Benvenuto Ospite

Forum Entomologi Italiani

www.entomologiitaliani.net/forum
 
Oggi è 07/11/2025, 21:21

Tutti gli orari sono UTC + 1 ora [ ora legale ]


92% 
2927 taxa correttamente determinati su 3178 presenti in archivio

Cerambycidae


[ AFROTROPICALE ] [ ANTARTICO ] [ AUSTRALASIANO ] [ NEARTICO ] [ NEOTROPICALE ] [ ORIENTALE ] [ PALEARTICO ]


nuovo argomento
Vai alla pagina Precedente  1 ... 90, 91, 92, 93, 94, 95, 96 ... 103  Prossimo
Pagina 93 di 103 [ 5103 argomenti ]
 Argomenti   Ordine   Autore   Risposte   Visite    Ultimo messaggio 
Annunci
Nessun messaggio da leggere
Allegato(i)
Incontri entomologici telematici organizzati dalla Società Entomologica Italiana nel 2022 e nel 2023

[ Vai alla paginaVai alla pagina: 1, 2, 3 ]

 

Velvet Ant

44

1426829

03/03/2023, 15:55

Velvet Ant Vedi ultimo messaggio

Nessun messaggio da leggere  
Allegato(i)
Sondaggio sul declino dell'entomofauna in Italia

[ Vai alla paginaVai alla pagina: 1, 2, 3, 4 ]

 

Velvet Ant

52

1754620

22/10/2022, 19:18

Acquarius Vedi ultimo messaggio

Nessun messaggio da leggere  
Allegato(i)
Progetto: Bibliografia ragionata dei lavori entomologici nei quali sono citati reperti apparsi su FEI

[ Vai alla paginaVai alla pagina: 1, 2, 3 ]

 

Velvet Ant

33

1168835

06/07/2023, 18:31

Orotrechus Vedi ultimo messaggio

Nessun messaggio da leggere
Allegato(i)
Mimesi, il primo documentario cinematografico sull’entomologia in Italia: casting
 

mazzeip

1

456462

28/02/2019, 20:26

mazzeip Vedi ultimo messaggio

Questo argomento è bloccato, non puoi modificare o inviare ulteriori messaggi.
Allegato(i)
ISTRUZIONI PUBBLICAZIONE NUOVI ARGOMENTI E FOTO

 
Altri Ordini di Insetti

Julodis

4

899253

13/05/2015, 19:37

Julodis Vedi ultimo messaggio

Nessun messaggio da leggere
Allegato(i)
Limitatore giornaliero di messaggi, uno strumento utile e ormai indispensabile

[ Vai alla paginaVai alla pagina: 1 ... 14, 15, 16 ]

 

Velvet Ant

233

8814995

25/09/2014, 14:31

Inachis Vedi ultimo messaggio

Nessun messaggio da leggere  
NORME PER I COLLABORATORI DEL FORUM

 
 

Velvet Ant

0

478712

02/06/2011, 12:05

Velvet Ant Vedi ultimo messaggio

Nessun messaggio da leggere
Allegato(i)
NORME PER GLI UTENTI DEL FORUM

[ Vai alla paginaVai alla pagina: 1, 2, 3 ]



 
 

Velvet Ant

30

2344308

23/09/2014, 23:54

Maurizio Bollino Vedi ultimo messaggio

Questo argomento è bloccato, non puoi modificare o inviare ulteriori messaggi.  
Elenco delle specie italiane di Cerambycidae presenti sul forum
Cerambycidae


 
Coleoptera

Plagionotus

0

5994

22/11/2010, 22:28

Plagionotus Vedi ultimo messaggio

Nessun messaggio da leggere  
Lista degli utenti del "Forum entomologi italiani" per campi di interesse e specializzazione

 
Altri Ordini di Insetti

Velvet Ant

13

943492

07/09/2023, 17:14

Roberto-07 Vedi ultimo messaggio

Argomenti
Nessun messaggio da leggere
Allegato(i) Dettagli della specie
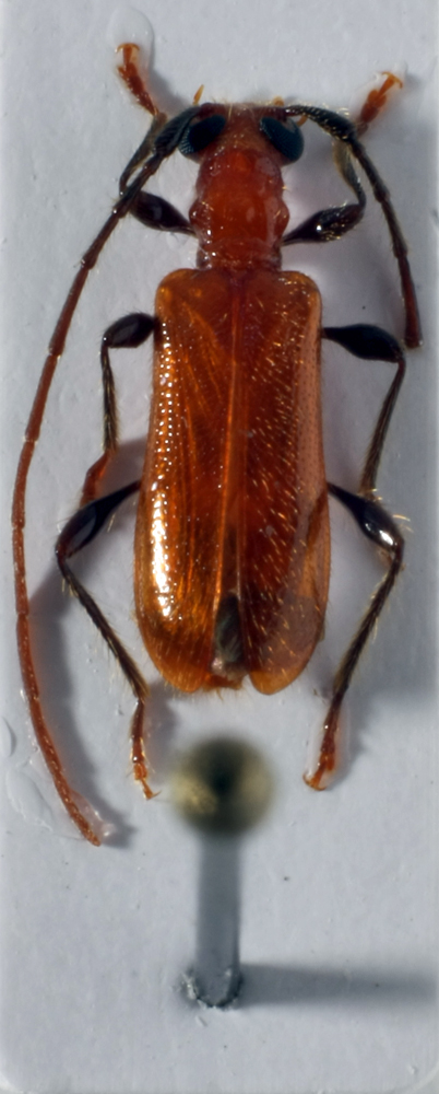
Xylotrechus (Xylotrechus) stebbingi Gahan, 1906
Cerambycidae


16.VII.2010 - ITALIA - Lazio - FR
Coleoptera

Julodis

13

2235

22/07/2010, 22:20

Plagionotus Vedi ultimo messaggio

Nessun messaggio da leggere
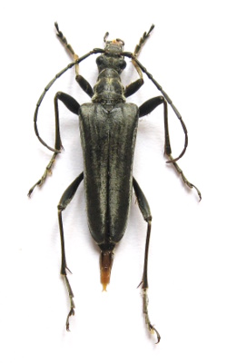
Plagionotus scalaris (Brullé, 1832) - Cerambycidae
24.V.2008 - ITALIA - Puglia - FG
Allegato(i) Dettagli della specie
Plagionotus scalaris (Brullé, 1832)
Cerambycidae


24.V.2008 - ITALIA - Puglia - FG
Coleoptera

Eopteryx

5

1463

22/07/2010, 21:43

Falconyere Vedi ultimo messaggio

Nessun messaggio da leggere
Allegato(i) Dettagli della specie
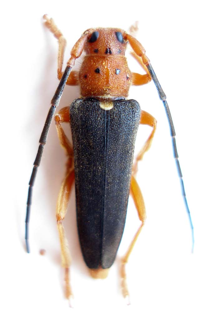
Trichoferus fasciculatus fasciculatus (Faldermann, 1837) cf.
Cerambycidae


20.VIII.2007 - ITALIA - Sicilia - TP
Coleoptera

Eopteryx

3

974

22/07/2010, 19:12

Velvet Ant Vedi ultimo messaggio

Nessun messaggio da leggere
Allegato(i) Dettagli della specie
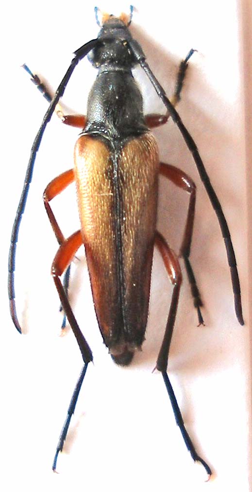
Clytus rhamni Germar, 1817
Cerambycidae

[ Vai alla paginaVai alla pagina: 1, 2 ]



ITALIA - Puglia - FG
Coleoptera

Eopteryx

18

4138

22/07/2010, 16:19

Isotomus Vedi ultimo messaggio

Nessun messaggio da leggere
Aegosoma scabricorne (Scopoli, 1763) - Cerambycidae
VII.2010 - ITALIA - Lombardia - BS
Allegato(i) Dettagli della specie
Aegosoma scabricorne (Scopoli, 1763)
Cerambycidae


VII.2010 - ITALIA - Lombardia - BS
Coleoptera

Pippistrello

12

3193

22/07/2010, 14:18

Plagionotus Vedi ultimo messaggio

Nessun messaggio da leggere
Allegato(i)
Acrocinus longimanus (Linnaeus, 1758) - Cerambycidae - Ecuador

IV.2007 - ECUADOR - EE
Coleoptera

ruzzpa

10

2616

22/07/2010, 9:52

Daniele Sechi Vedi ultimo messaggio

Nessun messaggio da leggere
Allegato(i)
Rhamnusium graecum graeum (Schaufuss, 1862) - Cerambycidae

2010 - GRECIA - EE
Coleoptera

Drymochares

9

1615

22/07/2010, 9:05

Anillus Vedi ultimo messaggio

Nessun messaggio da leggere
Allegato(i)
Stenurella cf. ferruginipes Pic, 1895 - Cerambycidae

21.VI.2010 - TURCHIA - EE
Coleoptera

Isotomus

0

457

21/07/2010, 23:19

Isotomus Vedi ultimo messaggio

Nessun messaggio da leggere
Allegato(i)
Musaria kurdistana (Ganglbauer, 1884) - Cerambycidae - Turchia

21.VI.2010 - TURCHIA - EE
Coleoptera

Isotomus

0

497

21/07/2010, 23:11

Isotomus Vedi ultimo messaggio

Nessun messaggio da leggere
Allegato(i)
Musaria astarte lederi Pic, 1899 - Cerambycidae - Spedizione entomologica friulano romagnola - Turchia 2010

21.VI.2010 - TURCHIA - EE
Coleoptera

Isotomus

0

517

21/07/2010, 23:02

Isotomus Vedi ultimo messaggio

Nessun messaggio da leggere
Allegato(i) Dettagli della specie
Leptura quadrifasciata quadrifasciata Linnaeus, 1758
Cerambycidae


19.VII.2010 - ITALIA - Lombardia - SO
Coleoptera

Giuseppe

2

1015

21/07/2010, 9:09

Giuseppe Vedi ultimo messaggio

Nessun messaggio da leggere
Stenocorus (Stenocorus) meridianus (Linnaeus, 1758) - Cerambycidae
19.VII.2010 - ITALIA - Lombardia - SO
Allegato(i) Dettagli della specie
Stenocorus (Stenocorus) meridianus (Linnaeus, 1758)
Cerambycidae


19.VII.2010 - ITALIA - Lombardia - SO
Coleoptera

Giuseppe

0

852

20/07/2010, 10:56

Giuseppe Vedi ultimo messaggio

Nessun messaggio da leggere
Clytus arietis arietis (Linnaeus, 1758) - Cerambycidae
11.VII.2010 - ITALIA - Trentino-Alto Adige - TN
Allegato(i) Dettagli della specie
Clytus arietis arietis (Linnaeus, 1758)
Cerambycidae


11.VII.2010 - ITALIA - Trentino-Alto Adige - TN
Coleoptera

conan

1

825

20/07/2010, 7:09

Isotomus Vedi ultimo messaggio

Nessun messaggio da leggere
Anastrangalia sanguinolenta (Linnaeus, 1760) - Cerambycidae
11.VII.2010 - ITALIA - Trentino-Alto Adige - TN
Allegato(i) Dettagli della specie
Anastrangalia sanguinolenta (Linnaeus, 1760)
Cerambycidae


11.VII.2010 - ITALIA - Trentino-Alto Adige - TN
Coleoptera

conan

1

1009

20/07/2010, 7:08

Isotomus Vedi ultimo messaggio

Nessun messaggio da leggere
Obrium cantharinum (Linnaeus, 1767) - Cerambycidae
20.VII.2010 - ITALIA - Abruzzo - PE
Allegato(i) Dettagli della specie
Obrium cantharinum (Linnaeus, 1767)
Cerambycidae


20.VII.2010 - ITALIA - Abruzzo - PE
Coleoptera

conan

1

866

20/07/2010, 7:06

Isotomus Vedi ultimo messaggio

Nessun messaggio da leggere
Hesperophanes sericeus (Fabricius, 1787) - Cerambycidae
18.VII.2010 - ITALIA - Sicilia - PA
Allegato(i) Dettagli della specie
Hesperophanes sericeus (Fabricius, 1787)
Cerambycidae


18.VII.2010 - ITALIA - Sicilia - PA
Coleoptera

Skarab

2

1168

19/07/2010, 15:23

Isotomus Vedi ultimo messaggio

Nessun messaggio da leggere
Xylotrechus (Xylotrechus) stebbingi Gahan, 1906 - Cerambycidae
VII.2010 - ITALIA - Emilia-Romagna - BO
Allegato(i) Dettagli della specie
Xylotrechus (Xylotrechus) stebbingi Gahan, 1906
Cerambycidae


VII.2010 - ITALIA - Emilia-Romagna - BO
Coleoptera

Loriscola

0

647

18/07/2010, 20:04

Loriscola Vedi ultimo messaggio

Nessun messaggio da leggere
Allegato(i) Dettagli della specie
Stictoleptura cordigera cordigera (Fuessly, 1775)
Cerambycidae


18.VII.2010 - ITALIA - Lazio - RM
Coleoptera

Broc

3

995

18/07/2010, 17:55

Isotomus Vedi ultimo messaggio

Nessun messaggio da leggere
Saperda punctata (Linnaeus, 1767) - Cerambycidae
VIII.1991 - ITALIA - Marche - PU
Allegato(i) Dettagli della specie
Saperda punctata (Linnaeus, 1767)
Cerambycidae

[ Vai alla paginaVai alla pagina: 1, 2 ]



VIII.1991 - ITALIA - Marche - PU
Coleoptera

marco paglialunga

28

3796

17/07/2010, 18:03

marco paglialunga Vedi ultimo messaggio

Questo argomento è bloccato, non puoi modificare o inviare ulteriori messaggi.
Allegato(i) Dettagli della specie
Agapanthia (Epoptes) sicula malmerendii Sama, 1981
Cerambycidae

[ Vai alla paginaVai alla pagina: 1, 2, 3 ]



ITALIA - Sardegna - NU
Coleoptera

Peibol il Sardo

32

5600

16/07/2010, 20:52

Hemerobius Vedi ultimo messaggio

Nessun messaggio da leggere
Musaria tirellii (Luigioni, 1913) - Cerambycidae
16.VI.2004 - ITALIA - Marche - PU
Allegato(i) Dettagli della specie
Musaria tirellii (Luigioni, 1913)
Cerambycidae


16.VI.2004 - ITALIA - Marche - PU
Coleoptera

Isotomus

8

3127

16/07/2010, 19:20

zerun59 Vedi ultimo messaggio

Nessun messaggio da leggere
Aegosoma scabricorne (Scopoli, 1763) - Cerambycidae
14.VII.2010 - ITALIA - Lombardia - CO
Allegato(i) Dettagli della specie
Aegosoma scabricorne (Scopoli, 1763)
Cerambycidae


14.VII.2010 - ITALIA - Lombardia - CO
Coleoptera

Giuseppe

10

3150

15/07/2010, 23:38

Julodis Vedi ultimo messaggio

Nessun messaggio da leggere
Leptura aurulenta Fabricius, 1792 - Cerambycidae
26.VI.2010 - ITALIA - Lombardia - CO
Allegato(i) Dettagli della specie
Leptura aurulenta Fabricius, 1792
Cerambycidae

[ Vai alla paginaVai alla pagina: 1, 2 ]



26.VI.2010 - ITALIA - Lombardia - CO
Coleoptera

Giuseppe

24

3393

15/07/2010, 11:08

Loriscola Vedi ultimo messaggio

Nessun messaggio da leggere
Leptura aurulenta Fabricius, 1792 - Cerambycidae
11.VII.2010 - ITALIA - Emilia-Romagna - BO
Allegato(i) Dettagli della specie
Leptura aurulenta Fabricius, 1792
Cerambycidae


11.VII.2010 - ITALIA - Emilia-Romagna - BO
Coleoptera

Loriscola

6

1141

14/07/2010, 23:39

Julodis Vedi ultimo messaggio

Nessun messaggio da leggere
Brachyta interrogationis (Linnaeus, 1758) - Cerambycidae
10.VII.2010 - ITALIA - Piemonte - CN
Allegato(i) Dettagli della specie
Brachyta interrogationis (Linnaeus, 1758)
Cerambycidae


10.VII.2010 - ITALIA - Piemonte - CN
Coleoptera

Ric

2

935

14/07/2010, 20:44

Isotomus Vedi ultimo messaggio

Nessun messaggio da leggere  
Dettagli della specie
Xylotrechus (Xylotrechus) arvicola (Olivier, 1795)
Cerambycidae


14.VII.2010 - ITALIA - Lazio - VT
Coleoptera

Andricus

1

689

14/07/2010, 13:05

jaho Vedi ultimo messaggio

Nessun messaggio da leggere
Brachyta interrogationis (Linnaeus, 1758) - Cerambycidae
10.VII.2010 - ITALIA - Piemonte - CN
Allegato(i) Dettagli della specie
Brachyta interrogationis (Linnaeus, 1758)
Cerambycidae


10.VII.2010 - ITALIA - Piemonte - CN
Coleoptera

Ric

3

1166

14/07/2010, 11:10

Ric Vedi ultimo messaggio

Nessun messaggio da leggere
Allegato(i) Dettagli della specie
Anoplodera (Anoplodera) sexguttata (Fabricius, 1775)
Cerambycidae


GRECIA - EE
Coleoptera

Entomarci

3

852

13/07/2010, 23:56

Pactolinus Vedi ultimo messaggio

Nessun messaggio da leggere
Allegato(i)
Pilemia sp. - Cerambycidae, Phytoeciini - Grecia

23.VI.2010 - GRECIA - EE
Coleoptera

Entomarci

4

884

13/07/2010, 23:44

Entomarci Vedi ultimo messaggio

Nessun messaggio da leggere
Anastrangalia dubia dubia (Scopoli, 1763) - Cerambycidae
VII.2010 - ITALIA - Emilia-Romagna - BO
Allegato(i) Dettagli della specie
Anastrangalia dubia dubia (Scopoli, 1763)
Cerambycidae


VII.2010 - ITALIA - Emilia-Romagna - BO
Coleoptera

Loriscola

7

1576

13/07/2010, 12:46

Isotomus Vedi ultimo messaggio

Nessun messaggio da leggere
Obrium cantharinum (Linnaeus, 1767) - Cerambycidae
VII.2010 - ITALIA - Emilia-Romagna - BO
Allegato(i) Dettagli della specie
Obrium cantharinum (Linnaeus, 1767)
Cerambycidae


VII.2010 - ITALIA - Emilia-Romagna - BO
Coleoptera

Loriscola

7

1336

13/07/2010, 12:23

Fumea crassiorella Vedi ultimo messaggio

Nessun messaggio da leggere
Leiopus nebulosus nebulosus (Linnaeus, 1758) - Cerambycidae
VI.2010 - ITALIA - Emilia-Romagna - BO
Allegato(i) Dettagli della specie
Leiopus nebulosus nebulosus (Linnaeus, 1758)
Cerambycidae


VI.2010 - ITALIA - Emilia-Romagna - BO
Coleoptera

Loriscola

2

745

13/07/2010, 9:30

Loriscola Vedi ultimo messaggio

Nessun messaggio da leggere
Trichoferus sp. - Cerambycidae Cerambycinae - Sicilia
12.VII.2010 - ITALIA - Sicilia - PA
Allegato(i)
Trichoferus sp. - Cerambycidae Cerambycinae - Sicilia

12.VII.2010 - ITALIA - Sicilia - PA
Coleoptera

Skarab

2

908

13/07/2010, 9:19

Isotomus Vedi ultimo messaggio

Nessun messaggio da leggere
Chlorophorus varius varius (O. F. Müller, 1766) - Cerambycidae
9.VII.2010 - ITALIA - Basilicata - MT
Allegato(i) Dettagli della specie
Chlorophorus varius varius (O. F. Müller, 1766)
Cerambycidae


9.VII.2010 - ITALIA - Basilicata - MT
Coleoptera

Mimmo011

5

1372

13/07/2010, 8:29

Isotomus Vedi ultimo messaggio

Nessun messaggio da leggere
Ergates faber faber (Linnaeus, 1760) - Cerambycidae
6.VI.2010 - ITALIA - Liguria - GE
Allegato(i) Dettagli della specie
Ergates faber faber (Linnaeus, 1760)
Cerambycidae

[ Vai alla paginaVai alla pagina: 1, 2 ]



6.VI.2010 - ITALIA - Liguria - GE
Coleoptera

Pactolinus

27

4074

12/07/2010, 22:53

Pactolinus Vedi ultimo messaggio

Nessun messaggio da leggere
Aegosoma scabricorne (Scopoli, 1763) - Cerambycidae
2.VII.2010 - ITALIA - Lazio - RM
Allegato(i) Dettagli della specie
Aegosoma scabricorne (Scopoli, 1763)
Cerambycidae


2.VII.2010 - ITALIA - Lazio - RM
Coleoptera

madh

3

1236

12/07/2010, 14:59

Isotomus Vedi ultimo messaggio

Nessun messaggio da leggere
Vadonia sp. - Cerambycidae - Grecia
22.VI.2010 - GRECIA - EE
Allegato(i)
Vadonia sp. - Cerambycidae - Grecia

22.VI.2010 - GRECIA - EE
Coleoptera

Entomarci

2

896

12/07/2010, 13:39

Isotomus Vedi ultimo messaggio

Nessun messaggio da leggere
Ropalopus (Ropalopus) clavipes (Fabricius, 1775) - Cerambycidae
11.VII.2010 - ITALIA - Lombardia - CO
Allegato(i) Dettagli della specie
Ropalopus (Ropalopus) clavipes (Fabricius, 1775)
Cerambycidae


11.VII.2010 - ITALIA - Lombardia - CO
Coleoptera

Giuseppe

1

877

12/07/2010, 13:20

Isotomus Vedi ultimo messaggio

Nessun messaggio da leggere
Allegato(i) Dettagli della specie
Monochamus galloprovincialis (Olivier, 1795)
Cerambycidae


28.VII.1997 - GRECIA - EE
Coleoptera

Apoderus

5

1412

12/07/2010, 10:16

FORBIX Vedi ultimo messaggio

Nessun messaggio da leggere
Allegato(i)
Dorcadion thessalicum (Pic, 1916) - Cerambycidae - Grecia

VII.1987 - GRECIA - EE
Coleoptera

Apoderus

3

1040

11/07/2010, 17:52

Apoderus Vedi ultimo messaggio

Nessun messaggio da leggere
Allegato(i) Dettagli della specie
Saphanus piceus piceus (Laicharting, 1784)
Cerambycidae


3.VII.2005 - SLOVENIA - EE
Coleoptera

Apoderus

5

1361

11/07/2010, 11:52

Apoderus Vedi ultimo messaggio

Nessun messaggio da leggere
Allegato(i)
Stictoleptura tripartita (Heyden, 1889) - Cerambycidae - Turchia

VI.2010 - TURCHIA - EE
Coleoptera

Isotomus

1

1064

11/07/2010, 10:23

Glaphyrus Vedi ultimo messaggio

Nessun messaggio da leggere
Allegato(i)
Dorcadion (Pedestredorcadion) thessalicum pelionense (Breit, 1923) - Cerambycidae - Greece

VI.2010 - GRECIA - EE
Coleoptera

zdeno

3

7189

11/07/2010, 8:37

Isotomus Vedi ultimo messaggio

Nessun messaggio da leggere
Allegato(i)
Dorcadion (Pedestredorcadion) urmianum (Plavilstshikov, 1937) - Cerambycidae

21.VI.2010 - TURCHIA - EE
Coleoptera

Isotomus

5

1768

10/07/2010, 13:07

Isotomus Vedi ultimo messaggio

Nessun messaggio da leggere
Aegomorphus clavipes (Schrank, 1781) - Cerambycidae
24.VI.2010 - ITALIA - Lazio - RM
Allegato(i) Dettagli della specie
Aegomorphus clavipes (Schrank, 1781)
Cerambycidae


24.VI.2010 - ITALIA - Lazio - RM
Coleoptera

soken

2

1078

10/07/2010, 13:02

soken Vedi ultimo messaggio

Nessun messaggio da leggere
Allegato(i)
Anaglyptus luteofasciatus (Pic, 1905) - Cerambycidae - Greece

VI.2010 - GRECIA - EE
Coleoptera

zdeno

0

745

08/07/2010, 23:52

zdeno Vedi ultimo messaggio

Nessun messaggio da leggere
Allegato(i) Dettagli della specie
Cerambyx cerdo cerdo Linnaeus, 1758
Cerambycidae


 
Coleoptera

Simonetta Doni

5

1397

08/07/2010, 22:35

Julodis Vedi ultimo messaggio

Nessun messaggio da leggere
Herophila tristis tristis (Linnaeus, 1767) - Cerambycidae
8.VII.2010 - ITALIA - Lombardia - LC
Allegato(i) Dettagli della specie
Herophila tristis tristis (Linnaeus, 1767)
Cerambycidae


8.VII.2010 - ITALIA - Lombardia - LC
Coleoptera

Giuseppe

0

774

08/07/2010, 19:59

Giuseppe Vedi ultimo messaggio

Nessun messaggio da leggere
Nathrius brevipennis (Mulsant, 1839) - Cerambycidae
8.VII.2010 - ITALIA - Lazio - RM
Allegato(i) Dettagli della specie
Nathrius brevipennis (Mulsant, 1839)
Cerambycidae


8.VII.2010 - ITALIA - Lazio - RM
Coleoptera

Eopteryx

4

1362

08/07/2010, 16:47

Eopteryx Vedi ultimo messaggio

Nessun messaggio da leggere
Allegato(i) Dettagli della specie
Nothorhina muricata (Dalman, 1817)
Cerambycidae


VI.2010 - TURCHIA - EE
Coleoptera

Xylosteus

11

2056

08/07/2010, 16:25

Julodis Vedi ultimo messaggio

Visualizza ultimi argomenti:  Ordina per  Ordine:  
nuovo argomento
Vai alla pagina Precedente  1 ... 90, 91, 92, 93, 94, 95, 96 ... 103  Prossimo
Pagina 93 di 103 [ 5103 argomenti ]

Tutti gli orari sono UTC + 1 ora [ ora legale ]


Chi c’è in linea

Visitano il forum: Nessuno e 2 ospiti


Legenda
Messaggi da leggere Messaggi da leggere Nessun messaggio da leggere Nessun messaggio da leggere Annuncio Annuncio
 
Specie indeterminata / discussione generica
Messaggi non letti [ Popolari ] Messaggi non letti [ Popolari ] Nessun messaggio da leggere [ Popolare ] Nessun messaggio da leggere [ Popolare ] Importante Importante
 
Specie determinata fino al genere o cf.
Messaggi non letti [ Bloccati ] Messaggi non letti [ Bloccati ] No messaggi non letti [ Bloccati ] No messaggi non letti [ Bloccati ] Argomento spostato Argomento spostato
 
Specie correttamente determinata
Permessi
Non puoi aprire nuovi argomenti
Non puoi rispondere negli argomenti
Non puoi modificare i tuoi messaggi
Non puoi cancellare i tuoi messaggi
Non puoi inviare allegati

Cerca per:
Vai a: