Benvenuto Ospite

Forum Entomologi Italiani

www.entomologiitaliani.net/forum
 
Oggi è 08/11/2025, 8:56

Tutti gli orari sono UTC + 1 ora [ ora legale ]


100%
2927 taxa correttamente determinati su 2928 presenti in archivio

Cerambycidae


[ AFROTROPICALE ] [ ANTARTICO ] [ AUSTRALASIANO ] [ NEARTICO ] [ NEOTROPICALE ] [ ORIENTALE ] [ PALEARTICO ]


nuovo argomento
Vai alla pagina Precedente  1 ... 10, 11, 12, 13, 14, 15, 16 ... 59  Prossimo
Pagina 13 di 59 [ 2928 argomenti ]
 Argomenti   Ordine   Autore   Risposte   Visite    Ultimo messaggio 
Annunci
Nessun messaggio da leggere
Allegato(i)
Incontri entomologici telematici organizzati dalla Società Entomologica Italiana nel 2022 e nel 2023

[ Vai alla paginaVai alla pagina: 1, 2, 3 ]

 

Velvet Ant

44

1428607

03/03/2023, 15:55

Velvet Ant Vedi ultimo messaggio

Nessun messaggio da leggere  
Allegato(i)
Sondaggio sul declino dell'entomofauna in Italia

[ Vai alla paginaVai alla pagina: 1, 2, 3, 4 ]

 

Velvet Ant

52

1756379

22/10/2022, 19:18

Acquarius Vedi ultimo messaggio

Nessun messaggio da leggere  
Allegato(i)
Progetto: Bibliografia ragionata dei lavori entomologici nei quali sono citati reperti apparsi su FEI

[ Vai alla paginaVai alla pagina: 1, 2, 3 ]

 

Velvet Ant

33

1169833

06/07/2023, 18:31

Orotrechus Vedi ultimo messaggio

Nessun messaggio da leggere
Allegato(i)
Mimesi, il primo documentario cinematografico sull’entomologia in Italia: casting
 

mazzeip

1

456797

28/02/2019, 20:26

mazzeip Vedi ultimo messaggio

Questo argomento è bloccato, non puoi modificare o inviare ulteriori messaggi.
Allegato(i)
ISTRUZIONI PUBBLICAZIONE NUOVI ARGOMENTI E FOTO

 
Altri Ordini di Insetti

Julodis

4

906058

13/05/2015, 19:37

Julodis Vedi ultimo messaggio

Nessun messaggio da leggere
Allegato(i)
Limitatore giornaliero di messaggi, uno strumento utile e ormai indispensabile

[ Vai alla paginaVai alla pagina: 1 ... 14, 15, 16 ]

 

Velvet Ant

233

8824115

25/09/2014, 14:31

Inachis Vedi ultimo messaggio

Nessun messaggio da leggere  
NORME PER I COLLABORATORI DEL FORUM

 
 

Velvet Ant

0

478797

02/06/2011, 12:05

Velvet Ant Vedi ultimo messaggio

Nessun messaggio da leggere
Allegato(i)
NORME PER GLI UTENTI DEL FORUM

[ Vai alla paginaVai alla pagina: 1, 2, 3 ]



 
 

Velvet Ant

30

2345153

23/09/2014, 23:54

Maurizio Bollino Vedi ultimo messaggio

Questo argomento è bloccato, non puoi modificare o inviare ulteriori messaggi.  
Elenco delle specie italiane di Cerambycidae presenti sul forum
Cerambycidae


 
Coleoptera

Plagionotus

0

5996

22/11/2010, 22:28

Plagionotus Vedi ultimo messaggio

Nessun messaggio da leggere  
Lista degli utenti del "Forum entomologi italiani" per campi di interesse e specializzazione

 
Altri Ordini di Insetti

Velvet Ant

13

943958

07/09/2023, 17:14

Roberto-07 Vedi ultimo messaggio

Argomenti
Nessun messaggio da leggere
Allegato(i) Dettagli della specie
Agapanthia (Epoptes) villosoviridescens (De Geer, 1775)
Cerambycidae


8.VI.2015 - ITALIA - Piemonte - NO
Coleoptera

forgix

2

1153

10/05/2017, 19:41

forgix Vedi ultimo messaggio

Nessun messaggio da leggere
Mesosa nebulosa nebulosa (Fabricius, 1781) - Cerambycidae
7.IV.2017 - ITALIA - Lazio - RM
Allegato(i) Dettagli della specie
Mesosa nebulosa nebulosa (Fabricius, 1781)
Cerambycidae


7.IV.2017 - ITALIA - Lazio - RM
Coleoptera

Edo

2

900

09/05/2017, 20:32

Edo Vedi ultimo messaggio

Nessun messaggio da leggere
Allegato(i) Dettagli della specie
Agapanthia (Epoptes) sicula sicula Ganglbauer, 1884
Cerambycidae


6.V.2017 - ITALIA - Sicilia - SR
Coleoptera

skapc66

5

1273

09/05/2017, 17:10

Plagionotus Vedi ultimo messaggio

Nessun messaggio da leggere
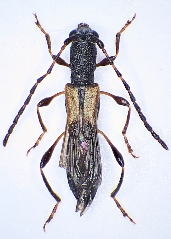
Deilus fugax (Olivier, 1790) - Cerambycidae
4.V.2017 - ITALIA - Molise - IS
Allegato(i) Dettagli della specie
Deilus fugax (Olivier, 1790)
Cerambycidae


4.V.2017 - ITALIA - Molise - IS
Coleoptera

Franco ROSSI

3

1044

08/05/2017, 10:09

Franco ROSSI Vedi ultimo messaggio

Nessun messaggio da leggere
Allegato(i) Dettagli della specie
Dorcadion (Pedestredorcadion) etruscum (Rossi, 1790)
Cerambycidae


23.IV.2017 - ITALIA - Lazio - RM
Coleoptera

Edo

2

989

07/05/2017, 20:42

Edo Vedi ultimo messaggio

Nessun messaggio da leggere
Allegato(i) Dettagli della specie
Agapanthia (Agapanthia) violacea (Fabricius, 1775)
Cerambycidae


5.V.2017 - ITALIA - Abruzzo - AQ
Coleoptera

andreah

2

1015

06/05/2017, 20:59

andreah Vedi ultimo messaggio

Nessun messaggio da leggere
Herophila tristis tristis (Linnaeus, 1767) - Cerambycidae
10.IV.2017 - ITALIA - Calabria - CS
Allegato(i) Dettagli della specie
Herophila tristis tristis (Linnaeus, 1767)
Cerambycidae


10.IV.2017 - ITALIA - Calabria - CS
Coleoptera

aiello antonio

3

1168

05/05/2017, 6:57

Julodis Vedi ultimo messaggio

Nessun messaggio da leggere
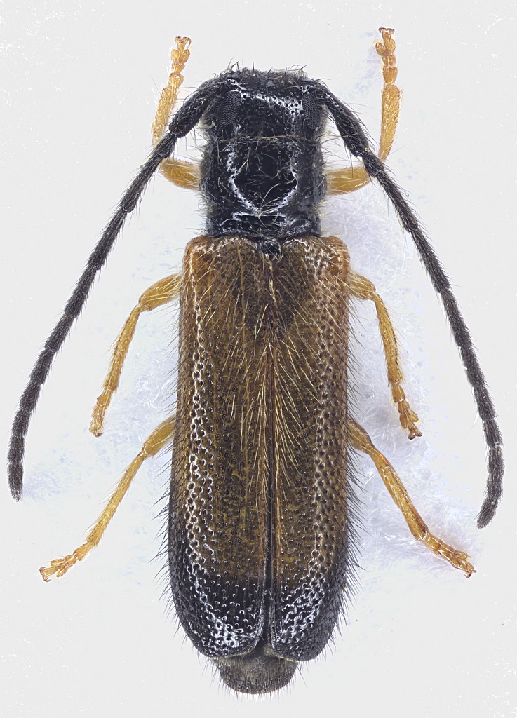
Niphona picticornis Mulsant, 1839 - Cerambycidae
26.IV.2017 - ITALIA - Campania - NA
Allegato(i) Dettagli della specie
Niphona picticornis Mulsant, 1839
Cerambycidae


26.IV.2017 - ITALIA - Campania - NA
Coleoptera

clido

6

1416

03/05/2017, 18:26

Julodis Vedi ultimo messaggio

Nessun messaggio da leggere
Allegato(i) Dettagli della specie
Agapanthia (Epoptes) sicula sicula Ganglbauer, 1884
Cerambycidae


30.IV.2017 - ITALIA - Sicilia - CT
Coleoptera

skapc66

2

1081

01/05/2017, 23:03

Plagionotus Vedi ultimo messaggio

Nessun messaggio da leggere
Agapanthia (Agapanthia) cardui (Linnaeus, 1767) - Cerambycidae
10.VII.2016 - ITALIA - Toscana - FI
Allegato(i) Dettagli della specie
Agapanthia (Agapanthia) cardui (Linnaeus, 1767)
Cerambycidae


10.VII.2016 - ITALIA - Toscana - FI
Coleoptera

Carlo A.

3

1615

01/05/2017, 22:46

Plagionotus Vedi ultimo messaggio

Nessun messaggio da leggere
Allegato(i) Dettagli della specie
Agapanthia (Epoptes) asphodeli (Latreille, 1804)
Cerambycidae


24.IV.2017 - ITALIA - Sicilia - CT
Coleoptera

skapc66

10

3132

30/04/2017, 18:39

skapc66 Vedi ultimo messaggio

Nessun messaggio da leggere
Allegato(i) Dettagli della specie
Agapanthia (Agapanthia) violacea (Fabricius, 1775)
Cerambycidae


25.IV.2017 - ITALIA - Sicilia - CT
Coleoptera

skapc66

2

1001

27/04/2017, 19:34

Plagionotus Vedi ultimo messaggio

Nessun messaggio da leggere
Allegato(i) Dettagli della specie
Agapanthia (Epoptes) villosoviridescens (De Geer, 1775)
Cerambycidae


15.IV.2017 - ITALIA - Lazio - RM
Coleoptera

Edo

2

878

27/04/2017, 16:51

Edo Vedi ultimo messaggio

Nessun messaggio da leggere
Allegato(i) Dettagli della specie
Tetrops praeustus praeustus (Linnaeus, 1758)
Cerambycidae


24.IV.2017 - ITALIA - Lazio - RM
Coleoptera

Julodis

1

756

26/04/2017, 16:41

Plagionotus Vedi ultimo messaggio

Nessun messaggio da leggere
Morimus asper asper (Sulzer, 1776) - Cerambycidae
17.IV.2017 - ITALIA - Liguria - SV
Allegato(i) Dettagli della specie
Morimus asper asper (Sulzer, 1776)
Cerambycidae


17.IV.2017 - ITALIA - Liguria - SV
Coleoptera

ste72

2

744

26/04/2017, 0:50

ste72 Vedi ultimo messaggio

Nessun messaggio da leggere
Allegato(i) Dettagli della specie
Agapanthia (Epoptes) villosoviridescens (De Geer, 1775)
Cerambycidae


15.IV.2017 - ITALIA - Lazio - RM
Coleoptera

Edo

3

836

25/04/2017, 21:54

Edo Vedi ultimo messaggio

Nessun messaggio da leggere
Certallum ebulinum (Linnaeus, 1767) - Cerambycidae
24.IV.2017 - ITALIA - Sicilia - SR
Allegato(i) Dettagli della specie
Certallum ebulinum (Linnaeus, 1767)
Cerambycidae


24.IV.2017 - ITALIA - Sicilia - SR
Coleoptera

skapc66

2

806

25/04/2017, 19:55

Lucanus tetraodon Vedi ultimo messaggio

Nessun messaggio da leggere
Opsilia coerulescens (Scopoli, 1763) - Cerambycidae
13.IV.2017 - ITALIA - Lazio - RM
Allegato(i) Dettagli della specie
Opsilia coerulescens (Scopoli, 1763)
Cerambycidae


13.IV.2017 - ITALIA - Lazio - RM
Coleoptera

Edo

5

1130

21/04/2017, 21:02

Edo Vedi ultimo messaggio

Nessun messaggio da leggere
Allegato(i) Dettagli della specie
Pedostrangalia (Pedostrangalia) revestita (Linnaeus, 1767)
Cerambycidae


14.IV.2017 - ITALIA - Lazio - RM
Coleoptera

Julodis

6

1879

18/04/2017, 21:13

Julodis Vedi ultimo messaggio

Nessun messaggio da leggere
Brachypteroma ottomanum Heyden, 1863 - Cerambycidae
15.IV.2017 - ITALIA - Piemonte - AL
Allegato(i) Dettagli della specie
Brachypteroma ottomanum Heyden, 1863
Cerambycidae


15.IV.2017 - ITALIA - Piemonte - AL
Coleoptera

Antonio Pareto

3

1472

17/04/2017, 10:04

Plagionotus Vedi ultimo messaggio

Nessun messaggio da leggere
Brachypteroma ottomanum Heyden, 1863 - Cerambycidae
5.IV.2017 - ITALIA - Toscana - FI
Allegato(i) Dettagli della specie
Brachypteroma ottomanum Heyden, 1863
Cerambycidae


5.IV.2017 - ITALIA - Toscana - FI
Coleoptera

cennino

8

2597

15/04/2017, 18:51

Plagionotus Vedi ultimo messaggio

Nessun messaggio da leggere
Callimus abdominalis (Olivier, 1795) - Cerambycidae
13.IV.2017 - ITALIA - Lazio - RM
Allegato(i) Dettagli della specie
Callimus abdominalis (Olivier, 1795)
Cerambycidae


13.IV.2017 - ITALIA - Lazio - RM
Coleoptera

Julodis

0

913

13/04/2017, 22:30

Julodis Vedi ultimo messaggio

Nessun messaggio da leggere
Saperda scalaris scalaris (Linnaeus, 1758) - Cerambycidae
12.IV.2017 - ITALIA - Lazio - RM
Allegato(i) Dettagli della specie
Saperda scalaris scalaris (Linnaeus, 1758)
Cerambycidae


12.IV.2017 - ITALIA - Lazio - RM
Coleoptera

Julodis

0

863

12/04/2017, 20:08

Julodis Vedi ultimo messaggio

Nessun messaggio da leggere
Allegato(i) Dettagli della specie
Agapanthia (Epoptes) asphodeli (Latreille, 1804)
Cerambycidae


9.IV.2017 - ITALIA - Puglia - BA
Coleoptera

aguaplano

4

1676

11/04/2017, 22:13

aguaplano Vedi ultimo messaggio

Nessun messaggio da leggere
Allegato(i) Dettagli della specie
Dorcadion (Pedestredorcadion) mediterraneum Breuning, 1942
Cerambycidae


7.IV.2017 - ITALIA - Puglia - LE
Coleoptera

aguaplano

6

1915

11/04/2017, 20:34

aguaplano Vedi ultimo messaggio

Nessun messaggio da leggere
Allegato(i) Dettagli della specie
Dorcadion (Pedestredorcadion) etruscum (Rossi, 1790)
Cerambycidae


28.III.2017 - ITALIA - Veneto - VI
Coleoptera

Apoderus

10

3033

01/04/2017, 22:45

Plagionotus Vedi ultimo messaggio

Nessun messaggio da leggere
Certallum ebulinum (Linnaeus, 1767) - Cerambycidae
23.III.2017 - ITALIA - Sicilia - TP
Allegato(i) Dettagli della specie
Certallum ebulinum (Linnaeus, 1767)
Cerambycidae


23.III.2017 - ITALIA - Sicilia - TP
Coleoptera

gigi58

8

2766

25/03/2017, 20:45

gigi58 Vedi ultimo messaggio

Nessun messaggio da leggere
Allegato(i) Dettagli della specie
Dorcadion (Pedestredorcadion) mediterraneum Breuning, 1942
Cerambycidae

[ Vai alla paginaVai alla pagina: 1, 2 ]



IV.2009 - ITALIA - Puglia - LE
Coleoptera

Maurizio Bollino

21

4911

23/03/2017, 16:05

Julodis Vedi ultimo messaggio

Nessun messaggio da leggere
Rhagium (Megarhagium) mordax (De Geer, 1775) - Cerambycidae
8.IX.2016 - ITALIA - Trentino-Alto Adige - TN
Allegato(i) Dettagli della specie
Rhagium (Megarhagium) mordax (De Geer, 1775)
Cerambycidae


8.IX.2016 - ITALIA - Trentino-Alto Adige - TN
Coleoptera

gigilmozzi

4

1145

07/03/2017, 16:47

gigilmozzi Vedi ultimo messaggio

Nessun messaggio da leggere
Pyrrhidium sanguineum (Linnaeus, 1758) - Cerambycidae
6.III.2017 - ITALIA - Liguria - GE
Allegato(i) Dettagli della specie
Pyrrhidium sanguineum (Linnaeus, 1758)
Cerambycidae


6.III.2017 - ITALIA - Liguria - GE
Coleoptera

Francesco Cassulo

2

1103

06/03/2017, 10:11

Francesco Cassulo Vedi ultimo messaggio

Nessun messaggio da leggere
Parmena pubescens pubescens (Dalman, 1817) - Cerambycidae
28.II.2017 - ITALIA - Sicilia - TP
Allegato(i) Dettagli della specie
Parmena pubescens pubescens (Dalman, 1817)
Cerambycidae


28.II.2017 - ITALIA - Sicilia - TP
Coleoptera

angelo.ditta

2

1136

03/03/2017, 19:18

angelo.ditta Vedi ultimo messaggio

Nessun messaggio da leggere
Paracorymbia hybrida (Rey, 1885) - Cerambycidae
15.VIII.2016 - ITALIA - Piemonte - CN
Allegato(i) Dettagli della specie
Paracorymbia hybrida (Rey, 1885)
Cerambycidae


15.VIII.2016 - ITALIA - Piemonte - CN
Coleoptera

checcapitipiti

4

1839

28/02/2017, 8:24

michele.carraretto Vedi ultimo messaggio

Nessun messaggio da leggere
Morimus asper asper (Sulzer, 1776) - Cerambycidae
18.II.2017 - ITALIA - Emilia-Romagna - PR
Allegato(i) Dettagli della specie
Morimus asper asper (Sulzer, 1776)
Cerambycidae


18.II.2017 - ITALIA - Emilia-Romagna - PR
Coleoptera

b.fra77

7

2365

24/02/2017, 15:47

Julodis Vedi ultimo messaggio

Nessun messaggio da leggere
Paracorymbia fulva (De Geer, 1775) - Cerambycidae
2.VII.2014 - ITALIA - Toscana - GR
Allegato(i) Dettagli della specie
Paracorymbia fulva (De Geer, 1775)
Cerambycidae


2.VII.2014 - ITALIA - Toscana - GR
Coleoptera

skip

12

3078

28/01/2017, 8:44

Julodis Vedi ultimo messaggio

Nessun messaggio da leggere
Chlorophorus varius varius (O. F. Müller, 1766) - Cerambycidae
21.VIII.2016 - ITALIA - Friuli-Venezia Giulia - TS
Allegato(i) Dettagli della specie
Chlorophorus varius varius (O. F. Müller, 1766)
Cerambycidae


21.VIII.2016 - ITALIA - Friuli-Venezia Giulia - TS
Coleoptera

Bemisia

2

1219

27/01/2017, 22:00

Bemisia Vedi ultimo messaggio

Nessun messaggio da leggere
Stenurella melanura (Linnaeus, 1758) - Cerambycidae
9.VIII.2016 - ITALIA - Friuli-Venezia Giulia - UD
Allegato(i) Dettagli della specie
Stenurella melanura (Linnaeus, 1758)
Cerambycidae


9.VIII.2016 - ITALIA - Friuli-Venezia Giulia - UD
Coleoptera

skapc66

2

1230

19/01/2017, 14:49

michele.carraretto Vedi ultimo messaggio

Nessun messaggio da leggere
Parmena pubescens pubescens (Dalman, 1817) - Cerambycidae
1.IX.2016 - ITALIA - Puglia - FG
Allegato(i) Dettagli della specie
Parmena pubescens pubescens (Dalman, 1817)
Cerambycidae


1.IX.2016 - ITALIA - Puglia - FG
Coleoptera

Andream

2

1157

11/01/2017, 17:54

Andream Vedi ultimo messaggio

Nessun messaggio da leggere
Anastrangalia dubia dubia (Scopoli, 1763) - Cerambycidae
9.VIII.2016 - ITALIA - Friuli-Venezia Giulia - UD
Allegato(i) Dettagli della specie
Anastrangalia dubia dubia (Scopoli, 1763)
Cerambycidae


9.VIII.2016 - ITALIA - Friuli-Venezia Giulia - UD
Coleoptera

skapc66

6

1689

08/01/2017, 19:50

Plagionotus Vedi ultimo messaggio

Nessun messaggio da leggere
Clytus arietis arietis (Linnaeus, 1758) - Cerambycidae
15.VI.2016 - ITALIA - Veneto - BL
Allegato(i) Dettagli della specie
Clytus arietis arietis (Linnaeus, 1758)
Cerambycidae


15.VI.2016 - ITALIA - Veneto - BL
Coleoptera

skapc66

3

1206

08/01/2017, 11:36

Plagionotus Vedi ultimo messaggio

Nessun messaggio da leggere
Anastrangalia dubia dubia (Scopoli, 1763) - Cerambycidae
9.VIII.2016 - ITALIA - Friuli-Venezia Giulia - UD
Allegato(i) Dettagli della specie
Anastrangalia dubia dubia (Scopoli, 1763)
Cerambycidae


9.VIII.2016 - ITALIA - Friuli-Venezia Giulia - UD
Coleoptera

skapc66

2

1330

08/01/2017, 11:31

Plagionotus Vedi ultimo messaggio

Nessun messaggio da leggere
Gaurotes (Carilia) virginea (Linnaeus, 1758) - Cerambycidae
15.VI.2016 - ITALIA - Veneto - BL
Allegato(i) Dettagli della specie
Gaurotes (Carilia) virginea (Linnaeus, 1758)
Cerambycidae


15.VI.2016 - ITALIA - Veneto - BL
Coleoptera

skapc66

1

928

06/01/2017, 15:19

Julodis Vedi ultimo messaggio

Nessun messaggio da leggere
Tetropium castaneum (Linnaeus, 1758) - Cerambycidae
15.VI.2016 - ITALIA - Veneto - BL
Allegato(i) Dettagli della specie
Tetropium castaneum (Linnaeus, 1758)
Cerambycidae


15.VI.2016 - ITALIA - Veneto - BL
Coleoptera

skapc66

2

1320

05/01/2017, 16:51

Julodis Vedi ultimo messaggio

Nessun messaggio da leggere
Callidium violaceum (Linnaeus, 1758) - Cerambycidae
15.VI.2016 - ITALIA - Veneto - BL
Allegato(i) Dettagli della specie
Callidium violaceum (Linnaeus, 1758)
Cerambycidae


15.VI.2016 - ITALIA - Veneto - BL
Coleoptera

skapc66

1

940

05/01/2017, 15:00

Nicola Vedi ultimo messaggio

Nessun messaggio da leggere
Allegato(i) Dettagli della specie
Stictoleptura cordigera cordigera (Fuessly, 1775)
Cerambycidae


18.VI.2015 - ITALIA - Calabria - CS
Coleoptera

aiello antonio

1

1227

20/12/2016, 7:56

Julodis Vedi ultimo messaggio

Nessun messaggio da leggere
Semanotus russicus (Fabricius, 1777) - Cerambycidae
7.X.2016 - ITALIA - Lombardia - MI
Allegato(i) Dettagli della specie
Semanotus russicus (Fabricius, 1777)
Cerambycidae


7.X.2016 - ITALIA - Lombardia - MI
Coleoptera

sabrinagi

12

4440

16/12/2016, 19:26

Entomarci Vedi ultimo messaggio

Nessun messaggio da leggere
Mesosa nebulosa nebulosa (Fabricius, 1781) - Cerambycidae
10.XII.2016 - ITALIA - Toscana - SI
Allegato(i) Dettagli della specie
Mesosa nebulosa nebulosa (Fabricius, 1781)
Cerambycidae


10.XII.2016 - ITALIA - Toscana - SI
Coleoptera

skip

2

1182

11/12/2016, 12:53

skip Vedi ultimo messaggio

Nessun messaggio da leggere
Stenurella bifasciata bifasciata (O. F. Müller, 1776) - Cerambycidae
8.VIII.2016 - ITALIA - Friuli-Venezia Giulia - PN
Allegato(i) Dettagli della specie
Stenurella bifasciata bifasciata (O. F. Müller, 1776)
Cerambycidae


8.VIII.2016 - ITALIA - Friuli-Venezia Giulia - PN
Coleoptera

andreah

2

1049

03/12/2016, 23:25

Plagionotus Vedi ultimo messaggio

Nessun messaggio da leggere
Pachyta quadrimaculata (Linnaeus, 1758) - Cerambycidae
9.VIII.2016 - ITALIA - Friuli-Venezia Giulia - UD
Allegato(i) Dettagli della specie
Pachyta quadrimaculata (Linnaeus, 1758)
Cerambycidae


9.VIII.2016 - ITALIA - Friuli-Venezia Giulia - UD
Coleoptera

skapc66

2

1226

03/12/2016, 11:32

skip Vedi ultimo messaggio

Nessun messaggio da leggere
Oxypleurus nodieri Mulsant, 1839 - Cerambycidae
27.XI.2016 - ITALIA - Toscana - GR
Allegato(i) Dettagli della specie
Oxypleurus nodieri Mulsant, 1839
Cerambycidae


27.XI.2016 - ITALIA - Toscana - GR
Coleoptera

skip

5

2741

27/11/2016, 22:36

skip Vedi ultimo messaggio

Nessun messaggio da leggere
Parmena pubescens pubescens (Dalman, 1817) - Cerambycidae
21.IX.2016 - ITALIA - Sicilia - ME
Allegato(i) Dettagli della specie
Parmena pubescens pubescens (Dalman, 1817)
Cerambycidae


21.IX.2016 - ITALIA - Sicilia - ME
Coleoptera

skip

12

3701

14/11/2016, 20:17

skip Vedi ultimo messaggio

Visualizza ultimi argomenti:  Ordina per  Ordine:  
nuovo argomento
Vai alla pagina Precedente  1 ... 10, 11, 12, 13, 14, 15, 16 ... 59  Prossimo
Pagina 13 di 59 [ 2928 argomenti ]

Tutti gli orari sono UTC + 1 ora [ ora legale ]


Chi c’è in linea

Visitano il forum: Nessuno e 1 ospite


Legenda
Messaggi da leggere Messaggi da leggere Nessun messaggio da leggere Nessun messaggio da leggere Annuncio Annuncio
 
Specie indeterminata / discussione generica
Messaggi non letti [ Popolari ] Messaggi non letti [ Popolari ] Nessun messaggio da leggere [ Popolare ] Nessun messaggio da leggere [ Popolare ] Importante Importante
 
Specie determinata fino al genere o cf.
Messaggi non letti [ Bloccati ] Messaggi non letti [ Bloccati ] No messaggi non letti [ Bloccati ] No messaggi non letti [ Bloccati ] Argomento spostato Argomento spostato
 
Specie correttamente determinata
Permessi
Non puoi aprire nuovi argomenti
Non puoi rispondere negli argomenti
Non puoi modificare i tuoi messaggi
Non puoi cancellare i tuoi messaggi
Non puoi inviare allegati

Cerca per:
Vai a: