Benvenuto Ospite

Forum Entomologi Italiani

www.entomologiitaliani.net/forum
 
Oggi è 08/11/2025, 23:11

Tutti gli orari sono UTC + 1 ora [ ora legale ]


100%
2927 taxa correttamente determinati su 2928 presenti in archivio

Cerambycidae


[ AFROTROPICALE ] [ ANTARTICO ] [ AUSTRALASIANO ] [ NEARTICO ] [ NEOTROPICALE ] [ ORIENTALE ] [ PALEARTICO ]


nuovo argomento
Vai alla pagina Precedente  1 ... 14, 15, 16, 17, 18, 19, 20 ... 59  Prossimo
Pagina 17 di 59 [ 2928 argomenti ]
 Argomenti   Ordine   Autore   Risposte   Visite    Ultimo messaggio 
Annunci
Nessun messaggio da leggere
Allegato(i)
Incontri entomologici telematici organizzati dalla Società Entomologica Italiana nel 2022 e nel 2023

[ Vai alla paginaVai alla pagina: 1, 2, 3 ]

 

Velvet Ant

44

1430128

03/03/2023, 15:55

Velvet Ant Vedi ultimo messaggio

Nessun messaggio da leggere  
Allegato(i)
Sondaggio sul declino dell'entomofauna in Italia

[ Vai alla paginaVai alla pagina: 1, 2, 3, 4 ]

 

Velvet Ant

52

1758122

22/10/2022, 19:18

Acquarius Vedi ultimo messaggio

Nessun messaggio da leggere  
Allegato(i)
Progetto: Bibliografia ragionata dei lavori entomologici nei quali sono citati reperti apparsi su FEI

[ Vai alla paginaVai alla pagina: 1, 2, 3 ]

 

Velvet Ant

33

1171048

06/07/2023, 18:31

Orotrechus Vedi ultimo messaggio

Nessun messaggio da leggere
Allegato(i)
Mimesi, il primo documentario cinematografico sull’entomologia in Italia: casting
 

mazzeip

1

457158

28/02/2019, 20:26

mazzeip Vedi ultimo messaggio

Questo argomento è bloccato, non puoi modificare o inviare ulteriori messaggi.
Allegato(i)
ISTRUZIONI PUBBLICAZIONE NUOVI ARGOMENTI E FOTO

 
Altri Ordini di Insetti

Julodis

4

911091

13/05/2015, 19:37

Julodis Vedi ultimo messaggio

Nessun messaggio da leggere
Allegato(i)
Limitatore giornaliero di messaggi, uno strumento utile e ormai indispensabile

[ Vai alla paginaVai alla pagina: 1 ... 14, 15, 16 ]

 

Velvet Ant

233

8831781

25/09/2014, 14:31

Inachis Vedi ultimo messaggio

Nessun messaggio da leggere  
NORME PER I COLLABORATORI DEL FORUM

 
 

Velvet Ant

0

478898

02/06/2011, 12:05

Velvet Ant Vedi ultimo messaggio

Nessun messaggio da leggere
Allegato(i)
NORME PER GLI UTENTI DEL FORUM

[ Vai alla paginaVai alla pagina: 1, 2, 3 ]



 
 

Velvet Ant

30

2346076

23/09/2014, 23:54

Maurizio Bollino Vedi ultimo messaggio

Questo argomento è bloccato, non puoi modificare o inviare ulteriori messaggi.  
Elenco delle specie italiane di Cerambycidae presenti sul forum
Cerambycidae


 
Coleoptera

Plagionotus

0

5998

22/11/2010, 22:28

Plagionotus Vedi ultimo messaggio

Nessun messaggio da leggere  
Lista degli utenti del "Forum entomologi italiani" per campi di interesse e specializzazione

 
Altri Ordini di Insetti

Velvet Ant

13

944438

07/09/2023, 17:14

Roberto-07 Vedi ultimo messaggio

Argomenti
Nessun messaggio da leggere
Allegato(i) Dettagli della specie
Xylotrechus (Xylotrechus) arvicola (Olivier, 1795)
Cerambycidae


10.VI.2004 - ITALIA - Sicilia - ME
Coleoptera

claudio sola

2

886

15/03/2016, 23:14

claudio sola Vedi ultimo messaggio

Nessun messaggio da leggere
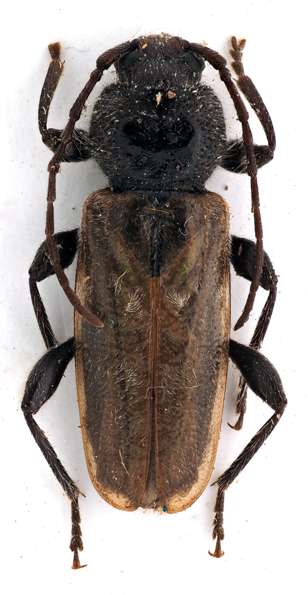
Cerambyx miles Bonelli, 1812 - Cerambycidae
6.VII.2015 - ITALIA - Basilicata - PZ
Allegato(i) Dettagli della specie
Cerambyx miles Bonelli, 1812
Cerambycidae


6.VII.2015 - ITALIA - Basilicata - PZ
Coleoptera

Mimmo011

13

2572

13/03/2016, 11:30

Plagionotus Vedi ultimo messaggio

Nessun messaggio da leggere
Allegato(i) Dettagli della specie
Purpuricenus (Purpuricenus) kaehleri kaehleri (Linnaeus, 1758)
Cerambycidae


23.VII.2015 - ITALIA - Basilicata - PZ
Coleoptera

Mimmo011

13

2542

11/03/2016, 18:46

Entomarci Vedi ultimo messaggio

Nessun messaggio da leggere
Chlorophorus trifasciatus (Fabricius, 1781) - Cerambycidae
23.VII.2015 - ITALIA - Basilicata - PZ
Allegato(i) Dettagli della specie
Chlorophorus trifasciatus (Fabricius, 1781)
Cerambycidae


23.VII.2015 - ITALIA - Basilicata - PZ
Coleoptera

Mimmo011

4

1511

08/03/2016, 11:51

saperda Vedi ultimo messaggio

Nessun messaggio da leggere
Allegato(i) Dettagli della specie
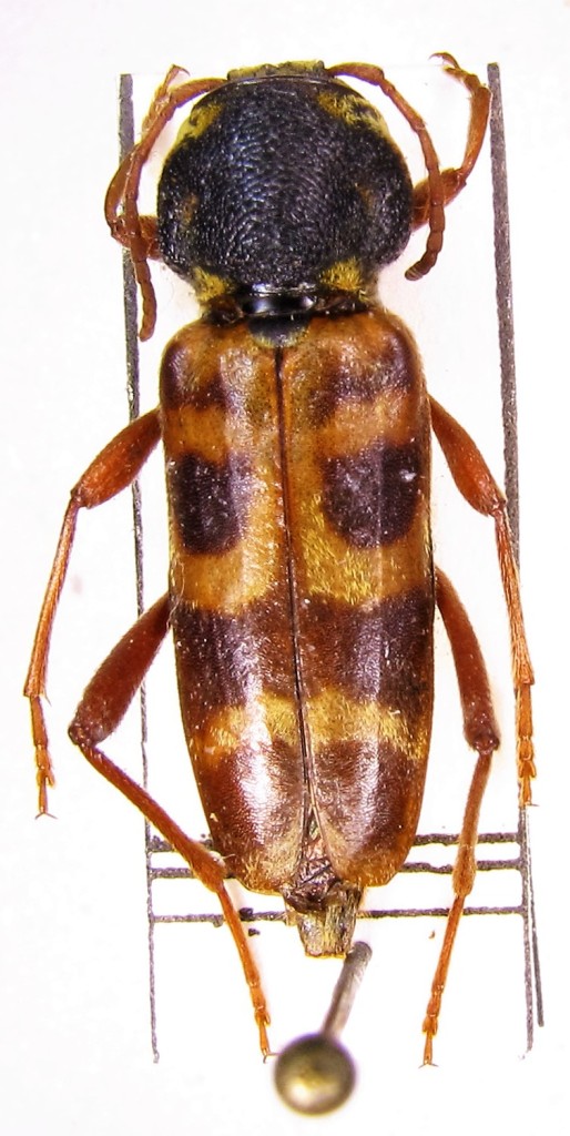
Isotomus speciosus barbarae Sama, 1977
Cerambycidae

[ Vai alla paginaVai alla pagina: 1, 2 ]



V.2008 - ITALIA - Lazio - RM
Coleoptera

Julodis

27

3912

08/03/2016, 9:54

Plagionotus Vedi ultimo messaggio

Nessun messaggio da leggere
Semanotus russicus (Fabricius, 1777) - Cerambycidae
29.III.2014 - ITALIA - Emilia-Romagna - RA
Allegato(i) Dettagli della specie
Semanotus russicus (Fabricius, 1777)
Cerambycidae


29.III.2014 - ITALIA - Emilia-Romagna - RA
Coleoptera

marco villa

14

3028

04/03/2016, 18:44

marco villa Vedi ultimo messaggio

Nessun messaggio da leggere
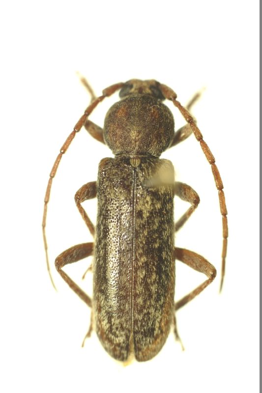
Ropalopus (Ropalopus) clavipes (Fabricius, 1775) - Cerambycidae
I.2016 - ITALIA - Emilia-Romagna - RA
Allegato(i) Dettagli della specie
Ropalopus (Ropalopus) clavipes (Fabricius, 1775)
Cerambycidae

[ Vai alla paginaVai alla pagina: 1, 2 ]



I.2016 - ITALIA - Emilia-Romagna - RA
Coleoptera

marco villa

16

3427

26/02/2016, 17:43

AleP Vedi ultimo messaggio

Nessun messaggio da leggere
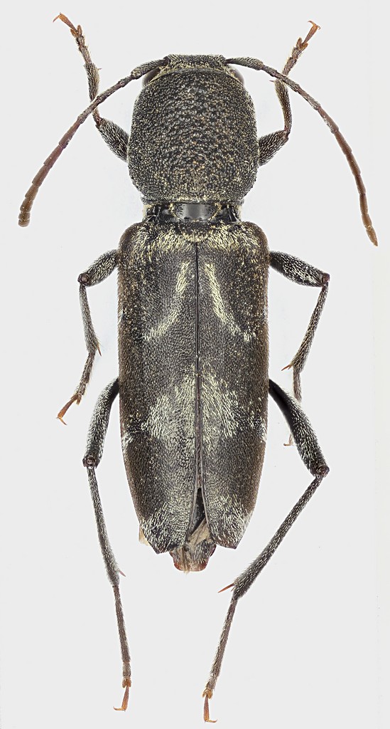
Cerambyx cerdo cerdo Linnaeus, 1758 - Cerambycidae
7.VI.2015 - ITALIA - Lombardia - BS
Allegato(i) Dettagli della specie
Cerambyx cerdo cerdo Linnaeus, 1758
Cerambycidae

[ Vai alla paginaVai alla pagina: 1, 2 ]



7.VI.2015 - ITALIA - Lombardia - BS
Coleoptera

Livio

18

3659

23/02/2016, 7:52

Julodis Vedi ultimo messaggio

Nessun messaggio da leggere
Allegato(i) Dettagli della specie
Dorcadion (Pedestredorcadion) arenarium arenarium (Scopoli, 1763)
Cerambycidae


6.II.2016 - ITALIA - Emilia-Romagna - RA
Coleoptera

Carlo A.

12

2673

07/02/2016, 21:39

Plagionotus Vedi ultimo messaggio

Nessun messaggio da leggere
Acanthocinus griseus (Fabricius, 1792) - Cerambycidae
23.I.2016 - ITALIA - Valle d'Aosta - AO
Allegato(i) Dettagli della specie
Acanthocinus griseus (Fabricius, 1792)
Cerambycidae


23.I.2016 - ITALIA - Valle d'Aosta - AO
Coleoptera

marco lovison

2

1641

26/01/2016, 11:03

Plagionotus Vedi ultimo messaggio

Nessun messaggio da leggere
Pronocera angusta (Kriechbaumer, 1844) - Cerambycidae
13.I.2016 - ITALIA - Trentino-Alto Adige - BZ
Allegato(i) Dettagli della specie
Pronocera angusta (Kriechbaumer, 1844)
Cerambycidae

[ Vai alla paginaVai alla pagina: 1, 2, 3 ]



13.I.2016 - ITALIA - Trentino-Alto Adige - BZ
Coleoptera

Entomarci

43

7391

20/01/2016, 22:40

AleP Vedi ultimo messaggio

Nessun messaggio da leggere
Leiopus nebulosus nebulosus (Linnaeus, 1758) - Cerambycidae
22.VII.2011 - ITALIA - Marche - MC
Allegato(i) Dettagli della specie
Leiopus nebulosus nebulosus (Linnaeus, 1758)
Cerambycidae


22.VII.2011 - ITALIA - Marche - MC
Coleoptera

StagBeetle

2

1003

06/01/2016, 15:35

Entomarci Vedi ultimo messaggio

Nessun messaggio da leggere
Morimus asper funereus Mulsant, 1862 - Cerambycidae
30.V.2015 - ITALIA - Friuli-Venezia Giulia - UD
Allegato(i) Dettagli della specie
Morimus asper funereus Mulsant, 1862
Cerambycidae


30.V.2015 - ITALIA - Friuli-Venezia Giulia - UD
Coleoptera

Julian_

5

1880

05/01/2016, 20:33

marco villa Vedi ultimo messaggio

Nessun messaggio da leggere
Oxypleurus nodieri Mulsant, 1839 - Cerambycidae
12.XII.2015 - ITALIA - Sardegna - CA
Allegato(i) Dettagli della specie
Oxypleurus nodieri Mulsant, 1839
Cerambycidae


12.XII.2015 - ITALIA - Sardegna - CA
Coleoptera

Fumea crassiorella

5

1600

05/01/2016, 20:30

Bracco Vedi ultimo messaggio

Nessun messaggio da leggere
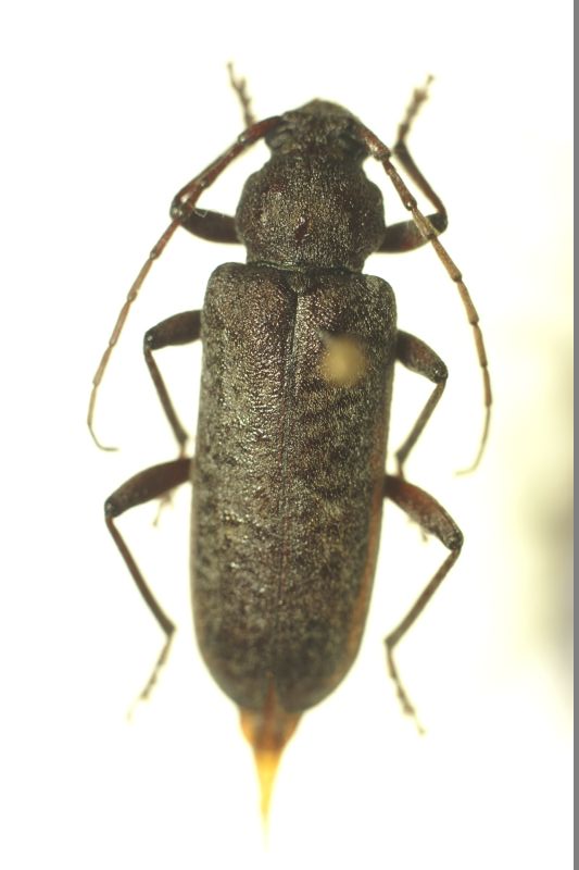
Oberea (Oberea) pupillata (Gyllenhal, 1817) - Cerambycidae
30.VI.2014 - ITALIA - Trentino-Alto Adige - BZ
Allegato(i) Dettagli della specie
Oberea (Oberea) pupillata (Gyllenhal, 1817)
Cerambycidae


30.VI.2014 - ITALIA - Trentino-Alto Adige - BZ
Coleoptera

AleP

11

2410

28/12/2015, 10:52

marco villa Vedi ultimo messaggio

Nessun messaggio da leggere
Stictoleptura cordigera cordigera (Fuessly, 1775) - Cerambycidae
15.VI.2013 - ITALIA - Emilia-Romagna - BO
Allegato(i) Dettagli della specie
Stictoleptura cordigera cordigera (Fuessly, 1775)
Cerambycidae


15.VI.2013 - ITALIA - Emilia-Romagna - BO
Coleoptera

sarsar09

2

732

22/12/2015, 23:25

sarsar09 Vedi ultimo messaggio

Nessun messaggio da leggere
Parmena unifasciata (Rossi, 1790) - Cerambycidae
9.XII.2015 - ITALIA - Lazio - RM
Allegato(i) Dettagli della specie
Parmena unifasciata (Rossi, 1790)
Cerambycidae


9.XII.2015 - ITALIA - Lazio - RM
Coleoptera

Julodis

0

683

09/12/2015, 23:03

Julodis Vedi ultimo messaggio

Nessun messaggio da leggere
Cerambyx cerdo cerdo Linnaeus, 1758 - Cerambycidae
7.XII.2015 - ITALIA - Marche - MC
Allegato(i) Dettagli della specie
Cerambyx cerdo cerdo Linnaeus, 1758
Cerambycidae


7.XII.2015 - ITALIA - Marche - MC
Coleoptera

Andream

6

1487

09/12/2015, 19:47

Tc70 Vedi ultimo messaggio

Nessun messaggio da leggere
Cerambyx welensii (Küster, 1845) - Cerambycidae
7.XII.2015 - ITALIA - Marche - MC
Allegato(i) Dettagli della specie
Cerambyx welensii (Küster, 1845)
Cerambycidae


7.XII.2015 - ITALIA - Marche - MC
Coleoptera

Andream

8

1578

09/12/2015, 8:38

Entomarci Vedi ultimo messaggio

Nessun messaggio da leggere
Trichoferus holosericeus (Rossi, 1790) - Cerambycidae
29.VI.2015 - ITALIA - Marche - MC
Allegato(i) Dettagli della specie
Trichoferus holosericeus (Rossi, 1790)
Cerambycidae


29.VI.2015 - ITALIA - Marche - MC
Coleoptera

Andream

5

959

03/12/2015, 16:51

Andream Vedi ultimo messaggio

Nessun messaggio da leggere
Allegato(i) Dettagli della specie
Trichoferus fasciculatus fasciculatus (Faldermann, 1837)
Cerambycidae


29.VI.2015 - ITALIA - Marche - MC
Coleoptera

Andream

2

785

03/12/2015, 15:16

Andream Vedi ultimo messaggio

Nessun messaggio da leggere
Allegato(i) Dettagli della specie
Pseudosphegesthes cinerea (Laporte & Gory, 1836)
Cerambycidae


XI.2015 - ITALIA - Lazio - RM
Coleoptera

Julodis

5

1425

26/11/2015, 0:48

Julodis Vedi ultimo messaggio

Nessun messaggio da leggere
Mesosa curculionoides (Linnaeus, 1760) - Cerambycidae
13.XI.2015 - ITALIA - Lazio - RM
Allegato(i) Dettagli della specie
Mesosa curculionoides (Linnaeus, 1760)
Cerambycidae

[ Vai alla paginaVai alla pagina: 1, 2 ]



13.XI.2015 - ITALIA - Lazio - RM
Coleoptera

andreah

17

3861

20/11/2015, 22:53

Carlo A. Vedi ultimo messaggio

Nessun messaggio da leggere
Aegomorphus clavipes (Schrank, 1781) - Cerambycidae
13.VII.2015 - ITALIA - Marche - FM
Allegato(i) Dettagli della specie
Aegomorphus clavipes (Schrank, 1781)
Cerambycidae


13.VII.2015 - ITALIA - Marche - FM
Coleoptera

Andream

4

1720

19/11/2015, 23:58

Andream Vedi ultimo messaggio

Nessun messaggio da leggere
Stenurella sennii Sama, 2002 - Cerambycidae
4.VII.2015 - ITALIA - Emilia-Romagna - FC
Allegato(i) Dettagli della specie
Stenurella sennii Sama, 2002
Cerambycidae


4.VII.2015 - ITALIA - Emilia-Romagna - FC
Coleoptera

marco villa

14

4474

19/11/2015, 20:47

marco villa Vedi ultimo messaggio

Nessun messaggio da leggere
Callimus angulatus angulatus (Schrank, 1789) - Cerambycidae
31.V.2015 - ITALIA - Lombardia - VA
Allegato(i) Dettagli della specie
Callimus angulatus angulatus (Schrank, 1789)
Cerambycidae


31.V.2015 - ITALIA - Lombardia - VA
Coleoptera

Il Baratelli

4

1307

18/11/2015, 15:32

Il Baratelli Vedi ultimo messaggio

Nessun messaggio da leggere
Allegato(i) Dettagli della specie
Cortodera humeralis humeralis (Schaller, 1783)
Cerambycidae


20.VI.2015 - ITALIA - Marche - MC
Coleoptera

Andream

2

949

16/10/2015, 23:27

Andream Vedi ultimo messaggio

Nessun messaggio da leggere
Allegato(i) Dettagli della specie
Cortodera humeralis humeralis (Schaller, 1783)
Cerambycidae


20.VI.2015 - ITALIA - Marche - MC
Coleoptera

Andream

2

847

16/10/2015, 23:26

Andream Vedi ultimo messaggio

Nessun messaggio da leggere
Pachyta quadrimaculata (Linnaeus, 1758) - Cerambycidae
27.VII.2014 - ITALIA - Trentino-Alto Adige - TN
Allegato(i) Dettagli della specie
Pachyta quadrimaculata (Linnaeus, 1758)
Cerambycidae


27.VII.2014 - ITALIA - Trentino-Alto Adige - TN
Coleoptera

Magma

2

1055

16/10/2015, 23:18

Magma Vedi ultimo messaggio

Nessun messaggio da leggere
Cortodera holosericea (Fabricius, 1801) - Cerambycidae
20.VI.2015 - ITALIA - Marche - MC
Allegato(i) Dettagli della specie
Cortodera holosericea (Fabricius, 1801)
Cerambycidae


20.VI.2015 - ITALIA - Marche - MC
Coleoptera

Andream

4

1211

15/10/2015, 23:28

Andream Vedi ultimo messaggio

Nessun messaggio da leggere
Strangalia attenuata (Linnaeus, 1758) - Cerambycidae
26.VII.2015 - ITALIA - Piemonte - NO
Allegato(i) Dettagli della specie
Strangalia attenuata (Linnaeus, 1758)
Cerambycidae


26.VII.2015 - ITALIA - Piemonte - NO
Coleoptera

Magma

9

2392

12/10/2015, 21:04

Magma Vedi ultimo messaggio

Nessun messaggio da leggere
Oberea (Oberea) linearis (Linnaeus, 1760) - Cerambycidae
7.VII.2015 - ITALIA - Molise - IS
Allegato(i) Dettagli della specie
Oberea (Oberea) linearis (Linnaeus, 1760)
Cerambycidae


7.VII.2015 - ITALIA - Molise - IS
Coleoptera

Franco ROSSI

5

1202

09/10/2015, 16:32

Entomarci Vedi ultimo messaggio

Nessun messaggio da leggere
Allegato(i) Dettagli della specie
Oberea (Oberea) pedemontana Chevrolat, 1856
Cerambycidae


VII.2015 - ITALIA - Veneto - VR
Coleoptera

AleP

6

1310

04/10/2015, 20:44

Entomarci Vedi ultimo messaggio

Nessun messaggio da leggere
Allegato(i) Dettagli della specie
Purpuricenus (Purpuricenus) kaehleri kaehleri (Linnaeus, 1758)
Cerambycidae

[ Vai alla paginaVai alla pagina: 1, 2 ]



10.VIII.2013 - ITALIA - Marche - MC
Coleoptera

StagBeetle

27

4226

03/10/2015, 15:09

StagBeetle Vedi ultimo messaggio

Nessun messaggio da leggere
Callimus abdominalis (Olivier, 1795) - Cerambycidae
5.VI.2015 - ITALIA - Toscana - GR
Allegato(i) Dettagli della specie
Callimus abdominalis (Olivier, 1795)
Cerambycidae


5.VI.2015 - ITALIA - Toscana - GR
Coleoptera

skip

8

1844

02/10/2015, 22:47

Tc70 Vedi ultimo messaggio

Nessun messaggio da leggere
Oxypleurus nodieri Mulsant, 1839 - Cerambycidae
28.XII.2011 - ITALIA - Campania - SA
Allegato(i) Dettagli della specie
Oxypleurus nodieri Mulsant, 1839
Cerambycidae


28.XII.2011 - ITALIA - Campania - SA
Coleoptera

giuseppe55

2

1074

26/09/2015, 21:37

Entomarci Vedi ultimo messaggio

Nessun messaggio da leggere
Hylotrupes bajulus (Linnaeus, 1758) - Cerambycidae
20.VI.2015 - ITALIA - Marche - AN
Allegato(i) Dettagli della specie
Hylotrupes bajulus (Linnaeus, 1758)
Cerambycidae


20.VI.2015 - ITALIA - Marche - AN
Coleoptera

StagBeetle

2

952

22/09/2015, 12:33

AleP Vedi ultimo messaggio

Nessun messaggio da leggere
Arhopalus syriacus (Reitter, 1895) - Cerambycidae
30.VI.2015 - ITALIA - Emilia-Romagna - FE
Allegato(i) Dettagli della specie
Arhopalus syriacus (Reitter, 1895)
Cerambycidae


30.VI.2015 - ITALIA - Emilia-Romagna - FE
Coleoptera

Daniele Maccapani

9

2569

22/09/2015, 2:39

Daniele Maccapani Vedi ultimo messaggio

Nessun messaggio da leggere
Monochamus galloprovincialis (Olivier, 1795) - Cerambycidae
5.VII.2015 - ITALIA - Emilia-Romagna - FE
Allegato(i) Dettagli della specie
Monochamus galloprovincialis (Olivier, 1795)
Cerambycidae


5.VII.2015 - ITALIA - Emilia-Romagna - FE
Coleoptera

Daniele Maccapani

7

1529

16/09/2015, 9:21

Plagionotus Vedi ultimo messaggio

Nessun messaggio da leggere
Phoracantha recurva Newman, 1840 - Cerambycidae
31.VIII.2015 - ITALIA - Lazio - RM
Allegato(i) Dettagli della specie
Phoracantha recurva Newman, 1840
Cerambycidae


31.VIII.2015 - ITALIA - Lazio - RM
Coleoptera

babunco

3

901

02/09/2015, 15:52

babunco Vedi ultimo messaggio

Nessun messaggio da leggere
Mesosa nebulosa nebulosa (Fabricius, 1781) - Cerambycidae
20.V.2015 - ITALIA - Campania - SA
Allegato(i) Dettagli della specie
Mesosa nebulosa nebulosa (Fabricius, 1781)
Cerambycidae


20.V.2015 - ITALIA - Campania - SA
Coleoptera

Valentino14

4

1051

02/09/2015, 15:40

Valentino14 Vedi ultimo messaggio

Nessun messaggio da leggere
Allegato(i) Dettagli della specie
Rosalia (Rosalia) alpina alpina (Linnaeus, 1758)
Cerambycidae

[ Vai alla paginaVai alla pagina: 1, 2 ]



20.VIII.2015 - ITALIA - Lazio - RI
Coleoptera

Julodis

18

3430

31/08/2015, 20:48

aguaplano Vedi ultimo messaggio

Nessun messaggio da leggere
Oxymirus cursor (Linnaeus, 1758) - Cerambycidae
25.VIII.2015 - ITALIA - Trentino-Alto Adige - TN
Allegato(i) Dettagli della specie
Oxymirus cursor (Linnaeus, 1758)
Cerambycidae


25.VIII.2015 - ITALIA - Trentino-Alto Adige - TN
Coleoptera

gigilmozzi

7

1765

30/08/2015, 19:47

gigilmozzi Vedi ultimo messaggio

Nessun messaggio da leggere
Stictoleptura rubra rubra (Linnaeus, 1758) - Cerambycidae
7.VIII.2014 - ITALIA - Trentino-Alto Adige - TN
Allegato(i) Dettagli della specie
Stictoleptura rubra rubra (Linnaeus, 1758)
Cerambycidae


7.VIII.2014 - ITALIA - Trentino-Alto Adige - TN
Coleoptera

Magma

3

1069

28/08/2015, 21:30

Magma Vedi ultimo messaggio

Nessun messaggio da leggere
Monochamus galloprovincialis (Olivier, 1795) - Cerambycidae
27.VIII.2015 - ITALIA - Friuli-Venezia Giulia - PN
Allegato(i) Dettagli della specie
Monochamus galloprovincialis (Olivier, 1795)
Cerambycidae


27.VIII.2015 - ITALIA - Friuli-Venezia Giulia - PN
Coleoptera

andreah

1

673

27/08/2015, 22:12

kolibrik Vedi ultimo messaggio

Nessun messaggio da leggere
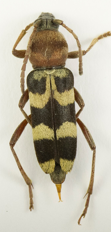
Isotomus speciosus barbarae Sama, 1977 - Cerambycidae
30.IV.2014 - ITALIA - Umbria - PG
Allegato(i) Dettagli della specie
Isotomus speciosus barbarae Sama, 1977
Cerambycidae

[ Vai alla paginaVai alla pagina: 1, 2 ]



30.IV.2014 - ITALIA - Umbria - PG
Coleoptera

StagBeetle

19

3686

23/08/2015, 20:03

StagBeetle Vedi ultimo messaggio

Nessun messaggio da leggere
Chlorophorus glabromaculatus (Goeze, 1777) - Cerambycidae
29.VII.2015 - ITALIA - Veneto - PD
Allegato(i) Dettagli della specie
Chlorophorus glabromaculatus (Goeze, 1777)
Cerambycidae


29.VII.2015 - ITALIA - Veneto - PD
Coleoptera

Entoluca

2

859

16/08/2015, 16:25

Entoluca Vedi ultimo messaggio

Nessun messaggio da leggere
Monochamus sutor sutor (Linnaeus, 1758) - Cerambycidae
VII.2015 - ITALIA - Trentino-Alto Adige - TN
Allegato(i) Dettagli della specie
Monochamus sutor sutor (Linnaeus, 1758)
Cerambycidae


VII.2015 - ITALIA - Trentino-Alto Adige - TN
Coleoptera

gigilmozzi

0

639

13/08/2015, 20:45

gigilmozzi Vedi ultimo messaggio

Nessun messaggio da leggere
Trichoferus holosericeus (Rossi, 1790) - Cerambycidae
VIII.2015 - ITALIA - Emilia-Romagna - MO
Allegato(i) Dettagli della specie
Trichoferus holosericeus (Rossi, 1790)
Cerambycidae


VIII.2015 - ITALIA - Emilia-Romagna - MO
Coleoptera

claudio sola

6

1408

12/08/2015, 22:59

claudio sola Vedi ultimo messaggio

Nessun messaggio da leggere
Psacothea hilaris (Pascoe, 1858) - Cerambycidae
4.VIII.2015 - ITALIA - Lombardia - CO
Allegato(i) Dettagli della specie
Psacothea hilaris (Pascoe, 1858)
Cerambycidae


4.VIII.2015 - ITALIA - Lombardia - CO
Coleoptera

Giuseppe

3

1105

12/08/2015, 18:10

Julodis Vedi ultimo messaggio

Visualizza ultimi argomenti:  Ordina per  Ordine:  
nuovo argomento
Vai alla pagina Precedente  1 ... 14, 15, 16, 17, 18, 19, 20 ... 59  Prossimo
Pagina 17 di 59 [ 2928 argomenti ]

Tutti gli orari sono UTC + 1 ora [ ora legale ]


Chi c’è in linea

Visitano il forum: Nessuno e 2 ospiti


Legenda
Messaggi da leggere Messaggi da leggere Nessun messaggio da leggere Nessun messaggio da leggere Annuncio Annuncio
 
Specie indeterminata / discussione generica
Messaggi non letti [ Popolari ] Messaggi non letti [ Popolari ] Nessun messaggio da leggere [ Popolare ] Nessun messaggio da leggere [ Popolare ] Importante Importante
 
Specie determinata fino al genere o cf.
Messaggi non letti [ Bloccati ] Messaggi non letti [ Bloccati ] No messaggi non letti [ Bloccati ] No messaggi non letti [ Bloccati ] Argomento spostato Argomento spostato
 
Specie correttamente determinata
Permessi
Non puoi aprire nuovi argomenti
Non puoi rispondere negli argomenti
Non puoi modificare i tuoi messaggi
Non puoi cancellare i tuoi messaggi
Non puoi inviare allegati

Cerca per:
Vai a: