Benvenuto Ospite

Forum Entomologi Italiani

www.entomologiitaliani.net/forum
 
Oggi è 22/12/2025, 9:48

Tutti gli orari sono UTC + 1 ora [ ora legale ]


92% 
2927 taxa correttamente determinati su 3180 presenti in archivio

Cerambycidae


[ AFROTROPICALE ] [ ANTARTICO ] [ AUSTRALASIANO ] [ NEARTICO ] [ NEOTROPICALE ] [ ORIENTALE ] [ PALEARTICO ]


nuovo argomento
Vai alla pagina Precedente  1 ... 99, 100, 101, 102, 103  Prossimo
Pagina 102 di 103 [ 5105 argomenti ]
 Argomenti   Ordine   Autore   Risposte   Visite    Ultimo messaggio 
Annunci
Nessun messaggio da leggere
Allegato(i)
Incontri entomologici della Società Entomologica Italiana 2025-2026
 

Velvet Ant

0

13507

17/11/2025, 19:41

Velvet Ant Vedi ultimo messaggio

Nessun messaggio da leggere
Allegato(i)
Incontri entomologici telematici organizzati dalla Società Entomologica Italiana nel 2022 e nel 2023

[ Vai alla paginaVai alla pagina: 1, 2, 3 ]

 

Velvet Ant

44

1691094

03/03/2023, 15:55

Velvet Ant Vedi ultimo messaggio

Nessun messaggio da leggere  
Allegato(i)
Sondaggio sul declino dell'entomofauna in Italia

[ Vai alla paginaVai alla pagina: 1, 2, 3, 4 ]

 

Velvet Ant

52

2311931

22/10/2022, 19:18

Acquarius Vedi ultimo messaggio

Nessun messaggio da leggere  
Allegato(i)
Progetto: Bibliografia ragionata dei lavori entomologici nei quali sono citati reperti apparsi su FEI

[ Vai alla paginaVai alla pagina: 1, 2, 3 ]

 

Velvet Ant

33

1357925

06/07/2023, 18:31

Orotrechus Vedi ultimo messaggio

Nessun messaggio da leggere
Allegato(i)
Mimesi, il primo documentario cinematografico sull’entomologia in Italia: casting
 

mazzeip

1

1087510

28/02/2019, 20:26

mazzeip Vedi ultimo messaggio

Questo argomento è bloccato, non puoi modificare o inviare ulteriori messaggi.
Allegato(i)
ISTRUZIONI PUBBLICAZIONE NUOVI ARGOMENTI E FOTO

 
Altri Ordini di Insetti

Julodis

4

2885511

13/05/2015, 19:37

Julodis Vedi ultimo messaggio

Nessun messaggio da leggere
Allegato(i)
Limitatore giornaliero di messaggi, uno strumento utile e ormai indispensabile

[ Vai alla paginaVai alla pagina: 1 ... 14, 15, 16 ]

 

Velvet Ant

233

12340454

25/09/2014, 14:31

Inachis Vedi ultimo messaggio

Nessun messaggio da leggere  
NORME PER I COLLABORATORI DEL FORUM

 
 

Velvet Ant

0

632698

02/06/2011, 12:05

Velvet Ant Vedi ultimo messaggio

Nessun messaggio da leggere
Allegato(i)
NORME PER GLI UTENTI DEL FORUM

[ Vai alla paginaVai alla pagina: 1, 2, 3 ]



 
 

Velvet Ant

30

3475437

23/09/2014, 23:54

Maurizio Bollino Vedi ultimo messaggio

Questo argomento è bloccato, non puoi modificare o inviare ulteriori messaggi.  
Elenco delle specie italiane di Cerambycidae presenti sul forum
Cerambycidae


 
Coleoptera

Plagionotus

0

6106

22/11/2010, 22:28

Plagionotus Vedi ultimo messaggio

Nessun messaggio da leggere  
Lista degli utenti del "Forum entomologi italiani" per campi di interesse e specializzazione

 
Altri Ordini di Insetti

Velvet Ant

13

1007196

07/09/2023, 17:14

Roberto-07 Vedi ultimo messaggio

Argomenti
Nessun messaggio da leggere
Allegato(i) Dettagli della specie
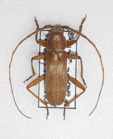
Trichoferus fasciculatus fasciculatus (Faldermann, 1837)
Cerambycidae


30.VIII.2007 - ITALIA - Sardegna - OG
Coleoptera

Hemerobius

2

971

21/08/2009, 21:26

vitalfranz Vedi ultimo messaggio

Nessun messaggio da leggere
Clytus arietis arietis (Linnaeus, 1758) - Cerambycidae
VI.2009 - ITALIA - Lazio - RM
Allegato(i) Dettagli della specie
Clytus arietis arietis (Linnaeus, 1758)
Cerambycidae


VI.2009 - ITALIA - Lazio - RM
Coleoptera

soken

4

1035

20/08/2009, 18:22

soken Vedi ultimo messaggio

Nessun messaggio da leggere
Allegato(i) Dettagli della specie
Stictoleptura cordigera cordigera (Fuessly, 1775)
Cerambycidae


24.VI.2006 - ITALIA - Sicilia - PA
Coleoptera

Velvet Ant

4

1129

20/08/2009, 17:46

vitalfranz Vedi ultimo messaggio

Nessun messaggio da leggere
Allegato(i) Dettagli della specie
Stenurella bifasciata bifasciata (O. F. Müller, 1776)
Cerambycidae


VI.2009 - ITALIA - Lazio - RM
Coleoptera

soken

4

972

16/08/2009, 22:20

soken Vedi ultimo messaggio

Nessun messaggio da leggere
Allegato(i) Dettagli della specie
Agapanthia (Agapanthia) cardui (Linnaeus, 1767)
Cerambycidae


VI.2009 - ITALIA - Lazio - RM
Coleoptera

soken

2

1071

15/08/2009, 19:12

soken Vedi ultimo messaggio

Nessun messaggio da leggere
Allegato(i) Dettagli della specie
Stenopterus ater (Linnaeus, 1767)
Cerambycidae


ITALIA - Sicilia - RG
Coleoptera

soken

3

868

15/08/2009, 15:26

soken Vedi ultimo messaggio

Nessun messaggio da leggere
Allegato(i) Dettagli della specie
Stenopterus ater (Linnaeus, 1767)
Cerambycidae


ITALIA - Lazio - RM
Coleoptera

soken

3

905

15/08/2009, 15:26

soken Vedi ultimo messaggio

Nessun messaggio da leggere
Allegato(i) Dettagli della specie
Stictoleptura cordigera cordigera (Fuessly, 1775)
Cerambycidae


VI.2009 - ITALIA - Lazio - RM
Coleoptera

soken

2

969

14/08/2009, 22:42

soken Vedi ultimo messaggio

Nessun messaggio da leggere
Stictoleptura rubra rubra (Linnaeus, 1758) - Cerambycidae
19.VII.2009 - ITALIA - Lombardia - BG
Allegato(i) Dettagli della specie
Stictoleptura rubra rubra (Linnaeus, 1758)
Cerambycidae


19.VII.2009 - ITALIA - Lombardia - BG
Coleoptera

Plagionotus

3

1110

12/08/2009, 11:51

Plagionotus Vedi ultimo messaggio

Nessun messaggio da leggere
Allegato(i) Dettagli della specie
Agapanthia (Epoptes) irrorata (Fabricius, 1787)
Cerambycidae


19.V.2009 - ITALIA - Sicilia - TP
Coleoptera

Velvet Ant

5

2052

11/08/2009, 14:01

Maw89 Vedi ultimo messaggio

Nessun messaggio da leggere
Allegato(i)
Stictoleptura (Stictoleptura) fontenayi (Mulsant & Rey, 1839) - Cerambycidae

27.VII.2009 - SPAGNA - EE
Coleoptera

StagBeetle

2

1224

05/08/2009, 16:19

StagBeetle Vedi ultimo messaggio

Nessun messaggio da leggere
Allegato(i) Dettagli della specie
Oxypleurus nodieri Mulsant, 1839
Cerambycidae


VI - ITALIA - Lazio - RM
Coleoptera

soken

4

1570

26/07/2009, 12:15

vitalfranz Vedi ultimo messaggio

Nessun messaggio da leggere
Monochamus sartor (Fabricius, 1787) cf. - Cerambycidae
14.VI.2009 - ITALIA - Veneto - BL
Allegato(i) Dettagli della specie
Monochamus sartor (Fabricius, 1787) cf.
Cerambycidae


14.VI.2009 - ITALIA - Veneto - BL
Coleoptera

Maw89

6

2332

23/07/2009, 20:12

Plagionotus Vedi ultimo messaggio

Nessun messaggio da leggere
Rhagium phrygium Dalman, 1817 - Cerambycidae
22.V.1986 - TURCHIA - EE
Allegato(i)
Rhagium phrygium Dalman, 1817 - Cerambycidae

22.V.1986 - TURCHIA - EE
Coleoptera

Daniele Sechi

0

764

22/07/2009, 20:57

Daniele Sechi Vedi ultimo messaggio

Nessun messaggio da leggere
Allegato(i) Dettagli della specie
Xylosteus spinolae Frivaldszky, 1837
Cerambycidae


15.IV.1979 - AUSTRIA - EE
Coleoptera

Daniele Sechi

0

934

22/07/2009, 20:53

Daniele Sechi Vedi ultimo messaggio

Nessun messaggio da leggere
Gaurotes (Carilia) virginea (Linnaeus, 1758) - Cerambycidae
8.VII.2009 - ITALIA - Veneto - BL
Allegato(i) Dettagli della specie
Gaurotes (Carilia) virginea (Linnaeus, 1758)
Cerambycidae


8.VII.2009 - ITALIA - Veneto - BL
Coleoptera

Maw89

4

1267

22/07/2009, 18:06

Maw89 Vedi ultimo messaggio

Nessun messaggio da leggere
Stenurella melanura (Linnaeus, 1758) - Cerambycidae
12.VII.2009 - ITALIA - Veneto - BL
Allegato(i) Dettagli della specie
Stenurella melanura (Linnaeus, 1758)
Cerambycidae


12.VII.2009 - ITALIA - Veneto - BL
Coleoptera

Maw89

4

1255

22/07/2009, 18:05

Maw89 Vedi ultimo messaggio

Nessun messaggio da leggere
Pachyta quadrimaculata (Linnaeus, 1758) - Cerambycidae
15.VII.2009 - ITALIA - Veneto - BL
Allegato(i) Dettagli della specie
Pachyta quadrimaculata (Linnaeus, 1758)
Cerambycidae


15.VII.2009 - ITALIA - Veneto - BL
Coleoptera

Maw89

1

1162

22/07/2009, 14:10

vitalfranz Vedi ultimo messaggio

Nessun messaggio da leggere
Anastrangalia dubia dubia (Scopoli, 1763) - Cerambycidae
8.VII.2009 - ITALIA - Veneto - BL
Allegato(i) Dettagli della specie
Anastrangalia dubia dubia (Scopoli, 1763)
Cerambycidae


8.VII.2009 - ITALIA - Veneto - BL
Coleoptera

Maw89

1

889

22/07/2009, 14:09

vitalfranz Vedi ultimo messaggio

Nessun messaggio da leggere
Rhagium (Hagrium) bifasciatum Fabricius, 1775 - Cerambycidae
12.VII.2009 - ITALIA - Veneto - BL
Allegato(i) Dettagli della specie
Rhagium (Hagrium) bifasciatum Fabricius, 1775
Cerambycidae


12.VII.2009 - ITALIA - Veneto - BL
Coleoptera

Maw89

1

956

22/07/2009, 14:08

vitalfranz Vedi ultimo messaggio

Nessun messaggio da leggere
Allegato(i) Dettagli della specie
Dinoptera (Dinoptera) collaris (Linnaeus, 1758)
Cerambycidae


8.VII.2009 - ITALIA - Veneto - BL
Coleoptera

Maw89

1

803

22/07/2009, 14:07

vitalfranz Vedi ultimo messaggio

Nessun messaggio da leggere
Anastrangalia dubia dubia (Scopoli, 1763) - Cerambycidae
12.VII.2009 - ITALIA - Veneto - BL
Allegato(i) Dettagli della specie
Anastrangalia dubia dubia (Scopoli, 1763)
Cerambycidae


12.VII.2009 - ITALIA - Veneto - BL
Coleoptera

Maw89

1

1014

22/07/2009, 14:05

vitalfranz Vedi ultimo messaggio

Nessun messaggio da leggere
Anastrangalia dubia dubia (Scopoli, 1763) - Cerambycidae
8.VII.2009 - ITALIA - Veneto - BL
Allegato(i) Dettagli della specie
Anastrangalia dubia dubia (Scopoli, 1763)
Cerambycidae


8.VII.2009 - ITALIA - Veneto - BL
Coleoptera

Maw89

1

1093

22/07/2009, 14:04

vitalfranz Vedi ultimo messaggio

Nessun messaggio da leggere
Allegato(i) Dettagli della specie
Agapanthia (Epoptes) asphodeli (Latreille, 1804)
Cerambycidae


8.VII.2009 - ITALIA - Sicilia
Coleoptera

Salvatore Saitta

6

1930

19/07/2009, 11:56

Salvatore Saitta Vedi ultimo messaggio

Nessun messaggio da leggere
Saphanus piceus piceus (Laicharting, 1784) - Cerambycidae
12.VII.2009 - ITALIA - Toscana - PO
Allegato(i) Dettagli della specie
Saphanus piceus piceus (Laicharting, 1784)
Cerambycidae


12.VII.2009 - ITALIA - Toscana - PO
Coleoptera

Notoxus59

5

1794

18/07/2009, 21:41

Notoxus59 Vedi ultimo messaggio

Nessun messaggio da leggere
Allegato(i) Dettagli della specie
Chlorophorus sartor (O. F. Müller, 1766)
Cerambycidae


ITALIA - Marche - AN
Coleoptera

StagBeetle

2

1117

16/07/2009, 14:30

StagBeetle Vedi ultimo messaggio

Nessun messaggio da leggere
Stenurella melanura (Linnaeus, 1758) - Cerambycidae
5.VII.2009 - ITALIA - Campania - CE
Allegato(i) Dettagli della specie
Stenurella melanura (Linnaeus, 1758)
Cerambycidae


5.VII.2009 - ITALIA - Campania - CE
Coleoptera

renillo

2

1268

06/07/2009, 18:44

renillo Vedi ultimo messaggio

Nessun messaggio da leggere
Stromatium unicolor (Olivier, 1795) - Cerambycidae
IX.2008 - ITALIA - Marche - AN
Allegato(i) Dettagli della specie
Stromatium unicolor (Olivier, 1795)
Cerambycidae


IX.2008 - ITALIA - Marche - AN
Coleoptera

StagBeetle

1

1231

06/07/2009, 8:46

vitalfranz Vedi ultimo messaggio

Nessun messaggio da leggere
Calamobius filum (Rossi, 1790) - Cerambycidae
12.VI.2009 - ITALIA - Marche - AN
Allegato(i) Dettagli della specie
Calamobius filum (Rossi, 1790)
Cerambycidae


12.VI.2009 - ITALIA - Marche - AN
Coleoptera

StagBeetle

3

1526

20/06/2009, 8:38

Plagionotus Vedi ultimo messaggio

Nessun messaggio da leggere
Allegato(i) Dettagli della specie
Stictoleptura cordigera illyrica G.Muller, 1948
Cerambycidae


1.VII.2008 - CROAZIA - EE
Coleoptera

Velvet Ant

2

2446

19/06/2009, 12:08

Plagionotus Vedi ultimo messaggio

Nessun messaggio da leggere
Allegato(i) Dettagli della specie
Dorcadion (Pedestredorcadion) arenarium marsicanum Fracassi, 1905
Cerambycidae


27.V.2008 - ITALIA - Marche - MC
Coleoptera

StagBeetle

3

1857

18/06/2009, 22:03

vitalfranz Vedi ultimo messaggio

Nessun messaggio da leggere
Deilus fugax (Olivier, 1790) - Cerambycidae
6.VI.2009 - ITALIA - Marche - AN
Allegato(i) Dettagli della specie
Deilus fugax (Olivier, 1790)
Cerambycidae


6.VI.2009 - ITALIA - Marche - AN
Coleoptera

StagBeetle

1

1152

18/06/2009, 20:35

Velvet Ant Vedi ultimo messaggio

Nessun messaggio da leggere
Clytus rhamni Germar, 1817 - Cerambycidae
30.V.2009 - ITALIA - Puglia - TA
Allegato(i) Dettagli della specie
Clytus rhamni Germar, 1817
Cerambycidae


30.V.2009 - ITALIA - Puglia - TA
Coleoptera

Hemerobius

6

2234

18/06/2009, 14:09

Maw89 Vedi ultimo messaggio

Nessun messaggio da leggere
Allegato(i) Dettagli della specie
Herophila tristis tristis (Linnaeus, 1767)
Cerambycidae


VI.2003 - ITALIA - Marche - AN
Coleoptera

StagBeetle

1

1071

17/06/2009, 15:04

Plagionotus Vedi ultimo messaggio

Nessun messaggio da leggere
Stenurella nigra (Linnaeus, 1758) - Cerambycidae
30.V.2009 - ITALIA - Puglia - TA
Allegato(i) Dettagli della specie
Stenurella nigra (Linnaeus, 1758)
Cerambycidae


30.V.2009 - ITALIA - Puglia - TA
Coleoptera

Hemerobius

1

1068

16/06/2009, 19:16

Daniele Sechi Vedi ultimo messaggio

Nessun messaggio da leggere
Allegato(i) Dettagli della specie
Stenurella bifasciata bifasciata (O. F. Müller, 1776)
Cerambycidae


30.V.2009 - ITALIA - Puglia - TA
Coleoptera

Hemerobius

2

1389

16/06/2009, 16:45

vitalfranz Vedi ultimo messaggio

Nessun messaggio da leggere
Chlorophorus sartor (O. F. Müller, 1766) - Cerambycidae
30.V.2009 - ITALIA - Puglia - TA
Allegato(i) Dettagli della specie
Chlorophorus sartor (O. F. Müller, 1766)
Cerambycidae


30.V.2009 - ITALIA - Puglia - TA
Coleoptera

Hemerobius

2

1129

16/06/2009, 16:39

vitalfranz Vedi ultimo messaggio

Nessun messaggio da leggere
Opsilia coerulescens (Scopoli, 1763) - Cerambycidae
V.2009 - ITALIA - Liguria - SV
Allegato(i) Dettagli della specie
Opsilia coerulescens (Scopoli, 1763)
Cerambycidae


V.2009 - ITALIA - Liguria - SV
Coleoptera

manchur

7

1770

08/06/2009, 22:21

manchur Vedi ultimo messaggio

Nessun messaggio da leggere
Allegato(i) Dettagli della specie
Cerambyx cerdo cerdo Linnaeus, 1758
Cerambycidae


ITALIA - Sicilia
Coleoptera

Lucio

7

2150

03/06/2009, 21:35

Lucio Vedi ultimo messaggio

Nessun messaggio da leggere
Callimus abdominalis (Olivier, 1795) - Cerambycidae
23.V.2009 - ITALIA - Sicilia - PA
Allegato(i) Dettagli della specie
Callimus abdominalis (Olivier, 1795)
Cerambycidae


23.V.2009 - ITALIA - Sicilia - PA
Coleoptera

Velvet Ant

0

1097

03/06/2009, 17:47

Velvet Ant Vedi ultimo messaggio

Nessun messaggio da leggere
Phytoecia virgula (Charpentier, 1825) - Cerambycidae
23.V.2009 - ITALIA - Sicilia - PA
Allegato(i) Dettagli della specie
Phytoecia virgula (Charpentier, 1825)
Cerambycidae


23.V.2009 - ITALIA - Sicilia - PA
Coleoptera

Velvet Ant

5

2151

28/05/2009, 18:57

Plagionotus Vedi ultimo messaggio

Nessun messaggio da leggere
Prionus coriarius (Linnaeus, 1758) - Cerambycidae
20.VII.1999 - ITALIA - Lombardia - VA
Allegato(i) Dettagli della specie
Prionus coriarius (Linnaeus, 1758)
Cerambycidae


20.VII.1999 - ITALIA - Lombardia - VA
Coleoptera

Hemerobius

3

1639

28/05/2009, 14:09

Plagionotus Vedi ultimo messaggio

Nessun messaggio da leggere
Allegato(i) Dettagli della specie
Monochamus galloprovincialis (Olivier, 1795)
Cerambycidae


VIII.2004 - ITALIA - Veneto - BL
Coleoptera

StagBeetle

6

1789

21/05/2009, 18:12

Plagionotus Vedi ultimo messaggio

Nessun messaggio da leggere
Spondylis buprestoides (Linnaeus, 1758) - Cerambycidae
VIII.2004 - ITALIA - Veneto - BL
Allegato(i) Dettagli della specie
Spondylis buprestoides (Linnaeus, 1758)
Cerambycidae


VIII.2004 - ITALIA - Veneto - BL
Coleoptera

StagBeetle

3

1702

20/05/2009, 8:26

vitalfranz Vedi ultimo messaggio

Nessun messaggio da leggere
Allegato(i) Dettagli della specie
Ropalopus (Ropalopus) clavipes (Fabricius, 1775)
Cerambycidae


2006 - ITALIA - Marche - AN
Coleoptera

StagBeetle

4

1766

19/05/2009, 16:37

vitalfranz Vedi ultimo messaggio

Nessun messaggio da leggere
Tetrops praeustus praeustus (Linnaeus, 1758) - Cerambycidae
11.IV.2009 - ITALIA - Emilia-Romagna - BO
Allegato(i) Dettagli della specie
Tetrops praeustus praeustus (Linnaeus, 1758)
Cerambycidae


11.IV.2009 - ITALIA - Emilia-Romagna - BO
Coleoptera

Loriscola

2

1263

18/05/2009, 21:08

Loriscola Vedi ultimo messaggio

Nessun messaggio da leggere
Allegato(i) Dettagli della specie
Gaurotes (Carilia) virginea (Linnaeus, 1758)
Cerambycidae


VIII.2004 - ITALIA - Veneto - BL
Coleoptera

StagBeetle

2

1155

18/05/2009, 19:44

StagBeetle Vedi ultimo messaggio

Nessun messaggio da leggere
Monochamus sartor (Fabricius, 1787) - Cerambycidae
VIII.2004 - ITALIA - Veneto - BL
Allegato(i) Dettagli della specie
Monochamus sartor (Fabricius, 1787)
Cerambycidae


VIII.2004 - ITALIA - Veneto - BL
Coleoptera

StagBeetle

2

1164

17/05/2009, 23:28

StagBeetle Vedi ultimo messaggio

Nessun messaggio da leggere
Stictoleptura rubra rubra (Linnaeus, 1758) - Cerambycidae
VIII.2004 - ITALIA - Veneto - BL
Allegato(i) Dettagli della specie
Stictoleptura rubra rubra (Linnaeus, 1758)
Cerambycidae


VIII.2004 - ITALIA - Veneto - BL
Coleoptera

StagBeetle

1

1014

17/05/2009, 21:43

vitalfranz Vedi ultimo messaggio

Nessun messaggio da leggere
Allegato(i) Dettagli della specie
Rhagium (Rhagium) inquisitor inquisitor (Linnaeus, 1758)
Cerambycidae


12.IV.2009 - ITALIA - Toscana - FI
Coleoptera

Loriscola

5

2190

16/04/2009, 14:55

Bud the Bug Vedi ultimo messaggio

Visualizza ultimi argomenti:  Ordina per  Ordine:  
nuovo argomento
Vai alla pagina Precedente  1 ... 99, 100, 101, 102, 103  Prossimo
Pagina 102 di 103 [ 5105 argomenti ]

Tutti gli orari sono UTC + 1 ora [ ora legale ]


Chi c’è in linea

Visitano il forum: Nessuno e 1 ospite


Legenda
Messaggi da leggere Messaggi da leggere Nessun messaggio da leggere Nessun messaggio da leggere Annuncio Annuncio
 
Specie indeterminata / discussione generica
Messaggi non letti [ Popolari ] Messaggi non letti [ Popolari ] Nessun messaggio da leggere [ Popolare ] Nessun messaggio da leggere [ Popolare ] Importante Importante
 
Specie determinata fino al genere o cf.
Messaggi non letti [ Bloccati ] Messaggi non letti [ Bloccati ] No messaggi non letti [ Bloccati ] No messaggi non letti [ Bloccati ] Argomento spostato Argomento spostato
 
Specie correttamente determinata
Permessi
Non puoi aprire nuovi argomenti
Non puoi rispondere negli argomenti
Non puoi modificare i tuoi messaggi
Non puoi cancellare i tuoi messaggi
Non puoi inviare allegati

Cerca per:
Vai a: