Benvenuto Ospite

Forum Entomologi Italiani

www.entomologiitaliani.net/forum
 
Oggi è 08/11/2025, 15:42

Tutti gli orari sono UTC + 1 ora [ ora legale ]


100%
2927 taxa correttamente determinati su 2928 presenti in archivio

Cerambycidae


[ AFROTROPICALE ] [ ANTARTICO ] [ AUSTRALASIANO ] [ NEARTICO ] [ NEOTROPICALE ] [ ORIENTALE ] [ PALEARTICO ]


nuovo argomento
Vai alla pagina Precedente  1 ... 13, 14, 15, 16, 17, 18, 19 ... 59  Prossimo
Pagina 16 di 59 [ 2928 argomenti ]
 Argomenti   Ordine   Autore   Risposte   Visite    Ultimo messaggio 
Annunci
Nessun messaggio da leggere
Allegato(i)
Incontri entomologici telematici organizzati dalla Società Entomologica Italiana nel 2022 e nel 2023

[ Vai alla paginaVai alla pagina: 1, 2, 3 ]

 

Velvet Ant

44

1429367

03/03/2023, 15:55

Velvet Ant Vedi ultimo messaggio

Nessun messaggio da leggere  
Allegato(i)
Sondaggio sul declino dell'entomofauna in Italia

[ Vai alla paginaVai alla pagina: 1, 2, 3, 4 ]

 

Velvet Ant

52

1757239

22/10/2022, 19:18

Acquarius Vedi ultimo messaggio

Nessun messaggio da leggere  
Allegato(i)
Progetto: Bibliografia ragionata dei lavori entomologici nei quali sono citati reperti apparsi su FEI

[ Vai alla paginaVai alla pagina: 1, 2, 3 ]

 

Velvet Ant

33

1170365

06/07/2023, 18:31

Orotrechus Vedi ultimo messaggio

Nessun messaggio da leggere
Allegato(i)
Mimesi, il primo documentario cinematografico sull’entomologia in Italia: casting
 

mazzeip

1

456872

28/02/2019, 20:26

mazzeip Vedi ultimo messaggio

Questo argomento è bloccato, non puoi modificare o inviare ulteriori messaggi.
Allegato(i)
ISTRUZIONI PUBBLICAZIONE NUOVI ARGOMENTI E FOTO

 
Altri Ordini di Insetti

Julodis

4

906151

13/05/2015, 19:37

Julodis Vedi ultimo messaggio

Nessun messaggio da leggere
Allegato(i)
Limitatore giornaliero di messaggi, uno strumento utile e ormai indispensabile

[ Vai alla paginaVai alla pagina: 1 ... 14, 15, 16 ]

 

Velvet Ant

233

8828194

25/09/2014, 14:31

Inachis Vedi ultimo messaggio

Nessun messaggio da leggere  
NORME PER I COLLABORATORI DEL FORUM

 
 

Velvet Ant

0

478831

02/06/2011, 12:05

Velvet Ant Vedi ultimo messaggio

Nessun messaggio da leggere
Allegato(i)
NORME PER GLI UTENTI DEL FORUM

[ Vai alla paginaVai alla pagina: 1, 2, 3 ]



 
 

Velvet Ant

30

2345559

23/09/2014, 23:54

Maurizio Bollino Vedi ultimo messaggio

Questo argomento è bloccato, non puoi modificare o inviare ulteriori messaggi.  
Elenco delle specie italiane di Cerambycidae presenti sul forum
Cerambycidae


 
Coleoptera

Plagionotus

0

5996

22/11/2010, 22:28

Plagionotus Vedi ultimo messaggio

Nessun messaggio da leggere  
Lista degli utenti del "Forum entomologi italiani" per campi di interesse e specializzazione

 
Altri Ordini di Insetti

Velvet Ant

13

944162

07/09/2023, 17:14

Roberto-07 Vedi ultimo messaggio

Argomenti
Nessun messaggio da leggere
Stenopterus ater (Linnaeus, 1767) - Cerambycidae
26.VI.2016 - ITALIA - Lazio - RM
Allegato(i) Dettagli della specie
Stenopterus ater (Linnaeus, 1767)
Cerambycidae


26.VI.2016 - ITALIA - Lazio - RM
Coleoptera

Edo

2

1011

28/06/2016, 22:34

Edo Vedi ultimo messaggio

Nessun messaggio da leggere
Hylotrupes bajulus (Linnaeus, 1758) - Cerambycidae
27.VI.2016 - ITALIA - Molise - IS
Allegato(i) Dettagli della specie
Hylotrupes bajulus (Linnaeus, 1758)
Cerambycidae


27.VI.2016 - ITALIA - Molise - IS
Coleoptera

Franco ROSSI

2

1004

28/06/2016, 10:05

Franco ROSSI Vedi ultimo messaggio

Nessun messaggio da leggere
Pseudovadonia livida livida (Fabricius, 1777) - Cerambycidae
26.VI.2016 - ITALIA - Abruzzo - AQ
Allegato(i) Dettagli della specie
Pseudovadonia livida livida (Fabricius, 1777)
Cerambycidae


26.VI.2016 - ITALIA - Abruzzo - AQ
Coleoptera

andreah

3

1154

27/06/2016, 10:06

andreah Vedi ultimo messaggio

Nessun messaggio da leggere
Clytus arietis arietis (Linnaeus, 1758) - Cerambycidae
24.VI.2016 - ITALIA - Trentino-Alto Adige - BZ
Allegato(i) Dettagli della specie
Clytus arietis arietis (Linnaeus, 1758)
Cerambycidae


24.VI.2016 - ITALIA - Trentino-Alto Adige - BZ
Coleoptera

gigilmozzi

2

898

26/06/2016, 21:18

gigilmozzi Vedi ultimo messaggio

Nessun messaggio da leggere
Allegato(i) Dettagli della specie
Agapanthia (Epoptes) sicula sicula Ganglbauer, 1884
Cerambycidae


28.V.2016 - ITALIA - Sicilia - ME
Coleoptera

skapc66

1

799

21/06/2016, 20:26

marco villa Vedi ultimo messaggio

Nessun messaggio da leggere
Plagionotus scalaris (Brullé, 1832) - Cerambycidae
12.VI.2016 - ITALIA - Lazio - RM
Allegato(i) Dettagli della specie
Plagionotus scalaris (Brullé, 1832)
Cerambycidae


12.VI.2016 - ITALIA - Lazio - RM
Coleoptera

Elena Regina

6

1568

21/06/2016, 19:58

Tc70 Vedi ultimo messaggio

Nessun messaggio da leggere
Pachytodes erraticus erraticus (Dalman, 1817) - Cerambycidae
18.VI.2016 - ITALIA - Sicilia - ME
Allegato(i) Dettagli della specie
Pachytodes erraticus erraticus (Dalman, 1817)
Cerambycidae


18.VI.2016 - ITALIA - Sicilia - ME
Coleoptera

skapc66

2

1315

20/06/2016, 20:00

Lucanus tetraodon Vedi ultimo messaggio

Nessun messaggio da leggere
Allegato(i) Dettagli della specie
Stenurella bifasciata bifasciata (O. F. Müller, 1776)
Cerambycidae


18.VI.2016 - ITALIA - Sicilia - ME
Coleoptera

skapc66

1

880

20/06/2016, 19:56

Lucanus tetraodon Vedi ultimo messaggio

Nessun messaggio da leggere
Plagionotus floralis (Pallas, 1773) - Cerambycidae
12.VI.2016 - ITALIA - Emilia-Romagna - RA
Allegato(i) Dettagli della specie
Plagionotus floralis (Pallas, 1773)
Cerambycidae


12.VI.2016 - ITALIA - Emilia-Romagna - RA
Coleoptera

marco villa

2

918

20/06/2016, 16:32

marco villa Vedi ultimo messaggio

Nessun messaggio da leggere
Plagionotus floralis (Pallas, 1773) - Cerambycidae
5.VI.2016 - ITALIA - Lazio - RM
Allegato(i) Dettagli della specie
Plagionotus floralis (Pallas, 1773)
Cerambycidae


5.VI.2016 - ITALIA - Lazio - RM
Coleoptera

missorp

7

1878

20/06/2016, 14:42

Julodis Vedi ultimo messaggio

Nessun messaggio da leggere
Stenopterus ater (Linnaeus, 1767) - Cerambycidae
17.VI.2016 - ITALIA - Liguria - GE
Allegato(i) Dettagli della specie
Stenopterus ater (Linnaeus, 1767)
Cerambycidae


17.VI.2016 - ITALIA - Liguria - GE
Coleoptera

Antonio Pareto

4

1355

20/06/2016, 13:38

marco villa Vedi ultimo messaggio

Nessun messaggio da leggere
Leiopus femoratus Fairmaire, 1859 - Cerambycidae
18.V.2016 - ITALIA - Sardegna - NU
Allegato(i) Dettagli della specie
Leiopus femoratus Fairmaire, 1859
Cerambycidae


18.V.2016 - ITALIA - Sardegna - NU
Coleoptera

Mauro

7

1944

19/06/2016, 20:38

Mauro Vedi ultimo messaggio

Nessun messaggio da leggere
Allegato(i) Dettagli della specie
Xylotrechus (Xylotrechus) antilope antilope (Schöenherr, 1817)
Cerambycidae


IV.2016 - ITALIA - Emilia-Romagna - RA
Coleoptera

marco villa

5

1582

19/06/2016, 13:45

Plagionotus Vedi ultimo messaggio

Nessun messaggio da leggere
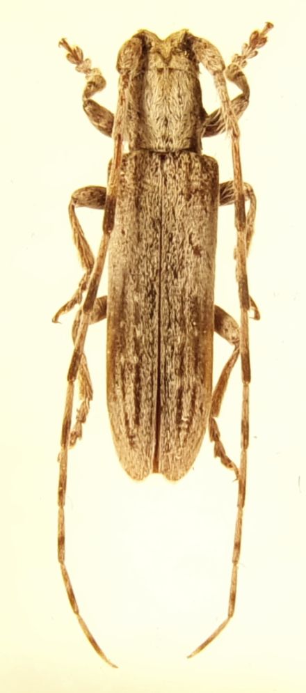
Stenopterus rufus rufus (Linnaeus, 1767) - Cerambycidae
6.VI.2016 - ITALIA - Veneto - VI
Allegato(i) Dettagli della specie
Stenopterus rufus rufus (Linnaeus, 1767)
Cerambycidae


6.VI.2016 - ITALIA - Veneto - VI
Coleoptera

Brucaliffo

2

842

18/06/2016, 19:14

Brucaliffo Vedi ultimo messaggio

Nessun messaggio da leggere
Stenopterus ater (Linnaeus, 1767) - Cerambycidae
11.VI.2016 - ITALIA - Sicilia - CT
Allegato(i) Dettagli della specie
Stenopterus ater (Linnaeus, 1767)
Cerambycidae


11.VI.2016 - ITALIA - Sicilia - CT
Coleoptera

skapc66

4

1005

15/06/2016, 21:39

Lucanus tetraodon Vedi ultimo messaggio

Nessun messaggio da leggere
Allegato(i) Dettagli della specie
Agapanthia (Epoptes) sicula sicula Ganglbauer, 1884
Cerambycidae


28.V.2016 - ITALIA - Sicilia - ME
Coleoptera

skapc66

1

1084

14/06/2016, 12:16

Plagionotus Vedi ultimo messaggio

Nessun messaggio da leggere
Allegato(i) Dettagli della specie
Agapanthia (Epoptes) irrorata (Fabricius, 1787)
Cerambycidae


28.V.2016 - ITALIA - Sicilia - ME
Coleoptera

skapc66

3

1369

14/06/2016, 7:26

skapc66 Vedi ultimo messaggio

Nessun messaggio da leggere
Anaglyptus gibbosus (Fabricius, 1787) - Cerambycidae
11.VI.2016 - ITALIA - Sicilia - CT
Allegato(i) Dettagli della specie
Anaglyptus gibbosus (Fabricius, 1787)
Cerambycidae


11.VI.2016 - ITALIA - Sicilia - CT
Coleoptera

skapc66

1

1071

13/06/2016, 11:45

marco villa Vedi ultimo messaggio

Nessun messaggio da leggere
Allegato(i) Dettagli della specie
Stictoleptura cordigera cordigera (Fuessly, 1775)
Cerambycidae


6.VI.2016 - ITALIA - Lazio - RM
Coleoptera

Edo

2

765

08/06/2016, 23:15

Edo Vedi ultimo messaggio

Nessun messaggio da leggere
Clytus arietis arietis (Linnaeus, 1758) - Cerambycidae
22.V.2016 - ITALIA - Emilia-Romagna - BO
Allegato(i) Dettagli della specie
Clytus arietis arietis (Linnaeus, 1758)
Cerambycidae


22.V.2016 - ITALIA - Emilia-Romagna - BO
Coleoptera

Loriscola

2

822

08/06/2016, 8:19

Loriscola Vedi ultimo messaggio

Nessun messaggio da leggere
Allegato(i) Dettagli della specie
Xylotrechus (Xylotrechus) stebbingi Gahan, 1906
Cerambycidae


6.VI.2016 - ITALIA - Sicilia - TP
Coleoptera

Davide Castelli

1

870

07/06/2016, 10:15

clido Vedi ultimo messaggio

Nessun messaggio da leggere
Allegato(i) Dettagli della specie
Dorcadion (Pedestredorcadion) etruscum (Rossi, 1790)
Cerambycidae


4.VI.2016 - ITALIA - Toscana - SI
Coleoptera

Carlo Monari

2

863

06/06/2016, 21:26

Carlo Monari Vedi ultimo messaggio

Nessun messaggio da leggere
Saperda scalaris scalaris (Linnaeus, 1758) - Cerambycidae
4.VI.2016 - ITALIA - Toscana - FI
Allegato(i) Dettagli della specie
Saperda scalaris scalaris (Linnaeus, 1758)
Cerambycidae


4.VI.2016 - ITALIA - Toscana - FI
Coleoptera

elleci

2

800

04/06/2016, 12:29

Tc70 Vedi ultimo messaggio

Nessun messaggio da leggere
Oberea (Oberea) oculata (Linnaeus, 1758) - Cerambycidae
28.V.2016 - ITALIA - Lombardia - CO
Allegato(i) Dettagli della specie
Oberea (Oberea) oculata (Linnaeus, 1758)
Cerambycidae


28.V.2016 - ITALIA - Lombardia - CO
Coleoptera

Xylotrechus

2

884

02/06/2016, 12:00

AleP Vedi ultimo messaggio

Nessun messaggio da leggere
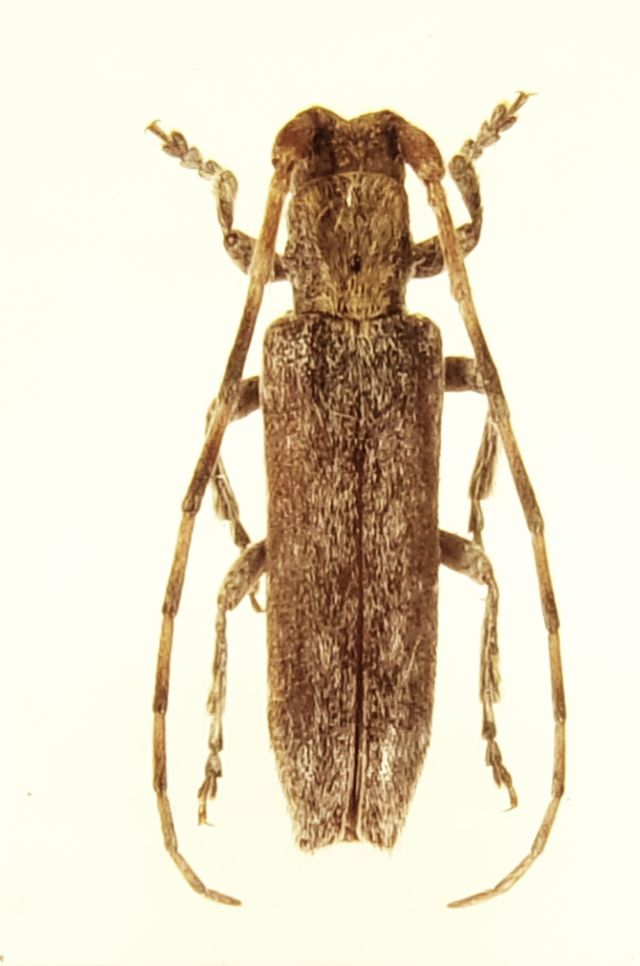
Stenopterus rufus rufus (Linnaeus, 1767) - Cerambycidae
29.V.2016 - ITALIA - Lazio - RM
Allegato(i) Dettagli della specie
Stenopterus rufus rufus (Linnaeus, 1767)
Cerambycidae


29.V.2016 - ITALIA - Lazio - RM
Coleoptera

Edo

4

1164

30/05/2016, 19:23

Edo Vedi ultimo messaggio

Nessun messaggio da leggere
Oberea (Amaurostoma) euphorbiae (Germar, 1813) - Cerambycidae
V.2016 - ITALIA - Emilia-Romagna - RA
Allegato(i) Dettagli della specie
Oberea (Amaurostoma) euphorbiae (Germar, 1813)
Cerambycidae


V.2016 - ITALIA - Emilia-Romagna - RA
Coleoptera

marco villa

5

1901

28/05/2016, 18:58

marco villa Vedi ultimo messaggio

Nessun messaggio da leggere
Allegato(i) Dettagli della specie
Ropalopus (Ropalopus) siculus (Stierlin, 1864)
Cerambycidae


12.V.2016 - ITALIA - Sicilia - PA
Coleoptera

Entomarci

11

2632

26/05/2016, 22:18

Plagionotus Vedi ultimo messaggio

Nessun messaggio da leggere
Anaesthetis testacea testacea (Fabricius, 1781) - Cerambycidae
21.V.2016 - ITALIA - Lombardia - BG
Allegato(i) Dettagli della specie
Anaesthetis testacea testacea (Fabricius, 1781)
Cerambycidae


21.V.2016 - ITALIA - Lombardia - BG
Coleoptera

Livio

3

1374

25/05/2016, 21:13

Livio Vedi ultimo messaggio

Nessun messaggio da leggere
Allegato(i) Dettagli della specie
Agapanthia (Agapanthia) violacea (Fabricius, 1775)
Cerambycidae


15.V.2016 - ITALIA - Sicilia - CT
Coleoptera

skapc66

2

1135

25/05/2016, 15:29

skapc66 Vedi ultimo messaggio

Nessun messaggio da leggere
Leiopus nebulosus nebulosus (Linnaeus, 1758) - Cerambycidae
8.V.2016 - ITALIA - Campania - NA
Allegato(i) Dettagli della specie
Leiopus nebulosus nebulosus (Linnaeus, 1758)
Cerambycidae


8.V.2016 - ITALIA - Campania - NA
Coleoptera

clido

6

1790

25/05/2016, 9:21

clido Vedi ultimo messaggio

Nessun messaggio da leggere
Allegato(i) Dettagli della specie
Dorcadion (Pedestredorcadion) arenarium marsicanum Fracassi, 1905
Cerambycidae


18.IV.2015 - ITALIA - Lazio - RM
Coleoptera

babunco

7

2252

21/05/2016, 20:38

Plagionotus Vedi ultimo messaggio

Nessun messaggio da leggere
Allegato(i) Dettagli della specie
Agapanthia (Epoptes) villosoviridescens (De Geer, 1775)
Cerambycidae


8.V.2016 - ITALIA - Piemonte - NO
Coleoptera

Magma

2

1414

20/05/2016, 13:26

Magma Vedi ultimo messaggio

Nessun messaggio da leggere
Saperda punctata (Linnaeus, 1767) - Cerambycidae
12.V.2014 - ITALIA - Marche - AN
Allegato(i) Dettagli della specie
Saperda punctata (Linnaeus, 1767)
Cerambycidae


12.V.2014 - ITALIA - Marche - AN
Coleoptera

StagBeetle

7

1830

19/05/2016, 14:19

Plagionotus Vedi ultimo messaggio

Nessun messaggio da leggere
Mesosa nebulosa nebulosa (Fabricius, 1781) - Cerambycidae
12.V.2014 - ITALIA - Marche - MC
Allegato(i) Dettagli della specie
Mesosa nebulosa nebulosa (Fabricius, 1781)
Cerambycidae


12.V.2014 - ITALIA - Marche - MC
Coleoptera

StagBeetle

1

951

18/05/2016, 21:43

AleP Vedi ultimo messaggio

Nessun messaggio da leggere
Herophila tristis tristis (Linnaeus, 1767) - Cerambycidae
10.V.2016 - ITALIA - Campania - AV
Allegato(i) Dettagli della specie
Herophila tristis tristis (Linnaeus, 1767)
Cerambycidae


10.V.2016 - ITALIA - Campania - AV
Coleoptera

macrocaccia

1

914

18/05/2016, 21:15

Plagionotus Vedi ultimo messaggio

Nessun messaggio da leggere
Deroplia genei genei (Aragona, 1830) - Cerambycidae
26.IV.2016 - ITALIA - Toscana - GR
Allegato(i) Dettagli della specie
Deroplia genei genei (Aragona, 1830)
Cerambycidae


26.IV.2016 - ITALIA - Toscana - GR
Coleoptera

Chalybion

1

1033

17/05/2016, 20:51

marco villa Vedi ultimo messaggio

Nessun messaggio da leggere
Deroplia troberti troberti (Mulsant, 1843) - Cerambycidae
26.IV.2016 - ITALIA - Toscana - GR
Allegato(i) Dettagli della specie
Deroplia troberti troberti (Mulsant, 1843)
Cerambycidae


26.IV.2016 - ITALIA - Toscana - GR
Coleoptera

Chalybion

1

975

17/05/2016, 20:47

marco villa Vedi ultimo messaggio

Nessun messaggio da leggere
Oberea (Amaurostoma) euphorbiae (Germar, 1813) - Cerambycidae
15.V.2016 - ITALIA - Emilia-Romagna - FE
Allegato(i) Dettagli della specie
Oberea (Amaurostoma) euphorbiae (Germar, 1813)
Cerambycidae


15.V.2016 - ITALIA - Emilia-Romagna - FE
Coleoptera

Daniele Maccapani

5

1768

17/05/2016, 17:02

Daniele Maccapani Vedi ultimo messaggio

Nessun messaggio da leggere
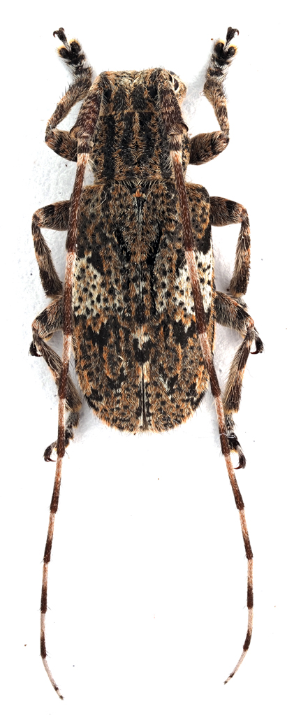
Asemum tenuicorne Kraatz, 1879 - Cerambycidae
29.IV.2016 - ITALIA - Emilia-Romagna - RA
Allegato(i) Dettagli della specie
Asemum tenuicorne Kraatz, 1879
Cerambycidae


29.IV.2016 - ITALIA - Emilia-Romagna - RA
Coleoptera

Carlo A.

11

3266

15/05/2016, 21:55

Julodis Vedi ultimo messaggio

Nessun messaggio da leggere
Phytoecia virgula (Charpentier, 1825) - Cerambycidae
14.V.2016 - ITALIA - Emilia-Romagna - RA
Allegato(i) Dettagli della specie
Phytoecia virgula (Charpentier, 1825)
Cerambycidae


14.V.2016 - ITALIA - Emilia-Romagna - RA
Coleoptera

marco villa

5

1431

15/05/2016, 16:56

Plagionotus Vedi ultimo messaggio

Nessun messaggio da leggere
Opsilia coerulescens (Scopoli, 1763) - Cerambycidae
8.V.2016 - ITALIA - Emilia-Romagna - RA
Allegato(i) Dettagli della specie
Opsilia coerulescens (Scopoli, 1763)
Cerambycidae


8.V.2016 - ITALIA - Emilia-Romagna - RA
Coleoptera

marco villa

0

1277

11/05/2016, 16:14

marco villa Vedi ultimo messaggio

Nessun messaggio da leggere
Allegato(i) Dettagli della specie
Agapanthia (Epoptes) villosoviridescens (De Geer, 1775)
Cerambycidae


1.V.2016 - ITALIA - Lazio - RM
Coleoptera

Edo

3

1057

11/05/2016, 15:33

marco villa Vedi ultimo messaggio

Nessun messaggio da leggere
Allegato(i) Dettagli della specie
Plagionotus detritus detritus (Linnaeus, 1758)
Cerambycidae


7.V.2016 - ITALIA - Piemonte - BI
Coleoptera

aug

1

989

08/05/2016, 19:03

Tc70 Vedi ultimo messaggio

Nessun messaggio da leggere
Agapanthia (Epoptes) cynarae (Germar, 1817) - Cerambycidae
15.IV.2016 - ITALIA - Basilicata - MT
Allegato(i) Dettagli della specie
Agapanthia (Epoptes) cynarae (Germar, 1817)
Cerambycidae


15.IV.2016 - ITALIA - Basilicata - MT
Coleoptera

donatol

10

2782

02/05/2016, 14:09

donatol Vedi ultimo messaggio

Nessun messaggio da leggere
Clytus arietis arietis (Linnaeus, 1758) - Cerambycidae
15.IV.2016 - ITALIA - Lombardia - BG
Allegato(i) Dettagli della specie
Clytus arietis arietis (Linnaeus, 1758)
Cerambycidae


15.IV.2016 - ITALIA - Lombardia - BG
Coleoptera

Giuseppe Zanetti

4

1257

01/05/2016, 9:12

Giuseppe Zanetti Vedi ultimo messaggio

Nessun messaggio da leggere
Mesosa nebulosa nebulosa (Fabricius, 1781) - Cerambycidae
27.IV.2016 - ITALIA - Lombardia - LC
Allegato(i) Dettagli della specie
Mesosa nebulosa nebulosa (Fabricius, 1781)
Cerambycidae


27.IV.2016 - ITALIA - Lombardia - LC
Coleoptera

sala alfio

2

1061

27/04/2016, 15:07

sala alfio Vedi ultimo messaggio

Nessun messaggio da leggere
Stenhomalus (Obriopsis) bicolor (Kraatz, 1862) - Cerambycidae
10.IV.2016 - ITALIA - Abruzzo - PE
Allegato(i) Dettagli della specie
Stenhomalus (Obriopsis) bicolor (Kraatz, 1862)
Cerambycidae


10.IV.2016 - ITALIA - Abruzzo - PE
Coleoptera

Alessio89

4

1230

22/04/2016, 22:34

Alessio89 Vedi ultimo messaggio

Nessun messaggio da leggere
Allegato(i) Dettagli della specie
Dorcadion (Pedestredorcadion) arenarium marsicanum Fracassi, 1905
Cerambycidae


16.IV.2016 - ITALIA - Marche - PU
Coleoptera

StagBeetle

4

1109

17/04/2016, 21:10

StagBeetle Vedi ultimo messaggio

Nessun messaggio da leggere
Allegato(i) Dettagli della specie
Agapanthia (Epoptes) sicula sicula Ganglbauer, 1884
Cerambycidae


IV.2016 - ITALIA - Sicilia - SR
Coleoptera

Brachytron84

2

882

17/04/2016, 12:25

Brachytron84 Vedi ultimo messaggio

Nessun messaggio da leggere
Lamia textor (Linnaeus, 1758) - Cerambycidae
14.IV.2016 - ITALIA - Trentino-Alto Adige - BZ
Allegato(i) Dettagli della specie
Lamia textor (Linnaeus, 1758)
Cerambycidae


14.IV.2016 - ITALIA - Trentino-Alto Adige - BZ
Coleoptera

gigilmozzi

2

1206

14/04/2016, 22:53

gigilmozzi Vedi ultimo messaggio

Visualizza ultimi argomenti:  Ordina per  Ordine:  
nuovo argomento
Vai alla pagina Precedente  1 ... 13, 14, 15, 16, 17, 18, 19 ... 59  Prossimo
Pagina 16 di 59 [ 2928 argomenti ]

Tutti gli orari sono UTC + 1 ora [ ora legale ]


Chi c’è in linea

Visitano il forum: Nessuno e 2 ospiti


Legenda
Messaggi da leggere Messaggi da leggere Nessun messaggio da leggere Nessun messaggio da leggere Annuncio Annuncio
 
Specie indeterminata / discussione generica
Messaggi non letti [ Popolari ] Messaggi non letti [ Popolari ] Nessun messaggio da leggere [ Popolare ] Nessun messaggio da leggere [ Popolare ] Importante Importante
 
Specie determinata fino al genere o cf.
Messaggi non letti [ Bloccati ] Messaggi non letti [ Bloccati ] No messaggi non letti [ Bloccati ] No messaggi non letti [ Bloccati ] Argomento spostato Argomento spostato
 
Specie correttamente determinata
Permessi
Non puoi aprire nuovi argomenti
Non puoi rispondere negli argomenti
Non puoi modificare i tuoi messaggi
Non puoi cancellare i tuoi messaggi
Non puoi inviare allegati

Cerca per:
Vai a: