/2011, 15:13

Loriscola Vedi ultimo messaggio

Nessun messaggio da leggere
Grammoptera ruficornis ruficornis (Fabricius, 1781) - Cerambycidae
24.II.2011 - ITALIA - Emilia-Romagna - MO
Allegato(i) Dettagli della specie
Grammoptera ruficornis ruficornis (Fabricius, 1781)
Cerambycidae


24.II.2011 - ITALIA - Emilia-Romagna - MO
Coleoptera

conan

7

1698

14/03/2011, 15:02

Entomarci Vedi ultimo messaggio

Nessun messaggio da leggere
Pseudovadonia livida livida (Fabricius, 1777) - Cerambycidae
13.VI.2010 - ITALIA - Emilia-Romagna - RE
Allegato(i) Dettagli della specie
Pseudovadonia livida livida (Fabricius, 1777)
Cerambycidae


13.VI.2010 - ITALIA - Emilia-Romagna - RE
Coleoptera

conan

1

789

13/03/2011, 23:59

Plagionotus Vedi ultimo messaggio

Nessun messaggio da leggere
Obrium brunneum (Fabricius, 1792) - Cerambycidae
26.VI.2010 - ITALIA - Emilia-Romagna - MO
Allegato(i) Dettagli della specie
Obrium brunneum (Fabricius, 1792)
Cerambycidae


26.VI.2010 - ITALIA - Emilia-Romagna - MO
Coleoptera

conan

2

1133

13/03/2011, 23:49

Plagionotus Vedi ultimo messaggio

Nessun messaggio da leggere
Leiopus nebulosus nebulosus (Linnaeus, 1758) - Cerambycidae
12.III.2011 - ITALIA - Lombardia - CO
Allegato(i) Dettagli della specie
Leiopus nebulosus nebulosus (Linnaeus, 1758)
Cerambycidae

[ Vai alla paginaVai alla pagina: 1, 2 ]



12.III.2011 - ITALIA - Lombardia - CO
Coleoptera

Xylotrechus

15

2831

13/03/2011, 14:10

Plagionotus Vedi ultimo messaggio

Nessun messaggio da leggere
larva di Cerambycidae
12.III.2011 - ITALIA - Marche - PU
Allegato(i)
larva di Cerambycidae
Cerambycidae


12.III.2011 - ITALIA - Marche - PU
Coleoptera

marco paglialunga

0

665

13/03/2011, 13:45

marco paglialunga Vedi ultimo messaggio

Nessun messaggio da leggere
Morimus asper asper (Sulzer, 1776) - Cerambycidae
15.V.2009 - ITALIA - Toscana - PO
Allegato(i) Dettagli della specie
Morimus asper asper (Sulzer, 1776)
Cerambycidae


15.V.2009 - ITALIA - Toscana - PO
Coleoptera

DanieleC

8

1652

12/03/2011, 16:00

DanieleC Vedi ultimo messaggio

Nessun messaggio da leggere
Allegato(i)
Anoplodera rufipes rufipes (Schaller, 1783) - Bulgaria

17.VI.2009 - BULGARIA - EE
Coleoptera

Isotomus

2

929

10/03/2011, 17:34

Isotomus Vedi ultimo messaggio

Nessun messaggio da leggere
Pyrrhidium sanguineum (Linnaeus, 1758) - Cerambycidae
22.II.2011 - ITALIA - Umbria - PG
Allegato(i) Dettagli della specie
Pyrrhidium sanguineum (Linnaeus, 1758)
Cerambycidae


22.II.2011 - ITALIA - Umbria - PG
Coleoptera

ilio

7

1329

10/03/2011, 15:29

Entomarci Vedi ultimo messaggio

Nessun messaggio da leggere
Allegato(i)
Agapanthia (Epoptes) lateralis (Ganglbauer, 1884) - Cerambycidae

15.V.2010 - TURCHIA - EE
Coleoptera

jaho

2

727

10/03/2011, 13:09

jaho Vedi ultimo messaggio

Nessun messaggio da leggere
Cortodera flavimana (Waltl, 1838) - Bulgaria
17.VI.2009 - BULGARIA - EE
Allegato(i)
Cortodera flavimana (Waltl, 1838) - Bulgaria

17.VI.2009 - BULGARIA - EE
Coleoptera

Isotomus

0

519

10/03/2011, 11:54

Isotomus Vedi ultimo messaggio

Nessun messaggio da leggere
Pedostrangalia adaliae (Reitter, 1885)
13.V.2010 - TURCHIA - EE
Allegato(i)
Pedostrangalia adaliae (Reitter, 1885)

13.V.2010 - TURCHIA - EE
Coleoptera

jaho

0

568

10/03/2011, 2:12

jaho Vedi ultimo messaggio

Nessun messaggio da leggere
Stenopterus rufus rufus (Linnaeus, 1767) - Cerambycidae
14.VII.2009 - ITALIA - Lombardia - SO
Allegato(i) Dettagli della specie
Stenopterus rufus rufus (Linnaeus, 1767)
Cerambycidae


14.VII.2009 - ITALIA - Lombardia - SO
Coleoptera

Luciano Menghi

3

872

09/03/2011, 13:53

Phytoecia Vedi ultimo messaggio

Nessun messaggio da leggere
Xylosteus bartoni Obenberger & Mařan, 1933
22.VI.2009 - BULGARIA - EE
Allegato(i)
Xylosteus bartoni Obenberger & Mařan, 1933

22.VI.2009 - BULGARIA - EE
Coleoptera

Isotomus

5

1268

09/03/2011, 13:10

Isotomus Vedi ultimo messaggio

Nessun messaggio da leggere
Stenopterus rufus rufus (Linnaeus, 1767) - Cerambycidae
27.V.2009 - ITALIA - Lombardia - SO
Allegato(i) Dettagli della specie
Stenopterus rufus rufus (Linnaeus, 1767)
Cerambycidae


27.V.2009 - ITALIA - Lombardia - SO
Coleoptera

Luciano Menghi

1

780

09/03/2011, 12:39

cosmln Vedi ultimo messaggio

Nessun messaggio da leggere
Allegato(i) Dettagli della specie
Pidonia (Pidonia) lurida (Fabricius, 1792)
Cerambycidae


29.VI.2009 - ROMANIA - EE
Coleoptera

Isotomus

1

1009

08/03/2011, 18:43

cosmln Vedi ultimo messaggio

Nessun messaggio da leggere
Allegato(i) Dettagli della specie
Rutpela maculata maculata (Poda, 1761)
Cerambycidae


18.VI.2009 - BULGARIA - EE
Coleoptera

Isotomus

0

717

08/03/2011, 18:01

Isotomus Vedi ultimo messaggio

Nessun messaggio da leggere
Allegato(i) Dettagli della specie
Evodinus clathratus (Fabricius, 1792)
Cerambycidae


29.VI.2009 - ROMANIA - EE
Coleoptera

Isotomus

0

633

08/03/2011, 16:30

Isotomus Vedi ultimo messaggio

Nessun messaggio da leggere
Phytoecia kabateki Sama, 1996
17.V.1995 - REPUBBLICA ARABA SIRIANA - EE
Allegato(i)
Phytoecia kabateki Sama, 1996

17.V.1995 - REPUBBLICA ARABA SIRIANA - EE
Coleoptera

Dave

2

808

07/03/2011, 19:53

Dave Vedi ultimo messaggio

Nessun messaggio da leggere
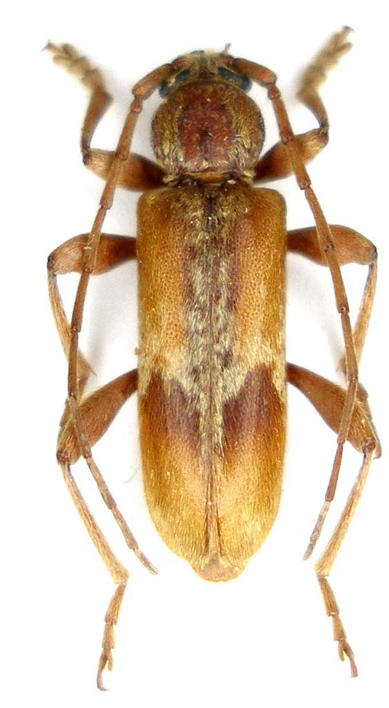
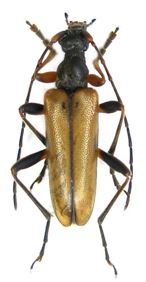
Trichoferus arenbergeri Holzschuh, 1995 - Cerambycidae
28.VI.2006 - ITALIA - Sardegna - CA
Allegato(i) Dettagli della specie
Trichoferus arenbergeri Holzschuh, 1995
Cerambycidae

[ Vai alla paginaVai alla pagina: 1, 2 ]



28.VI.2006 - ITALIA - Sardegna - CA
Coleoptera

Isotomus

16

3105

07/03/2011, 17:19

Daniele Sechi Vedi ultimo messaggio

Nessun messaggio da leggere
Allegato(i)
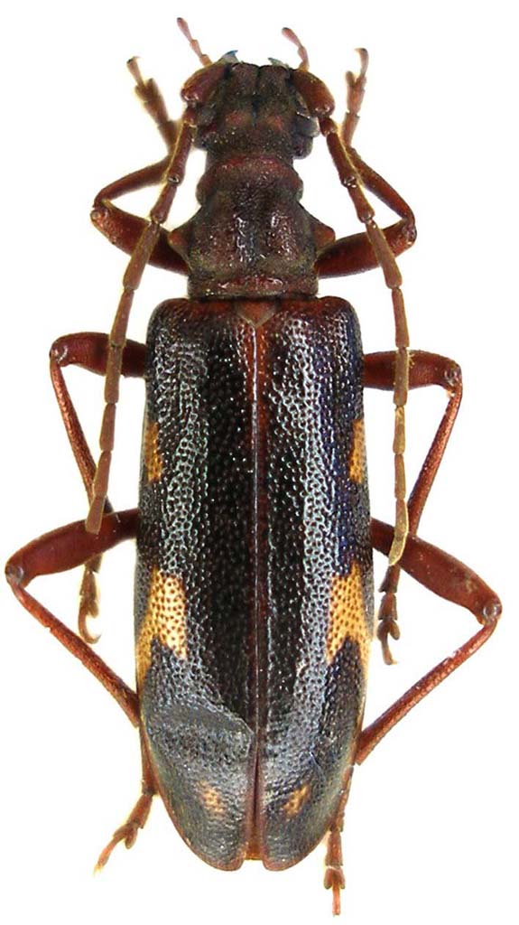
Blepisanis vittipennis (Reiche 1877) (Cerambycidae Lamiinae) - Grecia

9.VI.1997 - GRECIA - EE
Coleoptera

Velvet Ant

1

857

05/03/2011, 23:30

Plagionotus Vedi ultimo messaggio

Nessun messaggio da leggere
Allegato(i) Dettagli della specie
Aegosoma scabricorne (Scopoli, 1763)
Cerambycidae


ITALIA - Marche - PU
Coleoptera

marco paglialunga

7

1965

05/03/2011, 9:34

marco paglialunga Vedi ultimo messaggio

Nessun messaggio da leggere
Allegato(i)
Agapanthiola leucaspis (Steven 1817) - Cerambycidae Lamiinae Agapanthiini

18.VI.2008 - BULGARIA - EE
Coleoptera

Isotomus

1

823

04/03/2011, 21:27

Plagionotus Vedi ultimo messaggio

Nessun messaggio da leggere
Allegato(i) Dettagli della specie
Isotomus speciosus speciosus (Schneider, 1787)
Cerambycidae


18.VI.2009 - BULGARIA - EE
Coleoptera

Isotomus

3

1363

04/03/2011, 17:20

Entomofou Vedi ultimo messaggio

Nessun messaggio da leggere
Poecilium glabratum (Charpentier, 1825) - Cerambycidae
27.II.2011 - ITALIA - Emilia-Romagna - RA
Allegato(i) Dettagli della specie
Poecilium glabratum (Charpentier, 1825)
Cerambycidae


27.II.2011 - ITALIA - Emilia-Romagna - RA
Coleoptera

Entomarci

3

1090

04/03/2011, 16:04

Plagionotus Vedi ultimo messaggio

Nessun messaggio da leggere
Allegato(i) Dettagli della specie
Rhagium (Rhagium) inquisitor inquisitor (Linnaeus, 1758)
Cerambycidae


3.III.2011 - ITALIA - Lombardia - SO
Coleoptera

Luciano Menghi

8

2032

03/03/2011, 23:21

Plagionotus Vedi ultimo messaggio

Nessun messaggio da leggere
larva di Cerambycidae
3.III.2011 - ITALIA - Lombardia - SO
Allegato(i)
larva di Cerambycidae
Cerambycidae


3.III.2011 - ITALIA - Lombardia - SO
Coleoptera

Luciano Menghi

1

910

03/03/2011, 18:29

Alessio89 Vedi ultimo messaggio

Nessun messaggio da leggere
Allegato(i) Dettagli della specie
Glaphyra (Glaphyra) umbellatarum (Schreber, 1759)
Cerambycidae


21.IV.2007 - ITALIA - Lazio - RI
Coleoptera

Julodis

6

1999

01/03/2011, 16:14

Isotomus Vedi ultimo messaggio

Nessun messaggio da leggere
Trichoferus antonioui Sama, 1994
IV.2006 - CIPRO - EE
Allegato(i)
Trichoferus antonioui Sama, 1994

IV.2006 - CIPRO - EE
Coleoptera

Trichoferus

1

918

01/03/2011, 10:13

Isotomus Vedi ultimo messaggio

Nessun messaggio da leggere
Grammoptera ustulata (Schaller, 1783) - Cerambycidae
14.III.2005 - ITALIA - Lazio - FR
Allegato(i) Dettagli della specie
Grammoptera ustulata (Schaller, 1783)
Cerambycidae


14.III.2005 - ITALIA - Lazio - FR
Coleoptera

Julodis

3

1198

01/03/2011, 1:36

Julodis Vedi ultimo messaggio

Nessun messaggio da leggere
Trichoferus georgioui Sama & Makris, 2001
15.VII.2000 - CIPRO - EE
Allegato(i)
Trichoferus georgioui Sama & Makris, 2001

15.VII.2000 - CIPRO - EE
Coleoptera

Isotomus

1

979

28/02/2011, 22:57

Trichoferus Vedi ultimo messaggio

Nessun messaggio da leggere
Allegato(i) Dettagli della specie
Leioderes kollari kollari L. Redtenbacher, 1849
Cerambycidae


VII.2006 - CROAZIA - EE
Coleoptera

Plagionotus

1

1155

28/02/2011, 20:58

Entomarci Vedi ultimo messaggio

Nessun messaggio da leggere
Trichoferus pallidus (Olivier, 1790)
18.VII.2000 - FRANCIA - EE
Allegato(i)
Trichoferus pallidus (Olivier, 1790)

18.VII.2000 - FRANCIA - EE
Coleoptera

Isotomus

0

646

28/02/2011, 12:40

Isotomus Vedi ultimo messaggio

Nessun messaggio da leggere
Trichoferus kotschyi (Ganglbauer, 1883)
VI.1988 - TURCHIA - EE
Allegato(i)
Trichoferus kotschyi (Ganglbauer, 1883)

VI.1988 - TURCHIA - EE
Coleoptera

Isotomus

1

599

28/02/2011, 12:30

cosmln Vedi ultimo messaggio

Visualizza ultimi argomenti:  Ordina per  Ordine:  
nuovo argomento
Vai alla pagina Precedente  1 ... 76, 77, 78, 79, 80, 81, 82 ... 103  Prossimo
Pagina 79 di 103 [ 5103 argomenti ]

Tutti gli orari sono UTC + 1 ora [ ora legale ]


Chi c’è in linea

Visitano il forum: Nessuno e 1 ospite


Legenda
Messaggi da leggere Messaggi da leggere Nessun messaggio da leggere Nessun messaggio da leggere Annuncio Annuncio
 
Specie indeterminata / discussione generica
Messaggi non letti [ Popolari ] Messaggi non letti [ Popolari ] Nessun messaggio da leggere [ Popolare ] Nessun messaggio da leggere [ Popolare ] Importante Importante
 
Specie determinata fino al genere o cf.
Messaggi non letti [ Bloccati ] Messaggi non letti [ Bloccati ] No messaggi non letti [ Bloccati ] No messaggi non letti [ Bloccati ] Argomento spostato Argomento spostato
 
Specie correttamente determinata
Permessi
Non puoi aprire nuovi argomenti
Non puoi rispondere negli argomenti
Non puoi modificare i tuoi messaggi
Non puoi cancellare i tuoi messaggi
Non puoi inviare allegati

Cerca per:
Vai a: