Benvenuto Ospite

Forum Entomologi Italiani

www.entomologiitaliani.net/forum
 
Oggi è 08/11/2025, 15:42

Tutti gli orari sono UTC + 1 ora [ ora legale ]


100%
2927 taxa correttamente determinati su 2928 presenti in archivio

Cerambycidae


[ AFROTROPICALE ] [ ANTARTICO ] [ AUSTRALASIANO ] [ NEARTICO ] [ NEOTROPICALE ] [ ORIENTALE ] [ PALEARTICO ]


nuovo argomento
Vai alla pagina Precedente  1 ... 12, 13, 14, 15, 16, 17, 18 ... 59  Prossimo
Pagina 15 di 59 [ 2928 argomenti ]
 Argomenti   Ordine   Autore   Risposte   Visite    Ultimo messaggio 
Annunci
Nessun messaggio da leggere
Allegato(i)
Incontri entomologici telematici organizzati dalla Società Entomologica Italiana nel 2022 e nel 2023

[ Vai alla paginaVai alla pagina: 1, 2, 3 ]

 

Velvet Ant

44

1429367

03/03/2023, 15:55

Velvet Ant Vedi ultimo messaggio

Nessun messaggio da leggere  
Allegato(i)
Sondaggio sul declino dell'entomofauna in Italia

[ Vai alla paginaVai alla pagina: 1, 2, 3, 4 ]

 

Velvet Ant

52

1757239

22/10/2022, 19:18

Acquarius Vedi ultimo messaggio

Nessun messaggio da leggere  
Allegato(i)
Progetto: Bibliografia ragionata dei lavori entomologici nei quali sono citati reperti apparsi su FEI

[ Vai alla paginaVai alla pagina: 1, 2, 3 ]

 

Velvet Ant

33

1170365

06/07/2023, 18:31

Orotrechus Vedi ultimo messaggio

Nessun messaggio da leggere
Allegato(i)
Mimesi, il primo documentario cinematografico sull’entomologia in Italia: casting
 

mazzeip

1

456872

28/02/2019, 20:26

mazzeip Vedi ultimo messaggio

Questo argomento è bloccato, non puoi modificare o inviare ulteriori messaggi.
Allegato(i)
ISTRUZIONI PUBBLICAZIONE NUOVI ARGOMENTI E FOTO

 
Altri Ordini di Insetti

Julodis

4

906151

13/05/2015, 19:37

Julodis Vedi ultimo messaggio

Nessun messaggio da leggere
Allegato(i)
Limitatore giornaliero di messaggi, uno strumento utile e ormai indispensabile

[ Vai alla paginaVai alla pagina: 1 ... 14, 15, 16 ]

 

Velvet Ant

233

8828194

25/09/2014, 14:31

Inachis Vedi ultimo messaggio

Nessun messaggio da leggere  
NORME PER I COLLABORATORI DEL FORUM

 
 

Velvet Ant

0

478831

02/06/2011, 12:05

Velvet Ant Vedi ultimo messaggio

Nessun messaggio da leggere
Allegato(i)
NORME PER GLI UTENTI DEL FORUM

[ Vai alla paginaVai alla pagina: 1, 2, 3 ]



 
 

Velvet Ant

30

2345559

23/09/2014, 23:54

Maurizio Bollino Vedi ultimo messaggio

Questo argomento è bloccato, non puoi modificare o inviare ulteriori messaggi.  
Elenco delle specie italiane di Cerambycidae presenti sul forum
Cerambycidae


 
Coleoptera

Plagionotus

0

5996

22/11/2010, 22:28

Plagionotus Vedi ultimo messaggio

Nessun messaggio da leggere  
Lista degli utenti del "Forum entomologi italiani" per campi di interesse e specializzazione

 
Altri Ordini di Insetti

Velvet Ant

13

944162

07/09/2023, 17:14

Roberto-07 Vedi ultimo messaggio

Argomenti
Nessun messaggio da leggere
Stictoleptura rubra rubra (Linnaeus, 1758) - Cerambycidae
4.VIII.2016 - ITALIA - Friuli-Venezia Giulia - PN
Allegato(i) Dettagli della specie
Stictoleptura rubra rubra (Linnaeus, 1758)
Cerambycidae


4.VIII.2016 - ITALIA - Friuli-Venezia Giulia - PN
Coleoptera

andreah

2

1075

04/08/2016, 18:52

andreah Vedi ultimo messaggio

Nessun messaggio da leggere
Icosium tomentosum atticum Ganglbauer, 1882 - Cerambycidae
28.VII.2016 - ITALIA - Basilicata - MT
Allegato(i) Dettagli della specie
Icosium tomentosum atticum Ganglbauer, 1882
Cerambycidae


28.VII.2016 - ITALIA - Basilicata - MT
Coleoptera

donatol

4

1639

04/08/2016, 17:05

donatol Vedi ultimo messaggio

Nessun messaggio da leggere
Anastrangalia dubia dubia (Scopoli, 1763) - Cerambycidae
5.VI.2005 - ITALIA - Trentino-Alto Adige - TN
Allegato(i) Dettagli della specie
Anastrangalia dubia dubia (Scopoli, 1763)
Cerambycidae


5.VI.2005 - ITALIA - Trentino-Alto Adige - TN
Coleoptera

Andrea Pergine

2

1375

03/08/2016, 19:48

Andrea Pergine Vedi ultimo messaggio

Nessun messaggio da leggere
Pseudosphegesthes cinerea (Laporte & Gory, 1836) - Cerambycidae
2.VIII.2016 - ITALIA - Emilia-Romagna - FE
Allegato(i) Dettagli della specie
Pseudosphegesthes cinerea (Laporte & Gory, 1836)
Cerambycidae


2.VIII.2016 - ITALIA - Emilia-Romagna - FE
Coleoptera

Daniele Maccapani

10

3062

03/08/2016, 19:30

Daniele Maccapani Vedi ultimo messaggio

Nessun messaggio da leggere
Allegato(i) Dettagli della specie
Xylotrechus (Xylotrechus) arvicola (Olivier, 1795)
Cerambycidae


30.VII.2016 - ITALIA - Sicilia - ME
Coleoptera

skapc66

5

1860

03/08/2016, 15:41

skapc66 Vedi ultimo messaggio

Nessun messaggio da leggere
Stictoleptura rubra rubra (Linnaeus, 1758) - Cerambycidae
24.VII.2016 - ITALIA - Trentino-Alto Adige - BZ
Allegato(i) Dettagli della specie
Stictoleptura rubra rubra (Linnaeus, 1758)
Cerambycidae


24.VII.2016 - ITALIA - Trentino-Alto Adige - BZ
Coleoptera

coneshell

1

955

02/08/2016, 22:08

michele.carraretto Vedi ultimo messaggio

Nessun messaggio da leggere
Tetropium castaneum (Linnaeus, 1758) - Cerambycidae
6.VII.2016 - ITALIA - Trentino-Alto Adige - TN
Allegato(i) Dettagli della specie
Tetropium castaneum (Linnaeus, 1758)
Cerambycidae


6.VII.2016 - ITALIA - Trentino-Alto Adige - TN
Coleoptera

gigilmozzi

2

1218

02/08/2016, 20:43

gigilmozzi Vedi ultimo messaggio

Nessun messaggio da leggere
Dinoptera (Dinoptera) collaris (Linnaeus, 1758) - Cerambycidae
24.VII.2016 - ITALIA - Trentino-Alto Adige - BZ
Allegato(i) Dettagli della specie
Dinoptera (Dinoptera) collaris (Linnaeus, 1758)
Cerambycidae


24.VII.2016 - ITALIA - Trentino-Alto Adige - BZ
Coleoptera

coneshell

0

710

02/08/2016, 18:58

coneshell Vedi ultimo messaggio

Nessun messaggio da leggere
Chlorophorus varius varius (O. F. Müller, 1766) - Cerambycidae
29.VII.2016 - ITALIA - Trentino-Alto Adige - BZ
Allegato(i) Dettagli della specie
Chlorophorus varius varius (O. F. Müller, 1766)
Cerambycidae


29.VII.2016 - ITALIA - Trentino-Alto Adige - BZ
Coleoptera

gigilmozzi

2

1012

31/07/2016, 20:12

gigilmozzi Vedi ultimo messaggio

Nessun messaggio da leggere
Ergates faber faber (Linnaeus, 1760) - Cerambycidae
8.VII.2016 - ITALIA - Umbria - PG
Allegato(i) Dettagli della specie
Ergates faber faber (Linnaeus, 1760)
Cerambycidae


8.VII.2016 - ITALIA - Umbria - PG
Coleoptera

MARIO LUNA

12

2785

31/07/2016, 15:00

Plagionotus Vedi ultimo messaggio

Nessun messaggio da leggere
Leptura aurulenta Fabricius, 1792 - Cerambycidae
17.VII.2016 - ITALIA - Emilia-Romagna - FC
Allegato(i) Dettagli della specie
Leptura aurulenta Fabricius, 1792
Cerambycidae


17.VII.2016 - ITALIA - Emilia-Romagna - FC
Coleoptera

Chalybion

5

1633

31/07/2016, 10:07

Plagionotus Vedi ultimo messaggio

Nessun messaggio da leggere
Clytus arietis arietis (Linnaeus, 1758) - Cerambycidae
30.VII.2016 - ITALIA - Friuli-Venezia Giulia - PN
Allegato(i) Dettagli della specie
Clytus arietis arietis (Linnaeus, 1758)
Cerambycidae


30.VII.2016 - ITALIA - Friuli-Venezia Giulia - PN
Coleoptera

andreah

2

1015

30/07/2016, 19:05

andreah Vedi ultimo messaggio

Nessun messaggio da leggere
Plagionotus floralis (Pallas, 1773) - Cerambycidae
29.VII.2016 - ITALIA - Piemonte - AL
Allegato(i) Dettagli della specie
Plagionotus floralis (Pallas, 1773)
Cerambycidae


29.VII.2016 - ITALIA - Piemonte - AL
Coleoptera

Francesco Cassulo

2

1064

30/07/2016, 11:38

Francesco Cassulo Vedi ultimo messaggio

Nessun messaggio da leggere
Prionus coriarius (Linnaeus, 1758) - Cerambycidae
28.VII.2016 - ITALIA - Veneto - TV
Allegato(i) Dettagli della specie
Prionus coriarius (Linnaeus, 1758)
Cerambycidae


28.VII.2016 - ITALIA - Veneto - TV
Coleoptera

Sybilla

4

1445

29/07/2016, 14:25

Sybilla Vedi ultimo messaggio

Nessun messaggio da leggere
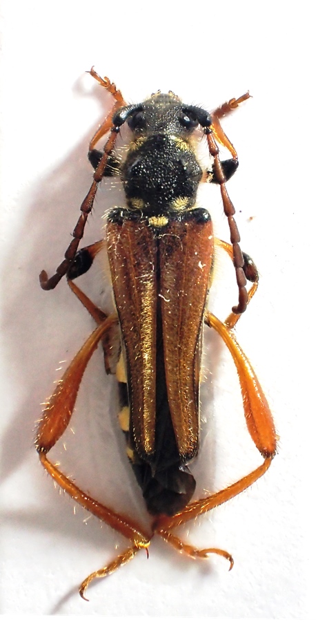
Stenopterus rufus rufus (Linnaeus, 1767) - Cerambycidae
23.VI.2016 - ITALIA - Sicilia - ME
Allegato(i) Dettagli della specie
Stenopterus rufus rufus (Linnaeus, 1767)
Cerambycidae

[ Vai alla paginaVai alla pagina: 1, 2 ]



23.VI.2016 - ITALIA - Sicilia - ME
Coleoptera

skapc66

18

4355

27/07/2016, 12:30

Plagionotus Vedi ultimo messaggio

Nessun messaggio da leggere
Acanthocinus griseus (Fabricius, 1792) - Cerambycidae
26.VII.2016 - ITALIA - Trentino-Alto Adige - TN
Allegato(i) Dettagli della specie
Acanthocinus griseus (Fabricius, 1792)
Cerambycidae


26.VII.2016 - ITALIA - Trentino-Alto Adige - TN
Coleoptera

gigilmozzi

0

1423

26/07/2016, 21:12

gigilmozzi Vedi ultimo messaggio

Nessun messaggio da leggere
Stenopterus rufus rufus (Linnaeus, 1767) - Cerambycidae
25.VII.2016 - ITALIA - Liguria - GE
Allegato(i) Dettagli della specie
Stenopterus rufus rufus (Linnaeus, 1767)
Cerambycidae


25.VII.2016 - ITALIA - Liguria - GE
Coleoptera

Antonio Pareto

1

1070

26/07/2016, 13:16

Daniele Maccapani Vedi ultimo messaggio

Nessun messaggio da leggere
Allegato(i) Dettagli della specie
Pseudosphegesthes cinerea (Laporte & Gory, 1836)
Cerambycidae

[ Vai alla paginaVai alla pagina: 1, 2 ]



29.VI.2016 - ITALIA - Toscana - GR
Coleoptera

skip

20

4181

26/07/2016, 8:28

Entomarci Vedi ultimo messaggio

Nessun messaggio da leggere
Allegato(i) Dettagli della specie
Stictoleptura cordigera cordigera (Fuessly, 1775)
Cerambycidae


23.VI.2016 - ITALIA - Sicilia - ME
Coleoptera

skapc66

7

1995

25/07/2016, 15:56

Julodis Vedi ultimo messaggio

Nessun messaggio da leggere
Allegato(i) Dettagli della specie
Xylotrechus (Xylotrechus) arvicola (Olivier, 1795)
Cerambycidae


23.VI.2016 - ITALIA - Sicilia - ME
Coleoptera

skapc66

1

1495

25/07/2016, 7:45

Julodis Vedi ultimo messaggio

Nessun messaggio da leggere
Chlorophorus trifasciatus (Fabricius, 1781) - Cerambycidae
24.VII.2016 - ITALIA - Umbria - PG
Allegato(i) Dettagli della specie
Chlorophorus trifasciatus (Fabricius, 1781)
Cerambycidae


24.VII.2016 - ITALIA - Umbria - PG
Coleoptera

andreah

1

947

24/07/2016, 20:26

marco villa Vedi ultimo messaggio

Nessun messaggio da leggere
Pogonocherus fasciculatus (De Geer, 1775) - Cerambycidae
8.VII.2016 - ITALIA - Trentino-Alto Adige - TN
Allegato(i) Dettagli della specie
Pogonocherus fasciculatus (De Geer, 1775)
Cerambycidae


8.VII.2016 - ITALIA - Trentino-Alto Adige - TN
Coleoptera

gigilmozzi

3

1265

24/07/2016, 18:07

gigilmozzi Vedi ultimo messaggio

Nessun messaggio da leggere
Stictoleptura rubra rubra (Linnaeus, 1758) - Cerambycidae
3.VII.2015 - ITALIA - Umbria - PG
Allegato(i) Dettagli della specie
Stictoleptura rubra rubra (Linnaeus, 1758)
Cerambycidae


3.VII.2015 - ITALIA - Umbria - PG
Coleoptera

MARIO LUNA

8

2173

21/07/2016, 23:39

Anillus Vedi ultimo messaggio

Nessun messaggio da leggere
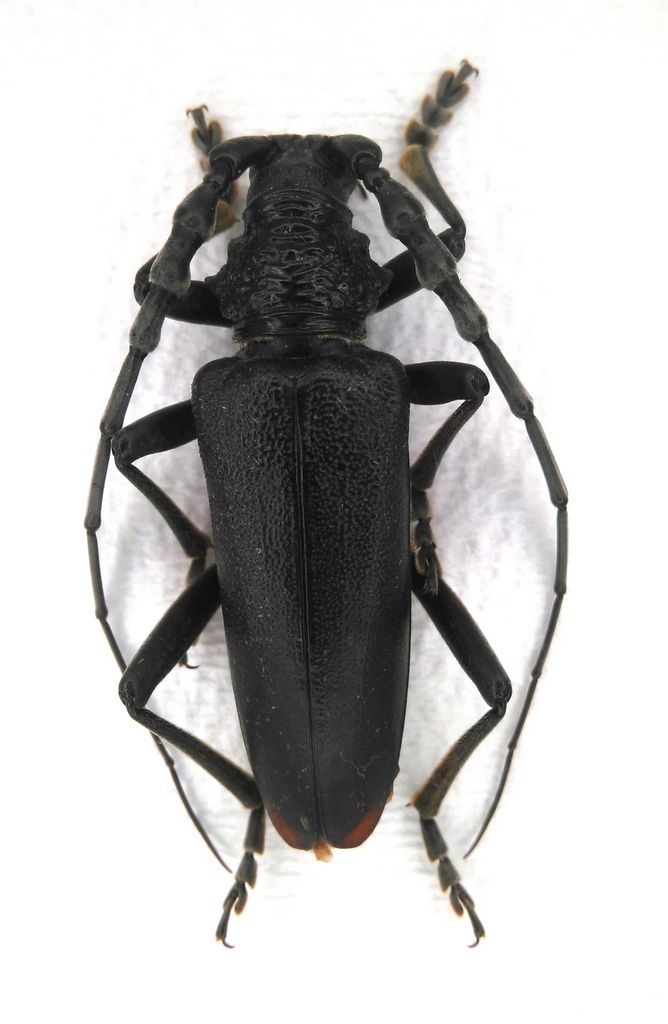
Cerambyx miles Bonelli, 1812 - Cerambycidae
16.VII.2016 - ITALIA - Toscana - PT
Allegato(i) Dettagli della specie
Cerambyx miles Bonelli, 1812
Cerambycidae

[ Vai alla paginaVai alla pagina: 1, 2 ]



16.VII.2016 - ITALIA - Toscana - PT
Coleoptera

fabry80

15

3838

21/07/2016, 23:19

Julodis Vedi ultimo messaggio

Nessun messaggio da leggere
Allegato(i) Dettagli della specie
Agapanthia (Agapanthia) violacea (Fabricius, 1775)
Cerambycidae


29.V.2016 - ITALIA - Sicilia - CT
Coleoptera

skapc66

7

2044

19/07/2016, 20:32

f.izzillo Vedi ultimo messaggio

Nessun messaggio da leggere
Leptura aurulenta Fabricius, 1792 - Cerambycidae
VII.2016 - ITALIA - Lazio - RM
Allegato(i) Dettagli della specie
Leptura aurulenta Fabricius, 1792
Cerambycidae


VII.2016 - ITALIA - Lazio - RM
Coleoptera

Julodis

2

1357

17/07/2016, 7:36

Julodis Vedi ultimo messaggio

Nessun messaggio da leggere
Allegato(i) Dettagli della specie
Agapanthia (Epoptes) villosoviridescens (De Geer, 1775)
Cerambycidae


25.VI.2016 - ITALIA - Abruzzo - AQ
Coleoptera

Julodis

2

1175

16/07/2016, 19:44

Plagionotus Vedi ultimo messaggio

Nessun messaggio da leggere
Allegato(i) Dettagli della specie
Purpuricenus (Purpuricenus) globulicollis Dejean, 1839
Cerambycidae


VII.2016 - ITALIA - Lazio - RM
Coleoptera

Julodis

13

3429

16/07/2016, 14:56

AleP Vedi ultimo messaggio

Nessun messaggio da leggere
Allegato(i) Dettagli della specie
Agapanthia (Epoptes) villosoviridescens (De Geer, 1775)
Cerambycidae


10.VII.2016 - ITALIA - Campania - CE
Coleoptera

f.izzillo

14

3927

16/07/2016, 14:15

Plagionotus Vedi ultimo messaggio

Nessun messaggio da leggere
Aegosoma scabricorne (Scopoli, 1763) - Cerambycidae
14.VII.2016 - ITALIA - Marche - PU
Allegato(i) Dettagli della specie
Aegosoma scabricorne (Scopoli, 1763)
Cerambycidae


14.VII.2016 - ITALIA - Marche - PU
Coleoptera

marco paglialunga

1

1104

15/07/2016, 22:23

Julodis Vedi ultimo messaggio

Nessun messaggio da leggere
Morimus asper asper (Sulzer, 1776) - Cerambycidae
14.VII.2016 - ITALIA - Trentino-Alto Adige - TN
Allegato(i) Dettagli della specie
Morimus asper asper (Sulzer, 1776)
Cerambycidae


14.VII.2016 - ITALIA - Trentino-Alto Adige - TN
Coleoptera

gigilmozzi

1

860

15/07/2016, 20:03

marco villa Vedi ultimo messaggio

Nessun messaggio da leggere
Anastrangalia dubia dubia (Scopoli, 1763) - Cerambycidae
14.VII.2016 - ITALIA - Trentino-Alto Adige - TN
Allegato(i) Dettagli della specie
Anastrangalia dubia dubia (Scopoli, 1763)
Cerambycidae


14.VII.2016 - ITALIA - Trentino-Alto Adige - TN
Coleoptera

gigilmozzi

3

1575

15/07/2016, 19:45

gigilmozzi Vedi ultimo messaggio

Nessun messaggio da leggere
Schurmannia sicula Sama, 1979 - Cerambycidae
VI.2016 - ITALIA - Sicilia - PA
Allegato(i) Dettagli della specie
Schurmannia sicula Sama, 1979
Cerambycidae


VI.2016 - ITALIA - Sicilia - PA
Coleoptera

michele.carraretto

11

2937

15/07/2016, 17:23

f.izzillo Vedi ultimo messaggio

Nessun messaggio da leggere
Allegato(i) Dettagli della specie
Agapanthia (Epoptes) irrorata (Fabricius, 1787)
Cerambycidae


6.VI.2016 - ITALIA - Sardegna - VS
Coleoptera

marco villa

3

1474

15/07/2016, 15:53

Julodis Vedi ultimo messaggio

Nessun messaggio da leggere
Ergates faber faber (Linnaeus, 1760) - Cerambycidae
12.VII.2016 - ITALIA - Toscana - FI
Allegato(i) Dettagli della specie
Ergates faber faber (Linnaeus, 1760)
Cerambycidae


12.VII.2016 - ITALIA - Toscana - FI
Coleoptera

skip

10

3432

14/07/2016, 16:00

Julodis Vedi ultimo messaggio

Nessun messaggio da leggere
Allegato(i) Dettagli della specie
Grammoptera ruficornis ruficornis (Fabricius, 1781)
Cerambycidae


18.VI.2015 - ITALIA - Lombardia - SO
Coleoptera

skip

5

1547

14/07/2016, 14:14

Plagionotus Vedi ultimo messaggio

Nessun messaggio da leggere
Allegato(i) Dettagli della specie
Agapanthia (Agapanthia) maculicornis davidi Sláma, 1986
Cerambycidae


8.V.2016 - ITALIA - Toscana - GR
Coleoptera

hypotyphlus

7

2633

13/07/2016, 16:30

hypotyphlus Vedi ultimo messaggio

Nessun messaggio da leggere
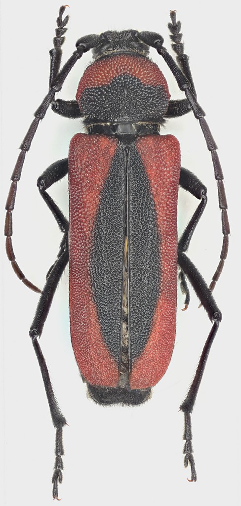
Stictoleptura scutellata melas (Lucas, 1849) - Cerambycidae
9.VII.2016 - ITALIA - Sicilia - ME
Allegato(i) Dettagli della specie
Stictoleptura scutellata melas (Lucas, 1849)
Cerambycidae


9.VII.2016 - ITALIA - Sicilia - ME
Coleoptera

skapc66

5

1735

13/07/2016, 14:21

skapc66 Vedi ultimo messaggio

Nessun messaggio da leggere
Herophila tristis tristis (Linnaeus, 1767) - Cerambycidae
30.V.2015 - ITALIA - Lazio - RM
Allegato(i) Dettagli della specie
Herophila tristis tristis (Linnaeus, 1767)
Cerambycidae


30.V.2015 - ITALIA - Lazio - RM
Coleoptera

wgliinsetti

1

960

13/07/2016, 9:04

fabry80 Vedi ultimo messaggio

Nessun messaggio da leggere
Brachyta interrogationis (Linnaeus, 1758) - Cerambycidae
7.VII.2016 - ITALIA - Trentino-Alto Adige - TN
Allegato(i) Dettagli della specie
Brachyta interrogationis (Linnaeus, 1758)
Cerambycidae


7.VII.2016 - ITALIA - Trentino-Alto Adige - TN
Coleoptera

gigilmozzi

2

1083

12/07/2016, 9:24

marco villa Vedi ultimo messaggio

Nessun messaggio da leggere
Cerambyx miles Bonelli, 1812 - Cerambycidae
9.VII.2016 - ITALIA - Basilicata - MT
Allegato(i) Dettagli della specie
Cerambyx miles Bonelli, 1812
Cerambycidae


9.VII.2016 - ITALIA - Basilicata - MT
Coleoptera

donatol

2

1260

10/07/2016, 20:03

donatol Vedi ultimo messaggio

Nessun messaggio da leggere
Alosterna tabacicolor (De Geer, 1775) - Cerambycidae
18.VI.2015 - ITALIA - Lombardia - SO
Allegato(i) Dettagli della specie
Alosterna tabacicolor (De Geer, 1775)
Cerambycidae


18.VI.2015 - ITALIA - Lombardia - SO
Coleoptera

skip

2

1228

07/07/2016, 20:51

skip Vedi ultimo messaggio

Nessun messaggio da leggere
Stenopterus rufus rufus (Linnaeus, 1767) - Cerambycidae
5.VII.2016 - ITALIA - Trentino-Alto Adige - TN
Allegato(i) Dettagli della specie
Stenopterus rufus rufus (Linnaeus, 1767)
Cerambycidae


5.VII.2016 - ITALIA - Trentino-Alto Adige - TN
Coleoptera

gigilmozzi

1

714

05/07/2016, 21:43

Giuseppe Vedi ultimo messaggio

Nessun messaggio da leggere
Allegato(i) Dettagli della specie
Rutpela maculata nigricornis Rapuzzi & Sama, 2006
Cerambycidae


3.VII.2016 - ITALIA - Sicilia - CT
Coleoptera

skapc66

4

1495

04/07/2016, 19:07

Maw89 Vedi ultimo messaggio

Nessun messaggio da leggere
Brachyta interrogationis (Linnaeus, 1758) - Cerambycidae
3.VII.2016 - ITALIA - Lombardia - SO
Allegato(i) Dettagli della specie
Brachyta interrogationis (Linnaeus, 1758)
Cerambycidae


3.VII.2016 - ITALIA - Lombardia - SO
Coleoptera

matthew gandy

3

1312

04/07/2016, 16:06

matthew gandy Vedi ultimo messaggio

Nessun messaggio da leggere
Herophila tristis tristis (Linnaeus, 1767) - Cerambycidae
30.VI.2016 - ITALIA - Emilia-Romagna - BO
Allegato(i) Dettagli della specie
Herophila tristis tristis (Linnaeus, 1767)
Cerambycidae


30.VI.2016 - ITALIA - Emilia-Romagna - BO
Coleoptera

Loriscola

3

1317

04/07/2016, 15:49

marco villa Vedi ultimo messaggio

Nessun messaggio da leggere
Asemum striatum (Linnaeus, 1758) - Cerambycidae
22.VI.2016 - ITALIA - Umbria - PG
Allegato(i) Dettagli della specie
Asemum striatum (Linnaeus, 1758)
Cerambycidae


22.VI.2016 - ITALIA - Umbria - PG
Coleoptera

MARIO LUNA

1

988

02/07/2016, 10:06

marco villa Vedi ultimo messaggio

Nessun messaggio da leggere
Asemum tenuicorne Kraatz, 1879 - Cerambycidae
27.V.2016 - ITALIA - Umbria - PG
Allegato(i) Dettagli della specie
Asemum tenuicorne Kraatz, 1879
Cerambycidae


27.V.2016 - ITALIA - Umbria - PG
Coleoptera

MARIO LUNA

0

929

02/07/2016, 10:05

MARIO LUNA Vedi ultimo messaggio

Nessun messaggio da leggere
Monochamus galloprovincialis (Olivier, 1795) - Cerambycidae
28.VI.2016 - ITALIA - Trentino-Alto Adige - TN
Allegato(i) Dettagli della specie
Monochamus galloprovincialis (Olivier, 1795)
Cerambycidae


28.VI.2016 - ITALIA - Trentino-Alto Adige - TN
Coleoptera

gigilmozzi

3

1270

29/06/2016, 17:09

gigilmozzi Vedi ultimo messaggio

Nessun messaggio da leggere
Stenopterus rufus rufus (Linnaeus, 1767) - Cerambycidae
27.VI.2016 - ITALIA - Molise - IS
Allegato(i) Dettagli della specie
Stenopterus rufus rufus (Linnaeus, 1767)
Cerambycidae


27.VI.2016 - ITALIA - Molise - IS
Coleoptera

Franco ROSSI

2

967

29/06/2016, 11:32

marco villa Vedi ultimo messaggio

Visualizza ultimi argomenti:  Ordina per  Ordine:  
nuovo argomento
Vai alla pagina Precedente  1 ... 12, 13, 14, 15, 16, 17, 18 ... 59  Prossimo
Pagina 15 di 59 [ 2928 argomenti ]

Tutti gli orari sono UTC + 1 ora [ ora legale ]


Chi c’è in linea

Visitano il forum: Nessuno e 1 ospite


Legenda
Messaggi da leggere Messaggi da leggere Nessun messaggio da leggere Nessun messaggio da leggere Annuncio Annuncio
 
Specie indeterminata / discussione generica
Messaggi non letti [ Popolari ] Messaggi non letti [ Popolari ] Nessun messaggio da leggere [ Popolare ] Nessun messaggio da leggere [ Popolare ] Importante Importante
 
Specie determinata fino al genere o cf.
Messaggi non letti [ Bloccati ] Messaggi non letti [ Bloccati ] No messaggi non letti [ Bloccati ] No messaggi non letti [ Bloccati ] Argomento spostato Argomento spostato
 
Specie correttamente determinata
Permessi
Non puoi aprire nuovi argomenti
Non puoi rispondere negli argomenti
Non puoi modificare i tuoi messaggi
Non puoi cancellare i tuoi messaggi
Non puoi inviare allegati

Cerca per:
Vai a: