Benvenuto Ospite

Forum Entomologi Italiani

www.entomologiitaliani.net/forum
 
Oggi è 08/11/2025, 18:28

Tutti gli orari sono UTC + 1 ora [ ora legale ]


100%
2927 taxa correttamente determinati su 2928 presenti in archivio

Cerambycidae


[ AFROTROPICALE ] [ ANTARTICO ] [ AUSTRALASIANO ] [ NEARTICO ] [ NEOTROPICALE ] [ ORIENTALE ] [ PALEARTICO ]


nuovo argomento
Vai alla pagina Precedente  1 ... 15, 16, 17, 18, 19, 20, 21 ... 59  Prossimo
Pagina 18 di 59 [ 2928 argomenti ]
 Argomenti   Ordine   Autore   Risposte   Visite    Ultimo messaggio 
Annunci
Nessun messaggio da leggere
Allegato(i)
Incontri entomologici telematici organizzati dalla Società Entomologica Italiana nel 2022 e nel 2023

[ Vai alla paginaVai alla pagina: 1, 2, 3 ]

 

Velvet Ant

44

1429740

03/03/2023, 15:55

Velvet Ant Vedi ultimo messaggio

Nessun messaggio da leggere  
Allegato(i)
Sondaggio sul declino dell'entomofauna in Italia

[ Vai alla paginaVai alla pagina: 1, 2, 3, 4 ]

 

Velvet Ant

52

1757664

22/10/2022, 19:18

Acquarius Vedi ultimo messaggio

Nessun messaggio da leggere  
Allegato(i)
Progetto: Bibliografia ragionata dei lavori entomologici nei quali sono citati reperti apparsi su FEI

[ Vai alla paginaVai alla pagina: 1, 2, 3 ]

 

Velvet Ant

33

1170701

06/07/2023, 18:31

Orotrechus Vedi ultimo messaggio

Nessun messaggio da leggere
Allegato(i)
Mimesi, il primo documentario cinematografico sull’entomologia in Italia: casting
 

mazzeip

1

456921

28/02/2019, 20:26

mazzeip Vedi ultimo messaggio

Questo argomento è bloccato, non puoi modificare o inviare ulteriori messaggi.
Allegato(i)
ISTRUZIONI PUBBLICAZIONE NUOVI ARGOMENTI E FOTO

 
Altri Ordini di Insetti

Julodis

4

906222

13/05/2015, 19:37

Julodis Vedi ultimo messaggio

Nessun messaggio da leggere
Allegato(i)
Limitatore giornaliero di messaggi, uno strumento utile e ormai indispensabile

[ Vai alla paginaVai alla pagina: 1 ... 14, 15, 16 ]

 

Velvet Ant

233

8829734

25/09/2014, 14:31

Inachis Vedi ultimo messaggio

Nessun messaggio da leggere  
NORME PER I COLLABORATORI DEL FORUM

 
 

Velvet Ant

0

478870

02/06/2011, 12:05

Velvet Ant Vedi ultimo messaggio

Nessun messaggio da leggere
Allegato(i)
NORME PER GLI UTENTI DEL FORUM

[ Vai alla paginaVai alla pagina: 1, 2, 3 ]



 
 

Velvet Ant

30

2345843

23/09/2014, 23:54

Maurizio Bollino Vedi ultimo messaggio

Questo argomento è bloccato, non puoi modificare o inviare ulteriori messaggi.  
Elenco delle specie italiane di Cerambycidae presenti sul forum
Cerambycidae


 
Coleoptera

Plagionotus

0

5997

22/11/2010, 22:28

Plagionotus Vedi ultimo messaggio

Nessun messaggio da leggere  
Lista degli utenti del "Forum entomologi italiani" per campi di interesse e specializzazione

 
Altri Ordini di Insetti

Velvet Ant

13

944291

07/09/2023, 17:14

Roberto-07 Vedi ultimo messaggio

Argomenti
Nessun messaggio da leggere
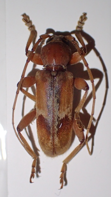
Aegosoma scabricorne (Scopoli, 1763) - Cerambycidae
9.VIII.2015 - ITALIA - Emilia-Romagna - FC
Allegato(i) Dettagli della specie
Aegosoma scabricorne (Scopoli, 1763)
Cerambycidae


9.VIII.2015 - ITALIA - Emilia-Romagna - FC
Coleoptera

giuseppe cataldo

3

1412

11/08/2015, 16:02

giuseppe cataldo Vedi ultimo messaggio

Nessun messaggio da leggere
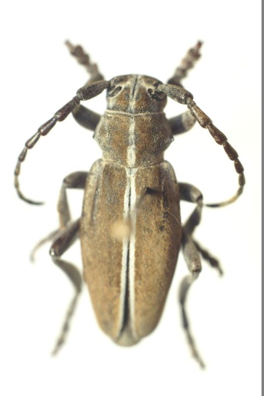
Rutpela maculata maculata (Poda, 1761) - Cerambycidae
7.VIII.2015 - ITALIA - Basilicata - PZ
Allegato(i) Dettagli della specie
Rutpela maculata maculata (Poda, 1761)
Cerambycidae


7.VIII.2015 - ITALIA - Basilicata - PZ
Coleoptera

aguaplano

2

668

08/08/2015, 8:44

aguaplano Vedi ultimo messaggio

Nessun messaggio da leggere
Paracorymbia hybrida (Rey, 1885) - Cerambycidae
10.VIII.2014 - ITALIA - Trentino-Alto Adige - TN
Allegato(i) Dettagli della specie
Paracorymbia hybrida (Rey, 1885)
Cerambycidae


10.VIII.2014 - ITALIA - Trentino-Alto Adige - TN
Coleoptera

gigilmozzi

3

1018

03/08/2015, 19:12

gigilmozzi Vedi ultimo messaggio

Nessun messaggio da leggere
Rutpela maculata maculata (Poda, 1761) - Cerambycidae
30.VII.2015 - ITALIA - Trentino-Alto Adige - TN
Allegato(i) Dettagli della specie
Rutpela maculata maculata (Poda, 1761)
Cerambycidae


30.VII.2015 - ITALIA - Trentino-Alto Adige - TN
Coleoptera

gigilmozzi

4

938

31/07/2015, 18:31

marco villa Vedi ultimo messaggio

Nessun messaggio da leggere
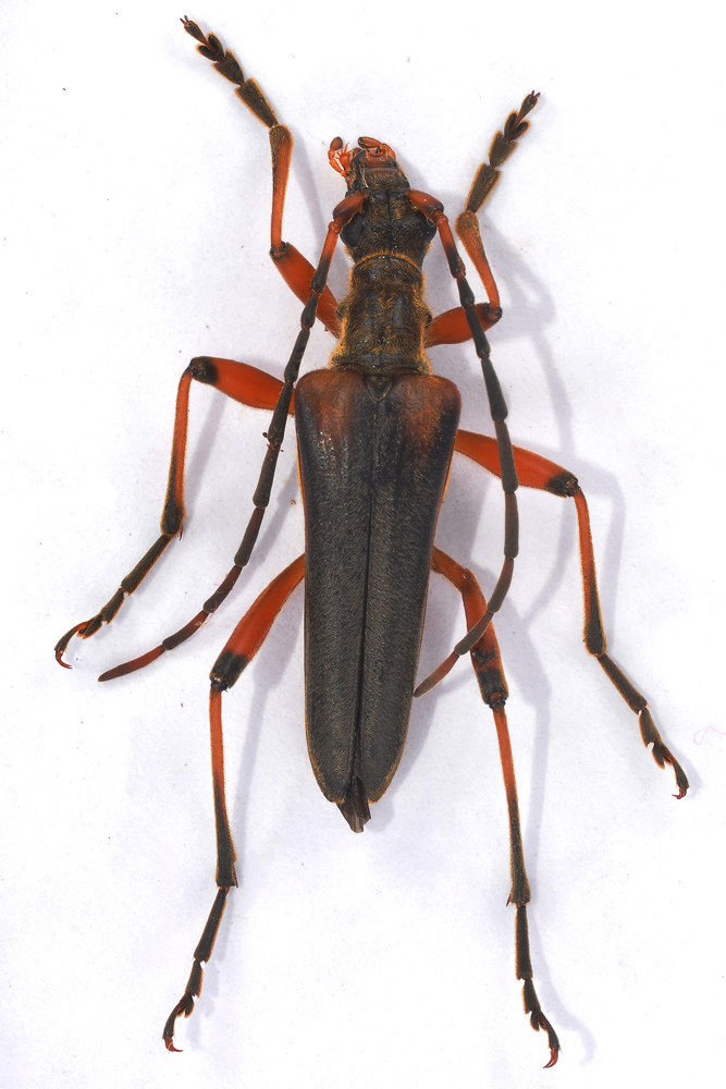
Cerambyx cerdo cerdo Linnaeus, 1758 - Cerambycidae
26.VII.2015 - ITALIA - Marche - FM
Allegato(i) Dettagli della specie
Cerambyx cerdo cerdo Linnaeus, 1758
Cerambycidae


26.VII.2015 - ITALIA - Marche - FM
Coleoptera

Andream

2

721

29/07/2015, 19:52

Andream Vedi ultimo messaggio

Nessun messaggio da leggere
Allegato(i) Dettagli della specie
Agapanthia (Epoptes) villosoviridescens (De Geer, 1775)
Cerambycidae


26.VII.2015 - ITALIA - Lombardia - CO
Coleoptera

Giuseppe

2

1063

29/07/2015, 13:38

Giuseppe Vedi ultimo messaggio

Nessun messaggio da leggere
Cerambyx miles Bonelli, 1812 - Cerambycidae
25.VII.2015 - ITALIA - Toscana - PO
Allegato(i) Dettagli della specie
Cerambyx miles Bonelli, 1812
Cerambycidae


25.VII.2015 - ITALIA - Toscana - PO
Coleoptera

fabry80

4

1220

28/07/2015, 8:39

fabry80 Vedi ultimo messaggio

Nessun messaggio da leggere
Allegato(i) Dettagli della specie
Stenurella bifasciata bifasciata (O. F. Müller, 1776)
Cerambycidae


24.VII.2015 - ITALIA - Campania - SA
Coleoptera

Enzo.C

2

738

27/07/2015, 23:54

Enzo.C Vedi ultimo messaggio

Nessun messaggio da leggere
Allegato(i) Dettagli della specie
Ropalopus (Ropalopus) insubricus insubricus (Germar, 1824)
Cerambycidae

[ Vai alla paginaVai alla pagina: 1, 2 ]



VIII.2014 - ITALIA - Veneto - TV
Coleoptera

marco villa

20

3881

26/07/2015, 20:27

marco villa Vedi ultimo messaggio

Nessun messaggio da leggere
Arhopalus rusticus (Linnaeus, 1758) - Cerambycidae
24.VII.2015 - ITALIA - Trentino-Alto Adige - TN
Allegato(i) Dettagli della specie
Arhopalus rusticus (Linnaeus, 1758)
Cerambycidae


24.VII.2015 - ITALIA - Trentino-Alto Adige - TN
Coleoptera

gigilmozzi

4

1251

26/07/2015, 19:30

gigilmozzi Vedi ultimo messaggio

Nessun messaggio da leggere
Allegato(i) Dettagli della specie
Cerambyx scopolii scopolii Fuessly, 1775
Cerambycidae


V.2015 - ITALIA - Veneto - VR
Coleoptera

maudoc59

2

915

26/07/2015, 6:48

maudoc59 Vedi ultimo messaggio

Nessun messaggio da leggere
Leptura quadrifasciata quadrifasciata Linnaeus, 1758 - Cerambycidae
24.VII.2015 - ITALIA - Trentino-Alto Adige - TN
Allegato(i) Dettagli della specie
Leptura quadrifasciata quadrifasciata Linnaeus, 1758
Cerambycidae


24.VII.2015 - ITALIA - Trentino-Alto Adige - TN
Coleoptera

gigilmozzi

1

1171

25/07/2015, 10:47

aug Vedi ultimo messaggio

Nessun messaggio da leggere
Semanotus russicus (Fabricius, 1777) - Cerambycidae
16.VI.2014 - ITALIA - Emilia-Romagna - RA
Allegato(i) Dettagli della specie
Semanotus russicus (Fabricius, 1777)
Cerambycidae


16.VI.2014 - ITALIA - Emilia-Romagna - RA
Coleoptera

marco villa

2

1245

24/07/2015, 20:48

marco villa Vedi ultimo messaggio

Nessun messaggio da leggere
Acanthocinus griseus (Fabricius, 1792) - Cerambycidae
23.VII.2015 - ITALIA - Trentino-Alto Adige - TN
Allegato(i) Dettagli della specie
Acanthocinus griseus (Fabricius, 1792)
Cerambycidae


23.VII.2015 - ITALIA - Trentino-Alto Adige - TN
Coleoptera

gigilmozzi

0

1155

23/07/2015, 19:51

gigilmozzi Vedi ultimo messaggio

Nessun messaggio da leggere
Paracorymbia fulva (De Geer, 1775) - Cerambycidae
20.V.2015 - ITALIA - Lombardia - MB
Allegato(i) Dettagli della specie
Paracorymbia fulva (De Geer, 1775)
Cerambycidae


20.V.2015 - ITALIA - Lombardia - MB
Coleoptera

sgarra87

1

1094

23/07/2015, 18:56

marco villa Vedi ultimo messaggio

Nessun messaggio da leggere
Cerambyx nodulosus Germar, 1817 - Cerambycidae
17.VII.2015 - ITALIA - Marche - AN
Allegato(i) Dettagli della specie
Cerambyx nodulosus Germar, 1817
Cerambycidae

[ Vai alla paginaVai alla pagina: 1, 2 ]



17.VII.2015 - ITALIA - Marche - AN
Coleoptera

StagBeetle

20

4053

23/07/2015, 18:23

alebisca Vedi ultimo messaggio

Nessun messaggio da leggere
Prionus coriarius (Linnaeus, 1758) - Cerambycidae
20.VII.2014 - ITALIA - Liguria - SV
Allegato(i) Dettagli della specie
Prionus coriarius (Linnaeus, 1758)
Cerambycidae


20.VII.2014 - ITALIA - Liguria - SV
Coleoptera

fabio.aste

6

1897

22/07/2015, 14:24

fabio.aste Vedi ultimo messaggio

Nessun messaggio da leggere
Callidium coriaceum Paykull, 1800 - Cerambycidae
18.VII.2015 - ITALIA - Trentino-Alto Adige - TN
Allegato(i) Dettagli della specie
Callidium coriaceum Paykull, 1800
Cerambycidae


18.VII.2015 - ITALIA - Trentino-Alto Adige - TN
Coleoptera

gigilmozzi

1

1145

20/07/2015, 18:39

Lamia Vedi ultimo messaggio

Nessun messaggio da leggere
Aegomorphus clavipes (Schrank, 1781) - Cerambycidae
19.VII.2015 - ITALIA - Trentino-Alto Adige - TN
Allegato(i) Dettagli della specie
Aegomorphus clavipes (Schrank, 1781)
Cerambycidae


19.VII.2015 - ITALIA - Trentino-Alto Adige - TN
Coleoptera

gigilmozzi

3

1599

19/07/2015, 22:27

Plagionotus Vedi ultimo messaggio

Nessun messaggio da leggere
Aegosoma scabricorne (Scopoli, 1763) - Cerambycidae
19.VII.2015 - ITALIA - Veneto - VI
Allegato(i) Dettagli della specie
Aegosoma scabricorne (Scopoli, 1763)
Cerambycidae


19.VII.2015 - ITALIA - Veneto - VI
Coleoptera

ADRIANO.90

4

1722

19/07/2015, 15:04

marco villa Vedi ultimo messaggio

Nessun messaggio da leggere
Allegato(i) Dettagli della specie
Dorcadion (Pedestredorcadion) arenarium marsicanum Fracassi, 1905
Cerambycidae


21.VI.2015 - ITALIA - Marche - AP
Coleoptera

Andream

2

930

16/07/2015, 13:46

Andream Vedi ultimo messaggio

Nessun messaggio da leggere
Prionus coriarius (Linnaeus, 1758) - Cerambycidae
16.VII.2015 - ITALIA - Emilia-Romagna - FC
Allegato(i) Dettagli della specie
Prionus coriarius (Linnaeus, 1758)
Cerambycidae


16.VII.2015 - ITALIA - Emilia-Romagna - FC
Coleoptera

giuseppe cataldo

2

1051

16/07/2015, 10:10

giuseppe cataldo Vedi ultimo messaggio

Nessun messaggio da leggere
Allegato(i) Dettagli della specie
Purpuricenus (Purpuricenus) kaehleri kaehleri (Linnaeus, 1758)
Cerambycidae


7.VII.2015 - ITALIA - Basilicata - PZ
Coleoptera

gigilmozzi

6

1485

15/07/2015, 19:39

gigilmozzi Vedi ultimo messaggio

Nessun messaggio da leggere
Trichoferus holosericeus (Rossi, 1790) - Cerambycidae
11.VII.2015 - ITALIA - Sicilia - CT
Allegato(i) Dettagli della specie
Trichoferus holosericeus (Rossi, 1790)
Cerambycidae


11.VII.2015 - ITALIA - Sicilia - CT
Coleoptera

Lucanus tetraodon

2

1413

14/07/2015, 22:48

Lucanus tetraodon Vedi ultimo messaggio

Nessun messaggio da leggere
Agapanthia (Epoptes) cynarae (Germar, 1817) - Cerambycidae
7.VII.2015 - ITALIA - Basilicata - PZ
Allegato(i) Dettagli della specie
Agapanthia (Epoptes) cynarae (Germar, 1817)
Cerambycidae


7.VII.2015 - ITALIA - Basilicata - PZ
Coleoptera

gigilmozzi

2

1435

14/07/2015, 19:20

gigilmozzi Vedi ultimo messaggio

Nessun messaggio da leggere
Allegato(i) Dettagli della specie
Purpuricenus (Purpuricenus) kaehleri kaehleri (Linnaeus, 1758)
Cerambycidae


10.VII.2015 - ITALIA - Veneto - PD
Coleoptera

Entoluca

7

1777

14/07/2015, 9:21

Plagionotus Vedi ultimo messaggio

Nessun messaggio da leggere
Plagionotus detritus detritus (Linnaeus, 1758) - Cerambycidae
10.VII.2015 - ITALIA - Veneto - PD
Allegato(i) Dettagli della specie
Plagionotus detritus detritus (Linnaeus, 1758)
Cerambycidae

[ Vai alla paginaVai alla pagina: 1, 2 ]



10.VII.2015 - ITALIA - Veneto - PD
Coleoptera

Entoluca

23

4896

13/07/2015, 22:02

Pippistrello Vedi ultimo messaggio

Nessun messaggio da leggere
Trichoferus pallidus (Olivier, 1790) - Cerambycidae
10.VII.2015 - ITALIA - Veneto - PD
Allegato(i) Dettagli della specie
Trichoferus pallidus (Olivier, 1790)
Cerambycidae


10.VII.2015 - ITALIA - Veneto - PD
Coleoptera

Entoluca

7

1874

13/07/2015, 9:39

Plagionotus Vedi ultimo messaggio

Nessun messaggio da leggere
Anastrangalia dubia dubia (Scopoli, 1763) - Cerambycidae
10.VII.2015 - ITALIA - Trentino-Alto Adige - TN
Allegato(i) Dettagli della specie
Anastrangalia dubia dubia (Scopoli, 1763)
Cerambycidae


10.VII.2015 - ITALIA - Trentino-Alto Adige - TN
Coleoptera

gigilmozzi

3

1141

12/07/2015, 18:27

gigilmozzi Vedi ultimo messaggio

Nessun messaggio da leggere
Tetropium fuscum (Fabricius, 1787) - Cerambycidae
1.VII.2015 - ITALIA - Trentino-Alto Adige - TN
Allegato(i) Dettagli della specie
Tetropium fuscum (Fabricius, 1787)
Cerambycidae


1.VII.2015 - ITALIA - Trentino-Alto Adige - TN
Coleoptera

gigilmozzi

3

1264

11/07/2015, 19:57

gigilmozzi Vedi ultimo messaggio

Nessun messaggio da leggere
Saperda punctata (Linnaeus, 1767) - Cerambycidae
7.VII.2015 - ITALIA - Emilia-Romagna - FC
Allegato(i) Dettagli della specie
Saperda punctata (Linnaeus, 1767)
Cerambycidae


7.VII.2015 - ITALIA - Emilia-Romagna - FC
Coleoptera

giuseppe cataldo

4

1074

09/07/2015, 14:09

marco villa Vedi ultimo messaggio

Nessun messaggio da leggere
Allegato(i) Dettagli della specie
Stenocorus (Stenocorus) meridianus (Linnaeus, 1758)
Cerambycidae


5.VII.2015 - ITALIA - Piemonte - VB
Coleoptera

Il Baratelli

2

1011

09/07/2015, 12:00

Entomarci Vedi ultimo messaggio

Nessun messaggio da leggere
Allegato(i) Dettagli della specie
Dorcadion (Pedestredorcadion) arenarium marsicanum Fracassi, 1905
Cerambycidae


21.VI.2015 - ITALIA - Marche - AP
Coleoptera

Andream

2

933

08/07/2015, 11:55

Andream Vedi ultimo messaggio

Nessun messaggio da leggere
Rosalia (Rosalia) alpina alpina (Linnaeus, 1758) - Cerambycidae
11.VII.2012 - ITALIA - Abruzzo - AQ
Allegato(i) Dettagli della specie
Rosalia (Rosalia) alpina alpina (Linnaeus, 1758)
Cerambycidae

[ Vai alla paginaVai alla pagina: 1, 2 ]



11.VII.2012 - ITALIA - Abruzzo - AQ
Coleoptera

Logoste

19

2795

07/07/2015, 18:40

f.izzillo Vedi ultimo messaggio

Nessun messaggio da leggere
Parmena subpubescens Hellrigl, 1971 - Cerambycidae
5.VII.2015 - ITALIA - Sicilia - TP
Allegato(i) Dettagli della specie
Parmena subpubescens Hellrigl, 1971
Cerambycidae


5.VII.2015 - ITALIA - Sicilia - TP
Coleoptera

carabus

1

934

06/07/2015, 10:44

Plagionotus Vedi ultimo messaggio

Nessun messaggio da leggere
Hylotrupes bajulus (Linnaeus, 1758) - Cerambycidae
5.VII.2015 - ITALIA - Trentino-Alto Adige - TN
Allegato(i) Dettagli della specie
Hylotrupes bajulus (Linnaeus, 1758)
Cerambycidae


5.VII.2015 - ITALIA - Trentino-Alto Adige - TN
Coleoptera

gigilmozzi

4

1344

05/07/2015, 20:31

gigilmozzi Vedi ultimo messaggio

Nessun messaggio da leggere
Anastrangalia dubia dubia (Scopoli, 1763) - Cerambycidae
2.VII.2015 - ITALIA - Trentino-Alto Adige - BZ
Allegato(i) Dettagli della specie
Anastrangalia dubia dubia (Scopoli, 1763)
Cerambycidae


2.VII.2015 - ITALIA - Trentino-Alto Adige - BZ
Coleoptera

gigilmozzi

5

1942

05/07/2015, 13:36

gigilmozzi Vedi ultimo messaggio

Nessun messaggio da leggere
Judolia sexmaculata (Linnaeus, 1758) - Cerambycidae
2.VII.2015 - ITALIA - Trentino-Alto Adige - BZ
Allegato(i) Dettagli della specie
Judolia sexmaculata (Linnaeus, 1758)
Cerambycidae


2.VII.2015 - ITALIA - Trentino-Alto Adige - BZ
Coleoptera

gigilmozzi

1

1018

03/07/2015, 19:19

AleP Vedi ultimo messaggio

Nessun messaggio da leggere
Opsilia coerulescens (Scopoli, 1763) - Cerambycidae
22.VI.2015 - ITALIA - Sicilia - ME
Allegato(i) Dettagli della specie
Opsilia coerulescens (Scopoli, 1763)
Cerambycidae


22.VI.2015 - ITALIA - Sicilia - ME
Coleoptera

carabus

1

675

03/07/2015, 11:15

Xylosteus Vedi ultimo messaggio

Nessun messaggio da leggere
Dinoptera (Dinoptera) collaris (Linnaeus, 1758) - Cerambycidae
15.VI.2015 - ITALIA - Trentino-Alto Adige - TN
Allegato(i) Dettagli della specie
Dinoptera (Dinoptera) collaris (Linnaeus, 1758)
Cerambycidae


15.VI.2015 - ITALIA - Trentino-Alto Adige - TN
Coleoptera

gigilmozzi

2

681

29/06/2015, 20:16

gigilmozzi Vedi ultimo messaggio

Nessun messaggio da leggere
Allegato(i) Dettagli della specie
Stictoleptura cordigera cordigera (Fuessly, 1775)
Cerambycidae


28.VI.2015 - ITALIA - Lazio - RM
Coleoptera

andreah

6

1301

29/06/2015, 0:17

corvus Vedi ultimo messaggio

Nessun messaggio da leggere
Allegato(i) Dettagli della specie
Trichoferus fasciculatus fasciculatus (Faldermann, 1837)
Cerambycidae


VI.2015 - ITALIA - Veneto - VR
Coleoptera

AleP

2

1097

28/06/2015, 20:10

AleP Vedi ultimo messaggio

Nessun messaggio da leggere
Allegato(i) Dettagli della specie
Agapanthia (Epoptes) villosoviridescens (De Geer, 1775)
Cerambycidae


24.VI.2015 - ITALIA - Campania - CE
Coleoptera

f.izzillo

4

2060

28/06/2015, 18:47

f.izzillo Vedi ultimo messaggio

Nessun messaggio da leggere
Allegato(i) Dettagli della specie
Purpuricenus (Purpuricenus) globulicollis Dejean, 1839
Cerambycidae


VI.2015 - ITALIA - Veneto - VR
Coleoptera

AleP

9

2406

28/06/2015, 15:50

AleP Vedi ultimo messaggio

Nessun messaggio da leggere
Cerambyx cerdo cerdo Linnaeus, 1758 - Cerambycidae
24.VI.2015 - ITALIA - Emilia-Romagna - PR
Allegato(i) Dettagli della specie
Cerambyx cerdo cerdo Linnaeus, 1758
Cerambycidae


24.VI.2015 - ITALIA - Emilia-Romagna - PR
Coleoptera

leonida

5

1643

28/06/2015, 14:17

leonida Vedi ultimo messaggio

Nessun messaggio da leggere
Stictoleptura oblongomaculata (Buquet, 1840) - Cerambycidae
26.VI.2015 - ITALIA - Sicilia - ME
Allegato(i) Dettagli della specie
Stictoleptura oblongomaculata (Buquet, 1840)
Cerambycidae


26.VI.2015 - ITALIA - Sicilia - ME
Coleoptera

carabus

3

1655

27/06/2015, 17:39

Plagionotus Vedi ultimo messaggio

Nessun messaggio da leggere
Cerambyx scopolii scopolii Fuessly, 1775 - Cerambycidae
22.VI.2015 - ITALIA - Lombardia - LC
Allegato(i) Dettagli della specie
Cerambyx scopolii scopolii Fuessly, 1775
Cerambycidae


22.VI.2015 - ITALIA - Lombardia - LC
Coleoptera

etguarna

3

944

23/06/2015, 12:18

etguarna Vedi ultimo messaggio

Nessun messaggio da leggere
Stenopterus rufus rufus (Linnaeus, 1767) - Cerambycidae
19.VI.2015 - ITALIA - Liguria - GE
Allegato(i) Dettagli della specie
Stenopterus rufus rufus (Linnaeus, 1767)
Cerambycidae


19.VI.2015 - ITALIA - Liguria - GE
Coleoptera

Francesco Cassulo

3

1164

19/06/2015, 22:01

Francesco Cassulo Vedi ultimo messaggio

Nessun messaggio da leggere
Hesperophanes melonii Fancello & Cillo 2012 - Cerambycidae
14.VI.2015 - ITALIA - Sardegna - CA
Allegato(i) Dettagli della specie
Hesperophanes melonii Fancello & Cillo 2012
Cerambycidae


14.VI.2015 - ITALIA - Sardegna - CA
Coleoptera

Fumea crassiorella

7

1874

17/06/2015, 21:23

Fumea crassiorella Vedi ultimo messaggio

Nessun messaggio da leggere
Allegato(i) Dettagli della specie
Xylotrechus (Xylotrechus) antilope antilope (Schöenherr, 1817)
Cerambycidae


14.X.2013 - ITALIA - Abruzzo - AQ
Coleoptera

Julodis

13

2840

17/06/2015, 20:57

AleP Vedi ultimo messaggio

Visualizza ultimi argomenti:  Ordina per  Ordine:  
nuovo argomento
Vai alla pagina Precedente  1 ... 15, 16, 17, 18, 19, 20, 21 ... 59  Prossimo
Pagina 18 di 59 [ 2928 argomenti ]

Tutti gli orari sono UTC + 1 ora [ ora legale ]


Chi c’è in linea

Visitano il forum: Nessuno e 1 ospite


Legenda
Messaggi da leggere Messaggi da leggere Nessun messaggio da leggere Nessun messaggio da leggere Annuncio Annuncio
 
Specie indeterminata / discussione generica
Messaggi non letti [ Popolari ] Messaggi non letti [ Popolari ] Nessun messaggio da leggere [ Popolare ] Nessun messaggio da leggere [ Popolare ] Importante Importante
 
Specie determinata fino al genere o cf.
Messaggi non letti [ Bloccati ] Messaggi non letti [ Bloccati ] No messaggi non letti [ Bloccati ] No messaggi non letti [ Bloccati ] Argomento spostato Argomento spostato
 
Specie correttamente determinata
Permessi
Non puoi aprire nuovi argomenti
Non puoi rispondere negli argomenti
Non puoi modificare i tuoi messaggi
Non puoi cancellare i tuoi messaggi
Non puoi inviare allegati

Cerca per:
Vai a: